Kaltfront bringt am Montag Schauer und lokal kräftige Gewitter

Österreich liegt zu Wochenbeginn südlich eines Tiefs namens Doreen mit Kern über Polen. Im Vorfeld der dazugehörigen Kaltfront gelangt zunächst noch feuchtmilde Luft ins Land, die Schauer- und Gewitterneigung nimmt von Westen her aber rasch zu.

Tief Doreen lenkt Montagnacht einen Schwall Kaltluft nach Österreich.

Lokal kräftige Gewitter

Am Montag scheint in der ersten Tageshälfte vor allem im Osten und Südosten zeitweise die Sonne, sonst ziehen bereits viele Wolken durch und im Norden sowie in Vorarlberg ziehen Schauer durch. Im Laufe des Vormittags greifen die Regenschauer auf Tirol und Oberkärnten über und ab den Mittagsstunden steigt die Schauer und Gewitterneigung bei lebhaft auffrischendem Westwind an der gesamten Alpennordseite sowie im Osten an. Besonders von der Obersteiermark bis ins östliche Flachland können die Gewitter lokal auch kräftig ausfallen mit Starkregen und Hagel mit Durchmessern von 0,5 bis 2 cm.

Aktuelle Niederschlagsprognose in 3h-Schritten von Montagmorgen bis Montagabend vom ICON-D2-Modell.

Länger trocken und freundlich bleibt es dagegen im äußersten Südosten, hier ziehen erst in den Abendstunden erste gewittrige Schauer auf. Die Temperaturen erreichen zuvor von West nach Ost 14 bis 24 Grad.

Am Dienstag windig und deutlich kühler

Der Dienstag beginnt trüb und vor allen von Vorarlberg bis in die Steiermark häufig nass, im Bereich der Karawanken regnet es zeitweise kräftig. Die Schneefallgrenze sinkt in den Nordalpen am Morgen vorübergehend gegen 900 m ab. Im Donauraum und im Nordosten ziehen dagegen nur vereinzelte Schauer durch.

Auf den Bergen fällt von Montag auf Dienstag etwas Schnee. Im Hochgebirge kommen 20 bis 30 cm Neuschnee zusammen, aber auch in Höhenlagen um 2000 m kündigen sich im Westen 5 bis 15 cm an.

Am Dienstagnachmittag ist eine Wetterbesserung in Sicht und die Wolken lockern von Westen her etwas auf, besonders in Osttirol und Oberkärnten kommt bei kräftig auffrischendem Nordföhn immer häufiger die Sonne zum Vorschein. Der Wind weht lebhaft bis kräftig aus Nordwest, in den Südalpen und am Alpenostrand sind auch stürmische Böen zu erwarten.  Mit maximal nur noch 7 bis 14 Grad kühlt es spürbar ab.

Prognose der Höchstwerte am Montag bzw. Dienstag. Besonders im Südosten kühlt es teils um mehr als 10 Grad ab (zum Vergrößern auf das Bild klicken).

In der Nacht auf Mittwoch bleibt es trocken und bei nachlassendem Wind kündigt sich im Berg- und Hügelland nochmals leichter Frost an.

Prognose der Tiefstwerte in der Nacht auf Mittwoch (zum Vergrößern auf das Bild klicken).

 

Die Eisheiligen: Frost im Mai immer seltener

Morgenfrost im Frühling - pixabay.com

Mamertus, Pankratius, Servatius, Bonifatius und Sophie – diese Namen sind vielen bekannt, schließlich sorgen die sogenannten Eisheiligen fast jedes Jahr für Aufmerksamkeit. Die fünf Heiligen lebten im 4. und 5. Jahrhundert und erhielten erst deutlich später ihre kirchlichen Gedenktage. Im Mittelalter waren Landwirtschaft und Ernte überlebenswichtig, weshalb regelmäßig auftretende Wetterereignisse mit sogenannten Lostagen verknüpft wurden. Späte Kaltlufteinbrüche konnten junge Pflanzen schädigen und damit Missernten verursachen.

Eine Zeit der Kontraste

Der Frühling gilt oft als Jahreszeit des Sonnenscheins und der Blüte, meteorologisch ist er jedoch vor allem eine Zeit großer Gegensätze. Während sich die Landmassen durch den höheren Sonnenstand rasch erwärmen, bleiben Meere und Seen noch vergleichsweise kalt. Diese Temperaturunterschiede machen Kaltlufteinbrüche auch im späten Frühjahr möglich.

Damals spielten Kirche und Glaube eine zentrale Rolle im Alltag, Bauern orientierten sich stark an Lostagen und Bauernregeln. Durch die gregorianische Kalenderreform von Papst Gregor XIII. im Jahr 1582 verschoben sich die ursprünglichen Termine allerdings um einige Tage. Berücksichtigt man diese Änderung, lägen die Eisheiligen heute eigentlich zwischen dem 19. und 23. Mai.

Regionale Unterschiede

Nicht überall gelten dieselben Heiligen als Eisheilige. In Norddeutschland beginnt die Reihe bereits mit Mamertus am 11. Mai, während in Österreich, Süddeutschland und der Schweiz meist Pankratius als Auftakt gilt. Dafür zählt hier die „Kalte Sophie“ dazu, die im Norden oft fehlt. Eine mögliche Erklärung: Kaltlufteinbrüche erreichen den Alpenraum häufig erst zeitverzögert aus Norden.

Meteorologische Singularität?

Ob die Eisheiligen tatsächlich eine meteorologische Singularität darstellen, ist selbst unter Meteorologen umstritten. Zwar sind Kaltlufteinbrüche im Mai keineswegs ungewöhnlich, sie treten jedoch nicht regelmäßig auf. Statistiken zeigen zudem keine auffällige Häufung von Frosttagen genau während der Eisheiligen – die Frostwahrscheinlichkeit nimmt im Verlauf des Monats vielmehr kontinuierlich ab. Kälterückfälle zur Zeit der Eisheiligen wären daher eher als Zufall zu sehen.

Häufigkeit von Bodenfrost im April und Mai zwischen 1965 und 2021 im Mittelland der Schweiz. © MeteoSchweiz

Laut einer Auswertung der ZAMG zeigt sich im 50-jährigen Mittel nach dem 20. Mai aber ein Rückgang der mittleren Tagesmitteltemperatur. Das passt zeitlich gut zu den Eisheiligen: Durch die Gregorianische Kalenderreform wurden zehn Tage aus dem Kalender gestrichen, wodurch sich die Namenstage um etwa zehn Tage vom ursprünglichen meteorologischen Termin verschoben haben. Die Eisheiligen bringen demnach zwar meist keinen Frost mehr, häufig aber nochmals einen spürbaren Temperaturrückgang. Man kann sie daher als den letzten markanten Kaltlufteinbruch im Mai vor dem Frühsommer bezeichnen.

Im 50-jährigen Mittel zeigt sich bei der durchschnittlichen Tagesmitteltemperatur ein Rückgang ungefähr zwischen dem 20. und 24. Mai. Quelle: ZAMG.

Spätfrostgefahr und Klimawandel

In den vergangenen Jahren blieben die Eisheiligen häufig aus, zudem treten Fröste im Mai in tiefen Lagen nur noch selten auf. Mitunter wurden die Eisheiligen bei sommerlichen Temperaturen sogar schon zu „Schweißheiligen“ umgetauft. Daher stellt sich zunehmend die Frage, ob man überhaupt noch von einer meteorologischen Singularität sprechen kann. Manche Meteorologen sehen darin auch eine Folge des Klimawandels: Mit der fortschreitenden Erwärmung der Atmosphäre fallen Kaltlufteinbrüche im Mai immer weniger frostig aus. Tatsächlich tritt auch der durchschnittlich letzte Frosttermin im Jahr zunehmend früher auf.

Tag des Vegetationsbeginns (Methode der Wärmesumme) und des letzten Tiefstwerts unter -2 Grad im Frühjahr für Graz - UBIMET mit Daten GSA
Vegetationsbeginn (nach Wärmesumme) und letzter Frost unter -2 Grad im langjährigen Mittel in Graz: Im aktuellen Mittel gibt es keinen Unterschied mehr.

In der vorindustriellen Zeit sorgten Kaltlufteinbrüche bis etwa Mitte Mai im Flachland mitunter noch für Frost. Dafür waren Kaltlufteinbrüche im April damals meist weniger problematisch, da die Vegetation später einsetzte und Pflanzen dadurch im Vergleich zu heute noch weniger frostgefährdet waren. Für die Landwirtschaft ist inzwischen vor allem der April kritisch: So kam es auch heuer in weiten Teilen Mitteleuropas in der zweiten Aprilhälfte zu erheblichen Frostschäden. Mehr Informationen zum Thema Wärmesumme, Vegetationsbeginn und Spätfrostgefahr findet man hier sowie hier.

Warum halten sich die Bauernregeln so hartnäckig?

Früher waren Spätfröste für die Landwirtschaft existenziell. Deshalb warteten viele Bauern traditionell bis nach den Eisheiligen mit empfindlichen Pflanzen wie Tomaten oder Weinreben. Die Bauernregeln beruhen also auf langjährigen Erfahrungswerten, auch wenn sie meteorologisch nicht jedes Jahr zutreffen.

Trockenheit führte im April regional zu neuen Rekorden

Sonne im April

Der April war in Mitteleuropa durch wiederholte blockierte Hochdrucklagen geprägt, wobei zeitweise auch kontinentale Kaltluft einströmte. Besonders im Süden war es über weite Strecken milder als üblich: Die größten positiven Temperaturabweichungen wurden mit bis zu +3 Grad vom Tiroler Oberland bis nach Oberkärnten verzeichnet. In Osttirol und Oberkärnten war es der drittwärmste April seit Messbeginn. Nahezu durchschnittliche Werte wurden hingegen vom Mühlviertel bis ins östliche Flachland registriert.

Zum Vergrößern auf das Bild klicken.
Höchste Temperaturen
  • 27,0 Grad: Dellach (K, 6.), St. Andrä im Lavanttal (K, 26.)
  • 26,9 Grad: Ferlach (K, 25.), Villach (K, 26.)
  • 26,4 Grad: Wien-City (W, 5.), Spittal/Drau (K, 25.), Hermagor (K, 26.), Bad Vöslau (NÖ, 5.)

Tiefste Temperaturen (<1000 m)
  • -10,2 Grad: Oberlainsitz (NÖ, 30.)
  • -9,6 Grad: Liebenau / Gugu (OÖ, 9.)
  • -9,1 Grad: Schwarzau im Freiwald (NÖ, 9.)

Außergewöhnlich trocken

Der April war deutlich zu trocken, im landesweiten Flächenmittel wurden nur rund 31 Prozent der üblichen Niederschlagsmenge erreicht. Damit zählt dieser April zu den trockensten seit Messbeginn. Besonders extrem war die Trockenheit vom Lungau über das Murtal bis in die Oststeiermark und in Teilen des Wald- und Weinviertels. Dort fielen teilweise nur 10 bis 15 Prozent der üblichen Regenmenge. Lediglich im Tiroler Oberland wurden annähernd durchschnittlichen Niederschlagsmenge registriert.

Niederschlagsabweichungen im April. Zum Vergrößern auf das Bild klicken.

An mehreren Stationen wurden neue Negativrekorde verzeichnet, teils auch mit langen Messreihen, wie etwa in Bruck an der Mur, Zeltweg, Seckau, Gleisdorf, St. Andrä im Lavanttal und Obertauern.

Insgesamt war der Zeitraum März bis April in Österreich noch nie so trocken wie heuer, was zu einer zunehmend hohen Waldbrandgefahr geführt hat.

Niederschlagsabweichungen im Frühjahr bis dato. Zum Vergrößern auf das Bild klicken.
Nasseste Orte (<1500 m)
  • 58 l/m² Warth (V)
  • 55 l/m² Strengen (T)
  • 53 l/m² St. Leonhard im Pitztal (T)
Trockenste Orte
  • 2 l/m² Limberg/Maissau (NÖ), Wien-Stammersdorf (W)
  • 3 l/m² Wolkersdorf (NÖ), Horn (NÖ), Mistelbach (NÖ)
Die Waldbrandgefahr an diesem Wochenende ist vielerorts hoch, teils sogar sehr hoch. Zum Vergrößern auf das Bild klicken.

Erste Gewitter, weniger Blitze als üblich

Im April wurde in Österreich 17.619 Blitzentladungen erfasst, davon allein rund 9.500 am 19. April. Die größte Anzahl an Entladungen trat in der Steiermark, in Kärnten und in Vorarlberg auf. Die Bezirke mit der höchsten Blitzdichte waren Feldkirch, Deutschlandsberg und Dornbirn. Trotz einzelner intensiver Gewitterlagen blieb die Blitzaktivität unter den Erwartungen: Österreichweit wurden rund 37 Prozent weniger Blitze als üblich verzeichnet. Während es im Norden und Osten deutlich seltener blitzte als üblich, lag die Blitzhäufigkeit in Vorarlberg und Kärnten über dem Durchschnitt. Regional führten die Gewitter zu Sturmböen, insbesondere am Osterabend in Oberösterreich sowie am 19. April in Unterkärnten.

Zum Vergrößern auf das Bild klicken.

Viel Sonne im Süden und Westen

Bei der Sonnenscheindauer zeigte sich der April insgesamt überdurchschnittlich. Österreichweit wurde ein Plus von rund 12 Prozent gegenüber dem langjährigen Mittel verzeichnet. Besonders sonnig war es im Westen und Süden des Landes, während sich vom Salzburger Land bis nach Wien weitgehend durchschnittliche Werte ergaben.

Zum Vergrößern auf das Bild klicken.

Die sonnigste Messstation des Landes war Andau im Burgenland mit in Summe 269 Sonnenstunden.

Zum Vergrößern auf das Bild klicken.

Deutschland: Regional große Trockenheit im Frühjahr

Trockenheit © Adobe Stock

Das Frühjahr in Deutschland ist in diesem Jahr bislang vielerorts ungewöhnlich trocken verlaufen. Bereits seit dem späten Winter fehlen in vielen Regionen nennenswerte Niederschläge, während gleichzeitig überdurchschnittlich viele sonnige und teils warme Tage registriert wurden. Besonders betroffen sind die Südhälfte des Landes und der äußersten Osten. Dies weckt Erinnerungen an das Frühjahr 2025, welches eines der drei trockensten seit Messbeginn war (gemeinsam mit 1881 und 2011).

Niederschlagsabweichung im Frühling 2026 bis dato. Deutschlandweit liegen wir bei -33 Prozent, regional unter -70 Prozent. © UBIMET

Regional große Trockenheit

Die bislang trockensten Regionen konzentrieren sich vor allem auf den Süden und Südosten Deutschlands. Besonders betroffen ist Bayern, wo verbreitet Abweichungen von -50 % bis lokal unter -70 % auftreten. Sehr trocken ist es auch in Baden-Württemberg, im Saarland sowie in Teilen von Rheinland-Pfalz und Hessen, wo vielerorts Werte zwischen -30 % und -50 % erreicht werden. Ein zweiter Schwerpunkt der Trockenheit liegt im äußersten Osten des Landes, wie etwa Ostsachsen und Teile Vorpommerns.

Akkumulierter Niederschlag und Abweichung zum Klimamittel in Ueckermünde seit Messbeginn 1937: Noch nie war es zu diesem Zeitpunkt so trocken.

Deutlich weniger betroffen sind dagegen der Nordwesten und Teile des Nordostens, wo die Defizite geringer ausfallen oder lokal sogar leichte Überschüsse auftreten. Insbesondere vom Leipziger Land bis zur Mecklenburger Seenplatte waren die Mengen bis dato durchschnittlich bzw. mancherorts sogar überdurchschnittlich. Dies ist hauptsächlich einem Tief namens Waltraud zu verdanken, das am 19. April für teils ergiebigen Regen sorgte.

Tief Waltraud hat im Osten gebietsweise viel Regen gebracht.

Örtlich Negativrekorde

Örtlich liegen wir derzeit auf Rekordkurs: In München war etwa seit Messbeginn 1955 kein Frühling zu diesem Zeitpunkt trockener, ebenso wenig in Uckermünde seit 1937.

Akkumulierter Niederschlag und Abweichung zum Klimamittel in München seit Messbeginn 1955. Bis dato blicken wir auf den trockensten Frühling seit Messbeginn zurück.
Akkumulierter Niederschlag und Abweichung zum Klimamittel in Regensburg seit Messbeginn 1879.
Akkumulierter Niederschlag und Abweichung zum Klimamittel in Mannheim seit Messbeginn 1936.

Eine der Folgen der Trockenheit ist die mittlerweile hohe Waldbrandgefahr in Teilen des Landes. In den folgenden Grafiken sieht man diese für heute und morgen (oben) und die darauffolgenden drei Tage (unten). Die rötlichen Farben nehmen zu, regional kündigt sich am Donnerstag sogar sehr hohe Waldbrandgefahr an.

Vorerst kaum Regen in Sicht

Die Großwetterlage in Mitteleuropa ist derzeit festgefahren, dabei sorgt ein umfangreiches Hoch namens Winfried verbreitet für trockene Verhältnisse. Erst am Wochenende nimmt der Tiefdruckeinfluss von Westen her etwas zu und besonders im Westen und Nordwesten steigt die Schauer- und Gewitterneigung an.

Prognose der aufsummierten Regenmenge bis kommenden Sonntag. Besonders im Osten und Südosten ist diese Woche kein Regen in Sicht.

Chancen auf größere Niederschlagsmengen bestehen nach derzeitigem Stand erst zu Beginn der kommenden Woche, die Unsicherheiten sind aber noch groß.

AIFS-ENS-Prognose für München. Kommende Woche nimmt die Niederschlagswahrscheinlichkeit zu.

Feuchtes Wetter im Frühjahr: Vorsicht Zecken!

Vorsicht Zecken

Entscheidend für das Erscheinen der Zecken ist in erster Linie die Temperatur. Spätestens wenn kein Schnee mehr liegt und die Temperaturen an mehreren aufeinanderfolgenden Tagen 7 bis 10 Grad erreichen, erwachen die ersten Zecken aus der Winterstarre. Dies passiert immer häufiger bereits im Februar.

Feuchtwarm

Kälteeinbrüche im März und im April sorgen zwar für abrupte Einbrüche der Zeckenaktivität, den Zecken schadet das aber in der Regel nicht. Neben der Temperatur spielt vor allem die Feuchtigkeit eine wichtige Rolle: Wenn es nach längeren Schönwetterperioden sehr trocken ist, ziehen sich die Zecken vorübergehend in schattige Plätze zurück. Regnet es dann wieder, verlassen sie schnell die schützende Laubstreu und suchen verstärkt nach Wirten. Besonders bei feuchtwarmen Wetter kann die Zeckenaktivität dann regelrecht explodieren!

Vorsicht Zecken, hohes Gras und Unterholz meiden
Zecken halten sich nahe zum Boden auf. © Adobe Stock

Jährlich viele FSME-Fälle

Entgegen der landläufigen Meinung warten Zecken nicht auf Bäumen und lassen sich auf ihre Opfer fallen, sondern mögen es bodennah und feucht. Die Parasiten krabbeln auf Grashalme in Wiesen und Büschen und warten geduldig auf den Moment in dem ein potentieller Wirt sie streift und mitnimmt. Schützen kann man sich mit geschlossener Kleidung und Sprays, wobei auch diese keine Sicherheit garantieren.

Zecken
Eine Zecke auf der Lauer. © AdobeStock

Viele Zeckenbisse verlaufen harmlos, da nicht alle Zecken FSME-Viren oder Borreliose-Bakterien in sich tragen und der Biss eines infizierten Exemplars nicht immer zu einer Infektion führt. Das Risiko ist aber groß, weshalb eine FSME-Impfung dringend zu empfehlen ist. Nach einem Wald- oder Wiesenspaziergang sollte man den Körper jedenfalls gründlich nach den Blutsaugern absuchen und etwaige Zecken möglichst bald mit einer Zeckenpinzette, -zange oder -karte zu entfernen, da Bakterien und Viren meist erst nach einer bestimmten Zeit übertragen werden. Wenn sich die Zecke nur schwer entfernen lässt, ist dies ein Indiz dafür, dass sie sich schon länger angesaugt hat. Die Bissstelle sollte desinfiziert und auf jeden Fall noch länger beobachtet werden und bei einer Rötung oder grippeähnlichen Symptomen wie Fieber, Kopf- und Gliederschmerzen ein Arzt konsultiert werden.

 

FSME-Fälle Österreich

(Daten: MedUni Wien)

Deutschland

(Daten: NaLI)

2016 89 352
2017 116 485
2018 154 582
2019 108 443
2020 216 717
2021 128 420
2022 179 559
2023 104 381

Die Anzahl an FSME-Erkrankungen hat in den letzten Jahren tendenziell zugenommen. Im Jahr 2019 hat wohl die Trockenheit für einen vorübergehenden Rückgang gesorgt, allerdings folgte im ersten „Corona-Sommer“ im Jahr 2020 ein neuer Negativrekord. Etwa bei der Hälfte der Erkrankungen gibt es einen schweren Krankheitsverlauf mit einer Gehirnentzündung. Nur mit einer Impfung kann man dieses Risiko minimieren.

Titelbild © AdobeStock

Zunehmende UV-Strahlung im Frühjahr

Sonne, Berge und Schnee sorgen besonders im Frühling für erhöhte Sonnenbrandgefahr - pixabay.com

Die UV-Strahlung ist eine für den Menschen unsichtbare, elektromagnetische Strahlung mit einer Wellenlänge, welche kürzer ist als diejenige des für den Menschen sichtbaren Lichts. Diese Strahlung trifft als kurzwelliger Anteil der Sonnenstrahlung auf die Ozonschicht der Erde auf und wird nur teilweise von dieser absorbiert. Während der UV-A Anteil (Wellenlänge 380 bis 315 Nanometer) zu großen Teilen von der Ozonschicht nicht absorbiert wird und somit bis zur Erdoberfläche durchkommt, nehmen die Ozonmoleküle zu 90 % den UV-B Anteil (Wellenlänge 315 bis 280 Nanometer) und gar zu 100 % den UV-C Anteil (Wellenlänge 280 bis 200 Nanometer) auf.

Vor allem UV-A-Strahlung dringt bis zum Erdboden durch.
Vor allem UV-A-Strahlung dringt bis zum Erdboden durch.

Gefahren

Bereits als kleines Kind lernt so gut wie jeder, dass zu viel Sonnenstrahlung schädlich für die Haut ist. Dabei sorgt insbesondere die zuvor erwähnte UV-A Strahlung bei einer zu hohen Dosis für lichtbedingte Hautausschläge und Sonnenallergien. Im fortgeschrittenen Alter führt dies vermehrt zu Hautalterung und Faltenbildung, zudem hinterlässt die Strahlung Schäden im Erbgut und erhöht deutlich die Hautkrebsgefahr . Für den Sonnenbrand ist allerdings die UV-B Strahlung verantwortlich, das heißt selbst wenn jemand keinen Sonnenbrand erlitten hat, sind andere Schäden, insbesondere Spätschäden, in der Haut nicht ausgeschlossen!

UV-Index

Gemessen wird die UV-Belastung mit dem sog. UV-Index. Er hängt vor allem vom Sonnenstand ab und ändert sich daher am stärksten mit der Jahreszeit, der Tageszeit und der geografischen Breite. Die Bewölkung und die Höhenlage eines Ortes spielen ebenfalls eine Rolle, sowie weiters auch die Gesamtozonkonzentration in der Atmosphäre, welche im Frühjahr je nach Wetterlage etwas variieren kann! In Mitteleuropa werden im Sommer Werte von 8 bis 9, in den Hochlagen der Alpen sogar bis 11 erreicht. Am Äquator können Werte von 12 und höher auftreten.

UV-Index und Schutzmaßnahmen - bfs.de
UV-Index und Schutzmaßnahmen – bfs.de
Maximal erreichbarer UV-Index in den Alpen im Laufe des Jahres (angenommen perfekt sonniges Wetter und Schnee auf den Bergen) - UBIMET
Maximal erreichbarer UV-Index in den Alpen im Laufe des Jahres (angenommen perfekt sonniges Wetter und Schnee auf den Bergen) – UBIMET

Schutz

Den besten Schutz erhält man durch die Bedeckung der Haut durch Textilien und das Tragen einer Kopfbedeckung. Zudem sollte besonders die Mittagssonne gemieden werden bzw. man sollte sich soviel wie möglich im Schatten von Sonnenschirmen oder natürlichen Schattengebern aufhalten. Besonders sehr helle Hauttypen besitzen eine Eigenschutzzeit von lediglich 5 bis 10 Minuten. Eine ergänzende, aber durchaus notwendige Maßnahme, stellt das Sonnenschutzmittel dar. Je höher der Lichtschutzfaktor, umso länger kann man sich, abhängig vom jeweiligen Hauttyp in der Sonne aufhalten. Nachcremen bzw. nach einer gewissen Dauer die Sonne meiden ist jedoch unumgänglich. Ab einem UV-Index 3 ist stets an Sonnenschutz zu denken!

Klimatologie und Messwerte für 2026 des UV-Indexes am Hohen Sonnblick. Graphik: https://www.uv-index.at/

Aktuelle Messwerte zum UV-Index gibt es hier: http://www.uv-index.at/

Titelbild © pixabay.com

Ostern 2026: Am Sonntag frühsommerlich warm mit bis zu 25 Grad

Kaninchen

Das Osterfest richtet sich nicht nach einem festen Datum, sondern nach dem Mond: Ostern fällt immer auf den ersten Sonntag nach dem ersten Vollmond im Frühling (zwischen dem 22. März und dem 25. April). Genauso variabel wie das Datum ist auch das Wetter. Der Grund liegt nicht nur im Datum selbst: Im Frühjahr können im hohen Norden noch kalte Luftmassen liegen, die bei einer ausgeprägten Nord- oder Nordostlage im Alpenraum noch einmal für spätwinterliches Wetter sorgen. Andererseits bringen Südwestlagen bereits sehr milde Luftmassen aus Nordafrika zu uns.

Prognose der Höchstwerte am Ostersonntag: Im Bergland Skandinaviens herrscht Dauerfrost, während es in Südwesteuropa hochsommerlich warm wird.

Am Samstag im Norden nass

Am Karsamstag bringt eine Warmfront viele Wolken und besonders vom Tiroler Unterland bis ins westliche Niederösterreich fällt zeitweise etwas Regen. Im Süden, im östlichen Flachland und auch ganz im Westen lockert es am Nachmittag auf und die Sonne lässt sich noch ab und zu blicken, am häufigsten scheint sie vom Lienzer bis zum Villacher Becken. Der Wind weht mäßig, vom Mostviertel bis ins Wiener Becken lebhaft aus West. Die Höchstwerte liegen zwischen 8 und 18 Grad.

Niederschlagsprognose für den Samstag.

Frühsommerlich zu Ostern

Pünktlich zum Ostersonntag sorgt ein Zwischenhoch verbreitet für sonniges und warmes Wetter. Tagsüber ziehen ein paar Schleier- und Quellwolken durch, welche aber harmlos bleiben und den weiterhin vorherrschenden Sonnenschein kaum trüben. Die Temperaturen steigen bei meist nur schwachem Wind auf 18 bis 24 Grad, lokal zeichnen sich auch Spitzen um 25 Grad ab. Ab dem späten Abend nimmt dann von Vorarlberg bis ins Waldviertel die Schauerneigung zu, vereinzelt entstehen auch Gewitter.

Die Prognose der Höchstwerte am Ostersonntag für Orte bis 1200 m Höhe (zum Vergrößern auf das Bild klicken).

Das milde Wetter freut nicht alle: Die Birken blühen heuer besonders üppig und bei den für Anfang April hohen Temperaturen müssen Allergiker gerade am Ostersonntag mit einer sehr hohen Pollenbelastung rechnen!

Am Ostermontag etwas kühler

Am Ostermontag zieht an der Alpennordseite eine schwache Kaltfront durch. In der ersten Tageshälfte ziehen daher viele Wolken durch und entlang der Nordalpen gehen einzelne Regenschauer nieder. Ab Mittag zeigt sich immer mehr die Sonne, am Alpenostrand bleibt die Schauerneigung allerdings leicht erhöht und auch im Südosten steigt sie am Nachmittag geringfügig an. Bei mäßigem bis lebhaftem, im Osten auch kräftigem Nordwestwind kühlt es an der Alpennordseite und im Osten etwas ab, die Temperaturen liegen hier meist zwischen 12 und 18 Grad. In Osttirol und Kärnten bleibt es leicht föhnig und örtlich gehen sich noch bis zu 24 Grad aus.

Der aktuelle Wettertrend für Wien: Zu Ostern wird es besonders mild, am übernächsten Wochenende deuten die Modelle auf eine Abkühlung hin.

Wetterextreme zu Ostern

Ein Blick auf die vergangenen Osterfeste zeigt deutlich Extreme: 2013 sorgte ein massiver Kaltlufteinbruch am 31. März für winterliche Verhältnisse. In den östlichen Nordalpen fielen 20 bis 30 cm Schnee, selbst im östlichen Flachland gab es etwas Nassschnee. Die Höchstwerte reichten von -1 Grad im östlichen Berg- und Hügelland bis +7 Grad in Lienz. In Wien stieg die Temperatur bei zeitweiligem Schneefall und lebhaftem Nordwestwind nicht über 2 Grad hinaus. Ganz anders gestaltete sich das Wetter im Jahre 2000: In Salzburg kletterten die Temperaturen auf hochsommerliche 29 Grad.

Anbei die Höchstwerte am Ostersonntag seit 1990:

Höchstwert Wien Innsbruck Kranebitten
15.4.1990 17 12
31.3.1991 11 14
19.4.1992 17 10
11.4.1993 5 10
3.4.1994 11 8
16.4.1995 14 11
7.4.1996 16 18
30.3.1997 9 5
12.4.1998 11 10
4.4.1999 21 13
23.4.2000 27 (max)
26 (max)
15.4.2001 8 4
31.3.2002 19 16
20.4.2003 19 18
11.4.2004 11 11
27.3.2005 14 20
16.4.2006 19 17
8.4.2007 18 17
23.3.2008 6 3 (min)
12.4.2009 23 23
4.4.2010 18 14
24.4.2011 22 21
8.4.2012 5 4
31.3.2013 2 (min)
5
20.4.2014 18 18
5.4.2015 8 6
27.3.2016 15 18
16.4.2017 14 10
1.4.2018 13 12
21.4.2019 22 24
12.4.2020 23 24
4.4.2021 10 13
17.4.2022 13 15
9.4.2023 10 13
31.3.2024 19 22
20.4.2025 22 21
5.4.2026 26 24

Zwischen 1991 und 2020 lag der mittlere Höchstwert in Wien bei 14,6 Grad und in Innsbruck bei 13,7 Grad. Das variable Datum des Osterfests spielt dabei eine entscheidende Rolle: Am 22. März beträgt der mittlere Höchstwert in Wien 12 Grad, am 25. April bereits bei 19 Grad. Temperaturen über 20 Grad wurden seit 1990 an sieben Ostersonntagen in Wien und Innsbruck gemessen (Im Jahr 2005 verpasste Innsbruck mit 19,9 Grad nur knapp die 20-Grad-Marke).

Titelbild © Adobe Stock

Auf Frühlingswetter folgt Temperatursturz und Winter-Comeback

Schnee Frühling

Österreich liegt zu Beginn der neuen Woche zwischen einem Hoch namens „Max“ im Norden und einem Höhentief über dem Mittelmeerraum. Die Temperaturen liegen meist leicht über dem jahreszeitlichen Mittel und erreichen am Mittwoch lokal bis zu 20 Grad. Am Mittwochabend erfasst aus Nordwesten jedoch die Kaltfront eines Tiefs namens „Livia“ das Land und leitet einen nachhaltigen Wetterumschwung ein. In der Nacht auf Donnerstag erfasst ein Schwall arktischer Kaltluft das Land und die Schneefallgrenze sinkt in den Alpen bis in die Tallagen ab. Die Temperaturen gehen um 10 bis 15 Grad zurück.

Entwicklung der Wetterlage von Dienstag bis Donnerstag: Eine Kaltfront erfasst Österreich.

Auch am Wochenende gelangen mit einer kräftigen Nordströmung kühle Luftmassen ins Land, besonders im Berg- und Hügelland zeichnet sich nochmals winterliches Wetter ab.

Zu Wochenbeginn frühlingshaft

Am Montag scheint zeitweise die Sonne, eine geringe Schauerneigung besteht tagsüber am ehesten im westlichen Bergland sowie von der Koralpe bis zum Ötscher und Schneeberg. In weiten Landesteilen bleibt es aber trocken und vor allem im Flachland überwiegt der freundliche Wettercharakter. Die Höchstwerte liegen zwischen 9 und 17 Grad, am mildesten wird es im Osten.

Der Dienstag beginnt örtlich mit hochnebelartigen Restwolken, tagsüber scheint bei nur harmlosen Wolken häufig die Sonne. Die Temperaturen steigen auf 12 bis 18 Grad.

Am Mittwoch mild, dann Temperatursturz

Am Mittwoch scheint in der ersten Tageshälfte im gesamten Land noch zeitweise die Sonne. In den Mittagsstunden ziehen an der Alpennordseite vermehrt Wolken auf und ausgehend von Vorarlberg setzt schauerartiger Regen ein. Im  Südosten bleibt es dagegen noch überwiegend sonnig und frühlingshaft mild: Die Höchstwerte erreichen von West nach Ost 11 bis 20 Grad.

Am Abend breitet sich der Regen auf die gesamte Alpennordseite aus und nachts wird es verbreitet nass. Die Schneefallgrenze sinkt im Westen von zunächst 1200 m rasch gegen 800 m und in der Nacht bis in viele Täler ab. In den Alpen ist auf vielen Straßen wieder mit winterlichen Verhältnissen zu rechnen. An der Alpennordseite frischt zudem lebhafter bis kräftiger Westwind auf, vorübergehend sind auch stürmische Böen möglich.

Prognose der Höchstwerte am Mittwoch und am Donnerstag (zum Vergrößern auf das Bild klicken).

Winter-Comeback in den Alpen

Der Donnerstag präsentiert sich von seiner trüben und nasskalten Seite. Aus dichten Wolken fällt zeitweise Regen bzw. im Berg- und Hügelland Schnee. Die Schneefallgrenze pendelt zwischen 300 und 500 m, in Osttirol und Kärnten sowie vom Inn- bis ins Waldviertel trocknet es tagsüber weitgehend ab. Die Sonne zeigt sich aber auch dort kaum. Bei kräftigem, am Alpenostrand gegen Abend sogar stürmischem Nord- bis Nordwestwind kommen die Temperaturen nicht mehr über 0 bis +8 Grad hinaus.

Am Freitag und am Wochenende bleibt es kühl, besonders in den östlichen Nordalpen fällt häufig Schnee. Zumindest zeitweise sind aber auch im Flachland wieder Schneeflocken dabei. Die Temperaturen kommen im Flachland kaum noch über 3 bis 5 Grad hinaus, zudem lässt der kräftige Nordwestwind die Luft noch kälter erscheinen. Nur der Süden ist bei föhnigem Nordwind leicht wetterbegünstigt.

Prognose für Salzburg via www.morecast.com
Der Trend für die Karwoche zeigt unterdurchschnittliche Temperaturen.

Eisige Winternacht: Örtlich sehr strenger Frost um -20 Grad

Frost

Österreich liegt derzeit unter dem Einfluss eines Hochs namens „Karen“. In der Nacht auf Montag steht bei klarem Himmel und wenig Wind vielerorts eine der kältesten Nächte des Winters bevor, mancherorts könnte es sogar die kälteste werden. Besonders im Berg- und Hügelland muss man verbreitet mit strengem Frost unter -10 Grad rechnen.

Prognose der Tiefstwerte für Orte <1500 m Höhe (zum Vergrößern auf das Bild klicken). © UWZ.at

Kältepole

Die typischen Kältepole Österreichs finden sich einmal mehr zum einen im Oberen Waldviertel und im angrenzenden Mühlviertel, zum anderen in manchen Hochtälern der Alpen. So werden in der Nacht auf Montag etwa in Lech am Arlberg, im Außerfern, im Defereggental und im Lungau örtlich Tiefstwerte um -20 Grad erwartet. Im Freiwald und im Raum Liebenau sind lokal sogar Temperaturen von bis zu -25 Grad möglich.

Prognose der Tiefstwerte am Montag. © UWZ

Etwas weniger kalt verläuft die Nacht im Süden und Osten des Landes, doch auch von der Südsteiermark über den Seewinkel bis in die Wiener Innenstadt ist mit mäßigem Frost um −5 Grad zu rechnen. An vielen Seen bildet sich derzeit eine Eisschicht, die teilweise aber noch  recht dünn ist. Bevor man das Eis betritt, sollte man aber unbedingt die Eisdicke kontrollieren. Mehr Infos dazu: Ab welcher Eisdicke kann man sicher Eislaufen?

Das erste Eis der Saison an der Alten Donau. © https://wrc-pirat.at

Strenger Frost

Für sehr strengen Frost müssen hierzulande mehrere Bedingungen zusammenkommen:

  • Kein Wind: Bei Windstille kann sich in Bodennähe ein flacher Kaltluftsee ausbilden. Stärkerer Wind würde die kalte Luft ständig mit wärmerer Luft aus höheren Schichten durchmischen und so die Abkühlung bremsen.
  • Klarer Himmel: Fehlen Wolken, kann die vom Boden abgestrahlte Wärme ungehindert ins All entweichen. Besonders tiefe Wolken wirken sonst wie eine isolierende Decke und halten die Wärme zurück.
  • Kalte, trockene Luft: Da Wasserdampf Wärme speichert, wird bei trockener Luft weniger Wärme zurückgehalten und die Abstrahlung ins All ist effizienter.
  • Schnee: Ein schneebedeckter Boden begünstigt die Abstrahlung und wirkt zugleich isolierend, sodass kaum Wärme aus dem Boden nachgeliefert wird.
  • Beckenlage: In flachen Beckenlagen kann die kalte, schwere Luft nicht abfließen. Sie sammelt sich am tiefsten Punkt und kühlt an Ort und Stelle immer weiter ab.

Die bislang tiefste Temperatur des Winters wurde vergangene Nacht am Brunnenkogel mit -24,4 Grad gemessen. In einem bewohnten Ort liegt hingegen vorerst noch Tannehim an der Spitze mit einem Tiefstwert von -20,1 Grad, gemessen am 23. November.

Aktuelle Wetterdaten kann man hier verfolgen.

Ab welcher Eisdicke kann man Eislaufen?

Zugefrorener See @ b_hanakam on VisualHunt / CC BY-NC-SA

Üblicherweise nimmt die Dichte von Stoffen mit abnehmender Temperatur zu, weshalb sich beispielsweise die kühlste Luft bei einer ruhigen Hochdrucklage im Winter immer am Boden eines Tals ansammelt. Es gibt jedoch ein paar Stoffe, darunter Wasser, die ein gegenteiliges, anomales Verhalten zeigen. So rücken die Moleküle des Wassers bei einer Temperatur von +4 Grad besonders nah zusammen und erreichen die maximale Dichte. Bei Temperaturen unter 4 Grad nimmt die Dichte des Wassers wieder etwas ab.

Der Weissensee in Kärnten. © it-wms

Die 4-Grad-Marke

Durch die Dichteanomalie des Wassers kühlt ein stehendes Gewässer im Laufe des Herbstes gänzlich auf 4 Grad ab, bevor sich das Wasser an der Oberfläche weiter in Richtung Gefrierpunkt abkühlen kann. Im Winter kommt es somit immer an der Oberfläche eines Gewässers zur Eisbildung, während am Seeboden eine 4 Grad „warme“ Schicht erhalten bleibt. Diese Eigenschaft des Wassers ist überlebenswichtig für die dortige Tier- und Pflanzenwelt.

Der Frauenwieserteich im Waldviertel. © http://wetter-hausruckviertel.at/

Freigabe

Die Freigabe einer Eisfläche erfolgt meist durch lokale Vereine (z. B. für Unterkärnten: www.evw.at). In der Regel wird aber nicht ein ganzer See freigegeben, sondern immer nur bestimmte, gekennzeichnete Bereiche, da die Eisdicke besonders im Uferbereich oder in der Nähe von Zuflüssen meist ungleichmäßig ist. Wer sich auf das glatte Parkett bewegt, sollte sich der damit verbundenen Gefahren aber bewusst sein! In der Regel soll das Eis eines stehenden Gewässers mindestens 8 cm dick sein, um es gefahrlos betreten zu können:

  • 5 cm: einzelne Personen
  • 8 cm: mehrere Personen
  • 12 cm: Schlittengespanne
  • 18 cm: Autos

Gefrorene Flüsse bzw. Fließgewässer sind viel gefährlicher als stehende Gewässer, diese sollte man also generell nicht betreten.

Der Ritzensee in Saalfelden. https://www.foto-webcam.eu/webcam/saalfelden/

Was Hurrikans, Zyklone und Taifune unterscheidet

Tiefdruckgebiete entstehen überall auf der Erde, unterscheiden sich jedoch je nach geografischer Breite deutlich. Tropische Tiefdruckgebiete bilden sich über warmen Ozeanen und beziehen ihre Energie aus der freigesetzten Wärme feuchter Luft. Sie sind meist symmetrisch aufgebaut, besitzen keine Fronten und können sich zu Wirbelstürmen verstärken. Je nach Entstehungsort werden sie dann Taifun, Hurrikan oder Zyklon genannt.

Tiefdruckgebiete der mittleren Breiten entstehen dagegen durch starke Temperaturgegensätze zwischen warmen und kalten Luftmassen. Sie können deutlich größer werden, besitzen Fronten und prägen mit wechselhaftem Wetter das Klima der mittleren Breiten. Sie können sich zu Sturmtiefs oder Orkantiefs verstärken.

Tropische Wirbelstürme

Als Hurrikan wird ein tropischer Wirbelsturm bezeichnet, der im einminütigen Mittel eine Windgeschwindigkeit von mindestens 118 km/h aufweist und im Bereich des Atlantiks oder des Nordostpazifiks auftritt. Der Begriff Hurrikan leitet sich von Huracán ab, dem Maya-Gott des Windes, des Sturmes und des Feuers. In anderen Regionen der Erde ist der Hurrikan hingegen unter anderen Namen bekannt: So heißt das gleiche Phänomen in Ostasien und im Westpazifik Taifun, im Indischen und im Südpazifik Zyklon und in Australien und Indonesien manchmal auch Willy-Willy (inoffizielle Bezeichnung).

Entstehung und Auftreten

Tropische Wirbelstürme entstehen für gewöhnlich in der Passatwindzone über den Weltmeeren. Eine Grundvoraussetzung für deren Bildung sind hohe Wassertemperaturen  (besonders effektiv ab etwa 26 Grad), da dann große Wassermengen verdunsten, die dem thermodynamischen System bei seiner Entwicklung enorme Energiemengen bereitstellen. Entsprechend treten die meisten tropischen Wirbelstürme in den Sommer- und Herbstmonaten der jeweiligen Regionen auf.

Struktur und Auswirkungen

Mit einem Durchmesser von einigen hundert Kilometern und einer Lebensdauer von mehreren Tagen gehören tropische Wirbelstürme zu den größten und langlebigsten meteorologischen Erscheinungen. Sie sind gekennzeichnet durch großflächige organisierte Konvektion und weisen eine geschlossene zyklonale Bodenwindzirkulation auf. Darüber hinaus kommt es bei entsprechender Intensität zur Ausbildung eines wolkenarmen Auges im Zentrum des Sturms, wo der Luftdruck im Extremfall unter 900 hPa sinkt. Am Rande des Auges treten die höchsten Windgeschwindigkeiten von teils mehr als 300 km/h auf. Neben dem starken Wind sind vor allem sintflutartige Regenfälle sowie Sturmfluten die größte Gefahr.

Saffir-Simpson-Skala

Es gibt unterschiedliche Skalen für die Klassifizierung der  Windstärken von tropischen Wirbelstürmen. Im Atlantik erfolgt dies mittels der sogenannten Saffir-Simpson-Skala, die in fünf Kategorien unterteilt ist. Nicht verwechseln darf man allerdings einen Hurrikan bzw. Taifun mit einem Tornado! Dieser entsteht auf völlig unterschiedliche Art und Weise im Bereich von Superzellengewittern und weist somit entsprechend andere Eigenschaften auf. Allein seine horizontale Ausdehnung ist um etwa das Tausendfache geringer.

Trockener Dezember, Silvester bringt zweigeteiltes Wetter

Im Flächenmittel gab es im Dezember in Österreich bislang nur 35 Prozent der üblichen Niederschlagsmenge, was dem trockensten Dezember seit 2016 entspricht. Besonders trocken war es in den Alpen, wo die vorläufige Niederschlagsbilanz mancherorts bei minus 80 Prozent liegt und entsprechend akuter Schneemangel herrscht.

Vorläufiger Niederschagsanteil im Dezember. © UBIMET
Vorläufige Geopotential-Anomalien im Dezember. In Mittel- und Nordeuropa gab es überdurchschnittlich viel Hochdruckeinfluss.

Das Jahresende bringt nur regional eine leichte Linderung der Trockenheit: Das blockierende Hoch über Nordeuropa verlagert sein Zentrum etwas weiter nach Westen zum Nordatlantik. Im Nordosten Österreichs machen sich Tiefausläufer aus Nordeuropa bemerkbar, im Westen überwiegt weiterhin der Hochdruckeinfluss. Nach dem Jahreswechsel verstärkt sich in Mitteleuropa generell der Tiefdruckeinfluss, wodurch auch im Westen die Chancen auf Niederschlag zunehmen.

U.a. im Westen herrscht Schneemangel. © www.foto-webcam.eu

Frostiger und sonniger Wochenbeginn

Am Montag liegt Österreich unter dem Einfluss eines Hochdruckgebiets namens „Jasmin“. Vom Bodensee bis nach Oberösterreich und in Unterkärnten hält sich teils zäher Nebel, sonst scheint verbreitet die Sonne. Die Temperaturen erreichen 0 bis +9 Grad mit den höchsten Werten im westlichen und südlichen Bergland.

Prognose der Tiefstwerte in der Nacht auf Montag für Wetterstationen bis 1500 m Höhe. © UBIMET

Am Dienstag regional etwas Schnee

Am Dienstag lässt der Hochdruckeinfluss nach und der Nordosten des Landes wird von einem Tiefausläufer namens „Roman“ gestreift. Im Süden und am Alpenhauptkamm scheint anfangs noch häufig die Sonne, sonst dominieren die Wolken und vom Tiroler Unterland bis ins Burgenland ziehen ein paar Schneeschauer durch. Tagsüber lockert es auch im Nordosten wieder auf, während der Schneefall in den östlichen Nordalpen vorübergehend etwas stärker wird: Vom Tennengau bis ins Mariazellerland kommen 5 bis 10 cm Schnee zusammen. Im Osten weht kräftiger, im Süden föhniger Nordwestwind. Von Nord nach Süd werden -2 bis +5 Grad erreicht.

Die Neuschneeprognose für den Dienstag. © UBIMET

Zu Silvester zweigeteilt

Der Mittwoch, Silvester, beginnt meist trocken und vor allem im Westen und Süden sonnig aufgelockert. Im Norden werden die Wolken jedoch dichter und tagsüber setzt vom Mühl- bis ins Weinviertel leichter Schneefall ein, welcher sich am Nachmittag auf den gesamten Norden und Osten ausbreitet. Im Süden und Westen bleibt es trocken. Der Wind legt weiter zu und weht im Norden und Osten zeitweise stürmisch aus West. Die Höchstwerte zwischen -3 und +4 Grad.

Aktuelle Prognose der Windspitzen am 31.12. © UBIMET

Die Silvesternacht verläuft von Vorarlberg über Kärnten bis in die Südweststeiermark häufig klar, sonst überwiegen die Wolken und im östlichen Berg- und Hügelland schneit es noch zeitweise leicht. Der Wind lässt etwas nach.

Aktuelle Prognose der Temperatur zum Jahreswechsel. © UBIMET

Ruhiger Start ins neue Jahr

Der Donnerstag, Neujahr, startet im Nordosten mit Restwolken und vereinzelt fallen im Bergland noch ein paar Schneeflocken. Am Vormittag trocknet es rasch ab und die Wolken lockern auf, nachfolgend scheint bei einigen Schleierwolken landesweit zumindest zeitweise die Sonne. Der Wind weht mäßig, anfangs auch noch lebhaft aus westlichen bis südlichen Richtungen. Maximal werden -2 bis +5 Grad erreicht.

Tiefdruckeinfluss nimmt zu

Am Freitag scheint vor allem im Süden und Südosten häufig die Sonne, während sich sonst die Wolken verdichten und im Norden im Tagesverlauf zeitweise etwas Schnee oder Schneeregen fällt. Die Prognose für das kommende Wochenende ist noch sehr unsicher: Mit zunehmendem Tiefdruckeinfluss überwiegen meist die Wolken und besonders am Sonntag sind regional Regen und Schneefall möglich.

Der Trend für die kommende Woche (zum Vergrößern auf das Bild klicken). © ECMWF

Weiße Weihnachten in Österreich: Wie stehen die Chancen?

Weihnachten

Österreich liegt derzeit unter Hochdruckeinfluss, das Wetter gestaltet sich entsprechend ruhig. Während in den Niederungen feuchtkühle Luft für nebelig-trübes Wetter sorgt, scheint im Bergland häufig die Sonne. Bis zum 23. Dezember ist keine nennenswerte Änderung in Sicht: Während es in den Nordalpen bei Höchstwerten bis zu 10 Grad leicht föhnig ist, bleibt es in den Niederungen verbreitet trüb. Am Heiligen Abend gelangt aus Nordosten allmählich kühlere Luft nach Österreich, gleichzeitig versorgt uns ein Mittelmeertief mit feuchter Luft. Damit fällt am 24. vor allem im Süden und Osten zeitweise etwas Regen und Schnee, wobei die Schneefallgrenze von anfangs 500 gegen 300 m absinkt bzw. später teils sogar bis in tiefe Lagen.

Die aktuelle Wahrscheinlichkeit für 1 mm Niederschlag in Form von Schnee am 24. bzw. in der Nacht auf den 25.12.25. Stand: 19.12.2025 © ECMWF/UBIMET

Regional Schnee möglich

Die besten Chancen auf nennenswerte Niederschlagsmengen bestehen aus heutiger Sicht von der Koralpe bis zum Semmering-Wechsel-Gebiet, in Teilen Kärntens, in den östlichen Nordalpen sowie in Teilen des Waldviertels – hier kann es also pünktlich zu Weihnachten weiß werden. Deutlich schlechter stehen die Chancen dagegen von Vorarlberg bis ins Innviertel. Insgesamt sind die Unsicherheiten jedoch noch groß – selbst im östlichen Flachland bestehen bei der bevorstehenden Ostlage noch Chancen.

Diese Modellprognose zeigt, wo bis Weihnachten mit Schneeakkumulation wahrscheinlich ist. Nahezu abgesichert ist etwas Neuschnee in Nordskandinavien sowie im Bergland von Nordspanien bis zu den Westalpen. In Österreich bestehen regional noch gute Chancen.

Weiße Weihnachten: Ein seltener werdendes Phänomen

Die Wahrscheinlichkeit für Schnee zu Weihnachten ist in Europa sowohl von der geographischen Lage als auch von der Höhenlage abhängig: Sie nimmt  einerseits von Südwest nach Nordost zu (geringerer atlantischer Einfluss), andererseits auch mit zunehmender Seehöhe.

Die Wahrscheinlichkeit für eine Schneedecke zu Heiligabend in Europa nimmt ab (hier ein Vergleich vom Zeitraum 1951-1980 mit 1991-2020). © ERA5-Auswertung von Daan van den Broek

Österreich: Starke Höhenabhängigkeit

In den Alpen liegt die Wahrscheinlichkeit ab einer Höhe von etwa 1200 m über 90 Prozent. In höheren Tallagen um 800 m liegt die Wahrscheinlichkeit immerhin noch bei 70 Prozent, in den größeren Tallagen um 600 m dann nur noch bei 40 Prozent. In den Niederungen treten weiße Weihnachten nur noch selten auf, im 30-jährigen Mittel liegt die Wahrscheinlichkeit etwa in Wien nur noch bei 20 Prozent und der Trend geht weiter abwärts. Am längsten ohne Schnee zu Weihnachten auskommen muss man in St. Pölten, wo zuletzt im Jahre 2007 am 24. Dezember Schnee lag.

Weiße Weihnachten in den Landeshauptstädten (zum Vergrößern auf das Bild klicken).

Die Wahrscheinlichkeit für weiße Weihnachten nimmt im Zuge der globalen Erwärmung immer weiter ab: Im östlichen Flachland in Österreich ist sie von etwa 60 Prozent in den 50er und 60er Jahren auf mittlerweile 20 Prozent gesunken. Schnee bleibt zwar Teil unseres Klimas (mehr dazu hier), er schmilzt aber tendenziell schneller, weshalb er auch zum richtigen Zeitpunkt fallen müsste (also nicht zu früh, sondern unmittelbar vor oder zu Weihnachten).

Die Wahrscheinlichkeit nimmt weiter ab (zum Vergrößern auf das Bild klicken).
Die Wahrscheinlichkeit für weiße Weihnachten in Mitteleuropa hat seit Mitte des letzten Jahrhunderts stark abgenommen. © ERA5-Auswertung von Daan van den Broek

Viel Schnee im Jahr 1969

Besonders in den 60er Jahren lag zu Weihnachten häufig Schnee, in Klagenfurt war es damals sogar jedes Jahr weiß. Die Rekorde aus dem Jahr 1969 im Norden und Osten haben bis heute Bestand: Damals gab es in Wien 30 cm, in Eisenstadt 39 cm und in St. Pölten sogar 50 cm der weißen Pracht. Letztmals Schnee in allen Landeshauptstädten zu Weihnachten gab es hingegen im Jahr 1996. Bei den Temperaturen liegen die Kälterekorde schon weit zurück, während 2013 bzw. in Eisenstadt auch 2023 neue Wärmerekorde aufgestellt wurden.

 

Titelbild © Adobe Stock

Reif, Raureif und Raueis

Frost

Ein häufiges Phänomen bei stabilen Hochdruckwetterlagen mit klaren Nächten im Winterhalbjahr ist der Reif. Während er im Flachland meist tagsüber wieder sublimiert, kann er sich in schattigen Tallagen über mehrere Tage hinweg halten: Der Reifansatz wird nämlich Nacht für Nacht etwas mächtiger. In extrem feuchten und schattigen Lagen, etwa entlang von Bächen und Flüssen, können die Reifkristalle mehrere Zentimeter groß werden. Besonders in West-Ost ausgerichteten Tälern kann man den starken Kontrast zwischen grünen, sonnigen Südhängen und reifig-weißen, schattigen Nordhängen bzw. Talböden beobachten.

Raureif
Raureif und Nebel in der Buckligen Welt. © www.foto-webcam.eu

Entstehung von Reif

Die Luft kann je nach Temperatur nur eine bestimmte Menge an Wasserdampf aufnehmen. Dabei gilt: Je höher die Temperatur, desto mehr Wasserdampf kann sie fassen. Kommt die Luft jedoch in Kontakt mit kalten Oberflächen, dessen Temperatur kälter als der eigene Taupunkt ist, kühlt sie sich ab und kann den gespeicherten Wasserdampf nicht mehr halten (siehe auch Taupunkt). Der Wasserdampf wächst bei Temperaturen unterhalb des Gefrierpunkts in Form von Eiskristallen typischerweise an Grashalmen oder Autos an. Dabei handelt es sich um Eisablagerungen in Form von Schuppen, Nadeln oder Federn. Dieser Prozess, bei dem der Wasserdampf der Luft in den festen Zustand übergeht, nennt man Resublimation.

Raureif

Raureif ist ein fester Niederschlag, der bei hoher Luftfeuchtigkeit, wenig Wind und kalten Temperaturen unter etwa -8 Grad an freistehenden Gegenständen wie etwa Bäume oder Zäune durch Resublimation entsteht (oft innerhalb einer Wolke bzw. bei Nebel). Er besteht meist aus dünnen, an Gegenständen nur locker haftenden und zerbrechlichen Eisnadeln oder -schuppen.

Raureif
Raureif im Wienerwald am 2.12.2020. © N. Zimmermann

Raueis

Raueis bzw. Raufrost entsteht meist bei Temperaturen knapp unter dem Gefrierpunkt und erhöhten Windgeschwindigkeiten, wenn unterkühlte Nebel- oder Wolkentropfen auf freistehende Gegenstände treffen. Raueis wächst entgegen der Windrichtung und ist relativ fest. Durch Lufteinschlüsse erscheint es milchig weiß.


Klareis

Eine weiter Form der Frostablagerung ist das Klareis. Es handelt sich um eine glatte, kompakte und durchsichtige Eisablagerung mit einer unregelmäßigen Oberfläche. Klareis entsteht bei Temperaturwerten zwischen 0 und -3 Grad durch langsames Anfrieren von unterkühlten Nebeltröpfchen an Gegenständen und kann zu schweren Eislasten anwachsen.

Klareis im Wienerwald am 19.12.2020. ©: M. Beisenherz

Titelbild © AdobeStock

Warm, wärmer, Dezember: Vom Winter keine Spur

Der Dezember war bislang in weiten Teilen des Landes von deutlich überdurchschnittlichen Temperaturen geprägt. Im Flächenmittel lagen die Werte bislang um rund 2 Grad über dem langjährigen Mittel. Besonders groß fielen die Abweichungen im Bergland und im äußersten Osten aus, während Inversionwetterlagen in manchen Tallagen der Nordalpen für durchschnittliche Verhältnisse gesorgt haben.

Der Dezember 2025 hat sehr mild begonnen und vorerst ist keine Änderung in Sicht.

In den kommenden Wochen deuten die Modelle auf rege Tiefdrucktätigkeit über dem Atlantik, während Mitteleuropa unter Hochdruckeinfluss liegt und nur vorübergehend von atlantischen Tiefausläufern beeinflusst wird. Mit einer überwiegend westlichen bis südwestlichen Strömung gelangen dabei weiterhin milde Luftmassen zum Alpenraum, wobei sich in den Niederungen regional kalte Luft hält und sich eine Inversionwetterlage einstellt.

Der Trend für die kommenden Wochen fällt überdurchschnittlich mild und deutlich zu trocken aus (zum Vergrößern auf das Bild klicken). © ECMWF

Schnee adé, Sonne olé

Der Wintereinbruch im November hat heuer in einigen Skigebieten einen frühen Saisonstart ermöglicht. Die derzeit noch günstige Ausgangslage in einigen Regionen wird allerdings nicht von Dauer sein: Bis auf Weiteres ist kein Neuschnee in Sicht und vor allem in mittleren Höhenlagen liegen die Temperaturen deutlich über dem jahreszeitlichen Mittel. In diesem Höhenbereich sind auch kaum günstige Zeitfenster für künstliche Beschneiung zu erwarten. Höher gelegene Skigebiete bekommen zwar ebenfalls keinen Neuschnee, können sich aber zumindest über reichlich Sonnenschein freuen – zudem hält sich der bereits gefallene Schnee hier deutlich besser.

Bis Heiligabend sind in Österreich höchstens geringe Niederschlagsmengen in Sicht. © ECMWF
In Oberkärnten war der November deutlich zu trocken. Der Unterschied zwischen den Süd- und Nordhängen ist derzeit besonders markant. © www.foto-webcam.eu

Erster Trend für Weihnachten

Die Kombination aus überdurchschnittlichen Temperaturen und nur wenig Niederschlag sorgt heuer für eine denkbar schlechte Ausgangslage für weiße Weihnachten. Ab dem 20. Dezember nehmen die Unsicherheiten in den Modellen jedoch deutlich zu. Derzeit deuten sie auf eine zögerliche Abkühlung rund um den 4. Advent hin. Verantwortlich dafür wäre nach aktuellem Stand eine sich einstellende „Hoch-über-Tief“-Wetterlage, also mit einem umfangreichen Hoch nördlich der Alpen und einem abgetropften Tief über dem zentralen oder südlichen Mittelmeer. Diese Konstellation bringt im Alpenraum allerdings meist nur geringe Niederschlagsmengen. Die ohnehin schon geringe klimatologische Wahrscheinlichkeit für weiße Weihnachten im Flachland fällt nach aktueller Modelllage daher noch etwas geringer aus.

Nach derzeitigem Stand liege die Temperaturen in mittleren Höhenlagen frühestens ab dem 4. Advent wieder im Bereich des langjährigen Mittels.
Die erste Wetterkarte für Heiligabend deutet im Alpenraum auf eine nördliche Höhenströmung unter erneut zunehmendem Hochdruckeinfluss. © ECMWF

Wetterrückblick: Der November 2025 in Deutschland

Schneefall im Herbst - Adobe Stock

Im landesweiten Flächenmittel lag die Temperatur im November 2025 nahezu im Durchschnitt, vergleicht man sie mit dem Mittel von 1991 bis 2020. Während die Abweichungen im Westen und Nordwesten zwischen etwa +0,5 und +1 Grad lagen, war es vor allem in Teilen Bayerns und Baden-Württembergs eine Spur kühler als üblich. In Regensburg und Freiburg etwa fiel der November um rund ein Grad kühler aus als sonst. Wenn man den Monat mit dem älteren Klimamittel von 1961 bis 1990 vergleicht, war er allerdings um etwa 1 Grad zu mild.

Die erste Monatshälfte war durch eine Inversionswetterlage geprägt, so gab es in höheren Lagen stark überdurchschnittliche Temperaturen, während es in den Niederungen regional oft nebelig-trüb war.

Höchste Temperaturen
  • 22,3 Grad Emmendingen (B-W; 13.11.)
  • 22,1 Grad Baden-Baden (B-W; 13.11.)
  • 22,0 Grad Freiburg (B-W; 13.11.), Bad Kohlgrub (BY; 14.11.)

Nach der Monatsmitte folgte dann eine Umstellung der Großwetterlage und mit Ankunft kalter Luftmassen polaren Ursprungs wurde der erste Wintereinbruch der Saison eingeleitet. Regional kam es dabei bis in tiefe Lagen zum ersten Schnee der Saison und zum Monatsende kam es vor allem im Südosten zu zwei ausgeprägten Lagen mit gefrierendem Regen.

Tiefste Temperaturen
  • -18,5 Grad Oberstdorf (BY; 23.11.)
  • -17,6 Grad Altenstadt (BY; 23.11.); Meßstetten (B-W; 22.11.)
  • -17,2 Grad Deutschneudorf (SN; 23.11.)
In der ersten Monatshälfte lag die Tagesmitteltemperatur auf der Zugspitze an drei Tagen auf Rekordniveau. Danach folgte ein Wintereinbruch.


Die Schneedecke erreichte in Oberstdorf eine maximale Höhe von 35 cm am 27. November. Auf der Zugspitze wurden bis zu 130 cm verzeichnet bzw. am Feldberg im Schwarzwald bis zu 83 cm.

In der Mitte trocken

Der Wechsel von Inversionswetterlagen und polarer Luftmassen hat zu einer negativen Niederschlagsbilanz geführt, im Flächenmittel betrug die Abweichung rund -32 Prozent. Besonders trocken war es in der Mitte des Landes, so gab es etwa in Frankfurt am Main, Erfurt, Leipzig und Dresden weniger als die Hälfte der üblichen Niederschlagssumme. Mehr Niederschlag als sonst gab es dagegen im äußersten Südwesten des Landes, so lagen auch die absolut nassesten Orte im Schwarzwald. Knapp überdurchschnittlich war die Bilanz aber auch im nördlichen Niedersachsen und in Teilen Bayerns.

Nasseste Orte
  • 198 mm Malsburg-Marzell (B-W)
  • 171 mm Todtmoos (B-W)
  • 162 mm Seebach / Schwarzwald (B-W)

Sonniger November

Während der Oktober in weiten Teilen des Landes weniger Sonnenschein als üblich brachte, war der November vielerorts überdurchschnittlich sonnig. Die größten Abweichungen gab es im Osten und im Südwesten, während die Bilanz in der Mitte um im Norden regional durchschnittlich war.

Sonnigste Orte
  • 128 Sonnenstunden Kempten (BY)
  • 126 Sonnenstunden Altenstadt (B-W)
  • 122 Sonnenstunden Kaufbeuren (BY)

Noch sonniger war es auf den Bergen, so wurden etwa auf der Zugspitze 160 Sonnenstunden verzeichnet. Teils weniger als 40 Sonnenstunden gab es dagegen mancherorts in Hessen und im äußersten Norden Bayerns.

Winter startet durch: Strenger Frost und etwas Schnee

Frost

Österreich liegt an diesem Wochenende zwischen einem Hoch, das sich von Frankreich bis ins Baltikum erstreckt, und einem Tief über dem Mittelmeerraum. In der Nacht auf Sonntag zieht zudem ein Höhentief über Ungarn in Richtung Slowakei. Dabei streift dessen Niederschlagsgebiet auch Österreich: In den Abendstunden setzt im Südosten leichter Schneefall ein, der sich über Nacht auf das östliche Flachland ausbreitet. Die Modelle unterscheiden sich noch etwas in den Mengen, im Mittel deuten sie jedoch auf rund 3 bis 6 cm Schnee hin.

Neuschneeprognose für die Nacht auf Sonntag.

Die Temperaturen liegen bei oder knapp unter 0 Grad, sodass sich im äußersten Osten eine dünne, geschlossene Schneedecke bilden kann. Bei lebhaftem, eisigem Nordwestwind sind zudem leichte Schneeverwehungen möglich. Am Sonntagmorgen fällt zunächst vor allem im Weinviertel noch etwas Schnee, im Laufe des Vormittags stellt sich aber überall trockenes Wetter ein und die Wolken lockern langsam auf.

-20 Grad im Gebirge

Bereits in der Nacht auf Samstag gab es in weiten Teilen des Landes Frost. Kältepol war das Tannheimer Tal mit einem Tiefstwert von -15,7 Grad. Noch eisiger war es im Hochgebirge: Etwa am Brunnenkogel in den Ötztaler Alpen wurden bis zu -22 Grad gemessen. Für die Jahreszeit sind diese Werte ungewöhnlich kalt, Rekorde wurden jedoch keine erreicht.

Traumhaftes Winterwetter in den Ötztaler Alpen. © www.foto-webcam.eu

Strenger Frost

In der Nacht auf Sonntag klart es im Westen regional auf, wodurch es ideale Bedingungen für eine noch kältere Nacht gibt. Von Vorarlberg bis in die westliche Obersteiermark sowie in Osttirol und Oberkärnten kündigt sich vielerorts strenger Frost um -10 Grad an, in manchen Hochtälern wie etwa in Lech am Arlberg geht es sogar in Richtung -20 Grad. Aktuelle Wetterdaten kann man hier verfolgen.

Prognose der Tiefstwerte in der Nacht auf Sonntag. Zum Vergrößern auf das Bild klicken. © UBIMET

 

Schnee und Eis: Der erste Wintereinbruch der Saison

ÖBB bei Schneefall

Eine Kaltfront hat zu Wochenbeginn den Alpenraum erreicht und in höheren Lagen für etwas Schnee gesorgt. Am Donnerstag erfasst eine weitere Kaltfront den Westen Österreichs und führt noch etwas kältere Luftmassen polaren Ursprungs ins Land. Von Vorarlberg bis Salzburg fällt zeitweise Schnee, während sich in den tiefsten Lagen, etwa im Rheintal, Regen dazumischt. Nach einer kurzen Wetterberuhigung steuert in der Nacht auf Freitag ein sich entwickelndes Tief über dem Mittelmeer neuerlich feuchte Luft in den Alpenraum, sodass der Schneefall in den Alpen erneut zunimmt.

Am Donnerstag sowie in der Nacht auf Freitag fällt zeitweise etwas Schnee (in blau dargestellt). Die Schneefallgrenze pendelt zwischen tiefen Lagen und etwa 700 m im Südosten.

Auf den Bergen 30 cm Schnee

In Summe sind am Donnerstag und Freitag in Tallagen oberhalb von etwa 700 bis 900 m rund 10 bis 20 cm Schnee zu erwarten, auf den Bergen am Alpenhauptkamm auch bis zu 30 cm. Im Flachland fallen nur vorübergehend ein paar Schneeflocken bzw. im Südosten fällt zeitweise auch Regen. Im äußersten Norden des Landes bleibt es größtenteils trocken. Vom Donauraum nordwärts sowie von Unterkärnten bis ins Burgenland ist entsprechend noch keine geschlossene Schneedecke zu erwarten. Am Wochenende stellt sich großteils trockenes, aber kaltes Winterwetter ein.

48h-Neuschneeprognose bis Freitagabend. © UBIMET

Österreich bereitet sich vor

Im Bergland hat die Wintersaison bereits begonnen und in diesen Tagen starten vielerorts auch in den Niederungen die Winterdienste durch. Unsere Meteorologen stehen dazu in engem Austausch, unter anderem mit den Winterdiensten von ASFINAG und ÖBB. Seit mittlerweile 20 Jahren erstellen wir Warnungen sowie Neuschneeprognosen für sämtliche Bahnhöfe Österreichs.

Gerade in den Alpen sind die Prognosen anspruchsvoll: Die Bahnhöfe und Verkehrsadern liegen zwischen 130 Metern Seehöhe im Burgenland und über 1.300 Metern in den Alpen, sodass zahlreiche Lokaleffekte berücksichtigt werden müssen. Viele Bahnstrecken verlaufen zudem durch bewaldete Abschnitte oder entlang steiler Bergflanken – etwa die Arlbergbahn, die Karwendelbahn oder die Tauernbahn. Präzise Wettervorhersagen sind hier besonders wichtig, um sich frühzeitig auf Naturgefahren wie starken Schneefall, erhöhte Lawinengefahr oder Sturmschäden vorbereiten zu können.

Seit 20 Jahren erfolgreiche Partnerschaft: Die ÖBB und UBIMET. Beitrag auf LinkedIn.

Gemeinsam mit der ÖBB werden auch zahlreiche Wetterstationen im ganzen Land betrieben, welche uns rund um die Uhr wertvolle Informationen liefern. Die ÖBB haben dazu ein aktuelles Video auf LinkedIn und YouTube geteilt, das auch Aufnahmen aus unserem Büro zeigt.

Frühwinterliches Wetter setzt sich fort

Die Großwetterlage in Europa ist bis auf Weiteres recht festgefahren. Die Modelle deuten in den kommenden Wochen auf rege Tiefdrucktätigkeit und unterdurchschnittliche Temperaturen in Mitteleuropa hin. Nach derzeitigem Stand setzt sich dieses Muster mit nur vorübergehenden Unterbrechungen bis zum Monatsende fort, sodass auch in den Niederungen Chancen auf Schneefall bestehen.

Die Temperaturen liegen in der kommenden Woche unter dem jahreszeitlichen Schnitt. © ECMWF
Auch Anfang Dezember deuten die Modelle auf unterdurchschnittliche Temperaturen hin. © ECMWF

Sonnensturm: Polarlichter in Deutschland

Auf der erdzugewandten Seite der Sonne kam es im Bereich einer komplexen Sonnenfleckengruppe in den vergangenen Tagen zu mehreren starken Eruptionen. Allein in den letzten drei Tagen haben sich drei Sonnenstürme auf den Weg zur Erde gemacht: Zwei davon sind in der vergangenen Nacht eingetroffen und haben auf der Erde einen schweren geomagnetischen Sturm der G4-Klasse ausgelöst. Das Timing war für Europa zwar nicht ideal, dennoch konnte man aber im Laufe der zweiten Nachthälfte bei klaren Verhältnissen vielerorts noch rötliche Polarlichter beobachten.

Der geomagnetische Sturm ging in der Nacht auf Mittwoch abrupt los.

Stärkster Sturm des Jahres

Der heutige geomagnetische Sturm war der bislang stärkste des Jahres und mit einem Dst-Index von -238 nT, gefolgt vom Neujahrssturm (-212 nT). Es handelt sich zudem um den bislang drittstärkste des aktuellen Sonnenzyklus, nach Mai 2024 (-406 nT) und Oktober 2024 (-333 nT).

Wir befinden uns aktuell knapp hinter dem Maximum des aktuellen Sonnenzyklus.
Der stärkste geomagnetische Sturm dieses Sonnenzyklus trat im Mai 2024 auf. Einen noch stärkeren Stur hatte es zuletzt im Jahr 2003 gegeben.

Weiterer CME erwartet

Nun heißt es abwarten auf die Schockfront eines weiteren CMEs, der sich gestern im Zuge eines starken X5.1-Flares auf den Weg zur Erde gemacht hat. Das Potenzial ist groß und der Höhepunkt des aktuell andauernden geomagnetischen Sturms könnte noch bevorstehen – einzelne Modelle berechnen für den bevorstehenden Sturm sogar eine Geschwindigkeit des Sonnenwinds im Bereich der Erde von über 1000 km/s! Damit ist neuerlich ein schwerer bzw. eventuell sogar extremer geomagnetischer Sturm möglich und die Chance auf Polarlichter ist kommende Nacht stark erhöht.


Wie immer sind die Unsicherheiten jedoch groß: Ähnlich wie bei einer sommerlichen Gewitterlage konnte man zwar schon mehrere Tage zuvor das Potenzial für einen schweren Sonnensturm erkennen, ob das „Gewitter“ – bzw. in diesem Fall der geomagnetische Sturm – dann tatsächlich eintrifft, lässt sich jedoch meist erst mit etwa einer Stunde Vorlaufzeit konkret vorhersagen, wenn der Sonnensturm die Raumsonden am L1-Punkt erreicht. Wie stark ein Sonnensturm das Erdmagnetfeld beeinflusst, hängt davon ab, wie sein Magnetfeld im Verhältnis zum Erdmagnetfeld ausgerichtet ist: Trifft ein südlich ausgerichtetes Magnetfeld des Sonnensturms auf das nach Norden gerichtete Magnetfeld der Erde, können sich die Feldlinien miteinander verbinden („magnetische Rekonnexion“). Dadurch gelangt besonders viel Energie in die Magnetosphäre, was zu intensiven Polarlichtern und starken geomagnetischen Stürmen führen kann. Ist das Magnetfeld des Sonnensturms hingegen nach Norden gerichtet, bleibt diese Kopplung weitgehend aus – die Auswirkungen auf die Erde sind dann deutlich schwächer. Hier findet ihr weitere Infos zum Thema Weltraumwetter.

Irdisches Wetter spielt nicht überall mit

In weiten Teilen des Landes ziehen in der kommenden Nacht ausgedehnte, hochliegende Wolkenfelder durch. Zeitweise sollte man jedoch auch den Himmel sehen können, und etwaige Nordlichter könnten durch die Wolken hindurch schimmern. In den Niederungen des Südens, zum Beispiel im Donauraum, am Bodensee oder streckenweise am Oberrhein, verhindert jedoch häufig Nebel die Sicht auf den Himmel. Wer Nordlichter beobachten möchte, muss sich daher in ein nebelfreies Gebiet begeben.

Eine aktuelle Wolkenprognose für Mittwochabend vom ICON-D2-Modell (Nebel in Blau, hochliegende Wolken in Grün).

Sonnensturm: Nordlichter in Österreich

Auf der erdzugewandten Seite der Sonne kam es im Bereich einer komplexen Sonnenfleckengruppe in den vergangenen Tagen zu mehreren starken Eruptionen. Allein in den letzten drei Tagen haben sich drei Sonnenstürme auf den Weg zur Erde gemacht: Zwei davon sind in der vergangenen Nacht eingetroffen und haben auf der Erde einen schweren geomagnetischen Sturm der G4-Klasse ausgelöst. Das Timing war für Europa zwar nicht ideal, dennoch konnte man aber im Laufe der zweiten Nachthälfte bei klaren Verhältnissen vielerorts noch rötliche Polarlichter beobachten.

Der geomagnetische Sturm ging in der Nacht auf Mittwoch abrupt los.

Stärkster Sturm des Jahres

Der heutige geomagnetische Sturm war der bislang stärkste des Jahres und mit einem Dst-Index von -238 nT, gefolgt vom Neujahrssturm (-212 nT). Es handelt sich zudem um den bislang drittstärkste des aktuellen Sonnenzyklus, nach Mai 2024 (-406 nT) und Oktober 2024 (-333 nT).

Wir befinden uns aktuell knapp hinter dem Maximum des aktuellen Sonnenzyklus.
Der stärkste geomagnetische Sturm dieses Sonnenzyklus trat im Mai 2024 auf. Einen noch stärkeren Sturm hatte es zuletzt im Jahr 2003 gegeben.
Aurora
Unzählige Webcams haben das Naturschauspiel eingefangen. © www.foto-wecbam.eu

Weiterer CME erwartet

Nun heißt es abwarten auf die Schockfront eines weiteren CMEs, der sich gestern im Zuge eines starken X5.1-Flares auf den Weg zur Erde gemacht hat. Das Potenzial ist groß und der Höhepunkt des aktuell andauernden geomagnetischen Sturms könnte noch bevorstehen – einzelne Modelle berechnen für den bevorstehenden Sturm sogar eine Geschwindigkeit des Sonnenwinds im Bereich der Erde von über 1000 km/s! Damit ist neuerlich ein schwerer bzw. eventuell sogar extremer geomagnetischer Sturm möglich und die Chance auf Polarlichter ist kommende Nacht stark erhöht.


Wie immer sind die Unsicherheiten jedoch groß: Ähnlich wie bei einer sommerlichen Gewitterlage konnte man zwar schon mehrere Tage zuvor das Potenzial für einen schweren Sonnensturm erkennen, ob das „Gewitter“ – bzw. in diesem Fall der geomagnetische Sturm – dann tatsächlich eintrifft, lässt sich jedoch meist erst mit etwa einer Stunde Vorlaufzeit konkret vorhersagen, wenn der Sonnensturm die Raumsonden am L1-Punkt erreicht. Wie stark ein Sonnensturm das Erdmagnetfeld beeinflusst, hängt davon ab, wie sein Magnetfeld im Verhältnis zum Erdmagnetfeld ausgerichtet ist: Trifft ein südlich ausgerichtetes Magnetfeld des Sonnensturms auf das nach Norden gerichtete Magnetfeld der Erde, können sich die Feldlinien miteinander verbinden („magnetische Rekonnexion“). Dadurch gelangt besonders viel Energie in die Magnetosphäre, was zu intensiven Polarlichtern und starken geomagnetischen Stürmen führen kann. Ist das Magnetfeld des Sonnensturms hingegen nach Norden gerichtet, bleibt diese Kopplung weitgehend aus – die Auswirkungen auf die Erde sind dann deutlich schwächer. Hier findet ihr weitere Infos zum Thema Weltraumwetter.

Irdisches Wetter spielt nicht ganz mit

In den Alpen von Vorarlberg bis in die Obersteiermark und Kärnten sowie in den Hochlagen des Mühl- und Waldviertels ziehen in der Nacht auf Donnerstag ausgedehnte, hochliegende Schleierwolken durch. Zeitweise sollte man jedoch auch den Himmel sehen können und etwaige Nordlichter könnten durch die Wolken hindurch schimmern. Im Flachland verhindert jedoch oft Nebel die Sicht auf den Himmel, weshalb man für eine Sichtung in ein nebelfreies Gebiet begeben muss. Die Nebelobergrenze liegt im Osten in etwa 600 bis 800 m Höhe.

Eine aktuelle Nebelprognose (in Blau) für Mittwochabend vom ICON-D2-Modell.
Aktuelle Prognose der Nebelobergrenze am Mittwochabend. Um eindeutig oberhalb des Nebels zu liegen, sollte man sich im Osten mindestens in 700 bis 800 m Höhe befinden.

Hoch Wencke: Bis zu 20 Grad im Bergland, Nebel im Flachland

Inversionswetterlage

Österreich liegt in den kommenden Tagen unter Hochdruckeinfluss und die Luft in mittleren Höhenlagen wird von Tag zu Tag milder. Bei nur geringen Druckgegensätzen stellt sich ab Dienstag eine klassische Inversionswetterlage ein. Die höchsten Temperaturen werden in Höhenlagen zwischen 800 und 1300 Metern Höhe erreicht. Die Wärme entsteht nicht nur durch das Heranführen milder Luftmassen, sondern auch durch Subsidenz, also das Absinken der Luft unter Hochdruckeinfluss.

Von den Azoren bis nach Skandinavien liegt eine Reihe an Tiefdruckgebieten. An deren Ostrand liegt der Alpenraum unter Hochdruckeinfluss.

Teils sonnig, teils neblig

Der Mittwoch verläuft im Bergland häufig sonnig, die Nebelfelder in den inneralpinen Tälern lösen sich bis Mittag auf. Im Donauraum, im Osten sowie im Grazer und Klagenfurter Becken ist dagegen mit oft hartnäckigem Nebel zu rechnen. Der Wind weht meist nur schwach, lediglich auf den Bergen im Westen leicht föhnig aus südlichen Richtungen. Je Nebelauflösung steigen die Temperaturen auf 6 bis 16 Grad.

Eine aktuelle Nebelprognose (in Blau) für Mittwochvormittag vom ICON-D2-Modell.

In mittleren Höhenlagen bis zu 20 Grad

Am Donnerstag und Freitag halten sich abseits der Alpen sowie im Rheintal und in den südlichen Becken zähe Nebel- und Hochnebelfelder, im Nordosten bleibt es oft ganztags trüb. Im Bergland scheint dagegen bei nur harmlosen Schleierwolken verbreitet die Sonne. Bei zähem Nebel kommen die Temperaturen kaum über 5 bis 9 Grad hinaus, in den sonnigen Regionen erreichen sie tagsüber 10 bis 16 und im Westen in mittleren Höhen örtlich bis zu 20 Grad. Zum Teil kommt es zu sehr großen Unterschieden auf engem Raum, wie etwa im Salzkammergut. Weitere Infos zu Inversionswetterlagen gibt es hier: Nebel und Hochnebel in Österreich.

Die aktuelle Prognose der Höchstwerte am Donnerstag vom ICON-Modell. Man erkennt in Grün die Regionen, wo es ganztags trüb bleibt (zum Vergrößern auf das Bild klicken).

Am Samstag scheint abseits des im Flachland häufig zähen Nebels noch zeitweise die Sonne, im Tagesverlauf werden die Wolken aber von Südwesten her immer dichter. Am Nachmittag und Abend fällt im Westen sowie entlang und südlich des Alpenhauptkamms vereinzelt etwas Regen, häufig geht der Tag aber trocken zu Ende. Bei meist nur schwachem Wind liegen die Höchstwerte zwischen 6 und 15 Grad. Eine Umstellung der Wetterlage kündigt sich zu Beginn der kommenden Woche an: Mit Durchzug einer Kaltfront gelangen kühle Luftmassen ins Land und regional ist auch etwas Regen bzw. auf den Bergen Schnee in Sicht.

In etwa 1500 m Höhe liegen die Temperaturen um mehr als 10 Grad über dem jahreszeitlichen Mittel.

Schwerer geomagnetischer Sturm möglich

Auf der erdzugewandten Seite der Sonne gab es in den vergangenen Tagen mehrere starke Eruptionen. Am Mittwoch und Donnerstag herrscht ein erhöhtes Potenzial für einen starken, eventuell auch schweren geomagnetischen Sturm. Damit ist in den Nächten auch die Chance für Polarlichter erhöht. Im Flachland verhindert oft Nebel die Sicht, abseits davon gibt es aber gute Beobachtungschancen. Hier findet ihr weitere Infos zum Thema Weltraumwetter.

Inversionswetterlage mit Nebel und Hochnebel

Nebel

Zu dieser Jahreszeit stellt sich unter beständigem Hochdruckeinfluss meist eine sogenannte Inversionswetterlage ein. Diese zeichnet sich durch eine Umkehr der normalerweise vorherrschenden Abnahme der Temperatur mit der Höhe aus, so ist es in mittleren Höhenlagen milder als in den Tal- und Beckenlagen. Dies hat zwei Ursachen:

  • Den Sonnenstand
  • Die Subsidenz bei Hochdrucklagen

Lange Nächte

Die Nächte in Mitteleuropa sind bereits über 14 Stunden lang und die Sonne steht tagsüber etwa in Wien maximal 25 Grad über dem Horizont. Die unteren Luftschichten kühlen in den langen Herbstnächten stark aus und besonders in den Tal- und Beckenlagen entstehen sogenannte Kaltluftseen, die durch die immer schwächere Sonne erst spät oder gar nicht mehr ausgeräumt werden können.

Im Herbst gibt es viel Nebel
Nebel im Rheintal. © www.foto-webcam.eu

Subsidenz

Kräftige Hochdruckgebiete im Herbst sorgen in der freien Atmosphäre für eine absinkende Bewegung der Luft („Subsidenz“). Wenn Luft absinkt, dann gelangt sie unter höheren Luftdruck und wird demzufolge komprimiert und erwärmt. Dies hat zur Folge, dass die Luft im Gebirge oft sehr trocken und die Fernsicht ausgezeichnet ist. Die Grenze zum darunterliegenden Kaltluftsee wird dann besonders markant und fördert beständigen Nebel oder Hochnebel.

In den Tallagen hält sich Nebel
Inversion mit Subsidenz im Winter. © UBIMET / www.foto-webcam.eu

Während in den Tälern und Niederungen also graues und kühles Wetter herrscht, kann es in mittleren Höhenlagen tagsüber bei Sonnenschein mitunter auch mehr als 15 Grad milder sein! Aber auch ohne Hochnebel ist es unterhalb der Inversion häufig dunstig, denn durch die fehlende Durchmischung mit der oberen Atmosphäre sammeln sich Feuchte und Schadstoffe langsam an und die Sicht ist getrübt.

Weitere Infos zu Nebel und Hochnebel in Österreich gibt es hier.

Eine Inversionswetterlage
Eine Dunstschicht im Zuge einer Inversionswetterlage in Osttirol. © www.foto-webcam.eu

Blockierte Wetterlagen

Europa liegt zwar klimatologisch in der Westwindzone, derzeit ist der atlantische Einfluss auf unser Wetter allerdings verschwindend gering: Das Westwindband über dem Ostatlantik wird nämlich von einem blockierenden Hochdruckgebiet mit Kern über Osteuropa weit nordwärts umgelenkt, weshalb etwaige atlantische Tiefausläufer auf Skandinavien treffen. Blockierte Hochdruckgebiete können manchmal mehrere Wochen lang andauern, dann kommt es im Herbst mitunter zu andauernden Inversionswetterlagen.


Titelbild © https://www.foto-webcam.eu/

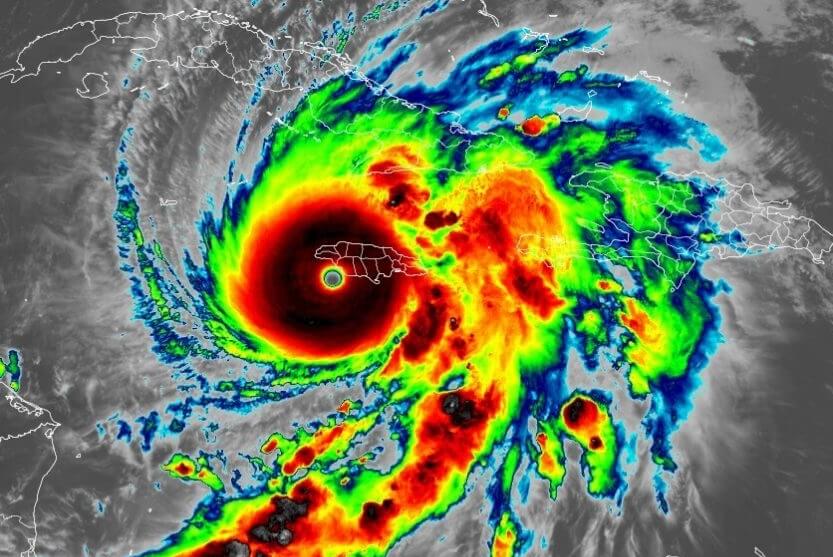
Hurrikan Melissa – einer der stärksten atlantischen Hurrikane aller Zeiten

Am Dienstag fegte der Hurrikan Melissa als Kategorie-5-Hurrikan über den Westen Jamaikas hinweg. Der Landfall erfolgte gegen 13 Uhr Ortszeit in der Nähe der Ortschaft New Hope, nachdem sich das Tief in den Tagen zuvor rapide verstärkt hatte. Kurz vor dem Landfall erreichten die mittleren Windgeschwindigkeiten rund 300 km/h, womit Melissa zu den stärksten atlantischen Hurrikanen aller Zeiten zählt.

Noch wenige Wochen zuvor war Melissa lediglich als schwache Störung über den Atlantik gezogen. Beim Eintritt in die Karibik verringerte sich die Zuggeschwindigkeit deutlich, und über dem Wasser begann eine rasante Verstärkung. Am Montag erreichte der Sturm die maximale Kategorie 5 auf der Saffir-Simpson-Skala. Aufgrund der extremen Wind- und Turbulenzbedingungen war die Einsatzcrew der Hurricane Hunters gezwungen, das Auge zwischenzeitlich zu verlassen.


Am Dienstag verschlechterte sich die Lage im Westen Jamaikas rasch: Bäume und Häuser wurden umgeknickt bzw. zerstört, großflächige Stromausfälle traten auf. In Black River wurde das Dach eines Krankenhauses abgerissen, und u.a. die St Elizabeth Technical High School meldete schwere Schäden.


Melissa war nahe genug an der Insel Hispaniola sowie Jamaika, um schon Tage vor dem Landfall sintflutartige Regenfälle in Gang zu setzen. In manchen Regionen addieren sich summierte Niederschläge wahrscheinlich auf etwa 600-900 mm, was zahlreiche Hangrutsche und Überflutungen durch ausufernde Flüsse zur Folge hatte. Viele Gemeinden standen unter Wasser – betroffen war insbesondere der Westen Jamaikas; die Hauptstadt Kingston blieb zwar weitgehend von den stärksten Winden und Hochwasserfällen verschont.

Melissa zieht aktuell über Ost-Kuba hinweg und wird in weiterer Folge die östlichen Bahamas überqueren, bevor sie sich in den offenen Atlantik zurückzieht.

Sturm, Orkan und die Beaufortskala

Sturm Orkan

Phänomenologisch beschreibt die Beaufortskala die Wirkung der Windgeschwindigkeit, sowohl auf dem Land als auch auf dem Meer, in 13 Stärken bzw. Stufen von 0 (= Windstille, Flaute) bis 12 (= Orkan).

Beaufort
km/h Bezeichnung der Windstärke Bezeichnung des Seegangs Wirkung auf dem Land
0 0-1 Windstille, Flaute völlig ruhige, glatte See keine Luftbewegung
1 1-5 leichter Zug Ruhige, gekräuselte See kaum merklich, Windfahnen unbewegt
2 6-11 leichte Brise schwach bewegte See Blätter rascheln, Wind im Gesicht spürbar
3 12-19 schwache Brise schwach bewegte See Blätter und dünne Zweige bewegen sich
4 20-28 mäßige Brise leicht bewegte See Zweige bewegen sich
5 29-38 frische Brise mäßig bewegte See größere Zweige und Bäume bewegen sich, Wind deutlich hörbar
6 39-49 starker Wind grobe See dicke Äste bewegen sich, hörbares Pfeifen
7 50-61 steifer Wind sehr grobe See Bäume schwanken, Widerstand beim Gehen gegen den Wind
8 62-74 stürmischer Wind mäßig hohe See große Bäume werden bewegt, beim Gehen erhebliche Behinderung
9 75-88 Sturm hohe See Äste brechen, kleinere Schäden an Häusern, beim Gehen erhebliche Behinderung
10 89-102 schwerer Sturm sehr hohe See Bäume werden entwurzelt, Baumstämme brechen, größere Schäden an Häusern; selten im Landesinneren
11 103-117 orkanartiger Sturm schwere See heftige Böen, schwere Sturmschäden, schwere Schäden an Wäldern, Gehen ist unmöglich; sehr selten im Landesinneren
12 >117 Orkan außergewöhnlich schwere See schwerste Sturmschäden und Verwüstungen; sehr selten im Landesinneren

Sturm und Orkan

Als Sturm werden mittlere Windgeschwindigkeiten (über 10 Minuten gemessen) von mindestens 75 km/h oder 9 Beaufort bezeichnet. Wenn ein Sturm eine Windgeschwindigkeit von mindestens 118 km/h oder 12 Beaufort erreicht, spricht man hingegen von einem Orkan. Erreicht der Wind nur kurzzeitig Sturmstärke, also für wenige Sekunden, so spricht man von Sturmböen bzw. ab 118 km/h von Orkanböen. Wenn der Wind im Mittel mit 45 km/h weht, es aber Böen von 75 km/h gibt, handelt es sich nicht um einen Sturm, sondern um starken Wind mit Sturmböen. Die Wetterdienste sprechen von einem Sturmtief allerdings bereits ab mittleren Windgeschwindigkeiten der Stärke 8  bzw. von einem Orkantief ab mittleren Windgeschwindigkeiten der Stärke 11.

Francis Beaufaurt

Die Beaufortskala verdankt ihren Namen den britischen Hydrographen Francis Beaufort, der die Skala 1806 das erste mal in dieser Form veröffentlichte. Gute 30 Jahre später wurde die Skala dann von der britischen Admiralität als verbindlich eingeführt, allerdings ohne auf Beaufort Bezug zu nehmen. Erst 1906 machte der britische Wetterdienst diese als ‚Beautfortskala‘ bekannt.

Titelbild © Adobe Stock

Nebel in Deutschland

https://pixabay.com/de/photos/nebel-haus-wiese-weg-stra%c3%9fe-feld-5879649/

Was ist Nebel?

Nebel ist eine am Boden aufliegende Wolke. In der Meteorologie spricht man von Nebel, wenn die horizontale Sichtweite unter 1 Kilometer liegt. Wie eine Wolke besteht auch Nebel aus kondensiertem Wasserdampf. Die in der Luft schwebenden, mikroskopisch kleinen Wassertröpfchen verringern die Sichtweite, dabei liegt die relative Luftfeuchte im Bereich der Sättigung (100%). Wenn die Sicht eingeschränkt, aber noch über einem Kilometer liegt, spricht man von feuchtem Dunst.

Was ist Hochnebel?

Hochnebel ist eine Nebelschicht, die sich an einer Temperaturinversion ausbreitet, die nicht direkt am Boden liegt, sondern in etwa 400 bis 2000 m Höhe. Die Sichtweite bei Hochnebel liegt in den Niederungen über 1 Kilometer, die Wolkenuntergrenze liegt aber sehr tief. Nebel und Hochnebel entstehen besonders häufig bei Inversionswetterlagen.

Schematischer Querschnitt im Donauraum bei Nebel und Hochnebel.

Typische Verteilung von Nebel

Nebel tritt in Deutschland besonders häufig im Bodenseeraum, am östlichen Hochrhein sowie generell in den Donauniederungen auf. Dort sammelt sich oft feuchtkalte Luft, da Alpen, Schwäbische und Fränkische Alb, sowie der Bayerwald eine Art Beckenrand bilden. Die Region ist dadurch windgeschützt und die kalte Luft sozusagen „gefangen“ – unter bestimmten Bedingungen kann sie sich tage- oder sogar wochenlang halten. Häufig nebelig ist es aber auch entlang der größeren Flussläufe der Mittelgebirge, etwa Weser, Werra, Fulda, Leine und Main.

Nebelkarte in Deustchland
Relative Nebelhäufigkeit in Deutschland (Quelle: http://archiv.nationalatlas.de)

Verhältnismäßig selten sieht man Nebel von der Kölner Bucht bis ins Sauerland, allerdings kommt es in diesem Gebiet häufig zu Hochnebel. Am wenigsten Nebel oder Hochnebel gibt es in den Hochlagen der Alpen sowie der Mittelgebirge, da die Obergrenze nur selten über etwa 1500 m Höhe liegt. Hier scheint bei Inversionswetterlagen oft ungetrübt die Sonne.

Am Bodensee ist es besonders oft nebelig. Bild © www.foto-webcam.eu

Wie entsteht Nebel?

Im Herbst werden die Tage kürzer und die Nächte länger. Bei windstillen Verhältnissen und klaren Nächten kühlt die Luft stark ab und sammelt sich in Tälern und Senken. Immer öfter bildet sich darin ein Kaltluftsee, in dem es kühler ist als auf den umliegenden Hügeln und Bergen. Kalte Luft ist dichter als warme Luft und fließt von der Schwerkraft angetrieben zum niedrigsten Punkt eines Beckens bzw. einer Senke. Hinzu kommt, dass kalte Luft weniger Feuchtigkeit aufnehmen kann und somit schnell vollständig mit Wasserdampf gesättigt ist. Weiters werden durch diverse Abgase (von Industrie und Verkehr) und Hausbrand viele Aerosole (z.B. Rußpartikel) in den Kaltluftsee eingebracht. Die hohe Wasserdampfsättigung und die vorhandenen Aerosole begünstigen die Kondensation der feuchten Luft, also den Übergang vom gasförmigen in den flüssigen Zustand. Die daraus entstandenen, feinen Wassertröpfchen bezeichnen wir als Nebel. Passiert dieser Vorgang in einem Kaltluftsee, dann entsteht Nebel oder Hochnebel.

Luftschichtung bei einer Inversionswetterlage. © UBIMET

Auch das Absinken sowie das Eintreffen von milden Luftmassen in der Höhe kann aber zur Entstehung von Kaltluftseen führen, mehr Infos dazu gibt es hier: Inversionswetterlagen und Subsidenz. Im Laufe des Herbstes werden Nebelfelder jedenfalls immer langlebiger und zäher, da die Sonne nicht mehr die nötige Energie liefert, um diese „wegzuheizen“. Die Kaltluftseen können sich dann oft von Tag zu Tag weiter ausdehnen, wodurch die Nebelwahrscheinlichkeit weiter ansteigt.

Nebel in der Rhön. Bild via Kaltennordheim.

Wann löst sich Nebel auf?

Zur Nebelauflösung kommt es dann meist erst, wenn starker Wind die bodennahe Kaltluft wegfegt. Häufig ist das im Zuge von Kaltfronten oder durch Föhn der Fall. Aber auch eine Wolkenschicht über dem Nebel reicht, damit sich die Nebelfelder lichten. Weiters lichtet sich der Nebel aus, wenn der Wind kontinentale, trockene Luft heranführt. Gerade der Wind ist auch der Grund, warum das Flachland in der Regel seltener von Nebel betroffen ist.

In Bayerns ist es oft schwach windig und damit auch häufig nebelig. Bild © www.foto-webcam.eu
Der Funtensee stellt einen sehr kleinräumigen, aber effektiven Kaltluftsee dar. Bild © www.foto-webcam.eu
Nebel und Hochnebel in Mitteleuropa am 8. November 2024.

Quelle Titelbild: pixabay

Nebel und Hochnebel in Österreich

Nebel im Herbst

Nebel tritt vor allem in der kühlen Jahreszeit auf, ganz besonders im Herbst und Frühwinter bei windschwachen Verhältnissen. Die Grundvoraussetzungen sind lange Nächte, ein tiefer Sonnenstand und ausreichend Feuchtigkeit in tiefen Luftschichten. Entscheidend dabei ist, dass Luft nur eine begrenzte Menge an Wasserdampf enthalten kann, und diese wird mit abnehmender Temperatur geringer: Bei atmosphärischem Normaldruck kann ein Kubikmeter Luft bei 0 Grad maximal 4,8 g Wasser aufnehmen, bei 25 Grad sind es dagegen schon 23 g. Im Sommer ist dies auch der Hauptgrund, weshalb die Gefahr von Starkregen im Zuge des Klimawandels zunimmt (mehr dazu hier: Klimawandel und Starkregen).

Was ist Nebel?

Nebel ist eine am Boden aufliegende Wolke. In der Meteorologie spricht man von Nebel, wenn die horizontale Sichtweite unter 1 Kilometer liegt. Wie eine Wolke besteht auch Nebel aus kondensiertem Wasserdampf. Die in der Luft schwebenden, mikroskopisch kleinen Wassertröpfchen verringern die Sichtweite, dabei liegt die relative Luftfeuchte nahe der Sättigung (100%). Wenn die Sicht eingeschränkt, aber noch über einem Kilometer liegt, spricht man von feuchtem Dunst.

Schattenstrahlen am Oberrand des Nebels (das Sonnenlicht wird an den kleinen Nebeltröpfchen gestreut). Mehr dazu: Optische Phänomene im Nebel

Was ist Hochnebel?

Hochnebel ist eine Nebelschicht, die sich an einer Temperaturinversion ausbreitet, die nicht direkt am Boden liegt, sondern in etwa 500 bis 2000 m Höhe. Die Sichtweite bei Hochnebel liegt in den Niederungen über 1 Kilometer, die Wolkenuntergrenze liegt aber sehr tief. Nebel und Hochnebel entstehen besonders häufig bei Inversionswetterlagen.

Schematischer Querschnitt im Donauraum bei Nebel und Hochnebel.

Was ist eine Inversionswetterlage?

Inversionwetterlagen zeichnen sich durch eine Umkehr der sonst üblichen Temperaturabnahme mit der Höhe aus, in mittleren Höhenlagen ist es also milder als in den Niederungen. Aufgrund der fehlenden Durchmischung mit der oberen Atmosphäre kommt es bei solchen Wetterlagen in den Niederungen zu erhöhten Konzentrationen an Schadstoffen, weshalb die Luftqualität vor allem in Industriegebieten sowie in Tallagen, wo viel mit Holz geheizt wird, deutlich vermindert ist.

Der Dunst im Tal verrät die Höhe der Temperaturinversion bzw. des Kaltluftsees.

Bei einer Inversionswetterlage hält sich in den Niederungen ein sogenannter „Kaltluftsee“. Die Temperaturinversion kann dabei mehr als 10 Grad betragen, weshalb Wanderungen in den mittleren Höhenlagen besonders empfehlenswert sind (mehr Infos dazu gibt es hier: Inversionswetterlagen und Subsidenz). Im Laufe des Novembers werden Nebelfelder immer zäher, weil die Sonne nicht mehr die nötige Energie liefert, um die Kaltluftseen „wegzuheizen“.

Ein Querschnitt durch den sog. Kaltluftsee im Donauraum bei einer winterlichen Inversionswetterlage. Nur starker Wind kann diesen vertreiben.

Wie entsteht Nebel? 

Grundsätzlich entsteht Nebel, wenn die relative Feuchtigkeit der Luft 100 % erreicht und der in der Luft enthaltene Wasserdampf an winzigen Aerosolen zu Wassertröpfchen kondensiert. Dies kann einerseits passieren, wenn sich die Luft bis zum Taupunkt abkühlt, andererseits auch wenn es zu einer Zunahme des Wasserdampfes durch Verdunstung kommt. Auch bei Mischung von feuchtwarmer mit kalter Luft kann es zu Nebel kommen. Je nach Entstehungsart gibt es unterschiedliche Nebeltypen:

  • Abkühlungsnebel (z.B. Strahlungsnebel, orographischer Nebel bwz. Hangnebel sowie auch Advektionsnebel)
  • Verdunstungsnebel (z.B. Seerauch)
  • Mischungsnebel bzw. Frontnebel (z.B. bei Warmfronten, wenn Regen in eine kalte Luftmassen in Bodennähe fällt)

Wo kommt es häufig zu Nebel?

In manchen Tal- und Beckenlagen wie dem Mürztal, dem Klagenfurter Becken oder dem Oberösterreichischen Seengebiet kommt es oft schon im August zum ersten Nebel der Saison, im September wird der Nebel dann immer häufiger und zäher. Ab etwa Mitte Oktober tritt am Bodensee und im Donauraum zudem immer häufiger Hochnebel auf. Die im Mittel trübste Region des Landes ist im Herbst das Alpenvorland in Oberösterreich von Wels bis zum Alpenrand.

Mittlere Luftfeuchte in den vergangenen Tagen. Während die Luft auf den Bergen sehr trocken war, gab es in den Niederungen eine hohe relative Luftfeuchtigkeit.

Die meisten Sonnenstunden von Oktober bis Dezember gibt es auf den Bergen, etwa auf der Villacher Alpe oder am Patscherkofel sind es durchschnittlich mehr als 400 Stunden. Am wenigsten Sonnenschein gibt es dagegen u.a. in Wels mit knapp 140 Sonnenstunden sowie in Litschau mit 180 Sonnenstunden. Noch weniger Sonnenstunden werden stellenweise in engen alpinen Tallagen verzeichnet, allerdings ist hier die Abschattung durch die umliegenden Berge ausschlaggebend.

In den Niederungen Unterkärntens wie etwa im Jauntal gibt es sehr oft Nebel. Bild © it-wms

Bei den Landeshauptstädten gibt es mit Abstand die meisten Nebeltage pro Jahr in Klagenfurt, die wenigsten in Innsbruck. Das östliche Flachland liegt im unteren Mittelfeld, da es hier häufiger zu Hochnebel statt Nebel kommt.

Mittlere Sonnenstunden (Okt. bis Dez.) Trübe Tage (mittl. Bewölkung >80%) (Okt. bis Dez.) Mittl. relative Feuchte um 7 Uhr (Okt. bis Dez.)
Klagenfurt 271 h 44 94 %
Linz 227 h 56 90 %
Salzburg 287 h 48 90 %
Graz 326 h 45 91 %
Wien 255 h 46 86 %
Eisenstadt 270 h 46 86 %
St. Pölten 237 h 51 90 %
Bregenz 238 h 46 89 %
Innsbruck 356 h 44 90 %

In Klagenfurt gibt es zwar besonders häufig Nebel, die mittlere Anzahl der trüben Tage zeigt aber, dass dieser hier vergleichsweise oft auflockert. Die wenigsten Sonnenstunden und die meisten trüben Tage gibt es von Oktober bis Dezember in Linz und St. Pölten. Die meisten Sonnenstunden in einer Landeshauptstadt gibt es dagegen in Innsbruck.

Mittlere Luftfeuchte im Herbst 2022. Man erkennt Nebelhotspots wie etwa im Donauraum in Oberösterreich, im Pinzgau, im Gailtal, im Jauntal oder auch im Gesäuse.

Was ist gefrierender Nebel?

Die schwebenden Wassertröpfchen bleiben auch bei negativen Temperaturen in der flüssigen Phase. Wenn sie allerdings mit dem Boden oder Gegenständen in Berührung kommen, gefrieren sie und bilden sofort dünne Eisablagerungen, die meist als Raureif bezeichnet werden.

Nebel und Frost
Raureif und Frost. © AdobeStock

Wo liegt die Nebelobergrenze?

Meteorologen prognostizieren die Höhe der Nebelobergrenze anhand von Modellkarten in unterschiedlichen Höhenstufen (v.a. Luftfeuchtigkeit und Temperatur). In der Kurzfrist werden hochaufgelöste Satellitenbilder, Stationsdaten sowie Wetterballondaten ausgewertet. Weiters hilft auch immer ein Blick auf die zahlreichen Webcams in den Alpen: Man sucht nach bekannten Berggipfeln, die gerade noch aus dem Nebel herausragen, und leitet daraus die Höhe der Nebelobergrenze ab.

Am Bodensee ist es besonders oft neblig. Bild © www.foto-webcam.eu

Wird Nebel häufiger?

Nein, er wird tendenziell seltener bzw. die Saison verkürzt sich. Es gibt nämlich ein paar Faktoren, welche sich negativ auf die Nebelhäufigkeit auswirken:

  • Rückläufiger Trend von Inversionwetterlagen
  • Weniger Luftverschmutzung
  • Trockenlegung der Böden durch Versiegelung

Eine Studie aus dem Jahre 2018 hat die Häufigkeit von Tagen mit Inversionwetterlagen im Zeitraum von 1961 bis 2017 untersucht und dabei festgestellt, dass sowohl die Häufigkeit als auch die Stärke von Inversionwetterlagen im landesweiten Durchschnitt um 11 Prozent abgenommen hat. Besonders stark ist der rückläufige Trend in den „Nebelhochburgen“ Oberösterreich und Kärnten. Verantwortlich dafür sind u.a. die unterschiedliche Geschwindigkeit der Temperaturerwärmung je nach Seehöhe, die Veränderung der Großwetterlagen sowie auch die abnehmende Schneebedeckung in tiefen Lagen. Weiters sind Aerosole (Kondensationskeime) ein wichtiger Faktor für die Tröpfchenbildung: Sind diese kleinen Partikel wie Feinstaub und Rußteilchen in der Luft vorhanden, können Nebeltröpfchen leichter entstehen. Da die Luft in den vergangenen Jahrzehnten aber sauberer geworden ist, hat auch die Nebelhäufigkeit abgenommen (insbesondere aufgrund der Abnahme der Emission von Schwefeldioxid). Die zunehmende Bodenversiegelung kann örtlich zudem zu einer Verringerung der Luftfeuchtigkeit führen.

Im Jahr 1914 wurden 125 Nebeltage in Wien verzeichnet, im Jahr 2007 waren es nur 6.

Diese rückläufige Tendenz drückt auch das 30-jährige Klimamittel gut aus:

  • 1900-1930: 71 Nebeltage
  • 1931-1960: 51 Nebeltage
  • 1961-1990: 38 Nebeltage
  • 1991-2020: 16 Nebeltage

Die Zahl der Nebeltage in den vergangenen 30 Jahren hat sich im Vergleich zu den 30ern, 40ern und 50ern des vorigen Jahrhunderts um fast 70% verringert. Bei dieser Auswertung wird Hochnebel allerdings nicht berücksichtigt.

Wann löst sich Nebel auf?

Eine Inversionswetterlage kann manchmal viele Tag lang ohne Unterbrechung zu Nebel oder Hochnebel führen. Zur Nebelauflösung kommt es meist, wenn auffrischender Wind die bodennahe Kaltluft wegfegt oder Föhneffekte auftreten, oder wenn der Wind kontinentale, trockene Luft heranführt. Auch eine aufziehende Wolkenschicht über dem Nebel führt meist zur Nebelauflösung, im Winter tritt jedoch nicht selten der Fall ein, dass Nebelfelder in den Niederungen nahtlos von darüber aufziehenden Wolken eines Tiefs abgelöst werden. Dann bessert sich zwar die Sichtweite, es bleibt aber weiterhin trüb.

Nebel und Hochnebel sind gut auf Satellitenbildern erkennbar. © EUMETSAT/UBIMET

Erstmals seit 2013: EF5-Tornado in den USA bestätigt

Am 20. Juni 2025 wurde Enderlin, North Dakota, von einem außergewöhnlich starken Tornado getroffen. Der Tornado legte eine Spur von knapp 20 km zurück und erreichte eine maximale Breite von gut 1,5 km. Neben zerstörten Gebäuden – eines davon wurde vollständig weggefegt – wurden auch entrindete Bäume gefunden, ein typisches Merkmal extremer Tornados (mehr Infos hier: Wie Tornados klassifiziert werden). Drei Menschen kamen ums Leben. Besonders bemerkenswert war, dass der Tornado Eisenbahnwaggons anhob und umkippte — darunter ein leerer Tankwagen, der mehr als 100 Meter weit in ein Feld geschleudert wurde.

Erster offizieller EF5 seit 2013

Ursprünglich als EF3 eingestuft, wurde der Tornado nach eingehender Untersuchung der Schäden auf EF5 hochgestuft. Damit handelte es sich um den ersten bestätigten EF5-Tornado in den USA seit dem Moore-Tornado in Oklahoma im Mai 2013.

Grenzen der EF-Skala

An dieser Stelle sei jedoch angemerkt, dass die Stärke von Tornados anhand der verursachten Schäden beurteilt wird. Zieht ein Tornado jedoch über unbebautes oder offenes Gelände, fehlen sichtbare Schäden – und damit die Grundlage für eine Einstufung. Untersuchungen mit mobilen Doppler-Radaren haben gezeigt, dass Tornados mit Windgeschwindigkeiten im EF4- oder sogar EF5-Bereich häufiger auftreten, als es die offizielle Klassifikation vermuten lässt. Mehr Infos dazu gibt es in dieser Studie.

Die Analyse der Zugbahn des Tornados (rot = EF5; gelb EF3) sowie die Ein Satellitenbild mit der Analyse der jeweiligen Schadenspuren.


Wie Tornados entstehen

Eine Grundvoraussetzung für die Entstehung verheerender Tornados sind sogenannte Superzellengewitter. Es handelt sich um meist langlebige, kräftige und oft isolierte Gewitterzellen, die durch einen rotierenden Aufwind – die sogenannte Mesozyklone – gekennzeichnet sind. Superzellen entstehen bei ausgeprägter Windscherung, also einer Änderung der Windrichtung und -geschwindigkeit mit der Höhe. Starke Windscherung führt zur Bildung horizontal ausgerichteter Luftwalzen. Der Aufwind eines entstehenden Gewitters kann eine solche Walze „einsaugen“ und ihre Achse aufrichten, sodass sie vertikal rotiert. Dieser Drehimpuls überträgt sich auf den gesamten Aufwindbereich. In seltenen Fällen, zum Beispiel bei der Interaktion mit anderen Gewitterzellen oder lokalen bodennahen Prozessen, kann sich ein Tornado entwickeln.

Schematische Darstellung einer Superzelle inkl. Tornado. © P. Markowski, Penn State University

Auch in Mitteleuropa bzw. am Mittelmeer werden regelmäßig Tornados sowie Wasserhosen gesichtet, diese sind aber oft nur schwach und kurzlebig. Meist stehen sie auch nicht im Zusammenhang mit Superzellengewittern, sondern entwickeln sich beispielsweise an Böenfronten oder bei konvergenten Windfeldern (sog. „Typ-II-Tornados“). Typisch ist also eine bodennahe, vorbestehende Rotation, die durch einen Aufwind erfasst und die Höhe gestreckt wird (Pirouetteneffekt). Starke Tornados sind selten, kommen aber auch in Europa immer wieder vor. Etwa im Juni 2021 kam es knapp nördlich der österreichischen Grenze in Tschechien zu einem F4-Tornado.

September 2025 außergewöhnlich nass im Südwesten

Mit einer durchschnittlichen Temperatur von 14,5 Grad lag der September 2025 rund 0,7 Grad über der aktuellen Referenzperiode von 1991 bis 2020 (13,8 Grad) und 1,2 Grad über dem Klimamittel von 1961 bis 1990 (13,3 Grad).  Besonders hohe Abweichungen um oder teils sogar über +1 Grad wurden von Bremen und Hamburg über Sachsen-Anhalt bis in die Niederlausitz sowie im Südosten Bayerns verzeichnet. Im Saarland, in Rheinland-Pfalz, Südhessen und Baden-Württemberg war der September dagegen durchschnittlich.

Die höchste Temperatur des Monats wurde am 20. September in Huy-Pabstorf (Sachsen-Anhalt) gemessen mit 32,6 Grad, gefolgt von Helmstedt-Emmerstedt mit 32,3 und Ohlsbach mit 32,2 Grad. In der letzten Dekade erfasste dann deutlich kühlere Luft und mancherorts gab es den ersten Frost der Saison, wie etwa in Deutschneudorf-Brüderwiese mit -2,4 Grad oder in Faßberg sowie in Sohland/Spree mit -0,7 Grad.

Im Südwesten außergewöhnlich nass

Im Flächenmittel fiel im September rund 30 Prozent mehr Niederschlag als üblich. Regional gab es aber große Unterschiede: Während im Südwesten außergewöhnlich viel Regen fiel – im Saarland war es sogar der nasseste seit Messbeginn im Jahr 1881 – gab es im Norden gebietsweise deutlich weniger Regen als sonst. Zwischen Bremen und Hamburg gab es nur die Hälfte der üblichen Niederschlagsmenge.

Die absolut nasseste Region war der Schwarzwald, wo an manchen Stationen über 200 l/m² Niederschlag gemessen wurden. Besonders extrem war allerdings ein Niederschlagsereignis am 8. September im äußersten Westen des Landes, als in Mönchengladbach-Hilderath 119 l/m² in nur wenigen Stunden fielen. In Bedburg gab es sogar einen Tagesniederschlag von 134 l/m². Weitere Infos zur Wetterlage gibt es hier: Gewittriger Starkregen in NRW. Kräftigen Regen gab es zudem auch im äußersten Osten in der Nacht zum 11. September sowie neuerlich im Südwesten am 24. September. In Erinnerung bleibt zudem auch Sturm Zack zur Monatsmitte, als etwa auf Hallig Hooge orkanartige Böen bis 111 km/h und in Büsum bis 108 km/h gemessen wurden. Auf dem Brocken wurden sogar Orkanböen bis 143 km/h verzeichnet.

Die Anzahl der Blitze war im September – wie auch schon im Sommer – unterdurchschnittlich, in Summe gab es etwa 50 Prozent weniger Blitze als üblich. Die meisten Entladungen gab es in Bayern: An der Spitze lag der Landkreis Kaufbeuren mit 14,9 Blitzen/km², gefolgt von Landberg am Lech mit 10,5 und Neu-Ulm mit 9,3.

Im Nordosten sonnig

Die Bilanz der Sonnenscheindauer fiel im September nahezu durchschnittlich aus. Während es im Südwesten 15 bis 25 Prozent weniger Sonnenstunden als üblich gab, wurde im Nordosten ein Plus von 20 bis 25 Prozent verzeichnet. Die absolut sonnigste Station war Arkona mit 235 Sonnenstunden.

September 2025 milder als üblich und gebietsweise sehr nass

Hochnebel im Tiroler Unterland. www.foto-webcam.eu

Österreichweit fiel der September deutlich milder als im langjährigen Mittel von 1991 bis 2020 aus. Besonders warm war es im Süden des Landes: Die größten Abweichungen von rund +2,5 Grad wurden von Unterkärnten bis ins Südburgenland verzeichnet. Von Vorarlberg bis ins obere Mühlviertel lagen die Abweichungen dagegen um +1 Grad.

Besonders hohe Temperaturen wurden rund um den 21. gemessen, als örtlich wie etwa in Innsbruck neue Monatsrekorde aufgestellt wurden. An manchen Stationen wie etwa in Reichenau an der Rax handelte es sich zudem auch um den bislang spätesten Hitzetag seit Messbeginn. Sehr mild war es auch auf den Bergen, so wurde am Hahnenkamm bei Kitzbühel die bislang höchste Tropennacht des Landes gemessen.

Höchste Temperaturen
  • 32,4 Grad Innsbruck (T, 20.9., Monatsrekord)
  • 31,7 Grad Landeck (T, 20.9.)
  • 31,4 Grad Prutz (T, 20.9., Monatsrekord)
  • 31,2 Grad Ehrwald (T, 20.9., Monatsrekord), Reichenau an der Rax (NÖ, 21.9.)
  • 31,0 Grad Mayrhofen (T, 21.9.)

Regionl mehr Regen als üblich

Über ganz Österreich gemittelt brachte der September etwa 5 Prozent mehr Niederschlag als üblich, regional gab es aber große Unterschiede: Besonders markant fielen die Abweichungen im Tiroler Oberland, im südlichen Bergland von Osttirol bis zum Semmering-Wechsel-Gebiet sowie im Nordosten aus. Im Tiroler Oberland und im Waldviertel wurde örtlich mehr als doppelt so viel Regen wie im langjährigen Mittel verzeichnet. An der Alpennordseite waren die Niederschlagsmengen hingegen leicht bzw. vom Flachgau bis zu den Niederösterreichischen Voralpen auch stark unterdurchschnittlich. Mancherorts wurde hier nur die Hälfte der üblichen Niederschlagsmenge gemessen.

Nasseste bewohnte Orte
  • 204 Liter pro Quadratmeter Mönichkirchen (NÖ)
  • 185 Liter pro Quadratmeter Fischbach (ST)
  • 183 Liter pro Quadratmeter Rohrbach an der Lafnitz / Eichberg (ST)
  • 167 Liter pro Quadratmeter Landeck (T), St. Radegund (ST)
  • 164 Liter pro Quadratmeter Leibnitz (ST), Mallnitz (K)

Mit in Summe 21.400 Blitzentladungen gab es im September zwar weniger Gewitter als üblich, doch zu Monatsbeginn kam es lokal noch einmal zu Unwettern: Am 4. September brachten kräftige Gewitter im Norden Vorarlbergs und des Außerferns lokal großen Hagel mit einem Durchmesser von rund 5 cm.

Etwas weniger Sonne als üblich

Im Flächenmittel wurden im September rund 7 Prozent weniger Sonnenstunden als üblich verzeichnet. Das größte Defizit wurde am Alpennordrand von Vorarlberg bis nach Salzburg gemessen, wo die Abweichungen oft bei -15 bis -25 Prozent lagen. Nahezu durchschnittlich war die Bilanz dagegen entlang der Tauern sowie generell in der Osthälfte des Landes.

Sonnigste Orte
  • 221 Sonnenstunden Mörbisch (B)
  • 210 Sonnenstunden Andau (B)
  • 205 Sonnenstunden Podersdorf (B)
  • 202 Sonnenstunden Kirchberg an der Pielach (NÖ)

Straßenverhältnisse im Herbst: 5 Herausforderungen für Autofahrer

Laub auf den Straßen im Herbst.

Die Tage werden im Oktober  und November merklich kürzer. Der Pendelverkehr verlagert sich damit zunehmend in die Dunkelheit. Mehrere Gefahrenquellen werden somit für Autofahrer zunehmend zum Thema:

  1. Wildwechsel
  2. Nebel
  3. Eis
  4. Laub
  5. Sonnenblendung

Wildwechsel

Besonders jetzt im Herbst ist zur Dämmerung viel Wild unterwegs. Da Wildtiere oft auf bekannten Wegen die Verkehrsstraßen der Menschen passieren, warnen Hinweisschilder an besonders gefährlichen Stellen vor dem Wildwechsel. Mit angepasster Fahrgeschwindigkeit sowie besonderer Bremsbereitschaft kann die Gefahr von Zusammenstößen zwischen Autos und Wildtieren zumindest minimiert werden, nichtsdestotrotz gibt es Jahr für Jahr zahlreiche Unfälle, allein in Österreich kamen in der Saison 2018/19 mehr als 75.000 Wildtiere durch eine Kollision mit einem Fahrzeug zu Schaden. Wenn Wild unmittelbar vor dem Auto über die Straße läuft, sollte man versuchen nur zu Bremsen und nicht zu lenken, da man sonst riskiert von der Straße abzukommen (was meist noch gefährlich ist).

Gefahr von Wildwechsel auf den Straßen.
Gefahr von Wildwechsel auf den Straßen. © pixabay.com

Nebel

In den kommenden Wochen nimmt die Nebelanfälligkeit kontinuierlich zu. Bekannte Nebelregionen sind beispielsweise der Bodenseeraum, der Donauraum, das Klagenfurter Becken und das Schweizer Mittelland. Die Sichtweite kann dabei drastisch abnehmen, besonders auf Schnellstraßen muss man also stets einen ausreichenden Sicherheitsabstand halten!

Raureif und Nebel
Reif und Nebel im Herbst. © Adobe Stock

Frost

Frost ist ein Wetterparameter, der erst zum Ende des Herbstes wirklich verbreitet auftritt, in Tal- und Beckenlagen kann es aber bereits jetzt Bodenfrost geben. Besonders auf Brücken kann es dann in den Nächten nach Durchzug einer Wetterfront glatt werden und in klaren Nächten kann sich Reif bilden. Dies ist besonders gefährlich, wenn man im Herbst noch mit Sommerreifen unterwegs ist, daher empfiehlt es sich bereits jetzt auf Winterreifen umzusteigen.

Feuchtes Laub

Herabfallendes Laub ist vor allem im Oktober und November ein Problem. Gerade nach windigen Tagen sowie kalten Nächten präsentieren sich viele Straßen übersät von bunten Blättern. In Kombination mit Regen oder Tau wirkt das nasse Laub wie ein natürliches Schmiermittel. Ein rechtzeitige Abnahme der Fahrgeschwindigkeit schafft Abhilfe. Allgemein bleiben die Straßen nach einem Frontdurchgang in dieser Jahreszeit immer länger feucht, da die Sonne kaum noch Kraft und Zeit hat, um den Boden zu erwärmen. Spätesten wenn der Winterdienst unterwegs ist, muss man häufiger die Scheiben putzen, man sollte also stets ausreichend Scheibenwaschflüssigkeit haben.

Straße im Herbst
Herbstwetter.

Sonnenblendung

Die Sonne geht immer später auf und immer früher unter, dadurch kann es am Weg zur Arbeit häufiger passieren, dass man beim Autofahren an manchen Stellen direkt in die Sonne schaut. Dies wirkt sich negativ auf die Sichtweite aus, im Extremfall kann sie sogar schlechter als bei Nebel sein! Selbst die Sonnenblende hilft manchmal nicht, sondern nur eine deutliche Verminderung der Fahrgeschwindigkeit.

Die Sonne macht fleißig Überstunden.
Sonnenschein im Herbst.

Titelbild © Adobe Stock

Kalendarischer Herbst beginnt mit Temperatursturz

Herbstlicher Regen - www.pixabay.com

Am Rande eines umfangreichen Hochs über Südosteuropa liegt Österreich derzeit noch unter dem Einfluss einer südwestlichen Höhenströmung. Die Temperaturen bewegen sich dabei auf einem außergewöhnlich hohen Niveau für die Jahreszeit.

In Mittel- und Osteuropa liegen die Temperaturen aktuell verbreitet über dem jahreszeitlichen Mittel.

Rekordwarmer Sommerausklang

An diesem Wochenende wurden bereits zahlreiche Rekorde gebrochen. Besonders außergewöhnlich waren die Temperaturen auf den Bergen – dort war es am Samstag oft um 10 bis 15 Grad wärmer als zu dieser Jahreszeit üblich.

Auf den Bergen lag die Tagesmitteltemperatur am Samstag bis zu 14 Grad über dem jahreszeitlichen Schnitt. Zum Vergrößern auf das Bild klicken.

An einigen Stationen wurden neue Monatsrekorde aufgestellt, wie etwa in Innsbruck mit 32,4 Grad und auf der Schmittenhöhe mit 23,1 Grad. In der Nacht auf Samstag wurde zudem am Hahnenkamm in knapp 1.800 m Höhe mit einem Tiefstwert von 20 Grad die höchstgelegene Tropennacht Österreichs verzeichnet.

Im Südosten nochmals sommerlich

Zu Wochenbeginn stellt sich die Großwetterlage in Europa um und ein Tief über Skandinavien lenkt kühle Luftmassen in den Alpenraum. Das Wetter in Österreich zeigt sich am Montag noch zweigeteilt: Von Vorarlberg bis nach Oberösterreich dominieren die Wolken und im Tagesverlauf fällt zeitweise Regen. Die Temperaturen kommen dort nicht mehr über 11 bis 19 Grad hinaus. Sonst bleibt es meist trocken und besonders im Südosten wird es noch einmal sommerlich warm: Von Unterkärnten bis ins Burgenland scheint häufig die Sonne und die Höchstwerte liegen zwischen 25 und 29 Grad.

Prognose der Höchstwerte am Montag. Zum Vergrößern auf das Bild klicken.

Beständiger Tiefdruckeinfluss

Im Laufe der kommenden Woche etabliert sich ein Tief über dem Westalpenraum. Damit hält die Zufuhr an feuchter Luft in Österreich an und das Wetter gestaltet sich unbeständig. Die Temperaturen liegen meist im Bereich des jahreszeitlichen Mittels bzw. im Westen auch knapp darunter.

Die Temperaturen passen sich im Osten ab Dienstag dem langjährigen MIttel an. Zum Vergrößern auf das Bild klicken.

Am Dienstag überwiegen die Wolken und bringen zunächst vor allem im Südosten, gegen Abend auch in Vorarlberg zeitweise Regen. Die meiste Zeit trocken bleibt es von Nordtirol und Salzburg bis in den Donauraum, die Sonne lässt sich am ehesten Richtung Alpenhauptkamm zeitweise blicken. Die Temperaturen erreichen maximal 11 bis 20 Grad.

Der Mittwoch gestaltet sich verbreitet trüb und zeitweise nass, besonders im Süden regnet es zeitweise auch kräftig. Von der Sonne ist insgesamt wenig zu sehen, am ehesten lässt sie sich im Rheintal sowie im östlichen Flachland ab und zu blicken. Die Höchstwerte liegen von West nach Ost zwischen 11 und 20 Grad.

Am Donnerstag kommt die Sonne vor allem im Süden und in den inneralpinen Regionen ab und zu zum Vorschein, es bleibt aber unbeständig mit weiteren Schauern. Im Donauraum und im östlichen Flachland klingt der Regen tagsüber weitgehend ab, die Sonne zeigt sich aber nur selten. Die Temperaturen ändern sich kaum.

Nach derzeitigem Stand setzt sich das unbeständige Wetter auch am Freitag fort. Erst im Laufe des Wochenendes kündigt sich vor allem in der Osthälfte eine zögerliche Wetterbesserung an. Die Temperaturen verbleiben jedoch auf einem der Jahreszeit entsprechenden Niveau.

Der Ensemble-Trend zeigt: So warm wie derzeit wird es in diesem Jahr nicht mehr.

Am 22. September ist astronomischer Herbstbeginn

Sonnenaufgang im Herbst @ Pixabay.com

Der astronomische Herbst beginnt auf der Nordhalbkugel mit dem Äquinoktium in der letzten Septemberdekade, der je nach Jahr auf den 22., 23. oder 24. September fällt. Das Äquinoktium ist jener Tag, an dem die Sonne senkrecht über dem Äquator steht und der lichte Tag bzw. die Nacht weltweit mit je 12 Stunden gleich lang sind. In diesem Jahr liegt die Sonne am 22. September exakt um 20:19 Uhr MESZ senkrecht über dem Äquator und die Sonnenstrahlen treffen hier also im 90-Grad-Winkel auf die Erdoberfläche. Nach diesem Zeitpunkt liegt die Sonne dann südlich des Äquators im Zenit und auf der Südhalbkugel kehrt langsam der Frühling ein.

Äquinoktium
Die Erde am Äquinoktium: Die Sonne steht senkrecht über dem Äquator.

Lange Nächte

Ende September und Anfang Oktober stellt sich oftmals ruhiges und stabiles Hochdruckwetter ein. Der Altweibersommer ist im deutschen Sprachraum eine sogenannte meteorologische Singularität, also eine regelmäßig wiederkehrende Wettererscheinung. Die kommenden Tagen bieten vorerst eher unbeständiges und relativ mildes Wetter, doch gegen Monatsende ist tatsächlich eine deutliche Beruhigung in Sicht. Der Übergang in den Goldenen Oktober findet bei entsprechender Wetterlage fließend statt. Die Tageslänge nimmt in dieser Jahreszeit besonders schnell ab, so verlieren wir derzeit etwa 3 bis 4 Minuten Licht pro Tag.

Die Tage werden langsam wieder länger
Die Änderung der Tageslänge im Jahresverlauf.

Astronomische vs. meteorologische Jahreszeiten

Für uns Meteorologen ist der Herbst schon rund drei Wochen alt, er begann am 1. September. Warum es neben den astronomischen Jahreszeiten auch die sogenannten meteorologischen Jahreszeiten gibt, hat einen einfachen Grund: Meteorologische Statistiken lassen sich nur schwer erstellen, wenn der Beginn der Jahreszeiten mitten in einem Monat liegt und dann auch noch von Jahr zu Jahr schwankt. Deshalb wurde noch in Zeiten ohne Computer die Entscheidung getroffen, die meteorologischen Jahreszeiten immer an den Monatsersten beginnen zu lassen.

Quelle Titelbild: Sonnenaufgang im Herbst @ Pixabay.com

Rekordtief: 2025 blitzärmste Gewittersaison seit Messbeginn

Gewitter mit Blitz

Der Sommer 2025 war außergewöhnlich blitzarm – wir haben bereits vor einem Monat hier eine Zwischenbilanz gezogen: Deutlich weniger Blitze als üblich im Sommer 2025. Inzwischen steht fest, dass jeder einzelne Monat der Hochsaison (Mai bis August) unterdurchschnittlich war. Seit Jahresbeginn beträgt die Abweichung gegenüber dem 15-jährigen Mittel etwa -62 Prozent.

Blitze Abweichung
Mai 118.000 -46 %
Juni 212.000 -61 %
Juli 182.000 -63 %
August 102.000 -73 %

Seit Beginn der nowcast-Messungen im Jahr 2009 wurde noch nie eine so geringe Anzahl an Blitzen registriert wie heuer. Die meisten Blitze wurden in absteigender Reihenfolge in Bayern, Baden-Württemberg und Nordrhein-Westfalen gezählt. Die Blitzanzahl war in jedem Bundesland unterdurchschnittlich: Die Abweichungen liegen zwischen -50 Prozent in Bayern und Baden-Württemberg und -80 Porzent in Brandenburg, Berlin und Mecklenburg-Vorpommern.

Vorläufige Blitzdichte im Jahr 2025 (alle Stromstärken). Zum Vergrößern auf das Bild klicken.

Hotspot Ulm

Die Landkreise mit der höchsten Blitzdichte liegen allesamt in Baden-Württemberg und Bayern: Auf Platz 1 liegt Ulm, gefolgt von Dachau und dem Alb-Donau-Kreis. Diese Gebiete weisen jedes Jahr eine hohe Blitzdichte auf, mehr Infos dazu gibt es hier: Die blitzreichsten Regionen des Landes.

Landkreise mit der höchsten Blitzdichte im Jahr 2025.

Neuer Negativrekord

In den vergangenen 15 Jahren (2010 bis 2024) registrierte das Blitzortungssystem von nowcast durchschnittlich 1,8 Millionen Blitze pro Jahr. Für 2025 liegen bis zum 13. September erst 680.000 Blitze vor – damit wird das laufende Jahr mit sehr großer Wahrscheinlichkeit den bisherigen Negativrekord von 813.000 aus dem Jahr 2020 zu unterbieten. Von Mitte September bis Jahresende sind durchschnittlich nur noch etwa 50.000 Blitze zu erwarten. Selbst bei einem stark überdurchschnittlichen Herbst dürfte das Niveau von 2020 damit kaum noch erreicht werden.

Kumulierte Blitzentladungen seit Jahresbeginn (nach Jahren). Die Zahlen für 2025 sind noch vorläufig und reichen bis zum 13. September.

In diesem Sommer hat der Wechsel von Hochdruckeinfluss mit trockener Luft und Tiefdruckeinfluss mit maritimer, energiearmer Luft häufig für ungünstige Bedingungen für ausgeprägte Gewitterlagen gesorgt. Großräumige Gewittersysteme, die in unseren Breiten normalerweise viele Blitze erzeugen, blieben daher weitgehend aus.

Kaum Höhepunkte

Die meisten Blitzentladungen an einem Tag wurden bislang am 1. Juni registriert – insgesamt blitzte es in Deutschland 43.000 Mal. Auf den Plätzen zwei und drei folgen der 23. Juni mit 41.000 und der 28. Mai mit 39.000 Blitzen. Diese Zahlen sind jedoch ungewöhnlich niedrig – im Sommer treten normalerweise deutlich blitzreichere Tage auf. Zum Vergleich: Im Vorjahr wurden allein am 27. Juni 115.000 und am 13. August 108.000 Entladungen registriert. Noch höhere Werte wurde am 22. Juni 2023 erreicht – mit mehr als 200.000 Blitzen.

Eine Seltenheit im Sommer 2025: sehr großer Hagel in Emden am 2.7.

Ungewöhnlich wenig Gewitter im Sommer 2025, Graz blitzreichster Ort

Gewitter

Im Sommer 2025 registrierte das Blitzortungssystem von nowcast, dem Blitzspezialisten der UBIMET-Gruppe, exakt 669.464 Blitze über ganz Österreich (Wolken- und Erdblitze). Die heurige Gewittersaison liegt deutlich unter dem Durchschnitt, nur der Sommer 2015 war vergleichbar blitzarm. Zum Vergleich: Im besonders unwetterträchtigen Sommer 2024 wurden mit 1,5 Millionen Blitzen mehr als doppelt so viele Entladungen gezählt.

Regionale Verteilung: Steiermark klar vorne

Die höchste Blitzdichte von 13 Entladungen pro km² wurde in der Steiermark gemessen, gefolgt vom Burgenland mit 12,4 und Oberösterreich mit 10,1. Kärnten bildet mit durchschnittlich nur 3,2 Blitzen pro km² das Schlusslicht.

Bundesland Blitzdichte pro km² Abweichung
Steiermark 13,0 -38%
Burgenland 12,4 -23%
Oberösterreich 10,1 -45%
Niederösterreich 7,0 -39%
Vorarlberg 5,9 -39%
Salzburg 5,7 -56%
Wien 5,2 -52%
Tirol 5,0 -51%
Kärnten 3,2 -71%

 

Auch auf Bezirksebene liegt die Steiermark vorne: Der Bezirk mit der höchsten Blitzdichte war Graz mit 38 Blitzen pro Quadratkilometer – dies liegt knapp über dem dortigen Mittel, mehr Infos dazu gibt es hier: Die blitzreichsten Regionen des Landes. Auf den Plätzen zwei und drei folgen die Bezirke Hartberg-Fürstenfeld mit 25 und Weiz mit 23 Entladungen pro Quadratkilometer. Die ersten Bezirke außerhalb der Steiermark finden sich auf den Rängen 4, 7 und 9: Oberwart (Burgenland) mit 22 Blitzen/km² auf Platz 4, Braunau am Inn (Oberösterreich) mit 18 Blitzen/km² auf Platz 7 und Horn (Niederösterreich) mit 16 Blitzen/km² auf Platz 9.

Blitzdichte in den Landeshauptstädten (Blitze/km²)
  • 38 Graz
  • 11 Linz
  • 10 St. Pölten
  • 9 Salzburg
  • 8 Eisenstadt
  • 7 Bregenz
  • 5 Wien
  • 3 Innsbruck
  • 1 Klagenfurt

Die blitzreichsten Tage des Sommers waren der 26. Juni mit 138.000 Entladungen (hier unser damaliger Liveticker) und der 23. Juni mit 94.000. Hier gibt es eine Animation vom gesamten Blitzverlauf im Sommer 2025: Video.

Blitz
Ein Blitz im Mürztal am 26.6.2025.

Hochsaison brachte nahezu Totalausfall

Der blitzreichste Monat des Jahres war heuer der Juni mit 358.000 Entladungen – ein Wert, der dem langjährigen Monatsmittel entspricht. Danach legte die Gewittersaison jedoch beinahe eine Vollbremsung hin: Ausgerechnet in der sonst blitzreichsten Zeit des Jahres verlief die Aktivität stark unterdurchschnittlich. Im Juli wurden 209.000 Blitze registriert – ein Rückgang von über 50 Prozent im Vergleich zum Durchschnitt. Noch magerer fiel die Bilanz im August aus: Mit lediglich 103.000 Entladungen lag das Minus bei rund 70 Prozent. In den vergangenen 15 Jahren hatte nur der August 2015 noch weniger Blitze zu bieten. Ein besonders drastisches Beispiel bietet Wien: Im gesamten August wurde dort nur ein einziger Blitz erfasst. Ein derartiger Totalausfall ist in einem August bislang beispiellos. Zum Vergleich: Üblich sind in der Bundeshauptstadt rund 1.500 Entladungen in diesem Monat.

Gewitter
Ein Blitz im Oberinntal am 30. Juni 2025. © www.foto-webcam.eu

Verantwortlich für die ungewöhnlich geringe Blitzaktivität im Hochsommer war eine Abfolge an ungünstigen Großwetterlagen: Zeitweiliger Hochdruckeinfluss mit trockener Luft wurde zwar durch eine längere tiefdruckbestimmte Phase im Juli unterbrochen, allerdings mit einer maritimen, energiearmen Luftmasse. Diese Kombination sorgte häufig für ungünstige Bedingungen zur Bildung kräftiger Gewitter. Vor allem großräumige Gewittersysteme, die normalerweise viele Blitze bringen, bleiben heuer weitgehend aus.

Stärkster Blitz

Die Kraft von Blitzen wird über die Stromstärke in der Einheit Ampere angegeben. Der stärkste Blitz des Landes wurde in Tirol gemessen: Spitzenreiter ist eine Entladung mit rund 288.000 Ampere am 21. Juni in der Gemeinde Sölden. Das entspricht der Stromstärke von rund 18.000 Haushaltssteckdosen, die gleichzeitig jeweils mit ihrer maximalen Last von 16 Ampere betrieben werden. Anders als oft vermutet, sagt die Stromstärke eines einzelnen Blitzes aber wenig über die Stärke eines Gewitters aus. Oft treten starke Blitze im Gebirge oder bei vergleichsweise harmlosen Kaltluftgewittern auf.

Stärkste Entladungen pro Bundesland

  • 288 kA Sölden (T)
  • 242 kA St.Aegyd am Neuwalde (NÖ)
  • 229 kA Hörsching (OÖ)
  • 205 kA Admont (ST)
  • 204 kA Koppl (S)
  • 195 kA Heiligenblut (K)
  • 194 kA Dornbirn (V)
  • 180 kA Podersdorf am See (B)
  • 73 kA Wien Liesing (W)
Hagelmneldungen >2 cm in der Sommersaison 2025. © ESWD

Am Dienstag im äußersten Westen gewittriger Starkregen

Starkregen

Deutschland liegt am Montag zwischen einem Tief über dem Nordatlantik namens „Walter“ und einem Hoch über Russland namens „Nina“. In der Südwesthälfte des Landes breiten sich dabei sehr feuchte Luftmassen aus und im Bereich einer sich entwickelnden Tiefdruckrinne steigt die Schauer- und Gewitterneigung an.

Bodenwetterkarte am Montag. Tief Walter zieht auf.

Am Dienstag im Westen Starkregen

Im Laufe der Nacht zum Dienstag zieht an der Ostflanke des Höhentrogs über Westeuropa ein vorlaufender Kurzwellentrog über die flache Tiefdruckrinne hinweg. Vorübergehend entwicklet sich hier ein kleinräumiges Randtief und in mittleren Höhenlagen kommt es zu einer ausgeprägten Konvergenz.

Die feuchte Luft über dem Westen Deutschlands wird dadurch stark gehoben, weshalb sich in der zweiten Nachthälfte im äußersten Westen teils gewittrig durchsetzer Starkregen ausbreitet. Die größten Mengen fallen in einem Streifen vom Saarland bis in die Eifel, hier kündigen sich oft 30 bis  60 l/m² Regen in wenigen Stunden an, lokal sind aber auch höhere Spitzen bis zu 100 l/m² möglich! Die Gefahr von Überflutungen nimmt zu und die Pegel kleiner Gewässers können stark Anschwellen bzw. stellenweise über die Ufer treten.

Die aktuellen 24h-Niederschlagsprognosen von drei Modellen für das bevorstehende Ereignis.

Am Dienstagvormittag lässt der Regen im Westen nach. Tagsüber ziehen im Alpenvorland, im Emsland sowie in einem Streifen von Westbrandenburg bis in den Osten Schleswig-Holsteins lokale Schauer und Gewitter durch, vereinzelt besteht dabei weiterhin die Gefahr von Starkregen.

Aktuelle Regenwarnungen. © www.uwr.de

 

Am Donnerstag regional Unwettergefahr durch kräftige Gewitter

Gewitter

Deutschland gerät derzeit zunehmend unter den Einfluss des Tiefs „Volkhard“ mit Kern bei den Britischen Inseln. Mit einer südwestlichen Strömung gelangen feuchtwarme Luftmassen ins Land, wodurch es besonders in der Osthälfte spätsommerlich warm wird. Am Donnerstag zieht aus Westen jedoch die Kaltfront des Tiefs auf und in der Nacht entwickelt sich im Osten des Landes eine flache Tiefdruckrinne. Damit sind die Voraussetzungen für teils kräftige Gewitter vor allem im Süden und Osten gegeben.

Regional Unwettergefahr

Am Donnerstag nimmt die Gewitterneigung im Laufe des Nachmittags ausgehend von Baden-Württemberg zu. Am späten Nachmittag bzw. am Abend breiten sich im Süden ktäftige Gewitter ostwärts aus, dabei besteht die Gefahr von Hagel, Starkregen und schweren Sturmböen. Auch im Westen ziehen mit Durchzug der Kaltfront Gewitter durch, u.a. in NRW und Rheinland-Pfalz kann es dabei örtlich zu Starkregen, Hagel und teils stürmischen Böen kommen.

Besonders von Oberschwaben über Oberbayern bis in die Oberpfalz liegt am Donnerstagabend erhöhtes Unwetterpotenzial vor.

In der Nacht verlagert sich der Schwerpunkt in den Osten des Landes: In einem Streifen von Thüringen und Sachsen über Teile Sachsen-Anhalts und Brandenburgs bis nach Vorpommern ziehen Gewitter mit teils ergiebigen Regenmengen in kurzer Zeit durch. Mancherorts sind mehr als 50 l/m² in wenigen Stunden möglich, somit besteht erhöhte Überflutungsgefahr.

Eine aktuelle Modelllösung von ICON-D2.

Sommer brachte Negativrekord an Blitzen

Der Sommer 2025 brachte in Deutschland außergewöhnlich wenige Gewitter: Mit insgesamt 495.000 Blitzen (≥ 5 kA) war es sogar der blitzärmste Sommer seit Messbeginn. Diese Entwicklung hat sich bereits vor einigen Wochen abgezeichnet – weitere Zahlen zum Sommer folgen demnächst auf dieser Seite. Ein blitzreicher September könnte jedoch einen neuen Jahres-Negativrekord noch verhindern: Derzeit stehen wir bei 650.000 Entladungen, der bisherige Tiefstwert stammt aus dem Jahre 2020 mit 813.000 Blitzen. Die Großwetterlage in den kommenden Wochen kündigt zumindest regional weitere Schauer und Gewitter an: Mit einer überwiegend westlichen bis südwestlichen Strömung gestaltet sich das Wetter in Deutschland wechselhaft mit tendenziell überdurchschnittlichen Regenmengen.

Mittelfristig wird das Wetter in Mitteleuropa durch rege Tiefdruckaktivität über dem Nordatlantik geprägt.

Gewitter in Deutschland: wo es am häufigsten blitzt

Grundsätzlich treten Gewitter in Mitteleuropa im gesamten Jahr auf, im Winter sind sie aber relativ selten: meist handelt es sich um Graupelgewitter oder um schnell ziehende Gewitter an der Kaltfront eines Sturmtiefs. Die eigentliche Gewittersaison in Mitteleuropa beginnt meist im Mai und endet im August. Dies hängt in erster Linie mit dem Sonnenstand zusammen, so beginnt die Saison bei passender Großwetterlage ein paar Wochen nach dem Frühlingsäquinoktium und endet ein paar Wochen vor dem Herbstäquinoktium, wenn die Tage länger als etwa 13 Stunden dauern. Der blitzreichste Monat überhaupt in Deutschland ist üblicherweise der Juni, am seltensten blitzt es dagegen im November.

Mittlere Anzahl der Blitzentladungen pro Monat. © UBIMET

Die Hochsaison war heuer außerordentlich schwach, mehr Infos dazu gibt es hier: heuer deutlich weniger Blitze als üblich in Deutschland.

Hotspots

Für die Entstehung von Gewittern sind drei Voraussetzungen entscheidend: feuchte und energiereiche Luft, eine labile Luftschichtung und ein Auslöser, der die Luft zum Aufsteigen bringt. Letzterer kann beispielsweise eine Kaltfront sein – in vielen Regionen liefern jedoch vor allem Berge den entscheidenden Impuls, der die Luft in die Höhe treibt und so Gewitter auslöst. Deshalb gibt es in Süddeutschland besonders viele Gewitter: zum einen gibt es hier mehrere Gebirgsketten, zum anderen ist die Luft in dieser Region im Mittel energiereicher. Im Flachland ist die Gewittertätigkeit deutlich geringer, insbesondere im atlantisch geprägten Norden.

Mittlere Blitzdichte pro Jahr von 2010 bis 2024.

Landkreis Ulm auf Platz 1

Eine Auswertung aller Blitze von 2010 bis 2024 bestätigt das Bild: Die blitzreichsten Landkreise des Landes liegen in Baden-Württemberg und Bayern: der Landkreis mit der höchsten Blitzdichte ist Ulm, hier kommt es durchschnittlich zu 31,6 Blitzen pro km² und Jahr. Es folgen Biberbach und Neu-Ulm. Die geringste Blitzdichte in Deutschland weist der Landkreis Nordfriesland auf, mit durchschnittlich nur 3,6 Blitzen pro km² und Jahr. Nur knapp darüber liegen Dithmarschen und Flensburg mit jeweils 4,5 Blitzen pro km² und Jahr.

Landkreise mit der höchsten Blitzdichte pro Jahr und km²

  • Ulm 31,6
  • Biberbach 28,1
  • Neu-Ulm 27,6
  • Altötting 27,5
  • Rosenheim 27,0
  • Alb-Donau-Kreis 26,6
  • Heidenheim 26,5
  • Traunstein 26,5
  • Landshut 26,2
  • Mühldorf am Inn 25,7

Auf Gemeindeebene liegen Senden (Bayern), Mittelbiberbach (B-W), Oggelshausen (B-W), Otting (Bayern) und Stammham (Bayern) an der Spitze.

Mittlere Blitzdichte auf Gemeindeebene. © UBIMET

Gewitterhochburg Norditalien

Auf europäischer Ebene befinden sich die blitzreichsten Regionen in Norditalien: besonders häufig blitzt es im Nordosten des Landes, am Alpensüdrand nördlich von Mailand sowie an der Südwestflanke der Apenninen von Ligurien bis in die Toskana.

Mittlere Blitzdichte (>5 kA). © UBIMET

 

 

Gewittersaison 2025: Deutlich weniger Blitze als üblich

Gewitter mit Blitz

Die Gewitterhochsaison in Deutschland dauert von Mai bis August, wobei der Juni im Mittel der blitzreichste Monat des Jahres ist, gefolgt vom Juli auf Platz zwei. In diesem Jahr verlief der Saisonstart im Mai unterdurchschnittlich: Es wurden nur 118.000 Entladungen registriert – etwa 45 Prozent weniger als im 15-jährigen Mittel. Auch der Juni blieb mit 212.000 Entladungen deutlich unter dem Durchschnitt – ein Minus von 61 Prozent. Der Juli setzte den Negativtrend fort: Zwar gab es viele Regentage, jedoch kaum blitzreiche Gewitter. Mit 182.000 Entladungen lag die Blitzanzahl um 63 Prozent unter dem Mittelwert.
In Summe wurden im Juni und Juli 394.000 Blitzentladungen erfasst, das liegt deutlich unter dem 15-jährigen Mittelwert. Seit Beginn der nowcast-Messungen im Jahr 2009 wurde in diesem Zeitraum noch nie eine so geringe Anzahl an Blitzen registriert wie heuer.

Vorläufige Blitzdichte im Sommer 2025 (alles Stromstärken). Zum Vergrößern auf das Bild klicken.

In den vergangenen 15 Jahren (2010 bis 2024) registrierte das Blitzortungssystem von nowcast durchschnittlich 1,8 Millionen Blitze pro Jahr. Für 2025 liegen bis zum 8. August erst 563.000 Blitze vor – damit ist das laufende Jahr auf Kurs, den bisherigen Negativrekord von 813.000 aus dem Jahr 2020 zu unterbieten. Nur ein blitzreicher Spätsommer könnte das noch verhindern.

Summe der Entladungen pro Jahr.

Die Zahlen für den August 2025 reichen nur bis zum 11.8.25, der Monat ist noch unvollständig. Bislang war er sehr blitzarm und klimatologisch geht die Blitzhäufigkeit ab der Monatsmitte relativ schnell abwärts. Es ist zwar noch nicht endgültig gesichert, aber derzeit deutet vieles darauf hin, dass auch der August in diesem Jahr unterdurchschnittlich abschließen wird – die erste Dekade fiel bereits klar unterdurchschnittlich aus, mit nur knapp 17.000 Entladungen.

Erst Trockenheit, dann Tiefdruckeinfluss

Der erste Sommermonat zeigte sich in diesem Jahr von deutlich überdurchschnittlichen Temperaturen geprägt – insbesondere in der Südhälfte Deutschlands herrschte häufig Hochdruckeinfluss. Dadurch blieben die Niederschlagsmengen vor allem im Alpenvorland, in der Mitte und im Osten deutlich unter dem langjährigen Mittel. Im Nordwesten fiel zwar mehr Regen als üblich, Gewitter traten dort jedoch vergleichsweise selten auf.
Der Juli zeigte sich in Deutschland temperaturmäßig durchschnittlich (bezogen auf das langjährige Mittel von 1991 bis 2020), verlief unter wiederholtem Tiefdruckeinfluss jedoch ausgesprochen wechselhaft. Zwar gab es mehr Regentage als im Mittel, doch aufgrund unterdurchschnittlicher Sonnenscheindauer und der überwiegend energiearmen Luftmassen blieb die Blitzaktivität deutlich hinter den Erwartungen zurück.

Eine Seltenheit im Sommer 2025: sehr großer Hagel in Emden am 2.7.

In diesem Sommer gab es bislang kaum großräumige Gewittersysteme, die in unseren Breiten normalerweise viele Blitze erzeugen. Die Kombination aus Hochdruckeinfluss mit trockener Luft und anschließendem Tiefdruckeinfluss mit maritimer, energiearmer Luft hat in diesem Sommer bislang häufig ungünstige Bedingungen für ausgeprägte Gewitterlagen geschaffen.

Blitzdichte pro Landkreis (alles Stromstärken).

Kaum Höhepunkte

Die meisten Blitzentladungen an einem Tag wurden bislang am 1. Juni registriert – insgesamt blitzte es in Deutschland 43.000 Mal. Auf den Plätzen zwei und drei folgen der 23. Juni mit 41.000 und der 28. Mai mit 39.000 Blitzen. Diese Zahlen sind jedoch ungewöhnlich niedrig – im Sommer treten normalerweise deutlich blitzreichere Tage auf. Zum Vergleich: Im Vorjahr wurden allein am 27. Juni 115.000 und am 13. August 108.000 Entladungen registriert. Noch höhere Werte wurde am 22. Juni 2023 erreicht – mit mehr als 200.000 Blitzen.

Blitze pro Bundesland vom 1.6. bis 31.7.2025

  • 108.900 Bayern
  • 53.900 Baden-Württemberg
  • 47.100 Niedersachsen
  • 43.100 Nordrhein-Westfalen
  • 26.200 Brandenburg
  • 22.900 Sachsen
  • 22.200 Rheinland-Pfalz
  • 22.000 Hessen
  • 15.100 Sachsen-Anhalt
  • 10.200 Mecklenburg-Vorpommern
  • 10.800 Thüringen
  • 7.900 Schleswig-Holstein
  • 2.700 Saarland
  • 530 Berlin
  • 500 Bremen
  • 330 Hamburg

Klimabericht: Der Juli 2025 in Deutschland

Blitz bei einem Gewitter

Der Juli 2025 war im landesweiten Flächenmittel durchschnittlich temperiert, wenn man ihn mit dem langjährigen Mittel von 1991 bis 2020 vergleicht.  Wenn man das alte Klimamittel von 1961 bis 1990 heranzieht, dann war der vergangene Juli in Deutschland rund  1,4 Grad zu warm.

Im Flächenmittel lag die mittlere Temperatur in Deutschland genau beim langjährigen Mittel von 1991 bis 2020 (zum Vergrößern auf das Bild klicken).
Tägliche Temperaturabweichung in Berlin: Nach einem sehr heißen Start war der Monat zeitweise leicht zu kühl.

Viele nasse Tage

Der Juli brachte im Flächenmittel etwa 30 Prozent mehr Regen als üblich. Die größten Abweichungen wurden im Nordosten gemessen, mancherorts gab es in Brandenburg und Mecklenburg-Vorpommern sogar die vierfache übliche Niederschlagsmenge (Schorfheide-Groß Schönebeck; Altentreptow). Etwas weniger Niederschlag als üblich wurde hingegen örtlich im Westen, in der Mitte und im äußersten Südwesten verzeichnet, wie etwa in Teilen des Ruhrgebiets, im Markgräflerland oder auch im äußersten Norden Bayerns.

Der Juli 2025 brachte mehr Regen als üblich.

Auffällig war die hohe Anzahl an Tagen mit Regen. Etwa in Berlin-Dahlem gab es 15 Tage mit mindestens 1 l/m² Regen, im Mittel von 1991 bis 2020 wären 9 üblich. In München wurde mit 21 Tagen mit mind. 1 l/m² sogar ein neuer Rekord aufgestellt (Daten seit 1954).

Die Anzahl der Tage mit mindestens 1 l/m² war stark überdurchschnittlich, in München wurde sogar ein neuer Rekord aufgestellt.

Unterdurchschnittlich sonnig

Im Flächenmittel gab es rund 20 Prozent weniger Sonnenstunden als üblich. Die größten Abweichungen von bis zu -50 Prozent gab es auf der Zugspitze, gefolgt von Mittenwald und Oberstdorf mit -40 Prozent. Von der Nordsee über die Lüneburger Heide bis nach Brandenburg sowie in Teilen Bayerns gab es meist ein Minus von -30 bis -20 Prozent, während der Monat im Westen nahezu durchschnittlich sonnig war – rund um die Eifel gab es sogar ein Plus von 15 bis 25 Prozent.

In Hamburg gab es deutlich weniger Sonnenstunden als üblich.
Auf der Zugspitze gab es seit 1901 nur in den Julis 1913 und 1903 weniger Sonnenstunden als heuer.

Wenig Blitze

Der Juli brachte zwar über weite Strecken Tiefdruckeinfluss, aufgrund der geringen Sonnenausbeute und der oft energiearmen Luftmassen blieb die Anzahl der Blitze aber deutlich unter den Erwartungen. Deutschlandweit gab es rund 35 Prozent weniger Blitze als im 15-jährigen Mittel. Noch weniger Blitze gab es in den vergangenen 15 Jahren nur in den Julis 2020 und 2022. Die höchste Blitzdichte wurde im Landkreis Emden gemessen, gefolgt von Heilbronn, Krefeld, Rottal-Inn, Fürth und Duisburg.

Den Rückblick auf den ersten Sommermonat gibt es hier: Klimabericht Juni 2025.

10 Tipps für einen guten Schlaf trotz Hitze

Hitze

Die empfohlene Zimmertemperatur von knapp über 20 Grad lässt sich in den Sommermonaten ohne Klimatisierung meist nicht erreichen. Dennoch gibt es ein paar Tricks um die derzeitigen Tropennächte in den Ballungsräumen möglichst ausgeruht zu überstehen.

Diese Tipps helfen

  1. Richtiges Lüften. Idealerweise sollte nur dann gelüftet werden, wenn die Außentemperatur niedriger ist als die Temperatur im Haus oder der Wohnung. Typischerweise empfiehlt sich das Lüften ab dem späten Abend bis zum nächsten Vormittag, während der Nachmittag oft die ungeeigneteste Zeit darstellt. Ist eine Querbelüftung, zum Beispiel von West nach Ost, in der Wohnung möglich, sollte diese genutzt werden. Entscheidend ist allerdings auch die Feuchtigkeit im Raum: Wenn man etwa Wäsche aufhängt oder wenn man kocht, sollte auch tagsüber gelüftet werden, damit zumindest die Feuchtigkeit aus dem Raum entweichen kann und die Luft etwas weniger schwül ist.
  2. Tagsüber bleiben Vorhänge und Jalousien geschlossen. Jegliche Sonneneinstrahlung treibt die Temperaturen in die Höhe. Besonders geeignet sind Außenjalousien, da sie nur etwa 25% der Sonnenenergie nach innen durchlassen, Innenjalousien dagegen etwa 75%. Behelfsmäßig kann man sonst auch ein Leintuch von außen vor die Fenster hängen.
  3. Trotz hoher Raumtemperaturen sollte auf dünne Bettwäsche nicht verzichtet werden, der Körper kühlt sonst zu sehr aus. Das beste Material ist Baumwolle: Es nimmt den Schweiß auf.
  4. Falls möglich, sollte auf kühlere Räume ausgewichen werden. In Einfamilienhäusern gibt es zwischen den verschiedenen Etagen meist große Temperaturunterschiede, mit den höchsten Temperaturen unter dem Dach. Als zusätzlicher Tipp für den Tag: Für eine Verschnaufpause empfiehlt sich der Besuch eines klimatisierten Einkaufzentrums.
  5. Um der Hitze im Haus gänzlich zu entfliehen, kann auf den Balkon oder den Garten ausgewichen werden. Hier ist die Luft manchmal etwas trockener, wichtig ist aber, dass hier ein schattiges und in der Nacht auch ruhiges Plätzchen zur Verfügung steht. Weiters sollte man auch nicht einen Gelsenschutz vergessen….
  6. Ventilatoren bringen zwar eine Abkühlung, in der Nacht besteht aber die Gefahr einer Erkältung. Daher sollte man ihn nicht direkt auf das Bett richten.
  7. Vor allem im Schlafzimmer, aber auch in den anderen Räumen sollten elektrische Geräte wie Fernseher oder Computer in den Standby-Modus versetzt oder am besten gleich ganz ausgeschaltet werden. Jeder Stromverbraucher ist eine Wärmequelle bzw. eine kleine Heizung.
  8. Als eine langfristige Möglichkeit zum besseren Umgang mit der Wärme empfiehlt sich eine Matratze mit einer Sommer- und einer Winterseite.
  9. Schwere, sprich fettreiche Speisen sollten vermieden und untertags reichlich Wasser getrunken werden, um in der Nacht eine ausreichende Flüssigkeitsversorgung des Körpers zu gewährleisten.
  10. Ungeeignet für eine ruhige Nacht sind alkoholische Getränke. Sie sorgen für einen leichten Schlaf und trocknen den Körper aus.

Wir wünschen allen Lesern und Leserinnen erholsame Nächte!

Titelbild © N. Zimmermann

Am Freitag und Samstag regional kräftige Gewitter

Blitz

Mitteleuropa liegt derzeit am Südrand eines nahezu ortsfesten Tiefdruckgebiets mit Kern über Südskandinavien. Derzeit wird dort das Tief „Karlheinz“ von einem weiteren Tief namens „Michael“ abgelöst und vorübergehend kommt in Teilen Österreichs eine südliche Strömung auf. Die Temperaturen steigen im Südosten auf ein sommerliches Niveau mit bis zu 28 Grad in der Südoststeiermark und im Burgenland, während das Temperaturniveau an der Alpennordseite weiterhin gedämpft bleibt. Am Wochenende zieht dann eine Kaltfront über das gesamte Land hinweg.

Im Südosten wird es am Freitag sommerlich warm.

Am Freitag kräftige Gewitter im Südosten

Am Freitag scheint im Süden und Osten zeitweise die Sonne und die Temperaturen steigen hier auf ein sommerliches Niveau. An der Alpennordseite überwiegen dagegen die Wolken und immer wieder ziehen Schauer durch. Ab dem frühen Nachmittag entstehen im südlichen und östlichen Bergland vermehrt Gewitter, die sich in weiterer Folge unter Verstärkung auf den Südosten ausbreiten. Besonders in der Obersteiermark und im Burgenland kann es örtlich zu Starkregen, Hagel und stürmischen Böen kommen. Einzelne kräftige Gewitter gehen aber auch im Grenzbereich zu Bayern nieder. Am längsten sonnig bleibt es noch von Unterkärnten bis ins Südburgenland.

3h-Niederschlagsprognose für Freitag von ICON-D2.

Am Samstag kräftige Gewitter im Osten

Am Samstag scheint vom Wald- und Weinviertel bis Nordburgenland zunächst zeitweise die Sonne, in weiten Landesteilen überwiegen aber die Wolken und von der Früh weg ziehen einige Regenschauer durch. Am Nachmittag und Abend gehen dann vor allem im Osten und Südosten Gewitter mit lokal großen Regenmengen nieder, der Abend verläuft generell häufig nass. Ganz im Westen werden die Schauer dagegen etwas seltener, ab und zu lässt sich die Sonne blicken. Von West nach Ost liegen die Höchstwerte zwischen 15 und 26 Grad.

3h-Niederschlagsprognose für Samstag von ICON-D2.

Nassester Juli seit 2012, deutlich mehr Regentage als üblich

Im Westen und Norden kühler als üblich

Österreichweit fiel der Juli leicht kühler als im langjährigen Mittel von 1991 bis 2020 aus. Negative Temperaturabweichungen wurden vor allem von Vorarlberg bis Oberösterreich gemessen, während es im äußersten Südosten leicht überdurchschnittliche Werte registriert wurden.
Die größten negativen Abweichungen von rund -1 Grad wurden vom Arlberg über den Pinzgau bis ins Ausseerland verzeichnet. In der Südoststeiermark war der Juli dagegen 1 Grad milder als üblich. Von Osttirol und Oberkärnten über die Obersteiermark bis ins östliche Flachland lagen die Temperaturen im Bereich des langjährigen Mittels.

Temperaturabweichung im Juli 2025.

Heißer Start, dann viel Tiefdruckeinfluss

Der Juli begann unter Hochdruckeinfluss mit großer Hitze: Am 3. wurden in Unterkärnten und im östlichen Flachland Höchstwerte zwischen 37 und 38 Grad gemessen. Eine Kaltfront beendete am 6. Juli im Süden eine der längsten Hitzewellen seit Beginn der Messungen. In Klagenfurt und Ferlach wurden mit 15 bzw. 19 heißen Tagen am Stück neue Rekorde aufgestellt. Die Kaltfront leitete aber eine nachhaltige Wetterumstellung ein. Bis zum Monatsende sorgten mehrere Tiefdruckgebiete – mit nur kurzen Unterbrechungen – für unbeständiges Wetter in weiten Teilen Mitteleuropas. Insgesamt war die Anzahl der Hitzetage aber in etwa durchschnittlich bzw. im Süden sogar leicht überdurchschnittlich.

Hitzetage Juli 2025

Mittel 1991-2020

Bregenz

3

3

Innsbruck

5

8

Salzburg

4

4

Linz

5

6

St. Pölten

7

7

Wien

9

8

Eisenstadt

10

8

Graz

9

6

Klagenfurt

10

7

 

Höchste Temperaturen
  • 38,0 Grad St. Andrä/Lavanttal (K, 3.7.)
  • 37,8 Grad Ferlach (K, 3.7.)
  • 37,6 Grad Bad Deutsch-Altenburg (NÖ, 3.7.)
  • 37,5 Grad Wien Unterlaa (W, 3.7.)
  • 37,4 Grad Gänserndorf (NÖ, 3.7.), Wien Donaufeld (W, 3.7.)

Überdurchschnittlich nass

Über ganz Österreich gemittelt brachte der Juli etwa 45 Prozent mehr Niederschlag als üblich und war damit der nasseste Juli seit 2012. Wie für die Sommermonate typisch, gab es auch diesmal große regionale Unterschiede: Besonders markant fielen die Abweichungen an der Alpennordseite aus. In Bregenz, Linz, Wiener Neustadt und Lunz am See wurde mehr als doppelt so viel Regen wie im langjährigen Mittel verzeichnet. Von Osttirol bis ins Südburgenland waren die Niederschlagsmengen hingegen durchschnittlich.

Der Juli brachte an der Alpennordseite und im Osten deutlich mehr Regen als üblich.
An mehreren Stationen gab es neue Monatsrekorde im Juli.

Örtlich nassester Juli seit Messbeginn

An manchen Wetterstationen war der vergangene Juli der nasseste seit Messbeginn – etwa in Bregenz mit knapp 400 mm Regen. Die häufig kühle Luft in Kombination mit dem vom Juni stark erwärmten Bodensee hat in Bregenz besonders große Regenmengen begünstigt. Neue Rekorde wurden u.a. auch in Galtür, Radstadt, Saalbach und Horn verzeichnet.
Auch die Zahl der Regentage mit mindestens 1 mm Niederschlag war überdurchschnittlich: In Bregenz gab es 20 nasse Tage, üblich wären 13. Im Mittel gab es vielerorts ein Plus von rund 50 Prozent.

Tage mit >1 mm Regen im Juli 2025

Mittel 1991-2020

Bregenz

20

13

Salzburg

20

15

Innsbruck

19

13

Linz

17

12

Wien

14

8

Nasseste bewohnte Orte (Stand: 31.7.)
  • 416 Liter pro Quadratmeter Schröcken (V)
  • 399 Liter pro Quadratmeter Alberschwende (V)
  • 398 Liter pro Quadratmeter Lunz am See (NÖ)
  • 398 Liter pro Quadratmeter Bregenz (V)
  • 383 Liter pro Quadratmeter Schoppernau (V)

Sonne machte Minusstunden, örtlich Rekorde

Im Flächenmittel wurden im Juli rund 25 Prozent weniger Sonnenstunden als üblich verzeichnet. Ähnlich trüb war ein Juli zuletzt im Jahre 2011, noch weniger Sonnenschein gab es im Juli 1979. Das größte Defizit wurde in den Alpen vom Arlberg bis zu den Hohen Tauern gemessen, wo die Abweichungen oft bei -30 bis -40 Prozent lagen. Regional war es im Westen sogar der trübste Juli seit Messbeginn, besonders in Vorarlberg, Tirol und Salzburg wurden gebietsweise neue Negativrekorde registriert.
Neue Stationsrekorde gab es u.a. in Salzburg, Landeck, Imst, Reutte, Mayrhofen, Krimml, Saalbach, Tamsweg und Warth am Arlberg. Etwas geringer fiel das Minus mit rund -15 Prozent dagegen im östlichen Flachland aus.

Sonnenscheinabweichung im Juli 2025.
Sonnigste Orte (Stand: 31.7.; 10 Uhr)
  • 250 Sonnenstunden Mörbisch (B)
  • 247 Sonnenstunden Bad Radkersburg (ST)
  • 242 Sonnenstunden Leibnitz (ST)
  • 240 Sonnenstunden Hornstein, Neusiedl am See (B)
An einigen Stationen war es der bislang trübste Juli seit Messbeginn, mitunter auch bei Stationen mit langen Messreihen, wie etwa Lienz und der Hohe Sonnblick.

Deutlich weniger Blitze als üblich

Das ausgeprägte Sonnendefizit und die meist energiearmen Luftmassen führten im Juli zu einer stark unterdurchschnittlichen Gewittertätigkeit: Mit insgesamt 208.000 Blitzentladungen wurde nur etwa die Hälfte der üblichen Blitzanzahl erreicht. In den vergangenen 15 Jahren wurde eine noch geringere Blitzanzahl nur im Juli 2018 registriert. Besonders deutlich fiel das Minus in Vorarlberg und Kärnten aus, mit Abweichungen um -75 Prozent. Am geringsten war die Abweichung dagegen in Niederösterreich, wo rund -25 Prozent weniger Blitze gezählt wurden. Der Bezirk mit der höchsten Blitzdichte war Linz, gefolgt von Wiener Neustadt und Urfahr-Umgebung.

Blitzdichte im Juli 2025.

Trotz der insgesamt unterdurchschnittlichen Gewitteraktivität kam es dennoch zu Unwettern: Am 13. Juli verursachten Starkregen und Sturmböen in Wiener Neustadt zahlreiche Schäden. Zwei Tage später, am 15. Juli, hinterließ ein möglicher Tornado im Bezirk Schärding lokal schwere Schäden. In der zweiten Monatshälfte kam es in den Alpen stellenweise zu Vermurungen – etwa am 19. in Vorarlberg und am 23. in Tirol.

Hagel
Hagel am Pogusch am 6. Juli 2025. Foto: FF Turnau
Hagel in Schwaz am 19. Juli 2025. Bild: Unwetterfreaks

Verhaltensregeln bei Gewittern

Gewitter mit Blitz

Ein Blitz kündigt sich nicht an und kann manchmal auch mehrere Kilometer abseits eines Gewitterkerns einschlagen. Blitze schlagen zudem nicht immer an den höchsten Objekten ein und können durchaus auch mehr als einmal den selben Punkt treffen (beispielsweise exponierte Gipfelkreuze).

Gefahrenquelle Blitz

Bei  einem Gewitter besteht nicht nur die Gefahr, dass man direkt von einem Blitz getroffen wird, sondern auch das Risiko, in unmittelbarer Nähe eines Einschlags zu stehen. Dabei springt der Blitz aufgrund der extrem hohen Spannung auf alle Stromleiter im unmittelbaren Umfeld über – schwere Verletzungen sind die Folge. Weiters gibt es auch die Gefahr der Schrittspannung: Wenn ein starker Blitz in unmittelbarer Nähe am Boden einschlägt, kann der Strom durch den menschlichen Körper fließen, wenn man im Zuge eines Schrittes den Boden an zwei unterschiedlichen Punkten mit unterschiedlichem elektrischen Potential berührt. Alleine in Deutschland und Österreich sterben jedes Jahr etwa 10 Menschen an den Folgen eines direkten oder indirekten Blitzschlages! Besonders gefährdet sind meist Landwirte und Sportler (besonders Wanderer, Bergsteiger, Golfspieler, aber auch Fußballer und Wassersportler)

10.000 Grad bei Blitzschlag

Bei einem Blitzschlag werden durchschnittliche Stromstärken von 5.000 bis 20.000 Ampere gemessen, vereinzelt werden aber sogar mehr als 250.000 Ampere erreicht. Die Temperatur kann direkt im Blitzkanal kurzzeitig auf mehrere 10.000 Grad steigen. Das explosionsartige Verdampfen des Wassers löst eine Schockwelle aus, die man in weiterer Folge als Donner wahrnimmt.

Wo findet man Schutz?

Wenn man sich im Freien befindet sollte man hohe sowie generell stromleitende Gegenstände meiden sowie fern vom Wasser bleiben. Am besten ist der Unterschlupf in einem Haus mit verschlossenen Fenstern und Türen oder im Auto. Ist man im Freien, sollte man folgende Notmaßnahmen beachten:

  • Auf den Boden kauern, am besten in einer Mulde oder Senke. Die Beine müssen dabei eng beieinander stehen um die Schrittspannung gering zu halten. Im Notfall ist es jedenfalls besser zu hüpfen, als zu laufen.
  • Niemals unter einzelstehenden Bäumen (ganz egal welche Baumart) oder Stromleitungen Schutz suchen!
  • Im Gebirge: Von Graten und Gipfeln fernhalten und Stahlseile und Skilifte meiden. Nahe einer Felswand gibt es ein relativ sicheres Dreieck, dessen Seitenlänge am Boden der Höhe der Wand entspricht.
  • Wenn man keinen Donner mehr hört, bedeutet das nicht, dass das Gewitter vorbei ist. Blitze können auch im Umfeld der Gewitterwolke in den Boden einschlagen. Deshalb ist es auch wichtig, dass man nach dem vermeintlich letzten Donner noch für längere Zeit in Sicherheit bleibt.
  • Stets lokale Wetterberichte lesen und die Tour entsprechend planen (nicht auf Apps verlassen). Bei einer erhöhten Gewitterneigung sollte man nur kurze Touren mit Ausstiegs- oder Schutzmöglichkeiten durchführen.
  • Stets den Himmel beobachten: So erkennt man, ob sich in der Nähe mächtige Quellwolken bzw. Gewitter entwickeln.

 

Die 5 besten Tipps gegen Gelsen

Tipps gegen Gelsen

Wenn der Frühsommer immer wieder kräftigen Regen in Abwechslung mit warmen Wetterphasen bringt, sind die Brutbedingungen für Gelsen ideal. Diese benötigen nämlich für die Ablage ihrer Eier Wasserlachen, die nach Regenfällen natürlich zahlreich zur Verfügung stehen. Anschließend ist die Temperatur entscheidend: Je wärmer es ist, desto schneller entwickeln sich aus den Eiern Larven und anschließend flug- und stechfähige Gelsen.

Maßnahmen gegen die Gelsenplage

In einer natürlichen Umgebung reduzieren beispielsweise Fische in Teichen die Population der Gelsenlarven. Anders ist dies natürlich bei Regentonnen oder Untertöpfen. Hier gefährden nur wenige Tiere die Gelsenlarven, deshalb stellen diese menschengemachten Lebensräume ideale Brutstätten für die Gelsen dar. Ein einziges Weibchen kann dabei bis zu 500 Eier legen.

Anbei die besten Tipps:

  • Um den Gelsen keine Grundlage für ihre Verbreitung zu geben, solltet ihr Gefäße wie Regentonnen und Gießkannen regelmäßig leeren.
  • Ein Gelsenspray ist das wirkungsvollste Mittel, um sich die Insekten für ein paar Stunden vom Leib zu halten. Aber auch bestimmte Kräuter bzw. Pflanzen wie Basilikum, Lavendel, Pfefferminze oder Zitronenmelisse können zumindest ein Teil der Gelsen vertreiben.
  • In den Fenstern ist es sinnvoll ein Gelsengitter zu montieren. Wenn Gelsen bereits in der Wohnung sind, kann man sie mit Durchzug vertreiben. Auch ein Ventilator kann dabei helfen.
  • Dunkle Kleidung soll besonders anziehend auf Gelsen wirken, daher sollte man besser helle Kleidung tragen. Ratsam ist auch, denGroßteil des Körpers mit Kleidung zu bedecken.
  • Im Garten ist es besser gelbe statt weiße Lichtquellen zu verwenden, da Gelsen gelbes Licht nicht wahrnehmen können.

Wirkungslos sind dagegen Zitruskerzen, ebenso wie das Verzehren von Bierhefe oder Knoblauchzehen. Die Wirkung von Lichtfallen ist ebenfalls sehr gering. Einen Stich sollte man jedenfalls auf keinen Fall kratzen: Dadurch kann es zu einer Zusatzinfektion kommen, welche den Heilprozess deutlich verlängert!

Alle Jahre wieder: Die Hundstage im Hochsommer

Die Hundstage stellen die heißeste Zeit des Jahres dar.

Die Zeit vom 23. Juli bis zum 23. August ist landläufig als Hundstage bekannt und gilt als die heißeste Zeit im Jahr. Ihren Ursprung haben diese Tage im alten Ägypten rund zweitausend vor Christus: Rund um den 23. Juli wurde damals nämlich des hellste Stern Sirius am Morgenhimmel  sichtbar. Bei den alten Ägyptern war dieses astronomische Ereignis von besonderer Bedeutung, da zu diesem Zeitpunkt oftmals die Nilflut einsetzte. Außerdem glaubten die Menschen, dass der hellste Stern am Morgenhimmel als „zusätzliche“ Sonne für die sommerliche Hitze verantwortlich sei. Die Dauer der Hundstage erklärt sich daraus, dass vom ersten Auftauchen des Sterns in der Morgendämmerung bis zum vollständigen Erscheinen des Sternbilds etwa ein Monat vergeht.

Sirius zeigt sich am Himmel südöstlich vom Sternbild Orion. Photo credit: AlvinWuFoto on VisualHunt.com

Hundstage und Hitze in Europa: Zufall

Im Alpenraum sind die Hundstage im Mittel tatsächlich die heißeste Zeit des Jahres: Häufig erleben wir von Ende Juli bis Mitte August sehr heiße Tage und warme, teils sogar tropische Nächte. Auch die meisten Hitzerekorde in Mitteleuropa stammen aus dieser Zeit. Mit dem Sternbild „Großer Hund“ hat das aber nichts zu tun, da sich das Erscheinen von Sirius im Laufe der Jahrtausende verschoben hat: Mittlerweile taucht Sirius erst ab Ende August am Morgenhimmel auf, zudem wird das gesamte Sternbild hierzulande erst im Winter vollständig sichtbar.

In Europa kommt Sirius erst im Herbst zum Vorschein. Photo credit: tsbl2000 on Visualhunt

Titelbild: visualhunt.com

 

Wo es am meisten blitzt: Die Gewitter-Hotspots Österreichs

Gewitter

Gewitter können in Mitteleuropa bei passenden Wetterbedingungen das ganze Jahr über auftreten. Die klassische Hochsaison liegt hierzulande typischerweise zwischen Mitte Mai und Ende August. In dieser Zeit sorgt einerseits der hohe Sonnenstand für eine starke Erwärmung der bodennahen Luft, was zu einer labilen Schichtung der Atmosphäre führen kann. Andererseits werden die Luftmassen im Laufe des Sommers insgesamt energiereicher, da wärmere Luft mehr Wasserdampf aufnehmen kann

Blitze in Österreich

Im 15-jährigen Mittel stechen bei der Blitzdichte in Österreich zwei Regionen besonders hervor:

  • Die Gebiete vom Grazer Bergland über die Oststeiermark bis ins Südburgenland
  • Der Alpennordrand vom Innviertel über das Salzkammergut bis ins Gesäuse

Am wenigsten Blitze gibt es dagegen am Alpenhauptkamm vom Montafon bis zu den Ötztaler Alpen, da hier die lange Schneebedeckung sowie die hochgelegenen Täler mit vergleichsweise trockener Luft nur eine kurze Gewittersaison zulassen.

Mittlere Blitzdichte von 2010 bis 2024. © UBIMET

Weiz auf Platz 1

Im Mittel von 2010 bis 2024 sind die drei blitzreichsten Bezirke des Landes in der Steiermark anzutreffen. Weiz liegt an der Spitze, gefolgt von Graz-Umgebung und Hartberg-Fürstenfeld. Auf dem vierten Platz folgt Braunau am Inn in Oberösterreich.

  • 32,7 Blitze/km² Weiz (ST)
  • 31,3 Blitze/km² Graz-Umgebung (ST)
  • 30,6 Blitze/km² Hartberg-Fürstenfeld (ST)
  • 30,5 Blitze/km² Braunau am Inn (OÖ)
  • 30,1 Blitze/km² Graz (ST)
  • 29,1 Blitze/km² Südoststeiermark (ST)
  • 27,8 Blitze/km² Ried im Innkreis (OÖ)
  • 27,3 Blitze/km² Oberwart (B)
  • 26,4 Blitze/km² Voitsberg (ST)
  • 25,8 Blitze/km² Jennersdorf (B)
  • 25,3 Blitze/km² Salzburg Stadt (S)
  • 25,1 Blitze/km² Leibnitz (ST)
Die blitzreichsten Bezirke des Landes liegen in der Steiermark (im Bild: 2010 bis 2024)

Gewitter entstehen besonders häufig über den Bergen und ziehen unter Verstärkung ins angrenzende Flachland.  Die stärksten Gewitter treten oft direkt am Alpenrand auf, da die Luft hier tendenziell feuchter und damit energiereicher ist. Da Mitteleuropa im Bereich der Westwindzone liegt, ziehen Gewitter besonders häufig von West nach Ost. Mit zunehmender Entfernung von den Bergen lässt die Gewitterhäufigkeit nach.

Typische Gewitterzugbahnen in Österreich. Bei Südwestagen ist vor allem die Alpennordseite betroffen, bei West- bis Nordwestlagen dagegen eher der Südosten.

Schlusslicht Landeck

Die geringste Blitzdichte auf Bezirksebene weist der Bezirk Landeck mit einer Dichte von 7,7 Blitzen/km² auf, gefolgt von Bludenz und Imst mit jeweils 7,8 Blitzen/km². Auf Gemeindeebene liegt Sölden auf dem letzten Platz mit 4,5 Blitzen/km², knapp hinter Galtür und Bartholomäberg (auf Platz 1 liegt die Gemeinde Weiz mit 41,5 Blitzen/km²).

In Tirol gibt es große Unterschiede: Während es in Ötztaler Alpen vergleichsweise selten blitzt, gibt es am Alpenrand häufig blitzreiche Gewitter (im Bild: 2010 bis 2024).

Saison-Höhepunkt im Juli

Der blitzreichste Monat des Jahres in Österreich ist meist der Juli mit einem 15-jährigen Mittel von rund 498.000 Blitzentladungen. Es folgen der August mit 370.000, der Juni mit 333.000 und der Mai mit 130.000. Gegen Ende August lässt die Blitzhäufigkeit aufgrund der rasch abnehmenden Tageslänge deutlich nach. Die blitzärmsten Monate sind der November und der Dezember mit jeweils etwa 100 Entladungen.

Mittlere Blitzdichte pro Monat in der Gewittersaison in Österreich. © www.uwz.at

Hagel in Österreich

Hagel ist in Österreich keine Seltenheit, vor allem bei leicht föhnigen Wetterlagen kommt es am Alpennordrand, im Südosten oder im Waldviertel nahezu jährlich lokal auch zu großem Hagel. Vereinzelt wurde auch schon sog. Riesenhagel mit einer Größe von über 10 cm beobachtet. Der Rekord stammt vom 24. Juni 2021, als in Ziersdorf im Bezirk Hollabrunn ein Hagelkorn mit einer Größe von 14 cm dokumentiert wurde. Mehr Infos dazu gibt es hier: Der europäische Hagelrekord.

Hagelmeldungen >2 cm in der ESWD-Datenbank von 2010 bis 2024. © ESWD

Blitzhauptstadt Graz

In Österreich stellt Graz aufgrund der geografischen Lage am Südostrand der Alpen die blitzreichste Landeshauptstadt dar. Einerseits gibt es hier zahlreiche Gebirgsgruppen wie etwa die Lavanttaler Alpen und das Grazer Bergland, welche die Auslöse von Gewittern begünstigen, andererseits ist die Luft hier im Sommer oft sehr feucht bzw. energiereich. Hinzu kommt noch, dass sich die feuchte Luft in tiefen Schichten bei Kaltfrontdurchgängen besonders lange halten kann, weil die bodennahe Kaltluft von den Alpen blockiert wird bzw. über Wien hinweg umgeleitet wird. In mittleren Höhenlagen findet aber dennoch eine Temperaturabnahme statt, was dann in der Steiermark und im Südburgenland zu einer labilen Luftschichtung führt.

Das Wiener „Schutzschild“

Dieser Effekt führt auch dazu, dass es in Graz deutlich häufiger zu kräftigen Gewittern kommt als etwa in Wien. Die energiereiche Luft in der Hauptstadt wird aufgrund der exponierten Lage am Alpenostrand durch aufkommenden Westwind schnell ausgeräumt. Außerdem sorgt ein kanalisierender „Flaschenhals“ zwischen dem Waldviertel und den Voralpen dafür, dass der Wind ab dem Mostviertel meist beschleunigt und etwaigen Gewittern davon läuft – Meteorologen sprechen dabei von einer Druckwelle, die manchmal auch als „Wiener Schutzschild“ bezeichnet wird. Beim Absinken hinter dem Wienerwald trocknet die Luft zusätzlich etwas ab.

Bei sommerlichen Kaltfronten aus NW hält sich südlich der Alpen länger die energiereiche Luft.

Mittlere Blitzdichte pro Landeshauptstadt:

    1. Graz 30,1 Blitze/km²
    2. Salzburg 25,3 Blitze/km²
    3. Bregenz 14,9 Blitze/km²
    4. Eisenstadt 14,8 Blitze/km²
    5. Linz 13,8 Blitze/km²
    6. Wien 13,5 Blitze/km²
    7. Innsbruck 13,2 Blitze/km²
    8. St. Pölten 12,9 Blitze/km²
    9. Klagenfurt 10,1 Blitze/km²

In Wien handelt es sich um einen Durchschnittswert über alle Bezirke – dennoch gibt es auch innerhalb der Stadt Unterschiede: Während in Floridsdorf durchschnittlich nur 11 Blitze pro Quadratkilometer und Jahr registriert werden, sind es in den westlichen Außenbezirken wie Döbling bis zu 16,6. Hier spielt der Wienerwald eine entscheidende Rolle: Einerseits entstehen dort häufiger Gewitter als im Flachland, andererseits wirkt er bisweilen wie eine Barriere für heranziehende Gewitter aus dem Mostviertel, die in der Stadt dann nur noch Regen und Wind bringen.

Gewitter-Hochburg Alpensüdrand

Auf mitteleuropäischer Ebene befinden sich die blitzreichsten Regionen in Norditalien, ganz besonders am Alpenrand rund um Bergamo sowie im Nordosten Italiens von Vicenza bis nach Friaul.

Jährliche Blitze pro Quadratkilometer von 2011 bis 2020. Weather, Climate, and Society 17, 2; 10.1175/WCAS-D-24-0038.1

Blitzschlaggefahr: Das richtige Verhalten bei einem Gewitter

Gewitter

In Österreich kommt es jährlich zu etwa 1,3 Mio. Blitzentladungen, von denen rund 20 % in den Boden einschlagen.  Besonders viele Blitze pro Jahr treten im südöstlichen Berg- und Hügelland sowie entlang der Nordalpen auf. Im Zehnjahresmittel liegen die Bezirke mit der höchsten Blitzdichte in der Steiermark:

  • 34,6 Blitze/km² Weiz (ST)
  • 32,7 Blitze/km² Graz-Umgebung (ST)
  • 29,3 Blitze/km² Hartberg-Fürstenfeld (ST)

Am niedrigsten ist die Blitzdichte in den Bezirken Bludenz und Landeck mit durchschnittlich 8,2 bzw. 8,6 Blitzen pro km². Weitere Informationen dazu findet man hier: Die blitzreichsten Regionen in Österreich.

Mittlere Blitzdichte von 2010 bis 2019. © UBIMET

Gefahrenquelle Blitz

Die Zahl der Todesfälle durch Blitzschlag ist in Österreich in den vergangenen Jahrzehnten deutlich zurückgegangen: Während es in den 1960er-Jahren noch 20 bis 40 Blitztote pro Jahr gab, sind es heutzutage durchschnittlich ein bis zwei. Schätzungsweise enden ein Drittel aller Blitzunfälle tödlich. Damals waren vor allem Menschen in der Landwirtschaft betroffen, heute ereignen sich viele Unfälle bei Freizeitaktivitäten. Ein häufiger statistischer Vergleich zur Wahrscheinlichkeit, vom Blitz getroffen zu werden, ist der Lotto-Sechser.

Die Wahrscheinlichkeit für einen Lotto-Sechser ist in Österreich in etwa vergleichbar zu einem Blitzschlag. Grafik: APA

Ein Blitz kündigt sich in der Regel nicht an und er kann auch mehrere Kilometer abseits des Gewitterkerns einschlagen. Blitze treffen auch nicht immer die höchsten Objekte und können durchaus auch mehrfach am gleichen Punkt einschlagen – beispielsweise in Sendeanlagen auf Berggipfeln.

Blitz
In den Bergen können Blitze überall einschlagen. Foto: www.foto-webcam.eu

Viele Blitztote in Osteuropa

Laut einer neuen Studie des ESSL gab es in Europa zwischen 2001 und 2020 durchschnittlich 64 Todesfälle durch Blitzschlag pro Jahr. Die Mehrheit der Opfer ist männlich (78%) und stammt überwiegend aus Osteuropa – insbesondere aus der Türkei bzw. aus Bulgarien, Moldawien und Rumänien. Die wenigsten Blitztoten wurden in West- und Nordeuropa verzeichnet. Das liegt einerseits an der geringeren Blitzhäufigkeit, andererseits aber auch an der inhomogenen Datenverfügbarkeit sowie an gesellschaftlichen Aspekten: In diesen Regionen arbeiten deutlich mehr Menschen im Freien, vor allem in der Landwirtschaft, oft ohne ausreichende Schutzmöglichkeiten. In Westeuropa ereignen sich Blitzunfälle hingegen meist bei Freizeitaktivitäten – so kamen allein seit dem vergangenen Sommer fünf Menschen in den österreichischen Alpen durch Blitze ums Leben.

Anzahl an Blitztoten von 2001 bis 2020. © Weather, Climate, and Society 17, 2; 10.1175/WCAS-D-24-0038.1
Jährliche Blitze pro Quadratkilometer von 2011 bis 2020. © Weather, Climate, and Society 17, 2; 10.1175/WCAS-D-24-0038.1

Schrittspannung

Bei einem Gewitter besteht nicht nur die Gefahr eines direkten Blitzschlags, sondern auch das Risiko, sich in unmittelbarer Nähe eines Einschlags zu aufzuhalten. Der Strom breitet sich an der Einschlagstelle radial im Boden aus. Die Spannung zwischen zwei Punkten mit gleichem Abstand vom Einschlagpunkt nimmt mit zunehmender Entfernung ab – man nennt dieses Phänomen auch „Spannungstrichter“. Schlägt ein starker Blitz wenige Meter neben einer Person ein, kann Strom durch den Körper fließen, wenn die Person mit zwei Punkten mit unterschiedlichem elektrischen Potenzial in Berührung ist (zum Beispiel beim Gehen). Diese sog. „Schrittspannung“ wird gefährlicher, je größer der Abstand zwischen den Kontaktpunkten ist. Deshalb sind etwa Kühe auf den Almen bei Gewittern besonders gefährdet, und für uns Menschen ist die Hockstellung die sicherste Position.

Spannungstrichter bzw. Schrittspannung in Folge eines Blitzeinschlages. Weitere Infos gibt es auch hier.

1. Schritt: Gute Planung

Der Schutz vor Blitzen beginnt bereits bei der Planung von Freizeitaktivitäten: Im Normalfall sollte vermieden werden, während eines Gewitters überhaupt unterwegs zu sein. Je nach Wettervorhersage muss die Tourenplanung angepasst werden – nur bei stabilen Wetterlagen sind sehr lange bzw. exponierte Touren sicher machbar. Generell sollte man sich nicht ausschließlich auf automatisierte Prognosen einer vorinstallierten Handy-App verlassen. Es ist ratsam, schriftlichen Prognosen von Meteorologen zu lesen und idealerweise mehrere Quellen zu vergleichen, zum Beispiel wetter.tv oder unseren Lagebericht). Ziel ist es, die Gewitterwahrscheinlichkeit einzuschätzen und die Tour entsprechend anzupassen. Tatsächlich gibt es kein „perfektes“ Wettermodell, das immer akkurate Gewitterprognosen liefert, ebenso wenig wie eine „perfekte“ App. Bei einer Gewittervorwarnung auf www.uwz.at sollte man von einer erhöhten Gefahr ausgehen. Auch knapp außerhalb der gelb markierten Gebiete ist aber Vorsicht geboten, denn die Wahrscheinlichkeit für Gewitter ist dort zwar geringer, aber meist nicht null.

Blitz
Blitzeinschlag bei einem Gewitter. © AdobeStock

Bei einer erhöhten Gewitterneigung sollte man jedenfalls nur kurze Touren mit Ausstiegs- und Einkehrmöglichkeiten planen. Es ist auch ratsam, früher zu starten und längere Klettersteige zu vermeiden. Die Exposition der Tour sollte eine freie Sicht auf etwaige aufziehende Gewitter ermöglichen (wenn etwa eine Gewitterfront aus Westen erwartet wird, sollte man auf eine halbwegs freie Sicht in diese Richtung achten).

2. Schritt: Wetter im Auge behalten

Unterwegs sollte man dann stets die Wolken im Auge behalten: Wenn viele Quellwolken in die Höhe wachsen bzw. zusammenwachsen und dunkler werden, nimmt die Gewittergefahr zu. Falls das Handynetz es ermöglicht, kann man auch gelegentlich aktuelle Radar– bzw. Blitzdaten checken. Sobald man einen Donner hört, muss sofort die Lage überprüft werden: Wo bildet sich das Gewitter bzw. wo zieht es hin? Im Zweifel sollte man direkt nach einem Unterschlupf Ausschau halten.

Zunehmende Quellbewölkung mit dunkler werdenden sowie absinkender Wolkenbasis kann auf Schauer und Gewitter hindeuten.

3. Schritt: Was tun im Notfall?

Wenn man von einem Gewitter im Freien erwischt wird, sollte man zunächst hohe bzw. exponierten Orte sowie stromleitende Gegenstände meiden (Klettersteige sind besonders gefährlich). Am besten ist der Unterschlupf in einem Haus mit verschlossenen Fenstern oder im Auto. Ist man im Freien, sollte man folgende Notmaßnahmen beachten:

  • In die Hocke gehen, am besten in einer Mulde oder Senke. Die Beine müssen dabei eng beieinander stehen, um die Schrittspannung gering zu halten. Im Notfall ist es besser zu hüpfen oder laufen, als zu gehen.
  • Nicht unter einzelnstehende Bäume (ganz egal welche Baumart) oder Strommasten Schutz suchen.
  • Von Graten und Gipfeln fernhalten und Stahlseile und Skilifte meiden. Nahe einer Felswand gibt es ein relativ sicheres Dreieck, dessen Seitenlänge am Boden der Höhe der Wand entspricht. Die Wand soll man aber nicht berühren.
  • Blitze können auch einige Kilometer abseits der Gewitterwolke in den Boden einschlagen (ohne jeglichen Niederschlag). Nach dem vermeintlichen letzten Donner sollte man jedenfalls noch für längere Zeit am sicheren Ort abwarten (ca 15-30 Minuten).
Blitzeinschlag in den Wiener Donauturm am 8. August 2021. Foto: Thomas Görlitz
Blitzeinschlag in den Wiener Donauturm am 8. August 2021. Für den Menschen ist das Risiko eines direkten Blitzschlags in den Straßen einer größeren Stadt aufgrund der vielen Gebäude etwas geringer als im freien Gelände. Foto: Thomas Görlitz

Bislang etwas weniger Blitze als üblich

In diesem Jahr wurden bislang etwas weniger Blitze als üblich verzeichnet. Verantwortlich dafür war in erster Linie der kühle Mai, der etwa 60 Prozent weniger Entladungen brachte als im 10-jährigen Mittel. Der Juni war dagegen durchschnittlich, mehr dazu hier: Blitz-Hotspot Steiermark im Juni 2025.

Vorläufige Blitzdichte im Sommer 2025. © www.uwz.at

 

 

 

Heftige Gewitter: Blitz-Hotspot Steiermark im Juni 2025

Gewitter

Vom 1. bis 30. Juni 2025 registrierte das Blitzortungssystem von UBIMET im Hochpräzisionsmessbereich exakt 358.075 Blitzentladungen (Wolken- und Erdblitze) über ganz Österreich. Die Anzahl der Blitze in diesem Juni entspricht ziemlich genau dem Durchschnitt der vergangenen zehn Jahre.

Blitzdichte im Juni 2025 (zum Vergrößern auf das Bild klicken). © www.uwz.at

Regional zeigte sich jedoch ein sehr unterschiedliches Bild: In Wien, dem Burgenland und der Steiermark lag die Blitzaktivität rund 30 bis 50 Prozent über dem mehrjährigen Mittel. Im Westen Österreichs war die Bilanz durchschnittlich bis leicht überdurchschnittlich. Von Salzburg bis Niederösterreich wurden hingegen weniger Blitze als üblich gezählt. Das deutlichste Minus wurde in Kärnten verzeichnet, hier lag die Blitzanzahl rund 60 Prozent unter dem Durchschnitt.

Gewitter in Wien.
Ein starkes Gewitter über Wien am 7. Juni. © Storm Science Austria

Unwetter mit Hagel, Sturm und Starkregen

Der blitzreichste Tag des Monats war der 26. Juni mit insgesamt 138.000 Entladungen. An zweiter Stelle folgt der 23. Juni mit etwa 94.000 Blitzen. An beiden Tagen kam es örtlich zu unwetterartigen Gewittern, so wurden am 26. etwa in Kamp bei Frantschach-St. Gertraud (Kärnten) sowie in Fügen im Zillertal (Tirol) Hagelkörner um 5 cm beobachtet.

Hagel
Bis zu fünf Zentimeter große Hagelkörner in Fügen im Zillertal am 26. Juni. © Unwetterfreaks

Auch in Teilen des Waldviertels und der Steiermark kam es zu kräftigen Gewittern mit Hagel, Starkregen und Sturmböen. Die stärkste Windböe des Monats wurde am 23. am Flughafen Salzburg gemessen – mit rund 120 km/h. Stürmisch verlief dieser Tag auch in Teilen Vorarlbergs, so wurden etwa in Alberschwende Böen bis 102 km/h registriert.


Am Monatsletzten führten langsam ziehende Gewitter zu lokalen Überflutungen und Vermurungen. Besonders betroffen waren das Gschnitztal sowie das Tiroler Oberland.

Steiermark auf Platz 1

Mit etwas mehr als 131.000 Blitzentladungen liegt die Steiermark im Bundesländervergleich deutlich voran, hier wurden im Flächenmittel 8 Blitze pro Quadratkilometer verzeichnet. Dahinter folgen das Burgenland mit 7,7 und Oberösterreich mit 5,4 Entladungen pro Quadratkilometer. An letzter Stelle liegt Kärnten mit durchschnittlich nur 1,2 Blitzen pro Quadratkilometer – das entspricht einem Minus von rund 60 Prozent gegenüber dem mehrjährigen Mittel.

Bundesland Blitze pro km² Entladungen Abweichung
Steiermark 8,0 131.900 +29%
Burgenland 7,7 30.500 +52%
Oberösterreich 5,4 65.000 -22%
Vorarlberg 3,4 8.800 +1%
Wien 3,1 1.300 +58%
Tirol 3,0 38.000 +17%
Salzburg 2,8 20.000 -23%
Niederösterreich 2,7 51.200 -17%
Kärnten 1,2 11.400 -61%
Blitz
Ein Blitz im Mürztal am 26. Juni.

Blitzhauptstadt Graz

Auf Bezirksebene liegt Graz mit einer Blitzdichte von 34,3 Entladungen pro Quadratkilometer an erster Stelle, gefolgt von Voitsberg mit 19,9 und Hartberg-Fürstenfeld mit 19,5 Entladungen pro Quadratkilometer. Die ersten Bezirke außerhalb der Steiermark sind Oberwart (Platz 6) mit 17,0 und Braunau am Inn (Platz 7) mit 14,4 Entladungen pro Quadratkilometer.

Dass Graz den ersten Platz belegt, überrascht kaum. Die geographische Lage am Südostrand der Alpen begünstigt die Entstehung von Gewittern. Zum einen sorgen zahlreiche umliegende Gebirgsgruppen für günstige Bedingungen, zum anderen ist die Luft im Sommer häufig sehr feucht und energiereich. Besonders bei Kaltfrontdurchgängen kann sich die feuchte Luft lange halten, da die kühlere Luft von den Alpen blockiert und über Wien umgeleitet wird. Mehr dazu hier: Die blitzreichsten Regionen des Landes.

Gewitter
Gewitter bei Graz am 23. Juni 2025. © Storm Science Austria

Stärkster Blitz in Tirol

Die Kraft von Blitzen wird über die Stromstärke in der Einheit Ampere angegeben. Im heurigen Juni wurde der stärkste Blitz des Landes in Tirol gemessen: Spitzenreiter ist eine Entladung mit gut 287.700 Ampere am Abend des 21. Juni in Sölden im Bezirk Imst. Die stärksten Blitze treten aber meist nicht in Zusammenhang mit den stärksten Gewittern auf, so können auch vergleichsweise harmlose Kaltluftgewitter im Winter zu sehr starken Blitzentladungen führen.

Quellwolken
Quellwolken über den Tiroler Bergen am 30. Juni 2025. © Unwetterfreaks

Hier kann man sich den Blitzverlauf Tag für Tag anschauen: Blitzanimation Juni 2025.

Analyse und Messungen der maximalen täglichen Niederschlagssumme. © www.uwz.at

Am Donnerstag erhöhte Unwettergefahr durch Gewitter

Gewitter

Österreich liegt aktuell noch unter Hochdruckeinfluss, am Donnerstag zieht über Nordeuropa aber ein Tief namens „Bastian“ auf. Anfangs scheint mit der Ausnahme vom äußersten Westen noch verbreitet die Sonne, im Laufe des Vormittags ziehen im westlichen Bergland aber erste Schauer auf und in den Mittagsstunden steigt die Gewitterneigung von Vorarlberg bis in die westliche Obersteiermark verbreitet an. Am Nachmittag breiten sich die Gewitter unter Verstärkung auf das gesamte Berg- und Hügelland aus, zudem sind auch im Flachland erste kräftige Gewitter zu erwarten.

Aktuelle Regenprognose des Modells ICON-D2 für den Donnerstag.

Örtlich besteht die Gefahr von Hagel, Starkregen und teils schweren Sturmböen um 100 km/h. In den Abendstunden verlagert sich der Schwerpunkt immer mehr in den Osten, aber auch im Süden ziehen lokal kräftige Gewitter durch.

Die Prognose der Windböen am Donnerstag von drei unterschiedlichen Lokalmodellen: Man erkennt sowohl die großen Unsicherheiten (je nach Gewitterzugbahnen), als auch das erhöhte Potenzial für schwere Sturmböen.

Hitzewelle im Süden setzt sich fort

Die Temperaturen erreichen am Donnerstag von West nach Ost 25 bis 36 Grad. Besonders heiß wird es von Unterkärnten bis ins östliche Flachland, die absoluten Hotspots liegen etwa in der Südsteiermark und im Seewinkel.

Modellprognose der Höchstwerte am Donnerstag.

Die seit Sonntag andauernde Hitzewelle im Süden des Landes setzt sich bis auf Weiteres fort, so liegen die Höchstwerte in Kärnten und der südlichen Steiermark auch in den kommenden Tagen stets über der 30-Grad-Marke. Mancherorts wie in Klagenfurt könnte sogar ein neuer Rekord der längsten ununterbrochenen Serie an Hitzetagen aufgestellt werden. Der Rekord in Klagenfurt liegt bei 11 Hitzetagen in Serie und wurde erst im vergangenen Juli aufgestellt.

Die längsten Serien an Hitzetagen pro Landeshauptstadt (zum Vergrößern auf das Bild klicken).

Trend: hochsommerlich

Am Freitag steht der Siebenschläfertag an. Es handelt sich dabei um einen altbekannten Lostag in der Meteorologie, der sich in zahlreichen Bauernregeln widerspiegelt. Tatsächlich lässt sich im Hochsommer eine statistisch nachweisbare Erhaltungstendenz von Wetterlagen im Alpenraum beobachten. Für diese meteorologische Singularität ist jedoch nicht ein einzelner Tag entscheidend, sondern die Witterung der letzten Juni- und ersten Juliwoche.
Der Siebenschläfertag verläuft an der Alpennordseite zwar leicht unbeständig mit lokalen gewittrigen Schauern, am Wochenende nimmt der Hochdruckeinfluss jedoch wieder zu und die Temperaturen steigen erneut an. Der Trend zum Monatswechsel deutet auf heißes und meist trockenes Wetter hin – damit würde die meteorologische Singularität die langfristigen Modellprognosen für einen überdurchschnittlich heißen Hochsommer bestätigen.

Die aktuelle Prognose für Klagenfurt (www.morecast.com)

Das Wetter am Siebenschläfertag sieben Wochen bleiben mag

Siebenschläfer schaut wie das Wetter wird

Der Siebenschläfertag ist ein altbekannter Lostag in der Meteorologie, welcher sich in zahlreichen Bauernregeln widerspiegelt. Das Wetter vom 27. Juni soll demnach den Trend für die nächsten 7 Wochen setzen. Anbei eine kleine Auswahl an Bauernregeln:

  • Das Wetter am Siebenschläfertag sieben Wochen bleiben mag.
  • Scheint am Siebenschläfer Sonne, gibt es sieben Wochen Wonne.
  • Wie’s Wetter am Siebenschläfertag, so der Juli werden mag.
  • Ist der Siebenschläfer nass, regnet’s ohne Unterlass.
  • Schlafen die Siebenschläfer im Regen, wird’s ihn noch sieben Wochen lang geben.

Meteorologischer Hintergrund

Tatsächlich gibt es im Hochsommer eine statistisch nachweisbare Erhaltungstendenz von Wetterlagen im Alpenraum. Für diese meteorologische Singularität ist allerdings nicht ein einzelner Tag relevant, sondern die Witterung in der letzten Juniwoche und der ersten Juliwoche. Tatsächlich findet der Lostag aufgrund der gregorianischen Kalenderreform eigentlich auch erst etwa eine gute Woche später statt. Auf die erste Juliwoche trifft diese Singularität in Süddeutschland und im Alpenraum aber in etwa 60 bis 80% der Fälle zu. Im maritim geprägten Klima Norddeutschlands ist dies hingegen deutlich seltener der Fall.

Weichenstellung

Etabliert sich Ende Juni bzw. Anfang Juli somit eine stabile Hochdruckzone über Europa, stehen die Chancen gut, dass sie bis weit in den Juli hinein erhalten bleibt. Das Gleiche gilt allerdings auch umgekehrt: Liegt der Jetstream über Mitteleuropa weit südlich, so ist der Weg frei für Tiefdruckgebiete und anhaltend wechselhafte Bedingungen sind vorprogrammiert. Derzeit deuten die Modelle rund um den Monatswechsel auf ein ausgeprägtes Azorenhoch über dem Atlantik hin, was in Mitteleuropa wiederum auf eher wechselhaftes und nicht besonders heißes Wetter hindeutet. Demnach würden der Juli und die erste Augusthälfte in Europa unbeständig mit gewittrigen Schauern bei nahezu durchschnittlichen Temperaturen ausfallen.

Herkunft

Mit dem gleichnamigen Nagetier hat der Siebenschläfertag nichts zu tun. Der Name stammt dagegen von einer alten Legende: Bei der Christenverfolgung um das Jahr 250 sollen sieben junge Christen in einer Berghöhle in Ephesus entdeckt und lebendig eingemauert worden sein. Gemäß der Legende starben sie aber nicht, sondern schliefen mehrere hundert Jahre lang. An einem 27. Juni wurden sie dann zufällig entdeckt und wachten auf.

Am Sonntag Hitze, am Montag Blitze

Gewitter mit Blitz

Ein umfangreiches Hochdruckgebiet namens Zora sorgt am Wochenende für häufig sonniges Sommerwetter im Alpenraum. Gewitter sind vorerst nur vereinzelt zu erwarten: Am Samstag gehen im Bergland von Vorarlberg bis ins Tiroler Oberland sowie in Osttirol örtlich Hitzegewitter nieder, der Sonntag verläuft nahezu landesweit sonnig und trocken. Die Temperaturen steigen weiter an und erreichen am Sonntag hochsommerliche 28 bis 34 Grad.

Satellitenbild von Samstagnachmittag: Hoch Zora sorgt verbreitet für sonniges Sommerwetter, nur in den Westalpen und NW-Italien sind Gewitter zu erwarten.

Am Montag Hitze und Unwettergefahr

Zu Wochenbeginn gerät Mitteleuropa unter den Einfluss eines Tiefs namens „Ziros“ mit Kern über Nordeuropa. Im Vorfeld der dazugehörigen Kaltfront steigt die Gewittergefahr deutlich an:  Der Tag startet zwar meist noch freundlich, bereits am Vormittag gehen vom Bodensee bis ins Mühlviertel aber erste Schauer und Gewitter nieder. Im Tagesverlauf werden diese häufiger und breiten sich aus. Besonders im zentralen und östlichen Berg- und Hügelland sowie im Norden besteht örtlich Unwettergefahr durch teils schwere Sturmböen zwischen 80 und 100 km/h und Hagel, an der Alpennordseite frischt generell kräftiger Westwind auf.

Gewitterpotential am Montag. © www.uwz.at

Am längsten freundlich bleibt es ganz im Süden und Osten, dort wird es dann am Abend stellenweise gewittrig. Entsprechend liegen die Höchstwerte von West nach Ost zwischen 25 und sehr heißen 36 Grad.

Im Süden und Osten steht der bislang heißeste Tag des Jahres bevor.

Kaum Abkühlung

Die Kaltfront bringt zwar Gewitter, diese sorgen allerdings nur für eine verhaltene und kurzzeitige Abkühlung: Am Dienstag sind Höchstwerte zwischen 26 und 33 Grad in Sicht und am Mittwoch wird es mit 28 bis 36 Grad neuerlich sehr heiß. Nachfolgend ist eine Abkühlung möglich, die Unsicherheiten sind derzeit aber noch erhöht.

21. Juni: Astronomischer Sommerbeginn

Sommerliche Stimmung - pixabay.com

Der astronomische Sommeranfang markiert den Zeitpunkt, an dem die Sonne auf der Nordhalbkugel ihren höchsten Stand am Himmel erreicht – das ist zur Sommersonnenwende um den 21. Juni. An diesem Tag ist der längste Tag und die kürzeste Nacht des Jahres. Der Sommer beginnt astronomisch gesehen genau dann, wenn die Sonne den nördlichen Wendekreis (23,5° nördlicher Breite) überquert, dies passiert heuer um 4:42 Uhr am 21. Juni.
Obwohl die Tage ab Ende Juni langsam wieder kürzer werden, steht die heißeste Zeit des Jahres noch bevor: Im Mittel fällt diese aufgrund der thermischen Trägheit der Land- und vor allem Meeresoberflächen nämlich erst von Mitte Juli bis Mitte August statt.

Der späteste Sonnenuntergang findet am 26. Juni statt.
Der späteste Sonnenuntergang findet am 26. Juni statt.

Der längste Tag und der früheste Sonnenaufgang fallen aufgrund der Neigung der Erdachse sowie der elliptischen Umlaufbahn unseres Planeten um die Sonne aber nicht auf den selben Tag. Der späteste Sonnenuntergang steht am am 26. Juni bevor, der früheste Sonnenaufgang war dagegen schon am 15. Juni.

Sommersonnenwende

Zum astronomischen Sommerbeginn, auch Sommersonnenwende genannt, sind die Tage im gesamten Jahr am längsten: In Wien etwa geht die Sonne bereits kurz vor 5 Uhr in der Früh auf und erst gegen 21 Uhr wieder unter. An wolkenlosen Tagen scheint die Sonne somit gut 16 Stunden. In Hamburg sind sogar 17 Stunden Sonnenschein möglich. Von nun an werden die Tage wieder kürzer: Vorerst nur sehr langsam, bis zum Monatsende um gerade einmal vier Minuten. Erst gegen Ende August werden die Tage merklich kürzer.

Die Tageslänge im Verlauf des Jahres. © UBIMET
Die Tageslänge im Verlauf des Jahres. © UBIMET

Titelbild © Adobe Stock

Die 5 besten Tipps gegen Stechmücken

Tipps gegen Gelsen

Wenn der Frühsommer immer wieder kräftigen Regen in Abwechslung mit warmen Wetterphasen bringt, sind die Brutbedingungen für Stechmücken ideal. Diese benötigen nämlich für die Ablage ihrer Eier Wasserlachen, die nach Regenfällen natürlich zahlreich zur Verfügung stehen. Anschließend ist die Temperatur entscheidend: Je wärmer es ist, desto schneller entwickeln sich aus den Eiern Larven und anschließend flug- und stechfähige Mücken.

Maßnahmen gegen die Mückenplage

In einer natürlichen Umgebung reduzieren beispielsweise Fische in Teichen die Population der Mückenlarven. Anders ist dies natürlich bei Regentonnen oder Untertöpfen. Hier gefährden nur wenige Tiere die Mückenlarven, deshalb stellen diese menschengemachten Lebensräume ideale Brutstätten für die Stechmücken dar. Ein einziges Weibchen kann dabei bis zu 500 Eier legen.

Anbei die besten Tipps:

  • Um den Mücken keine Grundlage für ihre Verbreitung zu geben, solltet ihr Gefäße wie Regentonnen und Gießkannen regelmäßig leeren.
  • Ein Mückenspray ist das wirkungsvollste Mittel, um sich die Insekten für ein paar Stunden vom Leib zu halten. Aber auch bestimmte Kräuter bzw. Pflanzen wie Basilikum, Lavendel, Pfefferminze oder Zitronenmelisse können zumindest ein Teil der Stechmücken vertreiben.
  • In den Fenstern ist es sinnvoll ein Mückengitter zu montieren. Wenn Stechmücken bereits in der Wohnung sind, kann man sie mit Durchzug vertreiben. Auch ein Ventilator kann dabei helfen.
  • Dunkle Kleidung soll besonders anziehend auf Mücken wirken, daher sollte man besser helle Kleidung tragen. Wichtig ist auch, dass der Großteil des Körpers mit Kleidung bedeckt ist.
  • Im Garten ist es besser gelbe statt weiße Lichtquellen zu verwenden, da Mücken gelbes Licht nicht wahrnehmen können.

Wirkungslos sind dagegen Zitruskerzen, ebenso wie das Verzehren von Bierhefe oder Knoblauchzehen. Die Wirkung von Lichtfallen ist ebenfalls sehr gering. Einen Stich sollte man jedenfalls auf keinen Fall kratzen: Dadurch kann es zu einer Zusatzinfektion kommen, welche den Heilprozess deutlich verlängert!

Bis Pfingsten regional kräftige Gewitter, dann Abkühlung

Gewitter

Die Wetterlage in Europa ist derzeit noch recht festgefahren: Am Rande eines umfangreichen Tiefs mit Kern über dem Nordmeer hat sich quer über Mitteleuropa eine Luftmassengrenze entwickelt, die sich von Südfrankreich über Süddeutschland bis nach Südostpolen erstreckt. Am Südrand dieser Luftmassengrenze gelangt mit einer südwestlichen Höhenströmung feuchtwarme und energiereiche Luft nach Österreich. Erst im Laufe des Sonntags wird diese Wetterlage mit Durchzug einer Kaltfront beendet.

Eine Luftmassengrenze liegt bis Samstag quer über Mitteleuropa.

Donnerstag: Gewitter im Nordosten

Am späten Donnerstagnachmittag breiten sich an der Alpennordseite ausgehend vom Berg- und Hügelland vermehrt kräftige Gewitter aus. In den Abendstunden ziehen diese Gewitter unter Verstärkung über den Nordosten hinweg. Besonders vom Traunviertel bis ins Wald- und Weinviertel muss man örtlich mit Unwettergefahr rechnen, hier kann es zu Hagel, großen Regenmengen in kurzer Zeit und teils stürmischen Windböen kommen. Von Unterkärnten bis ins Burgenland bleibt es dagegen trocken bei Temperaturen bis zu knapp 32 Grad.

In Teilen Niederösterreichs ist die Gefahr von großem Hagel zwischen 2 und 4 cm erhöht.

Freitag: Gewitter im Norden

Am Freitag gestaltet sich das Wetter zunächst ruhig und im Laufe des Tages kommt häufig die Sonne zum Vorschein. Im Laufe des Nachmittags sind in den Nordalpen und im Rax-Schneeberg-Gebiet einzelne Gewitter möglich, abseits der Alpen bleibt es lange Zeit ruhig und trocken. In den Abendstunden greifen die Gewitter an der Alpennordseite aber immer häufiger aus das nördliche Alpenvorland über, am späten Abend sind v.a. in Teilen Ober- und Niederösterreichs wieder kräftige Gewitter möglich. Die Temperaturen bleiben zweigeteilt: An der Alpennordseite gibt es 22 bis 28 Grad, im Südosten werden bis zu 30 oder 31 Grad erreicht.

Am Freitagabend bzw. in der Nacht auf Samstag sind v.a. im Norden kräftige Schauer und Gewitter in Sicht.

Samstag: Gewitter an der Alpennordseite

Der Samstag bringt an der Alpennordseite eine zunehmende Unwettergefahr. Zunächst sind Gewitter in den westlichen Nordalpen zu erwarten, im Laufe des Nachmittags breiten sich diese aber auf den Norden und Nordosten aus. Örtlich kann es zu großem Hagel, Starkregen und Sturmböen kommen. Trocken bleibt es nochmals von Unterkärnten bis ins Süd- und Mittelburgenland. Die Höchstwerte liegen von West nach Südost zwischen 22 und 32 Grad.

Am Samstag gibt es nördlich der Alpen eine gute Überlappung von CAPE und Windscherung, was die Entstehung von kräftigen Gewittern ermöglicht.

Zu Pfingsten Gewitter im Süden

Am Pfingstsonntag gestaltet sich das Wetter häufig trüb und nass, im Süden und Südosten ziehen nach einem sonnigen Start mitunter kräftige Gewitter durch. In den Nachmittags- und Abendstunden regnet südlich der Tauern zeitweise kräftig, besonders in Oberkärnten sind örtlich große Regenmengen in kurzer Zeit möglich. Die Temperaturen erreichen von Nord nach Süd 15 bis 28 Grad. Am Pfingstmontag ist eine Besserung in Sicht, die Temperaturen erreichen aber nur noch 15 bis 25 Grad.

Steht uns ein Jahrhundertsommer bevor?

Hochsommer mit Hitzewelle

Zurzeit gibt es in den Medien gehäuft Schlagzeilen, dass laut manchen Meteorologen in Europa ein „Jahrhundertsommer“ mit Temperaturen um 40 Grad und mehr zu erwarten sei. Diese Aussagen stammen von einzelnen Plattformen, die gezielt Aufmerksamkeit erhalten wollen (Stichwort Clickbaiting). Sie sind allerdings deutlich überspitzt und zum Teil sogar unseriös.  Generell werden auch zwei Themen vermischt: Die mittlere Sommertemperatur und die absoluten Höchstwerte. Die verfügbaren Modelle geben nämlich nur einen Hinweis auf ersteres, während die absoluten Höchstwerte von einzelnen Wetterlagen abhängen. Erst im Vorjahr gab es ein Paradebeispiel: Der Sommer 2024 war etwa in Wien der wärmste seit Messbeginn, es gab aber eine Höchsttemperatur von „nur“ 36,4 Grad, was deutlich unter dem Wiener Rekord von 39,5 Grad aus dem August 2013 liegt.

Aktuelle Modellprognosen

Ursache für die aktuellen Schlagzeilen sind die neuesten saisonalen Modellberechnungen der internationalen Wetterdienste. Diese werden einmal im Monat veröffentlicht, und zwar am 10. Tag des Monats. Da der meteorologische Sommer vom 1. Juni bis zum 31. August geht, war dies das letzte Update vor dem Sommerbeginn.

Multimodell-Prognose der Temperaturabweichung im Sommer 2025.

Im Mittel geben die neun Wettermodelle ein recht eindeutiges Signal für den kommenden Sommer in Europa. Von West nach Ost gibt es Abweichungen zwischen etwa +1 und +2 Grad im Vergleich zum Modellklima von 1993 bis 2016. Im Detail gibt es von Modell zu Modell aber Unterschiede: So sind einzelne Modelle besonders extrem, wie etwa das kanadische Modell ECCC, während andere geringere Abweichungen berechnen, wie das amerikanische NCEP-Modell.

Besonders extrem ist die Anomalie im kanadischen Modell (im Ostalpenraum um +2 Grad Abweichung) ↙️, weniger ausgeprägt fällt dagegen die Berechnung der Amerikaner aus (um +1 Grad Abweichung) ↘️.

[image or embed]

— Nikolas Zimmermann (@nikzimmer87.bsky.social) 12. Mai 2025 um 18:33

Feucht oder trocken?

Man kann also mit hoher Wahrscheinlichkeit davon ausgehen, dass der Sommer 2025 wärmer bzw. vermutlich sogar deutlich wärmer als üblich ausfallen wird. Ob der Sommer aber feuchtwarm wie etwa im Vorjahr oder trocken-heiß mit extremen Hitzepeaks verlaufen wird, kann man daraus allein nicht ableiten. Das hängt von den vorherrschenden Großwetterlagen und den Niederschlagsmengen ab. Deren Prognosen sind aber mit noch größeren Unsicherheiten behaftet, als jene der Temperatur.

Multimodell-Prognose der Niederschlagsabweichung im Sommer 2025.

Im Mittel deuten die Modellberechnungen derzeit auf einen etwas zu trockenen Sommer in Mittel- und vor allem in Osteuropa hin. Die Berechnungen gehen aber weiter auseinander als jene der Temperatur, so deuten einzelne Modelle sogar auf leicht überdurchschnittliche Niederschlagsmengen in den Alpen hin. Beim Niederschlag können zudem immer häufiger einzelne Wetterlagen über die Bilanz entscheiden, da der Wasserkreislauf durch den Klimawandel intensiviert wird. Es kann also wochenlang trocken sein, und dann bei passender Wetterlage innerhalb von ein oder zwei Tagen der gesamte Monatsniederschlag fallen. In den Alpen gibt es zudem oft große Unterschiede auf engem Raum.

Die Berechnungen gehen auch etwas mehr auseinander als bei der Temperatur: Das amerikanische Modell deutet auf etwas mehr Niederschlag in den Alpen hin ↙️, während u.a. das französische Modell im Ostalpenraum generell auf etwas zu trockene Bedingungen hindeutet ↘️.

[image or embed]

— Nikolas Zimmermann (@nikzimmer87.bsky.social) 12. Mai 2025 um 18:33

Was ist ein Jahrhundertsommer?

Ähnlich wie die Angabe „Jahrhunderthochwasser“ verliert auch der Begriff „Jahrhundertsommer“ im Zuge des Klimawandels seinen Sinn. Der Begriff ist zwar interessant, um statistische Vergleiche mit dem vergangenen Klima zu ziehen, allerdings müssen wir uns in Zukunft immer häufiger auf Jahrhundertereignisse einstellen, weil sich das Klima derzeit relativ rasch verändert: Was damals selten war, wird in Zukunft mitunter üblich sein.
Etwa ein Jahrhundertsommer wie 2003 wird schon in wenigen Jahren unser neuer Durchschnitt sein. Die Frage ist also, wie werden Rekordsommer im Zeitraum um 2030, 2050 oder 2100 aussehen? Auf jeden Fall wesentlich wärmer als der Sommer 2003. Der Begriff „Jahrhundertsommer“ soll also Synonym für „Rekordsommer“ sein, wobei es u.a. in Wien erst im Vorjahr einen neuen Rekord gab.

Wie viele Jahrhundertsommer gab es in den vergangenen Jahren?

Die absoluten Höchstwerte spielen dabei nur eine Nebenrolle. Im Sommer 2024 gab es außergewöhnlich viele Hitzetage sowie Tropennächte, aber keine extremen Hitzepeaks um 40 Grad wie etwa im Sommer 2013. Am Ende ist für die Sommerbilanz der Durchschnitt entscheidend, und ein durchgehend warmer Sommer hat eine höhere Wahrscheinlichkeit auf Platz 1 zu landen, als ein Sommer mit einzelnen, aber dafür extremen Hitzewellen (mehr dazu: Wie entstehen Hitzewellen?).

Im Jahr 2024 wurde u.a. in Wien ein neuer Rekord an Hitzetagen aufgestellt. Der absolute Höchstwert war mit 35 Grad an der Station Hohe Warte aber vergleichsweise unauffällig (der Rekord liegt dort bei 38,5 Grad im August 2013).

Mittlerweile kann man jedes Jahr von einer erhöhten Wahrscheinlichkeit für einen Rekordsommer ausgehen, da die Anzahl und Intensität von Hitzewellen durch den Klimawandel zunimmt. Alle paar Jahre wird man mit solch einer Aussage also ohnehin recht haben. Ob es heuer der Fall sein wird, ist aber noch alles andere als abgesichert.

Zusammengefasst

Ja, Europa steht vor der zunehmenden Gefahr, dass extreme Hitzewellen, die früher als „Jahrhundertsommer“ galten, künftig zur neuen Normalität werden. Diese Entwicklung ist eng mit dem Klimawandel verknüpft. Wir können daher auch sagen, dass der Sommer 2025 mit sehr großer Wahrscheinlichkeit wärmer als im Mittel abschneiden wird.

Nein, wir wissen nicht, ob der Sommer 2025 in Mitteleuropa Temperaturen um 40 Grad bringen wird. Wir wissen auch noch nicht, ob der Sommer ein neuer „Rekordsommer“ wird.

Nein, wir wissen auch noch nicht, ob in Mitteleuropa ein eher unbeständiger Sommer oder ein sehr tockener Sommer bevorsteht. Die Wahrscheinlichkeit für Phasen mit Trockenstress ist aber v.a. abseits der Alpen erhöht, weil das Frühjahr nördlich der Alpen regional trocken war und weil in einer wärmeren Atmosphäre allgemein die Verdunstung höher ausfällt.

Der April brachte 17.000 Blitze

Gewitter

Im April wurde in Österreich etwa mehr als 17.000 Blitzentladungen erfasst, die meisten davon in der Steiermark und in Niederösterreich.  In Summe gab es damit etwa 6 Prozent mehr Blitze als üblich, wobei es im April je nach Großwetterlage von Jahr zu Jahr zu großen Schwankungen kommt. Während etwa im April 2018 knapp 50.000 Entladungen detektiert wurden, waren es im April 2019 lediglich 2600.

Blitzdichte im April 2025. © www.uwz.at

In Vorarlberg, Tirol, Niederösterreich und der Steiermark gab es mehr Blitze als üblich, während die Bilanz in Salzburg, Oberösterreich und dem östlichen Flachland unterdurchschnittlich ausfällt. Der Bezirk mit der höchsten Blitzdichte war Waidhofen an der Thaya, gefolgt von Leibnitz und Hartberg-Fürstenfeld. Der stärkste Blitz mit einer Stromstärke von 179 kA wurde hingegen am 28. April im Bezirk Zell am See verzeichnet.

Blitzanzahl in April pro Bundesland.
Gewitter
Ein kräftiges Gewitter nahe Waidhofen an der Thaya. © Storm Science Austria

Lokal kräftige Gewitter

Die für die Jahreszeit äußerst warme Luftmasse führte im letzten Aprildrittel auch zu einzelnen, für die Jahreszeit außergewöhnlich kräftigen Gewittern. Am Ostermontag sorgte eine sich nur langsam verlagernde Gewitterzelle im nördlichen Waldviertel für Starkregen und große Hagelansammlungen, Keller und Straßen wurden überflutet. Die Hagelkörner erreichten einen Durchmesser von bis zu 3 cm. Üblich wären im April Kaltluftgewitter mit Graupel oder maximal kleinem Hagel.


Am 24. lag dann der Südosten im Fokus, langsam ziehende Gewitter brachten sintflutartigen Regen und große Regenmengen in kurzer Zeit, Überflutungen waren die Folge. In Hartberg sind in nur einer Stunde 44 l/m² Regen zusammengekommen. Seit Messbeginn wurde hier an einem gesamten Apriltag noch nie so viel Regen gemessen, wie am 24. April innerhalb von nur einer Stunde. Betrachtet man den gesamten Tag, fielen knapp 57 l/m². Ebenso viel kam u.a. aber auch in Laßnitzhöhe zusammen, auch hier wurde ein neuer Tagesrekord für den April aufgestellt. Für den April sind solch kräftige Gewitter mit Starkregen und größerem Hagel wie etwa im Waldviertel durchaus außergewöhnlich.

Hier geht es zum vollständigen Monatsrückblick: April 2025.

Hier gibt es aktuelle Daten sowie die Blitzentladungen in den vergangenen drei Stunden: Aktuelle Wetterdaten.

Der April leitet in Mitteleuropa die Gewitter-Frühsaison ein. Die blitzreichsten Monate sind hierzulande aber der Juli und August. Mehr Infos dazu: Wo es in Österreich am häufigsten blitzt.

Blitze >5 kA pro Monat in Österreich © www.uwz.at

Spektakuläre Superzellen und Tornados in Texas

Superzelle

In der vergangenen Woche erlebte der Norden von Texas eine Serie intensiver Gewitter, die teils auch Tornados und großen Hagel mit sich brachten. Schwerpunkt der Unwetter war das Texas Panhandle, insbesondere die Gebiete um Amarillo, Canyon und Lubbock. Dort wurden mehrere Tornados registriert, darunter ein seltener antizyklonaler (also im Uhrzeigersinn rotierender) Tornado nahe Silverton, Texas. Ein weiterer starker Tornado wurde nordwestlich von Matador beobachtet, während nahe Roaring Springs sehr große Hagelkörner mit einem Durchmesser von bis zu 13 cm beobachtet wurden.​ Die Chaser vor Ort haben spektakuläre Bilder dieser klassischen Superzellengewitter gemacht.

Kaltlufteinbruch bringt regional Spätfrost

Frostschutzberegnung.

In den vergangenen Wochen lag Österreich häufig unter dem Einfluss einer südlichen bis östlichen Strömung, weshalb der März zwar recht unbeständig, aber in Summe auch deutlich zu mild war. Das frühlingshafte Wetter wird am Samstagabend bzw. in der Nacht auf Sonntag beendet: Die Strömung dreht auf Nord und besonders in der Osthälfte des Landes breiten sich kalte Luftmassen arktischen Ursprungs aus. Kaltlufteinbrüche im April sind zwar nicht ungewöhnlich, aufgrund der milden Vorgeschichte fällt dieser mit einem Temperatursturz von 10 bis 15 Grad aber kräftig aus. Im Laufe der kommenden Woche geht es mit den Temperaturen dann langsam, aber sicher wieder aufwärts.

Am Sonntag steht eine markante Abkühlung bevor, im Laufe der kommenden Woche geht es dann zögerlich wieder aufwärts mit den Temperaturen. © ECMWF/UBIMET

10 bis 15 Grad Temperatursturz

Der Samstag verläuft noch häufig sonnig und frühlingshaft mild bei Höchstwerten um 20 bzw. im Süden auch 23 Grad. Ab dem mittleren Nachmittag beginnt es jedoch zunächst in Ober- und Niederösterreich und in Wien abzukühlen und in der Nacht auf Sonntag wird es im Großteil des Landes spürbar kühler. Im Westen fällt die Abkühlung noch einigermaßen moderat aus, in Bregenz zum Beispiel gehen die Temperaturen um rund 8 Grad zurück. Von Salzburg ostwärts kündigt sich aber ein Temperatursturz von 10 bis 15 Grad an.

Direktvergleich der Höchstwerte am Samstag und Sonntag (zum Vergrößern auf das Bild klicken).
Direktvergleich der Höchstwerte am Samstag und Sonntag (zum Vergrößern auf das Bild klicken).

Zu Wochenbeginn regional Frost

Bereits in der Nacht auf Sonntag rutschen die Temperaturen im Nordosten regional ins Minus, so sind etwa vom Mühlviertel bis ins Weinviertel Tiefstwerte zwischen -1 und -5 Grad zu erwarten. In Teilen Ober- und Niederösterreichs sowie im Wienerwald kündigt sich regional aber ebenfalls leichter Frost an.

Prognose der Tiefstwerte am Sonntag.

Noch etwas kälter wird es jedoch die Nacht auf Montag, wenn es mit wenigen Ausnahmen im Großteil des Landes Temperaturen unterhalb des Gefrierpunktes gibt. In einigen Alpentälern sowie im Mühlviertel und im Oberen Waldviertel ist mäßiger Frost um -5 Grad in Sicht. Besonders für die Marillen, die derzeit oft in Vollblüte stehen oder schon verblüht sind, stellen solche Temperaturen eine erhebliche Gefahr dar. Nur in windexponierten Lagen wie etwa im östlichen Flachland wird der Nordwestwind die Pflanzen vor nennenswertem Frost schützen, da er eine noch stärkere Abkühlung verhindert.

Prognose der Tiefstwerte am Montag.

Die Nacht auf Montag bringt nicht nur in Österreich, sondern in weiten Teilen Mittel- und Osteuropas Frost, in der Landwirtschaft drohen regional Frostschäden. Um dies zu verhindern, werden oft Feuer gezündet (z.B. Holzfackeln und Frostschutzkerzen) oder Wasser auf die Pflanzen gesprüht (die sog. Frostschutzberegnung). Um Frostschäden im Privatbereich zu vermeiden, müssen empfindliche Pflanzen wie Tomatensetzlinge oder Kübelpflanzen wie etwa Hibiskus ab Samstag unbedingt ins Haus gestellt werden. Die Gefahr vor Nachtfrost hält in manchen Regionen unter Abschwächung noch mehrere Tage, voraussichtlich bis Donnerstag kommender Woche an.

Prognose der Tiefstwerte in der Nacht auf Montag in Mitteleuropa.

Klimawandel und Spätfrostgefahr

Durch den Klimawandel haben sich in den vergangenen Jahrzehnten sowohl das mittlere Datum des Vegetationsbeginns als auch des letzten markanten Frosts vorverlegt. Diese Veränderungen verlaufen jedoch nicht mit der gleichen Geschwindigkeit ab, so hat sich der Vegetationsbeginn stärker vorverlegt, als das mittlere Datum des letzten markanten Frosts unter -2 Grad.

Zeitliche Veränderung von üblichem Vegetationsbeginn und letztem Frost unter -2 Grad in Kremsmünster (OÖ) - UBIMET, GSA
Zeitliche Veränderung von üblichem Vegetationsbeginn und letztem Frost unter -2 Grad in Kremsmünster (OÖ) – UBIMET, GSA

Der Unterschied zwischen dem letzten markanten Frost und dem Vegetationsbeginn hat sich verkleinert, weshalb die Gefahr für Frostschäden in der Landwirtschaft zugenommen hat. Beispielsweise hat sich der Vegetationsbeginn in Graz seit den 70er Jahren von Ende März auf Mitte März nach vorne verschoben, der letzte nennenswerte Frost aber nur um wenige Tage und tritt üblicherweise ebenfalls Mitte März auf.

Tag des Vegetationsbeginns (Methode der Wärmesumme) und des letzten Tiefstwerts unter -2 Grad im Frühjahr für Graz - UBIMET mit Daten GSA
Tag des Vegetationsbeginns (Methode der Wärmesumme) und des letzten Tiefstwerts unter -2 Grad im Frühjahr für Graz.

Am Montag Regen, Graupel und im Bergland Schnee

Schnee im Frühling. © Nikolas Zimmermann

Ein Tief über dem Mittelmeerraum hat von Freitag bis Sonntagmorgen für anhaltenden Regen in Teilen Österreichs gesorgt, so wurden regional wie etwa in der Südweststeiermark und im Mostviertel 50 bis 80 l/m² Regen gemessen.

48h-Niederschlagsmenge bis Sonntagmorgen (zum Vergrößern auf das Bild klicken), Daten: GSA/UBIMET

Dieses Tief zieht nun südwärts ab, aus Norden folgt aber bereits ein weiteres Tief. Ein Tiefdruckgebiet namens Yaro steuert am Montag feuchtkühle Luft nach Mitteleuropa und in den Alpen stellt sich eine Nordstaulage ein. Damit beginnt die neue Woche wechselhaft und in den Nordalpen spätwinterlich.

Tief Yaro zieht auf.

Auf den Bergen 50 cm Schnee

Am Montag dominieren an der Alpennordseite die Wolken und besonders vom Außerfern über die Kitzbüheler Alpen bis in die nördliche Obersteiermark regnet und schneit es anhaltend. Die Schneefallgrenze liegt zwischen 600 und 900 m. Auf den Bergen schneit es ergiebig, besonders von den Hohen Tauern bis zum Toten Gebirge ist ein halber Meter Neuschnee zu erwarten. Aber auch in höheren Tallagen der Nordalpen oberhalb von 800 bis 1000 m kommen einige Zentimeter Schnee zusammen. Auf den Straßen muss man nochmals mit winterlichen Verhältnissen rechnen.

Neuschneeprognose für den Montag. © UBIMET

Auch abseits der Alpen ziehen einige Schauer durch, lokal sind im Norden und Osten auch Graupel sowie Blitz und Donner dabei. Abseits der Alpen gibt es vorübergehend ein paar Auflockerungen, häufig sonnig und meist trocken bleibt es bei kräftigem bis stürmischem Nordföhn im südlichen Osttirol und Oberkärnten. Die Höchstwerte liegen zwischen 2 Grad in höheren Tallagen der Nordalpen und 14 Grad im Gailtal.

Niederschlagsprognose für den Montag von ICON-D2. In den Nordalpen regnet und schneit es anhaltend, im Osten und Süden ziehen nur vorübergehend Schauer und vereinzelte Gewitter durch.

Am Dienstag Wetterberuhigung

Am Dienstag überwiegen weiterhin die Wolken und anfangs fällt vom Tiroler Unterland bis in die nördliche Obersteiermark noch etwas Regen bzw. oberhalb von 500 bis 800 m Schnee. Tagsüber stellt sich meist trockenes Wetter ein und die Wolken lockern vor allem im Süden sowie im äußersten Westen etwas auf. In den Südalpen, am Alpenostrand sowie am Bodensee weht kräftiger Nord- bis Nordostwind. Dazu gibt es 5 bis 14 Grad.

Ab der Wochenmitte Hochdruckeinfluss

Ab Mittwoch macht sich ein Hoch mit Kern über Nordeuropa bemerkbar und an der Alpennordseite kommt wieder häufig die Sonne zum Vorschein. Im Süden und Osten sind die Wolken etwas dichter, bis auf vereinzelte Schauer im östlichen Bergland bleibt es aber trocken. Die Temperaturen steigen auf 10 bis 17 Grad. Am Donnerstag überwiegt dann bei nur harmlosen Wolken in weiten Teilen des Landes der Sonnenschein und mit 13 bis 19 Grad wird es noch etwas milder.

In Salzburg beginnt die neue Woche kühl und nass, danach geht es aber aufwärts. Prognosen für jeden Ort sind verfügbar auf morecast.com

Schnee, Hagel und Graupel

Graupelkörner auf dem Boden©Jne Valokuvaus

Fälschlicherweise wird Graupel oftmals als kleiner Hagel abgetan, eigentlich ist Graupel aber noch eine Schneeart. Durch anfrieren unterkühlter Wassertröpfchen werden Schneekristalle zu kleinen bis 5 mm großen Kügelchen verklumpt. Dazu ist die Dichte von Graupel geringer als von Hagel und die Oberfläche eher rau. Dadurch fallen sie langsamer und können keinen direkten Schaden anrichten, sie können allerdings in kürzester Zeit für rutschige Fahrbahnen sorgen.

Höhenkaltluft

Graupelschauer entstehen vor allem dann, wenn die Luft in einigen Kilometern Höhe sehr kalt ist. Im Winterhalbjahr sind Temperaturen von unter -30 Grad in rund 5 Kilometern Höhe keine Seltenheit. Wenn es dann am Boden gleichzeitig leichte Plusgrade gibt, dann ist der Temperaturunterschied von etwa 35 oder 40 Grad groß genug, dass sich kräftige Schauer oder Gewitter bilden können. In diesen Schauerwolken vermischen kräftige Auf- und Abwinde Schneeflocken mit unterkühlten Wassertröpfchen, die beim Zusammenwachsen schließlich zu Graupel werden und Richtung Erdoberfläche fallen.

Glätte und Böen

Da der Wechsel von Sonne hin zu kräftigen Schauern und umgekehrt oftmals sehr rasch vonstatten geht und daher für viele überraschend erfolgt, sind besonders Autofahrer nicht zu unterschätzenden Gefahren ausgesetzt. Innerhalb nur weniger Augenblicke können die Straßen nämlich von Schnee oder Graupel bedeckt sein und entsprechend für eine erhöhte Glättegefahr sorgen. Weiters kommt es meist auch zu einer Einschränkung der Sichtweite und zu teils stürmischen Böen.

Was ist ein Höhentief?

höhentief

Höhentiefs liegen in mehren Kilometern Höhe und zeichnen sich durch niedrige Temperaturen im Vergleich zur Umgebung aus. Deren Entstehung wird oft durch Verwirbelungen des polarumlaufenden Jetstreams begünstigt, Meteorologen sprechen auch von einem Abschnürungsprozess bzw. einem „Cut-Off“. Solche Höhentiefs verlagern sich nicht mit der Höhenströmung, sondern werden durch die umgebende Luftdruckverteilung beeinflusst. Oft verharren sie wie ein Kreisel an Ort und Stelle.

Kaltlufttropfen

Ehemalige Tiefdruckgebiete bzw. Höhentiefs können sich zu sog. Kaltlufttropfen umwandeln, wenn das Bodentief durch Reibung oder Warmluftzufuhr aufgelöst wird und das Höhentief stattdessen erhalten bleibt. Tatsächlich befinden sich Kaltlufttropfen sogar oft im Randbereich eines Bodenhochs. In einem begrenzten Gebiet von etwa 100 bis 1000 Kilometern befindet sich dabei deutlich kältere Luft als in der Umgebung. Da diese kalte Anomalie aber nur in der oberen Hälfte der Troposphäre ausgeprägt ist, scheinen diese Gebiete nicht auf den Bodenwetterkarten auf. Kaltlufttropfen werden durch die bodennahe Strömung „gesteuert“, d.h. sie verlagern sich immer mit dieser zumeist relativ schwachen Strömung.

Höhentief im IR-Satbild mit IFS-Modelldaten und Blitzen am 29.5.21, 13 Uhr MESZ. © EUMETSAT / UBIMET

Labile Schichtung der Luft

Ein Höhentief wirkt sich merklich auf das tägliche Wettergeschehen aus, denn Höhenkaltluft sorgt für eine verstärkte vertikale Temperaturabnahme und somit für eine Destabilisierung der Atmosphäre. Besonders im Frühjahr und Sommer entstehen unter dem Einfluss der Höhenkaltluft Quellwolken, welche im Tagesverlauf zu Schauern und Gewittern heranwachsen. Die Lebensdauer von Kaltlufttropfen ist allerdings meist auf ein paar Tage bis etwa eine Woche begrenzt, da sich die Temperaturunterschiede in der Höhe allmählich ausgleichen.

Vorhersagegenauigkeit

Wenn Höhenkaltluft im Spiel ist, nimmt die Vorhersagbarkeit des Wetters ab: Einerseits werden Kaltlufttropfen durch die bodennahe Strömung gesteuert, was sich negativ auf die Qualität von Modellprognosen auswirkt, andererseits sorgt die konvektive Wetterlage für große Unterschiede auf engem Raum. Vor allem räumlich detaillierte Prognosen, wie etwa jene von Wetter-Apps, sind bei solchen Wetterlagen also mit Vorsicht zu genießen.

Regen und Schnee bringen Linderung der Trockenheit

See im Regen.

Der März verlief bislang außergewöhnlich mild und trocken, die Temperaturen lagen in der ersten Monatsdekade 4 Grad über dem langjährigen Mittel. An sechs Tagen in Folge wurden in Österreich sogar Höchstwerte über 20 Grad gemessen, was in dieser Dauer so früh im Jahr bislang noch nicht beobachtet wurde. Die Großwetterlage stellt sich in diesen Tagen aber um und der Alpenraum gerät zunehmend unter Tiefdruckeinfluss. Aus Nordeuropa gelangen in der zweiten Wochenhälfte kühle Luftmassen nach Österreich, gleichzeitig führen Tiefausläufer über dem Mittelmeerraum feuchte Luft ins Land. Ein erster Tiefausläufer zieht am Donnerstag durch, ein weiterer folgt am Freitag. In weiten Teilen des Landes ist dringend benötigter, anhaltender Regen und im Bergland auch Schneefall in Sicht.

Zwei Tiefdruckgebiete ziehen in den kommenden Tagen an Österreich vorbei: Tief Nr. 1 bringt in der Nacht auf Donnerstag Regen, Tief Nr. 2 dann ab Freitag.
Das Jahr war bislang in weiten Teilen des Landes außergewöhnlich trocken.

Zweigeteilter Donnerstag

Am Donnerstag fällt an der Alpennordseite anfangs häufig Regen, die Schneefallgrenze bewegt sich zwischen 800 m in den westlichen Nordalpen und 1200 m im Rax-Schneeberg-Gebiet. Tagsüber bleibt es von Vorarlberg bis ins Oberen Mühlviertel häufig nass, sonst klingt der Regen ab und im Südosten kommt bei föhnigem Südwestwind häufig die Sonne zum Vorschein. Gegen Abend nimmt die Schauerneigung im Osten wieder zu, am Alpenostrand sind vereinzelt auch Gewitter dabei. Die Höchstwerte liegen von Nordwest nach Südost zwischen 5 und 19 Grad.

Prognose der Höchstwerte am Donnerstag (zum Vergrößern auf das Bild klicken).

Regen und Schneefall

Der Freitag startet trüb und im Süden häufig nass, oberhalb von 1000 m fällt Schnee. Tagsüber breiten sich Regen und Schneefall auf weite Landesteile aus, vor allem im Süden und später auch im Nordosten regnet es anhaltend. Die Schneefallgrenze sinkt gebietsweise wie etwa in Oberkärnten auf 800 bis 600 m ab. Mit maximal nur mehr 3 bis 11 Grad kühlt es deutlich ab. Auch am kommenden Wochenende behalten die Wolken die Oberhand und vor allem im Bergland fällt zeitweise noch etwas Regen oder Schnee, die trockenen Abschnitte werden aber wieder häufiger.

In Reichenau an der Rax war der Start ins neue Jahr bislang rekordtrocken.

Linderung der Trockenheit

In Summe sind in Österreich in den kommenden Tagen recht verbreitet 20 bis 30 bzw. im am Alpenhauptkamm und im Süden auch um 50 Liter pro Quadratmeter Regen zu erwarten. Die größten Mengen von bis zu 100 mm kommen in den Karnischen Alpen zusammen. Dieser Niederschlag wird dringend benötigt und wird die vorherrschende Trockenheit vorerst nur etwas lindern.

Niederschlagsprognose von Donnerstag bis Samstag.

Auf den Bergen von Vorarlberg bis nach Oberkärnten kommen in den kommenden Tagen 20 bis 30, südlich der Hohen Tauern auch 40 cm Neuschnee zusammen. Aber auch in höheren Tallagen sind oberhalb von etwa 1000 m um 10 Zentimeter Schnee in Sicht.

Neuschneeprognose von Donnerstagvormittag bis Samstagvormittag.

 

Die Böigkeit des Windes

Neben der Richtung und der mittleren Geschwindigkeit zählt auch die Böigkeit zu den Eigenschaften des Windes. Als Böe oder Bö bezeichnet man einen kräftigen Windstoß, der zum Teil auch mit einer Variation der Windrichtung verbunden sein kann. Böen können sehr überraschend auftreten, obwohl es kurz zuvor fast windstill war. Im unteren Windgeschwindigkeitsbereich ist die Böigkeit vor allem für Segler und Flugsportler relevant, bei Gewittern, Böenwalzen und großräumigen Stürmen ist sie aber für das Schadenpotential entscheidend. Die zu erwartenden Schäden nehmen im Kubik mit der Windgeschwindigkeit zu!

Mittelwind und Windböen

Der mittlere Wind ist der Durchschnitt über ein gewisses Zeitintervall, in der Regel sind das 10 Minuten. Bei einer Böe muss nun per Definition diese mittlere Windgeschwindigkeit um mindesten 5 m/s überschritten werden (das sind 18 km/h oder auch 10 Knoten) – und dies für mindestens 3 und höchstens 20 Sekunden (Definition nach deutschem Wetterdienst). Man kann den Wind in unterschiedlichen Einheiten angeben, besonders oft werden Knoten, Stundenkilometer und Beaufort verwendet. Hier gibt es mehr Infos zur: Die Beaufortskala.

Windverlauf am Säntis, 4.1.2022, schwarze Linie: Böen, blaue Linie: Mittelwind. Graphik: Meteonews

Reibung und Turbulenz

Warum ist der Wind nicht konstant, sondern variabel? Das hat mehrere Ursachen. Vor allem drei Prozesse sind dafür verantwortlich:

  • Reibung der Erdoberfläche
  • Thermische Schichtung der Atmosphäre
  • Die Windgeschwindigkeit (überschreitet sie einen kritischen Wert, wird die Strömung instabil bzw. turbulent)

In der freien Atmosphäre ist die Strömung typischerweise ziemlich gleichmäßig und wenig turbulent. Sie verläuft in Schichten (parallele Stromlinien), die sich nicht miteinander vermischen. Man nennt dieses Eigenschaft laminar. In den unteren Luftschichten nimmt aber der Einfluss des Erdbodens und damit die Reibung zu, die Strömung wird turbulenter. Die Turbulenz an sich ist ein dreidimensionaler und chaotischer Prozess. Man kann sich das auch als Verwirbelung vorstellen. Dabei gibt es eine Kaskade von großen Wirbeln hin zu immer kleineren Strukturen (bis hinunter zur Reibung und Bewegungsenergie der Luftteilchen, und damit letzten Endes Wärme).

Falschfarbenbild einer turbulenten Strömung, Quelle: Wikipedia

Die Luft verhält sich quasi wie Wasser. In einem großen Fluss oder Kanal fließt das Wasser wesentlich ruhiger und glatter als beispielsweise in einem Wildbach. Je komplizierter die Orographie und die Strukturen an der Oberfläche sind, umso turbulenter und umso unberechenbarer wird die Strömung (die Meeresoberfläche ist vergleichsweise glatt, Hügel und bebautes Terrain dagegen rau).

Zunahme mit der Höhe

Die Windgeschwindigkeit nimmt in der Regel mit der Höhe rasch zu, die größte Änderung gibt es in der Grund- oder Grenzschicht. Das sind die untersten 1 bis 2 Kilometer der Atmosphäre. Für fachlich interessierte Leser – auch hier kann man noch einmal in drei Regionen unterscheiden. Die untersten Millimeter, wo sich Atmosphäre und Erboden berühren, nennt man die viskose Unterschicht. Hier gibt es typischerweise wenig Turbulenz, Prozesse auf molekularer Ebene sind entscheidend. Für den Alltag und die Böigkeit wichtiger ist die darüber liegende Prandtl-Schicht. Sie erstreckt sich bis in eine Höhe von rund 100 Metern. Hier gibt es bereits viel Turbulenz, die Windgeschwindigkeit nimmt mit der Höhe rasch zu, die Windrichtung ist aber noch nahezu konstant. In der darüber anschließenden Ekman-Schicht steigen die Windgeschwindigkeiten weiter an, aber auch die Windrichtung beginnt zu drehen.

Durchmischung

Die stärkeren Winde in der Höhe können unter gewissen Voraussetzung heruntergemischt werden, dabei spielt die thermische Schichtung eine große Rolle. Ist die Schichtung stabil (keine großen Temperaturunterschiede in der Höhe, im Extremfall auch Kaltluftseen), so passiert dies weniger effektiv oder gar nicht. Im umgekehrten Fall, nämlich bei labiler Schichtung oder guter thermischer Durchmischung, funktioniert das wesentlich besser. Wirbelstrukturen können bis zum Erdboden durchgreifen und hier für einen sprunghaften Anstieg der Windgeschwindigkeiten sorgen.

Und dieses sprunghafte Ansteigen, der abrupte Wechsel, ist im Hinblick auf das Schadenspotential entscheidend! Hohe, aber konstante Windgeschwindigkeiten sind weniger problematisch als eine starke Änderung derselben. Bildlich kann man sich einen Baum vorstellen, der sich im Wind biegt. Solange der Wind sich nicht ändert, passiert zunächst nicht viel. Variiert nun aber die Geschwindigkeit und/oder die Richtung, dann kann das den Baum entwurzeln, den Stamm knicken oder durch Torsion zerstören.

Sturmschaden - umgestürzter Baum

Sea-effect: Starker Schneefall im Norden der Türkei und in Georgien

Seit Mitte dieser Woche haben arktische Luftmassen das Schwarze Meer und den Kaukasus erfasst. Im Zusammenspiel mit einem Tief über dem Schwarzen Meer kam es regional zu ergiebigem Schneefall. Besonders kräftig hat es im Norden der Türkei und im Westen Georgiens geschneit, mancherorts kam es an den Küsten auch zu Schneegewittern.

Die arktische Luftmasse sammelt über dem Schwarzen Meer Feuchtigkeit und führt zu einer instabilen Luftschichtung.

Auch in Teilen Istanbuls wurden bis zu 10 cm Zentimeter Schnee verzeichnet, weiter östlich fielen die Mengen aber noch ergiebiger aus. Etwa in Samsun wurden heute 30 cm gemeldet, in Zonguldak 37 cm und in Bartin sogar 56 cm. Noch größere Mengen sind in den Bergen gefallen, mancherorts werden etwa südlich von Rize sogar mehr als 2 m gemessen. Die Großwetterlage ist derzeit festgefahren, somit ist von Westen her nur eine zögerliche Entspannung in Sicht. Besonders im Kaukasus bzw. im Westen Georgien muss man bis zur Wochenmitte mit weiteren Scheeschauern rechnen.


Sea-effect snow

Ursache für die extremen Schneemassen ist der sog. „sea-effect snow“: Die sehr kalten Luftmassen aus Russland nehmen beim Überströmen des vergleichsweise milden Schwarzen Meeres viel Feuchtigkeit auf und sorgen für eine instabile Luftschichtung. Damit entwickeln sich kontinuierlich Schauerstraßen, welche dann an den windzugewandten Küsten für starken Schneefall sorgen. Im Stau der Berge wird der ohnehin schon kräftige Schneefall zusätzlich verstärkt. Es handelt sich dabei um den selben Prozess, der im Bereich der Großen Seen der USA für starken Schneefall sorgt: Während man in Amerika von „lake-effect snow“ spricht, ist in anderen Regionen der Welt wie etwa im Nordwesten Japans oder am Schwarzen Meer auch von „sea-effect snow“ die Rede.

Satellitenbilder vom 22.02.25 (in 1h-Schritten). Man erkennt einen Tiefdruckwirbel über dem östlichen Schwarzen Meer und die typischen Schauerstraßen. © EUMETSAT


Dieser Effekt kann allgemein im Bereich von großen Seen oder Binnenmeeren auftreten: Voraussetzung dafür sind sehr kalte Luftmassen sowie eine ausreichend große, vergleichsweise milde Wasseroberfläche. Beispielsweise tritt dieser Effekt in manchen Jahren auch an der Westflanke der Adria oder an der Ostsee auf. Vor zwei Jahren war sogar Athen betroffen. Auch in Österreich gibt es aber zumindest im Kleinformat ein Beispiel dafür, nämlich im Raum Bregenz bzw. im Vorderen Bregenzerwald.

Schematische Erklärung des "Lake-Effect" am Bodensee - UBIMET
Schematische Erklärung des „Lake-Effect“ am Bodensee. © UBIMET

Extremereignisse

Da die Meere im Zuge des Klimawandels milder werden, sind mitunter besonders extreme Schneefallereignisse möglich – vorausgesetzt es kommt zu arktischen Kaltluftausbrüchen, was bevorzugt im Umfeld der kontinentalen Regionen Kanadas und Sibiriens passiert. So kam es in den vergangenen Wochen etwa auch in Japan zu ausgeprägtem „sea-effect snow“, mehr dazu hier: Schneemassen in Teilen Japans.  Auch im Alpenraum kann der zunehmende Feuchtigkeitsgehalt der Luft aber zu Extremereignissen führen, vorausgesetzt es kommt zu einer passenden Großwetterlage, was in diesem Winter nicht der Fall war. Weitere Details zu diesem Thema gibt es hier: Starker Schneefall und Klimawandel: Ein Widerspruch?

Seitlicher Blick auf eine Schneeschauerstraße bei Batumi, Georgien.

Gewitter und Wasserhosen

Die sehr labile Luftschichtung sorgt bei solchen Wetterlagen mitunter für eingelagerte Gewitter, zudem werden im Bereich der Schauerstraßen nicht selten auch Wasserhosen beobachtet. Anbei zwei aktuelle Videos mit einer Wasserhose aus der Türkei und einem Schneegewitter in Georgien.

Zahlreiche weitere Bilder und Videos findet man auf Twitter u.a. hier oder hier.

2024 wärmstes Jahr seit Messbeginn

Im globalen Mittel war das Jahr 2024 rund 1,6 Grad milder als in der vorindustriellen Zeit. Etwa ein Drittel der Welt hat dabei das wärmste Jahr seit Messbeginn erlebt. Auch in Deutschland war es das bislang wärmste Jahr seit Beginn der Aufzeichnungen.

Besonders warm im Vergleich zum Mittel war es in den Tropen, in Mittel- und Osteuropa, in China und Japan sowie auch im Osten Kanadas. In vielen Ländern war es hier das wärmste Jahr seit Messbeginn. Regionen mit unterdurchschnittlichen Temperaturen waren dagegen stark begrenzt, das einzige Land weltweit mit einer unterdurchschnittlichen Mitteltemperatur im Jahre 2024 war Island.

Abweichungen zum Mittel von 1991 bis 2020 (in dunkelrot = Rekord). © C3S/ECMWF

Warme Ozeane

Auch  die Wassertemperaturen waren in weiten Teilen des Atlantiks, des Nordpazifiks sowie des Indischen Ozeans außergewöhnlich hoch. V.a. in den tropischen Regionen sowie im Mittelmeer gab es oft neue Rekorde. Auch der Nordatlantik war von Jänner bis Mitte Juni durchgehend rekordwarm und auch aktuell liegen die Wassertemperaturen nur knapp unter dem Rekord aus dem Vorjahr.

Abweichungen zum Mittel von 1991 bis 2020 der Meeresoberflächentemperatur (in dunkelrot = Rekord). © C3S/ECMWF

Wasserdampf auf Rekordniveau

Generell wird durch die globale Erwärmung der Wasserkreislauf intensiviert: Einerseits verdunstet mehr Wasser, andererseits fällt Niederschlag kräftiger aus. Für jedes Grad Celsius an Erwärmung kann die Atmosphäre etwa 7% mehr Wasserdampf aufnehmen. Die Verdunstungsrate (also der Wassernachschub) steigt aber nur um etwa 3 bis 4% pro Grad Erwärmung an und kommt der gesteigerten Aufnahmekapazität der Atmosphäre also nicht ganz nach. Dieses Ungleichgewicht führt dazu, dass es tendenziell seltener regnet, aber dafür stärker. Besonders gut kann man das an der zunehmenden Häufigkeit von Unwettern im Sommer beobachten. Paradoxerweise werden also sowohl die trockenen Phasen als auch die starken Regenereignisse intensiver und häufiger, da sich der Niederschlag auf weniger Tage konzentriert und mitunter auch nur lokal auftritt. Der Wasserdampf in der Atmosphäre war 2024 auf Rekordniveau.

Abweichungen zum Mittel von 1991 bis 2020 vom Wasserdampfgehalt der Atmosphäre (in dunkelblau = Rekord). © C3S/ECMWF

Trend und Schwankungen

Der globale Erwärmungstrend von etwa 0,2 Grad Temperaturzunahme pro Jahrzehnt, verursacht durch die steigende Konzentration an Treibhausgasen in der Atmosphäre, wird von Jahr zu Jahr von natürlichen Schwankungen überlagert. Aus diesem Grund wird es nicht jedes Jahr konstant etwas wärmer, sondern es gibt von Jahr zu Jahr eine gewisse Variabilität.
Die wichtigste natürliche Schwankung ist die El Niño Southern Oscillation (ENSO): In Jahren mit La Niña sind neue globale Rekorde unwahrscheinlich, während in Jahren mit  El Niño neue Rekorde recht wahrscheinlich sind, da sich die globale Mitteltemperatur dadurch zusätzlich um etwa 0,1 bzw. bei starken El-Niño-Ereignissen auch um 0,2 Grad erhöht.
Die Formel für die Berechnung von etwaigen Temperaturanomalien (via. S. Lee) sowie eine Übersicht des Einflusses verschiedener Faktoren auf die globale Mitteltemperatur (via Berkeley Earth).
Heuer hat El  Niño v.a. von Jänner bis Mai für eine zusätzliche Erwärmung gesorgt. Es gibt auch noch weitere Faktoren wie etwa das aktuelle Maximum der Sonnenaktivtität im 11-jährigen Sonnenzyklus oder Vulkanausbrüche (etwa der Hunga Tonga im Jahre 2022). Forscher gehen aber davon aus, dass diese eine sehr geringe Rolle spielen (jeweils <0,05 Grad). Umstritten sind noch die Auswirkungen auf die globale Mitteltemperatur von einer Verordnung zur Reduktion des Schwefelgehalts in Schiffskraftstoffen: Die daraus resultierende Reduktion der Albedo könnte regional für eine zusätzliche Erwärmung von 0,1 bis 0,2 Grad verantwortlich sein.
Globaler Temperaturtrend. © C3S/ECMWF

…und 2025?

Die vergangenen zwei Jahre, also 2023 und 2024, waren im globalen Mittel außergewöhnlich mild und haben die Erwartungen vieler Wissenschaftler übertroffen. Daraus kann man aber aktuell keine Beschleunigung der globalen Erwärmung ableiten, da es immer wieder zu mehrjährigen Schwankungen kommen kann. Die Wahrscheinlichkeit für ein weiteres Rekordjahr ist 2025 aber etwas geringer als heuer, zumal wir auch mit einer schwachen La Niña starten und die Prognosen für kommendes Jahr derzeit auf eine neutrale ENSO-Phase hindeuten. Dennoch hat 2025 gute Chancen als eines der drei wärmsten Jahre seit Messbeginn zu enden, knapp hinter 2025 bzw. ähnlich zu 2024.

Looking ahead to 2025, we expect it to be slightly cooler than 2023 and 2024 at around 1.4C above preindustrial levels, as El Nino has faded away and cooler conditions are developing in the tropical Pacific.

[image or embed]

— Zeke Hausfather (@hausfath.bsky.social) 10. Januar 2025 um 22:00

2024 wärmstes Jahr seit Messbeginn

Im globalen Mittel war das Jahr 2024 rund 1,6 Grad milder als in der vorindustriellen Zeit. Etwa ein Drittel der Welt hat dabei das wärmste Jahr seit Messbeginn erlebt. Auch in Österreich war es das bislang wärmste Jahr seit Beginn der Aufzeichnungen (mehr dazu hier).

Besonders warm im Vergleich zum Mittel war es in den Tropen, in Mittel- und Osteuropa, in China und Japan sowie auch im Osten Kanadas. In vielen Ländern war es hier das wärmste Jahr seit Messbeginn. Regionen mit unterdurchschnittlichen Temperaturen waren dagegen stark begrenzt, das einzige Land weltweit mit einer unterdurchschnittlichen Mitteltemperatur im Jahre 2024 war Island.

Abweichungen zum Mittel von 1991 bis 2020 (in dunkelrot = Rekord). © C3S/ECMWF
Temperaturabweichung pro Land im Vergleich zum Mittel von 1951-1980. © Berkeley Earth

Wenn man das Jahr auf die einzelnen Monate aufschlüsselt, dann gab es von Jänner bis inklusive Juni sowie auch im August neue Monatsrekorde der globalen Mitteltemperatur. Alle weiteren Monate lagen auf Platz 2 hinter 2023. Der 22. Juli war mit einer globalen Mitteltemperatur von 17,16 Grad der global wärmste Tag seit Beginn der Aufzeichnungen gemäß ERA5.

Warme Ozeane

Auch  die Wassertemperaturen waren in weiten Teilen des Atlantiks, des Nordpazifiks sowie des Indischen Ozeans außergewöhnlich hoch. V.a. in den tropischen Regionen sowie im Mittelmeer gab es oft neue Rekorde. Auch der Nordatlantik war von Jänner bis Mitte Juni durchgehend rekordwarm und auch aktuell liegen die Wassertemperaturen nur knapp unter dem Rekord aus dem Vorjahr.

Abweichungen zum Mittel von 1991 bis 2020 der Meeresoberflächentemperatur (in dunkelrot = Rekord). © C3S/ECMWF

Wasserdampf auf Rekordniveau

Generell wird durch die globale Erwärmung der Wasserkreislauf intensiviert: Einerseits verdunstet mehr Wasser, andererseits fällt Niederschlag kräftiger aus. Für jedes Grad Celsius an Erwärmung kann die Atmosphäre etwa 7% mehr Wasserdampf aufnehmen. Die Verdunstungsrate (also der Wassernachschub) steigt aber nur um etwa 3 bis 4% pro Grad Erwärmung an und kommt der gesteigerten Aufnahmekapazität der Atmosphäre also nicht ganz nach. Dieses Ungleichgewicht führt dazu, dass es tendenziell seltener regnet, aber dafür stärker. Besonders gut kann man das an der zunehmenden Häufigkeit von Unwettern im Sommer beobachten. Paradoxerweise werden also sowohl die trockenen Phasen als auch die starken Regenereignisse intensiver und häufiger, da sich der Niederschlag auf weniger Tage konzentriert und mitunter auch nur lokal auftritt. Der Wasserdampf in der Atmosphäre war 2024 auf Rekordniveau.

Abweichungen zum Mittel von 1991 bis 2020 vom Wasserdampfgehalt der Atmosphäre (in dunkelblau = Rekord). © C3S/ECMWF

Trend und Schwankungen

Der globale Erwärmungstrend von etwa 0,2 Grad Temperaturzunahme pro Jahrzehnt, verursacht durch die steigende Konzentration an Treibhausgasen in der Atmosphäre, wird von Jahr zu Jahr von natürlichen Schwankungen überlagert. Aus diesem Grund wird es nicht jedes Jahr konstant etwas wärmer, sondern es gibt von Jahr zu Jahr eine gewisse Variabilität.
Die wichtigste natürliche Schwankung ist die El Niño Southern Oscillation (ENSO): In Jahren mit La Niña sind neue globale Rekorde unwahrscheinlich, während in Jahren mit  El Niño neue Rekorde recht wahrscheinlich sind, da sich die globale Mitteltemperatur dadurch zusätzlich um etwa 0,1 bzw. bei starken El-Niño-Ereignissen auch um 0,2 Grad erhöht.
Die Formel für die Berechnung von Temperaturanomalien (via. S. Lee) sowie eine Übersicht des Einflusses verschiedener Faktoren auf die globale Mitteltemperatur (via Berkeley Earth).
Heuer hat El  Niño v.a. von Jänner bis Mai für eine zusätzliche Erwärmung gesorgt. Es gibt auch noch weitere Faktoren wie etwa das aktuelle Maximum der Sonnenaktivtität im 11-jährigen Sonnenzyklus oder Vulkanausbrüche (etwa der Hunga Tonga im Jahre 2022). Forscher gehen aber davon aus, dass diese eine sehr geringe Rolle spielen (jeweils <0,05 Grad). Umstritten sind noch die Auswirkungen auf die globale Mitteltemperatur von einer Verordnung zur Reduktion des Schwefelgehalts in Schiffskraftstoffen: Die daraus resultierende Reduktion der Albedo könnte regional für eine zusätzliche Erwärmung von 0,1 bis 0,2 Grad verantwortlich sein.
Globaler Temperaturtrend. © C3S/ECMWF

…und 2025?

Die vergangenen zwei Jahre, also 2023 und 2024, waren im globalen Mittel außergewöhnlich mild und haben die Erwartungen vieler Wissenschaftler übertroffen. Daraus kann man aber aktuell keine Beschleunigung der globalen Erwärmung ableiten, da es immer wieder zu mehrjährigen Schwankungen kommen kann. Die Wahrscheinlichkeit für ein weiteres Rekordjahr ist 2025 aber etwas geringer als heuer, zumal wir auch mit einer schwachen La Niña starten und die Prognosen für kommendes Jahr derzeit auf eine neutrale ENSO-Phase hindeuten. Dennoch hat 2025 gute Chancen als eines der drei wärmsten Jahre seit Messbeginn zu enden, knapp hinter 2025 bzw. ähnlich zu 2024.

Looking ahead to 2025, we expect it to be slightly cooler than 2023 and 2024 at around 1.4C above preindustrial levels, as El Nino has faded away and cooler conditions are developing in the tropical Pacific.

[image or embed]

— Zeke Hausfather (@hausfath.bsky.social) 10. Januar 2025 um 22:00

Tau: Der unsichtbare Niederschlag

Morgentau auf eine Wiese

Als Tau bezeichnet  man einen beschlagenden Niederschlag aus flüssigem Wasser. Er entsteht durch Kondensation von in der Atmosphäre unsichtbar enthaltenem Wasserdampf an unterkühlten Oberflächen. Förderlich für dieses Phänomen sind folgende Faktoren:

  • Kühle, aber frostfreie Nächte im Frühjahr und Herbst
  • Windschwache Verhältnisse
  • Wolkenloser Himmel

Die Luft kann je nach Temperatur nur eine bestimmte Menge an Wasserdampf aufnehmen. Dabei gilt: Je höher die Temperatur, desto mehr Wasserdampf kann sie fassen.

Je höher die Temperatur, umso höher ist die maximale Luftfeuchtigkeit. Das Diagramm wird auch als Taupunktkurve bezeichnet.

Kommt etwas wärmere und feuchte Luft jedoch in Kontakt mit kühleren Oberflächen wie etwa Grashalme oder Autos, kühlt sie sich ab und kann den gespeicherten Wasserdampf nicht mehr halten. Dieser fällt aus und lagert sich dann in Form von Tautropfen ab. Dies passiert auch, wenn man bei feuchtwarmen Wetter beispielsweise eine kalte Flasche aus dem Kühlschrank holt: An seiner Oberfläche wird die angrenzende Luft abgekühlt und es bilden sich Wassertröpfchen auf der Flasche.

In unseren Breiten ist die Bedeutung von Tau vergleichsweise gering, in trockenen Regionen wie etwa in der Namib-Wüste ist Tau aber sehr wichtig für die Pflanzen und Tiere, die dort leben, da es oft keine anderen Wasserquellen gibt. Bei Temperaturen unter dem Gefrierpunkt entsteht übrigens weißlicher Reif.

Der Taupunkt

Der Tau hat in der Meteorologie sogar zur Namensgebung einer physikalischen Größe beigetragen: Unter der „Taupunkttemperatur“ versteht man nämlich jene Temperatur, auf die sich die Luft abkühlen müsste, um vollständig mit Wasserdampf gesättigt zu sein. Ab dieser Temperatur beträgt die relative Feuchte der Luft bereits 100 %. Kühlt sich die Luft nur um wenige Zehntel weiter ab, beginnt Wasser an Oberflächen oder Kondensationskernen in der Umgebung zu kondensieren und es entsteht Nebel bzw. Tau.

Abschätzung der Tiefsttemperatur

Da beim Phasenübergang vom gasförmigen Wasserdampf zu flüssigem Wasser Wärme freigesetzt wird, wird die nächtliche Abkühlung bei einsetzender Taubildung gebremst oder sogar gestoppt. Daher gibt es in der Wettervorhersage auch eine Faustregel, welche die Taupunktstemperatur am Nachmittag als grobe Abschätzung für die nächtlichen Tiefstwerte heranzieht. Dies funktioniert natürlich nur dann, wenn die Luftmasse über einem Ort in den Stunden zwischen Nachmittag und dem folgenden Morgen nicht durch eine Wetterfront ausgetauscht wird. Auch bei bewölktem Himmel oder Wind ist diese Abschätzung nicht möglich, beides führt zu milderen Nächten.

Advektionstau

Der Morgentau, der nach ruhigen und windschwachen Nächten entsteht nennt man Strahlungstau. Es gibt aber noch einen weiteren Prozess, der zu Tau führen kann: Wenn nach einer kühlen Wetterphase plötzlich warme, feuchte Luft zugeführt wird, deren Taupunkt oberhalb der Bodentemperatur liegt, kommt es zur Kondensation des Wasserdampfes. Dieses Phänomen kann auch sämtliche Straßen nass machen und man nennt es Advektionstau.

Titelbild: Robert Körner on VisualHunt / CC BY-NC-SA

Inversionswetterlagen und Industrieschnee

Emissions und Industrieschnee. @shutterstock.com/Anatoliy Berislavskiy

Industrieschnee entsteht bei Hochdrucklagen mit tief liegendem Hochnebel oder Nebel durch Emissionen von Wasserdampf und/oder feinen Ruß- bzw. Staubpartikeln vor allem aus größeren Industrieanlagen wie Kraft- oder Heizwerken. Voraussetzung ist eine ausgeprägte Temperaturinversion mit sehr kalter, frostiger Luft in den Niederungen und milder und trockener Luft in mittleren Höhenlagen. Häufig ist Industrieschnee nur auf wenige hundert Meter beschränkt, kann aber im Extremfall in kurzer Zeit eine mehrere Zentimeter dicke Schneeschicht verursachen.

Menschengemacht

Aufgrund des größeren Verkehrsaufkommens und der Industrieanlagen gibt es in großen Ballungsräumen oft eine drei- bis fünfmal höhere Konzentration an Kondensationskernen, was die Entstehung von Nebel und mitunter auch von Niederschlag begünstigt. Allerdings betrifft dies oft nur kleine Teile oder das nähere Umland der Städte, da sich der Niederschlag auf die windabgewandten Seiten der Industrieanlagen beschränkt. Dieser Schnee ist oft feinkörniger als normaler Schnee, da er aus deutlich geringeren Höhen stammt. Auch für die Entstehung von gewöhnlichen Schneeflocken sind allerdings Kondensationskerne notwendig, diese sind aber zum Großteil natürlichen Ursprungs.

Das frostige und nebelige Wetter im Flachland setzt sich noch bis morgen fort. U.a. in der Südstadt (Maria Enzersdorf) sind stellenweise sogar 3 cm #Industrieschnee gefallen. Das ist hier die bislang höchste Schneedecke des Winters. Bilder via @stormaustria.bsky.social

[image or embed]

— uwz.at (@uwz.bsky.social) 1. Januar 2025 um 14:28

Jahresrückblick 2024: Unwetter und Rekorde in Österreich

Jahreszeiten

Das Jahr 2024 war in vielerlei Hinsicht außergewöhnlich, so war es im landesweiten Flächenmittel mit einer Abweichung von +2 Grad das mit Abstand wärmste Jahr seit Beginn der Wetteraufzeichnungen im Jahre 1768. Die größten Abweichungen von +2 bis +2,5 Grad im Vergleich zum Mittel von 1991 bis 2020 wurden im Osten und Südosten verzeichnet, während die Abweichungen von Vorarlberg bis nach Oberkärnten meist bei +1,5 Grad lagen.

Wenn man das Jahr allerdings mit dem älteren Klimamittel von 1961 bis 1990 vergleicht, dann war es landesweit sogar um gut 3 Grad zu warm. Dies zeigt auch eindrücklich, wie sich das Wetter u.a. in Mitteleuropa wesentlich schneller als im globalen Mittel erwärmt (weltweit wurde heuer erstmals die 1,5-Grad-Marke überschritten).

Viele Wärmerekorde

Im Laufe des Jahres kam es auch zu unzähligen Wärmerekorden, so erlebten wir den wärmsten Februar, März sowie auch August der Messgeschichte. Am 7. April wurde in Bruck an der Mur der früheste Hitzetag in Österreich seit Messbeginn verzeichnet, zudem gab es u.a. in Wien eine neue Rekordanzahl an Tropennächten, in der Wiener Innenstadt waren es sogar 53.
Rekorde gab es aber auch auf den Bergen, so war der August der erste gänzlich frostfreie Monat am Hohen Sonnblick seit Beginn der Messreihe im Jahre 1886. Von den vergangenen 12 Monaten brachte nur der November im Tiefland knapp unterdurchschnittliche Temperaturen, zudem erlebten wir von Juni 2023 bis inkl. Oktober 2024 ganze 17 Monate in Folge mit überdurchschnittlichen Temperaturen, was ebenfalls einen neuen Rekord darstellt.

Höchste Temperaturen 2024
  • 36,9 Grad Bad Deutsch-Altenburg (NÖ, 14.8.)
  • 36,4 Grad Wien – Innere Stadt (W, 30.6.)
  • 36,3 Grad Andau (B, 10.7.), Langenlebarn (NÖ, 16.8.), Pottschach-Ternitz (NÖ, 14.8.)
Tiefste Temperaturen 2024
  • -22,6 Grad Oberlainsitz (NÖ, 9.1.)
  • -21,1 Grad Schwarzau im Freiwald (NÖ, 9.1.)
  • -20,8 Grad Lech am Arlberg (V, 20.1.)

Kaum Kälterekorde

Vereinzelt kam es im Laufe des Jahres auch zu Kälterekorden, allerdings äußerst selten bzw. nur an einzelnen Tagen. Etwa Mitte September bei der Hochwasserlage in Niederösterreich wurde an drei Tagen ein Negativrekord der Tagesmitteltemperatur aufgestellt (siehe dunkelblaue Balken in der nachfolgenden Graphik). Demgegenüber stehen allerdings 22 Tage mit einem neuen Wärmerekord (siehe rote Balken).

Verlauf der Tagesmitteltemperatur im Jahre 2024 in Wien im Vergleich zum Mittel. Zum Vergrößern auf das Bild klicken.

In einem stabilen Klima würden sich Kälte- und Wärmerekorde in etwa ausgleichen, davon sind wir aber schon seit vielen Jahren weit entfernt: Etwa in Wien gab es bei der Tagesmitteltemperatur in den vergangenen 15 Jahren an 150 Tagen Wärmerekorde und an nur 8 Tagen Kälterekorde.

Viele Regenrekorde

Das schlimmste Wetterereignis war heuer sicherlich das Unwettertief Anett Mitte September, als es in Niederösterreich und im Wienerwald mancherorts zu einem 1000-jährigen Hochwasser kam (hier geht es zu unserem damaligen Liveticker). In den Sommermonaten kam es zudem zu zahlreichen Gewittern mit Starkregen, welche mehrfach zu Sturzfluten und Vermurungen führten. Betroffen waren u.a. Deutschfeistritz, Aflenz, Hollabrunn sowie auch die Silvretta- und Arlbergregion. An zahlreichen Stationen gab es neue Rekorde, wie etwa in Wien, St. Radegund, Aflenz, Feldkirchen, Spittal an der Drau oder auch am Semmering.

Die Silvretta-Hochalpenstraße wurde am 13. Juli durch eine große Mure verschüttet. Am 16. August wurde sie im Zuge der Aufräumarbeiten erneut verschüttet.
Nasseste Orte 2024
  • 2741 Liter pro Quadratmeter Loibl (K)
  • 2213 Liter pro Quadratmeter Alberschwende (V)
  • 2198 Liter pro Quadratmeter Schröcken (V)
Trockenste Orte 2024
  • 536 Liter pro Quadratmeter Retz (NÖ)
  • 561 Liter pro Quadratmeter Zwerndorf (NÖ)
  • 565 Liter pro Quadratmeter Podersdorf (B)

Unwetterlagen im Jahre 2024

Im vergangenen Jahr kam es zu mehreren Unwettern in Österreich, wobei Starkregen und Hitze klar die dominierenden Unwettertypen waren. Es folgt nun eine Auswahl an besonderen Wetterlagen im Jahr 2024 in Österreich in chronologischer Reihenfolge.

Jänner: Sturm und Eisregen

Kurz nach dem Jahreswechsel brachte ein Tief namens Annelie den stärksten Sturm des Jahres im Wiener Becken. Der föhnige Westwind erreicht in Wien schwere Sturmböen bis 111 km/h bzw. in Gumpoldskirchen bis 106 km/h. Nachfolgend kam es zu einem der wenigen unterdurchschnittlich temperierten Wetterabschnitten des Jahres und in der Nacht auf den 9.1. wurde in Oberlainsitz im Waldviertel mit -22,6 Grad die kälteste Temperatur des Jahres in einem bewohnten Ort gemessen. Vom 17. auf den 18. sowie neuerlich am 23.1. gab es dann regional Glatteis durch gefrierenden Regen, so mussten allein am 24.1. mehr als 300 Verletzte in Grazer Krankenhäusern behandelt werden.

Lichtsäulen
Lichtsäulen bei strengem Frost im Außerfern in einer der kältesten Nächte des Winters. © www.foto-webcam.eu

Februar: Extreme Wärme und Schneechaos am Brenner

Der Februar war der außergewöhnlichste Monat des Jahres, so war er am Ende sogar wärmer als der wärmste März der Messgeschichte (der ebenfalls heuer verzeichnet wurde). Im Flächenmittel lagen die Temperaturen knapp 6 Grad über dem Mittel und an manchen Stationen wie etwa auf der Hohen Wand verlief der Februar erstmals gänzlich frostlos. Zumindest in den Alpen kam es vorübergehend aber auch zu Schneefall: Am 23.2. fielen am Brenner sogar 70 cm Schnee und die Autobahn musste in südliche Richtung etwa 10 Stunden lang gesperrt werden musste.

Schneechaos am Brenner am 23.2.24. © ASFINAG

März: Föhn und Saharastaub

Der März verlief ebenfalls außergewöhnlich mild und war am Ende der wärmste seit Messbeginn. In den Nordalpen kam es mehrmals zu stürmischem Föhn, so wurden in Zell am See am 10.3. sowie in Achenkirch am 30.3. orkanartige Böen bis 114 km/h gemessen. In Brand wurde am 29.3. sogar eine Orkanböe von 118 km/h verzeichnet. Dabei gelangten zeitweise auch große Mengen an Saharastaub ins Land, was am 29. in den Nordalpen sehr hohe Feinstaubbelastungen zur Folge hatte.

Saharastaub am 30. März 2024. ©www.foto-webcam.eu

April: Wettersturz

Der April brachte am 7.4. in Bruck an der Mur den frühesten Hitzetag der österrechischen Messgeschichte. Nur eine Woche später wurden am 14. in Deutschlandsberg sogar 31,7 Grad erreicht, was einem neuen Monatsrekord für die Steiermark entspricht. Auch in Kärnten wurde mit 30,9 Grad in Villach eine neuer Monatsrekord aufgestellt. In weiterer Folge kam es aber zu einem ausgeprägten Wettersturz: Zunächst zogen am 15. am Alpenostrand kräftige Gewitter mit Starkregen und Hagel durch, am 16. fiel dann im Süden bis in tiefe Lagen Schnee.

Mai: Tornado in Graz

Der Mai brachte heuer überdurchschnittlich viele Blitze in Österreich, mitunter gab es auch kräftige Gewitter mit großen Regenmengen in kurzer Zeit. In Erinnerung bleibt v.a. der 21.5., als es im Grazer Bezirk Eggenberg zu einem Tornado kam.

Zu einem außergewöhnlich Naturschauspiel kam es zudem in der Nacht vom 10. auf den 11. Mai, als ein schwerer G5-Sonnensturm verbreitet zu hell sichtbaren Polarlichtern führte.

Nordlichter über der Nordkette.

Juni: Gewitter mit Starkregen und Hagel

Der erste Sommermonat brachte mehrere heftige Gewitterlagen mit Starkregen und Hagel. Am 8. kam es etwa in Deutschfeistritz zu einer schweren Sturzflut, der Übelbach verzeichnete ein 300-jähriges Hochwasser.


Für Schlagzeilen sorgte aber vor allem ein Superzellengewitter im Raum Hartberg am 9. Juni: Ein Flugzeug der AUA flog direkt durch die Gewitterwolke hinweg und wurde durch Hagelschlag stark beschädigt. Dieses Gewitter führte kurze Zeit später auch zu einem Tornado im Südburgenland an der Grenze zu Ungarn.

Tornado in Ungarn nahe zur Grenze zum Burgenland am 9.6.24. Bild: Storm Science Austria
Tornado in Ungarn nahe zur Grenze zum Burgenland am 9.6.24. Bild © Storm Science Austria

Am gleichen Tag kam es zudem auch zu großem Hagel um 7 cm im Tiroler Unterland. Weitere heftige Gewitter folgten am 30. Juni, als es zu einer Vermurung am Achensee kam und großer Hagel um 7 cm im Waldviertel örtlich zu schwersten Schäden führte.

Juli: Gewitter mit Sturm und Starkregen

Am 6. Juli sorgte eine Gewitterlinie im oberösterreichischen Zentralraum für Sturmböen bis 100 km/h, am 10. kam es im Raum Fieberbrunn Hagelkörner mit einem Durchmesser von bis zu 7 cm. Am 11. und 12. gingen v.a. in der Weststeiermark starke Gewitter nieder, welche enorme Regenmengen in kurzer Zeit brachten und für Überflutungen und Murenabgänge sorgten. Der 12.7. geht mit knapp 190.000 Entladungen auch als blitzreichster Tag des Jahres in die Statistik ein, als mit Durchzug einer Gewitterlinie in Zeltweg Böen bis 111 km/h gemessen wurden. Am 16. waren erneut Starkregen und Vermurungen im Fokus, als im Aflenzer Becken innerhalb weniger Stunden 100 l/m² gemessen wurden.

August: Gewitter und Vermurungen

Der August verlief schwülheiß und außerordentlich blitzreich, immer wieder gab es kräftige Gewitter. Etwa am 12. wurden im Pongau Hagelkörner mit einem Durchmesser von bis zu 6 cm registriert. Am 13. brachte ein nächtliches Gewitter am Flughafen Wien-Schwechat eine orkanartige Böe von 112 km/h. Am 16. kam es dann neuerlich zu Vermurungen u.a. in der Silvretta- und Arlbergregion sowie auch in Hollabrunn.

Der Arlbergpass nach der Vermurung. Bild © Land Vorarlberg

Im weiteren Verlauf stand Wien dann auch am 17. im Mittelpunkt: Ein stationäres Gewitter brachte an der Hohen Warte in Wien in nur einer Stunde 94 l/m², noch nie wurde an einer österreichischen Wetterstation eine derart hohe Regenmenge in nur einer Stunde gemessen.

Wolkenbruch über Wien. Bild © Johannes Steinhäuser
Aufsummierte Niederschlagsmenge am 17.08.2024 in Wien @UBIMET
Blitzreichste Bezirke 2024
  • 43 Blitze/km² Oberwart (B)
  • 34 Blitze/km² Braunau am Inn (OÖ)
  • 31 Blitze/km² Eisenstadt-Umgebung (B)
  • 31 Blitze/km² Hartberg-Fürstenfeld (ST)
  • 30 Blitze/km² Rust (B)

September: Schweres Hochwasser

Das schwerste Unwetterereignis des Jahres ereignete sich Mitte September mit Tief Anett, als es in Niederösterreich und im Wienerwald zu einem extremen Hochwasser kam.  In St. Pölten fiel in nur vier Tagen eine Rekordmenge von 361 l/m² Regen, also mehr als im zuvor niederschlagsreichsten Herbst aus dem Jahre 1950. In Wien wurde das Kapazitätslimit der Kanalisation erreicht und der Wienfluss verzeichnete ein 1000-jähriges Hochwasser.

Anett
UWZ-Regenwarnungen für Unwettertief Anett.


Im Grazer Bergland bzw. in der Oststeiermark wurden zudem Orkanböen gemessen, u.a. am Schöckl, in St. Radegund und in Hartberg gab es neue Allzeitrekorde.

Sturmschäden. © FFW Birkfeld

Auf den Bergen gab es ergiebige Schneemengen und auch in manchen Tallagen wurde etwa in der nördlichen Obersteiermark der erste Schnee der Saison verzeichnet.

Oktober: Frostfrei

Der Oktober verlief weitgehend ruhig und neuerlich sehr mild. Vielerorts gab es erstmals seit Messbeginn keinen Frost wie u.a. in Radstadt und Neumarkt. In der Nacht vom 10. auf den 11. Oktober waren zudem neuerlich Polarlichter sichtbar, wobei das Wetter in Österreich vielerorts trüb war.

November: Schneefall in Vorarlberg

Der November war der einzige Monat des Jahres mit unterdurchschnittlichen Temperaturen im Tiefland Österreichs. Am 21. kam es im Westen Österreichs auch zu einem kräftigen Wintereinbruch: In Bregenz gab es 28 cm bzw. in Reutte 30 cm Neuschnee. Der Arlbergpass musste am Abend gesperrt werden.

Schneefall am Arlberg im November 2024. Bild © Land Tirol

Dezember: Sturm und etwas Schnee

Der Dezember brachte zeitweise wechselhaftes Wetter, so kam es etwa am 6. im Norden regional zu Glätte durch Eisregen. Nachfolgend kam es auch mehrmals zu stürmischem Wind, wie etwa am 16. im Wiener Becken, am 19. in Oberösterreich und am 24. in den Südalpen bzw. am Alpenostrand. In Erinnerung bleibt zudem eine Nordstaulage kurz vor Weihnachten mit Schnee bis in viele Tallagen. Auf den Bergen gab es etwa im Bregenzerwald und im Arlberggebiet große Neuschneemengen von teils mehr als 1 Meter.

Ein umgewehter LKW-Anhänger am 16.12. auf der Südautobahn. Bild © FFW Wiener Neudorf
Höchste Windspitzen In den NIEderungen 2024
  • 135 km/h St. Radegund (ST, 14.9.)
  • 118 km/h Brand (V, 29.3.), Hartberg (ST, 14.9.)
  • 114 km/h Achenkirch (T, 30.3.), Zell am See (S, 10.3.)
  • 112 km/h Schwechat (NÖ, 13.8.)
  • 111 km/h Wien-Innere Stadt (4.1.), Zeltweg (12.7.)

Hier geht es zum Unwetter-Rückblick für die Jahre 2021, 2022 und 2023.

Titelbild: © Storm Science Austria,

Dezember 2024 um 1,4 Grad wärmer als im Mittel

Hochnebel und Schnee

Im Westen durchschnittlich, in der Osthälfte deutlich zu mild
In Flächenmittel war der erste Wintermonat deutlich milder als üblich: Österreichweit schließt der Dezember rund 1,4 Grad wärmer als im langjährigen Mittel von 1991 bis 2020 ab. Die größten Abweichungen zwischen +2 und +2,5 Grad wurden vom Lavanttal über die südliche Steiermark bis ins östliche Flachland gemessen, während der Dezember in den Tallagen von Vorarlberg bis Salzburg durchschnittlich war.

Viel Sonnenschein im Süden und Osten

Im Dezember schien die Sonne im Süden und Osten deutlich häufiger als im Mittel, in Wiener Neustadt wurden sogar doppelt so viele Sonnenstunden wie üblich registriert. Von Unterkärnten bis nach Niederösterreich und Wien gab es meist ein Plus von 40 bis 70 Prozent. Etwas seltener als sonst schien die Sonne hingegen entlang der Nordalpen von Vorarlberg bis ins Innviertel, in Schärding gab es gar nur halb so viele Sonnenstunden wie üblich. Landesweit liegt die Bilanz bei +17%, wobei die höchste positive Abweichung von +102% in Wiener Neustadt verzeichnet wurde.

Im Süden und Südosten sehr trocken

Im Flächenmittel brachte der Dezember in Österreich etwa 35 Prozent weniger Niederschlag als üblich. Deutlich zu trocken war es von Osttirol über die südliche Steiermark bis ins östliche Flachland, besonders von Unterkärnten bis zur Buckligen Welt gab es meist nur 15 bis 25 Prozent bzw. in der Südwest- und Oststeiermark sogar weniger als 10 Prozent der üblichen Niederschlagsmenge. Im östlichen Flachland und in Osttirol gab es in etwa die Hälfte des Solls, dagegen war der Monat vom Bregenzerwald bis ins Wald- und Mostviertel durchschnittlich. Im Pinz- und Pongau wurde örtlich auch eine Bilanz von 120 bis 140 Prozent verzeichnet. Der absolut nasseste Ort war Mittelberg im Kleinwalsertal mit 165 l/m².

Am 6. Dezember kam es im Norden regional zu Eisregen, in Erinnerung bleibt aber vor allem eine Nordstaulage kurz vor Weihnachten, welche u.a. in Innsbruck und Bregenz nach einigen Jahren Pause wieder „weiße Weihnachten“ ermöglicht hat. Auf den Bergen gab es vor allem im Bregenzerwald und im Arlberggebiet große Neuschneemengen von teils mehr als 1 Meter.

Schnee und Sonne
Weiße Weihnachten in Zell am See.
Tiefste Temperaturen (<1000 m)
  • -18,5 Grad Radstadt (S, 26.)
  • -17,7 Grad Zell am See (S, 26.)
  • -17,2 Grad Mittersill (S, 26.)
Höchste Temperaturen
  • 16,4 Grad Gleisdorf (ST, 16.); Kernhof – St. Aegyd (NÖ, 19.)
  • 16,2 Grad Kroisegg (B, 16.)
  • 16,1 Grad Hohe Wand (NÖ, 19.)
Stärkste Windspitzen
  • 110 km/h Micheldorf (OÖ, 19.)
  • 107 km/h Wolfsegg (OÖ, 19.)
  • 103 km/h Fischbach (ST, 24.)
  • 98 km/h St. Radegund (ST, 24.), Reichenau/Rax (NÖ, 24.), Frisach (K, 24.)
  • 95 km/h Gumpoldskirchen (NÖ, 16.), Unterlaa (W, 16.), Irnfritz (NÖ, 15.)
  • 93 km/h Wien-Hohe Warte (W, 16.)

 

Silvesternacht in den Alpen sternenklar, im Flachland dichter Nebel

Der Himmel präsentiert sich um Mitternacht oft klar.

Österreich liegt derzeit unter dem Einfluss eines ausgeprägten Hochdruckgebiets namens Günther und das Wetter präsentiert sich ausgesprochen ruhig. Der Jahreswechsel verläuft im Berg- und Hügelland oft sternenklar, im Flachland breitet sich hingegen dichter Nebel aus. Zu Neujahr setzt sich die Inversionswetterlage fort und in mittleren Höhenlagen wird es sehr mild für die Jahreszeit. Erst am Donnerstag ist dann mit Ankunft einer Kaltfront eine Umstellung der Großwetterlage in Sicht.

Zu Silvester Nebel und Sonne

Am Dienstag hält sich im Flachland häufig Nebel, der tagsüber nur stellenweise wie etwa im Mostviertel etwas auflockert. Im Berg- und Hügelland sowie im Süden scheint dagegen verbreitet die Sonne. In der Silvesternacht ist im Donauraum, im östlichen Flachland und im Südosten mit zunehmend dichtem Nebel und teils hohen Feinstaubbelastungen zu rechnen. Der Nebel fällt durch die Feuerwerke noch dichter aus, Meteorologen sprechen auch von Feuerwerksnebel. Im Berg- und Hügelland sowie im Süden bleibt der Himmel klar. Der Wind weht schwach, nur im Oberen Waldviertel kommt teils lebhafter Westwind auf.
Die Temperaturen liegen zum Jahreswechsel in den Tallagen und im Flachland meist zwischen etwa -10 Grad im Lungau und 0 Grad am Bodensee. In mittleren Höhenlagen bzw. auf den Bergen gibt es dagegen Plusgrade, so liegt die Temperatur zum Jahreswechsel auf der Hohen Wand in Niederösterreich bei +6 Grad.

Zu Neujahr in mittleren Höhenlagen mild

Am Neujahrstag löst sich der Nebel in den Niederungen nur zögerlich auf, im äußersten Osten bleibt es streckenweise auch ganztags trüb. Abseits davon dominiert der Sonnenschein, wobei an der Alpennordseite im Tagesverlauf hochliegende Wolken aufziehen. Die Höchstwerte weisen teils große Unterschiede auf engem Raum auf und liegen je nach Höhenlagen und Nebel zwischen -1 Grad und +12 Grad: Leichten Dauerfrost gibt es streckenweise im östlichen Flachland, sehr mild wird es dagegen in Höhenlagen um 700 m am Alpenostrand.

Feuerwerksnebel

Allgemein entsteht Nebel, wenn sich die bodennahe Luft bei windschwachen Verhältnissen immer weiter abkühlt. Da kalte Luft weniger Wasserdampf enthalten kann, ist sie je nach Feuchtigkeitsgehalt ab einer bestimmten Temperatur gesättigt und das überschüssige Wasser kondensiert zu kleinen Wassertröpfchen. Dies funktioniert effektiv, wenn in der Luft zahlreiche Kondensationskerne vorhanden sind, also winzige schwebende Partikel wie etwa Staub- oder Rußpartikel. Feuerwerke stellen eine große Quelle für Rußpartikel dar. Bei Windstille und feuchtkaltem Wetter begünstigen sie die Entstehung von dichtem Nebel, mitunter kann es auch zu einer Sichtweite von weniger als 50 Meter kommen.

Lawinen – die weiße Gefahr

Lawinen die weiße Gefahr

Derzeit herrscht im Bergland vom Karwendel bis in die nördliche Obersteiermark recht verbreitet Lawinenwarnstufe 4 und eine Entspannung der Lage ist aufgrund von weiterem Neuschnee und Sturm noch nicht in Sicht. Es ist also größte Vorsicht abseits der Pisten geboten!

Eine Schneebrettlawine. © Nikolas Zimmermann
Schneebrettlawinen auf einer Schwachschicht im Schnee. Bild © N. Zimmermann

Verschiedene Typen von Lawinen

Bei den meisten Lawinen handelt es sich um sog. Schneebrett- oder Lockerschneelawinen. Schneebretter kennzeichnen sich durch einen linienförmigen Abriss quer zum Hang aus, dabei rutscht eine ganze Schneeschicht auf einer anderer oder auf dem Grund ab. Wenn die gesamte Schneedecke am Boden abgleitet, spricht man auch von Gleitschneelawinen. Lockerschneelawinen haben ihren Ursprung in einem einzelnen Punkt, sie nehmen beim Abgang immer mehr Schnee auf und wachsen daher rasch an. Vor allem bei mildem Wetter im Winter sowie generell im Frühjahr auf Südhängen kommt es vermehrt zu Nassschneelawinen: Hauptauslöser ist dabei flüssiges Wasser, welches die Bindung innerhalb der Schneedecke schwächt. Staublawinen sind dagegen vergleichsweise selten und treten meist nur bei markanten Lagen mit sehr viel Neuschnee auf.

Eine kleine Lockerschneelawine. © Nikolas Zimmermann
Eine kleine Lockerschneelawine. Bild © N. Zimmermann

Hangneigung und Schneemenge

Grundsätzlich ist für eine Lawine eine gewisse Masse an Schnee notwendig, die sich an einem Hang mit einer Neigung von etwa 30° oder mehr ansammelt. Je größer die Neigung, desto öfter ist mit Lawinenabgängen zu rechnen. Andererseits können sich gerade auf mäßig steilen Hängen besonders große Schneemengen ansammeln, weshalb hier besonders viele Unfälle passieren. Ist der Hang zudem nach Norden ausgerichtet und damit weniger der Sonneneinstrahlung ausgesetzt, kann sich eine Schneedecke schlechter stabilisieren und eine mögliche Gefahrenstelle bleibt länger bestehen. Bei Lawinenwarnstufe 3 sind in den meisten Fällen besonders schattige Nordhänge oberhalb der Waldgrenze zu meiden!

Beispielbild eines Schneebretts @ https://pixabay.com/de/users/hans-2/
Eine Gleitschneelawine in steilem Gelände.

Schwachschichten

Fällt viel Neuschnee in kurzer Zeit, ist dieser mit einer vorhandenen, bereits gesetzten Schneedecke vorübergehend schlecht verbunden. Erst nach ein paar Tagen – je nach Höhe und Exposition – kann sich der Neuschnee setzen und mit dem Altschnee verbinden. Auch ohne Neuschnee können die verschiedenen Schneeschichten allerdings große Unterschiede in der Beschaffenheit aufweisen, beispielsweise kann es zu einem Festigkeitsverlust in einer Schneeschicht durch die sogenannte aufbauende Schneeumwandlung kommen. Zudem kann es auch eingelagerte Schwachschichten geben wie eingeschneiter Oberflächenreif. Manchmal reicht dann bereits ein geringes Zusatzgewicht wie beispielsweise ein Skifahrer aus, um eine Schneeschicht ins Rutschen zu bringen.

Staublawinen treten nur bei markanten Lagen mit viel Neuschnee auf.

Faktor Wind

Der Wind spielt für Lawinen eine ganz entscheidende Rolle: Verfrachteter Schnee lagert sich auf windabgewandten Seiten von Hängen ab und es bilden sich Treibschnee und Schneewächten. Diese sind in der Regel für ein paar Tage nur schlecht verbunden zur unteren Schneeschicht und sind somit besonders leicht zu stören. Wenn Triebschnee von frischem Neuschnee überlagert wird und somit schlecht zu erkennen ist, dann ist die Lage besonders brenzlig.

Wind und Schnee © Nikolas Zimmermann
Wind und Schnee stellen eine gefährliche Kombination dar. Bild © N. Zimmermann

Triebschnee

Triebschnee präsentiert sich im Vergleich zu Neuschnee eher matt (kein Glitzern der Schneekristalle) und weist eine gespannte Oberflächenstruktur auf. Wenn man eine Spur durch Treibschnee legt, entstehen scharfe Kanten. Risse in der Schneedecke, oft neben der Spur, sowie ein stumpfer Widerstand beim Skifahren sind ebenfalls ein Indiz für Triebschnee.

Foto: Kecko on Visual Hunt / CC BY

Hoch Ernst bringt bis zum Wochenende ruhiges und kaltes Winterwetter

Raueis bei Frost

Österreich liegt derzeit am Südrand eines Hochs über der Nordsee namens Ernst und mit einer östlichen Strömung gelangen kalte Luftmassen ins Land. Ab Donnerstag breitet sich das Hoch vorübergehend bis zum Alpenraum aus, in den Niederungen hält sich aber feuchtkalte Luft. Damit gibt es in den Alpen sonniges Winterwetter, während sich im Flach- und Hügelland regional Hochnebel hält.

Hoch Ernst verlagert sich von den Britischen Inseln in Richtung Osteuropa.

Am Wochenende nimmt der Tiefdruckeinfluss langsam wieder zu und kommende Woche steht eine Umstellung der Großwetterlage bevor. Vom Atlantik her gelangt wieder milde Luft nach Mitteleuropa und die Temperaturen steigen etwas an.

Sonne und Hochnebel

Am Donnerstag scheint in den Alpen nach Auflösung lokaler Nebelfelder verbreitet die Sonne. Auch im Donauraum und im Südosten lockern die hochnebelartigen Wolken zeitweise auf, während es im Nordosten, am Alpennordrand und in den südlichen Becken regional trüb bleibt. Die Temperaturen liegen mit -2 bis +4 Grad auf einem frühwinterlichen Niveau.
Der Freitag hat auf den Bergen strahlenden Sonnenschein zu bieten. Abseits der Alpen ist der Hochnebel dagegen zäh, im Hügelland gibt es auch gefrierenden Nebel bzw. Raueis. Etwas besser kann sich die Sonne mit lebhaft auffrischendem Ostwind im Mühlviertel und im oberösterreichischen Donauraum sowie vorübergehend auch im äußersten Osten durchsetzen. Die Temperaturen kommen im Flach- und Hügelland nicht über -2 bis +2 Grad hinaus, im westlichen Bergland gibt es in Lagen um 1500 m Höhe +5 Grad.

Am Freitag liegen die Temperaturen in den Niederungen um oder nur knapp über 0 Grad.

In höheren Lagen des Wienerwalds bildet sich derzeit Raueis (wächst bei Nebel und Frost entgegen der Windrichtung).

[image or embed]

— Nikolas Zimmermann (@nikzimmer87.bsky.social) 10. Dezember 2024 um 17:34

Am Wochenende bewölkt

Am Samstag hält sich in den Niederungen zunächst verbreitet Hochnebel, aber auch im Bergland ziehen vermehrt Wolken durch. Ein paar sonnige Auflockerungen sind am ehesten im östlichen Berg- und Hügelland zu erwarten. Im Laufe des Abends beginnt es im Westen leicht zu regnen, die Schneefallgrenze steigt gegen 700 m an. Die Höchstwerte liegen zwischen -1 und +5 Grad.
Der Sonntag verläuft an der Alpennordseite und im Osten trüb und zeitweise nass, die Schneefallgrenze liegt zwischen 400 m im Mühlviertel und 600 m in den Alpen. Vom Lienzer Becken bis ins Südburgenland bleibt es trocken und gelegentlich lockern die Wolken etwas auf. Der Wind frischt lebhaft bis kräftig aus Nordwest auf und die Temperaturen erreichen von Nord nach Süd 0 bis +7 Grad.

Ensemble-Prognose von Temperatur und Niederschlag für die kommenden 8 Tage. Zu Wochenbeginn wird es milder. © ECMWF/UBIMET

Neue Woche bringt Milderung

Am Montag setzt sich der Tiefdruckeinfluss noch fort und zeitweise fällt an der Alpennordseite Regen bzw. in höheren Lagen Schnee. Ab Dienstag kündigt sich aber ein Hoch an und mit einer westlichen Strömung gelangen allmählich milde Luftmassen ins Land. Die Temperaturen steigen etwas an, besonders am Alpenostrand zeichnen sich im Laufe der kommenden Woche auch Höchstwerte knapp über der 10-Grad-Marke ab.

Die Großwetterlage stellt sich zu Wochenbeginn um und ab Dienstag kündigt sich ein Hoch über Westeuropa an. Karten via wxcharts.com

Regen und Schnee: Die Schneefallgrenze in den Alpen

Die Schneefallgrenze taucht im Winter in den Alpen nahezu jedem Wetterbericht auf, sofern Niederschlag erwartet wird.  Meist wird für diesen Höhenbereich eine gewisse Spanne angegeben, da sich die Schneefallgrenze im Laufe der Zeit ändert und besonders in den Alpen selbst auf vergleichsweise kleinem Raum größere Unterschiede auftreten. Die Prognose ist vor allem im Bergland oft komplex, da neben dem vertikalen Temperaturprofil mehrere andere Faktoren einen direkten Einfluss auf die Höhe der Schneefallgrenze haben:

  • Höhe der Nullgradgrenze
  • Wind (bei wenig Wind liegt die Schneefallgrenze meist etwas tiefer)
  • Luftfeuchtigkeit (in trockener Luft schneit es tiefer)
  • Niederschlagsintensität (je stärker, desto schneller kann Regen in Schnee übergehen)
  • Geländeform (in engen Tälern sinkt die Schneefallgrenze schneller als in breiten Tälern und deutlich schneller als im Flachland)
  • Timing und Vorgeschichte (z.B. sind die Tallagen nach einer Hochdrucklage mit Strahlungsnächten bereits mit Kaltluft gefüllt, zudem kann vor allem in den Übergangsjahreszeiten auch der Unterschied zwischen Tag und Nacht eine Rolle spielen).
Die Schneefallgrenze liegt am Montagabend zwischen tiefen Lagen und etwa 400 m im äußersten Osten.

50:50

Bei der Schneefallgrenze handelt es sich nicht um eine scharfe Grenze, wo der fallende Schnee abrupt in Regen übergeht, sondern um eine unterschiedlich  mächtige Schmelzschicht. Laut Definition liegt die Schneefallgrenze dabei in jener Höhenlage, wo das Verhältnis zwischen Schneeflocken und Regentropfen 50 zu 50 beträgt. Die Schneefallgrenze liegt stets etwas tiefer als die Nullgradgrenze, je nach Luftschichtung meist um etwa 200 bis 400 Meter. Meteorologen verwenden auch gerne die Feuchtkugeltemperatur: Wenn diese unter +0,5 Grad liegt, fällt meist Schnee, bei Werten zwischen +0,5 und +1 Grad dagegen Schneeregen. Eine Ausnahme stellen allerdings Inversionswetterlagen dar, dann kann es nämlich auch zu gefrierendem Regen kommen.

Schneeregen
An der Schneefallgrenze fällt Regen und Schnee gleichzeitig. © www.foto-webcam.eu

Schneefall- und Schneegrenze

Schnee fällt zwar häufig auch bei Temperaturen knapp über dem Gefrierpunkt, meist findet dann aber keine Akkumulation am Boden statt. Das Höhenniveau, ab dem der Schnee liegen bleibt, wird als Schneegrenze bezeichnet. Diese liegt meist auf halber Höhe zwischen der Schneefallgrenze und der Nullgradgrenze.

Die Schneegrenze im Oberinntal lag am Montag knapp über dem Talboden, die Schneefallgrenze dagegen meist im Tal.
Schneefallgrenze
Die Schneegrenze ist in den Alpen meist gut sichtbar. ©’www.foto-webcam.eu

Schneeflocken können aber nicht nur schmelzen, sondern vor allem in trockener Luft auch verdunsten bzw. sublimieren: Für diesen Prozess ist viel Energie notwendig, weshalb sich die Oberfläche der Schneeflocken dabei abkühlt. Dadurch kann es manchmal selbst bei deutlichen Plusgraden schneien. Im Extremfall, wie etwa unterhalb einer Föhnmauer, können die Schneeflocken nach und nach vollständig sublimieren: Dort, wo die letzten Flocken gerade noch ankommen, ist die Luft sehr trocken und die Temperatur kann sogar knapp über +5 Grad liegen.

Niederschlagsabkühlung

Wenn Schneeflocken bei Temperaturen über dem Gefrierpunkt schmelzen, wird der Umgebungsluft etwas Wärme entzogen. Damit kühlt sich die Luft bei windschwachen Verhältnissen nach und nach auf 0 Grad ab. Vor allem in engen Alpentälern, wo das Luftvolumen geringer als über der Ebene ist, kann die Schneefallgrenze daher bei starken Niederschlagsraten rasch bis zum Talboden absinken. Die Luftschichtung liegt dann meist bis zum Kammniveau bei exakt 0 Grad, weshalb Meteorologen auch den Begriff „isothermer Schneefall“ verwenden. Somit kann es selbst bei einer vergleichsweise milden Luftmasse bis in manche Tallagen schneien, während die Schneefallgrenze abseits der Alpen teils sogar um 1000 m höher liegt (die kalte Luft wird nicht herangeführt, sondern die vorhandene Luft wird an Ort und Stelle abgekühlt). Bekannt dafür sind unter anderem die Täler Osttirols und Oberkärntens bei Italientiefs, während dieses Phänomen in windigen Regionen wie etwa im Wiener Becken nur selten eine Rolle spielt.

Schneefall
Schneefall im Drautal. © www.foto-webcam.eu

Bild von Jonathan Sautter auf Pixabay

Halos: Faszinierende optische Erscheinungen

Halos: Faszinierende optische Erscheinungen

Das Wort ‚Halo‘ kommt aus dem Griechischen und bedeutet soviel wie Rundung, grob übersetzt auch Ring. Diese optische Erscheinung entsteht durch die mehrfache Brechung und Reflexion des einfallenden Lichts  an Eiskristallen.

Sonne und Mond

In Mitteleuropa zeigen sich Halos vor allem in Zusammenspiel mit Cirruswolken in größeren Höhen von etwa 10 km, im Winter treten sie bei Polarschnee, Eisnebel oder in der Nähe von Schneekanonen aber manchmal auch auf Augenhöhe auf: Wenn Lichtstrahlen winzige Eiskristalle durchqueren, wird das Licht mehrfach gespiegelt und gebrochen. Die Sonne ist aber nicht die einzige Lichtquelle: Auch bei hellem Mondschein kann es zu Haloerscheinungen kommen.

Halo rund um den Mond
Ein Mondhalo. © www.foto-webcam.eu

Schlechtwetterbote?

Wenn sich ein Halo in einem milchigen, dünnen Schleier aus hochliegenden Wolken zeigt, dann droht etwa einen Tag später schlechtes Wetter: Ausgedehnte Cirruswolken kündigen nämlich häufig den Durchzug einer Warmfront an. Dies ist aber nur bei zunehmend dichten und verbreitet auftretenden Schleierwolken der Fall, da Cirruswolken durchaus auch während einer stabilen Wetterlage durchziehen können.

Halo als Schlechtwetterbot
Ein Halo als Schlechtwetterbote.

Halo ist nicht gleich Halo

Aufgrund der vielfältigen Formen der Eiskristalle gibt es mehr als 50 Haloarten. Je nach Form und Größe sowie Ausrichtung der Kristalle kann man sowohl Ringe, Säulen, Kreise oder Flecken beobachten. Eine Übersicht findet man hier: Haloarten.

Nebensonnen und Zirkumzenitalbogen

Besonders häufig treten Nebensonnen auf, auch Parhelia genannt. Man erkennt sie an hellen, oft auch farbigen länglichen Aufhellungen rechts und/oder links von der Sonne, die an der Innenseite rötlich sind. Auch der Zirkumzenitalbogen gehört zu den häufiger auftretenden Haloerscheinungen. Er tritt als farbenprächtiger Halbkreis in Erscheinung und ist nach unten hin gebogen. Man findet ihn oberhalb der Sonne. Ein Zirkumzenitalbogen kann nur bis zu einer Sonnenhöhe von ungefähr 32° entstehen, am besten ist er bei Sonnenhöhen zwischen 15° und 25° sichtbar.

Nebensonnen am Strand
Nebensonnen bzw. Parhelia.

Von Mittwoch auf Donnerstag v.a. in Niedersachsen regional Sturm

Sturmschäden, Symbolbild - pixabay.com

Tief Telse liegt aktuell über dem Südosten Englands und zieht im Laufe des Mittwochs unter Verstärkung in Richtung Niederlande, wo im Nordwesten in exponierten Lagen am Abend Orkanböen um 120 km/h zu erwarten sind. Im Laufe der Nacht zum Donnerstag zieht der Tiefkern quer über den Norden Niedersachsens und Hamburg hinweg.

Eine ICON-D2-Modellprognose der Radarreflektivität und der Windböen in 3h-Schritten von Mittwochnachmittag bis Donnerstagvormittag (zum Vergrößern auf das Bild klicken).

Regen und Sturm

Nördlich des Tiefkerns regnet es anhaltend und zeitweise kräftig, vor allem im Norden Schleswig-Holsteins sind von Mittwochnachmittag bis Donnerstagmorgen Mengen zwischen 30 und 40 l/m² zu erwarten. Südlich des Tiefkerns kommt dagegen stürmischer Südwest- bis Westwind auf, vor allem in einem Streifen vom südlichen Emsland bis zum Weserbergland und Großraum Hannover sowie im nordöstlichen Harzvorland kündigen sich auch schwere Sturmböen zwischen 80 und 100 km/h an. Auf den Ostfriesischen Inseln und auf Helgoland kommt nach Durchzug des Tiefkerns ebenfalls stürmischer Nordwind mit Böen um 100 km/h auf.

Sturmwarnungen von Mittwoch auf Donnerstag. © www.uwr.de

In der zweiten Nachthälfte zieht das Tief unter Abschwächung über Mecklenburg-Vorpommern hinweg, dabei lebt der Wind auch an der Ostsee sowie in Teilen Thüringens und Sachsen stark mit stürmischen Böen auf. Im Nordwesten des Landes ist dagegen eine rasche Wetterberuhigung in Sicht.

Aktuelle Daten und Analysen zum Mitverfolgen gibt es hier: Aktuelle Wetterdaten.

Tauwetter: Das Zusammenspiel von Temperatur, Luftfeuchtigkeit und Schnee

Altschnee im Frühjahr

Der Abbau einer Schneedecke kann je nach Luftmasse auf unterschiedliche Art ablaufen. Tatsächlich spielen dafür etliche Faktoren eine Rolle, die sich zum Teil ergänzen und verstärken. Dass die Lufttemperatur hier wichtig ist, leuchtet ein. Aber auch die Luftfeuchtigkeit macht einen großen Unterschied bei Dauer und Verlauf der Schneeschmelze.

Wenig Schneeverlust bei Hochdruckeinfluss

Bei winterlichen Hochdrucklagen werden manchmal selbst in mittleren Höhenlagen zweistellige Temperaturen erreicht, dennoch ist der Schneeverlust meist verschwindend gering. Der Grund dafür ist die trockene Luft: Sie verhindert ein rasches Schmelzen bzw. Tauen des Schnees.

Feuchtkugeltemperatur

Ein kombiniertes Maß für Temperatur und Luftfeuchtigkeit stellt die Feuchtkugeltemperatur (auch Feuchttemperatur) dar: Es handelt sich um die Gleichgewichtstemperatur, die sich infolge der Verdunstung an einer feuchten Oberfläche einstellt. Näherungsweise kann man diese Temperatur nach dem Duschen auf der Haut spüren, wenn man nass durch einen trockenen Raum läuft. Ist die Luft mit Wasserdampf gesättigt, so findet keine Verdunstung statt und die Feuchttemperatur entspricht der Lufttemperatur. Die sog. Feuchtkugeltemperatur misst man mit einem Thermometer, das mit einem befeuchteten Stoff- oder Watteüberzug versehen ist und kontinuierlich belüftet wird (Psychrometer). Die Verdungstung benötigt nämlich Energie, weshalb sich das feuchte Thermometer abkühlt – und zwar um so mehr, je trockener die Umgebungsluft ist.

Schematische Darstellung eines Psychrometers; Quelle: wikipedia

Die Temperatur, bei der die Luft zu 100% mit Feuchtigkeit gesättigt ist, nennt man Taupunkttemperatur. Diese ist kleiner oder maximal gleich groß wie die Feuchtkugeltemperatur.

Schnee-Metamorphose

Frisch gefallener Schnee beginn vom ersten Moment an, sich zu verändern. Zuerst passiert das auf molekularer und kristalliner Ebene, später dann auf größeren Skalen. Sind die Temperaturen tief und die Luft trocken, passiert dies langsamer. Je höher die Temperatur und die Luftfeuchtigkeit, umso schneller und effektiver ist dieser Prozess. Grundsätzlich kann man drei Prozesse unterscheiden:

Sublimation

Wenn die Temperatur über 0 Grad liegt und die Luftfeuchtigkeit sehr gering ist, liegen sowohl der Taupunkt als auch die Feuchttemperatur unter 0 Grad. Die Wassermoleküle an der Schneeoberfläche gehen in diesem Fall direkt vom festen in den gasförmigen Zustand über. Aus Schnee wird also unsichtbarer Wasserdampf. Das ist ähnlich zur Verdunstung, nur dass der Schnee nie flüssig wird. Dieser Prozess benötigt viel Energie, nämlich 2945 J/g. Das ist noch mehr als die Verdunstung von flüssigem Wasser (2520 J/g). Grund dafür ist, dass die Wassermoleküle im Eis fester gebunden sind, als an einer Wasseroberfläche. Die Sublimation kühlt die Oberfläche des Schnees, was diesen Prozess langsam und wenig effektiv macht.

Schmelzen

Wenn die Luftmassen noch etwas wärmer wird, dann steigt nach der Temperatur auch die Feuchttemperatur auf positive Werte. Bei geringer Luftfeuchtigkeit kann der Taupunkt aber weiterhin unter null Grad liegen. In diesem Fall wird der Schnee teils in den gasförmigen und teils in den flüssigen Zustand übergehen. Diesen Prozess nennt man in der Meteorologie Schmelzen. Es findet zwar immer noch Sublimation statt, daneben beginnt sich der Schnee aber auch zu verflüssigen. Je höher die Temperatur und je feuchter die Luft, um so mehr nimmt dieser zweite Anteil überhand.

Tauen

Im Falle von milder und feuchter Luft, liegen sowohl die Feuchttemperatur als auch der Taupunkt über 0 Grad. In diesem Fall geht die gesamte Energie in die Umwandlung von der festen in die flüssige Phase. Dieser Prozess kostet wesentlich weniger Energie als die Sublimation und ist somit besonders effektiv. Wenn dazu Wind weht, rinnt der Schnee regelrecht davon.

Wind

Im Laufe einer klaren Nacht strahlt die Schneeoberfläche viel Energie in den Weltraum ab und wird dadurch kälter. Auch das funktioniert umso besser, je trockener die Luft ist (bildet sich dagegen Nebel, kann sich das durch Kondensation und Resublimation auch ins Gegenteil verkehren – denn dabei wird Energie frei). Bei wenig Wind bildet sich unmittelbar über dem Schnee eine dünne stabil geschichtete Luftschicht. Selbst wenn es auch sonst milder wird, der Schnee schützt sich durch dieses kalte Luftpolster selbst. Kommt allerdings Wind auf, wird diese kalte Luftschicht abgetragen und der Schnee ist voll der Umgebungstemperatur ausgesetzt. Wind beschleunigt alle drei der obigen Prozesse.

Regen

Trockener Schnee beinhaltet wenig Wasser und viel Luft, er ist wie eine Art Schwamm. Fällt Regen in den Schnee, beginnt dieses Wasser die Hohlräume zu füllen. Der Schnee saugt sich voll und wird immer schwerer. Solange dieser Regen nicht aus unterkühlten Tropfen besteht, trägt er zum Tauen bei. Wasser hat eine hohe Wärmekapazität, und bei auch nur leicht positiver Temperatur des Regenwassers schmilzt der Schnee. Je nach Menge und Intensität der Niederschläge kann die Kombination aus Regen und Schmelzwasser zu Hochwasserproblemen führen.

In der Nacht auf Samstag in den Nordalpen Schnee, ab Sonntag Tauwetter

Ergiebiger Schneefall

Tief Renate hat am Donnerstagabend von Nordfrankreich über die Schweiz bis in den Westen Österreichs kräftigen Schneefall gebracht, in Vorarlberg kamen recht verbreitet 20 bis 30 bzw. in höheren Lagen auch 40 cm Schnee zusammen. Nur im Walgau blieben die Mengen etwas geringer, da hier milde Luft in der Höhe gepaart mit Föhn zeitweise zu Regen geführt hat. Auch im äußersten Süden hat es zeitweise geschneit, so waren am Freitagmorgen mit Bregenz, Salzburg und Klagenfurt immerhin drei Landeshauptstädte weiß. Graz war zudem angezuckert.

Schnee in den Nordalpen

In der Nacht auf Samstag führt ein Randtief über der Ostsee einen weiteren Schwall an feuchter Luft in Richtung Alpen, welcher sich mit einer nordwestlichen Strömung an der Alpennordseite vorübergehend staut. Damit fällt von Vorarlberg bis in die nördliche Obersteiermark zeitweise Schnee, einzelne Schneeschauer sind im Laufe der zweiten Nachthälfte aber auch im Donauraum möglich. In Summe kommen recht verbreitet 5 bis 15 cm Schnee zusammen, in höheren Staulagen mitunter auch um 20 cm.

24h-Neuschneeprognose.

Tauwetter in Sicht

Im Laufe des Wochenendes kommt es über dem Nordatlantik zu einer ausgeprägten Tiefdruckentwicklung, welche in Mitteleuropa zu einer Umstellung der Großwetterlage führt. Die Höhenströmung dreht von Nordwest auf Südwest, somit wird die eingeflossene Kaltluft aus arktischen Breiten von feuchtwarmen Luftmassen subtropischen Ursprungs abgelöst.

Die Herkunft der Luft in Mitteeuropa am Freitag und am Sonntag. © www.wetter3.de

Die Nullgradgrenze steigt von tiefen Lagen am Sonntag auf über 3000 m Höhe an, am Montag kratzen wir sogar an der 4000-m-Marke! Der Temperaturanstieg macht sich auf den Bergen und in höheren Tallagen im Westen direkt bemerkbar, sonst hält sich zunächst noch kühle Luft in den Niederungen.

Die Nullgradgrenze steigt von Freitag bis Montag sehr stark an.

Das Wetter am Wochenende

Am Samstag ziehen an der Alpennordseite in der Früh ein paar Schneeschauer durch, im Salzkammergut kommen damit noch ein paar Zentimeter Neuschnee zusammen. Am Vormittag klingen die Schauer rasch ab und die Sonne lässt sich blicken, im Westen zeigen sich am Nachmittag wieder einige Wolken. Generell trocken und häufig sonnig verläuft der Tag im Süden. Der Wind weht im Norden und Osten bis Mittag noch kräftig bis stürmisch aus westlichen Richtungen und lässt dann nach. Maximal werden -1 bis +7 Grad erreicht.

Tief SIGRID zieht über dem Atlantik auf.

Der Sonntag beginnt an der Alpennordseite bewölkt, von Südwesten her lockert es im Tagesverlauf auf und im Süden scheint abseits lokaler Nebelfelder häufig die Sonne. Meist bleibt es trocken, nur ganz im Norden fällt in der Früh vorübergehend ein wenig Regen, vor allem im Wald- und Weinviertel besteht mitunter auch Glättegefahr durch leichten gefrierenden Regen.

Potential für Glättegefahr am Sonntagmorgen.

Der Wind dreht am Sonntag auf südliche Richtungen, spielt in den Niederungen aber kaum eine Rolle. Im Bergland wird es in manchen Tallagen leicht föhnig. Die Temperaturen liegen meist zwischen 2 und 10 Grad, in schattigen Tälern aber stellenweise um 0 Grad bzw. in leicht föhnigen Hanglagen bei 13 Grad.

Prognose der Höchstwerte am Sonntag (zum Vergrößern auf das Bild klicken).

Erhöhte PM10-Feinstaubbelastung durch Inversionswetterlage

Feinstaub besteht aus mikroskopisch kleinen Partikeln, die in der Luft schweben und nicht zu Boden sinken. Sie sind meist nicht mit bloßem Auge wahrzunehmen, außer bei außergewöhnlich intensiven Ereignissen, wie etwa bei markanten Saharastaubereignissen. Je nach Größe der Partikel kann man unterschiedliche Kategorisierungen machen:

  • PM10: Schwebestoffe mit einem Durchmesser <10 µm (*)
  • PM2,5: Schwebestoffe mit einem Durchmesser <2,5 µm (*)
  • Ultrafeinstaub: Schwebstoffe mit einem Durchmesser <0,1 μm

*(Bei PM10 wird eine Gewichtung angewendet: Partikel mit einem aerodynamischen Durchmesser von < 1 µm werden vollständig einbezogen, bei größeren Partikeln wird ein gewisser Prozentsatz gewertet, der mit zunehmender Partikelgröße abnimmt und bei ca. 15 µm schließlich 0 % erreicht. Bei PM2.5: Partikel mit einem aerodynamischen Durchmesser von < 0,5 µm werden vollständig einbezogen, bei größeren Partikeln wird ein gewisser Prozentsatz gewertet, der mit zunehmender Partikelgröße abnimmt und bei ca. 3,5 µm schließlich 0 % erreicht.

Je kleiner die Partikel sind, desto tiefer gelangen diese in den Atemtrakt. Grober Feinstaub wird meist bereits in der Nase abgefangen, während feinere Partikel tiefer in die Lungen vordringen können. Ultrafeine Partikel können von der Lunge sogar ins Blut oder in das Lymphsystem gelangen.

Feinstaubquellen

Feinstaub kann natürlichen Ursprungs sein oder durch menschliches Handeln erzeugt werden. Natürliche Quellen sind z.B. Emissionen aus Vulkanen, die Bodenerosion (Saharastaub) sowie auch Wald- und Buschfeuer. Wichtige vom Menschen verursachte Feinstaubquellen sind u.a. Verbrennungsprozesse: Kraftfahrzeuge, Kraft- und Fernheizwerke, Abfallverbrennungsanlagen, Öfen und Heizungen in Wohnhäusern sowie bestimmte Industrieprozesse. Ballungsräume mit viel Verkehr und Industrie sind besonders stark betroffen.

Aktuelle Entwicklung und Grenzwerte

In den vergangenen Tagen haben manche Stationen in Österreich wie etwa in Wien, St. Pölten, Graz und Linz Tagesmittelwerte der PM10-Konzentration zwischen 50 und 70 µg/m³ gemessen, lokal kam es auch zu kurzzeitigen Peaks von knapp über 100 µg/m³. Regional wurde somit der Grenzwert von 50 µg/m³ im Tagesmittel überschritten, weshalb manche Smartphone-Apps Alarm geschlagen haben. Verantwortlich dafür war in erster Linie die festgefahrene Inversionswetterlage mit wenig Luftaustausch, der Feinstaub hat sich somit Tag für Tag in der Luft angesammelt. Das ist im Winterhalbjahr nicht unüblich, in den vergangenen Jahren wurde der Grenzwert aber nur selten überschritten, zudem haben die Apps meist noch keine Warnungen erstellt.

Feinstaubkonzentrationen in Wien in den vergangenen zwei Wochen. Daten: Umweltbundesamt

Zu Wochenbeginn hat sich die Lage etwas verbessert, so wird der Grenzwert derzeit an keiner Messstelle überschritten. Verantwortlich für die leichte Abnahme der Feinstaubkonzentrationen war in erster Linie ein meteorologischer Faktor, so ist die Höhe der Temperaturinversion etwas angestiegen, weshalb sich der Feinstaub auf ein größeres Luftvolumen verteilen konnte. Die höchsten Konzentrationen von knapp unter  50 µg/m³ werden derzeit in Graz verzeichnet, gefolgt von Innsbruck mit knapp 40 µg/m³. In Linz und Wien ist sie dagegen auf etwa 20-25 µg/m³ zurückgegangen. Aktuelle Daten gibt es hier.

Die Temperaturinversion in Wien ist seit dem Wochenende von tiefen Lagen gegen etwa 1000 m angesteigen (Wetteraballonmessung).
Entsprechend zur Temperaturinversion ist auch die Nebelobergrenze angestiegen.

Im Laufe der zweiten Wochenhälfte ist regional eine weitere Abnahme der Feinstaubbelastung zu erwarten, so deuten die Modelle ab Donnerstag auf auffrischenden Westwind im Donauraum hin. Windgeschützte Beckenlagen wie das Grazer und Klagenfurter Becken sind davon aber kaum beeinflusst, hier bleiben die Feinstaubkonzentrationen erhöht.

Peaks im Jahr 2024

Kurzzeitig wurden heuer schon deutlich höhere Konzentrationen an Feinstaub als aktuell verzeichnet. Wie üblich haben die gezündeten Feuerwerke zu Neujahr zu teils sehr hohen Konzentrationen an PM10 geführt. Etwa in Wien gab es zu Neujahr lokale Peaks um 600 µg/m³ (der Tagesmittelwert lag bei 80 µg/m³). Auch Saharastaub hat bereits zu sehr hohen Konzentrationen geführt, so kam es Ende März bei Föhn in den Nordalpen etwa in Feldkirch und Salzburg zu Peaks um 450 µg/m³. Allgemein noch extremere Werte sind in unmittelbarer Nähe von Waldbränden möglich, dann kann es zu Konzentrationen deutlich >1000 µg/m³ kommen.

Trend: Luft wird sauberer

In den vergangenen Jahrzehnten hat sich die Luftqualität verbessert und der gesetzliche PM10-Grenzwert von 40 µg/m³ im Jahresmittel wurde problemlos eingehalten. Etwa in Wien lag der gemessene Feinstaub-Jahresmittelwert im Jahr 2023 zwischen 12 und 16 µg/m³. Auch das Grenzwertkriterium nach IG-L von maximal 25 Tagen mit über 50 µg/m³ Tagesmittelwert wurde an keiner Messstelle erreicht. Die meisten Tagesmittelwerte über 50 µg/m³ für PM10 wurden lokal in Graz (11 Tage), Wiener Neudorf (8) und Klagenfurt (5) verzeichnet.

Die Entwicklung der PM10-Jahresmittelwerte in Wien. © Stadt Wien

Ursachen für die abnehmende Feinstaubbelastung sind einerseits meteorologische Faktoren (Abnahme von Inversionswetterlagen und kürzere Heizperiode), andererseits auch der Rückgang der Emissionen von PM10.

Die Entwicklung der PM10-Überschreitungstage in Wien. © Stadt Wien

Auswirkungen auf die Gesundheit

Feinstaubpartikel lösen Entzündungen und Stress in menschlichen Zellen aus. Wenn dies über einen längeren Zeitraum anhält, kann es zu Erkrankungen führen. Es kann dabei langfristig zu Auswirkungen auf Atemwege, Herz-Kreislaufsystem, Stoffwechsel und Nervensystem kommen. Eine kurzfristige hohe Belastung kann zu Bluthochdruck und Herzrhythmusvariabilität bzw. Herz-Kreislauferkrankungen führen. Besonders belastend ist Feinstaub für Kinder, Menschen mit vorgeschädigten Atemwegen (z.B. Asthma) und ältere Personen. Bei hohen Konzentrationen sollte man also folgende Tipps beachten:

  • Anstrengenden Tätigkeiten vermeiden (z.B. Sport)
  • FFP2-Maske tragen
  • Stark befahrene Straßen und Industriegebiete wenn möglich meiden

Weitere Tipps kann man hier finden.

Neue Woche verläuft kühl und im Flachland oft trüb

Österreich liegt seit mehreren Wochen unter Hochdruckeinfluss, was in den Niederungen zu einer beständigen Inversionswetterlage geführt hat. Seit dem 25. Oktober gab es nahezu keinen Niederschlag mehr, entsprechend schneearm präsentieren sich derzeit auch unsere Berge. Die neue Woche bringt nur wenig Änderungen: Die Temperaturen gehen zwar etwas zurück, allerdings setzt sich das trockene Wetter zunächst fort. Ab Mittwoch herrschen dann erhöhte Unsicherheiten, je nach Zugbahn eines weiteren Höhentiefs.

Zwei Höhentiefs ziehen zu Wochenbeginn an Österreich vorbei, ein drittes folgt aus Norden in der zweiten Wochenhälfte.

Nebel und Hochnebel werden kommende Woche auch im Osten zäher und die Sonne kommt im Flachland nur noch selten zum Vorschein. Die Feinstaubbelastung in den Niederungen verbleibt zudem regional um bzw. über dem Grenzwert gemäß Immissionsschutzgesetz.

Derzeitige Feinstaubbelastung. Daten: Umweltbundesamt
Die Feinstaubbelastung ist derzeit regional hoch. Daten: Umweltbundesamt

Zu Wochenbeginn Nebel und Sonne

Der Montag startet in den Niederungen häufig trüb durch Nebel und Hochnebel, auf den Bergen dagegen sonnig. Im Tagesverlauf lichten sich die Nebelfelder nur teilweise, von Nordwesten her ziehen am Nachmittag auch darüber immer mehr Wolken durch. Bis zum Abend bleibt es noch trocken, in der Nacht setzt dann in Vorarlberg Regen ein. Die Höchstwerte liegen zwischen 3 Grad im Mühlviertel und 11 Grad im Oberinntal.

Prognose von Nebel (blau mit Schraffur) bzw. Hochnebel (blau) am Montagvormittag von ICON-D2.

Etwas Regen im Westen

Am Dienstag streift uns ein Tief über Westeuropa, welches von der Nordsee nach Spanien zieht. Damit stellt sich auch in den höheren Lagen des Westens meist trübes Spätherbstwetter ein. In Vorarlberg und Teilen Nordtirols fällt besonders in der ersten Tageshälfte zeitweise etwas Regen bzw. oberhalb von 1000 bis 1300 m Schnee, die Mengen bleiben aber gering. Weiter östlich bzw. südlich bleibt es meist trocken und inneralpin beginnt es bald wieder aufzulockern, besonders von Osttirol bis ins Obere Murtal lässt sich die Sonne blicken. Die Höchstwerte liegen zwischen 3 und 10 Grad.

Da Tief zieht weiter westlich durch als ursprünglich berechnet, entsprechend wurden auch die Neuschneemengen auf den Bergen im Westen reduziert.

Zur Wochenmitte etwas kühler

Am Mittwoch nehmen die Unsicherheiten zu. Im Flachland verläuft der Tag verbreitet trüb durch hochnebelartige Wolken, bis auf lokalen Nieselregen bleibt es aber meist trocken. In den Alpen und im Mühlviertel lässt sich hingegen zunächst zeitweise die Sonne blicken, später ziehen Wolken auf. Die Temperaturen kommen nicht mehr über 1 bis 8 Grad hinaus, im Flachland liegen die Höchstwerte meist nur noch bei 5 Grad. Am Donnerstag ist an der Alpennordseite und in den südlichen Becken mit dichten Wolken zu rechnen, mitunter fällt im Norden auch etwas Regen. Mit 0 bis +8 Grad bleiben die Temperaturen gedämpft.

Prognose der Höchstwerte am Mittwoch.

Am Wochenende im Westen milder

Am Freitag kommt die Sonne im Osten wieder etwas häufiger zum Vorschein, sonst gibt es wenig Änderungen. Auch am kommenden Wochenende setzt sich die Inversionswetterlage mit Nebel und Sonne zunächst noch fort, zudem steigen die Temperaturen vor allem in mittleren Höhenlagen im Westen etwas an. Ab Sonntagnacht ist dann eine Umstellung der Großwetterlage möglich.

Aufgrund der Inversionswetterlage war der November auf den Bergen bislang deutlich wärmer als üblich, in den Niederungen dagegen etwas kühler.

Zeitumstellung: Ab Sonntag Normalzeit gültig

Zeitumstellung: Ab Sonntag Normalzeit gültig

Die Umstellung der Uhren erfolgt in der Nacht von Samstag auf Sonntag. Die Uhren werden um 03:00 Uhr eine Stunde zurückgestellt. Daraus folgt, dass ihr eine Stunde länger schlafen könnt. Generell sollte das Aufstehen somit leichter fallen, denn am Morgen ist es bei Normalzeit heller als bisher. Dafür wird es am Abend deutlich früher dunkel.

Zeitumstellung in Mitteleuropa seit 1980

Versuche die Uhrzeit im Sommer und Winter an den Sonnenstand anzupassen gab es schon vor 1980. Doch erst 1980 gab es einen Konsens. Die Zeitänderungen im mitteleuropäischen Raum wurden somit nachhaltig festgelegt. Das Resultat: Seit 6. April 1980 wird zwischen 2:00 Uhr und 3:00 Uhr morgens zweimal jährlich an Europas Uhren gedreht. Wirklich gedreht wird allerdings nur mehr an sehr wenigen Uhren. Elektronische Geräte stellen ihre Uhren oftmals automatisch um oder bekommen die korrekte Uhrzeit über das Internet.

Zeitumstellung in der Nacht

Die Ursachen für die Umstellung während der Nachtstunden sind das geringere Verkehrsaufkommen (vor allem Fahrpläne öffentlicher Verkehrsmittel) und die geringe wirtschaftliche Aktivität, die zu dieser Tageszeit herrschen. Erst seit 1996 erfolgt die Zeitumstellung am letzten März- und letzten Oktoberwochenende.

Straße in der Nacht ©picjumbo.com - https://picjumbo.com/night-car-lights-on-the-road/
Die Uhr wird in der Nacht umgestellt, da das Verkehrsaufkommen gering ist und es kaum wirtschaftliche Aktivität gibt. ©picjumbo.com

Auswirkungen der Zeitumstellung

Im Gegensatz zur Zeitumstellung im März (eine Stunde weniger Schlaf) bringt die Umstellung auf die Normalzeit im Oktober wenig Probleme mit sich. Der ursprüngliche Sinn hinter der Zeitumstellung war das Sparen von Energie. Im Sommer ist es durch die Umstellung länger hell, der Verbrauch von Strom für Beleuchtung ist also geringer. Durch die Umstellung auf Normalzeit wird im Herbst mehr Energie für das Heizen von Wohnungen und Büros benötigt. Ob man in Summe also tatsächlich Energie spart, ist umstritten.

Titelbild © Adobe Stock

Herbst und Frühjahr bringen oft Föhn in den Alpen

Föhn in den Bergen.

Im Allgemeinen ist Föhn ein Wind, der auf der Leeseite von Gebirgen durch Absinken wärmer und relativ trockener wird. Wenn Gebirgsketten der Luftströmung  im Weg stehen, kann Luft auf der windabgewandten Seite des Gebirges (im Lee) bei bestimmten Bedingungen als trockener Wind in die Täler durchgreifen. In Europa sind es die über weite Strecken West-Ost verlaufenden Alpen, die namensgebend für dieses Phänomen sind, das sich je nach Anströmung meist als Süd- oder Nordföhn äußert. Es gibt aber durchaus auch Westföhn, wie etwa am Alpennordrand, im Inntal oder auch im Wiener Becken.

Hochreichender Föhn

Die bekannteste Form ist der Südföhn, wenn Luft von Italien über die Alpen nordwärts strömt. Typisch dafür ist die Annäherung eines kräftigen Tiefs über Westeuropa. An dessen Vorderseite baut sich über dem Alpenraum eine straffe Südwestströmung auf. Der Luftdruckunterschied zwischen Alpensüd- und Alpennordseite setzt die Föhnströmung in Gang. Bei der klassischen Föhntheorie („Schweizer Föhn„), kühlt die Luft beim Aufsteigen an der Alpensüdseite ab, wobei es vielfach zur Kondensation und oft auch zur Niederschlagsbildung kommt. Auf der anderen Seite des Gebirgskamms rauscht die Luft dann als turbulenter Fallwind talwärts, wobei sich diese, ihrer Feuchtigkeit mittlerweile entledigt, schneller erwärmen kann, als sie sich zuvor abgekühlt hat. So kommt es dass die Luft bei gleicher Höhenlage an der Alpennordseite deutlich wärmer als an der Alpensüdseite ist.

Der „Schweizer“ Föhn. © Roland Stull; Univ. of British Columbia

Seichter Föhn

Wolken und Niederschlag im Luv der Berge sind aber keine Voraussetzung, so kommt es immer wieder zu Föhn, obwohl der Himmel auf beiden Seiten der Alpen nahezu wolkenlos ist. Sehr häufig trennen die Alpen nämlich unterschiedliche Luftmassen: In solchen Fällen kann die kühlere Luft durch die Einschnitte des Alpenhauptkamms hindurchfließen, wie etwa im Bereich des Brenners, und dann wasserfallartig  in die Täler strömen, wobei sie durch Kompression abgetrocknet bzw. erwärmt wird (u.a.. wird auch der Begriff  „Österreichischer Föhn“ herangezogen). Diese Föhnluft steigt zuvor nicht am Südhang der Alpen auf, sondern befindet sich in mittleren Höhenniveaus über den mit Kaltluft gefüllten Tälern südlich des Alpenhauptkamms.

Der „österreichische“ Föhn. © Roland Stull; Univ. of British Columbia

Beide Föhntypen können überall auftreten, es handelt sich keineswegs um geographisch begrenzte Varianten, so gibt es durchaus auch in Österreich Föhnlagen mit starkem Niederschlag in den Südalpen. Der Begriff „Österreichischer Föhn“ stammt aus Innsbruck, da es hier besonders häufig föhnig ist, auch wenn in Südtirol mitunter noch die Sonne scheint.

Trajektorien der Luft bei Südföhn im Linth- (oben), Rhein- (Mitte) und Wipptal (unten) bei verschiedenen Luftmassen (links = warm, mittig = mild, rechts = kühl) - Jansing, L. & Sprenger, M.(2022) Thermodynamics and airstreams of a south foehn event in different Alpine valleys. Quarterly Journal of the Royal Meteorological Society, 148( 746), 2063– 2085. Available from: https://doi.org/10.1002/qj.4285
Trajektorien der Luft bei Südföhn im Linth- (oben), Rhein- (Mitte) und Wipptal (unten) bei verschiedenen Luftmassen (links = warm, mittig = mild, rechts = kühl) – Jansing, L. & Sprenger, M.(2022) Thermodynamics and airstreams of a south foehn event in different Alpine valleys. Quarterly Journal of the Royal Meteorological Society, 148( 746), 2063– 2085. Available from: https://doi.org/10.1002/qj.4285

Frühjahr und Herbst

Speziell im Winter steigt die Wahrscheinlichkeit für zähe Kaltluftseen in den tieferen Tallagen deutlich an. Dann kommt es bei schwach ausgeprägten Luftdruckunterschieden vor, dass sich der Föhn nicht gegen die kalte Talluft durchsetzen kann und sich auf die Hochtäler beschränkt. Gut zu sehen ist dieses winterliche Minimum auch im folgenden Bild, es zeigt die Häufigkeit für Südföhn in Innsbruck im Laufe eines Jahres: Die „föhnigste“ Jahreszeit ist demnach der Frühling (der hohe Sonnenstand begünstigt den Föhndurchbruch), ein zweites Maximum gibt es im Oktober. Im Sommer sind die Druckgegensätze und die Höhenströmung dagegen meist nur schwach ausgeprägt.

Boxplot der monatlichen Anzahl von Föhntagen in Innsbruck. © A. Ortner / Uni Innsbruck

Des einen Freud, des anderen Leid

Im Gegensatz zur Luv-Seite, wo der Himmel oft bewölkt ist und zum Teil auch der feuchte und kühle Wettercharakter dominiert, bewirkt Föhn als trockener Wind im Lee oft freundliche Wetterbedingungen. Dabei zeigt sich der Himmel häufig wolkenarm und somit kommen in den Bergen Sonnenhungrige auf ihre Rechnung. Im östlichen Flachland kommt es bei leicht föhnigem Wetter dagegen besonders häufig zu zähem Nebel. Der Föhn kann in Sachen Windstärke allerdings Probleme bereiten und örtlich durchaus auch für Sturmschäden verantwortlich sein. Überdies ist der Föhn bei manchen Menschen in Verruf geraten, denn er steht in Verdacht, den Organismus zu beeinflussen. Empfindliche Menschen leiden bei Föhn unter Nervosität, Schlafstörungen, Konzentrationsschwierigkeiten, innerer Unruhe und mitunter auch unter Kreislaufbeschwerden. Weiters kann die südliche Höhenströmung auch Saharastaub im Gepäck haben, weshalb die Luft bei Föhnlagen manchmal diesig erscheint und die Fernsicht eingeschränkt ist.

Foto: jan.remund auf visualhunt.com

Neue Woche verläuft zweigeteilt, in den Nordalpen ab Mittwoch föhnig

Bunter Herbst

Unter dem Einfluss einer westlichen Höhenströmung bestimmen derzeit atlantische Tiefausläufer das Wetter in Mitteleuropa. Zu Wochenbeginn setzt sich das wechselhafte Wetter zunächst fort, zur Wochenmitte stellt sich die Wetterlage aber um: Wir gelangen in eine südliche Strömung und an der Alpennordseite wird es leicht föhnig. Im Westen und Norden steigen die Temperaturen spürbar an, im Süden und Südosten staut sich dagegen feuchte Luft und es stellt sich überwiegend trübes Wetter ein.

Zur Wochenmitte stellt sich in den Nordalpen eine föhnige Südströmung ein.

Am Montag im Nordosten anfangs sonnig

Der Montag bringt von Unterkärnten bis ins Südburgenland zähen Hochnebel, der tagsüber nur stellenweise auflockert. An der Alpennordseite und im Nordosten scheint zunächst häufig die Sonne, lokale Frühnebelfelder am Alpenrand lichten sich rasch. Tagsüber ziehen im Westen jedoch Wolken auf und am Nachmittag breiten sich von Vorarlberg bis Oberösterreich Regenschauer aus. Dazu gibt es 12 bis 18 Grad.

Am Montagnachmittag fällt zunächst im Westen ein wenig Regen, ab dem Abend ziehen auch im Norden Schauer durch.

Am Dienstag im Süden und Westen sonnig

Der Dienstag beginnt vom Kaiserwinkl bis ins östliche Flachland bewölkt und am Alpenostrand fällt stellenweise auch ein wenig Regen. Tagsüber setzt sich im Süden und Westen häufig die Sonne durch, im Norden und Osten lockern die Wolken dagegen erst ab dem Nachmittag stellenweise auf. Die Höchstwerte liegen zwischen 12 und 21 Grad.

Föhn bringt goldenen Oktober im Norden

Der Mittwoch und der Donnerstag verlaufen von Unterkärnten bis ins Südburgenland trüb durch hochnebelartige Wolken, an der Alpennordseite scheint bei nur harmlosen Wolken hingegen häufig die Sonne. Am Donnerstag werden die Wolken im Westen und Südwesten etwas dichter und in Osttirol und Oberkärnten fällt stellenweise etwas Regen. Der Wind frischt vor allem in Niederösterreich lebhaft bis kräftig aus Südost auf, am Alpenhauptkamm wird es leicht föhnig. Die Temperaturen steigen deutlich an: Von Vorarlberg bis ins westliche Mostviertel erreichen die Höchstwerte 17 bis 22 Grad, in den Nordalpen wird es mit Föhn mancherorts sogar spätsommerlich warm mit bis zu 25 Grad. Im Süden und Osten bleibt es kühler, hier liegen die Temperaturen meist zwischen 11 und 17 Grad.

Prognose der Höchstwerte am Mittwoch.

Neuerlich unbeständig

Am Freitag setzt sich das trübe Wetter im Süden fort, aber auch im Osten stellt sich leicht unbeständiges Wetter mit ein paar Schauern ein. An der Alpennordseite lässt der Föhneinfluss nach und im Tagesverlauf ziehen zeitweise ausgedehnte Wolkenfelder durch. Die Temperaturen gegen leicht zurück, im Norden bleibt es aber mild für die Jahreszeit. Das Wochenende gestaltet sich tendenziell unbeständig und etwas kühler.

In Wien bewegen sich die Temperaturen im Bereich des langjährigen Mittels.

Schwerer Sonnensturm sorgte für Polarlichter bis Kuba: Die besten Bilder

Polarlichter 2024

Ein schwerer Sonnensturm hat am Donnerstagabend die Erde getroffen. Auf der amerikanischen G-Skala wurde die Stufe 4 von 5 erreicht und der Dst-Index hat bis zu -355 nT erreicht. Damit war es der bislang zweitstärkste Sonnensturm im aktuellen Sonnenzyklus, nur der G5-Sturm am 10.-11. Mai 2024 war noch stärker (mit Dst bei -412 nT; weitere Infos dazu gibt es hier: Vom Sonnenwind zum Sonnensturm). Auch dieser Sonnensturm hat aber bis in mittleren Breiten für ausgeprägte Polarlichter gesorgt. Hierzulande gab es die besten Wetterbedingungen für eine Beobachtung  in Osttirol und Teilen Oberkärntens, sonst haben Wolken die Sicht oder eingeschränkt oder gänzlich verhindert. Zumindest ein paar Auflockerungen gab es aber auch an der Alpennordseite und im Osten, so konnte das Naturschauspiel zumindest örtlich in jedem Bundesland beobachtet werden.

Österreich

Norwegen

Deutschland

Niederlande

Slowenien

Slowakei

Italien

Spanien / Gran Canaria

Griechenland

Kanada

Illinois / USA

Texas / USA

Mexiko

Kuba


Anbei noch eine Animation der Sonneneruption, welche zu diesem Sonnensturm geführt hat. Es handelte sich um einen koronalen Massenauswurf im Zusammenspiel mit einem X1.8-Flare auf der Sonne in der Nacht auf Mittwoch.


Es ist kein Zufall, dass es heuer vermehrt zu Sonnenstürmen auf der Erde kommt. Etwa alle 11 Jahre weist die Sonne ein Maximum an Sonnenflecken auf. Der aktuelle Sonnenzyklus hat im Dezember 2019 begonnen, derzeit befinden wir uns im aktivsten Abschnitt, der voraussichtlich noch bis inkl. kommenden Winter andauern wird. In dieser Zeit kommt es immer wieder zu Phasen mit sehr hoher Sonnenaktivität und damit auch zu Sonnenstürmen.

Der Sonnensturm ist aktuell noch im Gange, die Intensität lässt tendenziell aber langsam nach. Kommende Nacht sollte der Sonnensturm laut SWPC langsam auf G2 bis G1 zurückgehen. Entsprechend lassen die Chancen für Polarlichter in mittleren Breiten nach, zumindest vorübergehend kann man weitere Sichtungen derzeit aber auch nicht ausschließen.

Hurrikan Helene brachte im Südosten der USA teils 1000-jährliches Hochwasser

Hurrikan Helene ist am vergangenen Donnerstagabend als Hurrikan der Kategorie 4 mit Windgeschwindigkeiten knapp über 200 km/h etwa 15 km südwestlich der Stadt Perry auf die Westküste Floridas getroffen. Helene war der stärkste jemals aufgezeichnete Hurrikan, der in der Big Bend-Region Floridas auf Land traf, noch stärker als Idalia, der im Vorjahr als Hurrikan der Kategorie 3 in unmittelbarer Nähe durchzog.

Schwere Sturmflut

An der Westküste Floridas nördlich der Tampa Bay kam es zu einer extremen Sturmflut, etwa in Cedar Key wurde mit einer geschätzten Überflutungshöhe  von etwa 3 Metern auch die Rekordflut aus dem Jahre 1896 übertroffen. Im Zusammenspiel mit dem Wind in Orkanstärke kam es zu schwersten Schäden, aufgrund der frühzeitigen Warnungen bzw. Evakuierungen blieb die Opferzahl in diesem Gebiet aber vergleichsweise gering.

Extreme Regenmengen

Beim Landfall in Florida wies Hurrikan Helene eine ausgeprägte nordwärtsgerichtete Verlagerung auf und bereits im Vorfeld kam es im Bereich der südlichen Appalachen zu großen Regenmengen. Dieses Phänomen ist nicht unbekannt und wird auch „predecessor rain event“ genannt, vergleichbar in etwa zu einer Südstaulage/Gegenstromlage im Vorfeld eines Mittelmeertiefs. In den Appalachen im Westen der Carolinas, in Georgia sowie im Osten Tennessees wurde die extrem feuchte, tropische Luft  zusätzlich gestaut, ähnlich wie wir es im Alpenraum etwa bei Vb-Tiefs kennen. Im Kerngebiet wurden vielerorts extreme Mengen um 500 l/m² mit Spitzen im Bergland bis knapp 800 l/m² in weniger als drei Tagen gemessen.

Die Regensummen in Zoll ( 10 inch = 254 mm; 30 inch = 762 mm).

Katastrophales Hochwasser

Diese enormen Wassermassen haben zu Struzfluten, Erdrutschen sowie einer extremen Hochwasserlage geführt. Teilweise wurden in den Appalachen ganze Tallagen geflutet, weshalb Straßen, Brücken und mitunter auch ganze Ortschaften vom Wasser zerstört wurden. Die Wasserstände der Flüsse in Teilen des westlichen North Carolina haben Rekorde gebrochen, die seit der „Großen Flut“ vom Juli 1916 Bestand hatten. In Summe wurden im Südosten der USA bereits mehr als 100 Todesopfer gezählt, davon allein 65 allein in den Carolinas, die Zahl wird aber weiter steigen.

Sturm und Tornados

Auch abseits der Küsten wurden regional Windböen in Orkanstärke gemessen, weshalb es  zu unzähligen umgestürzten Bäumen bzw. Stromausfällen kam. Windspitzen von 140 bis 160 km/h wurden an mehreren Orten in Florida sowie im Süden von Georgia gemessen, weiter nördlich etwa in der Umgebung von Augusta (Georgia) wurden Böen bis 130 km/h bzw. bei Anderson (South Carolina) 113 km/h gemessen. In den äußeren Regenbändern des aufziehenden Hurrikans kam es zudem von Georgia bis in den Westen Virginias auch zu mehreren eingelagerten Tornados. Einer der schadenträchtigsten Tornados mit der Stärke EF3 traf den Ort Rocky Mount in North Carolina.

Klarer Einfluss des Klimawandels

Auch bei diesem Ereignis hat der Klimawandel zweifellos eine große Rolle gespielt: Einerseits haben die stark überdurchschnittlichen Wassertemperaturen im Golf von Mexiko eine rapide Intensivierung des Hurrikans ermöglicht, andererseits gelangten bereits vor Ankunft von Helene überdurchschnittlich feuchte Luftmassen zu den Appalachen (generell erwartet man durch den Klimawandel nicht mehr, aber dafür stärkere bzw. sich rascher verstärkende Wirbelstürme). Die Jährlichkeit dieses Ereignisses lag regional zwischen 200 und 1000 Jahren, örtlich aber auch über 1000 Jahren. Es gibt also durchaus gewisse Parallelen zum Hochwasser im September in Niederösterreich, Tschechien und Polen. Das Zusammenspiel von mehreren Faktoren führt vor allem am Ende des Sommers immer häufiger zu extremen Regenereignissen:

  • überdurchschnittliche Wassertemperaturen (Adria, Schwarzes Meer, Golf von Mexiko…)
  • Staueffekte an Bergen (Alpen, Altvatergebirge, Appalachen…)
  • Markante Tiefdruckgebiete (Hurrikane, Italientiefs, Vb-Tiefs…)

Freilich ist der Auslöser bzw. die Ausgangslage im Südosten der USA eine andere als im Mittelmeerraum (tropisches vs. außertropisches Klima), weshalb die Dimensionen des Ereignisses dort noch extremer waren. Die physikalischen Prozesse im Bereich der Appalachen sind aber die gleichen. Weitere Infos zu dieser Thematik gibt es hier: Klimawandel und Starkregen.

Herbst: Unwettersaison durch Regen und Gewitter am Mittelmeer

Im Herbst gehen im Mittelmeer kräftige Gewitter nieder

Während die Gewittersaison in Mitteleuropa vor allem von Mai bis  August ihren Höhepunkt erlebt, verlagert sich der Schwerpunkt der Gewittertätigkeit in den Herbstmonaten immer weiter südwärts.

Zunehmender Tiefdruckeinfluss

Im Sommer liegt der Mittelmeerraum häufig unter dem Einfluss des subtropischen Hochdruckgürtels, welches für trockene und heiße Wetterbedingungen sorgt. Im Herbst verlagert sich die Westwindzone im Mittel aber langsam südwärts und die Ausläufer des subtropischen Hochdruckgürtels werden nach Nordafrika abgedrängt. Hohe Wassertemperaturen und Tiefdruckeinfluss sorgen für eine labile Luftschichtung, weshalb im Mittelmeerraum der Hebst bzw. regional auch der Winter die nasseste Zeit des Jahres darstellen.

Im Herbst fällt der meiste Niederschlag in Dubrovnik
In Dubrovnik fällt besonders im November und Dezember viel Regen.

Labile Luftschichtung

Der zunehmende Tiefdruckeinfluss und die ersten Kaltluftvorstoße aus Nordeuropa führen in Zusammenspiel mit den noch hohen Wassertemperaturen zu einer labilen Schichtung der Luft. In der folgenden Graphik sieht man die mittlere, potentiell verfügbare Energie für vertikale Luftmassenbewegung (MLCAPE), welche ein wichtiges Maß für Gewitter darstellt. Während das Meer im Frühsommer stabilisierend wirkt, sorgt es im Herbst häufig für eine labile Luftschichtung.

Im Herbst ist die Luftschichtung im Mittelmeer labil.
Mittlere, potentiell verfügbare Energie für Konvektion im Juni und September. © Tilev-Tanriöver

Unwettersaison

Im nördlichen Mittelmeerraum erreicht die Gewittersaison im Spätsommer und zu Herbstbeginn ihren Höhepunkt, im zentralen Mittelmeer im Laufe des Herbsts und im äußersten Süden und Osten erst im Winter. Dies spiegelt sich auch in den Ergebnissen diverser Studien wieder.

 

Das mittlere Potential für großen Hagel im Juni und September. © Kahraman et al.; 2024
Blitzhäufigkeit pro Jahreszeit. © Taszarek et al.; 2020

Mildes Mittelmeer

Die Wassertemperaturen im Mittelmeer nehmen im Zuge der globalen Erwärmung langsam zu, so gab es auch heuer im Juli und August zum Teil deutlich überdurchschnittliche Wassertemperaturen. Auch im langjährigen Trend seit 1982 kann man ein Zunahme der mittleren Wassertemperaturen beobachten, was für die angrenzenden Länder eine Gefahr darstellt. Die Unwettersaison wird nämlich tendenziell länger und intensiver, denn je wärmer das Wasser im Herbst ist, desto mehr Energie steht für Unwetter zur Verfügung.

Mittlere Wassertemperaturen im Mittelmeer. © CEAM
Anomalien der Wassertemperaturen im August 2024. © SOCIB
Trend der Wassertemperaturen im Mittelmeer. © CEAM

Die größten Niederschlagsspitzen innerhalb weniger Stunden bis Tage in Europa stammen allesamt vom Mittelmeerraum. Besonders häufig betroffen sind exponierte Gebirgsgruppen in Küstennähe, wie etwa die Cevennen in Frankreich, der Ligurische Apennin in Italien oder das Dinarische Gebirge von Kroatien bis nach Montenegro. Aber auch an der Ostküste Spaniens, in Mittel- und Süditalien sowie in Griechenland sind Extremereignisse keine Seltenheit. Speziell im südlichen Mittelmeerraum regnet es im Sommer nur selten, dafür aber im Herbst und Winter mitunter extrem intensiv. Die Kombination aus Starkregen und Gebirgsketten begünstigt dann Sturzfluten. Für extreme Niederschlagsereignisse spielen diese Faktoren eine entscheidende Rolle:

  • Tiefdruckeinfluss mit anhaltendem, auflandigem Wind
  • hohe Wassertemperaturen
  • ein Gebirge in Küstennähe, welches für zusätzliche Hebung und Staueffekte sorgt

Weiter Infos zur Rolle des Klimawandels gibt es hier: Klimawandel und Starkregen.

Hochwasser in Griechenland 2023

Ein zeitweise nahezu ortsfestes Tief namens Daniel hat im Herbst 2023 in Teilen Griechenlands für extreme Regenmengen gesorgt. Regional fiel innerhalb weniger Tage sogar deutlich mehr als der gesamte mittlere Jahresniederschlag, was u.a. in der thessalischen Ebene zu schwere Überschwemmungen geführt hat.


Dieses Tief hat sich in weiterer Folge zu einem subtropischen Tief mit warmen Kern umgewandelt und ist mit schweren Sturmböen und großen Regenmengen auf den östlichen Teil der Großen Syrte in Libyen getroffen. In Libyen brachen infolge des Starkregens südlich der Stadt Darna zwei Staudämme. Die Wassermassen  zerstörten ganze Wohnviertel und in Summe kamen über 10.000 Menschen ums Leben.

Klimawandel und Starkregen

Die Forschung zu Klimawandel und Extremwetterereignissen hat in den vergangenen Jahren große Fortschritte gemacht. Mittlerweile kann man belegen, dass bestimmte Extremwetterereignisse durch den Klimawandel wahrscheinlicher bzw. intensiver geworden sind. Bei dieser sogenannten Attributionsforschung vergleicht man mit Computersimulationen die Wahrscheinlichkeit für Extremereignisse im aktuellen Klima sowie in jenem der vorindustriellen Zeit. Besonders gut funktioniert das für sommerliche Hitzewellen, so spielt der Klimawandel in Europa mittlerweile bei nahezu jeder Hitzewelle eine Rolle und auch beim Extremniederschlag lässt sich bereits eine Zunahme nachweisen. Beim Hochwasser Ende Mai / Anfang Juni in Süddeutschland wurde ermittelt, dass die Intensität solche Ereignisse durch den Klimawandel bereits um etwa fünf Prozent zugenommen hat.


Im Allgemeinen wird durch die globale Erwärmung der Wasserkreislauf intensiviert: Einerseits verdunstet mehr Wasser, andererseits fällt Niederschlag kräftiger aus. Für jedes Grad Celsius an Erwärmung kann die Atmosphäre etwa 7% mehr Wasserdampf aufnehmen.

Der Wassernachschub (die Verdunstungsrate) steigt aber nur um etwa 3 bis 4% pro Grad Erwärmung an, die Verdunstung kommt der gesteigerten Aufnahmekapazität der Atmosphäre also nicht ganz nach. Dieses Ungleichgewicht führt dazu, dass es tendenziell seltener regnet, aber dafür stärker. Besonders gut kann man das an der zunehmenden Häufigkeit von Unwettern im Sommer beobachten.

Fischer, E.M. and Knutti, R. (2016). Observed heavy precipitation increase confirms theory and early models. Nat. Clim. Chang. 6 986–91

Paradoxerweise werden also sowohl die trockenen Phasen als auch die starken Regenereignisse intensiver und häufiger, da sich der Niederschlag auf weniger Tage konzentriert und mitunter auch nur lokal auftritt. Auch in Österreich kann man bereits nachweisen, dass Tage, an denen es im Sommer mit leichter bis mäßiger Intensität regnet, seltener werden, während Tage mit sehr extremen Niederschlagsmengen in den vergangenen 30 Jahren häufiger wurden.

Abweichung der Meeresoberflächentemperaturen Mitte September @ https://www.ceam.es/ceamet/SST/SST-anomaly.html

Der Klimawandel spielt auch bei der zurückliegenden Hochwasserlage eine Rolle: Die dafür verantwortliche Wetterlage ist zwar keinesfalls unbekannt, kommt bei uns immer wieder vor, und hätte auch in einem stabilen Klima zu Hochwasser geführt. Die Ausgangslage hat sich jedoch verändert: Das Mittelmeer und das Schwarze Meer werden immer wärmer und die Atmosphäre immer feuchter. Bei passender Wetterlage wie zuletzt regnet es also noch etwas intensiver und das Hochwasser fällt extremer aus.

Weitere Infos gibt es auch hier:

Titelbild: Liesingbach @ Nik Zimmermann

Auf Hochwasser folgt Wetterberuhigung und Temperaturanstieg

Tief Anett hat in Österreich regional zu Regenmengen und Windspitzen geführt, die in dieser Intensität bislang noch nie beobachtet wurden. Beim Niederschlag gab es unzählige neue Rekorde, und diese reichen vom 24-Stunden-Niederschlag bis hin zum Monats- und Herbstniederschlag. In St. Pölten gab es mit 361 l/m² in nur vier Tagen mehr Regen, als im bislang nassesten Herbst der dortigen Messgeschichte. In keinem Monat wurde dort bislang mehr Niederschlag gemessen als in diesem September. Allein in 24 Stunden wurden 225 l/m² gemessen, dies liegt nur knapp hinter dem Landesrekord von 233 l/m² am Loiblpass aus dem Jahre 2009.

Die größten Niederschlagsmengen überhaupt wurden in den Ybbstaler, Türnitzer und Gutensteiner Alpen gemessen, etwa in Lackenhof am Ötscher wurden 458 l/m² in fünf Tagen verzeichnet. Auf den Bergen hat es ergiebig geschneit, regional gab es neue Monatsrekorde, wie etwa mit einer Schneehöhe von 145 cm auf der Rudolfshütte.

Der Niederschlagsverlauf in Lackenhof. © Hydro NÖ


Auch der Sturm hat zu zahlreichen neuen Monatsrekorden geführt, wie etwa in Gumpoldskirchen, Wiener Neustadt, Eisenstadt, Hartberg und Graz. In St. Radegund bei Graz sowie am Schöckl wurden mit Böen bis 135 bzw. 157 km/h sogar neue Allzeitrekorde aufgestellt.

Sinkende Pegel und Schmelzwasser

Die meisten Flusspegel sind derzeit konstant oder sinken wieder, nur vereinzelt gibt es noch Anstiege etwa an der March und der Leitha. Die Donau ist derzeit relativ konstant und es ist kein nennenswerter Anstieg mehr zu erwarten. In den kommenden Tagen gelangen zwar noch größere Mengen an Schmelzwasser in die Flüsse der Nordalpen, dies betrifft aber nicht die Hochwassergebiete in Niederösterreich. In der Umgebung von kleinen, bislang kaum betroffenen Gebirgsbächen der Nordalpen kann es vorübergehend noch zu stark ansteigenden Wasserständen kommen, in Summe aber sollte der bereits herbstliche Sonnenstand eine abrupte Schneeschmelze verhindern.

Wetterberuhigung

Der Tiefdruckeinfluss lässt ab Dienstag nach und am Rande eines Hochs über Nordeuropa gelangen mit einer östlichen Strömung allmählich weniger feuchte Luftmassen ins Land. Am Dienstagabend ziehen in Teilen Niederösterreichs zwar noch ein paar Regenschauer durch, dabei sind aber keine nennenswerten Mengen zu erwarten.
Am Mittwoch halten sich zunächst verbreitet Restwolken und Nebelfelder, welche am Vormittag langsam auflockern. Abseits davon scheint vor allem an der Alpennordseite häufig die Sonne, von Unterkärnten und der Steiermark bis an den Alpenostrand stauen sich kompakte Wolken und stellenweise fällt hier etwas Regen. Die Temperaturen steigen auf 16 bis 23 Grad.
Der Donnerstag hat nach stellenweise nur zögerlicher Auflösung von Nebel und Hochnebel an der Alpennordseite und im Osten viel Sonnenschein zu bieten, im Berg- und Hügelland bilden sich am Nachmittag vereinzelt Schauer. Dichtere Wolken halten sich von Unterkärnten und der Weststeiermark bis ins Obere Murtal. Dazu gibt es 16 bis 23 Grad.

Temperaturprognose für Wien. © Morecast.com

Am Freitag scheint vor allem an der Alpennordseite und im Osten häufig die Sonne, nur in nebelanfälligen Regionen wie im Flachgau und oberösterreichischen Seengebiet bleibt es am Vormittag länger trüb. Im Süden und im zentralen Bergland ziehen weiterhin einige Wolken durch, einzelne Schauer gehen am ehesten von den Niederen Tauern bis ins Weststeirische Hügelland nieder. Dazu gibt es von Südwest nach Nordost 15 bis 23 Grad.
Am Wochenende setzt sich das ruhige Herbstwetter mit etwas Hochnebel und einigen Sonnenstunden fort, die Temperaturen ändern sich kaum und liegen auf einem für die Jahreszeit üblichen Niveau.

Tief Anett hat zu einem außergewöhnlichen Wettersturz geführt. U.a. in Wien gab es ein paar rekordkalte Tage, das Jahr ist in Summe aber klar auf Rekordkurs.

Frühzeitige Warnung

Aus meteorologischer Sicht wurde dieses Extremwetterereignis frühzeitig erkannt: Gute Modellprognosen, die Expertise unserer Meteorologen sowie ein reibungslos funktionierender Warnservice haben es uns ermöglicht, bereits am vergangenen Mittwoch Warnungen der höchsten Stufe für das Wald- und Mostviertel sowie den Wienerwald auszugeben. Unseren Liveticker über die Ereignisse mit zahlreichen Bildern kann man hier nachlesen: Liveticker: Tief Anett bringt Hochwasser und Sturm

Tief Anett bringt am Wochenende Starkregen, Schneefall und Sturm

Seit vergangener Nacht strömen aus Nordwesten kühle Luftmassen arktischen Ursprungs ins Land, gleichzeitig führt ein Mittelmeertief namens Anett feuchte Luft in den Alpenraum. Am Donnerstag regnet es im Süden zeitweise kräftig, die wirklich extremen Regenmengen kündigen sich aber am Wochenende im Nordosten an. Vom Mariazellerland bis zum Wienerwald sind bis Beginn der kommenden Woche Regensummen bis etwa 300 Liter pro Quadratmeter zu erwarten. Die stärksten Niederschlagsraten erwarten wir am Wochenende, dann steigt auch die Hochwassergefahr im Nordosten deutlich an.

Die Modellprognose der Niederschlagsmengen von Donnerstag bis Montag.

Starkregen, Schnee und Sturm

Am Freitag regnet es vor allem in Niederösterreich und Wien anhaltend und zunehmend kräftig, aber auch in den Nordalpen fällt häufig Regen bzw. oberhalb von etwa 1000 bis 1300 m Schnee. Im Süden trocknet es hingegen tagsüber ab. Der Wind legt im Laufe der zweiten Tageshälfte immer weiter zu und weht vor allem im östlichen Flachland sowie am Alpenostrand stürmisch aus Nordwest.
Am Samstag werden Regen und Schneefall im Norden noch intensiver, vor allem vom Tennengau über das Traunviertel bis nach Niederösterreich und Wien kommen ergiebige Mengen zusammen. Die Schneefallgrenze sinkt in den Nordalpen zeitweise auf 900 bis 700 m ab und damit bis in einige Täler, in mittleren Höhenlagen herrscht erhöhte Schneebruchgefahr. Auf höheren Straßen wie etwa auf der Tauernautobahn muss man mit tiefwinterlichen Straßenverhältnissen rechnen. Der stürmische Wind legt weiter zu, im Osten und am Alpenostrand muss man mit teils schweren Sturmböen rechnen. In den Niederungen im Osten kündigen sich Windspitzen um 100 km/h an, aufgrund der aufgeweichten Böden besteht erhöhte Windwurfgefahr.
Der Sonntag bringt vor allem im Nordosten weiteren Regen, während in Salzburg und Oberösterreich eine Niederschlagspause in Sicht ist. Die Schneefallgrenze steigt etwas an, die Hochwassergefahr bleibt vor allem an den Nebenflüssen der Donau in Nieder- und Oberösterreich groß. Der für die Jahreszeit außergewöhnliche Sturm mit Böen um 100 km/h am Alpenostrand lässt erst gegen Abend nach.
Am Montag fällt an der Alpennordseite zeitweise noch etwas Regen, die Intensität fällt aber meist nur gering aus und auch der Wind lässt im Osten weiter nach.

Im Hochgebirge fällt teils mehr als 1 Meter Schnee.

Höchste Warnstufe

Bis inklusive kommenden Montag sind entlang der Nordalpen vom Tennengau bis zum Wienerwald mehr als 200 l/m² Regen zu erwarten, in den Staulagen sind auch Spitzen um 300 l/m² in Sicht. Auch in weiten Teilen Niederösterreichs sowie in Wien kommen ergiebige Mengen zwischen 150 und 200 l/m² zusammen, entsprechend wurden bereits Warnungen der höchsten Stufe violett für die Regionen vom Gesäuse über das Mostviertel bis ins Weinviertel ausgegeben (mit einer Gültigkeit von Freitag bis Montag). Weitere Warnungen der Stufe rot für Regen, Sturm und Schneefall folgen in den kommenden Stunden.

Regenwarnungen für das Wochenende. © UWZ
Mittlerer Niederschlag in den Einzugsgebiten der Flüsse. In den Nordalpen wird ein Teil davon aber als Schnee auf den Bergen gebunden.

Vb-Tief

Verantwortlich für die bevorstehende, außergewöhnliche Wetterlage ist ein Tiefdruckgebiet auf einer sogenannten „Vb-Zugbahn“ bzw. „Fünf-b-Zugbahn“, also vom nördlichen Mittelmeerraum über Ungarn nach Polen. Österreich wird dabei besonders lange von feuchten Luftmassen getroffen, weshalb diese vergleichsweise seltene Wetterlage berüchtigt für große Regen- oder Schneemengen ist.

Zugbahnen bzw. Häufigkeit von Vb-Tiefs nach Hofstätter und Blöschl (2019). Weitere Infos gibt es auch hier: Italientiefs in Österreich.

Durch den Klimawandel hat sich die Ausgangslage allerdings verändert, langjährige Zeitreihen zeigen eindrücklich, dass das Mittelmeer immer wärmer und die Atmosphäre immer feuchter wird. Dadurch regnet es bei passender Wetterlage noch intensiver.

Gewitter-Rückblick: Im Sommer 2024 in Deutschland weniger Blitze als üblich

Vom 1. Juni bis zum 31. August registrierte das Blitzmesssystem von nowcast über ganz Deutschland verteilt exakt 1.050.609 Blitzentladungen (Wolken- und Erdblitze). Dieser Wert liegt 10 Prozent unter dem 10-jährigen Mittelwert von 2014 bis 2023 und entspricht einem der niedrigsten Werte seit Beginn der modernen Blitzerfassung im Jahre 2009. Am wenigsten Blitze wurden bislang im Sommer 2022 mit 626.000 Entladungen detektiert. Während die Gewitteraktivität im Juni und August relativ durchschnittlich war, präsentierte sich der Juli mit einer Abweichung von -23 Prozent außerordentlich blitzrarm.


Den Blitzverlauf des gesamten Sommers kann man hier nachsehen: Blitzanimation 2024.

Spitzenreiter Bayern

Mit exakt 234.884 Blitzentladungen mit einer Stromstärke von mind. 5 kA führt Bayern wie üblich das Bundesländer-Ranking deutlich an, an zweiter Stelle folgt mit 161.166 Blitzen Niedersachsen. Brandenburg komplettiert mit 101.928 Entladungen das Podium. Deutlich weniger Blitze als üblich wurden im zurückliegenden Sommer in Baden-Württemberg registriert, welches traditionell eines der blitzreichsten Länder ist. Stark unterdurchschnittlich war die Saison auch in Sachsen-Anhalt und Mecklenburg-Vorpommern. Bei der Blitzdichte lag heuer allerdings Hamburg auf Platz 1, knapp vor Bayern.
Die Landkreise mit der höchsten Blitzdichte lagen aber allesamt in Bayern: Auf Platz 1 liegt Schwabach mit 51 Entladungen pro km², gefolgt von Rosenheim mit 44 und Ingolstadt mit 43,7 Blitzen/km².

Bundesland Entladungen Abweichung zum 10-j. Mittel
Bayern 234.884 -0%
Niedersachsen 161.166 +12%
Brandenburg 101.928 -12%
Baden-Württemberg 97.634 -32%
Nordrhein-Westfalen 97.057 – 10%
Hessen 70.477 +10%
Sachsen 61.116 -3%
Rheinland-Pfalz 50.989 -7%
Mecklenburg-Vorpommern 47.933 -31%
Thüringen 43.757 -6%
Sachsen-Anhalt 39.998 -35%
Schleswig-Holstein 28.232 -9%
Saarland 7.868 +16%
Hamburg 3.560 +70%
Berlin 2.728 -20%
Bremen 1.281 +21%

Blitzspektakel am 27. Juni

Der mit Abstand blitzreichste Tag war der 27. Juni, als ein Randtief namens ZOE mit sehr energiereicher Luft in weiten Teilen Deutschlands für kräftige Gewitter gesorgt hat. In Summe kam es an diesem Tag zu 115.000 Entladungen, davon 23.000 in Niedersachsen und 22.500 in Bayern. An diesem Tag wurde innerhalb von 24 Stunden etwa ein Viertel der üblichen Blitzentladungen des gesamten Junis verzeichnet. Zuletzt deutlich mehr Entladungen an einem Tag wurden am 22. Juni 2023 erfasst.

Hagel, Sturm und viel Starkregen

Der größte Hagel des Saison mit einem Durchmesser von bis zu 7 cm wurde am 12. Juli im Rems-Murr-Kreis in Baden-Württemberg gemeldet, die stärkste gemessene Windböe wurde dagegen in Chieming im Landkreis Traunstein am 12. August verzeichnet. In Summe kam es heuer aber deutlich seltener zu großem Hagel und Sturmböen als im Vorjahr. In Erinnerung bleiben jedoch die zahlreichen Gewitterlagen mit ergiebigen Regenmengen in kurzer Zeit, die mancherorts zu Sturzfluten und Überflutungen geführt haben. Besonders stark war Trendelburg im Landkreis Kassel betroffen, wo am 1. August sogar 170 l/m² in weniger als 10 Stunden gemessen wurden.

Die blitzreichsten Tage im Sommer 2024:

  • 27. Juni 115.428
  • 13. August 107.727
  • 30. Juni 81.722
  • 10. Juli 66.477

Die blitzreichste Landkreise (Entladungen/km²)

  1. Schwabach (Bayern) 51
  2. Rosenheim (Bayern) 44
  3. Ingolstadt (Bayern) 43,7
  4. Nürnberg (Bayern) 40,8
  5. Neuburg-Schrobenhausen (Bayern) 39,6

Am Wochenende bis zu 32 Grad, dann Gewitter und Temperatursturz

Spätsommer

Österreich liegt am Wochenende am Rande eine Tiefs über Westeuropa namens „Yonca“. Mit einer südlichen Strömung gelangen dabei noch feuchtwarme Luftmassen ins Land und die Temperaturen steigen nochmals auf ein hochsommerliches Niveau. Ab Sonntagabend nimmt der Tiefdruckeinfluss in Österreich zu, die neue Woche bringt unbeständiges und frühherbstliches Wetter.

Von Sonntag auf Montag zieht aus Westen ein Tiefdruckgebiet auf.

Am Wochenende bis zu 32 Grad

Am Samstag dominiert meist der Sonnenschein, nur südlich der Tauern halten sich anfangs hochnebelartige Wolken. Die Temperaturen erreichen 25 bis 32 Grad. Auch am Sonntag scheint im Norden und Osten noch häufig die Sonne, im Laufe der zweiten Tageshälfte breiten sich von Vorarlberg bis Oberkärnten jedoch zunehmend dichte Wolken aus und die Gewitterneigung steigt an. Die Höchstwerte liegen von West nach Ost zwischen 22 und 32 Grad, im östlichen Flachland steht vermutlich der letzte Hitzetag des Jahres an. In der Nacht breiten sich Regen und Gewitter auf weite Teile des Landes aus.

Prognose der Höchstwerte am Sonntag (zum Vergrößern auf das Bild klicken).

10 Grad Temperatursturz

Die neue Woche beginnt trüb und häufig nass, im Süden und Südosten regnet es mitunter auch kräftig und gewittrig durchsetzt. Aber auch im Flachland zeichnen sich nach langer Trockenheit wieder größere Regenmengen ab. Die Temperaturen gehen spürbar zurück und erreichen ein für Jahreszeit passendes Niveau: Die Höchstwerte liegen am Montag nur noch zwischen 17 und 23 Grad.

Prognose der Höchstwerte am Montag (zum Vergrößern auf das Bild klicken).

Auch in den Folgetagen macht sich die Sonne rar, das unbeständige Wetter setzt sich fort und die Temperaturen gehen noch leicht zurück. Die Höchstwerte in den Niederungen pendeln sich im Bereich der 20-Grad-Marke ein.

24h-Niederschlagsprognose für Sonntag und Montag.

Spätes Hochsommerende

Der September hat heuer einen außergewöhnlich warmen Start hingelegt, vielerorts war die erste Woche des Monats 5 bis 7 Grad wärmer als im langjährigen Mittel. Vor allem im Osten wurden einige neue Stationsrekorde aufgestellt und u.a. in Wien und Linz gab es weitere Tropennächte mit einem Tiefstwert von mindestens 20 Grad. In der Wiener Innenstadt war bislang jede Nacht im September eine Tropennacht. Seit Jahresbeginn waren es bereits 52, der Allzeitrekord für Österreich wurde weiter ausgebaut. Der alte Jahresrekord lag bei 41 Tropennächten. Mehr Infos dazu gibt es hier: Rekord an Tropennächten.

Rekord in Wien: Mehr als 50 Tropennächte

Wien

Schwüler Sommer

Der Sommer 2024 war im Tiefland der wärmste der Messgeschichte, knapp vor den Sommern 2003 und 2019.  Auffällig ist die hohe Anzahl an Tropennächten in den Niederungen, was auch in Zusammenhang mit der außergewöhnlich hohen Luftfeuchtigkeit steht: Wenn die Luft feucht ist, dann ist auch die atmosphärische Gegenstrahlung höher, was eine effiziente nächtliche Abkühlung verhindert. Tatsächlich dürfte der Sommer in Mitteleuropa auch als der bislang schwülste seit Messbeginn in die Annalen gehen.

Der Taupunkt in Mitteleuropa lag im Sommer auf Rekordniveau.

Neue Rekorde bei der Anzahl an Tropennächten gibt es u.a. in Wien, Graz, Linz, St. Pölten und Eisenstadt.

Tropennächte Mittel

(1991-2020)

Jahresrekord

(bis 2023)

Jahr 2024

(Stand 8.9.24)

Wien – Innere Stadt 21 41 (2018, 2019) 53*
Wien – Döbling 6 23 (2015) 25*
Graz Uni 2 9 (2013) 11*
Linz 3 14 (2015) 18*
St. Pölten 1 7 (2015) 11*
Eisenstadt 5 19 (2015) 27*
Innsbruck 0 3 (u.a. 2019) 0
Salzburg Flughafen 0 3 (u.a. 2023) 0
Bregenz 2 12 (2015) 3
Klagenfurt Flughafen 0 3 (2019) 1

53 Tropennächte in Wien

Die meisten Tropennächte überhaupt gab es wie üblich in der Wiener Innenstadt: Hier waren es allein im Sommer (bis zum 31. August) bereits 46, mittlerweile sind es schon 53, also deutlich mehr als in den Rekordjahren 2018 und 2019.

Im Sommer (bis 31. August) wurden in der Wiener Innenstadt 46 Tropennächte verzeichnet, mittlerweile sind es schon 53.

Stadteffekt

Die Regionen mit den meisten Tropennächten in Österreich liegen im Wiener Becken und im Nordburgenland. Generell treten Tropennächte vor allem in Ballungsräumen auf, so spielt die Versiegelung für die Nachttemperaturen eine wesentlich größere Rolle als für die Temperaturen am Tag. Wien weist eine starke Wärmeinsel bzw. Stadteffekt auf: Während in der Inneren Stadt bereits 53 Tropennächte verzeichnet wurden, waren es am östlichen Stadtrand meist 15 bis 20. Noch weniger gab es am westlichen Stadtrand: In den Tälern des Wienerwalds wie etwa in Mariabrunn wurden bislang nur 5 Tropennächte gemessen.

Analyse der nächtlichen Kaltluft in Wien in windstillen, klaren Sommernächten. In den Tälern des Wienerwalds gibt es wenig Tropennächte, weil dort effektiv Kaltluft produziert wird.© www.wien.gv.at

Einen Stadteffekt kann man aber in allen größeren Städten in den Nächten beobachten, so gab es etwa in Klagenfurt an der neuen, innerstädtischen Station bei der HTL bereits 9 Tropennächte, während es am Flughafen nur eine war. In Graz wurden in Straßgang sogar 15 Tropennächte gemessen, während es am Flughafen nur 3 waren. Abseits der Ballungsräume sind oft warme Gewässer oder Föhneffekte für warme Sommernächte verantwortlich, etwa in Podersdorf gab es heuer bereits 30 Tropennächte.

Rekorde in Österreich

  • Die meisten Tropennächte in einem Sommer: 46 in der Wiener Innenstadt (2024)
  • Die meisten Tropennächte in einem Jahr: 53 in der Wiener Innenstadt (2024; vorläufig)
  • Die wärmste Nacht: 26,9 Grad in der Wiener Innenstadt (23.7.2015, 2.8.2017)
  • Die späteste Tropennacht in Wien: 17.9.2020 mit 20,7 Grad
  • Die späteste Tropennacht überhaupt: 30.10.2022 am Kolomansberg mit 20,4 Grad
Die langjährige Messreihe in Wien zeigt eindrücklich die Zunahme an Tropennächten.

Wie entsteht eine Hitzewelle?

Ventilator und Sonnenschein

Hitzewellen sind mehrtägige Perioden mit einer ungewöhnlich hohen thermischen Belastung, welche durch den Klimawandel häufiger und intensiver auftreten. International existiert keine einheitliche Definition, so spricht man etwa in Südtirol erst ab drei Tagen mit mehr als 35 Grad von einer Hitzewelle, während etwa in Finnland bereits bei Temperaturen über 25 Grad von Hitze die Rede ist. Die einfachste Definition für eine Hitzewelle in Österreich lautet drei Tage in Folge mit einem Höchstwert über 30 Grad an einem Ort.

Die bislang längsten Serien an aufeinanderfolgenden Tagen mit einem Höchstwert über 30 Grad in den Landeshauptstädten. In Klagenfurt wurde mit 11 Hitzetagen am Stück heuer ein neuer Rekord aufgestellt.

Etwas komplizierter ist die Auswertung nach Kysely, der eine Hitzewelle mit einer Serie von zumindest drei aufeinanderfolgenden Tagen über 30 Grad definiert hat, die aber kurzzeitig auch von einem Tag zwischen 25 und 30 Grad unterbrochen werden kann, sofern die mittlere Maximaltemperatur in der Periode über 30 Grad liegt. Demnach können Hitzewellen länger ausfallen, so liegt der Rekord etwa in Wien bei 32 Tagen im Sommer 2018. Beide Methoden weisen allerdings Schwächen auf, zumal auch beide nicht die Luftfeuchtigkeit berücksichtigen. Mehr zu diesem Thema gibt es hier: Wie viel Schwüle halten wir aus?

Wie entsteht Hitze?

Es gibt hauptsächlich drei physikalische Prozesse, die zu einer Erwärmung der Luft in der Atmosphäre führen:

  • Temperaturadvektion: Transport von Luft aus klimatologisch wärmeren Regionen in kältere Regionen, wie etwa von Nordafrika nach Europa.
  • adiabatische Erwärmung durch Kompression bei einer absinkenden Luftbewegung (Subsidenz), was bei Hochdruckgebieten passiert.
  • diabatische Erwärmung der Luft. In der Nähe der Erdoberfläche passiert dies durch fühlbare Wärmeströme (von warmen Oberflächen durch Wärmeleitung und Wärmestrahlung, besonders aber durch turbulente Luftbewegungen bzw. Konvektion). Diese Form der Erwärmung wird in erster Linie von der Sonnenstrahlung verursacht: Im Sommer erwärmt sie den Erdboden, der einen Teil der Wärme an die angrenzende Luft abgibt. Bei trockenen Böden ist dieser Prozess besonders effektiv. In der freien Atmosphäre kann dagegen Kondensation bzw. die Freisetzung latenter Energie die Luft erwärmen.

Je nach Region auf der Welt spielen diese Prozesse eine unterschiedlich starke Rolle: Während die Luft etwa über den Landmassen im Bereich des Äquators hauptsächlich diabatisch durch die Sonne erwärmt wird,  ist über den nördlichen und südlichen Ozeanen vorwiegend Temperaturadvektion für Hitze verantwortlich. In Mitteleuropa spielen meist mehrere Prozesse gleichzeitig eine Rolle, wobei es regionale und saisonale Unterschiede gibt.

Die ersten drei Farben zeigen Regionen an, in denen ein Prozess dominant ist (wenn sein Beitrag zur Anomalie mindestens doppelt so groß ist wie jener des nachfolgenden Prozesses). In den violetten Regionen dominiert kein Prozess. Quelle: nature.com

In Mitteleuropa ist eine reine horizontale Temperaturadvektion aus Nordafrika kaum möglich, da die Luft auf dem Weg zu uns zahlreiche Gebirgsketten überwinden muss, was adiabatische und diabatische Prozesse zur Folge hat. Damit diese Prozesse aber überhaupt zustanden kommen, sind bestimmte meteorologische Wetterlagen erforderlich.

Südwestlagen

Für eine ausgeprägte Temperaturadvektion bzw. den Transport von subtropischer Luft zum Alpenraum ist eine anhaltende südwestliche bis südliche Strömung erforderlich. Dies ist typischerweise der Fall, wenn sich ein nahezu ortsfestes Tiefdruckgebiet über dem Ostatlantik bzw. den Britischen Inseln etabliert. Diese Luft erreicht uns allerdings meist nur in der Höhe, weshalb auch adiabatische und diabatische Prozesse eine Rolle spielen: Im Lee der Alpen kommt es beispielsweise häufig zu Föhn, der etwaige subtropische Luft vom Kammniveau der Alpen in die Niederungen herunterführt und sie dabei adiabatisch erwärmt. Auf diese Art kommt es manchmal schon im Frühjahr zu Temperaturen um 30 Grad etwa in Salzburg. Solche Wetterlagen können unterschiedlich lange anhalten und mitunter auch zu Hitzewellen führen.

Mit jeder Kalt- und Warmfront findet Temperaturadvektion statt. Etwa an diesem Wochenende lenkt ein Tief über den Britischen Inseln warme Luft nordwärts, ehe am Sonntag von Westen her eine Kaltfront eintrifft.

Hochdrucklagen

Für eine großräumige adiabatische Erwärmung der Luft ist ein umfangreiches Hochdruckgebiet erforderlich. Die Luft dreht sich um den Kern des Hochs im Uhrzeigersinn und sinkt dabei ab („Subsidenz“). Damit gerät die Luft unter höheren Luftdruck, weshalb sie sich komprimiert und erwärmt. Die Luft erwärmt sich pro 100 Höhenmeter um etwa 1 Grad. Diese Erwärmung setzt sich zwar oft nicht direkt bis zum Boden durch (im Herbst kommt es beispielsweise zu ausgeprägten Inversionslagen, siehe hier), aber auch in der Grundschicht steigen die Temperaturen durch diabatische Prozesse Tag für Tag an.

Vereinfachter Querschnitt der Luftströmung in einem Hoch- und Tiefdruckgebiet. © br.de

Blockierte Hochs

Extreme Hitzewellen stehen meist in Zusammenhang mit blockierten Wetterlagen, also Lagen mit einem umfangreichen, stationären Hochdruckgebiet. Bei solchen Wetterlagen wird der Jetstream in Europa unterbrochen bzw. weit nach Norden abgelenkt. Dies passiert in erster Linie bei sog. „Omega-Lagen“, die manchmal mehrere Wochen lang andauern können. Wenn solch eine Wetterlage im Sommer auftritt, kommt es regional zu extremer Hitze.

Omega-Lage im extrem trockenen März 2022. © ECMWF/UBIMET

Bei einer blockierten Wetterlage spielen sowohl die Subsidenz als auch die diabatischen Prozesse eine große Rolle: Einerseits wird die Luft durch das anhaltende Absinken immer weiter erwärmt, andererseits sorgt die oft ungetrübte Sonneneinstrahlung für eine fortschreitende Erwärmung der bodennahen Luft. In den mittleren Breiten bildet sich dann mitunter ein sog. „Heat dome“ bzw. eine Hitzeglocke aus. Dies passierte beispielsweise auch bei der Rekordhitze im Westen Kanadas mit knapp 50 Grad im Juni 2021 (damals haben diabatische Prozesse stromaufwärts des Hochs ebenfalls zur Ausprägung der Anomalie beigetragen).

Bei einer „Omega-Lage“ wurde die Luft in Lytton in Kanada auf bis zu 49,6 Grad erhitzt im Juni 2021.
Die Ensemble-Trajektorien der Herkunft der Luft in Paris am 18. Juli 2022 zeigen das Absinken der Luft im Uhrzeigersinn im Hoch. Am 19. Juli wurden dort knapp über 40 Grad gemessen. © NOAA

Wenn alles zusammenkommt…

Für Temperaturrekorde spielen immer mehrere Faktoren eine Rolle. Auch die Witterung in den Wochen vor einer Hitzewelle bzw. die daraus resultierende Bodenfeuchte ist entscheidend: Wenn der Boden durch eine Dürreperiode bereits ausgetrocknet ist, wird die am Boden eintreffende Sonneneinstrahlung direkt in fühlbare Wärme umgewandelt, da weniger Energie für Verdunstung verbraucht wird (diabatische Erwärmung). Weiters spielen auch geographische Faktoren eine Rolle, so kann föhniger Wind die Luft aus mittleren Höhenlagen mitunter direkt bis in tiefen Lagen absinken lassen, was dann lokal zu extrem hohen Temperaturen führen kann (adiabatische Erwärmung). Wenn alle Faktoren zusammenkommen, also ein blockiertes Hoch im Sommer, trockene Böden, föhniger Wind und strahlender Sonnenschein, dann sind meist neue Rekorde zu erwarten. So wurden beispielsweise auch die 46 Grad in Südfrankreich im Juni 2019 erreicht oder die 48,8 Grad in Sizilien im August 2021. Überlagert wird das ganze noch von der globalen Erwärmung: Die Ausgangslage ist bei solchen Wetterlagen heutzutage höher als noch in der vorindustriellen Zeit. Dies erklärt auch das starke Ungleichgewicht zwischen den auftretenden Hitze- und Kälterekorden weltweit.

Überschreitung früherer Temperaturrekorde während drei extremer Hitzewellen (Kanada 2021, Europa 2003 und Russland 2010). © nature.com

 

Auf Sturm URSULA folgen am Samstag regional kräftige Gewitter

Sturm

Deutschland liegt am Freitag unter dem Einfluss eines Sturmtiefs über der Nordsee namens URSULA. Besonders vom Emsland bis nach Schleswig-Holstein muss man tagsüber mit stürmischen Böen rechnen, auf den Nordfriesischen Inseln sind auch schwere Sturmböen bis knapp 100 km/h zu erwarten. Die bislang gemessenen Windspitzen findet man hier: Aktuelle Wetterdaten.

Sturm Ursula am Freitag um 13:35 Uhr.
Aktuelle Sturmwarnungen (23. August 2024). © www.uwr.de

Noch stärker betroffen von Sturm Ursula (das international „Lilian“ getauft wurde) waren in den vergangenen Stunden Wales und England. In Crosby, knapp nördlich von Liverpool, wurden sogar Böen bis 113 km/h gemessen. Für August sind solche Windspitzen durchaus ungewöhnlich. In den kommenden Stunden liegt der Schwerpunkt in Dänemark.

Prognose der Windspitzen am Freitag von ICON.
Der EFI von ECWMF.

Am Samstagabend Gewitter

Am Samstag kommt v.a. in der Mitte und im Süden häufig die Sonne zum Vorschein, in den Abendstunden zieht über Nordfrankreich jedoch ein weiteres Randtief namens „Veruca“ auf. Im Vorfeld der Kaltfront des Tiefs gelangt feuchtwarme Luft ins Land, zunächst bleibt es bis auf vereinzelte Hitzegewitter in den Alpen aber noch weitgehend trocken.


Am Abend steigt die Gewitterneigung ausgehend von Benelux und Frankreich rasch an und v.a. in Rheinland-Pfalz, im Saarland, in Hessen, in NRW, in Niedersachsen und in Schleswig-Holstein kündigen sich regional Gewitter mit teils schweren Sturmböen zwischen 70 und 90 bzw. vereinzelt auch um 100 km/h an. Die Gefahr von größerem Hagel bleibt dagegen recht gering. In der Nacht auf Sonntag ziehen die Gewitter unter Abschwächung nordostwärts, gebietsweise sind jedoch auch in der Mitte bzw. im Nordosten mit Durchzug der teils gewittrigen Schauer weiterhin stürmische Böen möglich.

Gewitterpotential am Samstag (Stand: Freitag, 13 Uhr).

Thermik: Von der Cumulus-Wolke bis zur Überentwicklung

Paragleider © zooom.at / Felix Wölk

Vor allem im Sommerhalbjahr sieht man nicht selten malerische Quellwolken unterschiedlicher Ausprägungen. Manchmal nur vereinzelt über den Bergen, manchmal recht verbreitet. Die Spannbreite reicht von der kleinsten Form (Cumulus humilis) bis hin zu der mächtigen Gewitterwolke (Cumulonimbus). Auch wenn die Erscheinungen somit recht verschieden sein können, ist bei ihrer Entstehung die Thermik von großer Bedeutung.

Lockere Quellwolken über Wien.

Entstehung von Thermik

Thermik beschreibt das thermisch bedingte Aufsteigen von Luftmassen und entsteht, wenn die Sonne die Erdoberfläche erwärmt. Die erwärmte Erdoberfläche gibt Wärme an die darüber liegende Luft ab, wodurch sich diese ebenfalls erwärmt und ausdehnt. Da die wärmere Luft verglichen mit der Umgebung weniger dicht und somit verhältnismäßig leichter ist, beginnt sie aufzusteigen. Je weiter das Luftpaket aufsteigt, desto mehr kühlt es sich aufgrund des sinkenden Luftdrucks und der damit verbundenen weiteren Ausdehnung ab. Wird der Taupunkt erreicht, so beginnt die enthaltene Feuchtigkeit zu kondensieren – die Wolke ist geboren. In diesem Falle spricht man auch von Wolkenthermik, denn diese Wolken geben beispielsweise Segelflugzeugen einen visuellen Hinweis auf vorhandene Thermik. In der Flugsprache wird eine solche Aufwindzone auch als „Schlauch“ bezeichnet.
Ist das aufsteigende Luftpaket hingegen sehr trocken, dann wird der Taupunkt nicht erreicht und der Himmel bleibt wolkenlos. Dies wird dann als Blauthermik beschrieben. Erkennen kann man diesen Bereich aufsteigender Luftmassen zum Beispiel anhand von kreisenden Vögeln.

Im nachfolgenden Video: Die Trajektorien beim Live-Tracking der Gleitschirmpiloten bei RedBull X-Alps zeigen die typischen „Aufwindschläuche“.

Intensität der Thermik

Die Intensität der Thermik wird von verschiedenen Faktoren beeinflusst. Einer der wichtigsten Faktoren ist die Sonneneinstrahlung. Je mehr Sonnenlicht auf die Erdoberfläche trifft, desto stärker erwärmt sich der Boden. Die Beschaffenheit der Erdoberfläche spielt ebenfalls eine entscheidende Rolle. Trockene Böden, wie Getreidefelder, die wenig Sonnenlicht reflektieren und wenig Wasser verdunsten, können die Luft darüber stärker erwärmen als feuchte Wiesen. Gebirgshänge, die zur Sonne geneigt sind, erwärmen sich stärker als flaches Land, was zu intensiveren Aufwinden führt. Die Wärmespeicherfähigkeit und die Verdunstungseigenschaften des Bodens beeinflussen ebenfalls die Thermik. Böden, die Wärme gut speichern und wenig Wasser verdunsten, wie ein trockenes Feld oder ein gepflügter Acker, heizen sich stark auf und fördern die Thermik.

Paraglider und Quellwolken © pixabay.com
Paraglider und Quellwolken © pixabay.com

Vertikale Temperaturschichtung

Ein weiterer wichtiger Faktor ist der Temperaturgradient der Umgebungsluft. Dieser Gradient beschreibt, wie schnell die Temperatur mit der Höhe abnimmt. Bei einem niedrigen Gradienten wird die aufsteigende Luft schnell kälter als die Umgebungsluft, was die Thermik schwächt. Ein höherer Gradient dagegen führt zu stärkerer Thermik, da die aufsteigende Luft wärmer bleibt als die umgebende Luft. Wenn die aufsteigende Luft feucht ist und der Gradient stark, kann die Luftschichtung feuchtlabil sein und Gewitter begünstigen . Als „Überentwicklung“ bezeichnet man den Übergang einer Cumuluswolke in eine Schauer- und Gewitterwolke (Cumulonimbus). Sie ist erkenntlich an der Vereisung des oberen Randes der Wolke, die die zuvor klare Wolkenobergrenze unscharf werden lässt.

Sog. Überentwicklungen deuten auf eine zunehmende Schauer- und Gewittergefahr hin.

Auch Kaltluftadvektion, wie sie nach dem Durchgang einer Kaltfront auftritt, kann die Thermik verstärken. Wenn kühlere Luftmassen in höheren Schichten vorhanden sind, reicht eine geringe Erwärmung des Bodens aus, um der aufsteigenden Luft einen Temperaturvorsprung zu verschaffen. Dies führt zu raschem Aufsteigen und intensiver Thermik.

Weitere Arten von Thermik

Nebst den bereits erwähnten Wolken- und Blauthermik gibt es weitere Ausprägungsformen der Thermik. So zum Beispiel die Konvergenzthermik. Dabei treffen Luftmassen mit unterschiedlichen Temperaturen und Feuchtigkeiten aufeinander, wodurch die weniger dichte Luft zum Aufsteigen gezwungen wird. Solche Konvergenzlinien können unter anderem bei Fronten oder aufgrund von geografischen und topografischen Merkmalen auftreten. Eine Form der Konvergenzthermik stellt die Seewindthermik dar. Diese Form trifft in Küstennähe auf, wenn die kühle Meeresbrise auf die wärmere Landmassen trifft. Das Aufsteigen der bereits erwärmten Landluft wird verstärkt, indem sich die kühlere Meeresluft wie ein Keil unter die Landluft schiebt.

Seewind an der Adria. © EUMETSAT / UBIMET
Seewind sorgt direkt an den Küsten oft für wolkenloses Wetter, sofern er nicht zur Entstehung von Gewittern beiträgt. © EUMETSAT / UBIMET

Im Alpenraum ist die Hangthermik besonders von Bedeutung. Je nach Oberflächenbeschaffenheit und Ausrichtung werden die Hänge oder Gebirgsflanken unterschiedlich stark erwärmt. Besonders von Segelfliegern und Paraglidern werden Regionen mit guten Aufwindbedingungen gesucht. Eng mit der Hangthermik sind auch die Berg- und Talwindsysteme verknüpft.

Gleitschirm
Paraglider über den Bergen. Quelle: Pixabay

Titelbild: Gleitschirmflieger bei RB X-Alps. © zooom.at / Felix Wölk

Konvektion in der Atmosphäre

Die Quellwolke eines Gewitters.

Die Sonneneinstrahlung erwärmt die verschiedenen Oberflächen wie beispielsweise Wasser, Acker und Wald unterschiedlich schnell bzw. stark. Dies wirkt sich direkt auf die Temperatur und somit auch auf die Dichte der bodennahen Luft aus. Die wärmeren Bereiche der bodennahen Luft sind leichter als die Umgebungsluft, somit steigt die Luft dort auf. Der Auftrieb klingt erst dann wieder ab, wenn die Luft im Aufwindbereich die gleiche Temperatur wie jene der Umgebungsluft besitzt. Danach sinkt die Luft seitlich wieder ab. Die abwärtsgerichtete Strömung ersetzt schließlich die Luft in den unteren Schichten und es der Kreislauf der Konvektion wird abgeschlossen. Ein typisches Beispiel für einen abgeschlossenen Konvektionskreislauf stellt das Land-See-Windsystem dar.

Eine Seewind-Konvergenz löst Gewitter auf Kuba aus.
Eine Seewind-Konvergenz löst Gewitter auf Kuba aus.

Seewind und Gewitter

Die Seebrise stabilisiert die Luft in Küstennähe, weiter im Landesinneren kann das Zusammenströmen von Seewind und allgemeinem Wind hingegen zur Auslösung von Schauern und Gewittern führen. Dies tritt besonders häufig auf größeren Inseln und Halbinseln auf, wie beispielsweise in Istrien (Kroatien). Gelegentlich kann man dies aber auch im Bereich der Nord- und Ostsee beobachten.

Seewind an der Adria. © EUMETSAT / UBIMET
Seewind sorgt an den Küsten oft für wolkenlose Bedingungen. © EUMETSAT / UBIMET

Thermik

Im Sommerhalbjahr kann die Sonnenstrahlung regelrechte Thermikschläuche verursachen, die beispielsweise Segelflieger zum Auftrieb nutzen. Das ist auch der Grund, warum Paragleiter oft über sonnenbeschienenen Berghängen enge Kreise ziehen. Die Folgen aufsteigender Luft sind oftmals Quellwolken, welche bei einer stabilen Schichtung der Luft hochbasig und klein bleiben.

Paragleiter am Alpenrand. © www.foto-webcam.eu
Paragleiter am Alpenrand. © www.foto-webcam.eu

Cumulonimbus

Wenn die bodennahe Luft jedoch sehr feucht und die Luftschichtung labil ist, dann können die Quellwolken rasch zu Schauern und Gewittern heranwachsen.  An der Obergrenze der Troposphäre, also jenem Bereich der Atmosphäre in dem sich unser Wetter abspielt, befindet sich eine Temperaturinversion. Die stabile Schicht stellt eine unüberwindbare Barriere für Gewitterwolken dar, weshalb sich die Quellwolke dort seitlich ausbreitet und die charakteristische Ambosswolke entsteht (Cumulonimbus incus; siehe auch Titelbild).

Vereinfachte Darstellung der Konvektion innerhalb einer Gewitterwolke. © Nikolas Zimmermann
Konvektion innerhalb einer Gewitterwolke. © Nikolas Zimmermann

Am Mittwoch regional kräftige Gewitter in Österreich

Blitz

Ein Hochdruckgebiet namens „Kai“ sorgt am Dienstag noch für stabile Wetterverhältnisse in weiten Teilen des Landes. Der Kern des Hochs verlagert sich aber langsam in Richtung Osteuropa, weshalb am Abend von der Silvretta bis nach Osttirol bereits erste Wärmegewitter niedergehen.

Das sich annähernde Tief Nicole sorgt am Mittwoch für einer erhöhte Gewitterneigung.

In den kommenden Stunden gerät Österreich zunehmend auf die Vorderseite eines umfangreichen Tiefs namens „Nicole“ mit Kern bei den Britischen Inseln. Mit einer westlichen Höhenströmung gelangen zwar warme Luftmassen in den Alpenraum, im Vorfeld einer Kaltfront steigt die Gewitterbereitschaft aber an.

Im Norden und Osten verläuft der Mittwoch sonnig und heiß.

Sonne und Gewitter

Der Mittwoch beginnt häufig sonnig, nur in Osttirol und Oberkärnten halten sich anfangs Restwolken und vereinzelt gehen auch lokale Schauer nieder. Ab Mittag nimmt die Gewitterneigung im Bergland von Vorarlberg bis in die westliche Obersteiermark verbreitet zu, lokal fallen die Gewitter auch kräftig aus mit großen Regenmengen in kurzer Zeit, Hagel und teils stürmischen Böen. Am Abend ziehen auch im Süden, am Alpenostrand und in Teilen Oberösterreichs mitunter kräftige Gewitter durch.

Prognose der Radarreflektivität von Mittwochmittag bis Mittwochabend. © UBIMET/RACE

Im Osten und Südosten verläuft der Tag sonnig und trocken. In der Nacht auf Donnerstag steigt die Gewitterneigung aber auch hier langsam an, vor allem im Südosten sind auch kräftige Gewitter mit ergiebigen Regenmengen möglich, während sich im Westen rasch eine Wetterberuhigung bemerkbar macht.

Gewitter-Zwischenbilanz: Von Jänner bis Juli knapp 1 Mio. Blitze in Deutschland

Die Gewitterhochsaison geht in Deutschland meist von Mai bis August, wobei der Juni und der Juli die zwei absolut blitzreichsten Monate darstellen. Heuer gab es einen überdurchschnittlichen Saisonstart im Mai mit mehr als 237.00 Entladungen, also etwa 25 Prozent mehr als üblich. Nachfolgend verlief der Juni mit 427.000 Entladungen knapp unterdurchschnittlich und der Juli blieb mit rund 300.000 Entladungen gut 20% unter dem 10-jährigen Mittelwert. In Summe wurden von Januar bis inkl. Juli knapp 1 Mio. Blitzentladungen erfasst, davon 232.000 in Bayern und 120.000 in Brandenburg. Das entspricht etwa 90 Prozent des 10-jährigen Mittels, das knapp über 1,1 Mio. liegt.

Im Osten regional mehr Blitze als üblich

Der Sommer war bislang in West- und Nordwesteuropa durch rege Tiefdrucktätigkeit geprägt, weshalb die Luft in der Nordwesthälfte Deutschlands kühler und damit weniger energiereich war. Die Südosthälfte des Landes befand sich hingegen oft im Bereich einer Luftmassengrenze, die kühlere Atlantikluft von subtropischen Luftmassen trennte. Tatsächlich gab es im Sommer in Brandenburg, Sachsen und Thüringen sogar etwa 5 bis 10% mehr Blitze als üblich, während die Blitzhäufigkeit von Baden-Württemberg über NRW bis nach Niedersachsen, Schleswig-Holstein und Mecklenburg-Vorpommern unterdurchschnittlich war.

Blitzdichte & Blitzdichte auf Landkreisebene (alle Stromstärken).

Blitzfeuerwerk am 27. Juni

Der mit Abstand blitzreichste Tag war der 27. Juni, als ein Randtief namens ZOE mit sehr energiereicher Luft in weiten Teilen Deutschlands für kräftige Gewitter gesorgt hat. In Summe kam es an diesem Tag zu 115.000 Entladungen, davon 23.000 in Niedersachsen und 22.500 in Bayern. An diesem Tag wurde innerhalb von 24 Stunden etwa ein Viertel der üblichen Blitzentladungen des gesamten Junis verzeichnet. Der höchste Tageswert seit dem Jahre 2020 vom 13. Juni 2020 mit 450.000 Entladungen wurde deutlich übertroffen. Zuletzt deutlich mehr Entladungen an einem Tag wurden am 22. Juni 2023 erfasst. Die Landkreise mit der höchsten Blitzdichte liegen in Bayern: In absteigender Reihenfolge sind es Nürnberg, Schwabach, Roth, Dachau und Neumarkt in der Oberpfalz. Auf Platz 6 folgt Heidenheim in Baden-Württemberg.

Stärkster Blitz mit 434.000 Ampere

Der stärkste Blitz mit einer Stromstärke von 434 kA wurde am 26. Juni in München detektiert. Die stärksten Blitze treten aber nicht immer in Zusammenhang mit den stärksten Gewittern auf, so können auch vergleichsweise harmlose Kaltluftgewitter im Winter zu sehr starken Blitzentladungen führen.

Blitze pro Bundesland vom 1.1. bis 31.7.2024 (Top 10)

  • 232.502 Bayern
  • 120.010 Brandenburg
  • 105.994 Niedersachsen
  • 91.443 Baden-Württemberg
  • 90.333 Nordrhein-Westfalen
  • 69.597 Mecklenburg-Vorpommern
  • 59.706 Sachsen
  • 58.311 Hessen
  • 43.044 Rheinland-Pfalz
  • 42.046 Thüringen

Neue Woche bringt Sonnenschein, Hitze und dann Gewitter

Sommerwetter. Bild: Lars Nissen via pixabay.com

Zu Wochenbeginn gerät Mitteleuropa unter Hochdruckeinfluss. Anfangs gelangt aus Nordwesten noch mäßig warme Luft ins Land, im Laufe der Woche steigen die Temperaturen aber spürbar an. Am Mittwoch gibt es in jedem Bundesland Höchstwerte über 30 Grad. Im Westen wird der Höhepunkt der Hitze am Mittwoch mit 35 Grad in Innsbruck erreicht, am Donnerstag sind auch ganz im Osten ähnliche Höchstwerte in Sicht.

Tief KIRSTI zieht zu Wochenbeginn zum Baltikum ab und sorgt dort für Starkregen mit Überflutungsgefahr, in Mitteleuropa setzt sich dagegen Hochdruckeinfluss durch.

Am Montag oft sonnig

Der Montag beginnt im Bergland und im Süden mit Restwolken, diese lockern am Vormittag aber rasch auf. Tagsüber stellt sich verbreitet ein freundlicher Sonne-Wolken-Mix ein, abseits der Alpen dominiert sogar der Sonnenschein und selbst im Bergland ist die Schauerneigung sehr gering. Die Temperaturen erreichen sommerliche 25 bis 30 Grad mit den höchsten Werten im Oberinntal und in Kärnten.

Ungetrübter Sonnenschein

Am Dienstag scheint unter Hochdruckeinfluss meist ungetrübt die Sonne, über den Bergen zeigen sich am Nachmittag nur ein paar lockere Quellwolken. Die Höchstwerte liegen zwischen 27 und 33 Grad. Auch der Mittwoch zeigt sich von seiner hochsommerlichen Seite, bei ein paar dünnen Schleierwolken scheint von früh bis spät die Sonne. Im westlichen und südlichen Bergland bildet sich am Nachmittag da und dort ein Schauer oder ein isoliertes Hitzegewitter, in weiten Landesteilen bleibt es aber trocken. Dazu gibt es 30 bis 35 Grad mit den höchsten Werten im Inntal.

In Innsbruck kündigen sich am Mittwoch bis zu 35 Grad an, heiß wird es aber in jedem Bundesland.

Hitze und Gewitter

Am Donnerstag ziehen zeitweise Wolken durch und von Vorarlberg bis Oberösterreich gehen bereits in der ersten Tageshälfte lokale Schauer nieder. Tagsüber kommt vor allem im Osten und Süden häufig die Sonne zum Vorschein, im Laufe des Nachmittags bilden sich aber über dem gesamten Bergland Quellwolken und einige Gewitter, die lokal große Regenmengen bringen. Die Temperaturen erreichen von West nach Ost 28 bis 35 Grad.

Am Freitag unbeständig

Der Freitag verläuft unbeständig. Anfangs scheint im Süden und Osten noch die Sonne, von Westen her breiten sich im Tagesverlauf aber mitunter kräftige Schauer und Gewitter aus. Im Westen kühlt es ab, im Süden und Osten sind noch Höchstwerte um 30 Grad zu erwarten.
Am Wochenende bleibt die Schauer- und Gewitterneigung vor allem Berg- und Hügelland erhöht. Die Temperaturen gehen vorübergehend etwas zurück, verbleiben aber auf einem sommerlichen Niveau. Bereits ab Sonntag kündigt sich dann die nächste Erwärmung an.

Der Wettertrend für Wien in der neuen Woche.

Blitzschlaggefahr: Der beste Schutz bei einem Gewitter

Blitz

In Deutschland kommt es jährlich zu etwa 1,3 Mio. Blitzentladungen (wenn man Wolken- und Erdblitze mit einer Stromstärke >5 kA auswertet), davon schlagen etwa 20% in den Boden ein.  Besonders viele Blitze pro Jahr gibt es im Süden von der Schwäbischen Alb bis zum Bayerischen Alpenrand.

Mittlere Blitzdichte pro Jahr (>5 kA). © UBIMET

Gefahrenquelle Blitz

Die Zahl der Toten durch Blitzschlag ist in Deutschland in den vergangenen Jahrzehnten deutlich zurückgegangen: Während  es vor 200 Jahren schätzungsweise etwa 300 Blitztote pro Jahr gab, sind es heutzutage durchschnittlich 5 bis 10 (bei über 100 Unfällen jährlich). Im vergangenen Jahrhundert waren vor allem in der Landwirtschaft beschäftigte Personen betroffen, heutzutage ereignen sich dagegen viele Unfälle bei Freizeitaktivitäten. Die Abnahme haben wir einerseits den besseren Prognosen zu verdanken, andererseits aber auch den zur Verfügung stehenden Schutzmöglichkeiten (etwa Fahrzeuge). Bei einem Blitzschlag fließt der größte Teil des Stroms nicht durch den Körper hindurch, sondern auf der Körperoberfläche ab, wodurch Brandspuren auf der Haut entstehen. Diesem Umstand ist es zu verdanken, dass viele Blitzunfälle nicht tödlich ausgehen

Blitzeinschlag am Rande des Schwarzwalds im Sommer 2023. ©www.foto-webcam.eu

Allgemein kündigt sich ein Blitz nicht an und er kann auch mehrere Kilometer abseits eines Gewitterkerns einschlagen. Blitze treffen auch nicht immer die höchsten Objekte und können durchaus auch mehrmals am selben Punkt einschlagen (beispielsweise in Sendeanlagen auf Berggipfeln).

Blitz
In den Bergen können Blitze überall einschlagen. Foto: www.foto-webcam.eu

Schrittspannung

Bei einem Gewitter besteht nicht nur die Gefahr eines direkten Blitzschlags, sondern auch das Risiko, in unmittelbarer Nähe eines Einschlags zu stehen. Der Strom breitet sich nämlich an der Einschlagstelle in alle Richtungen im Boden aus. Die auftretende Spannung zwischen zwei Punkten mit gleichem Abstand wird mit zunehmender Entfernung radial vom Einschlagpunkt immer geringer, man spricht auch von einem „Spannungstrichter“. Wenn ein starker Blitz mehrere Meter neben einer Person einschlägt, kann also Strom durch den Körper fließen, sofern man den Boden an zwei unterschiedlichen Punkten mit unterschiedlichem elektrischen Potential berührt (dies passiert beim Gehen, daher spricht man von der sog. „Schrittspannung“). Je größer der Abstand zwischen den Kontaktpunkten am Boden, desto größer ist die Gefahr. Aus diesem Grund sind etwa Kühe auf den Almen bei Gewittern besonders gefährdet und für uns Menschen ist die Hockstellung noch am sichersten.

Spannungstrichter bzw. Schrittspannung in Folge eines Blitzeinschlages.

Weitere Infos zu diesem Thema gibt es auch hier.

1. Schritt: Gute Planung

Der Schutz vor Blitzen beginnt bereits bei der Planung der Freizeitaktivitäten, so sollte man im Normalfall überhaupt nicht in ein Gewitter kommen. Je nach Wettervorhersage muss die Tourenplanung angepasst werden, nur bei komplett stabilen Wetterlagen kann man sehr lange bzw. exponierte Touren durchführen. Generell sollte man sich keinesfalls auf die automatisierten Prognosen einer vorinstallierten Handy-App verlassen! Stattdessen ist es ratsam, die schriftlichen Prognosen von Meteorologen durchzulesen (bzw. am besten zwei oder drei unterschiedliche Wetterberichte miteinander zu vergleichen. Ziel der Sache ist eine Einschätzung der Gewitterwahrscheinlichkeit, um entsprechend die Tourenplanung danach anzupassen. Tatsächlich gibt es kein „perfektes Wettermodell“, welches immer akkurate Gewitterprognosen liefert. Wenn es eine Gewittervorwarnung auf www.uwr.de gibt, muss man von einer erhöhten Gewitterwahrscheinlichkeit ausgehen, allerdings ist auch knapp abseits der gelb eingefärbten Gebiete Vorsicht geboten (die Wahrscheinlichkeit ist dort geringer, aber nicht gleich Null).

Der Bayerische Alpenrand ist eine der blitzreichsten Regionen des Landes. © www.foto-webcam.eu

Bei einer erhöhten Gewitterneigung sollte man jedenfalls nur kurze Touren mit Ausstiegs- und Einkehrmöglichkeiten planen. Es ist auch ratsam früher zu starten und längere Klettersteige zu vermeiden. Die Exposition der Tour sollte eine freie Sicht auf etwaige aufziehende Gewitter ermöglichen (wenn etwa eine Gewitterfront aus Westen erwartet wird, sollte man auf eine halbwegs freie Sicht in diese Richtung achten).

Wolkenblitz in Flensburg. © www.foto-webcam.eu

2. Schritt: Wetter im Auge behalten

Unterwegs sollte man dann stets die Wolken im Auge behalten: Wenn viele Quellwolken in die Höhe wachsen bzw. zusammenwachsen und dunkler werden, nimmt die Gewittergefahr zu. Falls das Handynetz es ermöglicht, kann man auch gelegentlich aktuelle Radar– bzw. Blitzdaten checken. Sobald man einen Donner hört, muss sofort die Lage überprüft werden: Wo bildet sich das Gewitter bzw. wo zieht es hin? Im Zweifel sollte man direkt nach einem Unterschlupf ausschau halten.

Diesige Luft sowie zunehmende Quellbewölkung mit dunkler werdenden und absinkender Wolkenbasis können auf Schauer und Gewitter hindeuten.

3. Schritt: Was tun im Notfall?

Wenn man von einem Gewitter im Freien erwischt wird, sollte man zunächst hohe bzw. exponierten Orte sowie stromleitende Gegenstände meiden (Klettersteige sind besonders gefährlich). Am besten ist der Unterschlupf in einem Haus mit verschlossenen Fenstern oder im Auto. Ist man im Freien, sollte man folgende Notmaßnahmen beachten:

  • In die Hocke gehen, am besten in einer Mulde oder Senke. Die Beine müssen dabei eng beieinander stehen um die Schrittspannung gering zu halten. Im Notfall ist es besser zu hüpfen, als zu laufen.
  • Nicht unter einzelstehende Bäume (ganz egal welche Baumart) oder Strommasten Schutz suchen.
  • Von Graten und Gipfeln fernhalten und Stahlseile und Skilifte meiden. Nahe einer Felswand gibt es ein relativ sicheres Dreieck, dessen Seitenlänge am Boden der Höhe der Wand entspricht. Die Wand soll man aber nicht berühren.
  • Blitze können auch einige Kilometer abseits der Gewitterwolke in den Boden einschlagen (ohne jeglichen Niederschlag). Nach dem vermeintlichen letzten Donner sollte man jedenfalls noch für längere Zeit am sicheren Ort abwarten (ca 15-30 Minuten).
Blitzeinschlag in Garmisch-Patenkirchen. ©www.foto-webcam.eu

Heuer leicht unterdurchschnittlich

Die Gewittersaison 2024 verläuft bislang leicht unterdurchschnittlich: Der Mai brachte zwar 25% mehr Blitze als im 10-jährigen Mittel, der Juni und vor allem der Juli waren allerdings leicht unterdurchschnittlich. In Summe wurden von Mai bis Juli bislang knapp über 967.000 Blitzentladungen >5 kA erfasst, üblich wären in diesem Zeitraum etwa 1,1 Mio. Blitzentladungen. Die blitzreichsten Landkreise befinden sich bislang allesamt in Bayern: Nürnberg, Schwabach, Roth, Dachau und Neumarkt in der Oberpfalz. Auf Platz 6 liegt Heidenheim in Baden-Württemberg.

Einen Rückblick auf den Sommer 2023 gibt es hier, damals gab es 4,3 Mio. Blitzentladungen (davon 1,1 Mio. >5 kA): 4,3 Mio. Blitze im Sommer 2023.

Durch den anhaltenden Tiefdruckeinfluss über Nordwesteuropa fehlte für markante Gewitterlagen bislang oft die energiereiche Luft in der Nordwesthälfte.

Unbeständiger Juni brachte regional viel Regen und Gewitter

Der Juni war in West- und Nordwesteuropa durch rege Tiefdrucktätigkeit geprägt. Damit blieben stabile Wetterphasen im Alpenraum aus, nur vorübergehend kam es zu Warmluftvorstößen. Die erste Hitzewelle des Sommers ließ bis zum 18. Juni auf sich warten, sie war allerdings nur von kurzer Dauer.

Der Juni brachte vor allem in Südosteuropa und der Türkei viel Hochdruckeinfluss und große Hitze.

In Summe war der erste Sommermonat durch wechselhaftes Wetter geprägt, entsprechend empfanden einige Menschen das Wetter eher als kühl, obwohl die Temperatur nicht unterdurchschnittlich war: Österreichweit schließt der Juni rund 1 Grad zu warm ab, vergleicht man ihn mit dem langjährigen Mittel von 1991 bis 2020. Die größten positiven Abweichungen zwischen +1 und +1,5 Grad wurden in Teilen Niederösterreichs und im Südosten gemessen, während der Juni in Vorarlberg durchschnittlich war. Auch in Tirol und Oberkärnten gab es nur nur geringe Abweichungen. Die höchste Temperatur wurde mit 35,6 Grad in Weyer am 29. Juni gemessen, was dem bislang wärmsten Tag des Jahres in Österreich entspricht.

Höchste Temperaturen
  • 36,4 Grad Wien – Innere Stadt (W, 30.)
  • 35,8 Grad Langenlebarn (NÖ, 30.)
  • 35,6 Grad Weyer (OÖ, 29.)
  • 35,3 Grad Klausen-Leopoldsdorf (NÖ, 30.)
  • 35,2 Grad Golling (S, 29.)
Tiefste Temperaturen (<1000 m)
  • -0,3 Grad Liebenau / Gugu (OÖ, 14.)
  • -0,2 Grad Schwarzau im Freiwald (NÖ, 14.)
  • +2,2 Grad Radstadt (S, 14.)

Sonnendefizit im Westen und Süden

Der Juni brachte im Süden und Westen erneut weniger Sonnenschein als im Mittel. Landesweit lag die Bilanz bei -15 Prozent, regional gab es aber größere Unterschiede: Während die Abweichungen von Vorarlberg bis Kärnten und zur westlichen Obersteiermark bis zu -30 Prozent erreichten, war der Monat von Oberösterreich bis ins Burgenland durchschnittlich sonnig.

Regional sehr nass

Der Juni war vor allem im Südosten sowie entlang der westlichen Nordalpen von großen Niederschlagsmengen geprägt, so fiel in Teilen des Oststeirischen Hügellands doppelt so viel Niederschlag wie üblich. Etwas weniger Niederschlag als im Mittel gab es nur im zentralen Bergland rund um die Hohen Tauern, in Teilen Unterkärntens und vor allem im Oberen Waldviertel, wo mancherorts nur knapp mehr als die Hälfte der üblichen Niederschlagsmenge gemessen wurde.

In Summe brachte der Juni in Österreich etwa 15 Prozent mehr Regen als üblich. In Erinnerung bleibt dabei u.a. das schwere Hochwasser in Bayern, welches am 4. Juni auch in Österreich zu einem etwa 5-jährigen Hochwasser an der Donau geführt hat, sowie auch das etwa 30-jährige Hochwasser am Inn am 22. Juni, das vor allem durch die Schneeschmelze im Gebirge ausgelöst wurde. Am 8. Juni sorgten heftige Gewitter dagegen für Sturzfluten im südöstlichen Berg- und Hügelland, besonders betroffen war der Ort Deutschfeistritz.

Nasseste Orte
  • 323 Liter pro Quadratmeter Alberschwende (V)
  • 297 Liter pro Quadratmeter St. Radegund bei Graz (ST)
  • 296 Liter pro Quadratmeter Bregenz (V)

Im Osten viele Blitze

Der Juni brachte in Österreich etwa 10 bis 15 Prozent mehr Blitze als im 10-jährigen Mittel, wie immer kam es regional aber zu größeren Unterschieden: Im Osten gab es deutlich mehr Blitze als üblich. Im Burgenland, in Wien und in Teilen Niederösterreichs blitzte es teils mehr als doppelt so oft wie in einem durchschnittlichen Juni. In Salzburg, Tirol und Kärnten war die Blitzbilanz unterdurchschnittlich, lokal kam es aber auch hier zu heftigen Gewittern. In Erinnerung bleibt vor allem eine Unwetterlage vom 6. bis 9. Juni, welche am 9. ihren Höhepunkt erreichte, als es in den Bezirken Kitzbühel sowie Hartberg-Fürstenfeld zu großem Hagel kam und im Südburgenland ein Tornado beobachtet wurde.

Vorläufige Blitzdichte
  • 16,4 Blitze/km² Burgenland
  • 6,8 Blitze/km² Oberösterreich
  • 5,2 Blitze/km² Wien
  • 5,1 Blitze/km² Steiermark
  • 5,0 Blitze/km² Niederösterreich
  • 3,4 Blitze/km² Vorarlberg
  • 2,5 Blitze/km² Salzburg
  • 2,0 Blitze/km² Tirol
  • 0,8 Blitze/km² Kärnten

Der blitzrerichste Bezirk des Landes war Oberwart mit 16,6 Blitzen pro km².

Tornado in Ungarn nahe zur Grenze zum Burgenland am 9.6.24. Bild: Storm Science Austria
Tornado in Ungarn nahe zur Grenze zum Burgenland am 9.6.24. © Storm Science Austria
Höchste gemessene Windspitzen
  • 104 km/h Alpbach (T, 30.; bei Gewitter)
  • 99 km/h Windischgarsten (OÖ, 20.; bei Gewitter)
  • 94 km/h Graz – Uni (ST, 8.; bei Gewitter)
  • 92 km/h Achenkirch (T, 30.; bei Föhn)

Föhn & Saharastaub bringen Hitze und sehr warme Nacht

Hitze

Österreich liegt am Samstag unter Hochdruckeinfluss und das Wetter gestaltet sich sonnig und sommerlich heiß. In den Abendstunden zieht über Westeuropa ein Tief namens ANNELIE auf, welches in Teilen Frankreichs, Deutschlands und der Schweiz für große Unwettergefahr sorgt (mehr dazu hier). Österreich bleibt davon aber weitgehend verschont, da es hier zunehmend föhnig wird.

Tief Annelie führt feuchtwarme Luft nach Mitteleuropa.

Bis zu 35 Grad und Föhn

Am Samstag scheint verbreitet die Sonne, am Nachmittag ziehen im Westen aber ausgedehnte Schleierwolken auf und die Luft wird zunehmend diesig durch Saharastaub. Die Gewittergefahr ist tagsüber sehr gering, in der Nacht steigt sie nur im äußersten Westen etwas an. Im Osten kommt mäßiger Südostwind auf, an der Alpennordseite wird es zunehmend föhnig. Bei Höchstwerten zwischen 30 und 35 Grad wird es verbreitet hochsommerlich heiß.

Die Prognose von Luftdruck & Wind für Samstagnacht. In der Höhe (ca 3000 m) kommt im Westen stürmischer Südwind auf.

Seltener Sommerföhn

Am Abend und in der Nacht legt der Südwind weiter zu, in den prädestinierten Föhntälern im Westen ist zeitweise mit stürmischen Böen zu rechnen. Auf exponierten Bergen wie etwa dem Patscherkofel gibt es sogar Orkanböen. Es zwar nicht unüblich, dass es im Vorfeld von Kaltfronten auch im Sommer leicht föhnig wird, in dieser Stärke ist Sommerföhn aber ungewöhnlich. Einerseits sind zu dieser Jahreszeit die Druckgegensätze meist gering, andererseits ist auch die Höhenströmung schwächer. Mehr Infos zum Föhn gibt es hier.

Durchschnitt der Föhnstunden pro Monat in Vaduz (© MeteoSchweiz)

Vielerorts Tropennacht

Die Nacht auf Sonntag bringt in Österreich eine ungünstige Kombination:

  • Hochliegende Wolken mit Saharastaub
  • Auflebender Südwind
  • Kurze Nachtdauer

Der aufziehende Saharastaub bzw. die damit verbundenen Schleierwolken verringern nämlich die nächtliche Ausstrahlung (Wärmeabgabe bzw. langwellige Wärmestrahlung der Erde in Richtung Weltraum), zudem verhindert der auflebende Südwind die Entstehung von flachen Kaltluftseen in den Niederungen. Damit kühlt die Luft kommende Nacht nur sehr langsam ab, gebietsweise steht sogar die bislang wärmste Nacht des Sommers bevor. In der Wiener Innenstadt zeichnet sich ein Tiefstwert von etwa 25 Grad ab, aber auch etwa in Linz, Salzburg und Eisenstadt kündigt sich eine Tropennacht an.

Prognose der Tiefstwerte in der Nacht auf Sonntag (zum Vergrößern auf das Bild klicken). © UBIMET

Etwas größer sind die Unsicherheiten noch in den Föhntälern im Westen: In den Tallagen, wo der Föhn die ganze Nacht ununterbrochen weht wie etwa in Innsbruck, ist ebenfalls eine Tropennacht wahrscheinlich. Nur in Bregenz und Klagenfurt ist eine Tropennacht unwahrscheinlich.

Am Samstagabend und in der Nacht regional Unwettergefahr durch Gewitter

Unwetter

Am Samstag liegt Deutschland zunächst unter schwachem Hochdruckeinfluss, im Laufe der zweiten Tageshälfte zieht aus Südwesten aber ein Tief namens ANNELIE auf, dessen Kern aktuell noch über dem Südwesten Frankreichs liegt.

Tief ANNELIE liegt aktuell (Samstagmorgen) noch über dem Südwesten Frankreichs. Über Teilen Italiens erkennt man auch Saharastaub.

Im Süden befinden sich weiterhin feuchtwarme und energiereiche Luftmassen, welche sich mit Annäherung des Tiefs in der Nacht auf weite Teile des Landes ausbreiten. Die Unwettergefahr nimmt somit ab dem Abend ausgehend vom Südwesten rasch zu.

Alle Zutaten für heftige Gewitter sind im Laufe des Abends im Südwesten vorhanden: Extrem feuchte und energiereiche Luft, ausgeprägte Windscherung und ein durchziehendes Tief (Hebunsquelle).

Orkanartige Böen und heftiger Regen

Der Samstag verläuft bis zum Abend weitgehend trocken, nur vereinzelt sind entlang der Warmfront des Tiefs bereits vorlaufende Schauer und Gewitter nicht ganz ausgeschlossen. Ab etwa 20 Uhr nimmt die Gewittergefahr ausgehend vom Oberrhein aber rasch zu, am späten Abend muss man hier mit dem Durchzug von heftigen Gewittern rechnen. Public Viewing ist im äußersten Südwesten (v.a. im Grenzbereich zu Frankreich) somit dringend abzuraten, da die Gewitter hier voraussichtlich noch im Laufe des Achtelfinales (Deutschland-Dänemark) eintreffen werden.

Niederschlagsprognose von 6z-Lauf von ICON-D2.

Die Hauptgefahr stellen teils orkanartige Böen über 100 km/h und ergiebige Regenmengen in kurzer Zeit dar, örtlich ist aber auch großer Hagel möglich. Die größte Wahrscheinlichkeit für teils orkanartige Böen herrscht am Oberrhein, im Rhein-Main-Gebiet sowie in Teilen des Saarlands und von Rheinland-Pfalz.

Ensemble-Prognose der Windböen vom ICON-D2 bis Sonntagmorgen. © www.meteociel.fr

In der Nacht zieht der Gewittercluster (MCS) über die Mitte hinweg, dabei muss man weiterhin mit schweren Sturmböen und Starkregen rechnen. In den Morgenstunden erfasst er dann unter langsamer Abschwächung schließlich die Ostsee. Am Sonntag sind im Tagesverlauf dann in der Mitte und im Osten neuerlich ein paar Schauer und Gewitter zu erwarten, wobei es örtlich zu Sturmböen und kleinem Hagel kommt. Die Unwettergefahr lässt im Vergleich zur Nacht aber deutlich nach.

Zur Wochenmitte regional Gewitter, lokal Gefahr von Überflutungen und Vermurungen

Vermurung

Die Alpennordseite liegt am Dienstag noch unter dem Einfluss eines Hochdruckgebiets über der Ostsee, aus Süden zieht aber langsam ein Höhentief auf.

An der Alpennordseite scheint noch verbreitet die Sonne, von Norditalien und Slowenien ziehen aber Wolken und teils gewittrige Schauer auf (Satellitenbild von Dienstag, 12 Uhr).

Die Abkühlung in der Höhe sorgt für eine zunehmend labile Luftschichtung, somit stiegt die Schauer- und Gewitterneigung am Dienstagnachmittag von Vorarlberg bis in die Südweststeiermark an. Die kräftigsten Gewitter werden gegen Abend in den westlichen Nordalpen in Vorarlberg und Tirol erwartet, hier kann es lokal zu Starkregen, Hagel und kräftigen Windböen kommen. In der Nacht ziehen im Süden weitere, mitunter gewittrige Schauer durch.

Von Dienstag auf Mittwoch zieht aus Süden ein Höhentief auf, dabei gelangt mit einer südöstlichen Strömung feuchtwarme Luft ins Land.

Am Mittwoch lokal viel Regen

Am Mittwoch ziehen im Südosten schon in der Schauer und Gewitter durch, am Vormittag erfassen sich auf das östliche Flachland. Ab Mittag steigt die Schauer- und Gewitterneigung verbreitet an. Vor allem im Südosten, im südlichen Bergland sowie in den westlichen Nordalpen sind lokal auch große Regenmengen in kurzer Zeit möglich mit der Gefahr von kleinräumigen Überflutungen und Vermurungen.

Laut dem aktuellen ICON-D2-Modell liegt der Schwerpunkt in der ersten Tageshälfte im Osten und am Nachmittag dann im Bergland. Die Unsicherheiten sind aber groß.
Die Luft ist am Mittwoch labil geschichtet und sehr feucht, der südöstliche Höhenwind bzw. die Windscherung hingegen eher schwach. Diese Konstellation ist typisch für lokal ergiebige Regenmengen in kurzer Zeit.

Auch am Donnerstag sind nochmals in weiten Teilen des Landes Schauer und Gewitter zu erwarten, die kräftigsten davon gehen voraussichtlich im südlichen und östlichen Bergland nieder. Bei nahezu keinem Höhenwind sind die Gewitter oft ortsfest. Am Freitag ist dann eine Besserung in Sicht und vielerorts wird es sommerlich heiß.

Neue Woche bringt Sonne, Gewitter und zu Beginn der Sommerferien wieder 30 Grad

Badesee

Österreich liegt zu Beginn der kommenden Woche zwischen einem Hoch über Nordeuropa und einem Höhentief über dem Mittelmeerraum, welches sich zur Wochenmitte vorübergehend dem Alpenraum annähert. Damit gestaltet sich das Wetter vor allem im Bergland unbeständig, hier sind ab Dienstag einige Schauer und Gewitter zu erwarten. Am Freitag verlagert sich das Höhentief dann unter Abschwächung nach Osteuropa und zumindest vorübergehend kündigt sich eine Stabilisierung an. Die Temperaturen steigen pünktlich zum Beginn der Sommerferien in den östlichen Bundesländern auf ein hochsommerliches Niveau.

Bis inkl. der Wochenmitte liegt der Alpenraum am Rande eines Höhentiefs.

Zu Wochenbeginn oft sonnig

Der Montag beginnt in den Alpen und im Süden gebietsweise bewölkt, abseits der Berge hingegen oft sonnig und tagsüber setzt sich in den meisten Regionen ein freundlicher Sonne-Wolken-Mix durch. Etwas hartnäckiger sind die Wolken im Süden, vor allem in Kärnten. Meist bleibt es aber trocken, nur vom Arlberg bis zu den Tauern bilden sich am Nachmittag einzelne Schauer. Die Temperaturen erreichen 23 bis 28 Grad.

In den Landeshauptstädten wird es sommerlich warm.

Am Dienstag zweigeteilt

Am Dienstag dominiert an der Alpennordseite und im Osten bei nur harmlosen Wolken der Sonnenschein. Im Süden halten sich einige Wolken und im Bergland bilden sich tagsüber Quellwolken. Ab Mittag gehen in den Alpen von Vorarlberg bis zu den Tauern sowie vereinzelt auch in Unterkärnten und der Obersteiermark Schauer und Gewitter nieder. Die Temperaturen erreichen 23 bis 29 Grad.

Der Dienstag verläuft zweigeteilt.

Schauer und Gewitter

Am Mittwoch und Donnerstag nimmt die Schauer- und Gewitterneigung im gesamten Land zu. Vor allem im Norden und Osten zeigt sich zeitweise die Sonne, im Bergland gehen dagegen schon in der ersten Tageshälfte Schauer nieder. Ab den Mittagsstunden breiten sich dann Schauer und Gewitter örtlich auch auf das Flachland aus. Die Temperaturen ändern sich kaum und erreichen meist 22 bis 29 Grad.

Die Luft ist zur Wochenmitte verbreitet feucht und labil geschichtet. Bei nur wenig Höhenwind zeichnen sich teils ortsfeste Gewitter mit punktuell ergiebigen Regenmengen in kurzer Zeit ab. Die Hauptgefahren sind dabei Überflutungen und Vermurungen. © UWZ

Ab Freitag 30 Grad

Zum Wochenende hin kommt die Sonne wieder häufiger zum Vorschein und nur noch vereinzelt entwickeln sich am Nachmittag im östlichen Bergland lokale Hitzegewitter. Die Temperaturen steigen etwas an, vielerorts gibt es Höchstwerte um 30 Grad. Der Höhepunkt der Hitze wird voraussichtlich am Samstag erreicht, nachfolgend nimmt die Schauer- und Gewitterneigung von Westen her wieder zu, in der Nacht bzw. am Sonntag sind örtlich auch wieder heftige Gewitter möglich.

Ab Freitag sind wieder 30 Grad und mehr in Sicht.

Rückblick: Am Sonntag Gewitter mit großem Hagel, Starkregen und Tornado

Tornado in Ungarn nahe zur Grenze zum Burgenland am 9.6.24. Bild: Storm Science Austria

+++ Letztes Update 21:45 +++

In der Nacht auf Montag bleibt das Wetter unbeständig, vielerorts ziehen weitere Schauer durch bzw. in den kommenden Stunden entlang der Nordalpen auch noch Gewitter. Lokal sind noch kleinräumige Überflutungen möglich, in Summe lässt die Unwettergefahr aber langsam nach. In der zweiten Nachthälfte nimmt die Schauer- und Gewitterneigung dann im Süden neuerlich zu, hier beginnt die neue Woche unbeständig mit weiteren Schauern und Gewittern.

Damit bedanken wir uns für das Interesse an unserem Ticker an diesem unwetterträchtigen Tag, unser Nachtdienst übernimmt nun die weitere Warnarbeit und wir beenden den heutigen Liveticker. Gute Nacht!

+++ Update 21:10 +++

Die Gewitter lassen nun auch im Seewinkel und in den Nordalpen langsam nach, an der Alpennordseite ziehen aber weitere Schauer durch. Anbei kommt eine erste, vorläufige Tagesbilanz.

  • 65.000 Blitzentladungen
  • Lokal Hagel um 6 cm in mehreren Bundesländern
  • Böen bis 90 km/h in Neusiedl am See
  • Ein Tornado im Bereich Großpetersdorf /Hannersdorf / Szombathely
  • 57 l/m² in wenigen Stunden in Nickelsdorf

+++ Update 21:00 +++

Große Regenmengen im Zuge der Gewitter in Seibersdorf und Neusiedl am See. An beiden Orten fast 50 Liter am m² in kurzer Zeit.

+++ Update 20:40 +++

#OS434 ✈️ von Palma nach Wien: Großes Aua am Flugzeug nach einem Date mit der Gewitterzelle über Hartberg in 6000 m Höhe. Nach so einer Landung im Blindflug am Flughafen Schwechat darf man wohl ruhig applaudieren:

+++ Update 20:20 +++

Hier ein Blick auf die aktuelle Blitzverteilung, die kräftigste Zelle zieht gerade über den Seewinkel hinweg!

+++ Update 20:15 +++

Höchste Warnstufe im Nordburgenland! Das Gewitter im Seewinkel hat sich nochmals verstärkt und sorgt örtlich für extremen Starkregen und großen Hagel! Das Gewitter erfasst bald Nickelsdorf. In Seibsersdorf wurden vorhin 50 l/m² in nur einer Stunde gemessen.

+++ Update 20:05 +++

Aktuell ziehen noch zwei besonders kräftige Gewitter in Österreich durch: Ein Gewitter befindet sich im Seewinkel und zieht ostwärts in Richtung Ungarn, eine weiteres dagegen im Tennengau. Es blitzt auch im Unterinntal und im Süden Oberösterreichs, sonst hat sich die Lage etwas beruhigt.

+++ Update 20:00 +++

Anbei noch ein Video vom Tornado-Aufzug in Ungarn.

+++ Update 19:50 +++

Hier ein Hagelbild von Kristina Walitsch aus Sollenau! Wie befürchtet gab es hier Hagel mit einer Korngröße bis 5 cm.

+++ Update 19:45 +++

Auch Scheffau am Wilden Kaiser hat es voll erwischt…

+++ Update 19:35 Uhr +++

Auch im Nordburgenland wird es langsam spannend, hier ein Blick aus Schützen im  Gebirge gen Westen auf die Gewitterzelle mit ausgeprägtem Böenkragen.

+++ Update 19:00 Uhr +++

An der Grenze zu Ungarn wurde ein Tornado bestätigt. Der erste Bodenkontakt war ersten Meldungen zufolge im Raum Großpetersdorf.

+++ Update 19:00 Uhr +++


Hier noch ein paar Bildder der Superzelle mit Großhagel zwischen Wörgl und Kufstein

+++ Update 18:50 Uhr +++

ACHTUNG zwischen Wiener Neustadt und Bad Vöslau! Hier demnächst die Gefahr von Starkregen und Hagel bis 4cm!

+++ Update 18:50 Uhr +++

Hagelkörner mit bis zu 4 cm Durchmesser in St. Ägyd am Neuwalde – die Gewitter ziehen nun langsam ins Wiener Becken!

+++ Update 18:40 Uhr +++

Dieses Bild der kräftigen Gewitterzelle erreicht uns aus der Nähe von Schachendorf (Quelle: Storm Sience Austria)

+++ Update 18:35 Uhr +++

Achtung im Raum Kufstein, ein kräftiges Gewitter bringt hier Hagel und Starkregen! Das Gewitter zieht weiter in Richtung St. Johann in Tirol!

+++ Update 18:20 Uhr +++

Ein Bild des kräftigen Gewitters, welches Kurs auf Teile Wiens nimmt.

+++ Update 18:05 Uhr +++

Im Mostviertel ziehen nun vermehrt Schauer und Gewitter in Richtung Wiener Becken. Auch Wien könnte in etwa 45 Minuten getroffen werden, v.a. die südliche Stadthälfte.

+++ Update 18:00 Uhr +++

Aktuelle Bilder aus der Oststeiermark bzw. dem Mittelburgenland.

+++ Update 17:55 Uhr +++

Das heftige Gewitter in der Oststeiermark zieht in Richtung Mittelburgenland. Vorsicht bei Markt Allhau, der Stögersbach hat noch von den gestrigen Unwettern einen sehr hohen Wasserstand! Die Gefahr von Überflutungen und Vermurungen nimmt neuerlich zu!

Der Pegel vom Stögersbach. © Hydro Burgenland

+++ Update 17:40 Uhr +++

In Pöllau und Hartberg gibt es erste Meldungen von Hagel um 2 bis 3 cm.

+++ Update 17:30 Uhr +++

Anbei ein Bild des Aufwindbereichs der Superzelle bei Hartberg. Vorsicht vor ergiebigem Regen und großem Hagel!

Gewitter bei Hartberg. © C. Matella / UWZ

+++ Update 17:20 Uhr +++

Das Gewitter nördlich von Weiz hat sich weiter verstärkt und zieht ostwärts in Richtung Pöllau/Hartberg. Wir haben soeben die höchste Warnstufe ausgegeben, Vorsicht vor Überflutungen, Vermurungen un Hagel!

+++ Update 17:10 Uhr +++

Im Bezirk Reutte bei Biberwier wird lokal Hagel um 2 cm gemeldet.

+++ Update 17:05 Uhr +++

Im Norden und Osten des Landes zeigt sich aktuell eine zunehmende Auslösebereitschaft von Gewittern. Heute sind im Osten und Südosten einige Storm Chaser unterwegs, u.a. auch unserer Partner von der Storm Science Austria.

Erste größere Quellungen bei Oberwart. © Storm Science Austria

+++ Update 16:55 Uhr +++

In der vergangenen Stunde wurden in Döllach 16 und in Haiming 12 l/m² Regen gemessen. Aktuell hat sich das Gewitter nördlich von Weiz verstärkt, hier herrscht nun Warnstufe rot.

+++ Update 16:45 Uhr +++

In der Obersteiermark entstehen derzeit sowohl über den Niederen Tauern als auch im Grazer Bergland erste Gewitter. Diese ziehen tendenziell ost- bis nordostwärts.

+++ Update 16:45 Uhr +++

Anbei der aktuelle Blick auf die Gewitter im Oberinntal. Die Gewitter werden durch lebhaften Taleinwind im Inntal (aus Osten in Richtung des Gewitters) mit feuchter Luft gefüttert.

+++ Update 16:20 Uhr +++

In Oberkärnten sind einzelne Kräftige Gewitter unterwegs. Anbei der Blick auf das Gewitter, das in Richtung Mölltal zieht.

+++ Update 16:10 Uhr +++

Die Gewitter im Tiroler Oberland werden derzeit kräftiger und ziehen rasch nordostwärts in Richtung Seefelder Plateau. Anbei der Blick auf die aufziehende Regenwand.

+++ Update 15:50 Uhr +++

Mehrere Schauer und Gewitter ziehen aktuell über den Westen und Südwesten hinweg. Lokal kann es dabei zu kräftigem Regen, kleinem Hagel und stürmischen Böen kommen. Derzeit verfolgen wir die Entwicklung im schraffierten Bereich nördlich der Alpen. Hier ist demnächst die Entwicklung weiterer Gewitter möglich, welche dann auch deutlich kräftiger ausfallen können.

Nördlich der Alpen ist eine neue Verstärkung möglich. Daten: © ACG/UBIMET
Ein Kurzwellentrog überquert aktuell die Alpen und sorgt für Gewitter (v.a. im rot gestrichelten Bereich), Ein umfangreicher Höhentrog nähert sich zudem Norditalien (bzw. am Montagmorgen dann auch dem Süden Österreichs).

+++ Update 15:15 Uhr +++

Aktuell zieht ein erstes Gewitter über Osttirol hinweg. Ein weiteres nähert sich dem Gailtal auf der Höhe von etwa Hermagor von Südwesten her.

Das Gewitter in Osttirol. © www.foto-webcam.eu

+++ Update 15:00 Uhr +++

Nach den heftigen Gewitter mit schweren Überflutungen am Samstagabend im Südosten führen hier einige Flüsse weiterhin Hochwasser. Man kann nur hoffen, dass diese Gebiete heute Abend verschont bleiben, weil jedes Gewitter wäre dort eines zu viel. Etwa der Stögersbach in Markt Allhau oder die Strem in Güssing liegen noch immer über der HQ30-Marke.

Der Wasserstand um 15 Uhr. © ehyd

+++ Update 14:45 Uhr +++

Anbei befindet sich eine aktuelle Analyse der Luftmasse überlagert mit dem Infrarot-Satellitenbild. Man erkennt einerseits die energiereiche Luft im Süden, andererseits auch erste Gewitter über Norditalien. In der Luft heute auch einiges an Saharastaub vorhanden, was die Prognoseunsicherheit erhöht. Saharastaub begünstigt nämlich die Entstehung von hochliegenden Schleierwolken, wie es aktuell über Süddeutschland der Fall ist, was wiederum Auswirkungen auf die Einstrahlung und damit die Auslösebereitschaft von Gewittern hat.

+++ Überblick +++

Am Südrand einer nahezu stationären Luftmassengrenze über Süddeutschland muss man am Sonntag erneut mit teils schweren Gewittern rechnen. Örtlich besteht wieder Unwettergefahr durch große Regenmengen in kurzer Zeit, teils großem Hagel und Sturmböen. Der Schwerpunkt liegt am späten Nachmittag und Abend entlang der Nordalpen sowie im Osten des Landes. Im Südosten ist noch unklar ob bzw. wie viele Gewitter entstehen, hier sind jedoch besonders schwere Unwetter mit lokal sehr großem Hagel über 5 cm sowie Tornados möglich. Von Unterkärnten bis in die Südsteiermark sowie vom Arlberg über das Tiroler Oberland bis ins Obere Ennstal ist die Unwettergefahr heute etwas geringer, da es hier leicht föhnig ist. Einzelne Gewitter sind jedoch auch hier zu erwarten, wobei vor allem die Gefahr von Sturmböen besteht.

Wahrscheinlichkeit für Unwetter am Sonntag. © uzwz.at

Der Sonntag stellt bereits den dritten Tag dieser anhaltenden Unwetterlage dar, hier findet ihr einen Rückblick auf die Unwetter am Freitag und Samstag. Am Montag wird die schwülwarme Gewitterluft allmählich nach Südosten abgedrängt, Gewitter sind dann noch von Kärnten bis ins östliche Flachland ein Thema. Die Temperaturen gehen kommende Woche vorübergehend zurück, mehr Infos dazu gibt es hier: Neue Woche bringt die Schafskälte.

Von Donnerstag bis Sonntag kräftige Gewitter mit Hagel und Starkregen

Blitz

Österreich liegt von Donnerstag bis Sonntag am Südrand einer nahezu stationären Kaltfront über Süddeutschland. Mit einer westlichen bis südwestlichen Höhenströmung gelangen zwar sommerlich warme Luftmassen ins Land, das Wetter gestaltet sich aber weiterhin unbeständig.

Südlich der nahezu stationären Luftmassengrenze gelangt energiereiche Luft ins Land.

Das Zusammenspiel aus energiereicher Luft und ausgeprägter Höhenströmung begünstigt in den kommenden Tagen kräftige und teils langlebige Gewitter. Damit nimmt auch die Unwettergefahr zu: Neben kleinräumigen Überflutungen und Vermurungen auf den vielerorts bereits gesättigten Böden kann es vor allem am Wochenende örtlich auch zu großem Hagel und stürmischen Böen kommen.

Die Lage am Donnerstag

Im Laufe des Nachmittags entstehen im zentralen und östlichen Bergland vermehrt Schauer und Gewitter, welche gegen Abend örtlich auch auf das angrenzende Flachland übergreifen können (zB südliches Wiener Becken, Grazer Becken). Am Abend nimmt zudem die Schauer- und Gewitterneigung auch entlang der Nordalpen sowie im Norden zu, etwas geringer bleibt die Gewitterneigung dagegen am Alpenhauptkamm sowie im äußersten Süden. Die Hauptgefahr stellen am Donnerstag große Regenmengen in kurzer Zeit dar, lokal sind aber auch Hagel und kräftige Böen möglich.

Eine Modellprognose von Donnerstagnachmittag bis Donnerstagnacht.

Die Lage am Freitag

Am Freitag kündigt sich die größte Gewittergefahr im Südosten des Landes an. Besonders von Unterkärnten über die Steiermark bis ins Burgenland sind im Laufe des Tages kräftige Gewitter zu erwarten, lokal sind diese aber auch im Nordosten wie etwa im Weinviertel bzw. am Abend dann auch in den Nordalpen möglich. Etwas geringer ist die Gewitterneigung dagegen im Norden (Oberösterreich). Die Unwettergefahr nimmt zu, so besteht vor allem im Südosten örtlich die Gefahr von Hagel, Starkregen und teils stürmischen Böen.

Für Experten: Ein prognostiziertes Vertikalprofil für Graz am Freitag: Das Potentia für kräftige Gewitter ist erhöht (feuchte, energiereiche Luft & ausgeprägte Höhenströmung).

Der Ausblick aufs Wochenende

Am Samstag und Sonntag sind im Tagesverlauf ausgehend vom Bergland erneut kräftige Gewitter zu erwarten, dabei zeichnet sich örtlich die Gefahr von Starkregen, großem Hagel und stürmischen Böen ab. Zu Wochenbeginn erfasst uns schließlich die Kaltfront, dabei fällt im Westen und Norden häufig Regen und im Südosten ziehen weitere Gewitter durch. Mit den Temperaturen geht es wieder bergab.

Am Sonntag sind im Süden lokal bis zu 30 Grad in Reichweite. Zu Wochenbeginn geht es wieder abwärts mit den Temperaturen.

Flash Floods und Vermurungen

Überschwemmung Hochwasser Gewitter

Unter einer Sturzflut (flash flood) versteht man eine plötzliche Überschwemmung. Diese treten auf, wenn mehr Wasser vom Himmel fällt, als im Boden versickern oder von einem Fluss abgeleitet werden kann. Im Berg- und Hügelland bahnen sich dann große Wassermassen mit hoher Geschwindigkeit ihren Weg hangabwärts – oft in Zusammenspiel mit Vermurungen – und im Flachland kommt es zu Überflutungen.

Sturzfluten

Ursachen einer Sturzflut sind in erster Linie große Regenmengen innerhalb kürzester Zeit. Das geschieht speziell im Sommer bei nur langsam ziehenden Gewitterzellen, die sich dann an Ort und Stelle ausregnen. Kommt es nach einem solchen Gewitterguss innerhalb von wenigen Stunden zu einer verheerenden Überschwemmung, spricht man von einer Sturzflut.

Sturzfluten treten vor allem bei Gewittern auf, manchmal können aber auch Gletscherabbrüche oder plötzlich kollabierende Dämme an einem Fluss eine Sturzflut weiter stromabwärts auslösen.

Flash Floods in den USA

Besonders anfällig für eine Sturzflut sind trockene und tief gelegene Gebiete. Durch häufige Trockenheit ist der Boden nämlich meist stark versiegelt, dass praktisch das gesamte Regenwasser oberflächlich abläuft. Auf der Erde trifft diese gefährliche Kombination aus Trockenheit und schweren Gewittern im Sommer speziell im Südwesten der USA auf: Die Canyons in Arizona, Utah und Nevada sind berüchtigt für ihre zerstörerischen flash floods. Oft kreuzen Wanderwege sowie spärlich befahrene Straßen die ausgetrockneten Flussbetten, immer wieder werden hier Menschen von Sturzfluten überrascht. Dabei kann auch ein kilometerweit entferntes – und womöglich gar nicht sichtbares – Gewitter eine tückische Sturzflut auslösen. Auch in Europa ist dieses Phänomen nicht unbekannt, ganz besonders im Mittelmeerraum.

Gefahren

Aufgrund ihrer Plötzlichkeit sind Sturzfluten extrem gefährlich. Das Potential dafür kann man zwar oft schon Tage im Voraus erkennen, wo es aber tatsächlich zu einer Sturzflut kommt, zeigt sich oft erst während des Ereignisses: Tatsächlich spielt dafür nämlich nicht nur die Intensität eines Gewitters eine Rolle, sondern auch dessen Verlagerungsrichtung und -geschwindigkeit, die Bodenversiegelung sowie auch die Form des Einzugsgebiet eines darunterliegenden Gewässers.

Das Auto bietet keinen Schutz, da schon eine 50 cm hohe Flutwelle locker ausreicht, um ganze Fahrzeuge samt Insassen wegzuspülen. Erschwerend kommt hinzu, dass eine Sturzflut oft nicht nur aus Wasser besteht: Die Flutwelle reißt größere Gegenstände wie Baumstämme und Steine mit – diese gefährden Menschen zusätzlich. Alleine in den USA sterben pro Jahr durchschnittlich mehr als 100 Menschen bei einer Sturzflut, also mehr als durch Blitzschlag, Tornados oder Hurrikans! Auch in Europa kommt es jährlich zu Todesopfern, ganz besonders in den Herbstmonaten im Mittelmeerraum.



Gewitter brachten im Mai 136.000 Blitze in Österreich

Gewitter

Der Mai stellt in Österreich meist den Beginn der klassischen Gewittersaison dar. Heuer war er durch viel Tiefdruckeinfluss geprägt, so gab es deutlich mehr Regentage als üblich und in einigen Regionen auch stark überdurchschnittliche Niederschlagsmengen (wir berichteten darüber bereits hier: Mai brachte viel Regen.)

Ungewöhnlich viel Tiefdruckeinfluss über Westeuropa hat im Alpenraum zu einigen Süd- bis Südostlagen mit feuchtmilder geführt.

Hotspot Burgenland

In Summe wurden in Österreich im Mai 136.305 Blitzentladungen detektiert, was etwa 15 Prozent über dem 10-jährigen Mittel liegt. Die meisten Blitze gab es in Niederösterreich, im Verhältnis zur Fläche gab es die höchste Blitzdichte allerdings im Burgenland, hier war es sogar der blitzreichste Mai seit Messbeginn vor 15 Jahren. Österreichweit gab es aber schon Jahre mit deutlich mehr Blitzen im Mai, wie etwa der Mai 2018 mit 330.000 Entladungen.

Bezirke mit der höchsten Blitzdichte

  • 6,3 Blitze/km² Eisenstadt
  • 5,9 Blitze/km² Oberpullendorf
  • 5,8 Blitze/km² Rust und Eisenstadt-Umgebung
Die Blitzdichte im Mai 2024. © UBIMET

Im Osten mehr Blitze als üblich

Bei der regionalen Verteilung zeigen sich wie üblich größere Unterschiede: Während die Blitzhäufigkeit im Osten zum Teil stark überdurchschnittlich war, gab es von Vorarlberg bis Kärnten deutlich weniger Gewitter als sonst. Dies hat zwei Gründe:

  • Die Großwetterlage: Im Süden und Westen gab es aufgrund der Lage des Tiefs mehr Wolken und weniger hohe Temperaturen als im Osten.
  • Die Schneelage: In den Hochlagen am Alpenhauptkamm lag überdurchschnittlich viel Schnee, was die Neigung zu Wärmegewittern verringert.

Annähernd durchschnittlich war die Blitzanzahl im Mai in der Steiermark und in Salzburg.

Abweichung der Blitzanzahl zum 10-jährigen Mittel
Burgenland +174 %
Niederösterreich +34%
Wien +32%
Oberösterreich +19%
Steiermark +8%
Salzburg -10%
Vorarlberg -49%
Tirol -62%
Kärnten -78%
Die Gewitter haben im Mai lokal für große Regenmengen in kurzer Zeit gesorgt. © UBIMET
Starkregen und Hagel
Ein Gewitter mit Starkregen und kleinem Hagel am 6. Mai im Osten Wiens. © N. Zimmermann

Der blitzreichste Tag des Monats war der 25. Mai mit 28.396 Blitzen, als es allein in Niederösterreich 12.140 Entladungen gab.

  • 25.5. mit 28.396 Entladungen
  • 6.5. mit 17.085 Entladungen
  • 21.5. mit 15.787 Entladungen
Gewitterfront
Die Böenfront eines Gewitters über Wien am 25. Mai. © Storm Science Austria

Die stärksten Blitze wurden am 25. Mai im Bezirk Mistelbach erfasst. Anders als oft vermutet kann man anhand von der Blitzstärke aber nicht auf die Stärke eines Gewitters Rückschlüsse ziehen. Oft treten starke Blitze mit sehr lauten Donnern auch bei vergleichsweise harmlosen Kaltluftgewittern auf.

Die stärksten Blitze im Mai in Österreich

Tornado in Graz

In Erinnerung bleibt vor allem der 21. Mai, als in Graz ein Tornado beobachtet wurde. Er dürfte im Westen der Stadt (Eggenberg) entstanden sein und dann weiter in Richtung Plabutsch gezogen sein. Er wurde vom ESWD als IF1 eingestuft, also mit lokalen Windspitzen von bis zu etwa 150 km/h. Weiteres Infos zu diesem Ereignis gibt es hier. Ein weiterer Tornado wurde am selben Tag in Schattendorf (Bez. Mattersburg) im Burgenland beobachtet, von diesem Ereignis gibt es aber keine Aufnahmen.

Hochwasser an der Donau in Bayern

Das vorübergehend ortsfeste Tief „Radha“ über Mitteleuropa hat wie erwartet vor allem im Süden Deutschlands von Donnerstagabend bis Samstagnachmittag für ergiebige Regenmengen gesorgt. Nach einer vorübergehenden Unterbrechung kam es am Sonntagabend örtlich zu kräftigen gewittrigen Schauern und am Montag hat ein weiteres Höhentief über Norditalien zu einem weiteren Regenereignis im Alpenvorland geführt.

Analyse der Regenmengen in den vergangenen 5 Tagen. © UBIMET

Am meisten Regen gab es im Gebiet vom Norden Vorarlbergs über Oberschwaben bis ins nördliche Oberbayern (also vom Großraum Bregenz über den Raum Memmingen/Augsburg bis etwa Ingolstadt), hier gab es allein von Donnerstagabend bis Samstagabend innerhalb von 48 Stunden verbreitet 100 bis 130 bzw. lokal auch über 150 l/m² Regen. Statistisch entsprechen dieses Niederschlagsmengen v.a. im Südwesten Bayerns einer Wiederkehrzeit von teils >100 Jahren. Innerhalb von fünf Tagen (von Donnerstagmorgen bis Dienstagmorgen) gab es regional wie etwa in den Landkreisen Lindau, Ravensburg, Unterallgäu und Ostallgäu (sowie lokal auch im Rems-Murr-Kreis) gab es >200 l/m² Regen.

Hochwasser

Vor allem am Oberlauf der Donau und seinen Zuflüssen kam es am Sonntag zu einem extremen Hochwasser, an einzelnen Pegeln der südlichen Donauzuflüsse wurden die Rekordwasserstände von 1999, 2002, 2005 und 2013 übertroffen, wie etwa am Unterlauf von Günz, Zusam, Schmutter oder auch Paar (teils >100-jähriges Hochwasser).

Mittlerer Niederschlag im Einzugsgebiet flussaufwärts (für jeden Punkt entlang der Flussläufe wurde berechnet, wie viel Niederschlag stromaufwärts pro Flächeneinheit gefallen ist). © UBIMET

An der Donau in Bayern wurde die Meldestufe 4 verbreitet überschritten, die historischen Wasserhöchststände von 1999, 2005 oder 2013 wurden aber meist nicht erreicht. Nur am Oberlauf zwischen etwa Günzburg und Dillingen an der Donau wurden neue Höchststände verzeichnet (nach vorläufigen Rohdaten). In Oberschwaben ist der Hochwasserscheitel der Donau mittlerweile durch, von Ingolstadt bis Passau steigt der Wasserstand dagegen noch leicht, hier wird der Höchststand am Dienstagnachmittag oder -abend erwartet.

In Passau steht der Hochwasserscheitel kurz bevor. Daten: HND Bayern

Inn entschärft die Lage

Am Pegel in Passau wird Dienstagabend ein Wasserstand von etwas über 1000 cm erwartet, der Rekord vom 3.6.2013 lag bei 1289 cm. Das Hochwasser 2013 war hier also wesentlich schlimmer, da damals auch die Alpen betroffen waren bzw. der Inn Hochwasser führte, was heuer nicht der Fall ist. Dies ist auch der Grund, weshalb an der Donau in Österreich kein schweres Hochwasser erwartet wird. Die Hochwasserlage in Bayern wird sich nach der Wochenmitte langsam entspannen.

Im Inntal wurde die HW1-Marke nicht erreicht, erst in Oberaudorf an der Grenze zu Bayern war dies der Fall). Daten: Land Tirol

Hochwasser an der Donau

Das vorübergehend ortsfeste Tief „Radha“ über Mitteleuropa hat vor allem im Süden Deutschlands von Donnerstagabend bis Samstagnachmittag für ergiebige Regenmengen gesorgt. Nach einer vorübergehenden Unterbrechung kam es am Sonntagabend örtlich zu kräftigen gewittrigen Schauern und am Montag hat ein weiteres Höhentief über Norditalien zu einem weiteren Regenereignis geführt.

Analyse der Regenmengen in den vergangenen 5 Tagen. © UBIMET

Am meisten Regen gab es im Gebiet vom Norden Vorarlbergs über Oberschwaben bis ins nördliche Oberbayern (also vom Großraum Bregenz über den Raum Memmingen/Augsburg bis etwa Ingolstadt), hier gab es allein von Donnerstagabend bis Samstagabend innerhalb von 48 Stunden verbreitet 100 bis 130 bzw. lokal auch über 150 l/m² Regen. Statistisch entsprechen dieses Niederschlagsmengen v.a. im Südwesten Bayerns einer Wiederkehrzeit von teils >100 Jahren.

Der nasseste Ort in Österreich war Bregenz mit mehr als 270 l/m² Regen. In Wien wurde am Montag mit 71,6 l/m² in 24h nur knapp ein neuer Tagesrekord für den Juni verfehlt.

Vor allem am Oberlauf der Donau im Westen Bayerns kam es am Sonntag zu einem extremen Hochwasser, an einzelnen Pegeln der südlichen Donauzuflüsse wurden die Rekordwasserstände von 1999, 2002, 2005 und 2013 übertroffen, wie etwa am Unterlauf von Günz, Zusam, Schmutter oder auch Paar (teils >100-jähriges Hochwasser).

Mittlerer Niederschlag im Einzugsgebiet flussaufwärts (für jeden Punkt entlang der Flussläufe wurde berechnet, wie viel Niederschlag stromaufwärts pro Flächeneinheit gefallen ist). © UBIMET

Hochwasser an der Donau

An der Donau in Bayern wurde die Meldestufe 4 verbreitet überschritten, die historischen Wasserhöchststände von 1999, 2005 oder 2013 wurden aber meist nicht erreicht. Nur am Oberlauf zwischen etwa Günzburg und Dillingen an der Donau wurden neue Höchststände verzeichnet (nach vorläufigen Rohdaten). In Oberschwaben ist der Hochwasserscheitel der Donau mittlerweile durch, von Ingolstadt bis Passau steigt der Wasserstand dagegen noch leicht, hier wird der Höchststand am Dienstagabend oder kommende Nacht erwartet. Die Wassermassen vom Oberlauf der Donau bzw. seiner Nebenflüsse kommen nun in Österreich zusammen und sorgen hier abschnittsweise für ein mittleres Hochwasser (HQ5-HQ10). Ähnlich war die Lage zuletzt im Juli 2021, wir berichteten darüber hier.

In Passau steht der Hochwasserscheitel noch an. Daten: HND Bayern
Der Wasserstand steigt auch in Linz noch etwas an. Bild: http://www.linzcam.at/
Der Pegel der Donau in Korneuburg erreicht bald die HQ5-Marke. Daten: Hydr. Dienst Niederösterreich.
Seit Sonntag fließt Wasser beim Einlaufbauwerk in die Neue Donau. Aktuell sind es schon fast 1000 m³/s. Daten: Hydr. Dienst Niederösterreich.

Inn entschärft die Lage

Am Pegel in Passau wird Dienstagabend oder -nacht ein Wasserstand von etwas über 1000 cm erwartet, der Rekord vom 3.6.2013 lag bei 1289 cm. Das Hochwasser 2013 war hier also wesentlich schlimmer, da damals auch die Alpen betroffen waren bzw. der Inn Hochwasser führte, was heuer nicht der Fall ist. Dies ist auch der Grund, weshalb an der Donau in Österreich kein schweres Hochwasser erwartet wird. Die Hochwasserlage wird am Mittwoch andauern, frühestens im Laufe des Donnerstags wird der Wasserstand langsam wieder sinken.

Im Inntal wurde die HW1-Marke nicht erreicht, erst in Oberaudorf an der Grenze zu Bayern war dies der Fall). Daten: Land Tirol

Am Montag Regen und Gewitter, örtlich Gefahr von Überflutungen

Blitz

Ein Höhentief zieht zu Wochenbeginn von der Adria über Kroatien nach Ungarn. An seiner Nordflanke hält sich sehr feuchte Luft, somit muss man am Montag in ganz Österreich mit einer hohen Schauer- und Gewitterneigung rechnen. Tagsüber liegt der Schwerpunkt im Berg- und Hügelland, aber auch im Flachland gehen lokale Gewitter nieder.

Das Höhentief zieht von der Adria nach Ungarn und sorgt in Österreich für eine nordöstliche Strömung.

In den Abendstunden staut sich dann am Alpenostrand weiterhin sehr feuchte Luft aus Nordost, damit sind auch am Alpenostrand und im Burgenland regional große Regenmengen möglich. Am Balkan von Bosnien und Herzegowina ostwärts kommt es dagegen im Laufe des Tages zu heftigen Gewittern mit teils großem Hagel und schweren Sturmböen.

Regional viel Regen

Von Vorarlberg bis ins westliche Niederösterreich fällt am Montag immer wieder schauerartiger Regen, mitunter auch kräftig und gewittrig durchsetzt. Inneralpin sowie im Osten und Süden zeigt sich zwischen einzelnen Schauern ab und zu die Sonne, ab den Mittagsstunden nimmt die Gewitterneigung aber verbreitet zu. Die Gefahr von kleinräumigen Überflutungen und Vermurungen ist erhöht, vor allem auf den gesättigten Böden in den westlichen Nordalpen sowie am Alpenostrand und in der Steiermark.

Modellprognose für Montag. Lokal sind noch höhere Spitzen möglich.

Die Luftdruckgegensätze sind gering, daher kommen die Gewitter nur langsam vom Fleck und sorgen örtlich für ergiebige Regenmengen in kurzer Zeit. In der Nacht fällt vor allem im östlichen Bergland und im Osten noch teils kräftiger, schauerartiger Regen.

An der Alpennordseite Besserung in Sicht

Der Dienstag beginnt im östlichen Bergland und stellenweise auch im Flachland mit Regen, welcher am Vormittag rasch abklingt. Nachfolgend scheint zeitweise die Sonne, besonders über dem westlichen und südlichen Bergland bilden sich aber rasch Quellwolken und weitere Schauer. An der Alpennordseite macht sich dagegen eine Wetterbesserung bemerkbar: Am Bodensee, im Donauraum und später auch im Osten stellt sich ein freundlicher Sonne-Wolken-Mix ein. Bei mäßigem Nordwestwind steigen die Temperaturen auf 19 bis 25 Grad.

Im südöstlichen Bergland gewittrig

Am Mittwoch und Donnerstag ziehen an der Alpennordseite zeitweise Wolkenfelder durch, meist bleiben diese aber harmlos. Im Bergland und im Süden bilden sich nach einem trockenen und abseits einiger Restwolken oft sonnigen Start Quellwolken sowie lokale Schauer, vor allem im südlichen und östlichen Bergland sind auch einzelne Gewitter dabei. Bei maximal 20 bis 26 bzw. lokal auch 27 Grad geht es mit den Temperaturen langsam weiter bergauf. Zum Wochenende hin steigt die Gewitterneigung ausgehend vom Bergland generell wieder an, die Temperaturen steigen aber ebenfalls noch leicht an und pendeln sich auf einem sommerlichen Niveau ein.

Mai brachte viel Regen, in Österreich wärmstes Frühjahr seit Messbeginn

Hohe Tauern

Der meteorologische Frühling, der vom 1. März bis zum 31. Mai dauert, war der wärmste seit Messbeginn vor 258 Jahren. Die größten Abweichungen zwischen +2 und +2,5 Grad wurden im Norden und Osten verzeichnet, während die Abweichungen am Alpenhauptkamm sowie in Osttirol und Oberkärnten bei +1 Grad lagen. Im Flächenmittel war das Frühjahr damit um 1,9 Grad milder als im Mittel von 1991 bis 2020.

Entscheidend für die Endbilanz waren vor allem der rekordwarme März mit einer Abweichung von +3,5 Grad sowie auch der rekordwarme April mit einer Abweichung von +1,5 Grad. Der erste Sommertag wurde am 30. März in Oberndorf an der Melk verzeichnet, am 7. April wurde in Bruck an der Mur dann bereits erstmals die 30-Grad-Marke erreicht, so früh wie noch nie zuvor in Österreich. Am 14. April gab es sogar in fünf Bundesländern einen Hitzetag, in Deutschlandsberg wurden bis zu 31,7 Grad erreicht. Nach der Monatsmitte kam es zu einem außergewöhnlichen Kaltlufteinbruch und die Schneefallgrenze sank am 16. in Kärnten bis in tiefe Lagen ab. Es folgten mehrere Frostnächte, was u.a. aufgrund der bereits außergewöhnlich fortgeschrittenen Vegetationsentwicklung zu Schäden in Millionenhöhe in der Landwirtschaft geführt hat.

Der heftigste Wettersturz innerhalb von 48 Stunden in der Messgeschichte Villachs.

In Summe brachte das Frühjahr um etwa 15 Prozent mehr Niederschlag als üblich, damit wurde die seit gut einem Jahr andauernde Serie an überdurchschnittlich feuchten Jahreszeiten fortgesetzt. Die größten Abweichungen wurden in Osttirol und Oberkärnten, in Vorarlberg sowie im Südosten verzeichnet. Von Tirol bis ins Mostviertel waren die Mengen annähernd durchschnittlich bzw. regional in Oberösterreich auch leicht unterdurchschnittlich.

Nasseste Orte

  • 759 Liter pro Quadratmeter Loibl (K)
  • 657 Liter pro Quadratmeter Alberschwende (V)
  • 641 Liter pro Quadratmeter Bregenz (V)

Mai 2024: Regional milder als üblich

Der dritte Monat des Frühjahrs war heuer durch regen Tiefdruckeinfluss geprägt. Mit einer südlichen Strömung gelangte dabei wiederholt feuchtwarme Luft ins Land. Österreichweit betrachtet schließt der Mai rund 0,7 Grad zu warm ab, vergleicht man ihn mit dem langjährigen Mittel von 1991 bis 2020. In Ober- und Niederösterreich sowie in Wien wurden Abweichungen zwischen +1 und +1,5 Grad verzeichnet, nahezu durchschnittlich war der Monat dagegen in Vorarlberg sowie vom Tiroler Alpenhauptkamm über Kärnten bis in die Weststeiermark. Im Gegensatz zum April gab es im Mai zudem keinen Hitzetag, die höchste Temperatur wurde mit 27,4 Grad in Langenlebarn bei Tulln am 30. Mai gemessen.

Höchste Temperaturen

  • 31,7 Grad Deutschlandsberg (ST, 14.)
  • 31,6 Grad Bruck an der Mur (ST, 14.)
  • 31,0 Grad Hartberg (ST, 14.)

Tiefste Temperaturen (<1000 m)

  • -7,8 Grad Liebenau / Gugu (OÖ, 26.4.)
  • -7,3 Grad Schwarzau im Freiwald (NÖ, 20.3.)
  • -6,8 Grad Seckau (ST, 8.3.)

Mai regional trüb und sehr nass

Der Mai war vor allem im Süden und Südosten von großen Niederschlagsmengen geprägt, so gab es in Osttirol und Oberkärnten sowie in Teilen der Steiermark mehr als doppelt so viel Niederschlag wie üblich. Im Grazer Bergland sowie im Bereich der Karnischen Alpen lag die Bilanz sogar bei 250 Prozent. Ähnlich sieht die Bilanz auch im Norden Vorarlbergs aus, etwa in Bregenz lag der Anteil vom klimatologischen Niederschlag v.a. aufgrund eines Starkregenereignisses am Monatsende bei 220 Prozent. Hier wurde am Monatsletzten mit 148 mm in 24 Stunden auch ein neuer Tagesniederschlagsrekord in einem Frühling aufgestellt.
Etwas weniger Niederschlag als üblich gab es dagegen vom Inneren Salzkammergut bis ins Mostviertel, beispielsweise im Kremsmünster gab es nur etwas mehr als die Hälfte die üblichen Regenmenge. Im landesweiten Flächenmittel lag die Niederschlagsbilanz bei 133 Prozent.


Auffällig ist auch die hohe Anzahl an Regentagen, so wurde etwa im Mürztal an bis zu 26 Tagen messbarer Niederschlag verzeichnet. Wenn man die Tage mit mindestens 1 mm Niederschlag betrachtet, liegen der Präbichl, Sillian und Unterach am Attersee mit jeweils 22 an der Spitze, also etwa doppelt so viele wie üblich.


Dies spiegelt sich auch bei der Blitzbilanz wieder, mit 136.000 Blitzentladungen gab es etwa 15 Prozent mehr Blitze als im 10-jährigen Mittel. Die höchste Blitzdichte gab es im Innviertel, im Nordburgenland und in der Oststeiermark.

Blitzentladungen im Frühjahr

  • 42.575 Niederösterreich
  • 36.006 Steiermark
  • 29.537 Oberösterreich

Die Sonnenscheinbilanz lag bei -12 Prozent, wobei der Monat besonders im Süden und Westen deutlich trüber als üblich war. Etwa in Osttirol und Oberkärnten erreichten die Abweichungen sogar -35 Prozent. Von Oberösterreich bis ins östliche Flachland war es dagegen nahezu durchschnittlich sonnig bzw. regional wie im Salzkammergut und am Hausruck gab es sogar ein knappes Plus von etwa 5 bis 10 Prozent.

Anhaltender Regen: Im Süden Hochwasser

Überschwemmungen

Deutschland gelangt derzeit zunehmend unter den Einfluss eines Höhentiefs mit Kern über Norditalien, welches sich am Samstag langsam nordwärts in Richtung Tschechien verlagert. Im Zusammenspiel mit dem dazugehörigen Bodentief namens „Radha“ fällt im Süden Deutschlands anhaltender Regen.

Am Rande von Tief Radha wird feuchte Luft in die Südhälfte des Landes heführt.

Anhaltender Regen

Am Freitag liegt der Regenschwerpunkt im Westen Österreichs bzw. im äußersten Süden Deutschlands und breitet sich in der zweiten Tageshälfte auf den Südwesten und die Mitte Bayerns sowie den Osten Baden-Württembergs aus. Die größten Mengen von teils mehr als 100 mm sind in Oberschwaben und im Bregenzerwald zu erwarten, ein zweites Maximum mit ähnlichen Mengen zeichnet sich im Bereich der Schwäbischen Alb ab (zwischen Reutlingen und Schwäbisch Gmünd). Örtlich kündigen sich hier Spitzen bis 150 mm an! Teils große Regenmengen zwischen 50 und 90 mm sind aber recht verbreitet in den Gebieten zwischen etwa München, Nürnberg, Stuttgart und dem Bodensee zu erwarten. In diesen Regionen muss man in den kommenden Stunden mit zunehmender Hochwassergefahr rechnen! Aktuelle Pegel und Hochwasserwarnungen gibt es hier: www.hochwasserzentralen.de

Aktuelle Regenprognose verschiedener Modelle bis Sonntagmorgen (Klick zum Vergrößern).

Schauer und Gewitter

Am Abend und in der Nacht greifen Schauer und eingelagerte Gewitter auch auf den Norden Bayerns bzw. Teile von Thüringen und Sachsen über. Am Samstag muss man hier mit weiteren Schauern und Gewittern mit teils großen Regenmengen rechnen, die Unsicherheiten sind aber noch erhöht. Der Sonntag bringt in den betroffenen Regionen weitere Schauer und lokale Gewitter, in Summe ist aber eine zögerliche Entspannung in Sicht. Die großen Flüsse wie die Donau werden allerdings Hochwasser führen.

Aktuelle Regenwarnungen: www.uwr.de

Am Freitag in Vorarlberg und Tirol kräftiger Regen, auf den Bergen Schnee

Stark anschwellender Bach ©shutterstock

Die Großwetterlage in Europa ist derzeit festgefahren. „Ein umfangreiches und nahezu ortsfestes Hochdruckgebiet über dem Ostatlantik wird sowohl an seiner Südwestflanke als auch an seiner Südostflanke von Tiefdruckgebieten flankiert. Bei der aktuellen Lage des Hochs herrscht in Mitteleuropa anhaltender Tiefdruckeinfluss. Diese Wetterlage wird auch „Omega-Lage“ genannt, weil die Ausrichtung der Strömung am Rande des Hochs dem griechischen Buchstaben „Omega“ (Ω) ähnelt.

Die aktuelle Omega-Lage sorgt in Mitteleuropa für teils regnerisches Wetter.

Kräftiger Regen im Westen

Am Freitag gelangt der Alpenraum unter den Einfluss eines Italientiefs, welches sich am Samstag nordwärts nach Polen verlagert. Damit dominieren in Österreich verbreitet die Wolken und vor allem im Westen und Süden fällt verbreitet Regen. Tagsüber regnet es in Nordtirol zeitweise intensiv, gegen Abend verlagert sich der Schwerpunkt dann nach Vorarlberg. In den westlichen Nordalpen regnet es bis Samstagmorgen anhaltend und intensiv, vor allem rund um den Bregenzerwald nimmt die Gefahr von kleinräumigen Überflutungen und Vermurungen zu.

Am Freitag regnet es vor allem im Bregenzerwald zunehmend intensiv.

Die Schneefallgrenze sinkt am Freitag im Westen auf 2000 bis 1600 m ab, somit muss man am Arlbergpass mit etwas Nassschnee rechnen. Im Hochgebirge kommt auf den Gletschern teils mehr als ein halber Meter Neuschnee zusammen.

24h-Neuschneeprognose für Freitag.

Im Osten und Norden ziehen dagegen nur vorübergehend Schauer und lokale Gewitter durch, zwischendurch gibt es hier auch ein paar Auflockerungen. Die Temperaturen kommen im westlichen Bergland kaum über die 10-Grad-Marke hinaus, im Osten gibt es bis zu 22 Grad.

Regenwarnungen für den Freitag: www.uwz.at

Verhaltener Sommerbeginn

Der Samstag verläuft von Vorarlberg bis Oberösterreich weiterhin trüb und häufig nass, im Tagesverlauf lässt die Regenintensität aber nach und die Schneefallgrenze steigt wieder auf über 2000 m an. Etwa von Salzburg und Osttirol ostwärts ziehen nur einzelne Schauer oder Gewitter durch und zumindest zeitweise kommt auch die Sonne zum Vorschein. Im Norden und Osten weht kräftiger Westwind, vom Mostviertel bis ins Wiener Becken sind auch stürmische Böen zu erwarten. Die Höchstwerte liegen am ersten Tag des meteorologischen Sommers zwischen 14 und 23 Grad.

Weiterhin unbeständig

Am Sonntag hält die trübe und fast schon herbstliche Wetterphase im Westen an, zumindest zeitweise gibt es aber auch trockene Abschnitte. Von den Tauern bis an den Alpenostrand zeigt sich zwischen einzelnen Schauern ab und zu die Sonne, im Süden scheint sie häufig. Am Nachmittag besteht aber auch dort eine geringe Schauer- und Gewitterneigung. Je nach Sonne steigen die Temperaturen auf 15 bis 25 Grad.
Die neue Woche startet ebenfalls unbeständig, erst zur Wochenmitte zeichnet sich eine zögerliche Besserung ab und die Temperaturen steigen auf ein frühsommerliches Niveau.

Der Trend geht nur langsam aufwärts.

Gewitter: Von der Einzelzelle bis zur Superzelle

Gewitter bei einem Bauernhof. © pixabay.com

Allgemein spricht man von einem Gewitter, sobald ein Donner hörbar ist, während Niederschlag keine Grundvoraussetzung darstellt. Gewitterzellen können unterschiedliche Strukturen aufweisen, zudem fallen sie je nach Windscherung und vertikaler Schichtung der Atmosphäre auch unterschiedlich stark und langlebig aus.

Einzelzelle

Für die Entstehung von Gewittern sind grundsätzlich drei Zutaten notwendig:

  • ausreichend Feuchtigkeit v.a. in der Grundschicht der Atmosphäre (damit Wolken entstehen können)
  • eine potentiell labile Luftschichtung (Konvektion setzt erst ein, wenn ausreichend latente Wärme durch Kondensation freigesetzt wird)
  • einen Auslöser bzw. Hebungsmechanismum, damit die Luft in tiefen Schichten überhaupt zum Aufsteigen gebracht wird (wie beispielsweise eine Kaltfront oder eine bodennahe Windkonvergenz).

Wenn diese Voraussetzungen gegeben sind und Luft aufsteigt, dann beginnt der enthaltene Wasserdampf zu kondensieren. Die dadurch freigesetzte Energie sorgt für weiteren Auftrieb, wodurch sich die allzubekannte Gewitterwolke – auch Cumulonimbus genannt – bilden kann. Durch das Auf- und Abwirbeln kollidieren Wasser-, Eis- und Graupelpartikel miteinander, was zu einer Ladungstrennung führt. Dadurch in manchen Wolkenbereichen eine positive Ladung und in anderen eine negative Ladung. Durch Blitzentladungen kann dieser Ladungsunterschied ausgeglichen werden.

Ein Einzelzellengewitter. © NOAA10kn

Der einsetzende Niederschlag wird von Verdunstungsprozessen begleitet, wodurch Abwinde entstehen. Da Auf- und Abwind jedoch räumlich nicht genügend voneinander getrennt sind, behindern die Abwinde die Aufwinde und kappen die Zufuhr weiterer „Gewitternahrung“ ab. Das Gewitter schwächt sich ab und zerfällt. In der Regel weisen solche Gewitter eine Lebensdauer von etwa 30 bis 45 Minuten auf und werden von Platzregen sowie manchmal auch von kräftigen Böen und kleinem Hagel begleitet.

Gewitter
Eine alleinstehendes Gewitter mit der typischen Amboss-Struktur. © AdobeStock

Multizellen

Gewitter weisen oft eine mehrzellige Struktur auf, damit werden sie per Definition zu einer Multizelle. Diese Gewitter sind insgesamt langlebiger als ordinäre Gewitter und können bei passenden Bedingungen zu großen Gewitterkomplexen heranwachsen: Wenn die Winde in der Höhe eine stärkere Windgeschwindigkeit aufweisen als die Winde in Bodennähe (also wenn es vertikale Windscherung gibt), können bei einem Gewitter die Aufwindzone von der Abwindzone getrennt werden. Dadurch wird die Zufuhr an feuchtwarmer Luft nicht unterbrochen. Bei solchen Gewitterkomplexen kann man in der Regel mehrere Gewitterzellen in unterschiedlichen Entwicklungsstadien beobachten: Vollständig ausgebildete Gewitter, sich neu entwickelnde Zellen sowie auch bereits zerfallende Zellen.

Vereinfachte Dartstellung der Konvektion innerhalb einer Gewitterwolke. © Nikolas Zimmermann
Diese Einzelzelle hat das Potential zur Multizelle heranzuwachsen, da der verwehte Eisschirm  auf etwas Windscherung hindeutet. © N. Zimmermann
Ein Multizellengewitter. © NOAA

Je nach Windscherung, Luftschichtung sowie auch topographischem Einfluss können Multizellen sehr unterschiedliche Strukturen und Verlagerungsrichtungen aufweisen, beispielsweise können sie sich manchmal sogar entgegen der vorherrschenden Windströmung in mittleren Höhen verlagern. Bei starker Windscherung entwickeln sich manchmal sogar mehrere hundert Kilometer lange Gewitterlinien. Multizellen können zu Starkregen, Sturmböen und Hagel führen.

Quellwolken eines Gewitters - pixabay.com
Eine Multizelle. © pixabay.com
Gewitterlinie am IR-Satellitenbild (inkl. Blitze) am 29. Juni 2021.

Superzellen

Superzellen sind deutlich seltener als ordinäre Gewitter bzw. Multizellen, sie sorgen aber oft für erhöhte Unwettergefahr. Es handelt sich dabei um meist langlebige, kräftige und alleinstehende Gewitter, welche einen beständigen rotierenden Aufwind aufweisen („Mesozyklone“). Superzellen entstehen bei ausgeprägter Windscherung: Bei einer starken vertikalen Windzunahme bilden sich nämlich quer zur Strömung horizontal liegende Luftwalzen. Der Aufwind eines entstehenden Gewitters saugt diese Luftwalze ein und kippt ihre Achse in die Senkrechte, wobei sich der Drehimpuls nach und nach auf den gesamten Aufwindbereich überträgt. Auf Zeitraffern lässt sich diese dadurch erkennen, dass die Gewitterwolke um eine vertikale Achse rotiert.


Die Zufuhr feuchtwarmer Luft wird dabei durch den räumlich getrennten Abwindbereich, in dem der Niederschlag ausfällt, nicht gestört. Superzellen können für schwere Sturmböen, Starkregen, großen Hagel und in manchen Fällen auch für Tornados sorgen.  Superzellen präsentieren sich aber je nach Feuchtigkeitsangebot unterschiedlich, so gibt es LP-Superzellen (low precipitation, siehe auch Zeitraffer oben), klassische Superzellen und HP-Superzellen (high precipitation, siehe Zeitraffer unten).


 

 

Titelbild: Superzelle über Wien am 12. August 2019 © M. Spatzierer

Blockierte Wetterlage: Hochwasser im Südwesten, Trockenheit im Osten

Gewitter mit Starkregen. Bild von Tobias Hämmer auf Pixabay

Wenn ein umfangreiches und nahezu ortsfestes Hochdruckgebiet an seiner Südost- und Südwestflanke von zwei Tiefdruckgebieten flankiert wird, sprechen Meteorologen von einer „Omega-Blocking-Lage“. Grund für diesen Name ist die Form der Strömung im Uhrzeigersinn rund um das Hoch bzw. gegen den Uhrzeigersinn um die Tiefs, welche bei solch einer Anordnung dem griechischen Buchstaben „Omega“ (Ω) ähnelt. Diese Wetterlage ist äußerst stabil und kann über mehrere Tage oder sogar Wochen anhalten.

Eine Omega-Lage bestimmt aktuell das Wettergeschehen in Europa.

Trockenheit im Osten

Das blockierende Hoch liegt derzeit über dem Baltikum sowie Russland und verhindert im Nordosten Deutschlands sowie generell in Nordosteuropa die Zufuhr an feuchter Luft vom Atlantik oder aus dem Mittelmeerraum. Am Wochenende sind zwar auch in diesen Gebieten ein paar Schauer und Gewitter zu erwarten, die Trockenheit wird dadurch aber kaum gelindert. Tatsächlich war besonders von Sachsen-Anhalt ostwärts der gesamte Frühling bislang deutlich zu trocken.

Der Frühling war im Osten bislang deutlich zu trocken, im Westen dagegen viel zu nass.
Wind und Trockenheit sorgen für eine sehr hohe Waldbrandgefahr im Nordosten.

Hochwasser im Südwesten

Über Westeuropa liegt bis auf Weiteres ein nahezu ortsfestes Tief, welches schubweise feuchtwarme Luft aus dem Mittelmeerraum nach Mitteleuropa führt. Am Freitag regnet es besonders im Saarland anhaltend und kräftig, zum Teil kommen hier mehr als 100 l/m² in weniger als 24 Stunden zusammen (siehe Warnungen auf der Homepage). Am Wochenende ist zwar eine Entspannung in Sicht, eine nennenswerte Änderung der Großwetterlage zeichnet sich aber nicht ab. Bereits am kommenden Dienstag drohen in der Südhälfte regional wieder ergiebige Regenmengen in kurzer Zeit, die Gefahr von Überflutungen bleibt also bestehen.

Niederschlagsprognose bis kommenden Dienstag: Im Nordosten Deutschlands bringen Schauer und Gewitter nur lokal nennenswerte Mengen.

Gewitter in Österreich: wo es am häufigsten blitzt

Blitz und Gewitter

Grundsätzlich treten Gewitter in Mitteleuropa im gesamten Jahr auf, im Winter sind sie aber relativ selten: Meist handelt es sich um Graupelgewitter oder um schnell ziehende Gewitter an der Kaltfront eines Sturmtiefs. Die eigentliche Gewittersaison im Alpenraum beginnt meist im April und endet im September. Dies hängt in erster Linie mit dem Sonnenstand zusammen, so beginnt die Saison bei passender Großwetterlage ein paar Wochen nach dem Frühlingsäquinoktium und endet ein paar Wochen vor dem Herbstäquinoktium, wenn die Tage länger als etwa 13 Stunden dauern.

Mit durchschnittlich weniger als 200 Entladungen sind November und Dezember die blitzärmsten Monat des Jahres in Österreich, der Juli dagegen der blitzreichste. © www.uwz.at

April heuer unterdurchschnittlich

Im April kommt es in Österreich durchschnittlich zu knapp 10.000 Blitzentladungen über 5 kA, wobei es von Jahr zu Jahr je nach Großwetterlage große Unterschiede gibt. Besonders blitzreich war etwa der April 2014 mit knapp 40.000 Entladungen, während der April 2019 keine 1.000 Entladungen brachte. Heuer war der April unterdurchschnittlich mit nur 3250 Entladungen >5 kA, wobei die meisten davon im Zuge einer markanten Wetterumstellung innerhalb weniger Stunden am 15. April verzeichnet wurden.

Hochsaison

Der Höhepunkt der Gewittersaison mit zahlreichen und mitunter heftigen Gewitterlagen geht von etwa Ende Mai bis Mitte August. Der blitzreichste Monat überhaupt in Österreich ist meist der Juli.

Die meisten Gewittertage gibt es im Bergland
Tage mit Gewitter anhand von Flughafenbeobachtungen (Gewitter = hörbarer Donner). © Kaltenböck (2000) via Dorau (2006)

In Österreich beginnt die Hochsaison zunächst im südöstlichen Berg- und Hügelland, wo es aufgrund der geographisch speziellen Lage am Alpenostrand häufig zu zusammenströmenden Tal- bzw. Hangwinden kommt. Am Alpenhauptkamm sorgen die noch schneebedeckten Berge dagegen für einen verzögerten Saisonbeginn, so startet die Saison in Innsbruck meist erst im Juni durch. Neben den inneralpinen Lagen ist auch der Nordosten vergleichsweise blitzarm, hier spielen u.a. Föhneffekte bzw. trockene Luft eine entscheidende Rolle.

Die mittlere Blitzdichte pro Jahr von 2010 bis 2019 (alle Stromstärken).

Heftige Gewitterlagen können allerdings auch abseits der Hochsaison auftreten, so war etwa im Jahr 2018  in Wien bereits der 2. Mai der blitzreichste Tag der Saison. Selbst im Winter sind manchmal starke Gewitter möglich, wie zuletzt etwa am 21. Dezember 2023, als es an der Kaltfront von Sturmtief Zoltan zu Gewittern mit Orkanböen in Oberösterreich kam. Tatsächlich ist die Luft im Hochsommer zwar energiereicher, allerdings ist der Wind in der Höhe meist deutlich schwächer ausgeprägt als im Winterhalbjahr, und dieser spielt für heftige Gewitter ebenfalls eine wichtige Rolle.

Hotspots

Im 10-jährigen Mittel stechen bei der Blitzdichte in Österreich zwei Regionen ganz besonders hervor:

  • Das südöstliche Berg- und Hügelland (von den Niederen Tauern über das Grazer Bergland bis ins Südburgenland)
  • Der Alpennordrand (vom Kaiserwinkl über den Flachgau bis ins Gesäuse)

Die Bezirke mit der höchsten Blitzdichte sind Weiz, Graz-Umgebung und Hartberg-Fürstenfeld, gefolgt von Graz, Jennersdorf und Salzburg Stadt. Am wenigsten Blitze gibt es dagegen am Alpenhauptkamm vom Montafon bis zu den Ötztaler Alpen. Mehr Infos dazu gibt es hier: Die blitzreichsten Regionen des Landes. Der österreichische Hagelrekord stammt allerdings aus dem Weinviertel, mehr Infos dazu gibt es hier: Hagelrekorde.

Typische Gewitterzugbahnen in Österreich. Bei Südwest- bis Westlagen ist vor allem die Alpennordseite betroffen, bei West- oder Nordwestlagen dagegen eher der Süden bzw. Südosten.

Auf mitteleuropäischer Ebene befinden sich die blitzreichsten Regionen dagegen in Norditalien, ganz besonders am Alpensüdrand nördlich von Mailand, im Nordosten Italiens von Venetien bis Friaul bzw. zur nördlichen Adria sowie auch an der Südwestflanke der Apenninen von Ligurien bis in die Toskana.

Mittlere Blitzdichte (>5 kA). © UBIMET

Gewitterneigung nimmt zu

Am Rande eines umfangreichen Tiefs über dem Ostatlantik stellt sich in Österreich derzeit eine Südlage ein. Damit sind in den kommenden Tagen u.a. im südlichen Bergland sowie in den westlichen Nordalpen von Vorarlberg bis in den Flachgau lokale Gewitter zu erwarten. In der zweiten Wochenhälfte sind dann v.a. im Südosten auch einzelne kräftige Gewitter möglich und im Süden zeichnet sich regional gewittrig durchsetzter Starkregen ab. Mehr Infos dazu folgen in den kommenden Tagen.

 

 

Stärkster Sonnensturm seit 2003: Polarlichter in Österreich

Polarlicht

In den vergangenen Tagen war die Sonnenaktivität außergewöhnlich hoch. Wie bereits hier berichtet haben mehrere große Eruptionen zu erdzugewandten koronalen Massenauswürfen geführt. Die ersten davon haben am Freitagabend die Erde erfasst und in der Nacht zu einem extremen Sonnensturm geführt, dabei waren in ganz Österreich zeitweise Polarlichter sichtbar.

G5-Sturm

Wenn ein Sonnensturm auf die Erde trifft und dabei die Magnetosphäre stört, spricht man von einem geomagnetischen Sturm. Die NOAA verwendet eine 5-stufige Skala, welche von G1 bis G5 reicht. Zeitweise wurde in der Nacht auf Samstag das höchste Niveau „G5-extrem“ erreicht. Weitere Infos dazu gibt es auch hier: Vom Sonnenwind zum Sonnensturm

Am Freitagabend wurde die G5-Schwelle erreicht. © NOAA


Stärkster Sturm seit 2003

Eine weitere Einstufung basiert auf dem vergleichsweise zeitnah zur Verfügung stehenden disturbance storm time index (Dst-Index): Schwankungen zwischen -20 und +20 nT sind normal, ab einer Abschwächung unter -50 nT spricht man von einem geomagentischen Sturm. Vergangene Nacht wurde ein vorläufiger Wert von -412 nT ermittelt. Damit war der Sturm vergleichbar mit jenen von Oktober und November 2003. Deutlich stärker waren die Ereignisse im Jahre 1989, in einer eigenen Liga spielte sich zudem das sog. Carrington-Ereignis im Jahre 1859 ab.

Das Ereignis vergangene Nacht war in etwa vergleichbar zu den Sonnenstürmen Ende Oktober 2003 sowie auch am 20. November 2003. Live-Daten: Dst-Index (Anmerkung: laut einer andere Studie war das Carrington-Ereignis eine Spur weniger extrem mit einem Wert von etwa -900 nT, was in etwa vergleichbar wäre mit einem Sturm im Mai 1921).

Sturm setzt sich fort

Wer die Nordlichter vergangene Nacht verpasst hat, kann dies Samstag- und Sonntagnacht mit etwas Glück nachholen: Es wird die Ankunft weiterer CMEs erwartet, welche auf die bereits stark gestörte Magnetosphäre der Erde treffen. Damit ist eine neuerliche Verstärkung des andauernden Sonnensturms möglich und die Chance für Polarlichter in Österreich bleibt erhöht.

CME 1 & 2 haben Freitagnacht den G5-Sturm ausgelöst (gelber Punkt = Sonne, grüner Punkt = Erde). © NOAA

Live-Daten

Die Intensität der Nordlichter variiert stark im Laufe der Zeit, was man nur kurzfristig prognostizieren kann. Vergangene Nacht gab es hierzulande beispielsweise drei besonders intensive Phasen mit deutlich sichtbaren Nordlichtern. Anbei eine kurze Anleitung zu einer der einfachsten Methoden, wie man erkennen kann, ob es sich rentiert rasch einen dunklen Ort aufzusuchen (Live-Daten hier):


Weiters ist es hilfreich lichtempfindliche Webcams zu beobachten, wie beispielsweise einige Kameras in den Alpen auf foto-webcam.eu sowie auch raxalpe.panomax.com

Nordlichter über dem Schneeberg im Mai 2024.

Die Wolkenprognose für die Nacht auf Sonntag sieht im Süden und Osten zwar eine Spur weniger günstig aus als noch Freitagnacht, zumindest zeitweise zeichnen sich im Laufe der Nacht aber auch hier größere Wolkenlücken ab. Gute Bedingungen sind neuerlich an der Alpennordseite zu erwarten.

Wolkenprognose von zwei unterschiedlichen Modellen für Samstag, 23 Uhr.

Sonnenzyklus 25

Die Sonnenaktivität zeigt sich vor allem an der wechselnden Häufigkeit der Sonnenflecken sowie an ihrer Lage relativ zum Äquator der Sonne. Etwa alle 11 Jahre weist die Sonne ein Maximum an Sonnenflecken auf. Der aktuelle Sonnenzyklus hat im Dezember 2019 begonnen und ist der 25. seit Beginn der Aufzeichnungen im Jahre 1755. Wir befinden uns derzeit im aktivsten Abschnitt, die voraussichtlich noch bis inkl. kommenden Winter andauern wird. In dieser Zeit kommt es immer wieder zu Phasen mit sehr hoher Sonnenaktivität und damit auch zu Sonnenstürmen.

Der Verlauf von Sonnenzyklus 25 inkl. Prognosen. © https://helioforecast.space/solarcycle


Video: Zeitraffer aus Wien von C. Matella.

Am Montag von Oberösterreich bis Wien lokale Gewitter

Blitz und Gewitter

Im Vorfeld einer Kaltfront muss man am Montag in Teiles Österreichs mit einer erhöhten Schauer- und Gewitterneigung rechnen. Tagsüber scheint im Norden bzw. in der Osthälfte noch häufig die Sonne und bei Höchstwerten um 25 Grad wird es vor allem im Osten und Südosten frühsommerlich warm. Am Nachmittag bilden sich im Berg- und Hügelland aber vermehrt Quellwolken und die Gewitterneigung steigt an der Alpennordseite an.

Prognose der Höchstwerte am Montag.

Lokal kräftige Gewitter

Im Laufe des Nachmittags zeichnen sich zunächst in den Nordalpen in Tirol sowie auch entlang Niederösterreichischen Voralpen und im Waldviertel erste Gewitter ab, diese ziehen nordostwärts in Richtung Wien bzw. Weinviertel und können lokal für große Regenmengen in kurzer Zeit und kleinen Hagel zwischen 1 und 2 cm sorgen. Inneralpin bleibt es dagegen trocken, da hier lebhafter Föhn weht. In den Abendstunden ziehen dann vor allem im Flachgau und in Oberösterreich Gewitter durch, hier besteht dann zusätzlich die Gefahr von stürmischen Böen um 70 km/h.

Regenprognose von Montagmittag bis Montagnacht.

Moderate Abkühlung

Im Laufe der Nacht auf Dienstag zieht die Kaltfront auch im Osten durch und bei lebhaft auffrischendem Westwind wird die feuchtmilde Luft im östlichen Flachland ausgeräumt. Zeitweise kann es dabei in der Nacht nochmals regnen, vereinzelt sind auch noch Gewitter eingelagert. In der zweiten Nachthälfte klingt die Gewittergefahr rasch ab. Am Dienstag gestaltet sich das Wetter dann überwiegend bewölkt und regional nass, dabei kommen die Temperaturen nicht mehr über 12 bis 22 Grad hinaus.

Die Temperaturen passen sich zur Wochenmitte dem jahreszeitlichen Mittel an.

Rückblick: Gewitterwolken am Sonntagabend

Am Sonntagabend sind südlich von Wien lokale Gewitter durchgezogen, die gut 10 km hochreichenden Gewitterwolken (Cumulonimbus) wurden von der untergehenden Sonne wunderschön angeleuchtet. Es gibt einige Bilder davon, auch unsere Webcam hat das Naturschauspiel eingefangen.

April 2024: Wetter-Achterbahnfahrt mit Hitze, Gewitter, Frost und Schnee

Jahreszeiten

Die erste Hälfte des Aprils verlief heuer rekordwarm, so gab es gleich am Monatsersten, dem Ostermontag, hochsommerliche Temperaturen bis zu 28,5 Grad in Wien. Am 7. April wurde in Bruck an der Mur erstmals die 30-Grad-Marke erreicht, so früh wie noch nie zuvor in Österreich. Nur eine Woche später, am 14. April, gab es dann schon in fünf Bundesländern einen Hitzetag, in Deutschlandsberg wurden sogar 31,7 Grad erreicht. In Summe wurde allein an diesem Tag an einem Drittel aller Wetterstationen des Landes ein neuer Monatsrekord aufgestellt.

HÖCHSTE TEMPERATUREN
  • 31,7 Grad Deutschlandsberg (ST, 14.)
  • 31,6 Grad Bruck an der Mur (ST, 14.)
  • 31,0 Grad Hartberg (ST, 14.)
  • 30,9 Grad Villach (K, 14.)
  • 30,7 Grad Innsbruck (T, 14.)
  • 30,5 Grad Graz (ST, 14.)
  • 30,3 Grad Schönau an der Enns (OÖ, 8.)
  • 30,2 Grad Güssing (B, 14.)
  • 30,1 Grad Pottschach-Ternitz (NÖ, 14.)
Zum Vergrößern auf das Bild klicken.

Österreichweit betrachtet schließt der April rund 1,5 Grad zu warm ab, vergleicht man ihn mit dem langjährigen Mittel von 1991 bis 2020. Die größten positiven Abweichungen von bis zu +2,5 Grad wurden im Rax-Schneeberg-Gebiet und im südlichen Wiener Becken gemessen. Nur knapp überdurchschnittlich mit Abweichungen zwischen +0,5 und +1 Grad war der April im äußersten Westen sowie im Drautal.

Kaltlufteinbruch mit Frost und Schnee

Zur Monatsmitte kam es zu einer Umstellung der Großwetterlage, welche am 16. April am Alpenostrand zu kräftigen Gewittern geführt hat. Im Bezirk Neunkirchen kam es zu Starkregen und Hagel, u.a. in Pottschach-Ternitz gab es mit 76 mm Tagesniederschlag einen neuen Monatsrekord. Nur wenige Stunden später sank die Schneefallgrenze im Süden bis in tiefe Lagen ab, u.a. in Villach und Klagenfurt wurde es nochmals weiß.

Der heftigste Wettersturz innerhalb von 48 Stunden in der Messgeschichte Villachs. © www.foto-webcam.eu

In den folgenden 10 Tagen lagen die Temperaturen unter dem jahreszeitlichen Mittel, was seit Jahresbeginn erst dem zweiten nennenswerten Kaltlufteinbruch entspricht.

Temperaturabweichungen in Wien und Innsbruck seit Jahresbeginn.

Im Zeitraum vom 18. bis zum 27. April folgten auch mehrere Frostnächte, was u.a. aufgrund der bereits außergewöhnlich fortgeschrittenen Vegetationsentwicklung zu Schäden in Millionenhöhe in der Landwirtschaft geführt hat. Ersten Abschätzungen zufolge wurde die Hälfte des steirischen Obstanbaus in Mitleidenschaft gezogen.

Winterliche Webcambilder im April am 16. (Weinebene), 21. (Fernpass), 23. (Packsattel) und 24. (Bucklige Welt).
Tiefste Temperaturen (<1000 m)
  • -7,8 Grad Liebenau / Gugu (OÖ, 26.)
  • -6,9 Grad Schwarzau im Freiwald (NÖ, 26.)
  • -5,8 Grad Seckau (ST, 22.)
  • -5,7 Grad Weitensfeld (K, 21.)
  • -5,5 Grad Zeltweg (ST, 22.)

Am Monatsende wurde es bei föhnigem Südwind dann neuerlich sommerlich warm. In Summe schließt der April als einer der fünfzehn wärmsten seit Messbeginn ab, der Kaltlufteinbruch nach der Monatsmitte konnte lediglich eine Top10-Platzierung verhindern.

Die Wärmerekorde in der ersten Monatshälfte stellen den Kaltlufteinbruch in den Schatten.

Teils nass, teils trocken

Im landesweiten Flächenmittel brachte der April etwa 10 Prozent mehr Niederschlag als üblich, wobei es regional große Unterschiede gab. Die nassesten Orte liegen in einem Streifen vom Bezirk Neunkirchen bis in den Seewinkel, hier gab es mehr als doppelt so viel Niederschlag wie üblich. Deutlich zu trocken war der Monat dagegen im Waldviertel sowie teils auch im Tiroler Oberland sowie im Lavanttal. Entlang der Nordalpen und im Süden war der Monat in etwa durchschnittlich nass.

Nasseste Orte
  • 188 Liter pro Quadratmeter Alberschwende (V)
  • 185 Liter pro Quadratmeter Kolm-Saigurn (S)
  • 183 Liter pro Quadratmeter Mittelberg (V)
Trockenste Orte
  • 11 Liter pro Quadratmeter Raabs/Thaya (NÖ)
  • 14 Liter pro Quadratmeter Gars am Kamp (NÖ)
  • 15 Liter pro Quadratmeter Langenlois, Horn (NÖ)

Die Sonnenscheindauer war von Unterkärnten bis ins Burgenland überdurchschnittlich, mit den größten Abweichungen um +20 Prozent im Grazer Bergland. Im Westen gab es dagegen etwas weniger Sonnenschein als üblich, in Vorarlberg liegt die Bilanz bei -20 Prozent. Daraus resultiert im landesweiten Mittel eine durchschnittliche Gesamtbilanz. Die höchstens Windspitzen wurden am Monatsersten im Zuge eines Föhnsturms verzeichnet.

Stärkste Windspitzen Niederungen

114 km/h Zell am See (S, 1.)
109 km/h Gumpoldskirchen (NÖ, 10.)
108 km/h Hollenthon / Bucklige Welt (NÖ, 1.)
102 km/h Gstatterboden / Gesäuse (ST, 1.)
101 km/h Mariazell (ST, 1.)

Hagel
Hagel im Bezirk Neunkirchen am 16. April. © R. Reiter

Italientief bringt von Kärnten bis Niederösterreich Regen und Schnee

Schnee auf der Autobahn

Österreich gerät derzeit zunehmend unter den Einfluss eines Mittelmeertiefs namens „Biruta“, welches in der Nacht auf Dienstag bzw. am Dienstag sehr feuchte Luft ins Land führt. In der Nacht auf Mittwoch zieht ein weiteres Randtief vom Balkan in Richtung Polen und sorgt vor allem im Osten für kräftigen Regen bzw. in mittleren Höhenlagen für Schneefall.

Das aufziehende Italientief (Satellitenbild von 14 Uhr) beeinflusst bereits den Westen des Landes.

Regional Schnee bis in tiefe Lagen

Im Westen fällt bereits am Montag zeitweise ein wenig Regen bzw. oberhalb von etwa 700 bis 900 m Schnee, die Mengen bleiben aber gering. In den Abendstunden breiten sich Regen und Schneefall aber ostwärts aus und in der Nacht auf Dienstag regnet und schneit es im Süden zeitweise kräftig. Die Schneefallgrenze sinkt auf 600 bis 400 m ab, damit schneit es in Kärnten und im Murtal meist bis in tiefe Lagen. In Osttirol und Oberkärnten sind meist 5 bis 10, in höheren Tallagen auch 15 cm Schnee zu erwarten.
Die berechnete Wahrscheinlichkeit für Schneefall oder Schneeregen am Dienstag um 5 Uhr. © UBIMET

Teils winterliche Straßenverhältnisse

Der Dienstag gestaltet sich trüb und häufig nass, in der Früh ist vor allem vom Wald- und Mostviertel bis in den Wienerwald sogar bis in die Niederungen mit etwas Nassschnee zu rechnen. Im Tagesverlauf steigt die Schneefallgrenze von Nord nach Süd auf 500 bis 900 m an. In Kärnten, in der Obersteiermark sowie auch in höheren Lagen von der Buckligen Welt über den Wienerwald bis ins Waldviertel muss man in der Früh mit teils spätwinterlichen Straßenverhältnissen rechnen. Aufgrund der fortgeschrittenen Jahreszeit bzw. Belaubung der Bäume ist zudem die Schneebruchgefahr erhöht.

Neuschneeprognose von Montagabend bis Dienstagabend. © UBIMET

Trockene Abschnitte sind am ehesten Richtung Innviertel oder im Südwesten zu erwarten, aber auch hier hat die Sonne kaum eine Chance. Bei mäßigem Wind aus Ost bis Nordost werden lediglich für Ende April extrem niedrige 1 bis 9 Grad erreicht.

Warnungen für den Dienstag (Stand: 22. April 2024, 15 Uhr). © www.uwz.at

Nasskalt am Mittwoch

Der Tiefpunkt der Wetterlage wird im Osten am Mittwoch erreicht: Ein Randtief, das auf einer „Fünf-b-Zugbahn„, vom Balkan in Richtung Polen zieht, sorgt von Dienstagnacht bis Mittwochnachmittag vor allem im Osten für trübes, nasses und kühles Wetter. Besonders entlang der östlichen Nordalpen sowie im Nordosten regnet und schneit es zeitweise kräftig, die Schneefallgrenze bewegt sich zwischen 300 und 700 m. Vom Mariazellerland bis in die Gutensteiner Alpen zeichnen sich einige Zentimeter Neuschnee ab. Der Wind dreht auf Nordwest und weht mäßig, im östlichen Flachland auch lebhaft bis kräftig. Die Höchstwerte liegen zwischen 3 und 10 Grad.

Prognose der Temperaturen am Mittwochnachmittag.

Spätwinter holt zum letzten Schlag aus

Schnee im Frühjahr

Die Großwetterlage in Europa hat sich seit der Monatsmitte grundlegend umgestellt und aus Norden gelangt derzeit kühle Luft arktischen Ursprungs ins Land. Die Temperaturen in Österreich liegen seit vergangenem Dienstag etwa 5 Grad unter dem jahreszeitlichen Mittel. Es handelt es sich erst um den zweiten nennenswerten kühlen Wetterabschnitt seit Jahresbeginn, weil die Temperaturen von Ende Jänner bis Mitte April nahezu durchgehend überdurchschnittlich hoch waren.

Erstmals seit Mitte Jänner gibt es u.a. in Wien und Innsbruck wieder einen längeren kühlen Wetterabschnitt (zum Vergrößern auf die Graphik klicken).

Weiterhin kühl

Zu Wochenbeginn dominieren meist die Wolken, nur im Südosten gibt es nennenswerte sonnige Auflockerungen. Im Westen fällt zeitweise etwas Schnee bzw. in tiefsten Lagen wie dem Rheintal auch Regen. Am Abend breiten sich Regen und Schneefall auch auf den Süden aus, die Schneefallgrenze liegt bei 500 bis 800 m. Von Salzburg und Graz ostwärts bleibt es noch trocken, die Temperaturen kommen aber nicht über 3 bis 12 Grad hinaus.
Der Dienstag gestaltet sich trüb und vor allem im Süden häufig nass. Die Schneefallgrenze liegt meist zwischen 500 und 700 m, in der Früh ist vom Mühl- und Waldviertel bis in den Wienerwald aber zeitweise bis in die Niederungen mit etwas Nassschnee zu rechnen. Längere trockene Abschnitte sind am ehesten im westlichen Donauraum und im Salzkammergut zu erwarten. Bei mäßigem Ostwind kühlt es noch etwas ab, maximal werden 2 bis 11 Grad erreicht.

Ein Vb-Tief zieht auf.

Am Mittwoch Regen und Schnee

Am Mittwoch hält das trübe und oft nasse Wetter an, ein Tief auf einer sog. „Fünf-b-Zugbahn“ sorgt besonders entlang der östlichen Nordalpen sowie im Osten zunächst für kräftigen Regen bzw. bereits oberhalb von 400 bis 700 m für Schneefall. Auf den Bergen sind vor allem von der Eisenwurzen bis zu den Gutensteiner Alpen teils mehr als 30 cm Neuschnee zu erwarten, aber auch in mittleren Höhenlagen wie etwa in Hochstraß muss man nochmals mit teils winterlichen Straßenverhältnissen rechnen. Ein paar Sonnenstunden gehen sich am ehesten in Osttirol bei aufkommendem Nordföhn aus. Der Wind dreht auf Nordwest und frischt im Osten lebhaft bis kräftig auf. Die Höchstwerte liegen meist nur zwischen 3 und 8 Grad, nur in Osttirol gibt es rund 10 Grad.

Neuschneeprognose für Dienstag und Mittwoch.

Wechselhafter Donnerstag

Der Donnerstag beginnt an der Alpennordseite mit einzelnen Regen- bzw. oberhalb von 500 m auch Schneeschauern. Tagsüber setzt sich verbreitet ein Sonne-Wolken-Mix durch, über dem Berg- und Hügelland bilden sich Quellwolken und besonders in der Osthälfte einzelne Schauer. Dabei steigt die Schneefallgrenze gegen 1000 m an. Im Westen bleibt es meist trocken. Die Luft erwärmt sich auf 7 bis 14 Grad.

Am Wochenende wieder 20 Grad

Ab Freitag setzt sich die Wetterbesserung fort. Nach einem regional nochmals leicht frostigen Start kommt vor allem an der Alpennordseite und im Osten wieder häufig die Sonne zum Vorschein. Die Temperaturen steigen von Tag zu Tag an: Am kommenden Wochenende wird es leicht föhnig, damit zeichnen sich sich vielerorts wieder Höchstwerte über 20 Grad ab.

Zum Wochenende hin geht es wieder aufwärts mit den Temperaturen.

Am Sonntag in Kärnten und der Steiermark bis zu 30 Grad, dann Wettersturz

Frühling Alpen

Der Alpenraum liegt am Wochenende unter dem Einfluss eines umfangreichen Hochdruckgebiets namens Peter. Bei nur harmlosen Wolken dominiert verbreitet der Sonnenschein und die Temperaturen steigen nochmals auf ein außergewöhnliches Niveau für die Jahreszeit: Der Samstag verläuft frühsommerlich mit Höchstwerten zwischen 23 und 28 Grad, am Sonntag kündigen sich im Süden lokal sogar 30 Grad an. Besonders warm wird es im Raum Bruck an der Mur, in der Südsteiermark, im Drautal, im Raum Villach sowie auch im Lavanttal.

Prognose der Höchstwerte am Sonntag (zum Vergrößern auf das Bild klicken).

Die Temperaturen liegen am Sonntag teils mehr als 10 Grad über dem jahreszeitlichen Mittel. Erst am vergangenen Sonntag wurde in Bruck an der Mur mit 30,0 Grad der früheste Hitzetag der österreichischen Messgeschichte aufgestellt, der zuvorige Rekord stammte vom 17. April 1934. Dieser wird heuer somit voraussichtlich noch ein zweites mal übertroffen.

Zu Wochenbeginn Schauer und Gewitter

Mit Annäherung einer Kaltfront überwiegen am Montag die Wolken, nur im Süden und ganz im Osten scheint anfangs noch die Sonne. An der Alpennordseite breitet sich bald schauerartiger Regen aus, in der zweiten Tageshälfte gehen im südlichen Bergland und im Osten dann Schauer bzw. lokal auch Gewitter nieder. Am längsten freundlich bleibt es vom Klagenfurter Becken bis in die Südoststeiermark mit föhnigem Südwestwind. Auch an der Alpennordseite frischt kräftiger Westwind auf und von Nord nach Süd liegen die Höchstwerte nur noch zwischen 14 und 25 Grad.

Am Montag breiten sich Schauer und lokale Gewitter aus.

Der Dienstag bringt dichte Wolken und vor allem von Kärnten bis ins Burgenland regnet es kräftig. Auch entlang der Nordalpen gehen Schauer nieder, oberhalb von etwa 1000 bis 1400 m fällt Schnee. Trockene Abschnitte sind im Tagesverlauf im äußersten Norden sowie teils auch in Osttirol zu erwarten. Bei lebhaftem bis kräftigem Nordwestwind kommen die Temperaturen nicht mehr über 6 bis 14 Grad hinaus.

Die neue Woche startet nass. © ECMWF/UBIMET

Nachhaltige Abkühlung

In der zweiten Wochenhälfte verbleibt Österreich im Einflussbereich einer nördlichen Strömung, damit gelangen weiterhin kühle Luftmassen in den Alpenraum. Die Schneefallgrenze sinkt zur Wochenmitte in den Nordalpen zeitweise gegen 700 m ab, oberhalb von etwa 1200 m zeichnet sich im Westen nochmals Neuschnee ab . Die Temperaturen steigen frühestens ab dem übernächsten Wochenende wieder etwas an, so hohe Temperaturen wie aktuell werden aber voraussichtlich nicht erreicht. Die zweite Aprilhälfte dürfte damit in Summe deutlich kühler als die erste Aprilhälfte ausfallen, welche mit einer mittleren Abweichung von mehr als +6 Grad zum Mittel von 1991 bis 2020 rekordwarm ausfällt.

Der April war bislang rekordwarm, aufgrund der mittelfristigen Modellprognosen ist ein weiterer Monatsrekord wie im Februar und März aber unwahrscheinlich.
Temperaturtrend in 1500 m Höhe („freie Atmosphäre“).

Wetterextreme zu Ostern in Österreich

Hase im Schnee

Das Osterfest findet jährlich zwischen dem 22. März und dem 25. April statt. Genauso variabel wie das Datum gestaltet sich auch das Wetter, wobei das Datum nicht der einzige Grund dafür ist. Im Frühjahr befinden sich im hohen Norden nämlich noch kalte Luftmassen (die arktische Meereisfläche erreicht im März ihre maximale Ausdehnung), somit kann sich das Wetter bei einer ausgeprägten Nord- oder Nordostlage auch im Alpenraum nochmals spätwinterlich gestalten. Andererseits gelangen bei einer Südwestlage, so wie es heuer der Fall ist, schon sehr milde Luftmassen aus Nordafrika zu uns, welche durch Föhneffekte zusätzlich erwärmt werden.

Prognose der Höchstwerte zu Ostern 2024: In Nordskandinavien herrscht Dauerfrost, in Südosteuropa wird es sommerlich bzw. in Tunesien sogar hochsommerlich.

Schnee im Jahr 2013

Schaut man sich die Osterfeste der vergangenen 30 Jahre an, so sticht einem sofort 2013 ins Auge. Ein massiver Kaltlufteinbruch hat damals am 31. März für winterliche Verhältnisse mit Schneefall bis in tiefe Lagen gesorgt. In den östlichen Nordalpen gab es 20 bis 30 cm Schnee, aber selbst im Flachland fiel im Norden und Osten etwas Nassschnee. Die Höchstwerte am Ostersonntag lagen zwischen -1 Grad im östlichen Berg- und Hügelland und +7 Grad in Lienz. In Wien kam die Temperatur bei zeitweiligem Schneefall und lebhaftem Nordwestwind nicht über 2 Grad hinaus und in der folgenden Nacht gab es verbreitet Frost.

Schnee am Erlaufsee
Schnee am Erlaufsee im 2013. © Fred Lindmoser; www.mariazellerland-blog.at
Höchstwerte zu Ostern im Jahr 2013.

Sommer im Jahr 2000

Dass Ostern wettertechnisch auch ganz anders ausfallen kann, zeigt ein Blick auf das Jahr 2000: Bei Temperaturen bis zu 29 Grad in Salzburg gab es teils sogar hochsommerliches Wetter im April. Auch in den Jahren 2009, 2011, 2019 und 2020 konnte man Mitte bzw. Ende April bei Temperaturen über 20 Grad die Osterneste getrost im T-Shirt suchen.

Sommerliches Wetter in Wien. © https://www.foto-webcam.eu
Höchstwerte zu Ostern im Jahr 2000.

Anbei die Höchstwerte am Ostersonntag seit 1990:

Höchstwert Wien Innsbruck Kranebitten
15.4.1990 17 12
31.3.1991 11 14
19.4.1992 17 10
11.4.1993 5 10
3.4.1994 11 8
16.4.1995 14 11
7.4.1996 16 18
30.3.1997 9 5
12.4.1998 11 10
4.4.1999 21 13
23.4.2000 27 (max)
26 (max)
15.4.2001 8 4
31.3.2002 19 16
20.4.2003 19 18
11.4.2004 11 11
27.3.2005 14 20
16.4.2006 19 17
8.4.2007 18 17
23.3.2008 6 3 (min)
12.4.2009 23 23
4.4.2010 18 14
24.4.2011 22 21
8.4.2012 5 4
31.3.2013 2 (min)
5
20.4.2014 18 18
5.4.2015 8 6
27.3.2016 15 18
16.4.2017 14 10
1.4.2018 13 12
21.4.2019 22 24
12.4.2020 23 24
4.4.2021 10 13
17.4.2022 13 15
9.4.2023 10 13
31.3.2024 23* 19*

* Prognose für 2024 (Stand: 27.3.24)

Der mittlere Höchstwert zu Ostern von 1991 bis 2020 liegt in Wien bei 14,6 und in Innsbruck bei 13,7 Grad, wobei dafür vor allem das variable Datum des Osterfests eine entscheidende Rolle spielt (der mittlere Höchstwert am 22. März liegt in Wien bei 12 Grad und am 25. April bereits bei 19 Grad). Temperaturen oberhalb der 20-Grad-Marke wurden seit dem Jahre 1990 in Innsbruck an fünf bzw. in Wien an sechs Ostersonntagen verzeichnet (im Jahr 2005 hat es in Innsbruck mit 19,9 Grad knapp nicht gereicht).

Osterföhn und Saharastaub

Heuer steht das Wetter in der Karwoche bzw. zu Osten im Zeichen des Föhns und des Saharastaubs. Ein erster markanter Föhnsturm hat die Nordalpen am Dienstag und Mittwoch beeinflusst, der nächste, noch etwas stärkere Föhnsturm startet am Karfreitag. Am Samstag sind im Norden und Osten 21 bis 24 Grad bzw. in Niederösterreich lokal sogar frühsommerliche 25 Grad in Reichweite. Am Samstag gelangen zudem größere Mengen an Saharastaub ins Land, welche durch den Föhn auch in tiefere Luftschichten verfrachtet werden. Damit kann man sich zwar vor allem im Norden und Osten auf oft sonnige, aber auch äußert diesige Verhältnisse einstellen.

Am Samstag gelangt viel Saharastaub nach Mitteleuropa.

 

Titelbild © Adobe Stock

Die Sommerzeit beginnt!

Somerzeit

Mit der Umstellung von Winter- auf Sommerzeit fühlen sich viele Menschen um eine Stunde Schlaf beraubt und so beklagen sich manche zu Beginn der neuen Arbeitswoche auch über Müdigkeit. Doch schon mit den nächsten sonnigen Frühlingstagen kommen die Vorteile der Zeitumstellung ans Tageslicht, denn gegen die eine oder andere Sonnenstunde nach der Arbeit oder dem Homeoffice haben nur wenige etwas einzuwenden. Aber was ist denn eigentlich der Grund für die alljährlichen Zeitumstellungen?

Eine lange Geschichte

Die Idee, die Uhrzeit im Sommer und Winter an den Sonnenstand anzupassen, gibt es schon lange, doch erstmals wurde sie am 30. April 1916 im Deutschen Reich sowie in Österreich-Ungarn eingeführt. 1919 wurde sie wieder abgeschafft, kam im Laufe des 20. Jahrhunderts in unregelmäßigen Abschnitten aber zeitweise wieder zum Einsatz. U.a. im Jahre 1947 wurde in Deutschland vorübergehend sogar eine doppelte Sommerzeit eingeführt, also eine Abweichung von zwei Stunden, um das Tageslicht maximal auszunutzen (Mitteleuropäische Hochsommerzeit). Nach der Ölkrise im Jahre 1973 wurden Energiesparmaßnahmen wieder zum Thema und 1980 kam es schließlich zu einem Konsens: Die Zeitänderungen im mitteleuropäischen Raum wurde nachhaltig festgelegt. Das Resultat: Seit dem 6. April 1980 wird zwischen 2:00 Uhr und 3:00 Uhr morgens zweimal jährlich an Europas Uhren gedreht. Als Stichtage wurden vorerst die letzten Sonntage im März und September gewählt, im Jahr 1996 hat man dann jedoch den Beginn der Winterzeit auf das letzte Oktoberwochenende verschoben. Derzeit wird wieder diskutiert, ob die Zeitumstellung neuerlich abgeschafft werden soll.

Straße in der Nacht ©picjumbo.com - https://picjumbo.com/night-car-lights-on-the-road/
Die Uhr wird in der Nacht umgestellt, da das Verkehrsaufkommen gering ist und es kaum wirtschaftliche Aktivität gibt. ©picjumbo.com

70 Länder drehen an der Uhr

In insgesamt etwa 70 Ländern wird nach wie vor an der Zeitumstellung festgehalten. Auf diese Weise lassen sich in den Sommermonaten die langen und warmen Tage bis in den späten Abend hinein genießen. Im Gegenzug kommt mit der Umstellung auf die Winterzeit, die im übrigen die tatsächliche Tageszeit darstellt, wieder langsam die Vorfreude auf die anstehende Weihnachtszeit auf.

Titelbild © AdobeStock 

Karwoche bringt Föhn, Wärme und zunehmende Pollenbelastung

Kaninchen

Nach einem kühlen Start steigen die Temperaturen im Laufe der neuen Woche spürbar an, nur vorübergehend zieht zur Wochenmitte ein Tiefausläufer durch. Zu Osten wird es föhnig und warm, lokal zeichnen sich sogar frühsommerliche Temperaturen bis 25 Grad ab. Wenn man das Monatsmittel betrachtet, steuert nach dem Februar nun auch der März einen neuen Rekord an.

Kühler Start

Der Montag beginnt an der Alpennordseite und im Osten noch leicht unbeständig mit einzelnen Regen- bzw. oberhalb von 600 bis 900 m Schneeschauern. Von Vorarlberg bis Kärnten kommt nach Auflösung lokaler Restwolken häufig die Sonne zum Vorschein, am Nachmittag beruhigt sich das Wetter allgemein. Der anfangs noch teils kräftige Westwind entlang der Thermenlinie lässt nach und mit 8 bis 15 Grad wird es tagsüber wieder etwas milder, in der Nacht muss im Berg- und Hügelland mit leichtem Frost gerechnet werden.

Prognose der Tiefstwerte in der Nacht auf Dienstag.

Saharastaub und Föhn

Der Dienstag verläuft zunehmend diesig durch Saharastaub und bei ausgedehnten Schleierwolken nur zeitweise sonnig, am ehesten gehen sich Nordöstlich von Salzburg bis ins Südburgenland ein paar Sonnenstunden aus. Vom Tiroler Alpenhauptkamm bis nach Osttirol und Kärnten stauen sich hingegen zunehmend dichte Wolken und gegen Abend fällt dort stellenweise etwas Regen. Im Osten sowie in den Nordalpen frischt kräftiger bis stürmischer, föhniger Südwind auf und die Temperaturen steigen auf 10 bis 18 Grad.

Prognose der Windspitzen am Dienstag. © UBIMET
Warnungen vor stürmischen Südföhn am Dienstag und Mittwoch.

Zur Wochenmitte vorübergehend unbeständig

Am Mittwoch dominieren meist die Wolken, von Flachgau bis ins Waldviertel lässt sich aber zeitweise auch die Sonne blicken. Über weite Strecken bleibt es zudem trocken, nur in Osttirol und Oberkärnten sowie im äußersten Westen fällt zeitweise Regen, wobei die Schneefallgrenze in Vorarlberg gegen 1000 m absinkt. Am Abend breiten sich Regenschauer auf weite Landesteile aus. Dazu gibt es von West nach Ost 8 bis 20 Grad.

Saharastaub erfasst am Dienstag und Mittwoch den Alpenraum.

Zu Ostern sehr mild

Der Gründonnerstag startet im Osten trüb und nass, am Vormittag setzt sich verbreitet ein Sonne-Wolken-Mix durch. In den westlichen Nordalpen nimmt die Schauerneigung im Tagesverlauf wieder etwas zu. Die Höchstwerte liegen zwischen 12 und 19 Grad. Am Karfreitag wird es neuerlich föhnig und die Temperaturen steigen weiter an. Am Karsamstag sind in den Nordalpen lokal erstmals in diesem Jahr frühsommerliche Temperaturen von bis zu 25 Grad in Reichweite. Auch der Ostersonntag verläuft an der Alpennordseite und im Osten überwiegend sonnig und sehr mild für die Jahreszeit, wobei Saharastaub neuerlich für diesige Verhältnisse sorgt. Mit den hohen Temperaturen steht die Hauptblüte der Birke bevor, Allergiker müssen sich auf hohe Belastungen einstellen.

Prognose der Höchstwerte am Karfreitag.

Osterrekorde

Das Osterfest findet jährlich zwischen dem 22. März und dem 25. April statt. Genauso variabel wie das Datum gestaltet sich auch das Wetter. Besonders warm war es zu Ostern im Jahr 2000, als am 23. April etwa in Salzburg bis zu 29 Grad erreicht wurden. Das Kontrastprogramm gab es im Jahre 2013, als ein Kaltlufteinbruch am 31. März für winterliche Verhältnisse mit Schneefall bis in tiefe Lagen sorgte. Selbst in Wien kam die Temperatur bei zeitweiligem Schneefall nicht über 2 Grad hinaus. Mehr dazu findet ihr hier: Wetterextreme zu Ostern.

Wettertrend für Wien. © ECMWF/UBIMET

Neue Woche bringt im Osten Frost, Wärmesumme regional auf Rekordniveau

Am Rande eines umfangreichen Tiefs über dem Nordatlantik namens „Hildegard“ setzt sich das unbeständige Wetter im Alpenraum zu Wochenbeginn fort: Der Montag zeigt sich in weiten Teilen des Landes von seiner trüben Seite und von Vorarlberg bis in die Obersteiermark fällt bereits am Morgen stellenweise Regen. Tagsüber regnet es im Westen zeitweise kräftig, im Donauraum und im Südosten bleibt es dagegen meist trocken und vor allem im Osten zeigt sich zeitweise die Sonne. Die Höchstwerte liegen zwischen 8 und 15 Grad.
Am Dienstag lässt der Tiefdruckeinfluss nach, anfangs fällt vom Tiroler Unterland bis in die Obersteiermark aber gelegentlich noch etwas Regen. Abseits davon bleibt es meist trocken und immer häufiger kommt die Sonne zum Vorschein. Die Temperaturen erreichen 8 bis 17 Grad mit den höchsten Werten im Tiroler Oberland und im Walgau.

Die Marillenbäume in der Wachau stehen in Vollblüte. Bilder: wachauermarille.at

Frostgefahr zum Frühlingsbeginn

Im Laufe des Dienstags gelangt das Land allmählich unter Zwischenhocheinfluss und im Osten sickert vorübergehend trockene Luft kontinentalen Ursprungs ein. Damit lockern die Wolken auf und in den Nächten wird es kühl: In Teilen Niederösterreichs wird es bereits am Montagmorgen frostig, am Dienstag sowie am Mittwoch, dem kalendarischen Frühlingsbeginn, zeichnet sich in der Osthälfte dann vielerorts leichter Frost zwischen 0 und -2 Grad bzw. im Oberen Waldviertel lokal auch unter -5 Grad ab. Tagsüber überwiegt bei nur harmlosen Wolken aber verbreitet der Sonnenschein und die Luft erwärmt sich auf 12 bis 20 Grad mit den höchsten Werten im Westen.

Prognose der Tiefstwerte in der Nacht auf Dienstag.

Wärmesumme regional auf Rekordniveau

Als Parameter für den Start in den Frühling wird vor allem in der Landwirtschaft oft die sog. Wärmesumme seit Jahresbeginn verwendet. Es handelt sich dabei um die Summe der täglichen Mitteltemperaturen über 0 Grad, wobei die Monate Januar und Februar etwas geringer als die Monate ab März gewichtet werden. Beim Grünland wird eine Wärmesumme von 200 herangezogen, um den Vegetationsbeginn und somit den Termin von Düngungsmaßnahmen zu bestimmen. In der ersten Hälfte des vergangenen Jahrhunderts wurde eine Wärmesumme von 200 in den Niederungen meist erst Ende März oder Anfang April erreicht. Im neuen Klimamittel von 1991 bis 2020 erwacht die Vegetation im Schnitt ein paar Wochen früher. Heuer wurde die Wärmesumme von 200 regional wie etwa im Wiener Becken sogar schon im Februar erreicht. Derzeit liegen wir vielerorts auf Rekordniveau, wie etwa in Wien, Innsbruck oder Klagenfurt.

Die Wärmesumme in Innsbruck, Klagenfurt und Wien liegt auf Rekordniveau.

Spätfrostgefahr nimmt zu

Im Zuge der Klimaerwärmung wird die Wärmesumme von 200 immer früher erreicht. Auch der letzte Tag mit nennenswertem Frost unter -2 Grad tritt zwar früher im Jahr auf, allerdings findet diese Veränderung mit einer geringeren Geschwindigkeit statt. Damit wird der Unterschied zwischen dem letzten Tag mit nennenswertem Frost und dem Vegetationsbeginn immer kleiner. Auf diese Art kommt die paradox anmutende Situation zustande, dass die Gefahr für Frostschäden im Zuge der Klimaerwärmung zunimmt. Die Rekorde liegen in allen Landeshauptstädten zwischen Ende April und Mitte Mai. Nennenswerter Frost Anfang April ist also keine Seltenheit in Österreich.

Entwicklung des Vegetationsbeginns (Wärmesumme von 200) und des spätesten Frosts unter -2 Grad in Graz. Da sich der mittlere Termin vom letzten Frost weniger schnell verändert, nimmt die Spätfrostgefahr zu.

An der Alpennordseite neuerlich unbeständig

Im Laufe der zweiten Wochenhälfte nimmt der Tiefdruckeinfluss zunächst an der Alpennordseite bzw. am Wochenende dann im gesamten Land zu. Am Donnerstag steigt die Schauerneigung entlang der Nordalpen an, sonst bleibt es meist noch trocken und bei Temperaturen bis zu 19 Grad im Süden bleibt es noch frühlingshaft mild. Am kommenden Wochenende zeichnet sich dann aber verbreitet eine leichte Abkühlung ab.

Wochenausblick für Wien (zum Vergrößern auf das Bild klicken). © ECMWF/UBIMET

Ausnahmen werden zur Norm

Das Wetter und damit die Blühtermine unterliegen früher wie heute großen Schwankungen von Jahr zu Jahr, so gab es Frühlingsblumen auch früher manchmal mitten im Winter. Wenn allerdings die frühere Ausnahme – wie beispielsweise die blühende Marillen in der ersten Märzhälfte – immer wieder und wieder vorkommt und dadurch zum Normalfall wird, müssen „durchschnittliche“ Daten angepasst werden. Und das ist eben genau das, was ein verändertes Klima bedeutet: Verschiebung der Durchschnittswerte!

Der erste Tage mit 20 Grad tritt tendenziell immer früher auf (zum Vergrößern auf das Bild klicken).

Tornadosaison in den USA

Tornado in den USA © stockvault

Tornados treten in den USA zwar grundsätzlich im gesamten Jahr auf, der Höhepunkt der Saison beginnt in den USA aber ausgehend vom Südosten typischerweise im März. Im April und Mai herrscht dann besonders in den Great Plains rund um Oklahoma Hochsaison, so sind zu dieser Jahreszeit auch besonders viele Storm Chaser unterwegs. Im Hochsommer verlagert sich der Schwerpunkt dann weiter in den Norden.

Vom Südosten verlagert sich der Schwepunkt in den kommenden Wochen in die Great Planes. © SPC/NOAA

Im Durchschnitt treten in den USA etwa 1300 Tornados pro Jahr auf, wobei es von Jahr zu Jahr eine hohe Variabilität gibt. Besonders im Südosten der USA stellen Tornados eine große Gefahr dar, weil es hier im Gegensatz zu den Great Planes eine höhere Bevölkerungsdichte gibt. Dieses Gebiet wird auch als „Dixie Alley“ bezeichnet. Die noch bekanntere „Tornado Alley“ liegt im mittleren Westen, sie reicht in etwa vom südlichen Nebraska bis ins nördliche Texas.

Tornadoklimatologie in den USA. © SPC / NOAA

Saisonstart mit Tornados und Riesenhagel

Am Donnerstag kam es in einem Streifen vom Osten Oklahomas über Missouri bis nach Ohio zu schweren Gewittern. In Illinois, Indiana und Ohio wurden auch mehrere Tornados beobachtet, welche lokal zu schweren Schäden und mehreren Todesopfern geführt haben. Örtlich kam es auch zu sog. „Riesenhagel“ mit einem Durchmesser von mehr als 10 Zentimetern: Etwa in Ada in Oklahoma wurde ein Hagelkorn mit einem Durchmesser von 13 cm beobachtet. Einen Tag später sorgte ein Gewitter im Norden von Mexiko im Bundesstaat Coahuila, unweit von der Grenze zu Texas, ebenfalls für Riesenhagel. Mehr Infos zu Rekorden sowie zur Entstehung von Hagel gibt es hier.


Hanami – Das japanische Kirschblütenfest

Kirschblüte

Mit dem Beginn der Kirschblüte („Sakura“) wird in Japan alljährlich der Frühling begrüßt. Je nach Region und Witterung ist dies dort zwischen Mitte März und Anfang Mai der Fall. Während dieser Zeit treffen sich Einheimische wie auch Touristen unter den weiß und rosa blühenden Bäumen, um gemeinsam das Kirschblütenfest zu feiern. Genau genommen wird dabei Hanami betrieben: Es handelt sich um die über 1000 Jahre alte Tradition, bei einem Picknick die Blüten anzuschauen und deren Schönheit zu bewundern. Heuer hat das Fest früh begonnen, mittlerweile gibt es aufgrund des Coronavirus aber auch in Japan immer mehr Einschränkungen, so wurden etwa erste Parkanlagen geschlossen.

Kirschblüte in Tokio

Der zeitliche und regionale Verlauf der im Schnitt etwa zehn Tage andauernden Kirschblüte lässt sich dabei nicht nur vor Ort, sondern auch im japanischen Fernsehen verfolgen. Heuer wird der Beginn der Kirschblüte in Tokio am 19. März erwartet, die Vollblüte (wenn sich 80 % der Blüten geöffnet haben) steht dann etwa eine Woche später an.

Prognose vom Beginn der Blüte im Jahr 2024 (zum Vergrößern auf das Bild klicken).
Der in Japan allgegenwärtige Begriff „Hanami“ bedeutet in erster Linie ,,Blumen bzw. Blüten betrachten“, bezieht sich dabei aber immer auf die Blüten der japanischen Zierkirsche. Da diese nur sehr kurz blüht und die Blütenreste bald zu Boden rieseln, sind sie ein passendes Symbol für die japanische Ästhetik und für die Vergänglichkeit des Schönen.

Klimawandel

In den vergangenen Jahrzehnten fand die Vollblüte im Mittel immer früher statt. Dies war zwar gelegentlich auch schon in der Vergangenheit der Fall, allerdings gibt es mittlerweile keine Ausreißer mehr nach Mitte April. Durch den Klimawandel findet die Blüte immer früher statt (im Jahre 1850 fand die durchschnittliche Vollblüte etwa am 17. April statt).

Hanami in Mitteleuropa

Auch bei uns wird in vielen Gemeinden und Städten die Blüte der japanischen Zierkirsche und mit ihr der Frühlingsanfang gefeiert. Eines der ältesten und größten europäischen Hanami-Feste findet seit 1968 meist im Mai in Hamburg statt. Bekannt sind aber auch die Kirschblüte in der Bonner Altstadt, wo verschiedene Sorten der Japanischen Blütenkirsche wachsen.


Titelbild: Adobe Stock

Globale Wassertemperaturen seit einem Jahr auf Rekordniveau

Wetterboje

Mit einer durchschnittlichen globalen Temperatur von 13,54 Grad lag der Februar weltweit 0,81 Grad über dem Mittelwert von 1991 bis 2020 und 0,12 Grad über dem bisherigen Februarrekord aus dem Jahre 2016. Damit war der Februar der neunte Monat in Folge mit einer globalen Rekordtemperatur für den jeweiligen Monat.

Die Temperaturabweichungen im Februar 2024. Daten: C3S/ECMWF

Der vergangene Februar wies mit einer Abweichung von +1,79 Grad auch die bislang größte Anomalie gegenüber der vorindustriellen Referenzperiode von 1850 bis 1900 (der bisherige Rekord vom Dezember 2023 betrug +1,77 Grad, gefolgt von September 2023 mit +1,73 Grad). Damit lag die globale Temperatur in den vergangenen 12 Monate (März 2023 bis Februar 2024) 1,56 Grad über der vorindustriellen Referenzperiode.

Die globale Mitteltemperatur pro Monat ist seit 9 Monaten auf Rekordniveau. Daten: C3S/ECMWF

Wassertemperaturen auf Rekordniveau

Die Weltmeere speichern im Sommer Sonnenenergie in Form von Wärme und geben diese im Winter wieder an die Atmosphäre ab. Gleichzeitig transportieren die Meeresströmungen zu jedem Zeitpunkt Wärme von den Tropen in die hohen Breiten und verteilen sie auf diese Weise über den Erdball. Die durchschnittliche globale Meeresoberflächentemperatur im Februar 2024 im Bereich von 60°S bis 60°N lag bei 21,06 Grad, was auf Monatsbasis einem neuen Rekord entspricht. Der bisherige Rekord stammte aus dem August 2023 mit einem Wert von 20,98 Grad. Die durchschnittliche tägliche Meeresoberflächentemperatur erreichte am Ende des Monats zudem einen neuen absoluten Höchststand von 21,09 Grad. Mit Ende dieses Monats werden die Wassertemperaturen seit exakt einem Jahr durchgehend auf Rekordniveau liegen (seit Ende März 2023).

Die weltweiten Wassertemperaturen sind seit über einem Jahr auf Rekordniveau. Daten: C3S/ECMWF

El Niño bald vorbei

Der zyklische Wechsel zwischen El Niño und seiner kalten Schwester La Niña (ENSO bzw. El Niño Southern Oscillation) gehört zu den bekanntesten Klimaphänomenen der Erde. Die Temperaturverhältnisse an der Meeresoberfläche im äquatorialen Pazifik haben nicht nur vor Ort große Auswirkungen auf die Wetterdynamik, sondern über Telekonnektion auch in etlichen anderen Regionen der Welt. Die aktuelle El-Niño-Phase im tropischen Pazifik hat im Sommer 2023 begonnen und im Frühwinter ihren Höhepunkt erreicht. Die langfristigen Prognosemodelle für El Niño deuten nun auf eine rasche Abschwächung hin und ab dem Sommer ist ein Übergang zu La Niña wahrscheinlich.

Die Wassertemperaturen in der Niño 3.4-Region sind noch deutlich wärmer als üblich, aber unmittelbar östlich davon gibt es bereits unterdurchschnittliche Werte. Diese Anomalie wird sich in den kommenden Monaten westwärts ausbreiten und die El-Niño-Phase beenden.

Der menschengemachte Klimawandel wird von vergleichsweise kleinen, natürlichen Schwankungen wie ENSO überlagert. Globale Rekordtemperaturen sind vor allem in El-Niño-Jahren besonders wahrscheinlich, allerdings war das zu Ende gehende Ereignis nicht so extrem wie etwa der „Super-El-Niño“ von 2015/16. Die globalen Rekordtemperaturen lassen sich aktuell also nicht allein auf El Niño zurückführen.

Tatsächlich sind die Wassertemperaturen in den äquatorialen Regionen derzeit recht verbreitet stark überdurchschnittlich. Auch der Nordatlantik ist im Flächenmittel seit mittlerweile einem ganzen Jahr rekordwarm, wobei die größten Abweichungen hier eindeutig in den tropischen Gebieten sowie zwischen den Arozren und den Kanaren zu verzeichnen sind. Dies könnte im Zusammenspiel mit dem Übergang zu La Niña heuer auch zu einer intensiven atlantischen Hurrikansaison führen.

Die Temperaturen im Nordatlantik sind seit über einem Jahr auf Rekordniveau.

Die Erwärmung der Weltmeere hat folgenschwere und vielseitige Auswirkungen. Anbei die wichtigsten Folgeerscheinungen:

  • Meeresspiegelanstieg
  • Abnahme des Sauerstoffgehaltes im Ozeaninneren
  • Zunahme der Verdunstung von Meerwasser, Intensivierung des Wasserkreislaufs
  • Steigende Gefahr von Wetterextremen (Stürme, Starkregen)
  • Verstärktes Auftreten von Hitzewellen im Meer

Kräftiger Regen in Niederösterreich und Wien

Tropfen auf Scheibe

Österreich liegt am Dienstag unter dem Einfluss eines umfangreichen Tiefs namens „Elfi“, welches mehrere Kerne aufweist. Während der nördliche Tiefkern über dem Westen Deutschlands liegt und unser Wetter nicht beeinflusst, liegt der südliche Tiefkern über Kroatien und nimmt aktuell Kurs auf den Westen Ungarns. Dieses Randtief nimmt somit eine Vb-Zugbahn ein, welche im Osten typischerweise zu großen Niederschlagsmengen führt (mehr Infos zu sog. „Fünf-b-Tiefs“ gibt es hier).

Aus Süden zieht ein Tief auf.
An der Westflanke des Tiefs staut sich viel feuchte Luft am Alpenostrand.

Kräftiger Regen

Am Montag setzt im Tagesverlauf im Südosten verbreitet Regen ein. Im Laufe der zweiten Tageshälfte breitet sich dieser auf den gesamten Osten aus und in der Nacht auf Dienstag regnet es besonders vom Mariazellerland über den Wienerwald bis ins Weinviertel anhaltend und kräftig. Der Dienstag beginnt im Nordosten trüb und nass, wobei die Schneefallgrenze zeitweise auf 800 bis 600 m absinkt. Auf den Bergen vom Hochschwab bis zum Schneeberg fallen oberhalb von etwa 1200 m rund 20 bzw. in den Hochlagen auch 50 cm Schnee. Am Dienstagnachmittag lässt die Intensität deutlich nach, bis in die Nacht hinein bleibt es im Nordosten aber noch häufig nass.

24h-Niederschlagsprognose bis Dienstagnachmittag von UCM.
Die Pegel der kleinen Gewässer werden vorübergehend ansteigen. Anbei eine erste Prognose für die Traisen südlich von St. Pölten (Daten: Land NÖ).

Der Wind frischt am Mittwoch am Alpenostrand und in den Südalpen kräftig mit stürmischen Böen aus Nordwest auf. Besonders vom Grazer Bergland bis in die Bucklige Welt sind auch Sturmböen um 80 km/h zu erwarten, auf den Bergen gibt es hier schwere Sturmböen teils über 100 km/h. Die Temperaturen kommen im Nordosten nicht über 5 bis 10 Grad hinaus, in Kärnten gibt es bei zeitweiligem Sonnenschein bis zu 15 Grad.

Prognose der Windspitzen von UCM.

Zur Wochenmitte lässt der Tiefdruckeinfluss langsam nach und in der zweiten Wochenhälfte ist bei ansteigenden Temperaturen eine Wetterbesserung in Sicht.

 

Leichte Abkühlung: Neue Woche bringt Schnee im Bergland und Frostgefahr

Morgenfrost im Frühling - pixabay.com

Die Temperaturen in Österreich liegen seit mehr als 5 Wochen durchgehend über dem langjährigen Mittel. In den kommenden Tagen gelangen nun am Südrand eines Skandinavienhochs etwas kühlere Luftmassen in den Alpenraum: Es steht zwar kein Kaltlufteinbruch an, die Temperaturen liegen aber zumindest vorübergehend wieder im Bereich des jahreszeitlichen Mittels. Im Laufe der zweiten Wochenhälfte kündigt sich im Flachland vor allem im Norden auch leichter Frost an. Infolge des Rekordfebruars ist die Vegetationsentwicklung um zwei bis drei Wochen verfrüht, was das Risiko für Spätfröste erhöht.

Das Italientief zieht nach der Wochenmitte ab und aus Nordosten gelangt kühle und trockene Luft ins Land.
Die Temperaturen passen sich vorübergehend dem jahreszeitlichen Mittel an. © ECMWF/UBIMET

Im Westen Regen und Schnee

Am Dienstag breiten sich aus Westen  etwas kühlere Luftmassen an der Alpennordseite aus und im Laufe des Tages gerät der Westalpenraum unter den Einfluss eines Genuatiefs. An der Alpennordseite verläuft der Tag somit dicht bewölkt und in Vorarlberg fällt zeitweise etwas Regen bzw. oberhalb von etwa 1200 m Schnee. Auch im Norden ziehen einzelne Schauer durch, von Osttirol bis ins Burgenland scheint dagegen häufig die Sonne. Am Nachmittag steigt die Schauerneigung auch im Süden an, im Donauraum bleibt es dagegen meist trocken.

Eine Gegenstromlage sorgt Dienstagnacht in Vorarlberg für Schnee bis in tiefe Lagen. In der Animation sieht man die Zufuhr an kühler Luft unterhalb des Kammniveaus (1400 m) sowie die Zufuhr an feuchter Luft aus dem Mittelmeer in der Höhe (5500 m). Am Ende folgt die Niederschlagsprognose für die Nacht auf Mittwoch.

Am Abend wird der Regen im äußersten Westen stärker und in der Nacht regnet und schneit es in Vorarlberg und im Tiroler Oberland zeitweise kräftig. Die Schneefallgrenze sinkt dank der Niederschlagsabkühlung auf 1000 bis 500 m ab, zum Morgen hin ist dann selbst im Rheintal Nassschnee möglich. In Lagen oberhalb von etwa 1000 m sind in Vorarlberg und im Tiroler Oberland um 20 cm Schnee zu erwarten, auf den Bergen kommen 30 bis 50 cm Neuschnee zusammen.

In der Nacht auf Mittwoch zeichnen sich auch im Rheintal ein paar Zentimeter Nassschnee ab, auf den Bergen kommen bis zu 50 cm zusammen.

Leichter Frost in Sicht

Am Mittwoch setzt sich das unbeständige Wetter in den Alpen fort, während der Norden und Osten des Landes wetterbegünstigt sind mit zeitweiligem Sonnenschein. In der zweiten Wochenhälfte dreht die Strömung am Südrand eines Skandinavienhochs auf nordöstliche Richtung, damit breitet sich kühle Luft am Donnerstag bzw. Freitag auf weite Teile des Landes aus. Bei klaren Verhältnissen zeichnet sich besonders in der Nacht auf Freitag an der Alpennordseite eine erhöhte Gefahr für leichten Frost ab. Das ist zu dieser Jahreszeit zwar nicht unüblich, aufgrund der verfrühten Vegetationsentwicklung heuer aber heikel.

1. März: Meteorologischer Frühlingsanfang

Am 1. März beginnt laut Definition der World Meteorological Organization (WMO) der meteorologische Frühling. Die Jahreszeiten beginnen für Meteorologen und Klimatologen jeweils am Monatsersten (März, Juni, September und Dezember), um eine einfachere Handhabung von klimatologischen Daten zu gewährleisten. Damit können beispielsweise die Monatsmittelwerte von Temperatur oder Niederschlag im zeitlichen Verlauf direkt verglichen werden, da die meteorologischen Jahreszeiten immer am selben Tag beginnen, während etwa der astronomische Frühlingsanfang zwischen dem 19. und 21. März variiert. Nach astronomischer Bestimmung beginnt der Frühling nämlich exakt zur ersten Tag-und-Nacht-Gleiche (Primäräquinoktium) in einem Kalenderjahr.  Dieser Zeitpunkt wird etwa drei Wochen nach dem meteorologischen Frühlingsanfang erreicht.

Die meteorologischen Jahreszeiten passen besser zum mittleren Temperaturverlauf als die astronomischen. Z.B. der Sommer: Mitte September (noch astronomischer Sommer) ist es schon deutlich kühler als Mitte Juni (bereits meteorologischer Sommer).

Phänologischer Frühlingsstart

Im Gegensatz zu den fixen Anfangs- und Enddaten der astronomischen und meteorologischen Jahreszeiten ist der Beginn der phänologischen Jahreszeiten regional und von Jahr zu Jahr äußert variabel. Für den phänologischen Frühlingsbeginn (Vollfrühling) wird meist die Apfelblüte verwendet: Während diese etwa in Portugal teilweise bereits im Februar beginnt,  ist dies in Deutschland und Österreich dagegen meist im April oder Mai der Fall.

Abgesehen von der geographischen Breite hat auch das Mikroklima einen wichtigen Einfluss auf den Zeitpunkt der Apfelblüte, wie beispielsweise die Nähe zu Gewässern wie dem Bodensee, eine windgeschützte Lage oder die Höhe über dem Meeresspiegel. Den mittleren phänologischen Frühlingseinzug kann man kartieren: In der folgenden Abbildung ist der historische Frühlingsbeginn für Mitteleuropa zu sehen, die Landkarte stammt aus einem sächsischem Schulatlas, datiert um das Jahr 1930 (heutzutage hat sich der Zeitpunkt nach vorne Verschoben).

Quelle: Lange-Diercke – Sächsischer Schulatlas, Wikimedia Commons.
Apfelblüte in Deutschland. © https://aktuell.nationalatlas.de/

Die phänologischen Jahreszeiten sowie deren Eintrittsdaten werden oft in einer sog „Phänologischen Uhr“ kreisförmig dargestellt. Der äußere Ring zeigt dabei das vieljährige Mittel, der innere Kreis den aktuellen Stand des laufenden phänologischen Jahres.

Der Erstfrühling hat heuer bereits begonnen, die Apfelblüte (Vollfrühling) könnte je nach Witterung bereits in der ersten Aprilhälfte anstehen.

Wärmer als im März: Februar 2024 sprengt Rekorde in Österreich

Österreichweit betrachtet schließt der Februar 5,8 Grad zu warm ab, vergleicht man ihn mit dem langjährigen Mittel von 1991 bis 2020. Solch eine große Abweichung zum Monatsmittel wurde in den vergangenen 200 Jahren noch nie gemessen, in keinem Monat. Damit reiht sich der Februar 2024 mit Abstand auf Platz 1 der wärmsten Februarmonate ein, der bisherige Rekordhalter aus dem Jahre 1966 mit einer Abweichung von knapp über +4 Grad wurde deutlich überboten.

Temperaturabweichungen im Februar. Zum Vergrößern auf das Bild klicken.

Wiener Neustadt: Februar wärmer als Rekordmärz

Die landesweit größten Abweichungen zwischen +7 und +8 Grad wurden im östlichen Flachland gemessen. Mit einer mittleren Temperatur von gut 9 Grad war der Februar im Wiener Becken milder, als zu dieser Jahreszeit etwa in Rom oder Madrid üblich. Eine Spur geringer waren die Abweichungen in Kärnten, auch hier war der Februar aber 4 bis 5 Grad milder als im langjährigen Mittel.
Allgemein war der Februar in weiten Teilen des Landes milder als ein durchschnittlicher März: In Wiener Neustadt war der Februar sogar wärmer als der bislang wärmste März seit Beginn der lokalen Messreihe im Jahre 1949.

In Wiener Neustadt übertrifft der Februar 2024 der bislang wärmsten März seit Messbeginn (1990 mit 8,8 Grad).

Der dritte Wintermonat ist heuer komplett ausgefallen und war am Ende ausschlaggebend, dass in Summe der wärmste Winter seit Messbeginn hinter uns liegt. Entscheidend für die anhaltende Wärme war der starke atlantische Einfluss auf das Wettergeschehen im Alpenraum: Einerseits war für die hohen Temperaturabweichungen die Großwetterlage verantwortlich, andererseits spielt aber auch die Erderwärmung eine erhebliche Rolle. Die Wassertemperaturen des Nordatlantiks sind rekordwarm für die Jahreszeit, daher sind auch die Luftmassen, die uns von dort erreichen, noch eine Spur milder als sie es ohnehin schon wären.

In Wien und Bregenz erstmals kein Frost

Die Temperaturen lagen in diesem Februar von Anfang an über dem jahreszeitlichen Mittel, daher gab es an mehreren Wetterstationen erstmals keinen einzigen Frost im gesamten Monat, wie etwa an der Hohen Warte in Wien, wo seit 1872 gemessen wird, in Bregenz oder auch auf der Hohen Wand in 937 Meter Höhe (Im Mittel wären in Wien 15, in Bregenz 16 und auf der Hohen Wand 21 Frosttage üblich). In Höhenlagen unter 1400 Meter wurde auch an keiner einzigen Wetterstation ein Eistag verzeichnet.

Zeitreihe der Frosttage in Wien im Februar. Heuer waren es 0.

10 Grad an jedem einzelnen Tag

Im Gegenzug zum fehlenden Frost wurden zahlreiche Rekorde bei der Anzahl an milden Tagen mit einem Höchstwert über 10 Grad verzeichnet. Mancherorts wie in Wiener Neustadt wurde an jedem einzelnen Tag des Monats ein Höchstwert von mindestens 10 Grad gemessen, in Wien und Graz waren es 26 Tage.

Zeitreihe der Tage mit einem Höchstwert von mind. 10 Grad in Wien im Februar.

Der wärmste Tag des Monats war der 5., als föhniger Westwind in der südlichen Steiermark, im Grazer Becken und im Südburgenland zu Temperaturen knapp über 20 Grad geführt hat (am Flughafen Graz wurden 21,3 Grad erreicht). An einigen Stationen im Südosten wurden noch nie zuvor so hohe Temperaturen so früh im Jahr gemessen.

An mehreren Stationen im Südosten wurde die 20-Grad-Marke noch nie so früh wie heuer erreicht.
Höchste Temperaturen
  • 21,3 Grad Graz Flughafen (ST, 05.02.)
  • 21,2 Grad Leibnitz-Wagna, Deutschlandsberg (ST, 05.02.)
  • 21,1 Grad Graz-Straßgang (ST, 05.02.)
  • 20,9 Grad Güssing (B, 05.02), Lutzmannsburg (B, 06.02)
Tiefste Temperaturen (<1500 m)
  • -11,0 Grad St. Leonhard im Pitztal (T, 24.), Lech am Arlberg (V, 24.)
  • -10,2 Grad Seefeld (T, 24.)
  • -9,9 Grad Schmirn (T, 24.)
Stärkste Windspitzen Niederungen
  • 106 km/h Brand (V, 9.)
  • 101 km/h Gumpoldskirchen (NÖ, 5.)
  • 97 km/h Wien – Innere Stadt (W, 5.)

Teils nass, teils trocken

Im landesweiten Flächenmittel brachte der Februar in etwa durchschnittliche Niederschlagsmengen, wobei es regional zu großen Unterschieden kam. In Osttirol und Oberkärnten gab es mehr als doppelt so viel Niederschlag wie üblich, die relativ nassesten Orte des Landes waren der Loibl mit einer Bilanz von 260 Prozent und Sillian mit 230 Prozent. Deutlich zu trocken war der letzte Wintermonat hingegen im Wiener Becken: Vom Steinfeld bis nach Wien gab zum Teil weniger als die Hälfte der üblichen Niederschlagsmenge. Zu trocken war es zudem auch im östlichen Flachland, rund um das Grazer Becken sowie im Tiroler Oberland.

Vorläufig nasseste Orte
  • 316 Liter pro Quadratmeter Loibl (K)
  • 139 Liter pro Quadratmeter Kötschach-Mauthen (K)
  • 131 Liter pro Quadratmeter Mittelberg (V)

Schnee blieb im Flachland komplett aus, in den Alpen sorgte ein Italientief dagegen am 23. vorübergehend für einen winterlichen Eindruck. Am Brenner kam in weniger als 12 Stunden sogar mehr als ein halber Meter Neuschnee zusammen, was einen Verkehrschaos und einer Teilsperre der Brennerautobahn zur Folge hatte (für starken Schneefall sind inneralpin keine markanten Kaltlufteinbrüche erforderlich, siehe auch hier). Die einzige Landeshauptstadt mit messbarem Schnee im Februar war Innsbruck mit 5 cm.

Im Westen trüber Februar

Der Februar brachte im Flächenmittel etwa 15 Prozent weniger Sonnenschein als üblich. Besonders trüb mit etwa 25 bis 40 Prozent weniger Sonnenstunden als üblich war es im Arlberggebiet, im Oberen Mühlviertel sowie in den Alpen von Osttirol und Oberkärnten bis in die nördliche Obersteiermark. Knapp überdurchschnittlich sonnig war der Monat nur im Südosten und im südlichen Wiener Becken.

 

Vorläufig sonnigste bewohnte Orte
  • 146 Sonnenstunden Mörbisch (B)
  • 136 Sonnenstunden Wörterberg
  • 135 Sonnenstunden Kleinzicken (B)

Februar endet mild mit Temperaturen bis zu 16 Grad

Schneeglöckchen

Der Februar 2024 endet so, wie er begonnen hat: überdurchschnittlich warm. Im Flachland war dieser Februar sogar vom ersten bis zum letzten Tag durchgehend zu mild. Der dritte Wintermonat war heuer somit ein Totalausfall, so war er im Flachland sogar deutlich wärmer als ein durchschnittlicher März.

Die Föhnmauer am Sonntag am Tiroler Alpenhauptkamm. © www.foto-webcam.eu

Auch in den kommenden Tagen liegen die Temperaturen am Rande eines Tiefs, das vom Atlantik in den westlichen Mittelmeerraum zieht, besonders an der Alpennordseite und im Osten weiterhin um etwa 6 Grad über dem jahreszeitlichen Mittel. In der zweiten Wochenhälfte gelangen zudem größere Mengen an Saharastaub nach Mitteleuropa.

Zu Wochenbeginn leicht föhnig

Der Montag verläuft im Norden und Osten überwiegend sonnig und trocken, von Vorarlberg bis nach Oberkärnten dominieren hingegen die Wolken und am Alpenhauptkamm fallen ab und zu ein paar Flocken bzw. unterhalb von 1200 m Tropfen. Im Osten weht lebhafter bis kräftiger Südostwind, im Bergland bleibt es leicht föhnig. Die Temperaturen erreichen 6 bis 15 Grad mit den höchsten Werten im äußersten Osten.

Im Norden und Osten bleibt es mild für die Jahreszeit.

Am Dienstag scheint vom Tiroler Unterland bis ins westliche Niederösterreich ab und zu die Sonne, abseits davon dominieren die Wolken und am Alpenhauptkamm sowie im Süden fällt zeitweise etwas Schnee bzw. unterhalb von 1200 m Regen. Ein paar Tropfen fallen anfangs auch im Westen und am Nachmittag im Südosten. Von der nördlichen Obersteiermark bis ins Mostviertel bleibt es leicht föhnig. Die Höchstwerte liegen zwischen 6 Grad in Osttirol und 15 Grad im Osten.

Vor allem von den Ötztaler Alpen bis zu den Karnischen Alpen gibt es am Montag und Dienstag etwas Neuschnee.

Wolken und Saharastaub

Ein Tief über dem Mittelmeer führt zur Wochenmitte weiterhin milde Luft nach Österreich, zudem gelangen größere Mengen an Saharastaub in den Alpenraum. Der Mittwoch hat in der Osthälfte ein paar sonnige Auflockerungen zu bieten, meist überwiegen jedoch die Wolken. Vom Tiroler Alpenhauptkamm bis zu den Karawanken regnet es zeitweise leicht bei einer Schneefallgrenze zwischen 1100 und 1300 m, sonst bleibt es trocken. Von West nach Ost liegen die Höchstwerte zwischen 5 und 16 Grad.

Zur Wochenmitte liegt der Alpenraum am Rande eines Tiefs über dem Mittelmeerraum.

Am Donnerstag dominieren weiterhin die Wolken, anfangs hält sich an der Alpennordseite und im Osten auch Hochnebel. Im Süden und Osten ist das trübe Grau hartnäckig, während es von Vorarlberg bis Oberösterreich im Tagesverlauf auflockert, der Himmel präsentiert sich aber äußerst diesig. Ein wenig Regen bzw. oberhalb von 1300 m Schnee fällt gelegentlich nur im äußersten Süden. Die Temperaturen erreichen 7 bis 15 Grad.
Zu Beginn des neuen Monats gibt es wenig Änderungen, wobei der Saharastaub voraussichtlich auch am kommende Wochenende für diesige Verhältnisse sorgt.

In der Höhe breitet sich Saharastaub aus.

Italientiefs: Regen und Schnee in Österreich

Regen

Wenn kalte Luftmassen westlich der Alpen in den Mittelmeerraum vordringen, sind die Bedingungen für die Entstehung von Tiefdruckgebieten rund um dem Golf von Genua aufgrund der Lage und Ausrichtung des Alpenbogens besonders günstig („Lee-Zyklogenese“). Mit dem Druckfall über Norditalien wird feuchte Luft aus dem Mittelmeerraum zu den Alpen geführt, wo es zu Staueffekten und damit zu teils großen Niederschlagsmengen kommt. Italientief ist aber nicht gleich Italientief, so können die Auswirkungen auf unser Wetter je nach Zugbahn und Großwetterlage sehr unterschiedlich ausfallen.

Besondere Wetterlagen

Viele Italientiefs ziehen vergleichsweise schnell nach Osten oder Südosten ab und sorgen nur vorübergehend für kräftige Niederschläge im Süden Österreichs. Italientiefs stehen allerdings auch im Zusammenhang mit markanten Wetterlagen, welche gebietsweise mit großen Niederschlagsmengen verbunden sind:

  • Ergiebiger Südstau (v.a. in Osttirol und Oberkärnten)
  • Gegenstromlagen (im gesamten Alpenraum)
  • Vb-Tiefs bzw. „Fünf-b-Tiefs“ (v.a. im Osten und Südosten)

Südstau

Nahezu ortsfeste Tiefdruckgebiete über dem westlichen Mittelmeerraum sorgen in Österreich für eine anhaltende Südströmung. Bevor die Luft auf die Alpen prallt, nimmt sie über dem Mittelmeer viel Feuchtigkeit auf und wird in weiterer Folge in den Südalpen wie ein Schwamm ausgepresst. In Österreich sind davon Osttirol und Oberkärnten besonders stark betroffen.  Je nach Ausrichtung und Stärke der Höhenströmung gibt es dabei die größten Niederschlagsmengen meist im Gail- und Lesachtal oder am Loibl in den Karawanken. In den Nordalpen und im Osten Österreichs weht dagegen meist föhniger Südwind.

Solange keine kühle Luft aus NW eintrifft, weht in den Nordalpen Föhn.

Im Winterhalbjahr kann die Schneefallgrenze bei solchen Lagen selbst bei einer relativ hohen Nullgradgrenze um 2000 m Höhe bis in manche Tallagen absinken: Die Schmelzwärme des Schnees, die der Umgebung entzogen wird, sorgt nämlich in engen Tälern für eine Abkühlung der Luft bis auf 0 Grad.

Eine Südstaulage im Dezember 2020. Karten via wetter3.com

Niederschlagsabkühlung

Bei diesem Prozess wird die Luft vor Ort durch das Schmelzen der Schneeflocken nach und nach auf 0 Grad abgekühlt. Entscheidend dafür sind folgende Faktoren:

    • Anhaltende und starke Niederschläge (als Faustregel mind. 2-3 mm pro Stunde) bei einer Nullgradgrenze um oder unterhalb des Kammniveaus der Alpen
    • Windschwache Verhältnisse, damit der Wind die gekühlte Luft nicht verdrängt
    • Enge Tallagen, da hier wesentlich weniger Luft abgekühlt werden muss als beispielsweise über der gleichen Grundfläche im Flachland. Je enger das Tal, desto effektiver die Niederschlagsabkühlung.
Niederschlagsabkühlung in einem Tal.

Wenn der Niederschlag lange genug anhält, sinkt die Temperatur in den Tälern je nach Niederschlagsintensität mehr oder weniger rasch gegen 0 Grad ab, somit geht der Regen auch am Talboden in Schneefall über. Ab diesem Moment ist keine weitere Abkühlung mehr möglich und die Temperatur bleibt konstant bei 0 Grad, bis der Niederschlag wieder nachlässt. Meteorologen sprechen bei solchen Lagen auch von isothermen Schneefall, da die Temperatur vom Talniveau manchmal sogar bis in Höhenlagen um 2000 m konstant bei 0 Grad liegt (was oft einem Höhenunterschied von mehr als 1000 Metern entspricht!). Aus diesem Grund sind für Schneefall in den Alpen auch nicht zwingend markante Kaltlufteinbrüche erforderlich, welche ja in Zeiten des Klimawandels seltener werde.

Eine verwellte Kaltfront sorgt für Föhnende und eine beginnende Gegenstromlage mit Niederschlagsabkühlung im Februar 2024. Karten via wetter3.com
Ein Beispiel für die Niederschlagsabkühlung. Sobald die Schneefallgrenze bis zum Talboden absinkt, stabilisiert sich die Temperatur auf 0 Grad.

Gegenstromlagen

Bei vielen Südstaulagen weht in den Nordalpen Föhn. Wenn das dazugehörige Höhentief allerdings nahezu ortsfest über dem nördlichen Mittelmeerraum zu liegen kommt bzw. ein weiteres Randtief nördlich der Alpen ostwärts zieht, dann sickert an der Alpennordseite unterhalb des Kammniveaus aus Nordwesten allmählich kühle Luft ein, die den Föhn beendet. Die südliche Strömung im Kammniveau sinkt dann an der Alpennordseite nicht mehr ab, sondern gleitet über die eingeflossenen, kühle Luft in tiefen Schichten auf. Der Niederschlag kann aus Süden also auch auf die Alpennordseite übergreifen. Meteorologen sprechen dann von einer Gegenstromlage, da in den Tälern der Nordalpen eine schwache nördliche Strömung aufkommt, während in der Höhe starker Südwind weht.

Eine Gegenstromlage sorgt auch in den Nordalpen für Regen bzw. Schneefall.

Bei diesen Wetterlagen kann die Schneefallgrenze auch in den Nordalpen je nach Niederschlagsintensität dank der Niederschlagsabkühlung bis in manche Täler der Nordalpen absinken, so ist diese Wetterlage meist auch für den ersten Schnee der Saison etwa am Brenner oder im Pinz- und Pongau verantwortlich.

Eine Gegenstromlage im Mai 2019. Karten via wetter3.com

Vb-Tief

Wenn Italientiefs sich ost- bis nordostwärts über die Adria in Richtung Ungarn und schließlich Polen verlagern, bestehen auch im Osten Österreichs die größten Chancen auf kräftigen Regen bzw. Schneefall. Bei solch einer Zugbahn des Tiefkerns sprechen Meteorologen auch von einem Vb-Tief („Fünf-b-Tief“).

Die häufigsten Zugbahnen von Tiefdruckgebieten nach van Bebber und Köppen (1891).

Auch bei dieser Wetterlage gleiten feuchte Luftmassen auf der kühlen Luft in tiefen Schichten auf, aufgrund der Zugbahn des Tiefs sind die größten Niederschlagsmengen aber im Osten und Südosten Österreichs zu erwarten. Diese Wetterlage ist relativ selten, im Winter kann sie aber zu markanten Wintereinbrüchen führen. In seltenen Fällen sind selbst im Frühjahr noch Wintereinbrüche möglich, wie etwa im April 2017.

Ein Vb-Tief im April 2017. Karten via wetter3.com

Spezialfall VAIA

Ein folgenschweres Italientief mit einer ungewöhnlichen Zugbahn war Sturm VAIA im Oktober 2018. Zunächst stellte sich eine Südstaulage ein, in weiterer Folge zog das Mittelmeertief aber unter Verstärkung direkt über die Schweiz hinweg nach Deutschland. Die Kaltfront von VAIA erfasste die Südalpen aus Südwesten. In Oberkärnten führten extreme Regenmengen zu einer Hochwasserlage, auf den Bergen gab es einen Föhnorkan. Kurz vor bzw. mit Durchzug der Kaltfront kam dann auch in den Südalpen stürmischer Wind mit Böen teils um 200 km/h auf, in den Wäldern gab es schwere Schäden.

Sturm VAIA im Oktober 2018. Karten via wetter3.com

Titelbild © AdobeStock

Wochenausblick: unbeständig und mild, am Freitag in den Alpen Schnee

Föhnwolken. © Adobe Stock

So wie schon in den vergangenen zwei Wochen präsentiert sich das Wetter auch in der letzten Woche der Semesterferien von seiner milden Seite. Atlantische Tiefausläufer bringen feuchtmilde Luft nach Österreich. Eine Umstellung der Wetterlage ist erst im Laufe der zweiten Wochenhälfte zu erwarten: Am Donnerstag nimmt der Tiefdruckeinfluss zu, dabei kündigt aufkommender Föhn einen Wetterumschwung an. Am Freitag zeichnet sich in den Alpen nach längerer Zeit wieder verbreitet Schneefall ab.

Eine Serie an atlantischen Tiefausläufern zieht in der ersten Wochenhälfte durch.

Zu Wochenbeginn unbeständig

Der Montag startet bewölkt und vor allem entlang der Nordalpen nass, oberhalb von 1100 bis 1300 m fällt Schnee. Auch abseits der Alpen regnet es anfangs ein wenig, tagsüber ziehen noch einzelne Schauer durch. Dazu frischt im Donauraum und im Osten kräftiger Westwind auf, im Süden wird es leicht föhnig. Die Temperaturen erreichen 7 bis 14 Grad. Auch der Dienstag gestaltet sich an der Alpennordseite und im Osten unbeständig, besonders von den Kitzbüheler Alpen bis zu den Niederösterreichischen Voralpen fällt häufig Regen und zeitweise bis knapp unter 1000 m herab Schnee. Wetterbegünstigt ist der Süden des Landes. Von Nord nach Süd werden 6 bis 14 Grad erreicht.

48h-Niederschlagsprognose für Montag und Dienstag.

Am Mittwoch dominieren in weiten Landesteilen die Wolken, von Oberösterreich bis ins Nordburgenland fallen ab und zu ein paar Regentropfen. Etwas häufiger wird der Regen im Tagesverlauf im Mühlviertel. Inneralpin und im Süden lockert es ab und zu auf, die meisten Sonnenstunden sind im Süden zu erwarten. Die Höchstwerte erreichen 7 bis 14 Grad.

Prognose der Höchstwerte am Mittwoch.

Am Donnerstag zunehmend föhnig

Der Donnerstag bringt ausgedehnte Wolken und in der ersten Tageshälfte fällt vom Bodensee bis ins Mühl- und Waldviertel sowie später dann vom Tiroler Alpenhauptkamm bis zu den Karnischen Alpen etwas Regen. Von Nordtirol bis an den Alpenostrand und im Südosten bleibt es dagegen trocken mit sonnigen Auflockerungen. Dort frischt zunehmend kräftiger, föhniger Süd- bis Südwestwind auf. Die Temperaturen steigen auf 8 bis 15 Grad, mit Föhn örtlich auch noch etwas höher.

Am Freitag in den Alpen Schneefall

Am Freitag erfasst eine Kaltfront Österreich und im Zusammenspiel mit einem Italientief zeichnet sich mit der Ausnahme vom äußersten Osten verbreitet Regen bzw. in den Alpen auch Schneefall ab. Die Schneefallgrenze sinkt rasch auf unter 1000 m ab, tagsüber schneit es vom Arlberg bis in die nördliche Obersteiermark sowie in Osttirol und Oberkärnten zeitweise bis in manche Täler. Auf den Bergen kündigt sich am Alpenhauptkamm ein halber Meter Neuschnee an, aber auch in den größeren Alpentälern sind ein paar Zentimeter Nassschnee möglich.

Eine erste Modellprognose für Freitag. Es gibt aber noch einige Unsicherheiten.
Auch im Inntal ist die Wahrscheinlichkeit für Schnee oder Nassschnee am Freitag erhöht. © ECMWF

Am kommenden Wochenende setzt sich der Tiefdruckeinfluss fort, die Temperaturen gehen im Flachland aber nur geringfügig zurück. Ein richtiger Kaltlufteinbruch ist nämlich nicht in Sicht, die tiefe Schneefallgrenze in den Alpen kommt nur aufgrund der starken Niederschlagsraten in windgeschützten Alpentälern zustande. Mehr dazu hier (siehe Niederschlagsabkühlung).

Die Sonne und ihr Einfluss auf unser Gemüt

Die Sonne ist gut für unser Gemüt und unsere Stimmung. @shutterstock

Tagtäglich wird es den meisten bewusst: Scheint die Sonne, ist die Laune automatisch besser; verdunkeln Wolken dagegen den Himmel und ist es dazu gar noch feucht-kalt, sind die Mundwinkel doch häufiger nach unten gezogen. Zahlreiche Studien gibt es zu diesem Thema. Und sie zeigen nicht nur, in welche Richtung sich unsere Mundwinkel bewegen: So ist bei Sonnenschein das Ausgabeverhalten größer, das Gedächtnis funktioniert besser und gar Flirtversuche sind erfolgreicher. Doch auf welchem Weg genau beeinflusst Sonnenlicht unsere Stimmung?

Melatonin, Serotonin und Vitamin D

Drei biologische Komponenten sind die Hauptakteure:

  • Melatonin
  • Serotonin
  • Vitamin D

Das Hormon Melatonin wird auch als ‚Schlafhormon‘ bezeichnet. Die Zirbeldrüse produziert es automatisch über Nacht bei Dunkelheit und erst am Morgen mit zunehmender Helligkeit wird die Bildung gehemmt und die Müdigkeit nimmt ab. Sind die Nächte im Winter also länger, bleibt auch der Melatoninspiegel tagsüber erhöht. Das Hormon Serotonin ist auch als ‚Glückshormon‘ bekannt und gehört zur Gruppe der Endorphine. Es steigert das allgemeine Wohlbefinden, reguliert den Zuckerstoffwechsel und vertreibt Ängste und Depressionen. Sonnenlicht fördert dessen Produktion. Vitamin D wird vom Körper gebildet, wenn Sonnenlicht mit ausreichender Intensität auf unsere Haut trifft. Je höher das Vitamin-D-Level ist, desto besser fühlen wir uns. Es ist möglich im Sommer einen Vorrat im Körperfett anzulegen, um den Mangel dann im dunklen Winterhalbjahr gering zu halten. Von Mitte Oktober bis Mitte März ist der Sonnenstand nämlich zu flach, um den Vitamin-D-Spiegel anzuheben. Als Fausregel gilt, dass dies erst ab einem UV-Index der Stufe 3 möglich ist.

Februar 2024 klar auf Rekordkurs

Tauwetter

Der Februar war in Europa bislang durch rege Tiefdrucktätigkeit über Nordeuropa geprägt. Die daraus resultierende westliche Strömung hat für einen ausgeprägten atlantischen Einfluss auf das Wetter im Alpenraum gesorgt. In Summe war die erste Februarhälfte in Österreich sogar um fast 7 Grad wärmer als im langjährigen Mittel von 1991 bis 2020 und damit rekordwarm.

Tiefdruckeinfluss über Nordeuropa hat zu einer überwiegenden westlichen Strömung in Mitteleuropa geführt.

Milder Atlantik wärmt Mitteleuropa

Einerseits ist für die hohen Temperaturabweichungen die Großwetterlage verantwortlich, andererseits spielt aber auch die Erderwärmung eine erhebliche Rolle, da die Wassertemperaturen des Nordatlantiks weiterhin rekordwarm für die Jahreszeit sind. Daher sind die Luftmassen, die uns aus Westen erreichen, noch eine Spur milder als sie es ohnehin schon sind.

V.a. südwestlich von Europa ist der Atlantik deutlich milder als üblich. Von einer Abkühlung aufgrund der schwächelnden Umwälzzirkulation ist vorerst noch nichts zu sehen.
Im Flächenmittel entspricht die Wassertemperatur des Nordatlantiks aktuell jener von Mitte Mai im langjährigen Mittel von 1982 bis 2011.

Die Abweichungen zum Mittel in Österreich liegen derzeit zwischen +4 Grad im Lavanttal und +9 Grad im südlichen Wiener Becken. Selbst wenn die zweite Monatshälfte durchschnittlich ausfallen sollte, wird der Februar 2024 der wärmste der Messgeschichte in Österreich.

Am Freitag nochmals sehr mild

Am Rande eines Nordseetiefs liegt der Alpenraum am Freitag weiterhin unter dem Einfluss sehr milder Luftmassen für die Jahreszeit, die Nullgradgrenze steigt auf gut 3000 m Höhe an. Regional wie etwa im Wald- und Mostviertel hält sich zwar Nebel, abseits davon scheint bei nur harmlosen Schleierwolken aber häufig die Sonne. Im Tagesverlauf werden die Wolken im Westen etwas dichter, es bleibt aber trocken. Die Höchstwerte liegen je nach Nebel und Sonne zwischen 8 Grad im Waldviertel und gut 18 Grad in den Nordalpen.

Die Höhe der Nullgradgrenze am Freitag.

Am Wochenende leicht unbeständig

Der Samstag verläuft meist bewölkt und an der Alpennordseite fällt zeitweise etwas Regen. Ein paar Auflockerungen sind am ehesten im äußersten Süden zu erwarten. Die Temperaturen gehen an der Alpennordseite leicht zurück und die Höchstwerte liegen von Nord nach Süd zwischen 8 und 15 Grad. Am Sonntag überwiegen zunächst die Wolken und stellenweise fallen im Süden ein paar Regentropfen. Tagsüber lockern die Wolken im Westen sowie im Donauraum aber langsam auf und zeitweise kommt die Sonne zum Vorschein. Die Höchstwerte liegen zwischen 8 und 15 Grad.

Kein Wintereinbruch in Sicht

Am Montag setzt sich der Tiefdruckeinfluss fort und im Tagesverlauf breitet sich von Westen her Regen auf weite Landesteile aus. Die Temperaturen gehen leicht zurück und liegen meist zwischen 6 und 12 Grad. Die Schneefallgrenze pendelt um etwa 1200 m.
Ein Wintereinbruch ist bis auf Weiteres nicht in Sicht, damit ist auch keine Besserung bei der teils mehr als dürftigen Schneelage in mittleren Höhenlagen der Alpen zu erwarten. Stattdessen zeichnet sich ein verfrühter phänologischer Frühlingsablauf und mittelfristig auch eine erhöhte Spätfrostgefahr für die Landwirtschaft ab.

Nur im Hochgebirge liegt derzeit viel Schnee. © www.foto-webcam.eu

Golfstrom schwächer als je zuvor in den vergangenen 1000 Jahren

Wetterboje

Update 2024: Kipppunkt näher als gedacht?

Seit einigen Jahren gerät die Atlantische Umwälzströmung (AMOC) aufgrund potentieller Veränderungen im Zuge des Klimawandels wiederholt in die Schlagzeilen. Zunehmend aufwändige Studien und Simulationen geben nämlich Anzeichen, dass sich die AMOC nicht einfach nur kontinuierlich abschwächt, sondern dass sie nach dem Erreichen eines Kipppunkts rasch kollabieren kann. In den vergangenen Tagen sorgte eine neue Studie für  Aufsehen: Ein niederländisches Forschungsteam definierte mit Hilfe der bislang aufwändigsten Simulation mehrere Signale, die sich vor dem Erreichen eines solchen Kipppunkts zeigen. Entscheiden dabei ist das Salzgehalt des Wassers, das den südlichen Atlantik passiert, in etwa auf Höhe der Südspitze von Afrika: Frischwasserzufuhr durch Eisschmelze und erhöhten Niederschlägen lässt das Salzgehalt nämlich weiter sinken. Es wird zwar keine dezidierte Jahreszahl genannt, möglicherweise ist ein überschreiten dieses Kippunkts aber noch in diesem Jahrhundert möglich, wir bewegen uns also rasch darauf zu.

Ab einer bestimmten Zufuhr an Süßwasser im Nordatlantik könnte sich die AMOC abrupt abschwächen. Wie weit entfernt dieser Kipppunkt liegt, ist unsicher. © René M. van Westen

Über die möglichen Auswirkungen war zuletzt schon viel zu lesen. Kommt die Heizung Europas zum Erliegen, hätte dies vor allem für den Norden Europas fatale Folgen: Die Temperaturen würde deutlich sinken und sich jenen von Kanada auf gleichem Breitengrad annähern. Dabei würde es aber nicht nur kälter, sondern auch deutlich trockener. Durch den schlechteren Wärmeabtransport würde sich die Erwärmung in den niederen Breiten dagegen verstärken, besonders stark in der südlichen Hemisphäre. Trotz der regional deutlichen Abkühlung in Europa, was extremste Auswirkungen u.a. auf die Landwirtschaft hätte, würde es global gesehen aber weiterhin wärmer werden. Die Folgen wären jedenfalls verheerend und weltweit spürbar, so müsste man u.a. auch mit einer Verlagerung der tropischen Regengebiete rechnen. Wann bzw. ob überhaupt dieser unumkehrbare Kipppunkt erreicht wird, kann man aufgrund der Datenlage derzeit noch nicht sagen, es liegt aber an uns, dieses Risiko gar nicht erst einzugehen. Diese Studie verdeutlicht auch, wie komplex Klimaprognosen in Zeiten des Klimawandels sind und welche Gefahren zukünftigen Generationen bevorstehen können.

Modellierung der Veränderungen der Jahresmitteltemperaturen nach einem AMOC-Zusammenbruch. Nordeuropa wäre besonders extrem betroffen. © René M. van Westen

 

Überblick: Das Globale Förderband

Der Golfstrom und die atlantische Umwälzzirkulation sind ein Teil des globalen Förderbands, einem weltumspannenden Strömungssystem, welches von den Dichteunterschieden des Wassers innerhalb der Weltmeere angetrieben wird. Die Salzkonzentration des Wassers spielt dabei eine wichtige Rolle, da sie in Zusammenspiel mit der Temperatur die Dichte des Oberflächenwassers bestimmt. Allgemein ist kaltes und salzreiches Wasser schwerer als warmes und salzarmes Wasser, und neigt daher zum Absinken. Der Salzgehalt des Wassers wird durch die Bildung von Meereis erhöht, somit ist das Wasser in der Labrador- und Grönlandsee besonders salzig. Dies ist ein entscheidender Faktor um die atlantische Umwälzzirkulation und somit auch den Golfstrom anzutreiben.

Golfstrom im Nordatlantik. © shutterstock.us
Die AMOC im Nordatlantik. © shutterstock.us

Salzgehalt nimmt ab

Durch die globale Erwärmung kommt es im subpolaren Nordatlantik zu einer ansteigenden Zufuhr von Süßwasser, einerseits durch zunehmende Niederschlagsmengen, andererseits durch das Schmelzen des Grönland- und Polareises. Der abnehmende Salzgehalt erschwert in diesen Regionen das Absinken des Wassers und beeinträchtigt somit die gesamte atlantische Umwälzzirkulation. Um diese Abschwächung nachzuweisen, wurden in einer Studie vom Potsdamer-Institut für Klimafolgenforschung im Jahre 2018 die verfügbaren Messdatensätze der Meerestemperaturen seit dem 19. Jahrhundert mit einer Simulationsrechnung eines hochaufgelösten Klimamodells verglichen.

Golfstrom und beobachtete Änderung der Temperatur. © Caesar; Potsdam-Institut für Klimafolgenforschung
Golfstrom und beobachtete Änderung der Temperatur. © L. Caesar; Potsdam-Institut für Klimafolgenforschung

Die Ergebnisse zeigen eine Abkühlung des subpolaren Atlantiks südlich von Grönland und eine Erwärmung entlang der amerikanischen Ostküste, was laut den Forschern auf eine Abschwächung sowie Verschiebung des Golfstrom in Richtung Küste zurückzuführen ist. Die Änderung der Wassertemperaturen zeigt zudem, dass sich der Golfstrom seit Mitte des 20. Jahrhunderts um etwa 15% abgeschwächt hat. In einer weiteren neuen Studie wurden Bohrkerne von Sedimenten am Meeresgrund analysiert (paläoklimatischen Proxydaten) . Die Messgenauigkeit ist zwar geringer, dafür ermöglicht dies aber Rückschlüsse über einen wesentlich größeren Zeitraum von etwa 1.600 Jahren zu ziehen. Die analysierten Daten dieser Studie ergeben, dass der Golfstrom in den letzten 150 Jahren wesentlich schwächer geworden ist im Vergleich zu den vorherigen 1.500 Jahren.

Kurzfristige Folgen für Europa

Die Auswirkungen des sich abschwächenden Golfstroms betreffen derzeit in erster Linie die Wassertemperaturen im Nordatlantik. Diese spielen allerdings eine wesentliche Rolle für die großräumige Luftdruckverteilung und somit auch für die allgemeine atmosphärische Zirkulation über Europa. So deuten die Ergebnisse einer weiteren Studie darauf hin, dass die veränderte Luftdruckverteilung derzeit im Sommer Hitzewellen in Europa begünstigt, wie es etwa auch im Jahr 2015 der Fall war. Damals war der subpolare Atlantik so kalt wie noch nie zuvor seit Messbeginn und in Mitteleuropa gab es einen der bislang heißesten Sommer der Messgeschichte. Andere Forscher vermuten zudem, dass Winterstürme in Europa häufiger werden könnten.

Update 2021: Stabilitätsverlust

Wissenschaftler gehen davon aus, dass die Atlantische Umwälzströmung in der Erdgeschichte neben dem aktuellen starken Zustand auch einen wesentlich schwächeren Zustand eingenommen hat. Der Übergang zwischen diesen beiden Zuständen dürfte allerdings abrupt verlaufen, man spricht auch von einem Kipppunkt. Das Szenario einer bevorstehenden, abrupten Abschwächung der AMOC galt bislang als eher unwahrscheinlich, eine neue Studie kommt allerdings zu dem Ergebnis, dass die Abschwächung der AMOC während des letzten Jahrhunderts wahrscheinlich mit einem Stabilitätsverlust verbunden sei. Das würde bedeuten, dass wir uns bereits einer kritischen Schwelle annähern, hinter der das Zirkulationssystem zusammenbricht. Eine Änderung in den schwachen Zirkulationsmodus würde langfristig weltweit schwerwiegende Folgen haben, das Klima in manchen Regionen würde regelrecht auf den Kopf gestellt werden.

Weiterführende Links:

Anmerkung: Dieser Artikel wurde im April 2018 veröffentlicht und im August 2021 sowie im Februar 2024 erweitert.

Mikroplastik in Wolken

Konfetti zu Fasching

Die Quellen für Mikroplastik sind vielfältig: In Kosmetika und Hygieneartikeln wird es oft absichtlich verwendet, sonst entsteht es im Rahmen des Alterungsprozesses von Kunststoffen – egal ob Plastikverpackung, Funktionsbekleidung oder auch schlichter Reifenabrieb von Millionen von Fahrzeugen (tatsächlich einer der grössten Verursacher). Durch mechanische, thermische und UV-Belastung zerfällt das primäre Mikroplastik (noch etwas gröbere Stücke) in immer feinere Partikel – bis es schliesslich zu Nanoplastik wird.

Mikroplastik ist überall

Mit Regen, Wind und Abwasser wurde Mikroplastik in den vergangenen Jahrzehnten nahezu überall hin verteilt. Es findet sich Meerwasser und daher auch im daraus gewonnenen Meersalz, in Fischen und anderen Organismen, selbst im Schnee der Arktis. Wir nehmen es mit der Nahrung und über Getränke auf. Durch den Wind wird es aufgewirbelt, wir atmen es ein. Es verteilt sich aber wohl noch wesentlich weiter in der Atmosphäre, als gedacht. Vor allem scheint es hier auch als Kondensationskeim zu fungieren.

Ein Plastikpartikel alle fünf Kubikmeter Wolken

Dieser Aspekt ist noch relativ neu und wurde zuletzt von Forschenden der Shandong University in Qindao untersucht. Diese Studie wurde im veröffentlicht. Die Arbeitsgruppe wählte dafür den Tài Shān, einen 1545 Meter hohen Berg im Osten Chinas. Sie fingen mit Hilfe von Teflonfäden das Wasser von Wolkentröpfchen auf und analysierten es. In 24 von 28 Proben fand sich Mikroplastik in verschiedenen Größen, im Mittel enthielt ein Liter 463 Partikel. Sie bestanden aus vielen unterschiedlichen Kunststoffarten (darunter Polystyrol und Polyamid), die meisten Teile waren zudem kleiner als 100 Mikrometer (Größen zwischen 8 und 1542 μm, 60 % kleiner als 100 μm).

Der Berg Tài Shan in China.

Im Labor wurde die Alterung der Partikel unter verschiedenen Bedingungen untersucht. Unter atmosphärischen Bedingungen (Sauerstoff, UV-Strahlung, Wasser und größere Temperaturschwankungen) war sie anders als beispielsweise im Meer oder Boden. Die Partikel wiesen im ersten Fall eine rauhere Oberfläche auf, was auf die photochemische Alterung zurückzuführen ist. Dadurch verbesserte sich die Adsorptionsfähigkeit für potentiell giftige Metalle wie Quecksilber und Blei. In Kombination scheinen diese feinen Partikel als Kondensationskeime zu fungieren, was wiederum die Wolkenbildung modifiziert. Und diese wiederum hat in weiterer Folge Einfluss auf Wetter und Klima (via Strahlungshaushalt und Niederschlag). Dieses Verhalten muss nun genauer untersucht werden.

Semesterferien starten in den Alpen mit vorfrühlingshaftem Wetter

Schneeglöckchen im Frühling - pixabay.com

Der Alpenraum liegt in den kommenden Tagen im Übergangsbereich zwischen einem Hoch über Südwesteuropa und einem umfangreichen Skandinavientief namens Nadine. Mit einer westlichen Höhenströmung gelangt in der kommenden Woche feuchtmilde Luft vom subtropischen Atlantik nach Österreich. Die Temperaturen steigen weiter an und erreichen lokal Spitzenwerte über 15 Grad. Neuschnee ist zwar nicht in Sicht, in vielen Skigebieten liegt aber ausreichend Schnee zum Skifahren, teils durch Kunstschnee und teils durch Altschnee.

Am Nordrand eines Hochs namens „Frank“ gelangt subtropische Luft nach Mitteleuropa.

Am Wochenende zweigeteilt

Das Wochenende hat im Westen und Süden bei nur harmlosen Wolken einige Sonnenstunden zu bieten. Von Oberösterreich bis ins Nordburgenland ziehen mit kräftigem Westwind hingegen dichte Wolken durch und im Norden fallen stellenweise auch ein paar Regentropfen. Die Höchstwerte liegen zwischen 5 Grad im Mühlviertel und 15 Grad im südlichen Bergland von Osttirol bis zum Joglland in der Oststeiermark.

Am Samstag gibt es die meisten Sonnenstunden im Westen und im zentralen Bergland.

Stürmisch und mild

Der Montag beginnt mit vielen Wolken und besonders von Oberösterreich bis ins Nordburgenland mit einzelnen Regenschauern, die tagsüber abklingen. Die Sonne zeigt sich aber kaum. Im Süden und Westen bleibt es dagegen weiterhin trocken, tagsüber lockert es auf und es wird zunehmend sonnig. Der Wind weht im Norden stürmisch aus West: Besonders in der Nacht auf Montag und am Montagvormittag sind von Wien bis ins Steinfeld auch schwere Sturmböen zu erwarten. Die Temperaturen erreichen 8 bis 16 bzw. rund ums Grazer Becken auch 17 Grad.

Prognose der Windspitzen von Sonntag auf Montag von ICON.

Frühlingshafte Wochenmitte

Am Dienstag nimmt der Hochdruckeinfluss etwas zu, damit bleibt es verbreitet trocken bei einem freundlichen Sonne-Wolken-Mix. Nur vereinzelt ist in inneralpinen Tälern und in den südlichen Becken mit Frühnebel zu rechnen. Der Wind lässt etwas nach und mit 9 bis 17 bzw. lokal auch 18 Grad wird es noch eine Spur milder, die höchsten Werte kündigen sich dabei im Süden Niederösterreichs an. Auch am Mittwoch bleibt es trocken und bei ein paar durchziehenden Wolkenfeldern scheint zeitweise die Sonne.

Prognose der Höchstwerte am Dienstag.

Zum Wochenende hin unbeständig

Am Donnerstag lässt der Hochdruckeinfluss nach und die Wahrscheinlichkeit für Regen steigt an. Die Temperaturen gehen zwar etwas zurück, sie verbleiben aber auch am Wochenende auf einem für die Jahreszeit hohen Niveau. Obwohl die Temperaturen kommende Woche für Frühlingsgefühle sorgen, sollte man den Winter aber noch nicht abschreiben. Im Laufe des zweiten Ferienabschnitts deuten die Modelle tendenziell auf eine Rückkehr des Winters in Mitteleuropa hin.

Im 2. Abschnitt der Ferien kündigt sich eine Umstellung an und mit Drehung der Strömung auf Nordwest geht es mit den Temperaturen tendenziell wieder abwärts. © ECMWF/UBIMET
In der Mittelfrist zeichnet sich eine Rückkehr des Winters ab. © ECMWF

 

 

Jänner 1,3 Grad milder als üblich, im Osten Rekord an Sonnenschein

Ski

Österreichweit betrachtet schließt der Jänner rund 1,3 Grad zu warm ab, vergleicht man ihn mit dem langjährigen Mittel von 1991 bis 2020. Die größten positiven Abweichungen von bis zu +2 Grad wurden im östlichen Flachland, im Oberinntal sowie in Osttirol und Oberkärnten gemessen. Nahezu durchschnittlich waren die Temperaturen lediglich im Pinz- und Pongau.

Nur vorübergehend winterlich

Nach einem sehr milden Start lagen die Temperaturen besonders in der zweiten Woche des Jahres unter dem jahreszeitlichen Mittel, wobei der Tiefpunkt im Flachland am 9. erreicht wurde, als etwa in Wien mit einem Höchstwert von -4,7 Grad der kälteste Wintertag seit sechs Jahren verzeichnet wurde. Zur Monatsmitte pendelten sich die Temperaturen zunächst wieder im Bereich des jahreszeitlichen Mittels ein und stiegen nachfolgend weiter an. Der wärmste Tag des Monats war der 24., als föhniger Westwind besonders in Tirol zu zahlreichen neuen Monatsrekorden geführt hat. In Haiming wurden 18,4 Grad erreicht, aber auch am Brenner wurde mit 11,3 Grad eine neuer Jännerrekord aufgestellt.

Höchste Temperaturen
  • 18,4 Grad Haiming (T, 24.)
  • 17,9 Grad Innsbruck, Imst (T, 24.)
  • 17,7 Grad Weyer (OÖ, 24.)
  • 17,6 Grad Ebensee (OÖ, 24.)
  • 17,5 Grad Wiener Neustadt (NÖ, 24.), Mattersburg (B, 24.)

Tiefste Temperaturen (<1500 m)
  • -21,1 Grad Schwarzau im Freiwald (NÖ, 9.)
  • -20,8 Grad Lech am Arlberg (V, 20.)
  • -19,8 Grad St. Jakob in Defereggen (T, 20.)
  • -19,3 Grad Schmirn (T, 20.)
  • -19,2 Grad Liebenau / Gugu (OÖ, 17.)

Sturm und Eisregen

Der Jänner war mehrfach durch turbulentes Wetter gekennzeichnet. Zunächst kam es am 4. zu einem schweren Weststurm in Wien sowie entlang der Thermenlinie: In der Wiener Innenstadt wurde mit einer orkanartigen Böe von 111 km/h sogar ein neuer Stationsrekord für den gesamten Winter verzeichnet. Stürmisch war es aber auch am 24. sowie am 26. Jänner.
Weiters kam es auch mehrmals zu gefrierendem Regen bzw. Glatteis, wie etwa am 18. oder auch am 23., als es im Osten und Südosten zu zahlreichen glättebedingten Unfällen kam. In Erinnerung bleibt zudem auch der sog. Industrieschnee in Wien am 17., ein Phänomen, dass in der Bundeshauptstadt nur etwa alle vier Jahre auftritt.

Stärkste Windspitzen Niederungen
  • 111 km/h Wien – Innere Stadt (W, 4.)
  • 107 km/h Wien – Unterlaa (W, 4.), Wolfsegg (OÖ, 24.)
  • 106 km/h Gumpoldskirchen (NÖ, 4.)
  • 104 km/h Reichenau an der Rax (NÖ, 26.)
  • 103 km/h Wiener Neustadt (NÖ, 24.)

Teils nass, teils trocken

Im landesweiten Flächenmittel brachte der Jänner knapp 15 Prozent mehr Niederschlag als üblich, wobei es regional große Unterschiede gab. Der relativ nasseste sowie auch der relativ trockenste Ort lagen beide in Kärnten: Während es in Obervellach nur die Hälfte der üblichen Niederschlagsmenge gab, wurde vom Klagenfurter Becken bis zu den Karawanken mehr als doppelt so viel Niederschlag wie üblich gemessen. Auch in der Südweststeiermark liegt die Bilanz bei 200 Prozent. Im östlichen Flachland, im Oberen Mühlviertel, in Rheintal und im Außerfern gab es meist ein Plus von 25 bis 75 Prozent, während der Monat im Norden vielerorts durchschnittlich nass war. Zu trocken war es vor allem in inneralpinen Lagen wie im Bezirk Landeck sowie in den Regionen vom nördlichen Osttirol über den Lungau bis zum Inneren Salzkammergut.

nasseste Orte
  • 207 Liter pro Quadratmeter Loibl (K)
  • 183 Liter pro Quadratmeter Mittelberg (V)
  • 182 Liter pro Quadratmeter Sulzberg (V)
  • 177 Liter pro Quadratmeter Schröcken (V)
  • 173 Liter pro Quadratmeter Warth (V)

Im Osten örtlich sonnigster Jänner

In weiten Teilen des Landes war der Jänner überdurchschnittlich sonnig, im Flächenmittel liegt die Bilanz bei 130 Prozent. Die größten Abweichungen wurden im Osten und Südosten verzeichnet, im Tullnerfeld und im Oberen Waldviertel gab es sogar doppelt so viele Sonnenstunden wie üblich. U.a. in St. Pölten, Eisenstadt, Wiener Neustadt, Neusiedl am See, Krems, Langenlebarn und Laa an der Thaya wurden auch neue Monatsrekorde aufgestellt. Auch in Wien war der Jänner mit über 120 Sonnenstunden der sonnigste seit mehr als 100 Jahren. Der absolut sonnigste Ort im Jänner war Graz mit 156 Sonnenstunden. Etwas weniger Sonne als üblich gab es lediglich entlang der Nordalpen vom Bregenzerwald bis nach Salzburg.

sonnigste bewohnte Orte
  • 156 Sonnenstunden Graz (ST)
  • 155 Sonnenstunden Feldkirchen (K)
  • 154 Sonnenstunden Deutschlandsberg (ST)
  • 154 Sonnenstunden Preitenegg (K)
  • 152 Sonnenstunden Villach (K)

Wochenausblick: Wechselhaftes Winterwetter, am Mittwoch Föhn und Eisregen

Wetterhahn

Zu Wochenbeginn lässt der Hochdruckeinfluss langsam nach und im Einflussbereich einer kühlen Nordwestströmung machen sich an der Alpennordseite die Ausläufer eines Tiefs über dem Baltikum bemerkbar. Zur Wochenmitte stellt sich die Wetterlage vorübergehend um: Ein Tief über dem Ostatlantik namens Gertrud führt am Mittwoch und Donnerstag milde Luft nach Mitteleuropa und in den Alpen wird es leicht föhnig. Der Donnerstag wird der mildeste Tag der Woche, nachfolgend zieht eine Kaltfront durch und am Wochenende breitet sich ein Hochdruckgebiet aus.

Zur Wochenmitte ziehen aus Südwesten milde Luftmassen auf.

Zu Wochenbeginn im Süden oft sonnig

Am Montag überwiegen an der Alpennordseite die Wolken und im Mühlviertel sowie entlang der Nordalpen schneit es immer wieder leicht. Am Abend ziehen auch im Norden ein paar Schneeschauer durch. Im Osten und Süden bleibt es dagegen trocken und zumindest zeitweise sonnig. Der Wind weht im Donauraum und im Osten lebhaft bis kräftig aus West und die Temperaturen erreichen -2 bis +6 Grad. Der Dienstag beginnt an der Alpennordseite bewölkt, bis auf ein paar Flocken im Norden bleibt es aber trocken. Im Süden und Osten gibt es einige Sonnenstunden, aber auch in Vorarlberg und Tirol lockert es auf. Der anfangs kräftige, am Alpenostrand in Böen auch stürmische Westwind lässt ab Mittag nach und die Temperaturen erreichen -3 bis +5 Grad.

Prognose der Windspitzen von Montag auf Dienstag.

Zur Wochenmitte Glättegefahr und Föhn

Am Mittwoch zeigt sich vom Salzkammergut ostwärts ab und zu die Sonne, meist überwiegen aber die Wolken. Am Bodensee beginnt es in den Morgenstunden leicht zu regnen, Richtung Böhmerwald fallen am Vormittag vorübergehend ein paar Flocken. Von Westen her steigt die Schneefallgrenze aber rasch auf 1500 m an. Vor allem in Teilen Oberösterreichs kündigt sich am Mittwochabend erhöhte Glättegefahr durch gefrierenden Regen an. Im östlichen Flachland kommt lebhafter Südostwind auf, im Bergland wird es föhnig. Die Temperaturen steigen auf -1 bis +8 Grad an mit den höchsten Werten in Vorarlberg.

Das größte Potential für Eisregen am Mittwoch herrscht in den rot- und violett eingefärbten Regionen.

Der Donnerstag startet vereinzelt mit Regenschauern, besonders an der föhnigen Alpennordseite aber auch sonnig aufgelockert. Tagsüber zeigt sich vor allem im Osten und Südosten ab und zu die Sonne, an der Alpennordseite breitet sich ab dem späten Nachmittag mit einer Kaltfront von Nordwesten her aber Regen aus. In der Nacht schneit es nach und nach wieder bis in tiefe Lagen. Mit der Front frischt kräftiger Nordwestwind auf, zuvor wird es mit 4 bis 13 Grad vor allem im Südosten vorübergehend sehr mild.

Prognose der Höchstwerte am Donnerstag.

Hochdruckeinfluss am Wochenende

In der Nacht auf Freitag zieht die Kaltfront über das ganze Land hinweg. In den Alpen fällt etwas Neuschnee, die Mengen halten sich aber in Grenzen. Am Wochenende breitet sich dann ein Hochdruckgebiet über Mitteleuropa aus, somit stellt sich frostiges, aber oft sonniges Winterwetter ein. Auch beim jährlichen Hahnenkammrennen in Kitzbühel kann man sich also auf günstige Wetterbedingungen freuen: Besonders bei der zweiten Abfahrt am Samstag kündigt sich sonniges Winterwetter an.

Temperaturtrend für Wien.

Extremer Frost in Skandinavien, Seerauch in Oslo

Im Norden Europas wurde in den vergangenen Tagen vom Höhepunkt der Kältewelle heimgesucht. In Finnland wurden in Enontekiö am Mittwoch -44,3 Grad gemessen, was der niedrigsten Temperatur entspricht, die in diesem Jahrhundert in Skandinavien gemessen wurde (genau genommen seit dem Jahre 1999). An einer Straßenwetterstation in der Umgebung wurden sogar -46,5 Grad gemessen. In der kommenden Woche wird es zumindest vorübergehend deutlich milder.


Auch in den Nachbarländern war es aber extrem kalt, etwa in Norwegen wurden in Kauteokeino -43,5 Grad gemessen und in Schweden in Naimakka -43,8 Grad. Es handelt sich dabei aber nicht um Landesrekorde, so wurden im vergangenen Jahrhundert in Nordschweden auch schon Temperaturen knapp unter -50 Grad verzeichnet (zuletzt wurden im Jänner 1999 in Karesuando -49 Grad erreicht). Aufgrund der anhaltenden Kälte ist auch der nördliche Bottnische Meerbusen bereits komplett gefroren. Zuletzt mehr Eis zu dieser Jahreszeit gab es hier im Jahre 2011.

Nahe Oslo -30 Grad

In Bjørnholt, etwa 15 km nördlich von Oslo, wurde in der Nacht auf den 6.1. ein Tiefstwert von -31,1 Grad verzeichnet, was einem neuen Stationsrekord entspricht. In Oslo selbst war es eine Spur weniger frostig, dennoch wurden etwa in Oslo-Blinden -23,1 Grad erreicht, was der tiefsten Temperatur seit Januar 1987 entspricht, als -23,2 erreicht wurden. Noch kälter war es hier im Februar 1966 und 1985 mit -24,9 Grad und im Februar 1941 mit -26 Grad.

Meerrauch
Meerrauch in Oslo. © oslohavn.no

Meerrauch in Oslo

Über dem vergleichsweise milden Wasser der Nordsee kam es in Oslo zu intensivem Seerauch bzw. in diesem Fall Meerrauch. Es handelt sich dabei um Verdunstungsnebel: Er entsteht, wenn sehr kalte Luft über relativ warmes Wasser fließt. Infolge des starken Taupunktgefälles zwischen der Wasseroberfläche und der kalten Luft setzt dann Verdunstung ein. In der wassernahen Luftschicht kommt es zur Übersättigung und zur Bildung von Nebeltröpfchen, die aber in der sehr trockenen Kaltluft rasch wieder verdunsten. So entsteht der Eindruck einer rauchenden Wasseroberfläche.


Kälte und Klimawandel

Auch im Zuge des Klimawandels kommt es noch zu ausgeprägten Kältewellen, sie werden aber seltener. Tatsächlich stellt Skandinavien in diesem Winter auf der Nordhalbkugel die einzige Region mit unterdurchschnittlichen Temperaturen dar, überall sonst war es zu mild. Beispielsweise haben Kanada und der Norden der USA den wärmsten Dezember seit Messbeginn gerade erst hinter sich.

Temperaturanomalien im Oktober und November. © ERA5/climatereanalyzer.org

Auch in Lappland sind starke Fröste in den letzten Jahrzehnten deutlich seltener gewordeb. Beispielsweise wurden in Sodankylä im 20. Jahrhundert durchschnittlich jeden zweiten Winter -40 Grad beobachtet, im 21. Jahrhundert jedoch nur einmal.

Auch in Zeiten des Klimawandels treten Kälterekorde auf, im Gegensatz zu Hitzerekorden werden sie aber deutlich seltener. © www.deutschesklimaportal.de

Wintercomeback am Wochenende mit Schnee und Frost

Schneefall, Quelle: pixabay.com

Der Dezember reihte sich auf Rang 15 der wärmsten aller Zeiten ein, auch die ersten Jännertage geizen mit winterlichen Temperaturen. Am Mittwoch zum Beispiel gingen sich am Alpenostrand lokal bis zu +16 Grad aus. Das viel zu milde Winterwetter hat aber ein klares Ablaufdatum, man könnte auch sagen, der Winter besinnt sich wieder auf seine eigentliche Aufgabe! Am Samstag erreicht nämlich ein Tiefdruckgebiet Mitteleuropa, zugleich strömt aus Nord- und Nordosteuropa immer kältere Luft in den Alpenraum. Im Zusammenspiel mit einem weiteren Tief über dem Mittelmeer, das die nötige Feuchtigkeit bereitstellt, stellen sich am Wochenende nach und nach in weiten Teilen des Landes winterliche Bedingungen ein.

Tief CHARLOTTE über dem zentralen Mittelmeer führt feuchte Luft zum Alpenraum.

Mittelmeertief trifft auf Kaltluft

Ein Mittelmeertief namens CHARLOTTE führt am Wochenende feuchte Luft ins Land. Die Niederschlagsmengen fallen aufgrund der vergleichsweise entfernt gelegenen Zugbahn des Tiefs zwar nicht extrem aus (es handelt sich nicht um ein klassisches Adriatief), dennoch wird es mit dem Einsickern von kontinentaler Kaltluft verbreitet winterlich.

Animation der Temperaturwerte in rund 1500 m Höhe von Donnerstag bis Sonntag. Die mildere Luft im Alpenraum (gelb/orange) wird von einer deutlich kälteren Luftmasse (blau/violett) ersetzt
Animation der Temperaturwerte in rund 1500 m Höhe von Donnerstag bis Sonntag. Die mildere Luft im Alpenraum (gelb/orange) wird von einer deutlich kälteren Luftmasse (blau/violett) ersetzt

Am Samstag regnet und schneit es im ganzen Land mit leichter bis mäßiger Intensität. Die Schneefallgrenze liegt anfangs zwischen 700 und 1200 m und sinkt in den Nordalpen im Laufe des Tages langsam gegen 500 m ab. Im Süden und Südosten liegt die Schneefallgrenze noch in 1000 bis 1200 m Höhe. In der Nacht auf Sonntag sinkt die Schneefallgrenze an der Alpennordseite immer öfter bis in tiefe Lagen ab.

In Wien geht der Regen (grün) am Sonntagmorgen in Schnee (blau/pink) über.

Am Sonntag schneit es an der Alpennordseite und im Nordosten mit leichter bis mäßiger Intensität verbreitet, im Süden und Südosten fällt anfangs noch Regen bzw. vereinzelt im äußersten Osten auch gefrierender Regen. Tagsüber sinkt die Schneefallgrenze auch im Süden langsam in tiefe Lagen ab, der Schneefall klingt hier aber rasch ab. Vom Außerfern bis zum Wienerwald sowie im Waldviertel schneit es hingegen weiter mit meist leichter Intensität, wobei der Schneefall immer pulvriger wird. Zu Wochenbeginn fallen vor allem im Norden noch ein paar Schneeflocken, sonst bleibt es bereits weitgehend trocken.

Auf den Bergen 20 bis 40 cm

In weiten Teilen des Landes bildet sich am Sonntag eine mehr oder weniger geschlossene Schneedecke. Ausnahme sind allerdings die Niederungen in Kärnten, der südlichen Steiermark und teils auch das Südburgenland, wo es zu lange zu mild ist und der Niederschlag am Sonntag bald wieder abklingt. Dort bleibt es also streckenweise grün. Ansonsten sind im Donauraum und im Osten meist um 5 cm Neuschnee zu erwarten, auch in Wien kündigen sich von Ost nach West zwischen knapp 5 und 10 cm im Wienerwald an. Generell mehr Schnee mit meist 15 bis 25 cm fällt im Oberen Waldviertel und in den Nordalpen oberhalb von etwa 800 Metern. Auf den Bergen fallen recht verbreitet 20 bis 40 cm Neuschnee.

Neuschneeprognose für das Wochenende (in Flachland fällt erst am Sonntag Schnee). Zum Vergrößern auf das Bild klicken. © UBIMET

Am Sonntag frischt im Osten zudem lebhafter bis kräftiger Nordwind auf, wobei besonders von den Fischbacher Alpen bis zum Günser Gebirge auch stürmische Böen zu erwarten sind. In exponierten Lagen der Oberen Waldviertels, des Wienerwalds und der Semmering-Wechsel-Gebiets kann es zu leichten Schneeverwehungen kommen.

Ausblick: Eiskalt, aber kein Neuschnee mehr

In der neuen Woche geht es sehr kalt weiter, auch tagsüber bleiben die Temperaturen meist unterhalb des Gefrierpunkts. Besonders die teils sternenklaren Nächte auf Dienstag und Mittwoch bringen dann weiten Teilen des Landes strengen Frost. In den Landeshauptstädten werden die Tiefstwerte zwischen -6 (Wien-City und Klagenfurt) und -12 Grad (Salzburg) liegen. In den klassischen Kältepolen (Freiwald, Lungau, Aichfeld) zeichnen sich lokal auch Temperaturen zwischen -15 und -20 Grad ab.

Ausblick auf die Tiefstwerte in der Nacht auf Mittwoch (zum Vergrößern auf das Bild klicken). © UBIMET

In der zweiten Wochenhälfte schwächt sich der Frost ab und die Temperaturen kommen tagsüber wieder immer öfter ins Plus. Neuschnee ist in der neuen Woche aber kein Thema mehr.

Wettertendenz der Temperatur (oben) und der akkumulierten Niederschläge (unten) für Bregenz für die kommenden 10 Tage
Wettertendenz der Temperatur (oben) und der akkumulierten Niederschläge (unten) für Bregenz für die kommenden 10 Tage
Wettertendenz der Temperatur (oben) und der akkumulierten Niederschläge (unten) für Wien für die kommenden 10 Tage
Wettertendenz der Temperatur (oben) und der akkumulierten Niederschläge (unten) für Wien für die kommenden 10 Tage

Hintergrundwissen: Eistage

Eistage gehören in Österreich zum Jänner wie Sommertage zum Juli, sind also völlig normal. Wir Meteorologen sprechen von einem Eistag, wenn die Temperaturen den ganzen Tag (und auch in der Nacht) unterhalb des Gefrierpunkts verharrt. Im langjährigen Mittel gibt es in den Landeshauptstädten im Jänner zwischen 5 Eistagen in Innsbruck und 12 in Klagenfurt, rund 6 bis 8 Eistage gibt es im Jänner je nach Bezirk in der Bundeshauptstadt. Bis dato waren Eistage in ebendiensen Landeshauptstädten eher noch Mangelware, im gesamten bisherigen Winter kommt St. Pölten mit drei Tagen samt Dauerfrost noch auf die meisten. Bregenz wartet indes noch immer auf seinen ersten Eistag.

Langzeitstatistik der Eistage (Tageshöchstwert unter 0 Grad) im Winter in Innsbruck
Langzeitstatistik der Eistage (Tageshöchstwert unter 0 Grad) im Winter in Innsbruck

Tief Dietmar bringt kräftigen Regen, Gefahr von Hochwasser nimmt erneut zu

Die Hochwasserlage bleibt derzeit vor allem in Teilen Niedersachsens angespannt, während sich die Lage in der Mitte und im Süden über den Jahreswechsel entspannt hat. In den kommenden Tagen kommen aber neuerlich teils große Regenmengen zusammen, damit nimmt die Hochwassergefahr ausgehend von den Mittelgebirgen erneut zu.

Die aktuelle Hochwasserlage. © https://www.hochwasserzentralen.de/

Kräftiger Regen am Dienstag

Reger Tiefdruckeinfluss über Nordeuropa sorgt in den kommenden Tagen für eine feuchtmilde Westströmung in Mitteleuropa. Ein Tief namens „Dietmar“ zieht am Dienstag vom Atlantik zur Nordsee, weshalb es in einigen Regionen Deutschlands zeitweise kräftig regnet. Bereits in der Nacht zum Dienstag setzt von Rheinland-Pfalz bis Niedersachsen verbreitet Regen ein, der am Dienstag weite Teile des Landes erfasst. Besonders im Nordwesten und in der Mitte regnet es zeitweise kräftig mit nur vorübergehenden Unterbrechungen. Dazu frischt zunächst im Südwesten bzw. am Abend dann auch im Nordwesten und in der Mitte starker Südwestwind mit stürmischen Böen auf. In exponierten Lagen wie in der Eifel muss man mit Sturmböen rechnen, in Ostfriesland sind in der Nacht auch schwere Sturmböen zu erwarten.

48h-Niederschlagsprognose vom ICON-Modell.:

In der Nacht zum Mittwoch zieht das Niederschlagsgebiet langsam nach Nordosten ab, im Bereich der Mittelgebirge regnet es aber weiter. Auch am Mittwoch und Donnerstag ziehen aus Westen zahlreiche Schauer durch, welche sich in den Mittelgebirgen weiterhin stauen und für größere Regenmengen sorgen. Abseits der Mittelgebirge fallen die Mengen meist nur noch gering aus.

Lokal 100 l/m²

In Summe kommen bis inklusive Donnerstag in den Staulagen der Mittelgebirge (Schwarzwald, Sauerland, Rhön, Thüringer Wald, Fichtelgebirge, Bayerischer Wald) 40 bis 80, punktuell auch bis zu 100 mm Regen zusammen. In tiefen Lagen fallen regional 20 bis 40 mm. Da die Böden vielerorts schon gesättigt sind, nimmt die Hochwassergefahr ausgehend von den Mittelgebirgen neuerlich zu. Deutlich geringer bleiben die Niederschlagsmengen nur im Osten und Südosten.

Am Freitag setzt sich das wechselhafte Wetter mit zeitweiligem Regen fort, die Unsicherheiten sind aber noch erhöht. Flächendeckender und ergiebiger Regen ist aber nicht in Sicht. Am kommenden Wochenende stellt sich die Wetterlage um und aus Norden gelangt kalte, der Jahreszeit entsprechende Luft nach Deutschland.

Regen- und Sturmwarnungen für den Dienstag (weitere Warnungen werden am Montagabend ausgegeben). © www.uwr.de
Bereits in der Weihnachtswoche gab es regional ergiebige Niederschlagsmengen, entsprechend sind die Böden vielerorts schon gesättigt.

2023 wärmstes Jahr seit Messbeginn, Dezember 2 Grad wärmer als üblich

Global ist das Jahr 2023 das bislang wärmste der Messgeschichte und liegt nur knapp unter der 1,5-Grad-Marke des Pariser Klimaabkommens. Auch in Österreich schließt das Jahr 2023 mit einer Abweichung von +1,2 Grad gleichauf mit 2018 als das bislang wärmste der hiesigen Messgeschichte ab. An einigen Stationen liegt 2023 sogar allein auf Platz 1, wie etwa in Bregenz, Kremsmünster, Kufstein, Salzburg, St. Pölten und Wien.

Die langjährige Messreihe in Wien im Vergleich zum aktuellen Mittel von 1991 bis 2020.

Auf den Bergen war es das drittwärmste Jahr, die Messreihe geht hier bis 1851 zurück. Am Hohen Sonnblick liegt das Jahr 2022 gleichauf mit 2020 auf Platz 1.

Am Hohen Sonnblick war es das drittwärmste Jahr seit Messbeginn.

Wenn man sich den Verlauf im Detail anschaut, fällt einem sofort das Ungleichgewicht zwischen Wärme- und Kälterekorden auf. Etwa in Bregenz gab es heuer bei den Tiefstwerten einen einzigen Tag mit einem Kälterekord und ganze 15 Tage mit einem Wärmerekord.

Die täglichen Temperaturabweichungen zum Mittel 1991-2020 im Jahr 2023 in Wien.
Anzahl der Hitzetage pro Jahr in Wien.

Milder Dezember

Von den vergangenen 12 Monaten waren zwei rekordwarm (September und Oktober) und drei weitere unter den zehn wärmsten seit Messbeginn (Jänner, Juni und Juli). Mit dem April war nur ein Monat deutlich kühler als im langjährigen Mittel von 1991 bis 2020, wobei der April im Vergleich zum älteren, noch kühleren Klimamittel von 1961 bis 1990 sogar relativ unauffällig war. Auch der Dezember war österreichweit betrachtet sehr mild mit einer Abweichung von rund 2 Grad, vergleicht man ihn mit dem langjährigen Mittel von 1991 bis 2020. Die größten positiven Abweichungen haben wir von Oberösterreich bis ins Wiener Becken und auf den Bergen gemessen. Deutlich geringer fallen die Abweichungen in den südlichen Becken und der Mur-Mürz-Furche aus, da es hier häufiger Inversionswetterlagen gab.

Temperaturabweichungen im Dezember 2023. © UBIMET

Kalter Start, dann nur noch Wärme

Der Dezember hat heuer kalt und winterlich begonnen, so gab es am 2. an der Alpennordseite und in den Alpen verbreitet kräftigen Schneefall. Selbst in Wien wurde mit bis zu 21 cm die größte Schneehöhe seit Februar 2013 gemessen. Neben massiven Einschränkungen im Verkehr kam es auch zu Schneebruch, wobei hier besonders stark die Steiermark betroffen war: Etwa im Murtal kam es zu einem großräumigen Zusammenbruch des Strom- und Mobilfunknetzes. Am 4. folgte die bislang kälteste Nacht des Winters, als die Temperatur im Waldviertler Freiwald auf bis zu -25,4 Grad sank. Nach der ersten Monatsdekade geriet Mitteleuropa jedoch unter den Einfluss einer milden Westströmung mit Temperaturen über dem jahreszeitlichen Mittel. Besonders mild war es rund um den Christtag, als etwa in Wiener Neustadt und Eisenstadt neue Weihnachtsrekorde aufgestellt wurden. Der mildeste Tag des Monats war der Stefanitag mit bis zu 19 Grad in Kroisegg.

Höchste Temperaturen
  • 19,0 Grad Kroisegg (B, 26.)
  • 18,6 Grad Wiener Neustadt (NÖ, 25.)
  • 18,3 Grad Berndorf (NÖ, 25.)
  • 17,8 Grad Weyer (OÖ, 25.)
  • 17,7 Grad Eisenstadt (B, 25.)
Tiefste Temperaturen
  • -25,4 Grad Liebenau-Gugu (OÖ, 4.)
  • -24,2 Grad Schwarzau im Freiwald (NÖ, 4.)
  • -21,2 Grad Summerau (OÖ, 4.)
  • -20,9 Grad Radstadt (S, 4.)
  • -20,7 Grad Horn (NÖ, 4.)

Schwerer Sturm im Norden

Kurz vor Weihnachten geriet der Alpenraum unter den Einfluss eines Sturmtiefs namens Zoltan. Bereits mit Durchzug der Kaltfront des Tiefs kam es am Abend des 21. mit Durchzug von Gewittern zu teils schweren Sturmböen in Oberösterreich und im Flachgau. In der Nacht vom 22. auf den 23. kam im Norden neuerlich stürmischer Westwind auf: Örtlich gab es neue Monatsrekorde, wie beispielsweise in Mariazell, Weyer, Micheldorf, Aigen im Ennstal und Enns. Auf den Bergen wurden Böen teils über 200 km/h gemessen, zudem gab es besonders im östlichen Berg- und Hügelland ergiebige Regen- und Schneemengen. Allein in Ober- und Niederösterreich sowie in der Obersteiermark gab es tausende Feuerwehreinsätze. Hier findet man mehr Infos zu den Unwettern im Jahre 2023.

Stärkste Windspitzen Niederungen
  • 133 km/h Mariazell (ST, 23.)
  • 125 km/h Wolfsegg (OÖ, 23.)
  • 120 km/h Weyer (OÖ, 23.)
  • 119 km/h Straßwalchen-Ederbauer (S, 21.)
  • 119 km/h Kremsmünster, Micheldorf (beide OÖ, 23.)
  • 117 km/h Irdning-Gumpenstein (ST, 22.)
Schäden an der Mariazellerbahn im Dezember 2023. Bild:  NB/Danner

Extrem nasser Dezember

Mit der überwiegend westlichen Höhenströmung wurde jede Menge Feuchtigkeit vom subtropischen Atlantik nach Mitteleuropa gelenkt. Das regenreichste Bundesland im Dezember war Vorarlberg, der Monat bilanziert aber im gesamten Land deutlich zu nass, die Gesamtbilanz liegt im östlichen Berg- und Hügelland sogar zwischen +200 und +300 Prozent, in Zeltweg gab es sogar die vierfache übliche Niederschlagsmenge. In Summe gab es landesweit mehr als doppelt so viel Niederschlag wie üblich, damit war es einer der nassesten Dezembermonate der Messgeschichte.

Niederschlagsabweichung vom Klimamittel im Dezember. © UBIMET
nasseste Orte
  • 374 Liter pro Quadratmeter Warth (V)
  • 325 Liter pro Quadratmeter Mittelberg (V)
  • 318 Liter pro Quadratmeter Schröcken (V)
  • 289 Liter pro Quadratmeter Loibl (K)
  • 271 Liter pro Quadratmeter St. Anton am Arlberg (T)
  • 264 Liter pro Quadratmeter Tannheim (T)
trockenste Orte
  • 41 Liter pro Quadratmeter St. Radegund bei Graz (ST)
  • 43 Liter pro Quadratmeter Gleisdorf (ST)
  • 44 Liter pro Quadratmeter Graz, Feldbach (ST)
sonnigste bewohnte Orte
  • 115 Sonnenstunden Deutschlandsberg (ST)
  • 113 Sonnenstunden Graz (ST)
  • 111 Sonnenstunden Leibnitz (ST)

Jahresrückblick 2023: Die markantesten Unwetter in Österreich

Das Jahr 2023 geht in die Schlussphase und wir blicken zurück auf ein turbulentes Jahr mit einigen Unwettern. Anbei folgt eine Auswahl der 10 markantesten Wetterlagen in den vergangenen 365 Tagen (mit Sturm Zoltan kurz vor Weihnachten wurden es 11).

  • Jänner: Oststau auf der Pack am 23.
  • Februar: Nordlage mit Schnee und Sturm vom 2. bis 4.
  • März: Stürmischer Westwind im Donauraum am 11.
  • April: Vb-Tief mit Regen und Schnee am 13.
  • Juni: ortsfeste Gewitter mit Starkregen im Osten
  • Juli: Gewitterlinien mit Orkanböen im Alpenraum
  • August: Hochwasser im äußersten Süden sowie am Inn
  • Oktober: Föhnsturm in den Alpen am 20.
  • November: Starker Schneefall in den Nordalpen ab dem 25.
  • Dezember: Starker Schneefall von Vorarlberg bis Wien am 2.
  • Dezember: Weststurm an der Alpennordseite am 23.
Die Übersicht der Unwetterlagen. Zum Vergrößern auf das Bild klicken.

In Erinnerung bleiben aber auch der sehr milde Start ins neue Jahr, das kühle Frühjahr sowie der rekordwarme Herbst mit neuen Rekorden sowohl im September als auch im Oktober. In Summe schließt das Jahr 2023 gemeinsam mit 2018 als das bislang wärmste der österreichischen Messgeschichte ab.

Jänner: Erst mild, dann Schnee

Das Jahr 2023 hat wie schon im Vorjahr von Beginn an für Rekorde gesorgt, so brachte der Neujahrstag zahlreiche Rekorde bei Temperaturen bis zu 19,7 Grad in Puchberg am Schneeberg. Generell verlief die erste Monatshälfte so warm wie noch nie zuvor, etwa in Graz und Innsbruck war sie um mehr als 4 Grad wärmer als üblich. In der zweiten Monatshälfte pendelten sich die Temperaturen dann im Bereich des jahreszeitlichen Mittels ein. In Erinnerung bleibt dabei vor allem der 23., als es auf der Pack bzw. der Koralpe starken Oststau mit knapp 1 Meter Neuschnee gab. In Preitenegg wurden mehr als 40 cm Neuschnee in 24 Stunden gemessen, aber auch in Unterkärnten wie etwa in Ferlach und Völkermarkt gab es größere Neuschneemengen. Durch Schneebruch wurden immer wieder Stromleitungen gekappt, zeitweise waren 5.000 Haushalte ohne Strom. Besonders betroffen waren Abschnitte des Lavanttals, das Jauntal sowie auch der Keutschacher Seental und das Gurktal.

Schnee
Viel Schnee in Teilen Unterkärntens am 24.1.. © Storm Science Austria

Februar: Erst Schnee und Sturm, dann Wärme

Der Februar wurde durch eine markante Nordwestlage vom 2. bis 4. geprägt. Zunächst kam es vor allem im östlichen Bergland zu starkem Schneefall, in Aflenz wurden 70 cm Neuschnee in 24 Stunden gemessen. Damit wurde hier der Rekord aus dem Februar 1986 eingestellt.

Schneemassen in Turnau am Abend des 2.2.. Ein Video dazu findet man auf Twitter.

Nachfolgend wurde der stürmische Wind zum Thema: Ein Tief namens „Pit“ sorgte am 3. in Wien für orkanartige Böen bis 112 km/h und am 4. kam von Osttirol über Kärnten und die Steiermark bis ins Burgenland stürmischer Nordföhn auf: In Zeltweg wurden orkanartige Böen bis 108 km/h erreicht, in Gröbming 103 km/h und in Millstatt sowie Kals am Großglockner 99 km/h. Im folgenden Video sieht man Schneeverwehungen in Prägraten am Großvenediger.

Ab der Monatsmitte ging es aber rasant bergauf mit den Temperaturen und am 18. wurde in Innsbruck mit bis zu 21,7 Grad der bislang wärmste Wintertag der Tiroler Messgeschichte verzeichnet.

März: Sturm im Donauraum

Der März verlief mild und vor allem im Osten sehr trocken. Das markanteste Wetterereignis gab es am 11., als ein Tief namens „Diethelm“ vor allem in einem Streifen von Oberösterreich über das südliche Wiener Becken bis ins Nordburgenland für stürmischen Westwind sorgte. In Podersdorf wurde eine Orkanböe von 118 km/h gemessen, in St. Pölten 102 km/h, in Wiener Neustadt 98 km/h. Allein in Ober- und Niederösterreich kam es zu mehr als 200 Feuerwehreinsätzen wegen Sturmschäden. In Linz deckte der Sturm das Dach der Kammerspiele beim Linzer Landestheater ab.

Ein umgestürzter Baum im Alois-Drasche-Park im 4. Bezirk Wiens. © M. Salmi

April: Vb-Tief

Der April bleibt in Erinnerung, weil es der einzige deutlich zu kühle Monat des Jahres war. Am 5. April gab es nochmals landesweiten Frost, auf dem Dachstein sank die Temperatur sogar auf -20,1 Grad. Dazu kam es wiederholt zu Regen bzw. im Bergland auch zu Schneefall. Besonders große Niederschlagsmengen gab es am 13., als ein Vb-Tief etwa in Gumpoldskirchen 103 l/m² in nur 48 Stunden brachte. Damit war der April im Norden und Osten der nasseste seit 1965, ein wahrer Glücksfall für den unter Trockenheit leidenden Neusiedler See.


Ende April kam es bei Oberfladnitz im Waldviertel am 29. auch zum ersten bestätigten Tornado des Jahres in Österreich. Der zweite Folgte dann exakt eine Woche später bei Ziersdorf im Bezirk Hollabrunn.

Tornado am 29. April 2023. Quelle: Wetter Weitersfeld

Juni: Gewitter mit extremen Regenmengen

Im ersten Sommermonat haben stationäre Gewitter lokal zu extremen Regenmengen in kurzer Zeit geführt. Etwa am 5. fielen in Wels 125 l/m² in 24 Stunden, davon 107 in nur zwei Stunden. Nur einen Tag später gab es in Bruckneudorf im Nordburgenland 111 l/m² in wenigen Stunden, aber auch in Wien kam es auf Bezirksebene zu großen Regenmengen wie etwa 19 l/m² in nur 10 Minuten in der Innenstadt. Bis zum ersten Hitzetag musste man sich dagegen bis zum 18, Juni gedulden, was dem spätesten ersten 30er seit dem Jahre 1990 entspricht. Während im Osten punktuell große Regenmengen gab, war der Juni von Vorarlberg bis Oberösterreich vielerorts knochentrocken.

Gewitter in Wien
Ein Gewitter mit Starkregen in Wien am 7.6.

Juli: Schwergewitterlagen mit Hagel und Orkanböen

Der Höhepunkt der Gewittersaison wurde heuer im Juli erreicht, als es rund um die Alpen immer wieder schwere Unwetter gab. In Österreich kam es dabei mehrmals zu Gewitterlinien mit schweren Sturm- und Orkanböen, in Summe wurden im Juli und August an mehr als 50 Wetterstationen neue monatliche Sturmrekorde aufgestellt. Etwa in der Nacht vom 11. auf den 12. Juli zog eine Gewitterlinie von Vorarlberg bis Oberösterreich, dabei wurden in Waizenkirchen 123 km/h bzw. in Enns 117 km/h gemessen. In der darauffolgenden Nacht sorgte eine Gewitterlinie in Bad Radkersburg für eine Orkanböe von 119 km/h. Am 18. folgten bereits die nächsten Sturmrekorde: Eine Gewitterlinie zog von Vorarlberg bis ins Burgenland, dabei wurden am Flughafen-Tower in Innsbruck 161 km/h gemessen. Orkanböen gab es aber u.a. auch in Gröbming mit 118 km/h und in Bad Eisenkappel mit 121 km/h.

Der Kirchturm von St. Marxen nach dem Unwetter am 17.7.23 . © Storm Science Austria

Dazu kam es rund um die Alpen auch mehrmals zu großem Hagel: Am 24. Juli wurde im benachbarten Friaul sogar ein Hagelkorn mit einer Größe von 19 cm dokumentiert, was einem neuen europäischen Rekord entspricht. Auch in Österreich wurde aber sehr großer Hagel beobachtet, wie etwa im Bezirk Voitsberg mit knapp 10 cm am 25. August oder im Bezirk Völkermarkt mit 8 cm am 23. Juni.

Eines der größten Hagelkörner in Österreich (25.8.23 im Bezirk Voitsberg). Bild © N. Koretic

August: Hochwasser und Gewitter

Im äußersten Süden kam es zwischen dem 3. und 5. zu ergiebigen Regenmengen in kurzer Zeit, als ein Mittelmeertief namens „Zacharias“ im Süden Kärntens und der Steiermark zu einem schweren Hochwasser führte. Innerhalb von nur 48 Stunden kamen dabei etwas am Loiblpass, in Bad Eisenkappel oder in Ferlach mehr als 200 l/m² Regen gemessen. Neue Rekorde gab es zudem auch in Völkermarkt und Klagenfurt.

Zwei Bilder aus der Südweststeiermark (Saggaubach und Sulm). Fotos: Hydrographie Steiermark


Zu einem weiteren Extremereignis kam es am 28. August, als ein weiteres Mittelmeertief namens „Erwin“ von Vorarlberg bis Salzburg für ein schweres Hochwasser sorgte. Bei einer sehr hohen Schneefallgrenze kam es besonders in Vorarlberg sowie am Alpenhauptkamm zu extremen Regenmengen wie etwa in Fraxern mit 196 l/m² oder Kolm-Saigurn in den Hohen Tauern mit 146 l/m².  Teils massive Vermrurungen und Hochwasser waren die Folge, auch am Inn kam es zu einem außergewöhnlichen Hochwasser.

Hochwasser
Hochwasser in Innsbruck am 28.8. Auf Twitter gibt es u.a. ein Video der Schäden im Ötztal.
Vermurungen und Hochwasser im Raurisertal. Bild: FF Rauris

Zwischendurch brachte der August aber auch heftige Gewitter: Am 12. wurde etwa Salzburg von einer starken Gewitterzelle getroffen, am Flughafen wurde mit einer Orkanböe von 126 km/h ein neuer Monatsrekord verzeichnet.


Der Höhepunkt wurde mit mehr als 93.000 Entladungen dann am 26. August erreicht, als eine Gewitterlinie über Oberösterreich und Teile Niederösterreichs hinwegzog. In Reichersberg wurden dabei Orkanböen bis 125 km/h gemessen.

Unwetterfront am 26.8.23 in Oberösterreich. © Storm Science Austria

Rekordherbst

Sowohl der September als auch der Oktober waren die bislang wärmsten der Messgeschichte in Österreich. Beide Monate brachten Rekorde bei der Anzahl an Sommertagen, zudem wurde im Oktober mit bis zu 30,3 Grad in Tulln auch ein neuer Monatsrekord aufgestellt. Aus UWZ-Sicht bleibt aber vor allem ein schwerer Föhnorkan in den Alpen am 20. Oktober in Erinnerung. Am Patscherkofel wurden Böen bis knapp 200 km/h erreicht, was nicht nur einem neuen Oktoberrekord für den sturmerprobten Hausberg der Innsbrucker darstellt, sondern zugleich die höchste Windböe in Österreich in einem Herbst seit 1997. Auch in vielen Tallagen kam es aber zu schweren Sturmböen, wie etwa in den Karawanken, im Bereich der Tauern oder auch im Ennstal.

Von Vorarlberg über Salzburg bis in die Obersteiermark sowie auch in Teilen Kärntens waren mehr als 30.000 Haushalte zeitweise ohne Strom, zudem gab es unzählige Feuerwehreinsätze wegen umgestürzter Bäume und abgedeckter Dächer. Auch einige Straßen mussten gesperrt werden, wie etwa die Katschberg-Straße oder auch der Tauern- und der Katschbergtunnel auf der A10.

Sturmschäden im Lungau. © FF Lungau

November: Starkregen und Schneefall

Der dritte Herbstmonat fiel nicht mehr so extrem warm aus, reger Tiefdruckeinfluss sorgte aber für teils ergiebige Niederschlagsmengen sowie für das Ausbleiben von Inversionswetterlagen. Zu Beginn des Monats kam es an der Gail zu einem 30-jährigen Hochwasser und vor allem im Bezirk Hermagor kam es zu zahlreichen Feuerwehreinsätzen wegen überfluteter Keller und Straßen. In den Karawanken führte föhniger Wind zudem neuerlich zu Stromausfällen. Zum Ende des Monats kam es dann vermehrt zu Nordwestlagen und in höheren Tallagen kamen große Schneemengen zusammen. Das erste größere Ereignis gab es am 25. November, wobei es an diesem Tag auch im Flachland wie etwa in Wien den ersten Schnee der Saison gab.

Verlauf von Temperatur, Niederschlag und Schneehöhe Ende November in Warth am Arlberg.

Dezember: Starkschneefall von München bis Wien

Pünktlich zu Beginn des meteorologischen Winters gab es am 2. Dezember von Bayern über Oberösterreich bis nach Wien eine markante Grenzwetterlage mit kalten Luftmassen arktischer Herkunft an der Alpennordseite und feuchtwarmer Luft subtropischen Ursprungs an der Alpensüdseite. Ein Italientief sorgte dabei für starken Schneefall: In München wurde mit 46 cm Schnee die höchste Schneedecke seit März 2006 gemessen bzw. in Wien  mit 21 cm die höchste seit Februar 2013. Neben massiven Einschränkungen im Verkehr kam es auch zu Schneebruch, wobei hier besonders stark die Steiermark betroffen war: Etwa im Murtal kam es zu einem großräumigen Zusammenbruch des Strom- und Mobilfunknetzes, allein im Oberen Murtal waren mehr als 20.000 Haushalte ohne Strom und das teils mehr als 24 Stunden lang. In den Bezirken Murau und Murtal war der 4.12. wetterbedingt auch schulfrei. Der Gesamtschaden liegt in Millionenhöhe und bis zur vollständigen Behebung wird es noch mehrere Wochen dauern.

Schäden infolge von Schneebruch. © Energie Steiermark

Dezember: Schwerer Sturm im Norden

Kurz vor Weihnachten geriet der Alpenraum unter den Einfluss eines Sturmtiefs namens Zoltan. Bereits mit Durchzug der Kaltfront des Tiefs kam es am Abend des 21. mit Durchzug von Gewittern zu teils schweren Sturmböen in Oberösterreich. Nachfolgend etablierte sich eine Luftmassengrenze quer über dem Nordosten Österreichs und in der Nacht vom 22. auf den 23. kam im Norden neuerlich stürmischer Westwind auf. Örtlich gab es neue Monatsrekorde, wie beispielsweise:

  • 135 km/h Mariazell
  • 120 km/h Weyer
  • 118 km/h Micheldorf
  • 112 km/h Aigen im Ennstal

Auf den Bergen wurden Böen teils über 200 km/h gemessen, zudem gab es besonders im östlichen Berg- und Hügelland ergiebige Regen- und Schneemengen. Die Feuerwehren waren vor allem in Oberösterreich, in der Obersteiermark und in Niederösterreich im Dauereinsatz, allein in Oberösterreich gab es mehr als 1000 Einsätze. Die Behebung der Schäden dauert noch an, so ist etwa die Mariazellerbahn aufgrund des heftigen Windwurfs bzw. Oberleitungsschäden zum Teil noch gesperrt. Auch die Landesstraße über den Pogusch ist aufgrund von Hangrutschungen bis auf Weiteres gesperrt.

Schäden an der Mariazellerbahn. Bild:  NB/Danner
Hangrutsch am Pogusch. Bild © FF St. Lorenzen im Mürztal

Hier geht es zum Unwetter-Rückblick für die Jahre 2021 und 2022.

Titelbild: © Storm Science Austria, N. Koretic, FF St. Lorenzen im Mürztal, Energie Steiermark

Wie Vulkane das Klima beeinflussen können

Der Sommer 1816 fiel einem Vulkanausbruch zum Opfer.

Allgemein können Vulkanausbrüche klimawirksam sein und einen kühlenden oder auch wärmenden Effekt auf unser Klima haben. Entscheidend dabei ist einerseits die Stärke der Eruption bzw. die Höhe der Eruptionssäule, andererseits aber auch die Zusammensetzung der vulkanischen Gase.

Damit es zu einer messbaren Wirkung auf das globale Klima kommen kann, müssen die Auswurfmaterialien lange in der Atmosphäre bleiben. Das ist nicht der Fall, wenn der Ausbruch unterhalb der atmosphärischen Sperrschicht der Tropopause in etwa 10 bis 15 km Höhe bleibt. Bei sehr starken Eruptionen gelangen die Gase aber in höhere Stockwerke der Atmosphäre, wo sie dann deutlich länger verweilen können.

Sulfataerosole entscheidend

Manche gasförmige Materialien eines Vulkanausbruchs wie CO2 und Wasserdampf vermindern die langwellige Wärmeausstrahlung der Erde und erwärmen damit die Atmosphäre. Dagegen reagiert Schwefeldioxid in der Atmosphäre mit Wasserdampf zu Schwefelsäure, aus der dann kleine Schwefelsalz-Partikel entstehen (Sulfataerosole). Diese vermindern die einfallende kurzwellige Sonnenstrahlung und kühlen die Atmosphäre. Entscheidend ist also die anteilige Zusammensetzung der Gase bei einem starken Ausbruch.

Aktuell eher wärmender Effekt

Der Ausbruch des Hunga Tonga-Hunga Haʻapai im Jahre 2022 erreichte eine außergewöhnliche Höhe von teils mehr als 50 km, was der höchsten Eruptionswolke entspricht, die je vom Weltraum aus beobachtet wurde. Diese Ausbruch sorgte auch für den größten Eintrag von Wasserdampf in die Stratosphäre seit Beginn der Satellitenbeobachtungen. Aktuelle Studien zeigen, dass in diesem Fall der erwärmende Effekt des Wasserdampfs den kühlenden Effekt der Schwefelaerosole übertrifft und die globale Erwärmung vorübergehend leicht beschleunigt. Dieser Vulkanausbruch produzierte einfach zu wenig Sulfataerosole, um eine kühlende Wirkung zu erreichen, wie es etwa beim Ausbruch des Pinatubos im Jahr 1991 der Fall war (die globale Durchschnittstemperatur wurde damals für ein paar Jahre um etwa 0,5 Grad gesenkt).

Der hochreichende Ausbruch vom Hunga Tonga-Hunga Ha’apai im Januar 2022. © NASA

Aktuelle Lage in Island

Der aktuelle Vulkanausbruch in Island bei weitem nicht stark genug, um messbare Auswirkungen auf das globale Klima zu haben. Bei solchen Spalteneruptionen kommt es nämlich meist nicht zu großen Explosionen bzw. hochreichenden Aschewolken. Im Gegensatz zum Ausbruch des Eyjafjallajokull im Jahre 2010 handelt es sich diesmal auch nicht um einen Schildvulkan, der von einem Gletscher überlagert wird. Damals war es die Interaktion des Magmas mit dem Eis bzw. Schmelzwasser, die den Ausbruch so explosiv und gefährlich für die Luftfahrt machte.

Der Vulkanausbruch in Island am 19.12.2023.

Kurz vor Weihnachten: Regen, Sturm und auf den Bergen viel Schnee

Sturm mit Verwehungen im Gebirge.

Der Alpenraum gerät ab Donnerstag unter den Einfluss eines Sturmtiefs namens „Zoltan“ mit Kern über Nordeuropa und am Freitag stellt sich in Österreich eine ausgeprägte Nordwestlage ein. In den Alpen kommen am Freitag und Samstag große Regen- und Schneemengen zusammen, zudem lebt an der Alpennordseite und im Osten zunehmend stürmischer Wind auf. Zu Heiligabend breitet sich dann von Westen her wieder milde Luft auf das gesamte Land aus und zu Weihnachten steigen die Temperaturen auf bis 15 Grad.

Zwischen Tief „Zoltan“ und einem ausgeprägten Hoch über dem Atlantik stellt sich eine sehr starke Nordwestströmung ein. © ECMWF/UWZ

Zunehmend windig und nass

Am Donnerstag fällt im Norden von Beginn an zeitweise Regen. Im Tagesverlauf wird es an der gesamten Alpennordseite immer häufiger nass, dabei liegt die Schneefallgrenze zwischen 600 m im Mühlviertel und etwa 1000 m in Vorarlberg. Der Wind weht an der Alpennordseite lebhaft bis kräftig aus West und legt ab dem Nachmittag weiter zu, vom Bodensee bis ins Wiener Becken gibt es auch stürmische Böen. In den Abendstunden wird es an der Alpennordseite dann generell stürmisch.

Teils schwere Sturmböen um 100 km/h

Der Freitag bringt in weiten Teilen des Landes trübes und nasses Wetter, vom Arlberg bis in die Obersteiermark regnet es anhaltend und zeitweise kräftig. Der Niederschlag greift auch auf den Süden über, dabei besteht besonders in Unterkärnten die Gefahr von Glätte durch gefrierenden Regen. Die Schneefallgrenze liegt von Ost nach West weiterhin zwischen etwa 600 und 1000 m. Der Wind legt noch etwas zu und weht an der Alpennordseite und in einigen Tälern der Nordalpen kräftig mit Sturmböen aus West. In der Nacht zeichnen sich von Oberösterreich bis ins Wiener Becken teils schwere Sturmböen um 100 km/h ab. Auf den Bergen gibt es Orkanböen.

Regen und Schnee

Am Samstag weht anfangs noch stürmischer Westwind und in weiten Teilen des Landes regnet es, nur ganz im Süden bleibt es meist trocken. Die Schneefallgrenze liegt zunächst zwischen 700 und 1000 m, tagsüber sinkt sie im Norden und Osten aber zeitweise bis in einige Tallagen ab und besonders in der Obersteiermark schneit es kräftig. Am Nachmittag lässt der Regen im Westen nach, im östlichen Bergland sowie den Norden bleibt es dagegen noch oft nass.

1 Meter Schnee auf den Bergen

In Summe kommen bis zum 4. Advent auf den Bergen vom Arlberg bis in die Obersteiermark verbreitet 50 bis 100 cm Neuschnee zusammen bzw. regional wie etwa im Dachstein-Gebiet auch etwas mehr. Der Neuschnee wird durch den stürmischen Wind stark verfrachtet, daher muss man am Wochenende mit einer großen Lawinengefahr rechnen.

Allein von Freitagvormittag bis Samstagvormittag kommen auf den Bergen große Schneemengen zusammen. Die Prognose für Samstag ist noch unsicher.

Mildes Weihnachtsfest

Zu Heiligabend fällt an der Alpennordseite und im Osten zeitweise noch etwas Regen, die Mengen fallen aber nur noch gering aus und die Schneefallgrenze steigt gegen 1200 m an. Zu Weihnachten kommt dann vielerorts die Sonne zum Vorschein und bei teils lebhaftem Westwind steigen die Temperaturen auf bis zu 15 Grad im Norden und Osten des Landes. Damit zeichnet sich etwa in Wien und St. Pölten eines der bislang wärmsten Weihnachten der Messgeschichte ab.

Temperaturrekorde in der Weihnachtszeit (24.12. bis 26.12.) in den Landeshauptstädten bis Weihnachten 2022.

Starker Schneefall und Klimawandel: Ein Widerspruch?

Der Klimawandel wirkt sich in den Alpen bereits stark aus, dennoch kommt es nahezu jährlich zu ausgeprägten Staulagen oder Italientiefs mit regional starkem Schneefall, wie etwa am letzten Wochenende. In den Medien wird dann mitunter von „einem Winter wie damals“ berichtet und in sozialen Medien erscheint regelmäßig als Kommentar „Wo bleibt denn der Klimawandel?“, um darauf hinzudeuten, dass doch alles normal sei. Doch wie beeinflusst der Klimawandel tatsächlich den Schnee in Österreich?

Starker Schneefall in Thal bei Turnau am 2.2.2023. © Christian Rechberger

Wasserkreislauf intensiviert sich

Im allgemeinen wird durch die globale Erwärmung der Wasserkreislauf intensiviert: Einerseits verdunstet mehr Wasser, andererseits fällt Niederschlag tendenziell kräftiger aus. Für jedes Grad Celsius an Erwärmung kann die Atmosphäre etwa 7% mehr Wasserdampf aufnehmen. Der Wassernachschub (die Verdunstungsrate) steigt aber nur um etwa 3 bis 4% pro Grad Erwärmung an, die Verdunstung kommt der gesteigerten Aufnahmekapazität der Atmosphäre also nicht ganz nach. Dieses Ungleichgewicht führt dazu, dass es tendenziell seltener regnet, aber dafür stärker. Besonders gut kann man das an der zunehmenden Häufigkeit von Unwettern im Sommer beobachten. Paradoxerweise werden also sowohl die trockenen Phasen als auch die starken Regenereignisse intensiver und häufiger, da sich der Niederschlag auf weniger Tage konzentriert und mitunter auch nur lokal auftritt.

Die Zahl der Tage mit wenig Regen hat im Sommer abgenommen, Tage mit großen Regenmengen sind deutlich häufiger geworden. Die Einteilung erfolgt in Perzentilen, z.B. sind in der Gruppe „extrem“ alle Regenmengen enthalten, die größer als 98% aller Ereignisse sind (Daten: GSA)

Die steigenden Wassertemperaturen rund um Mitteleuropa (Nordsee, Mittelmeer) führen zudem bei Kaltluftvorstoßen zu einer labilen Schichtung der Luft, was die maximalen Niederschlagsraten zusätzlich erhöhen kann.

Schneefall in Mariazell Ende November 2023.

Mittlere Nullgradgrenze steigt an

Die mittlere Nullgradgrenze steigt im Zuge der Klimaerwärmung in allen Jahreszeiten an, im Winter ist sie in den vergangenen 50 Jahren bereits von etwa 600 auf 850 m angestiegen und laut Prognose wird sie noch innerhalb dieses Jahrzehnts die 1000-Meter-Marke erreichen. In tiefen Lagen fällt dadurch immer häufiger Regen statt Schnee, zudem taut gefallener Schnee in tiefen Lagen meist in nur wenigen Tagen. Ab einer bestimmten Höhenlage schneit es bei passender Wetterlage aber besonders kräftig, da die Luft eben tendenziell feuchter ist und es in den Alpen ab einem bestimmten Höhenniveau immer kalt genug für Schnee ist. Etwa am Hohen Sonnblick sind die Temperaturen sogar stärker als im Flachland angestiegen, dennoch fällt hier meterweise Schnee im Winter. Es kommt eben auf die Ausgangslage an, und entgegen der Vorstellungen vieler Menschen hatte das Flachland in Österreich im vergangenen Jahrhundert kein mediterranes Klima vorzuweisen.

Schneefall im Wienerwald im Dezember 2023.

Während für die Niederungen in Zukunft also vor allem der Temperaturanstieg entscheidend für die Schneemengen ist, spielt auf den Bergen vor allem der Niederschlagstrend eine entscheidende Rolle. Tendenziell wird in kommenden Jahrzehnten eine Abnahme vom Winterniederschlag erwartet, in den meisten Regionen der Alpen ist derzeit aber noch kein klarer Trend zu erkennen.

Als Folge der Erwärmung ist die Nullgradgrenze seit 1871 bis 2019 in der Schweiz um 300 bis 400 Meter gestiegen, im Winter sogar bis 700 Meter. Quelle: MeteoSchweiz.

Bei ausgeprägten Staulagen schneit es auf den Bergen also besonders intensiv, während es in den großen Tallagen oft nur noch für Regen oder Schneeregen reicht. An dieser Stelle sei auch angemerkt, dass es für starken Schneefall nicht extremen Frost braucht, da sehr kalte Luft nur wenig Wasserdampf enthalten kann. Ohne Klimaerwärmung würde der Schneefall im Bergland also etwas weniger intensiv ausfallen, es würde aber tiefer herab schneien. Starke Schneefallereignisse bleiben also Teil unseres Klimas, auch wenn die Pausen zwischen den Ereignissen länger werden und der Schnee in den Niederungen schneller schmilzt. Tauwetter wird in Zukunft also ebenfalls intensiver ausfallen und das auch mitten im Winter.

Schneefall in Wien im Dezember 2023.

Tage mit Schneedecke nehmen ab

Der Temperaturanstieg im Zuge des Klimawandels erfolgt in den Alpen schneller als im globalen Durchschnitt, auf dem Sonnblick sind die Temperaturen etwa im letzten Jahrhundert um mehr als 1,5 Grad gestiegen. Dadurch nimmt die Länge des Winters ab, gemessen an der Anzahl von Tagen mit einer Schneedecke: Der Schnee kommt später und schmilzt früher. Etwa in Arosa in der Schweiz hat sich die Periode mit einer Schneedecke von mindestens 40 cm bereits von fünfeinhalb Monaten auf etwas mehr als drei Monate verkürzt. Studien aus der Schweiz zeigen, dass derzeit Lagen unterhalb von 1300 m davon besonders stark betroffen sind, zudem werden auch die Zeitfenster für künstliche Beschneiung in diesen Höhenlagen immer kürzer. In Lagen oberhalb von etwa 2000 m gibt es dagegen keinen klaren Trend, da es hier auch bei einem mittleren Temperaturanstieg von 2 Grad immer noch kalt genug für Schneefall ist.

Klimawandel in Arosa
Mittlerer Verlauf der Schneehöhe in Arosa. © MeteoSchweiz

Besonders markant fällt die Abnahme an Tagen mit Schneedecke im Flachland auf: Immer häufiger ist es hier es eine Spur zu mild für Schneefall und wenn er mal liegen bleibt, ist er nach wenigen Tagen wieder weg. Der Wind lässt hier meist auch keine Niederschlagsabkühlung zu, wie es etwa in Osttirol und Oberkärnten oft der Fall ist. Eine internationale Studie hat neulich ergeben, dass die Zahl der Tage mit einer Schneedecke etwa in Wien oder München in weniger als 100 Jahren um etwa 30 Prozent abgenommen hat, und der Trend geht weiter bergab. Einzelne schneereiche Jahre sind zwar weiterhin möglich, aber immer mehr Winter verlaufen schneearm.

Anzahl der Tage mit Schneedekce in München. © DWD

Wintereinbruch: Auf Schnee folgt Kälte

Eisige Nächte stehen bevor.

Der Alpenraum liegt derzeit unter dem Einfluss eines Tiefs über Norditalien. Damit hat es seit Freitagabend an der Alpennordseite zum Teils intensiv geschneit, von Vorarlberg bis nach Salzburg und Oberösterreich gab es teils mehr als einen halben Meter Schnee.

Schnee im Waldviertel. © Storm Science Austria
24h-Neuschnee bis Samstagnachmittag (Auswahl):
  • 60 cm Gaschurn (V)
  • 53 cm Krimml (S)
  • 52 cm Mittelberg (V)
  • 51 cm Westendorf (T)
  • 50 cm Böckstein (S)
  • 38 cm Reutte (T)
  • 36 cm Felkirchen bei Mattighofen (OÖ)
  • 31 cm Irdning/Gumpenstein (ST)
  • 31 cm Seckau (ST)
  • 23 cm Kernhof (NÖ)
  • 20 cm Rekawinkel (NÖ)
  • 18 cm Wien Döbling (W)
  • 18 cm Dornbirn (V)
  • 7 cm Völkermarkt (K)

Am späten Nachmittag lässt der Schneefall zunächst im Süden und im Tiroler Oberland langsam nach und am späten Abend dann auch an der Alpennordseite.

Vielerorts Eistag am 1. Advent

Am Sonntag überwiegen von Oberösterreich bis in die nördliche Obersteiermark die Wolken und in der ersten Tageshälfte fällt noch ein wenig Schnee, im Westen und Süden verläuft der Tag hingegen trocken und häufig sonnig. Auch im Osten klingen die letzten Schneeschauer in der Früh ab und dann stellt sich ein freundlicher Sonne-Wolken-Mix ein. Der anfangs noch lebhafte bis kräftige Nordwestwind lässt nach und mit -6 bis 0 Grad stellt sich häufig Dauerfrost ein, nur ganz im Osten und Südosten werden zarte Plusgrade erreicht.

Prognose der Höchstwerte am 1. Advent.

Strenger Frost

In der Nacht auf Montag lockern die Wolken auch im Norden auf und bei abflauendem Wind muss man vielerorts mit teils strengem Frost rechnen. Besonders von den Kitzbüheler Alpen über die Obersteiermark bis zum Wienerwald sind Tiefstwerte zwischen -10 und -15 Grad in Sicht, aber auch am Wiener Stadtrand, im Wiener Becken und im Weinviertel ist strenger Frost um -10 Grad  zu erwarten. Noch eisiger wird es im Oberen Waldviertel, in den flachen Senken des Freiwalds kündigen sich lokal sogar Tiefstwerte um -25 Grad an.

Prognose der Tiefstwerte am Montagmorgen vom ICON-D2-Modell (auf das BIld klicken zum Vergrößern).

Im Laufe der kommenden Woche steigen die Temperaturen in der Höhe und in Vorarlberg etwas an. Im Norden und Nordosten, in Kärnten sowie in den Tallagen des zentralen und östlichen Berglands hält sich dagegen meist kalte Luft und regional ist zur Wochenmitte auch wieder ein wenig Schnee möglich. So große Mengen wie an diesem Wochenende sind aber nicht zu erwarten.

Grenzwetterlage bringt Regen und Schnee, am 1. Advent winterlich kalt

Grenzwetterlage

Der Alpenraum gerät am Donnerstag unter den Einfluss einer markanten Luftmassengrenze: Während an der Alpennordseite kalte Luftmassen arktischer Herkunft eintreffen, breitet sich im Mittelmeerraum feuchtwarme Luft subtropischen Ursprungs aus. Solch eine Wetterlage wird von Meteorologen als „Grenzwetterlage“ bezeichnet, da es zu markanten Wettergegensätzen auf engem Raum kommt.

Die Entiwcklung der Luftmassengrenze am Donnerstag, Freitag und Samstag. © UBIMET/ECMWF

Entlang der Luftmassengrenze zieht am Freitag ein Tief über Norditalien auf, welches die milde Luft in höheren Luftschichten vorübergehend bis nach Österreich bringt. Die Schneefallgrenze steigt im Süden Österreich zeitweise auf über 2000 Meter an, während im Oberen Waldviertel noch bis in tiefe Lagen Schnee fällt. In der Nacht auf Samstag sinkt die Schneefallgrenze dann rasch wieder in tiefe Lagen ab und regional schneit es kräftig.

Die Höhe der Nullgradgrenze im ICON-Modell am Freitagabend.

Am Donnerstag etwas Regen und Schnee

Am Donnerstag setzt bereits in den Morgenstunden in Vorarlberg und Tirol sowie im äußersten Süden Schneefall ein, der sich tagsüber mit meist leichter Intensität allmählich bis ins Innviertel und das Burgenland ausbreitet. Im Donauraum und im Nordosten bleibt es dagegen meist noch trocken. Die Schneefallgrenze steigt im äußersten Süden und Westen im Laufe des Tages allmählich auf über 1000 m an, lokal kann es von Unterkärnten über die Mur-Mürz-Furche bis ins Süd- und Mittelburgenland bzw. am Abend dann im Norden auch zu leichtem gefrierendem Regen oder Schneeregen kommen. Die Höchstwerte liegen zwischen -2 Grad im Oberen Waldviertel und +4 Grad in Vorarlberg.

Am Freitag Regen, Eisregen und Schneefall

Am Freitag fällt aus dichten Wolken verbreitet Regen und Schnee, wobei die Schneefallgrenze zwischen tiefen Lagen im Wald- & Mühlviertel, 1000 m in den Nordalpen und gut 2000 m im äußersten Süden liegt. Besonders im Nordosten und am Alpenostrand kann es bis etwa Freitagvormittag auch zu gefrierendem Regen kommen! Im Laufe des Abends werden Regen und Schneefall stärker, dabei sinkt die Schneefallgrenze im Norden allmählich wieder in tiefe Lagen ab. Die Höchstwerte liegen von Nord nach Süd zwischen 0 und +5 Grad. In der Nacht geht der Regen dann an der gesamten Alpennordseite und im Osten in Schneefall über, nur im Süden fällt weiterhin kräftiger Regen. Im zentralen und östlichen Bergland schneit es zeitweise intensiv, hier kommen einige Zentimeter Neuschnee zusammen, vom Pongau bis in die Obersteiermark teils sogar mehr als ein halber Meter bzw. auf den Bergen auch über 1 Meter.

Schneeprognose von Freitag- bis Samstagabend.

Winterliches 1. Adventwochenende

Der Samstag startet trüb und häufig winterlich, die Schneefallgrenze liegt anfangs zwischen tiefen Lagen und etwa 800 m im Süden, sinkt tagsüber aber überall bis in die Niederungen ab. Im Laufe des Nachmittags lässt der Schneefall von Westen her nach, im Norden und Nordosten fällt aber bis in den Abend hinein zeitweise noch etwas Schnee. Die Temperaturen erreichen von Nord nach Süd -3 bis +3 Grad. In der Nacht lockert es regional auf, damit kündigt sich im Westen und Süden teils strenger Frost an.

Der 1. Advent verläuft dann meist trocken und zumindest zeitweise sonnig, die Temperaturen kommen selbst im Flachland höchstens knapp über den Gefrierpunkt hinaus. In der Nacht auf Montag zeichnet sich dann in weiten Teilen des Landes mäßiger bis strenger Frost ab. In den typischen Kältepolen wie im Lungau. in Osttirol oder im Freiwald sind zu Wochenbeginn Tiefstwerte unter -20 Grad möglich.

Prognose der Höchstwerte am Sonntag.

Frühwinterliches Wetter setzt sich fort, in den Nordalpen weiterer Schnee

Schneefall im Herbst - Adobe Stock

Das kühle Wetter in Österreich setzt sich auch in der neuen Woche fort. Nach dem winterlichen Wochenende konnte sich in den Alpen am Montag zwar kurzzeitig ein Zwischenhoch bemerkbar machen, in den Nordalpen zieht aber bereits Montagnacht ein weiteres Tiefdruckgebiet namens OLIVER auf. Die Warmfront des Tiefs erfasst Montagnacht mit Regen und Schneefall den Westen Österreichs, wobei die Schneefallgrenze in Vorarlberg rasch gegen 800 m ansteigt.

Tief Oliver zieht am Dienstag von Deutschland über Österreich zum Balkan. © ECMWF/UBIMET

Viel Schnee am Arlberg

Am Arlberg schneit es in der Nacht auf Dienstag oberhalb von etwa 1000 bis 1200 m kräftig, hier kommen nochmals einige Zentimeter Neuschnee zusammen. Während die Schneefallgrenze auf Vorarlberger Seite rasch auf 600 bis 800 m ansteigt, fällt im Tiroler Oberland bis in die Tallagen Schnee. Am Dienstag breiten sich Regen und Schneefall auf weite Teile des Landes aus, wobei die Schneefallgrenze an der gesamten Alpennordseite vorübergehend ansteigt.

Am Südrand des Tiefkerns steigt die Nullgradgrenze vorübergehend an. © ECMWF/UBIMET

Auf Warmfront folgt Kaltfront

Der Dienstag beginnt häufig nass, die Schneefallgrenze liegt meist zwischen 600 und 800 m, nur im Norden fällt anfangs noch bis in tiefe Lagen Schnee oder Schneeregen. Im Süden trocknet es am Vormittag ab, die Sonne lässt sich vor allem in Osttirol und Kärnten ab und zu blicken. An der Alpennordseite bleibt es dagegen trüb und von Nordwesten her sinkt die Schneefallgrenze im Laufe des Nachmittags und Abends bei lebhaft bis kräftig auffrischendem Nordwestwind wieder bis in die Täler.

Neuschneeprognose für Dienstag. © UBIMET

Dienstagnacht lässt der Schneefall langsam nach, bis dahin kommt am Arlberg oberhalb von etwa 1200 m bis zu einem halben Meter Schnee zusammen. In Lagen oberhalb von etwa 700 m sind in den Nordalpen ab Dienstagnachmittag  recht verbreitet 10 bis 15 cm Schnee zu erwarten, aber auch im Inn- und Salzachtal sowie im Mühl- und Hausruckviertel kommen Dienstagabend ein paar Zentimeter Schnee zusammen.

Schnee
Schneefall in Mariazell am 26. November 2023. © N. Zimmermann

Keine Ruhe

Der Mittwoch verläuft unter Zwischenhocheinfluss vorübergehend trocken und vor allem in den Alpen und im Süden häufig sonnig, bereits ab Donnerstag kündigt sich aber bereits das nächste Tiefdruckgebiet an. Damit kündigt sich weiterer Regen bzw. immer häufiger auch in tiefen Lagen Schneefall an.

 

Am Wochenende Wintereinbruch, regional Schnee bis in tiefe Lagen

Schneefall im Herbst - Adobe Stock

Nach mehreren Wochen mit einer Westwindwetterlage stellt sich die Großwetterlage über Mitteleuropa in den kommenden Tagen grundlegend um. Am Freitag zieht eine Kaltfront über Deutschland hinweg und am Wochenende strömen zwischen einem Hoch über dem Ostatlantik und reger Tiefdrucktätigkeit über Russland bzw. Osteuropa kalte Luftmassen arktischen Ursprungs ins Land.

Am Wochenende stellt sich eine ausgeprägte Nordlage ein.

Am Freitag sind zunächst nur die höheren Lagen der Mittelgebirge und die Alpen betroffen, ein paar Schneeschauer bis in tiefe Lagen sind aber auch im Norden möglich. Freitagnacht sinkt die Schneefallgrenze mit der Ausnahme vom äußersten Westen bis in tiefe Lagen ab und am Wochenende ist in der Südosthälfte und in der Mitte dann vielerorts die erste Schneedecke der Saison in Sicht.

Arktische Luftmassen erfassen Deutschland. (GFS-Prognose via wetter3.com)

Vor allem in Bayern zeichnen sich je nach Höhenlage etwa 5 bis 10 cm ab, in höheren Lagen der Mittelgebirge (wie etwa im Erzgebirge und im Thüringer Wald) kommen 10 bis 15 bzw. in Gipfellagen auch 20 cm zusammen. Im Flachland zeichnen sich im Osten Deutschlands ein paar wenige Zentimeter ab, meist schneefrei bleibt es im äußersten Westen und Nordwesten.

Schneeprognose für das Wochenende. © UBIMET

Zu Wochenbeginn setzt sich das frühwinterliche Wetter fort, die Unsicherheiten sind jedoch noch groß. Mit Durchzug eines weiteren Tiefs ist am Montag vor allem im Süden und im Mittelgebirgsraum verbreitet Schneefall möglich, wobei die Schneefallgrenze von Ost nach West zwischen tiefen Lagen und etwa 600 m liegt. Besonders von der Schwäbischen Alb ostwärts sind nochmals um 10 bzw. in höheren Lagen auch 15 cm Schnee möglich, dies ist aber noch nicht abgesichert.

Erster Schneeausblick für Montag (Stand: Mittwoch 13 Uhr). © UBIMET

In den Alpen >1 Meter Schnee

Die größten Schneemengen in Mitteleuropa kommen in den kommenden Tagen in den Staulagen der Nordalpen zusammen, besonders am Arlberg bzw. in den Allgäuer Alpen zeichnet sich in Lagen oberhalb von 1000 m von Freitagnachmittag bis Dienstagmittag teils mehr als 1 Meter Neuschnee ab bzw. auf den Bergen 1,5 Meter inklusive Verwehungen. Auch sonst sind in den Nordalpen oberhalb von etwa 1000 m recht verbreitet 50 bis 80 cm bzw. im Gebirge gut 1 Meter Schnee in Sicht.

Warmer Herbst: Im Flachland viel Sonne und wenig Nebel

Mit eine Temperaturabweichung von knapp über +3 Grad zum Mittel von 1991 bis 2020 liegt der Herbst derzeit klar auf Rekordkurs, da sowohl der September als auch der Oktober die wärmsten der Messgeschichte Österreichs waren. Selbst wenn der November durchschnittlich abschließen sollte – was sich derzeit nicht abzeichnet – wird der bisherige Rekord aus dem Jahre 2014 überboten.

Herbstsoll an Sonne bereits erreicht

Im Norden und Osten Österreichs wurde das Soll an Sonnenstunden im Herbst bereits übertroffen, etwa in Wien gab es Stand heute (Update vom 12.11.) bereits mehr als 460 Sonnenstunden. Üblich sind hier in den drei Herbstmonaten 390 Sonnenstunden. Selbst wenn es also ab sofort bis zum Monatsende durchgehend trüb bleiben würde, wird der Herbst überdurchschnittlich sonnigen bilanzieren.

Sonnenstunden im Herbst 2023 (Stand 12.11., 12 Uhr) Mittlere Sonnenstunden im Herbst (1991-2020)
Wien 460 389
Eisenstadt (B) 461 408
St. Pölten (NÖ) 459 366
Graz (ST) 469 427
Wels (OÖ) 455 283
Krems (NÖ) 422 331
Wiener Neustadt (NÖ) 451 357
Poysdorf (NÖ) 470 395
Bad Gleichenberg (ST) 427 393
Salzburg (S) 390 378
Innsbruck (T) 472 453
Bregenz (V) 401 349
Klagenfurt (K) 377 395

In der Tabelle sieht man eindrücklich, wie v.a. im Norden und Osten das Soll an Sonnenstunden bereits übertroffen wurde. Nur am Alpenhauptkamm bzw. vor allem im Süden Österreichs fallen die Abweichungen u.a. aufgrund zahlreicher Italientiefs geringer aus, so wurde das Herbstsoll im Klagenfurter Becken noch nicht erreicht (im Süden war es bisher durchschnittlich sonnig).

Abweichung der Sonnenscheindauer vom Klimamittel im Herbst (laufend bis 11.11.23). © UBIMET

Wenig Nebel

Spätestens ab Mitte Oktober beginnt in den Niederungen meist die Nebelhochsaison, besonders der November ist berüchtigt für Inversionswetterlagen mit beständigem Hochnebel. In den vergangenen Wochen hat rege Tiefdrucktätigkeit zwar mehrfach für Wolken und Niederschlag gesorgt, dazwischen haben sich aber immer wieder Schönwetterphasen durchgesetzt. Stand heute (Update vom 12.11.) hat auch der November im Osten schon mehr als 75 Prozent der üblichen Sonnenscheindauer gebracht, etwa in Wien gab es bereits 56 Sonnenstunden, üblich wären im gesamten November 68. Auch im häufig trüben Waldviertel wie etwa in Allentsteig gab es bereits 55 Sonnenstunden, das Monatssoll liegt hier bei 58. Damit wird heuer an der Alpennordseite und im Nordosten jeder einzelne Herbstmonat überdurchschnittlich sonnig abschneiden.

Abweichung der Sonnenscheindauer vom Klimamittel im November (laufend bis 11.11.23). © UBIMET

Auch in den kommenden Wochen deuten die Modelle nämlich auf rege Tiefdrucktätigkeit über dem Nordatlantik und Mitteleuropa hin, damit zeichnet sich bis auf Weiteres ein feuchtmilder, unbeständiger Wettercharakter ab. Da keine beständigen Hochdruckgebiete in Sicht sind und die überwiegend westliche Strömung etwaigen Nebel tendenziell vertreibt, lässt die Nebelhochsaison weiterhin auf sich warten.

Der Trend für kommende Woche deutet auf Tiefdruckeinfluss über dem Atlantik bzw. dem nördlichen Mitteleuropa hin. Dies hat westwinddominiertes, feuchtmildes Wetter zur Folge. © ECMWF
In Wien überwiegt bis auf Weiteres westlicher Wind. © ECMWF

Der trübste Monat des Jahres ist im Mittel allerdings der Dezember, somit kann es heuer durchaus noch zu ausgeprägten Inversionswetterlagen kommen.

Großglockner
Zwischenhocheinfluss mit Sonnenschein in den Alpen. © www.foto-webcam.eu

 

Atlantisches Orkantief führt zu Föhnsturm und Starkregen in den Alpen

Nach dem September war auch der Oktober in Österreich der wärmste der Messgeschichte. Der Oktober brachte zudem am Alpenhauptkamm und im Süden Österreichs auch deutlich mehr Regen als üblich. Am Tiroler Alpenhauptkamm und in Unterkärnten gab es örtlich sogar doppelt so viel Regen wie üblich. Am Donnerstag zieht bereits das nächste Italientief auf, damit bleibt die Gefahr von Vermurungen und kleinräumigen Überflutungen erhöht.

Anteil vom klimatologischen Niederschlag im Oktober. Am Alpenhauptkamm und im Süden gab es deutlich mehr Regen als üblich. © UBIMET

Orkantief Ciarán

Unter dem Einfluss eines außergewöhnlich stark ausgeprägten Jetstreams mit teils mehr als 300 km/h über dem Nordatlantik entsteht derzeit unter rascher Verstärkung ein Tief namens Ciarán, das in der Nacht auf Donnerstag als Orkantief auf Westeuropa trifft. Vor allem an den Atlantikküsten Frankreichs und hier insbesondere in der Bretagne sind dabei Orkanböen um 150 km/h und teils über 10 Meter hohe Wellen zu erwarten.

Die Lage des Orkantiefs in der Nacht auf Donnerstag inkl. Prognose der Windspitzen (teils um 200 km/h). © DWD/UBIMET

Am Donnerstag liegt das Tief über den Britischen Inseln und sorgt im Alpenraum für zunehmend kräftigen Föhn. Der Höhepunkt des Föhnsturms steht am Donnerstagabend von den Hohen Tauern bis zu den Niederösterreichischen Voralpen an, auf exponierten Bergen sind Orkanböen zu erwarten und auch in manchen Tallagen kommt es zu schweren Sturmböen bis 100 km/h. Im östlichen Flachland  sowie in Kärnten sind ebenfalls teils stürmische Böen um 70 bzw. lokal wir in den Karawanken auch 90 km/h zu erwarten.

Am Donnerstagabend kommt vor allem im östlichen Bergland stürmischer Föhn auf.

Ergiebiger Regen, auf den Bergen Schnee

Am Donnerstagnachmittag beginnt es am Alpenhauptkamm sowie in Osttirol und Oberkärnten allmählich zu regnen. Am Abend breitet sich der Regen auf den gesamten Westen und Südwesten aus, vor allem in Oberkärnten regnet es zunehmend intensiv und gewittrig durchsetzt. In der Nacht erfasst der Niederschlag weite Teile des Landes und die Schneefallgrenze sinkt bis Freitagmorgen in den Nordalpen gegen 1200 bis 1000 Meter bzw. bei stärkerer Niederschlagsintensität lokal auch 800 Meter ab.
Am Freitag fällt anfangs Regen und auf den Bergen Schnee, tagsüber macht sich im Westen dann eine Wetterbesserung bemerkbar. In Summe kommen vor allem in Teilen Kärntens sowie im Bereich der Hohen und Niederen Tauern neuerlich große Niederschlagsmengen zusammen, im Gailtal sind Mengen um 100 l/m² zu erwarten. Die Gefahr von Überflutungen und Vermurungen bleibt am Alpenhauptkamm und im Süden erhöht, an manchen Flüssen in Kärnten kann es zu Hochwasser kommen.

Auf den Bergen schneit es hingegen kräftig, im Hochgebirge kommt am Alpenhauptkamm bis zu einem halben Meter Neuschnee zusammen, aber auch in manchen Hochtälern sind am Freitagmorgen ein paar Zentimeter Schnee in Sicht.

Zu Wochenbeginn im Berg- und Hügelland regional erster Frost

In der Nacht auf Sonntag haben kühle Luftmassen arktischen Ursprungs Österreich erfasst, der Tiefdruckeinfluss lässt am Sonntagabend aber nach. Zu Wochenbeginn liegt der Alpenraum unter dem Einfluss eines Zwischenhochs namens VERENA und es stellt sich wieder überwiegend sonniges Wetter ein.

Im Bergland leichter Frost

In der Nacht auf Montag lockern die Wolken abseits der Nordalpen auf und in inneralpinen, windgeschützten Tallagen sowie im Mühl- und Waldviertel zeichnet sich leichter Frost ab. In der Nacht auf Dienstag ist leichter Frost dann vor allem im südlichen sowie östlichen Berg- und Hügelland zu erwarten, wie etwa in Osttirol, im Pongau, in der Obersteiermark sowie im Mühl- und Waldviertel. Im Lungau und im Freiwald ist lokal auch mäßiger Frost in Reichweite. Im Flachland wäre Frost zu dieser Jahreszeit auch schon möglich, die Tiefstwerte liegen hier allerdings meist  zwischen +1 und +4 Grad bzw. in der Wiener Innenstadt bei +5 Grad.

Prognose der Tiefstwerte am Dienstag. © UBIMET

Frostarmer Herbst, Milderung in Sicht

In Summe brachte dieser Herbst bislang weniger Frost als üblich. selbst in Lagen um 1500 m gab es bislang nahezu keinen Frost. Etwa im Lungau kommt es meist noch im September zum ersten Herbstfrost, heuer ist es kommende Nacht erstmals der Fall. In Obertauern wurde heute der erste Frost des Herbsts verzeichnet. Im gesamten Monat wären hier durchschnittlich 12 Frosttage zu erwarten, was sich heuer aber nicht ausgehen wird: In den kommenden 10 Tagen kommen voraussichtlich nur zwei bis drei weitere dazu. Tatsächlich steigen die Temperaturen zur Wochenmitte wieder spürbar an, in der zweiten Wochenhälfte zeichnen sich auch wieder Höchstwerte um 20 Grad ab.

Mittlerer erster Herbstfrost. Daten: GSA

Der erste Frost in Österreich

In den höher gelegenen Alpentälern wie etwa am Arlberg oder im Lungau tritt der erste Frost miest im September auf, in den größeren Tallagen sowie im Flachland ist es meist in der zweiten Oktoberhälfte der Fall. Nur in den größeren Ballungsräumen wie in Wien und Linz sowie im Bereich des Bodensees kommt es meist erst im November erstmals zu Frost.

 Ort (Auswahl) Erster Frost im langjährigen Mittel (1961-90)
 Waizenkirchen (OÖ) 10.10.
 Bruck / Mur  (ST) 16.10.
 Innsbruck (T) 23.10.
 St. Pölten (NÖ) 24.10.
 Flughafen Wien-Schwechat (NÖ) 25.10.
 Enns (OÖ) 25.10.
 Gmunden (OÖ) 26.10.
 Kremsmünster (OÖ) 26.10.
 Linz Stadt (OÖ) 6.11.
Tiefstwerte in der ersten Monatshälfte. (<1600 m).  Zu Wochenbeginn werden diese unterboten.

Kältepol Freiwald

In den flachen Senken des Oberen Waldviertels bzw. Unteren Mühlviertels kann es bei passenden Bedingungen das ganze Jahr über zu leichtem Frost kommen. Etwa in Schwarzau im Freiwald wurde heuer am 13. sowie 15. Juni leichter Frost gemessen und  in Liebenau/Gugu gab es im Oktober immerhin schon 7 Frosttage. Es handelt sich dabei zwar um sehr kleinräumige, aber durchaus bewohnte, flache Kaltluftseen.

Ein flacher Kaltluftseen im Oberen Waldviertel. © www.wetter-hausruckviertel.at

Kaltfront beendet am Wochenende das sommerliche Wetter

Nasser Herbsttag - pixabay.com

Der Alpenraum liegt derzeit am Rande eines Hochs namens TORA und mit einer westlichen Strömung gelangen einmal mehr ungewöhnlich warme Luftmassen nach Österreich. Am Wochenende lässt der Hochdruckeinfluss aber nach und in der Nacht auf Sonntag zieht eine Kaltfront eines Tiefs namens TINO durch. Damit wird eine nachhaltige Umstellung der Großwetterlage eingeleitet: Der anhaltende Tiefdruckeinfluss über Nordeuropa klingt langsam ab und im Laufe der kommenden Woche etabliert sich über Skandinavien ein mächtiges Hochdruckgebiet, was hierzulande oft unterdurchschnittliche Temperaturen zur Folge hat.

In der Nacht von Samstag auf Sonntag zieht die Kaltfront über Österreich hinweg. © ECMWF/UBIMET

Bis Samstag spätsommerlich warm

Unter Hochdruckeinfluss verläuft der Donnerstag ruhig und meist trocken. Lokale Frühnebelfelder lichten sich rasch und bei nur harmlosen Wolken scheint häufig die Sonne. An der Alpennordseite werden die Wolken ab dem Nachmittag dichter, aber erst am späten Abend fällt im äußersten Norden stellenweise ein wenig Regen. Die Höchstwerte erreichen vom Wiener Becken bis zum Rax-Schneeberg-Gebiet bis zu 28 Grad und liegen damit um teils mehr als 10 Grad über dem jahreszeitlichen Schnitt. Am Freitag ziehen im Norden und Osten anfangs noch einige Wolken durch, sonst scheint nach Auflösung lokaler Nebelfelder bereits häufig die Sonne. Im Tagesverlauf kommt im gesamten Land wieder häufig die Sonne zum Vorschein und die Temperaturen erreichen 22 bis 27 Grad mit den höchsten Werten am Alpennordrand vom Flachgau bis ins Mostviertel.

Umstellung am Wochenende

Der Samstag beginnt im Süden und Osten häufig mit Nebel, dieser lockert am Vormittag aber auf und macht der Sonne Platz. Im Westen ziehen hingegen vermehrt Wolken auf und ab dem Nachmittag breiten sich von Vorarlberg bis Oberösterreich Regenschauer aus. Im Südosten wird es leicht föhnig, damit erreichen die Temperaturen von West nach Ost maximal 17 bis 26 Grad. In der Nacht zieht die Kaltfront über ganz Österreich hinweg, dabei sinkt die Schneefallgrenze in den Nordalpen gegen 1300 m ab. Am Sonntag überwiegen zunächst die Wolken und im Südosten sowie stellenweise auch in den Alpen fällt zeitweise Regen. Nördlich der Donau lockert es tagsüber etwas auf, bei lebhaftem Nordwestwind kommen die Temperaturen aber nicht mehr über 8 bis 15 Grad hinaus.

Prognose der Höchstwerte am Samstag & Sonntag (zum Vergrößern auf das Bild klicken). © UBIMET

Kühler Wochenstart

Der Beginn der neuen Woche gestaltet sich nach aktuellem Stand unter Zwischenhocheinfluss wieder ruhig bei zeitweiligem Sonnenschein. Tagsüber bleiben die Temperaturen auf einem grob der Jahreszeit entsprechenden Niveau von etwa 10 bis 15 Grad. Nachts kühlt es jedoch schon markant ab, im Berg- und Hügelland kann es vielerorts zum ersten leichten Frost kommen.

Temperaturtrend in Wien. © ECMWF/UBIMET

Der goldene Oktober

Im Oktober sorgen Vegetation und Sonne für goldenes Licht

Der Ausdruck „goldener Oktober“ hat im deutschsprachigen Raum eine sehr lange Tradition. Er wurde nachweislich bereits vor mehreren hundert Jahren verwendet, wobei das exakte Datum des Aufkommens jedoch nicht gesichert ist. Entscheidend für den goldenen Eindruck in dieser Jahreszeit sind zwei Faktoren:

  • Die Laubfärbung
  • Der Sonnenstand
Herbst
Goldener Oktober bei Oberstdorf. © www.foto-webcam.eu/

Faktor Vegetation

Die Laubverfärbung der Laubwälder erreicht ab Mitte Oktober vielerorts ihren Höhepunkt. Mit der abnehmenden Sonnenstrahlung lässt die Photosynthese nach: Um den dazu benötigten, wichtigen grünen Farbstoff Chlorophyll über den Winter nicht zu verlieren, wird dieser den Blättern entzogen und andere Farbstoffe werden sichtbar. Bei Lärchen und Birken etwa kommt es durch Karotin zu einer gelb bis goldgelben Färbung, bei Eiche und Ahorn hingegen sorgt der Stoffe Anthocyan für einen deutlich rote Farbe, während Buchen und Eichen aufgrund von Gerbstoffen eher ins Bräunliche gehen.

Herbst
Goldener Oktober in Kärnten. © www.foto-webcam.eu

Faktor Sonne

Die Färbung der Blätter wird durch die verstärkte Streuung des Sonnenlichts in dieser Jahreszeit zusätzlich hervorgehoben, insbesondere in den Morgenstunden sowie am späten Nachmittag bzw. Abend. Dadurch überwiegt die gelb-rötliche Strahlung, welche die Blattverfärbung noch besser und intensiver zur Geltung bringt, und oftmals geht der Farbton sogar ins Goldene. Ruhige Hochdrucklagen sowie auch Föhnlagen im Herbst garantieren meist diesen Sonnenschein, sofern der Nebel keinen Strich durch die Rechnung macht.

Goldenes Licht in Wien am Dienstagabend.
Goldenes Licht in Wien. © foto-webcam.eu

Tief NOAH bringt am Dienstag regional Sturm und lokale Gewitter

Sturm

Deutschland liegt derzeit noch unter dem Einfluss eines Hochs namens SONJA, dessen Kern mittlerweile über Südosteuropa liegt. Mit einer südwestlichen Strömung gelangen dabei sehr milde Luftmassen ins Land und die Temperaturen liegen deutlich über dem jahreszeitlichen Mittel.

Prognose der Höchstwerte am Montag (zum Vergrößern auf das Bild klicken).

Noah zieht auf

Vor den Küsten Frankreichs entsteht aktuell ein Wellentief, welches in der Nacht zum Dienstag unter Verstärkung über den Ärmelkanal hinwegzieht und am Dienstagmittag bereits über Südschweden liegt.

Bodenwetterkarte am Dienstagmittag (zum Vergrößern auf das Bild klicken).

Damit kommt auch in Deutschland verbreitet frischer bis starker Südwestwind auf, besonders im östlichen Niedersachsen sowie generell im Bereich der Mittelgebirge wie etwa im Harzvorland und im Thüringer Wald sind auch stürmische Böen zu erwarten. In der Südosthälfte wird es zudem nochmals sehr warm für Anfang Oktober.

Prognose der Höchstwerte am Dienstag (zum Vergrößern auf das Bild klicken).

Sturmböen und lokale Gewitter

Mit Durchzug der Kaltfront kommt im Laufe der zweiten Tageshälfte vorübergehend starker West- bis Nordwestwind auf, wobei sich die Kaltfront auf ihrem Weg südostwärts voraussichtlich immer mehr zu einer geschlossenen Schauerlinie mit eingelagerten Gewittern verstärken wird. Vor allem in der Mitte bzw. in der Südosthälfte ist daher recht verbreitet mit stürmischen Böen zu rechnen, mancherorts wie etwa  in Sachsen und Franken sind in Gewitternähe aber auch teils schwere Sturmböen möglich!

Aktuelle Böenprognose von ICON-D2 von Dienstagvormittag bis Dienstagnacht. Achtung: Andere Lokalmodelle wie etwa AROME berechnen auch in Bayern stärkere Böen.

Am Dienstagabend ziehen im äußersten Norden weitere gewittrige Schauer durch, dabei sind auch an der Ostsee örtlich Sturmböen zu erwarten. Sonst ist nach Durchzug der Kaltfront eine rasche Wetterberuhigung in Sicht und im Laufe der Nacht zum Mittwoch zieht die Front nach Polen, Tschechien und Österreich ab.

Sturmwarnungen für Dienstag (Stand: 2.10.2023, 13 Uhr). © www.uwr.de

 

Herbst auf Abwegen: Zu Wochenbeginn bis zu 29 Grad

Strohballen beim Sonnenuntergang

Nach dem wärmsten September seit Messbeginn in weiten Teilen Mitteleuropas legt auch der Oktober einen außergewöhnlich warmen Start hin. Ein umfangreiches Hoch namens Sonja sorgt zu Wochenbeginn für stabile Wetterverhältnisse und aus Westen erfassen neuerlich sehr warme Luftmassen Mitteleuropa. Die Höchstwerte am Dienstag liegen an der Alpennordseite im Bereich der Monatsrekorde. Der landesweite Monatsrekord von 30,1 Grad vom 1. Oktober 1956 in Eisenstadt wird voraussichtlich nur knapp verfehlt. Damit beginnt auch der zweite Herbstmonat sommerlich. Den bislang wärmsten Oktober seit Messbeginn gab es erst im Vorjahr, als etwa am Sonnblick erstmals ein Temperaturmittel über 0 Grad gemessen wurde.

Am Rande eines Höhenhochs über dem MIttelmeer erfassen uns warme Luftmassen. © ECMWF

Sonnig und sehr warm

Am Montag lösen sich lösen sich lokale Nebelfelder rasch auf und verbreitet scheint die Sonne. Die Temperaturen erreichen am Nachmittag 24 bis 27 bzw. lokal in den Nordalpen auch 28 Grad. Der Dienstag beginnt im Flachland häufig mit Nebel, am Vormittag setzt sich verbreitet die Sonne durch. Die Luft erwärmt sich am Nachmittag auf 25 bis 28 bzw. lokal am Alpennordrand auch 29 Grad.

Prognose der Höchstwerte am Dienstag (zum Vergrößern auf das Bild klicken). © UBIMET

Am Dienstagabend zieht aus Norden dann eine Kaltfront auf und von Vorarlberg bis Oberösterreich breiten sich Regenschauer und einzelne Gewitter aus. In der zweiten Nachthälfte ziehen dann auch im Osten und Süden Schauer durch.

Prognose der Höchstwerte im Vergleich zum Klimamittel. © UBIMET

Moderate Abkühlung

Der Mittwoch startet im Bergland und im Süden bewölkt mit schauerartigem Regen, im Donauraum und nördlich davon dagegen häufig sonnig. Tagsüber lockert es auch im Westen und in den Nordalpen zögerlich auf, im zentralen Bergland und im Süden halten sich die Wolken samt einzelner Schauer recht hartnäckig. Bei lebhaftem West- bis Nordwestwind gehen die Temperaturen zwar etwas zurück, liegen mit maximal 16 bis 22 Grad aber auch nach dem Kaltfrontdurchgang weiterhin über dem jahreszeitlichen Mittel.

Temperaturtrend für Wien mit Vergleich zum jahreszeitlichen Mittel. © ECMWF/UBIMET

Am Donnerstag machen die anfangs oft dichten Restwolken sowie lokale Nebelfelder am Vormittag der Sonne Platz. Tagsüber stellt sich vielerorts ein Mix aus Sonne und Wolken ein, dabei erreichen die Temperaturen 17 bis 23 Grad.

Erneut spätsommerlich

Zum Wochenende hin breiten sich über Westeuropa erneut sehr warme Luftmassen aus, welche im Laufe des Wochenendes voraussichtlich auch Österreich erreichen. Damit steigen die Temperaturen bei überwiegend sonnigem Wetter neuerlich an. Ab Sonntag kündigen sich wieder spätsommerliche Höchstwerte um 25 Grad an.

September 2023 wärmster seit Messbeginn in Österreich

Bei überdurchschnittlich viel Hochdruckeinfluss lagen die Temperaturen im September 2023 nahezu durchgehend über dem Mittel, nur kurzzeitig sorgte eine Kaltfront im Zusammenspiel mit einem Italientief rund um den 24. für durchschnittliche bzw. im Bergland auch leicht unterdurchschnittliche Temperaturen. In Summe schließt der September österreichweit 3,5 Grad wärmer als im langjährigen Mittel von 1991 bis 2020 ab und übertrifft damit um mehr als 0,5 Grad den bislang wärmsten September seit Messbeginn. Damit wird der bisherige Rekordhalter aus dem Jahre 1810 auf Platz 2 verdrängt, die Messreihe geht bis 1767 zurück.

Temperaturabweichung im September (zum Vergrößern auf die Karte klicken). © UBIMET

Besonders extrem fallen die Abweichungen im Nordosten sowie generell auf den Bergen aus, hier was es oft 4 bis 4,5 Grad wärmer als üblich. Etwa am Hohen Sonnblick war der September mit einer mittleren Temperatur von +4,5 Grad sogar wärmer als ein durchschnittlicher Sommermonat. Entsprechend wurden auf den Bergen auch neue Temperaturrekorde verzeichnet, so war der 9. mit bis zu 13 Grad der bislang wärmste Septembertag seit Messbeginn am Sonnblick.

In einem stabilen Klima würden sich die positiven und negativen Abweichungen in etwa ausgleichen. Auch im Zuge der globalen Erwärmung kommt es aber noch zu unterdurchschnittlichen Wetterabschnitten wie etwa im April (hier die Abweichungen in Österreich im Vergleich zum aktuellen Mittel von 1991 bis 2020).
Höchste Temperaturen
  • 32,1 Grad Langenlebarn (NÖ, 11.)
  • 32,0 Grad Eisenstadt (B, 12.) , Klausen-Leopoldsdorf (NÖ, 11.)
  • 31,7 Grad Mattersburg (B, 11.), Stammersdorf (W, 12.), Mistelbach (NÖ, 13.)
Tiefste Temperaturen (unter 1500 m)
  • -1,0 Grad Lech/Arlberg (V, 25.)
  • -0,5 Grad St.Leonhard/Pitztal (T, 25.)
  • -0,4 Grad Liebenau/Gugu (OÖ, 28.)

Rekord an Sommertagen

In fast allen Landeshauptstädten wurde ein neuer Rekord an Sommertagen verzeichnet, nur in Innsbruck, Klagenfurt und Graz hat es knapp nicht gereicht. Im Osten gab es sogar drei bis vier mal so viele Sommertage wie üblich. Etwa in Wien wurde die 25-Grad-Marke an 21 Tagen erreicht, der bisherige Septemberrekord lag bei 16. In Linz lag der Rekord bei 13 Tagen, heuer waren es 17 Sommertage. In Langenlebarn (Tulln) wurde mit 25 Sommertagen sogar ein neuer Landesrekord aufgestellt. Tatsächlich entspricht die Anzahl der Sommertage in diesem September im Osten jener eines durchschnittlichen Julis (die durchschnittliche Anzahl an Sommertagen in den Landeshauptstädten im September liegt zwischen zwei in Bregenz und sieben in Wien).

Sommertage
  • 25 Langenlebarn (NÖ)
  • 23 Krems, Gänserndorf (NÖ), Mattersburg (B)
  • 22 u.a. Wien-City, Eisenstadt (B), Leibnitz (ST)

Im Osten und im Inntal gab es zudem auch mehrere Hitzetage: In Langenlebarn wurde die 30-Grad-Marke an sechs Tagen erreicht, was der durchschnittlichen Anzahl an Sommertagen im September entspricht. Mit 32,1 Grad wurde hier auch die landesweit höchste Temperatur des Monats gemessen. Der Rekord liegt bei 36 Grad, gemessen am 1.9.2015 in Pottschach-Ternitz.

Hitzetage
  • 6 Langenlebarn (NÖ)
  • 5 Wien, Krems, Bad Vöslau, Gänserndorf (NÖ), Weyer (OÖ), Innsbruck, Imst (T)
  • 4 u.a. St. Pölten (NÖ), Eisenstadt (B), Mayrhofen (T), Mooslandl/Hieflau (ST)

Sonne wie im Sommer

Die Kombination aus mehreren beständigen Hochdrucklagen, trockener Luft und wenig Nebel hat zu deutlich überdurchschnittlichen Sonnenstunden geführt. Landesweit gab es etwa 35 Prozent mehr Sonnenschein als üblich, wobei die größten Abweichungen von bis zu 60 Prozent an der Alpennordseite beobachtet wurden. Tatsächlich brachte der September hier so viele Sonnenstunden wie ein durchschnittlicher Hochsommermonat. Besonders stark stechen dabei Oberösterreich und die nördliche Obersteiermark heraus, wo vereinzelt wie etwa in Ranshofen am Inn mit mehr als 260 Sonnenstunden auch neue Monatsrekorde aufgestellt wurden.

Vorläufig sonnigste Orte
  • 265 Sonnenstunden Feldkirchen bei Mattighofen (OÖ)
  • 263 Sonnenstunden Ostermiething, Aspach (OÖ)
  • 262 Sonnenstunden Ranshofen / Braunau (OÖ)
Vorläufige Sonnenscheinabweichung im September 2023. © UBIMET

Blitzreich, aber trocken

Im landesweiten Flächenmittel gab es im September etwa 50 Prozent weniger Niederschlag als üblich, wobei regional große Unterschiede auftraten. Während es die größten negativen Abweichungen vom Oberen Waldviertel über die westliche Obersteiermark bis nach Oberkärnten gab, wurde das Regensoll im Rheintal, im Tiroler Oberland sowie lokal auch am Alpenostrand und in Niederösterreich erreicht bzw. übertroffen. Verantwortlich dafür waren ein Italientief am 22. sowie zwei Gewitterlagen am 2. und 13. September.

Vorläufige Niederschlagsabweichung im September 2023. © UBIMET

In Summe wurden 57.000 Blitzentladungen detektiert, davon knapp 22.000 in der Steiermark. Damit gab es im September etwa 40 Prozent mehr Blitze als im 10-jährigen Mittel. In Wien gab es am 13. mit knapp 700 Blitzentladungen sogar den blitzreichsten Tag des Jahres.

Blitzdichte im September 2023. © UBIMET
Blitzdichte
  • 1,7 Blitze/km² Wien
  • 1,3 Blitze/km² Steiermark, Burgenland
  • 1,0 Blitze/km² Tirol
Analyse und Messwerte der maximalen täglichen Niederschlagssumme. © UBIMET
Vorläufig nasseste Orte
  • 152 Liter pro Quadratmeter Loibl (K)
  • 148 Liter pro Quadratmeter Brand (V)
  • 127 Liter pro Quadratmeter Mönichkirchen (NÖ)
Stärkste Windspitzen Niederungen
  • 89 km/h Fischbach (ST, 24.)
  • 87 km/h Bichlbach (T, 12.)
  • 80 km/h St.Radegund (ST, 24.), Innsbruck (T, 21.)

Gewitter im Sommer 2023: Knapp 1,1 Mio. Blitze in Österreich

Gewitter

Vom 1. Juni bis zum 31. August registrierte das Blitzortungssystem LINET (Lightning Detection Network) von nowcast, dem Blitzspezialisten der UBIMET-Gruppe, im Hochpräzisionsmessbereich über ganz Österreich verteilt exakt 1.094.100 Blitze (Wolken- und Erdblitze). Entsprechend zum langjährigen Mittel waren heuer der Juli gefolgt vom August die blitzreichsten Monate des Jahres. Während der Juli und August etwa 13 Prozent mehr Blitze als üblich brachten, lag die Bilanz im Juni bei -28 Prozent. Daraus resultiert eine ausgeglichene Sommerbilanz: Der Blitzanzahl im Sommer 2023 liegt im Mittelfeld der vergangenen 10 Jahre. Deutlich mehr Blitze gab es in den Jahren 2012 und 2017, als 1,8 Mio. Entladungen erfasst wurden. Die Gesamtanzahl der Blitze war zwar in etwa durchschnittlich, die Gewitterlagen in diesem Sommer waren aber oft unwetterträchtig.

Blitzdichte im Sommer 2023. © UBIMET

Orkanböen und Großhagel

Der Höhepunkt der Gewittersaison wurde heuer im Juli erreicht, als es rund um die Alpen immer wieder schwere Unwetter gab. In Österreich kam es dabei mehrmals zu Gewitterlinien mit schweren Sturm- und Orkanböen, in Summe wurden im Juli und August an mehr als 50 Wetterstationen neue monatliche Sturmrekorde aufgestellt.

Gemessene Windspitzen im Sommer 2023.

Dazu kam es rund um die Alpen auch mehrmals zu großem Hagel: Am 24. Juli wurde im benachbarten Friaul sogar ein Hagelkorn mit einer Größe von 19 cm dokumentiert, was einem neuen europäischen Rekord entspricht. Auch in Österreich wurde aber sehr großer Hagel beobachtet, wie etwa im Bezirk Voitsberg mit knapp 10 cm am 25. August oder im Bezirk Völkermarkt mit 8 cm am 23. Juni.

Riesiger Hagel am 24.7.23 in Friaul. FAQ zu großem Hagel gibt es hier. Foto: M. Tonin
Einer der größten Hagelkörner in Österreich im Sommer 2023 (Bezirk Voitsberg am 25.8.). Bild © N. Koretic

Steiermark auf Platz 1

Auf Bundeslandebene lag im Sommer 2023 das traditionell blitzreichste Bundesland Steiermark auf dem ersten Platz mit 352.063 Entladungen, was hier etwa 10 Prozent mehr Blitze als im 10-jährigen Mittel entspricht. Auf dem zweiten Platz folgt Oberösterreich mit 212.171 Entladungen, gefolgt von Kärnten mit 139.215. Kärnten weist heuer die größte positive Abweichung im Vergleich zum 10-jährigen Mittel auf, während die Gewittersaison in Wien und Niederösterreich deutlich unterdurchschnittlich abschließt.

Bundesland Blitzentladungen Abweichung zum 10-jährigen Mittel
Steiermark 352.063 +13%
Oberösterreich 212.171 +9%
Kärnten 139.215 +42%
Niederösterreich 127.350 -34%
Tirol 103.264 -16%
Salzburg 74.362 -17%
Vorarlberg 57.211 +10%
Burgenland 26.718 +14%
Wien 1.746 -52%
Blitze im Jahr 2023 im Vergleich zum 10-jähirgen Mittel von 2010 bis 2019. Mehr Infos zur Blitzklimatologie in Österreich gibt es hier. © UBIMET
Max. Blitzdichte pro km² (Bundesländer)
  • 21,5 Blitze/km² Steiermark
  • 17,7 Blitze/km² Oberösterreich
  • 14,6 Blitze/km² Kärnten

Blitzreichster Bezirk in Oberösterreich

Auf Bezirksebene liegt Oberösterreich an der Spitze: Der Bezirk mit der höchsten Blitzdichte war Braunau am Inn mit rund 40 Blitzen pro Quadratkilometer, gefolgt von der Südoststeiermark mit 38,5 und Graz mit 34,4 Blitzen pro Quadratkilometer. Im Burgenland war Oberpullendorf mit 27,1 Blitzen/km² der blitzreichste Bezirk, in Kärnten war es Wolfsberg mit 22,6.

Max. Blitzdichte pro km² (Bezirke)
  • 40,0 Braunau am Inn (OÖ)
  • 38,5 Südoststeiermark (ST)
  • 34,4 Graz (ST)
  • 29,4 Voitsberg (ST)
  • 28,5 Leibnitz (ST)
Unwetterfront am 26.8.23 in Oberösterreich. © Storm Science Austria

Juni an der Alpennordseite blitzarm

Der Start der Gewitterhochsaison verlief zunächst gedämpft. Die erste Gewitterlage des Sommers war durch nahezu ortsfeste Gewitter mit teils extremen Regenmengen in kurzer Zeit geprägt. An manchen Stationen kam es dabei zu neuen Niederschlagsrekorden wie etwa Wels am 5.6. mit 125 mm in wenigen Stunden oder in Bruckneudorf am 7.6. mit 111 mm. In der zweiten Monatshälfte nahm die Saison aber langsam Fahrt auf und am 21.6 sowie 23.6. gab es vor allem im Süden schwere Gewitter mit bis zu 8 cm großen Hagel im Bezirk Völkermarkt. In Summe war der Juni mit der Ausnahme der Steiermark und Wien aber vergleichsweise blitzarm, ganz besonders an der Alpennordseite. Landesweit wurden nur 72 Prozent der üblichen Blitzentladungen verzeichnet, wobei die Bilanz in Oberösterreich gar nur bei 18 Prozent lag. Mehr dazu hier: Im Juni 240.000 Blitze in Österreich.

Analyse der maximalen stündlichen Niederschlagssumme. Bei den Messwerten liegt Wels an der Spitze (5. Juni). © UBIMET

Schwergewitterlagen im Juli

Am Rande eines Hitzehochs über dem Mittelmeer war der Juli heuer durch zahlreiche Schwergewitterlagen geprägt. Ausschlaggebend dafür war das Zusammentreffen von ungewöhnlich starkem Höhenwind und energiereicher Luft. In erster Linie waren davon der Süden und Südosten des Landes betroffen, aber auch in den Alpen kam es mehrmals zu Unwettern. Weitere Details gibt es auch hier: Im Juli 485.000 Blitze in Österreich.

Zwischen dem Tiefdruckeinfluss über Nordeuropa und dem Hitzehoch über dem Mittelmeer war die Höhenströmung und damit auch die Windscherung im Juli ungewöhnlich stark im Alpenraum.

In Kärnten, der Steiermark und im Burgenland wurden deutlich mehr Blitze als üblich erfasst: Im Burgenland wurden 80% mehr Blitze verzeichnet als im 10-jährigen Mittel, in Kärnten sogar doppelt so viele. In Niederösterreich und Wien gab es dagegen weniger als die Hälfte der üblichen Blitzentladungen.
In Erinnerung bleiben u.a. der 17. Juli, als im Zuge eines Gewitters der Kirchturm in St. Marxen nahe Völkermarkt umgerissen wurde, sowie auch der 18. Juli, als eine Gewitterlinie mit Sturm- bzw. örtlich auch Orkanböen von Vorarlberg bis ins Burgenland durchzog. An diesem Tag wurden u.a. in Bad Eisenkappel mit 121 km/h und in Hintertux mit 120 km/h neue Stationsrekorde verzeichnet. Der exponierte Windmesser am Flughafen Innsbruck hat sogar 161 km/h gemessen, diese Station ist allerdings wenig repräsentativ.

Die Superzelle und der Kirchturm von St. Marxen am 17.7.23 . © Storm Science Austria
Die Gewitterfront am 18.7.23 in der Südsteiermark.© Storm Science Austria

Orkanböen wurden allerdings auch am 12. bzw. 13. Juli in Oberösterreich und der Steiermark gemessen, wie etwa in Reichersberg mit 121 km/h, Bad Radkersburg mit 120 km/h oder Kalwang mit 119 km/h.

Blitzreichster Tag im August

Der August brachte zunächst nur wenig Gewitter, rund um die Monatsmitte sowie neuerlich am Monatsende im Anschluss an eine markante Hitzewelle kam es aber wieder vermehrt zu kräftigen Gewittern. Etwa am 12. August wurde Salzburg von einer starken Gewitterzelle getroffen, am Flughafen wurde dabei ein neuer Monatsrekord mit 126 km/h verzeichnet. Der Höhepunkt wurde mit mehr als 93.000 Entladungen allerdings am 26. August erreicht, als eine Gewitterlinie über Oberösterreich und Teile Niederösterreichs hinwegzog. In Reichersberg wurden dabei Orkanböen bis 125 km/h gemessen. Weitere Daten gibt es auch in unserem Augustrückblick.

Die Unwetterfront im Flachgau am 26.8.23. © Storm Science Austria
Blitzreichste Tage im Sommer 2023
  • 93.132 am 26 August
  • 80.468 am 18. Juli
  • 71.666 am 23. Juni

Stärkster Blitz im Bezirk Feldkirch

Die Kraft von Blitzen wird über die Stromstärke in der Einheit Ampere angegeben. Der stärkste Blitz des Landes wurde in Vorarlberg gemessen: Spitzenreiter ist eine Entladung mit rund 351.000 Ampere am 19. Juni in der Gemeinde Feldkirch. In kürzester Zeit wurde dabei rund 22.000 mal mehr Energie freigesetzt, als in einer haushaltsüblichen Steckdose mit 16 Ampere verfügbar ist. Anders als oft vermutet kann man anhand von der Blitzstärke aber nicht auf die Stärke eines Gewitters Rückschlüsse ziehen. Oft treten starke Blitze auch bei vergleichsweise harmlosen Kaltluftgewittern auf.

Stärkste Entladungen pro Bundesland
  • 351 kA Feldkirch (V)
  • 306 kA Außervillgraten (T)
  • 290 kA Lichtenegg (NÖ)
  • 278 kA Oberdrauberg (K)
  • 264 kA Bramberg am Wildkogel (S)
  • 254 kA Edelschrott (ST)
  • 243 kA Altschwendt (OÖ)
  • 242 kA Pinkafeld (B)
  • 99 kA Liesing (W)

Zu Wochenbeginn Föhn und lokale Gewitter

Gewitter am Wechsel. © Daniel Eßletzbichler

Österreich liegt derzeit zwischen einem Hoch über Russland und einem Tiefdruckgebiet namens JAN über Westeuropa. Im Vorfeld einer aufziehenden Kaltfront kommt am Montag am Alpenhauptkamm sowie im Osten teils kräftiger, föhniger Südwind auf.

Im Vorfeld des Tiefs über den Britischen Inseln kommt im Ostalpenraum eine föhnige Südwestströmung auf. © ECMWF/UBIMET

Lokal nochmals 30 Grad

Im äußersten Westen ziehen am Montag rasch Wolken auf und noch am Vormittag greift von der Schweiz her kräftiger Regen auf Vorarlberg über. Damit gibt es große Temperaturunterschiede: Während die Höchstwerte in Vorarlberg nur noch knapp über 20 Grad hinaus kommen, steigen die Temperaturen in den föhnigen Regionen im Süden Oberösterreichs sowie im Bereich der Niederösterreichischen Voralpen nochmals auf bis zu 30 Grad. Auch abseits davon gibt es im Norden, Osten und Südosten verbreitet sommerliche Höchstwerte zwischen 27 und 29 Grad.

Im Norden Gewitter

Im Laufe des Nachmittags breiten sich an der Alpennordseite Schauer und Gewitter aus, welche besonders vom Kaiserwinkl bis nach Oberösterreich lokal auch kräftig ausfallen können. Am Abend nimmt die Gewitterneigung auch im Wald- und Mostviertel zu, trocken bleibt es dagegen noch von Unterkärnten bis ins östliche Flachland. Erst in der Nacht sind dann lokal auch im Osten Schauer oder Gewitter möglich.

Im Osten kommt kräftiger, föhniger Südwind auf, im Norden ziehen Gewitter durch. © ECMWF/UBIMET
Niederschlagprognose von ICON-D2 für den Montag. © DWD/UBIMET

Wetterbesserung zur Wochenmitte

Der Dienstag startet meist bewölkt und vor allem im zentralen Bergland fällt anfangs Regen. Tagsüber ziehen von Unterkärnten bis ins Südburgenland lokale Schauer und Gewitter durch, sonst ist eine zögerliche Wetterbesserung in Sicht und von Vorarlberg bis ins Waldviertel lockern die Wolken allmählich etwas auf. An der Alpennordseite weht lebhafter Westwind und die Temperaturen steigen auf 17 bis 25 Grad. Zur Wochenmitte macht sich dann ein Zwischenhoch bemerkbar und die Temperaturen steigen wieder etwas an.

Zu Wochenbeginn noch ungewöhnlich warm mit bis zu 31 Grad

Badesee im Sommer

In der vergangenen Woche lag der Alpenraum durchgehend unter dem Einfluss eines umfangreichen Hochs namens PATRICIA. Mit maximal 26 bis 31 Grad liegen die Höchstwerte derzeit um 6 bis 10 Grad über dem jahreszeitlichen Schnitt.

Stadt Höchstwert am Mo/Di Durchschnittliche Höchstwerte am 11. September
Wien 31 Grad 20-24 Grad
St. Pölten 31 Grad 19-23 Grad
Eisenstadt 31 Grad 20-24 Grad
Linz 30 Grad 19-23 Grad
Graz 29 Grad 20-24 Grad
Klagenfurt 28 Grad 20-24 Grad
Salzburg 30 Grad 19-23 Grad
Innsbruck 31 Grad 20-24 Grad
Bregenz 29 Grad 18-22 Grad
Durchschnittlicher Höchstwert am 11. September. Zum Vergrößern auf das Bild klicken.

In der neuen Woche lässt der Hochdruckeinfluss langsam nach und zur Wochenmitte zieht eine Kaltfront durch. Die Temperaturen nähern sich zur Wochenmitte dem jahreszeitlichen Mittel an. Damit werden weitere Hitzetage abseits der Föhntäler immer unwahrscheinlicher: Temperaturen über 30 Grad sind ab Mitte September im Flachland äußerst selten.

Rekorde in Österreich

Hitzetage im September sind in den vergangenen 15 Jahren immer häufiger geworden. So gab es von 2009 bis einschließlich 2023 ganze elf September mit mindestens einem 30er, dem gegenüber stehen nur vier September ohne Hitzetag in diesem Zeitraum. Der absolute Temperaturrekord für den September liegt bei 36 Grad, gemessen am 1.9.2015 in Pottschach-Ternitz. Extrem war allerdings auch der 17.9.2015 mit bis zu 34,5 Grad etwa in Wien und sogar 35,5 Grad in Gumpoldskirchen (Rekord für die zweite Monatshälfte). Der späteste Hitzetag überhaupt in Österreich wurde in Deutschlandsberg am 5. Oktober 1983 bei föhnigem Westwind verzeichnet. Sonst gab es bislang nur in Eisenstadt einen Hitzetag im Oktober (30,1 Grad am 1.10.1956).

Zu Wochenbeginn sommerlich

Der Montag beginnt in manchen Tal- und Beckenlagen mit etwas Frühnebel, sonst scheint von Beginn an die Sonne. Tagsüber zeigen sich vor allem im westlichen Bergland wieder ein paar Quellwolken, die Gewitterneigung bleibt aber gering. Mit 26 bis 31 Grad liegen die Höchstwerte landesweit deutlich über dem jahreszeitlichen Mittel.
Auch am Dienstag scheint noch häufig die Sonne, entlang der Nordalpen von Vorarlberg bis in die Obersteiermark sind im Laufe des Nachmittag aber einzelne Wärmegewitter zu erwarten Ab dem Abend nimmt die Gewitterneigung auch im Rheintal und später dann im Flachgau und Innviertel zu. Meist bleibt es aber noch freundlich und mit 25 bis 31 Grad sommerlich warm.

Die Nullgradgrenze sinkt bis zur Wochenmitte von 4500 gegen 3500 m ab. © ECMWF/UBIMET

Zur Wochenmitte unbeständig

Der Mittwoch startet von Kärnten bis ins Weinviertel meist noch trocken und gebietsweise sonnig, an der Alpennordseite regnet es dagegen von Beginn an immer wieder schauerartig. Im Tagesverlauf breiten sich Schauer und Gewitter auf weite Landesteile aus. Die Gewittersaison gibt damit ein letztes Lebenszeichen von sich. Mit maximal 19 bis 28 Grad kühlt es an der Alpennordseite bereits ab, im Südosten bleibt es noch sommerlich.
Am Donnerstag überwiegen die Wolken und anfangs fällt vor allem in den Alpen häufig Regen. Im Süden scheint zwischen einzelnen Schauern und Gewittern ab und zu die Sonne, auch vom Bodensee bis ins Innviertel lässt sie sich am Nachmittag noch zeitweise blicken und am Abend trocknet es generell allmählich ab. Im Osten weht lebhafter Nordwestwind und die Höchstwerte liegen nur noch zwischen 17 und 24 Grad.

Temperatur- und Niederschlagstrend für Wien. © ECMWF/UBIMET

Wetterbesserung

Am Freitag macht sich ein Zwischenhoch bemerkbar und nach Auflösung von Restwolken zeigt sich wieder häufig die Sonne, nur im westlichen Bergland steigt die Gewitterneigung am Nachmittag etwas an. Die Temperaturen steigen wieder leicht an mit Spitzen um 25 Grad. Das Wochenende verläuft nach derzeitigem Stand in den Alpen leicht unbeständig mit lokalen Schauern und Gewittern, im Süden und Osten gestaltet sich das Wetter dagegen voraussichtlich freundlich und mit bis zu 28 Grad auch spätsommerlich warm.

Das Wetter im September in Österreich

Herbstlicht im September

Kalendarisch beginnt der Herbst erst am 23. September, in der Meteorologie zählt man den September bereits komplett zur dritten Jahreszeit. Besonders in der ersten Hälfte des Monats kann der Sommer aber durchaus noch kräftige Lebenszeichen von sich geben: Hitzetage im September sind in den vergangenen 15 Jahren nämlich immer häufiger geworden. So gab es von 2009 bis einschließlich 2023 ganze elf September mit mindestens einem 30er, dem gegenüber stehen nur vier September ohne Hitzetag in diesem Zeitraum. Die bisherigen Temperaturrekorde stammen aus dem Jahr 2015:

  • 36 Grad Pottschach-Ternitz (01.09.2015)
  • 35,6 Grad Waidhofen an der Ybbs (01.09.2015)
  • 35,5 Grad Gumpoldskirchen (17.09.2015)

Nichtsdestotrotz büßt man beispielsweise in Wien im September durchschnittlich vier Minuten pro Tag an Tageslänge ein. Sind zu Beginn des Monats noch 13,5 Stunden Sonnenschein möglich, stehen am Ende nur noch 11,5 Stunden zur Verfügung. Zudem ist die Intensität der Strahlung aufgrund des geringeren Sonnenstands niedriger, im September gibt es hierzulande ungefähr die gleiche Globalstrahlung wie im März.

Frühnebel

Wegen der immer länger werdenden Nächte kann die Luft bodennah stärker auskühlen als noch in den Monaten davor. Somit bilden sich im Laufe des Monats bei windschwachen Bedingungen vermehrt Morgentau sowie auch Nebelfelder. Besonders häufig ist dies etwa in den Niederungen Unterkärnten, in der Mut-Mürz-Furche sowie am Alpennordrand vom Bodensee bis ins Salzkammergut der Fall.

Nebel ist typisch für den Herbst.
Nebel ist typisch für den Herbst.

Föhn

Im September machen sich über den Britischen Inseln oft die ersten kräftigeren Tiefdruckgebiete bemerkbar. Damit sind insbesondere an der Nordsee erste Herbststürme möglich und manchmal kommt es auch zu ersten Kaltluftvorstößen bis zum Alpenraum. Im Zusammenspiel mit Italientiefs sind dann auch erste Wintereinbrüche bis in höhere Tallagen der Alpen möglich. Andererseits kommt es im Vorfeld solcher Kaltfronten wieder häufiger zu Föhn in den Alpen, daher können die Temperaturgegensätze in dieser Jahreszeit sehr groß ausfallen.

Regen: Die nassesten Regionen in Österreich und Europa

Auto im Regen

Der mittlere Jahresniederschlag in den Landeshauptstädten Österreichs reicht von etwa 650 Litern pro Quadratmeter in der Wiener Innenstadt bis hin zu knapp 1600 mm in Bregenz. In den klassischen Staulagen wie im Bregenzerwald oder im Salzkammergut regnet es aber deutlich mehr, in Schröcken im Bregenzerwald gibt es sogar 2289 Liter pro Quadratmeter Niederschlag jährlich, wobei in besonders nassen Jahren auch schon mehr als 3000 mm gemessen wurden. Noch mehr Regen und Schnee fällt im Laufe eines Jahres nur auf den Bergen wie etwa in den Hohen Tauen, da Niederschlag mit den Höhe generell zunimmt.  Im Vergleich zu den nassesten Orten weltweit stellen das allerdings nur geringe Mengen dar, so fallen in den Tropen teils sogar mehr als 10.000 Liter pro Quadratmeter jährlich.

Mittlerer Jahresniederschlag in Österreich.

Regenreichste Orte Europas

Allgemein gibt es in Europa einerseits an den atlantisch geprägten Westküsten von Nordwestspanien über Schottland bis nach Norwegen viel Jahresniederschlag, andererseits auch im Stau der großen Gebirgsketten nahe zum Mittelmeerraum wie die Alpen oder das Dinarische Gebirge.

Analyse vom mittleren Jahresniederschlag. Daten: EEA

Es gibt aber ein paar Orte, die besonders herausstechen:

  • Als niederschlagsreichster Ort Europas gilt das Dorf Crkvice in der Gemeinde Kotor in Montenegro. Der Ort liegt in etwa 1000 m Höhe am Rande des Dinarischen Gebirges. Besonders von Oktober bis März staut sich hier vorwiegend bei westlichen Winden sehr feuchte Mittelmeerluft, allein im November fallen durchschnittlich 720 Liter pro Quadratmeter Regen. Jährlich kommen sogar 4622 mm zusammen!
  • Die Stadt Bergen in Norwegen gilt als die regnerischste Stadt Europas. Tatsächlich gibt es in Bergen sehr viele Regentage (an fast 196 Tagen jährlich fällt mind. 1 mm), allerdings kann die Stadt mit 2413 Litern pro Quadratmeter nicht mit den absolut nassesten Orten Europas mithalten. Mengen teils um 4000 mm fallen allerdings auf dem angrenzenden Skandinavischen Gebirge.
  • In den westlichen Highlands von Schottland fallen ebenfalls vereinzelt Niederschlagsmengen bis zu 4000 mm jährlich, in den meisten bewohnten Orten in Argyll fallen die Mengen aber mit knapp 2300 mm geringer aus.
  • Nicht weit von Österreich entfernt kommen in den Julischen Voralpen zwischen Italien und Slowenien jährlich sehr große Regenmengen zusammen. In den Orten Musi und Uccea (UD) in den Julischen Voralpen in Italien, fallen durchschnittlich 3339 bzw. 3183 Liter pro Quadratmeter pro Jahr. In Uccea liegt der Rekord aus dem Jahre 1960 sogar bei 6103 mm!
Mittlerer Jahresniederschlag in Friaul-Julisch Venetien von 1991 bis 2020. (Daten: ARPA FVG)

Extremniederschlag

Die größten Niederschlagsspitzen innerhalb weniger Stunden oder Tage stammen in der Regel vom Mittelmeerraum oder den Südalpen. Besonders im Herbst stauen sich hier immer wieder extrem feuchte Luftmassen, oft regnet es auch gewittrig durchsetzt. Besonders häufig betroffen sind exponierte Gebirgsgruppen in Küstennähe, wie etwa die Cevennen in Frankreich, der Ligurische Apennin in Italien sowie das Dinarische Gebirge von Kroatien bis nach Montenegro. Oft regnet es sehr intensiv auch im Stau der Südalpen wie etwa  in nördlichen Piemont und Tessin oder in Friaul, aber auch an der Ostküste Spaniens, in Mittel- und Süditalien sowie in Griechenland sind Extremereignisse keine Seltenheit. In diesen Regionen regnet es im Sommer nur selten, dafür im Herbst und Winter mitunter extrem intensiv (mehr dazu hier). Für extreme Niederschlagsereignisse spielen diese Faktoren eine entscheidende Rolle:

  • Tiefdruckeinfluss mit anhaltendem, auflandigem Wind
  • hohe Wassertemperaturen
  • ein Gebirge in Küstennähe, welches für zusätzliche Hebung und Staueffekte sorgt

In Italien liegt der 24h-Niederschlagsrekord etwa in Genua mit 948 Litern pro Quadratmeter vom 7. auf den 8. Oktober 1970. Auch in den vergangenen Jahren gab es mehrmals Extremereignisse im Mittelmeerraum, wie etwa im September 2020 im Bereich der Cevennen, im Oktober 2021 in Ligurien mit 740,6 mm in 12 Stunden in Rossiglione (GE) oder auch in diesen Tagen in Griechenland, wo am Mittwoch mit 754 mm in weniger als 24 Stunden in Zagora (Pelion) ein neuer Landesrekord aufgestellt wurde.

Rekorde in Österreich

Die größte Jahressumme wurde im Jahr 1944 am Feuerkogel mit 4.167 mm gemessen. Die höchste Tagessumme stammt vom Loiblpass in den Karawanken, hier kamen am 4. September 2009 ganze 233 Liter pro Quadratmeter in nur 24 Stunden zusammen.

Titelbild: Adobe Stock

August 0,7 Grad wärmer als üblich, aber teils deutlich zu nass

Überflutungen (Symbolbild) @ Christof Timmermann - Visualhunt.com

Auf kühlen Start folgte Hitzewelle

Obwohl der August den kühlsten Start seit 2006 hingelegt hat, schließt er österreichweit 0,7 Grad wärmer als im langjährigen Mittel von 1991 bis 2020 ab. Verantwortlich dafür war eine längere Hitzewelle, welche ab der Monatsmitte bis kurz vor Monatsende angehalten hat.

Abweichung der Temperatur im August vom Monatsmittel. © UBIMET

In Innsbruck wurde vom 11. bis zum 25. August an jedem Tag die 30-Grad-Marke erreicht, seit 1877 gab es hier noch nie eine längere ununterbrochene Serie an Hitzetagen. In Wien gab es 10 Tropennächte in Folge und am 22. wurde mit 36,7 Grad die höchste Temperatur des Monats erreicht. Die größten positiven Abweichungen zwischen etwa 1 und 1,5 Grad wurden von Vorarlberg bis zu den Hohen Tauern gemessen. Nahezu durchschnittlich waren die Temperaturen hingegen im Salzkammergut sowie im äußersten Osten.

Anzahl der Tropennächte im August © UBIMET

Viel Regen und zwei Hochwasserlagen

Im landesweiten Flächenmittel gab es im August etwa 50 Prozent mehr Niederschlag als üblich, wobei die größten Abweichungen im Süden Kärntens und in Teilen Oberösterreichs gemessen wurden. In den Karawanken sowie in Teilen des Inn- und Hausruckviertels gab es sogar mehr als doppelt so viel Regen wie in einem durchschnittlichen August. Nahezu durchschnittliche Regenmengen gab es hingegen in Osttirol und Oberkärnten sowie vom Aflenzer Becken bis nach Wien.
Besonders große Regenmengen wurden im äußersten Süden zwischen dem 3. und 5. August verzeichnet, als ein Mittelmeertief namens ZACHARIAS im Süden Kärntens und der Steiermark zu einem schweren Hochwasser führten. Innerhalb von nur 48 Stunden kamen dabei etwas am Loiblpass, in Bad Eisenkappel oder in Ferlach mehr als 200 l/m² Regen gemessen. Neue Rekorde gab es zudem auch in Völkermarkt und Klagenfurt.

Zu einem weiteren Extremereignis kam es am 28. August, als ein weiteres Mittelmeertief namens ERWIN von Vorarlberg bis Salzburg für ein schweres Hochwasser sorgte. Bei einer sehr hohen Schneefallgrenze kam es besonders in Vorarlberg sowie am Alpenhauptkamm zu extremen Regenmengen wie etwa in Fraxern mit 196 l/m² oder Kolm-Saigurn in den Hohen Tauern mit 146 l/m².

Abweichung des Niederschlags im August vom Monatsmittel. © UBIMET

Kräftige Gewitter

Während der Regen also überdurchschnittlich war, fällt die Anzahl der Blitze mit rund 369.000 Entladungen nahezu durchschnittlich aus. Dabei stechen besonders der 23., 25. und 26. des Monats hervor, an denen alleine rund 61% aller Blitze des Monats auftraten. Am häufigsten blitzte es in Oberösterreich mit rund 117.000 Blitzen, gefolgt von der Steiermark mit rund 63.000. Damit wird in diesem Monat die Steiermark ihrer gewöhnlichen Spitzenposition bei der Blitzanzahl nicht gerecht. Die wenigsten Blitze gab es mit mageren 530 in Wien.

Blitzdichte im August 2023. © UBIMET

Ein außergewöhnlich starkes Gewitter hat zudem am 12. des Monats die Stadt Salzburg heimgesucht. Hier wurde am Flughafen die stärkste Böe des Monats mit 126 km/h verzeichnet. Weitere Orkanböen bzw. orkanartigen Böen wurden in Oberösterreich mit dem Durchzug zwei aus Bayern durchziehenden Gewitterlinien am Ende der Hitzewelle gemessen. Damit wird auch der Spitzenplatz Oberösterreichs bei der Blitzanzahl erklärt. Zu großem Hagel kam es vor allem am 25. in Bezirk Voitsberg mit Größen zwischen 5 und knapp 10 cm. Hier zog eine sog. Superzelle von der westlichen Obersteiermark bis ins Grazer Becken.

Extremwerte August 2023

(Bundesland, Tag des Auftretens)

Höchste Temperaturen
  • 36,7 Grad Wien-Innere Stadt (W, 22.)
  • 36,6 Grad Tulln (NÖ, 22.) , Langenlebarn (NÖ, 22.)
  • 36,5 Grad Wien-Stammersdorf (W, 22.), Mistelbach (NÖ, 22.)
Tiefste Temperaturen
  • 0,3 Grad Obergurgl (T, 8.)
  • 0,7 Grad Schwarzau im Freiwald (NÖ, 11.)
  • 1,3 Grad Lech am Arlberg (V, 8.)
nasseste Orte
  • 462 Liter pro Quadratmeter Loibl (K)
  • 405 Liter pro Quadratmeter Fraxern (V)
  • 398 Liter pro Quadratmeter Ebensee (OÖ)
  • 397 Liter pro Quadratmeter Warth (V)
  • 388 Liter pro Quadratmeter Schröcken (V)
Absolut sonnigste Orte
  • 279 Sonnenstunden Mörbisch (B)
  • 266 Sonnenstunden Bad Radkersburg (ST)
  • 261 Sonnenstunden Bad Gleichenberg (ST)
Stärkste Windspitzen Niederungen
  • 126 km/h Salzburg-Flughafen (S, 12.)
  • 125 km/h Reichersberg (OÖ, 26.)
  • 124 km/h Rohrspitz (V, 24.)
  • 122 km/h Micheldorf (OÖ, 25.)
  • 113 km/h Mattsee (S, 25.)
Hitzetage
  • 15 Innsbruck (T)
  • 14 Wien-Innere Stadt & Stammersdorf (W), Tulln (NÖ), Neusiedl am See (B), Ferlach (K)
  • 13 u.a. Linz (OÖ), Eisenstadt (B) und Dornbirn (V)

Hochwasser in den Alpen klingt ab, am Wochenende spätsommerlich

Der Alpenraum liegt derzeit unter dem Einfluss eines Italientiefs namens ERWIN, welches am Montag ausgehend vom überdurchschnittlich warmen Mittelmeer extrem feuchte Luft nach Österreich geführt hat. Von Vorarlberg bis in die westliche Obersteiermark kam es dabei zu sehr großen Regenraten, wobei die Schneefallgrenze zum Teil noch deutlich über 3000 m Höhe lag. Die Regenmengen am Sonntag und Montag lagen von Vorarlberg über den Tiroler Alpenhauptkamm bis zu den Hohen Tauern meist zwischen 100 und 140 l/m², aber auch vom Außerfern bis ins Salzkammergut gab es verbreitet 50 bis 80 l/m².

Damit gab es am Montag an einigen Flüssen ein 30-jähriges bzw. vereinzelt wie etwa im Ötztal sogar ein 100-jähriges Hochwasser. Der Regen hat mittlerweile aber deutlich nachgelassen. Die Hochwasserscheitel der Flüsse in den Alpen sind bereits überschritten und derzeit gibt es hier sinkende Pegelstände. Nur noch an der Donau steigen die Pegelstände noch etwas an, ein markantes Hochwasser ist hier aber nicht zu erwarten.

Der Pegelstand vom Inn ist wieder deutlich gesunken. Daten: © Land Tirol
Der Pegelstand der Donau in Korneuburg bei Wien hat die HQ1- Marke knapp überschritten, entsprechend fließt Wasser vom Einlaufbauwerk in die Neue Donau in Wien. Daten © Land NÖ

Schwerpunkt nun im Südosten

Am Dienstag fällt im Westen sowie in Kärnten und der Steiermark noch häufig Regen, von Vorarlberg bis Salzburg fallen die Mengen mit 5 bis 15 l/m² aber meist nur noch gering aus. Von Unterkärnten bis zum Hochschwab regnet es hingegen zeitweise kräftig und im Südosten sind am späteren Nachmittag auch noch lokale Gewitter mit punktuell großen Regenmengen in kurzer Zeit zu erwarten.

24h-Niederschlagsprognose bis Mittwochnachmittag.

Wetterberuhigung

Am Mittwoch liegt der Alpenraum noch am Rande des Italientiefs und bei vielen Wolken fällt vor allem im zentralen Bergland und im Kärnten zeitweise noch etwas Regen. Tagsüber lockert es zögerlich auf und vor allem von Vorarlberg bis ins Innviertel lässt sich ab und zu wieder die Sonne blicken. Die Höchstwerte liegen zwischen 15 und 21 Grad. Der Donnerstag beginnt an der Alpennordseite mit einigen Wolken und lokalen Regenschauern, von Osttirol bis ins östliche Flachland scheint dagegen zeitweise die Sonne. Tagsüber stellt sich verbreitet ein freundlicher Sonne-Wolken-Mix ein, in den Nordalpen vom Kaiserwinkl bis zum Schneeberg gehen aber noch einzelne Schauer nieder. Die Temperaturen steigen auf 18 bis 24 bzw. im Osten lokal auch 25 Grad.

Spätsommerlich

Am Freitag scheint bei nur harmlosen Wolken häufig die Sonne, nur im äußersten Norden fallen die Wolken zeitweise etwas dichter aus. Die Temperaturen steigen weiter an und erreichen 21 bis 26 Grad. Am Samstag herrscht dann ruhiges Spätsommerwetter und mit bis zu 29 Grad gibt es nochmals gutes Badewetter. Auch am Sonntag zeigt sich oft die Sonne bei spätsommerlichen Temperaturen, am Nachmittag nimmt die Schauer- und Gewitterneigung an der Alpennordseite und im Osten allerdings zu.

Prognose der Höchstwerte am kommenden Samstag.

Hitze: Wie viel Schwüle halten wir aus?

Hochsommer mit Hitzewelle

Eine für den Menschen wichtige, aber allgemein wenig bekannte Größe ist die Feuchtkugeltemperatur (englisch: wet-bulb temperature). Sie vereint Temperatur und relative Feuchte der Luft und gibt die tiefste Temperatur an, die sich durch Verdunstungskühlung erreichen lässt. Der Effekt der Verdunstungskühlung wird zum Beispiel in der Raumlufttechnik genutzt, um  die Temperatur in Innenräumen zu senken. Aber auch der menschliche Körper kühlt sich, um eine Körpertemperatur von ungefähr 36°C dauerhaft zu halten, über diesen Mechanismus – und genau das macht die Feuchtkugeltemperatur so interessant. Entscheidend dabei ist, dass die Verdunstung abnimmt, je feuchter die Luft ist.

Wie kühlen wir uns ab?

Über den Stoffwechsel erzeugt der Körper Energie und die Körpertemperatur steigt an. Um diesen Anstieg auszugleichen, gibt es mehrere Methoden. Einerseits nutzt der Körper das Prinzip des fühlbaren Wärmestroms. Ist der Körper wärmer als die Umgebungstemperatur, fließt die Luft vom warmen Körper zur kühleren Umgebungsluft. Die abgegebene Wärme wird dann über die Luftströmung abtransportiert. Ist die Lufttemperatur niedrig und es wird zu viel Energie an die Umgebung abgegeben, wirkt man zum Beispiel mit Kleidung entgegen.

Im Osten Österreichs gibt es bis zu 34 Grad.
Ventilatoren wirken kühlend, da sie die vom Körper abgegebene Wärme schneller abführen.

Verdunstungskühlung

Ist die Umgebungstemperatur zu hoch oder die Luftströmung zu schwach, hat der menschliche Körper ein weiteres ausgeklügeltes System: Steigt die Körpertemperatur an, zum Beispiel aufgrund von Bewegung, beginnt er zu schwitzen. Der Schweiß auf der Haut verdunstet und die dazu nötige Energie wird dem Körper entzogen (Verdunstungskühlung). Auch die „Nebelduschen“ etwa in Wien sorgen dank der winzigen Tropfen für eine rasche Abkühlung durch Verdunstung auf der Haut. Dieser Prozess ist besonders effektiv bei trockener Hitze und etwas Wind.


Bei sehr hoher Luftfeuchtigkeit funktioniert dieser Mechanismus nicht mehr ausreichend, der Schweiß kann nicht mehr verdunsten und damit auch keine Körperwärme abtransportiert werden. Bei einer theoretischen Temperatur von 36°C und einer relativen Luftfeuchtigkeit von 100% könnte sich der Körper also nicht mehr kühlen und bei gleichbleibenden Bedingungen wäre der Tod die Folge.

Feuchtkugeltemperatur

An diesem Punkt kommt die Feuchtkugeltemperatur ins Spiel. Sie gibt an, wie gefährlich die Kombination aus Temperatur und relativer Feuchte für den menschlichen Körper ist. Werte im oberen 20er Bereich setzen dem Körper bereits zu und verhindern eine ausreichende Abkühlung. Steigt die Feuchtkugeltemperatur auf über 31 Grad werden die Bedingungen selbst für gesunde, junge Menschen lebensbedrohlich (Studie dazu), bislang galten 35 Grad als das theoretische Überlebenslimit für den Menschen (siehe Studie).

Im roten Bereich wird es für gesunde Menschen lebensbedrohlich. © W. Larry Kenney, CC-BY-ND

Feuchte vs. trockene Hitze

Man sagt also nicht umsonst, dass extreme Hitze in trockener Luft wie etwa in der Wüste für den Körper besser zu verkraften ist, als Hitze bei hoher Luftfeuchtigkeit, so kann man Temperaturen um 46 Grad bei einer relativen Feuchtigkeit unter 20% besser ertragen, als 36 Grad bei 70% Luftfeuchtigkeit.

Die Feuchtkugeltemperatur je nach Temperatur und Luftfeuchtigkeit.

Schwüle in Österreich, Europa und weltweit

In Österreich kommt es an sehr schwülen Tagen zu Werten um 25 Grad. Noch höhere Werte in der näheren Umgebung treten häufig in Norditalien auf, so werden hier immer wieder Werte zwischen 25 und 28 Grad gemessen. Vereinzelt wurden aber auch schon Spitzen um 31 Grad erreicht, wie etwa an der Mittelmeerküste in Triest am 1. August 2020.

Gemessene Feuchtkugeltemperatur um 14 Uhr. Ab etwa 20 Grad ist die Luft schwül bzw, bei 25 drückend schwül (zum Vergrößern anklicken).

Weltweit sind Extremwerte bis 35 Grad bislang selten, sie wurden aber bereits mehrfach in subtropischen Küstenregionen gemessen, wie etwa im Iran an der Küste  des Persischen Golfs, wenn auch nur vorübergehend für wenige Stunden. Bei der extremen Hitzewelle in Pakistan und Nordindien im Mai 2022 wurde etwa Jacobabad eine maximale Feuchtkugeltemperatur von 33,6 Grad und in Delhi von 33,7 Grad gemessen.

ERA5-Reanalyse der höchsten jährlichen Feuchtkugeltemperatur (>27). © Science Advances, Vol. 3, no. 8

Höhere Werte durch Klimawandel

Durch den Klimawandel nimmt die Feuchtkugeltemperatur tendenziell zu, was etwa in Teilen Indiens, Pakistans und von Bangladesch zu einem großen Problem wird. Etwa im großen Indus-Tal und in der Gangesebene wären im Worst-Case-Szenario vier Prozent der Bevölkerung zumindest einmal zwischen 2071 und 2100 mit tödlichen Hitzewellen von über 35 Grad Feuchtkugeltemperatur konfrontiert bzw. 75% mit lebensbedrohlichen Hitzewellen von über 31 Grad Feuchtkugeltemperatur.

Mehr dazu in dieser Studie auf ScienceAdvances.

Mittlere jährliche max. Feuchtkugeltemperatur von 1976 bis 2005 (B) sowie die Prognosen für 2071 bis 2100 je nach Temperaturanstieg.

Hitzedom über den Alpen bringt weitere Hitzewelle

Ventilator und Sonnenschein

Am diesem Wochenende startet im Alpenraum die nächste Hitzewelle, welche voraussichtlich bis kommenden Freitag andauern wird. Der Höhepunkt kündigt sich gegen Mitte der kommenden Woche mit Höchstwerten bis etwa 36 Grad an. Ein Ende der Hitzewelle ist frühestens am kommenden Freitag in Sicht. Das Wetter gestaltet sich zudem äußerst stabil, so sind selbst über dem zuletzt sehr gewitteranfälligen Bergland von Samstag bis Mittwoch nahezu keine Gewitter zu erwarten.

Temperaturtrend für Wien mit Vergleich zu den durchschnittlichen Höchts- bzw. Tiefstwerten (rot- bzw. blau gestrichelt). © ECMWF/UBIMET

Noch außergewöhnlicher als die Temperaturen am Boden sind allerdings die Temperaturen in der Höhe, so steigt die Nullgradgrenze zu Wochenbeginn auf knapp über 5000 m Höhe an. Selbst auf den höchsten Berggipfeln des Landes sind dann zeitweise zweistellige Plustemperaturen in Sicht. Für die zu dieser Jahreszeit bereits weitgehend aperen Gletscher stellt das einen weiteren schweren Rückschlag dar, so sind pro Tag Verluste von 5 bis 10 cm an Eisdicke zu erwarten. Auch dieser Sommer wird also mit großen Eisverlusten in die Annalen eingehen.

Die Höhe der Nullgradgrenze steigt am Montag auf knapp über 5000 m an. © ECMWF/UBIMET

Hoch in der Höhe

Ursache für die neue Hitzewelle ist ein mächtiges Hochdruckgebiet, welches vor allem in höheren Luftschichten stark ausgeprägt ist. Analog zu den geläufigen Hochs und Tiefs auf den Bodenwetterkarten gibt es nämlich auch Höhentiefs und „Höhenhochs“ (bzw. Höhenrücken) auf Höhenwetterkarten. Letztere werden meist in einer Höhe von etwa 5500 m analysiert, also in jener Höhe, wo der Druck nur noch 500 hPa beträgt (etwa halb so viel wie am Boden).

Die Entstehung des Hitzedoms über dem Alpenraum. © ECMWF/UBIMET

Im Kern von stark ausgeprägten Höhenrücken kann dieses Niveau aber auch gegen 6000 m ansteigen. Tatsächlich deuten die Modelle am Sonntag bzw. Montag rund um die Schweiz sogar auf neue Rekordwerte hin.

In der Höhe kündigt sich im Westalpenraum ein Rekordhoch an.

Hitzedom

Markante Hochdruckgebiete in der Höhe werden im Sommer meist auch als „Hitzedom“ bezeichnet. Im Kern von solch mächtigen Hochdruckgebieten sinkt die Luftmasse nämlich großräumig ab, wobei sie abgetrocknet und an Ort und Stelle erwärmt wird. Gleichzeitig wird an der Südwestflanke des Hochs subtropische Warmluft herangeführt. Wenn die Wetterlage mehrere Tage lang andauert und der Zustrom an sehr warmer Luft anhält, entsteht in der Atmosphäre eine hochreichende Warmluftblase, der sog. „Hitzedom“. Diese Erwärmung in der freien Atmosphäre macht sich indirekt auch am Boden bemerkbar, zumal der wolkenlose Himmel für eine ungestörte Sonneneinstrahlung sorgt, die den Boden und damit die angrenzende Luft erwärmt. Dieser Effekt kann sich zudem selbst verstärken, da die Böden von Tag zu Tag austrocknen: Die Energie, die anfangs noch für die Verdunstung benötigt wird, steht  nach ein paar Tagen ebenfalls für eine weitere Erwärmung der Böden zur Verfügung.

Die Rückwärtstrajektorien für kommenden Mittwoch zeigen, wie sich die Luft in der freien Atmosphäre im Uhrzeigersinn eindreht und dabei absinkt.

Besonders bei einem sehr hohem Sonnenstand wie etwa im Juni und Juli können solche Wetterlagen zu extremen Hitzewellen mit neuen Temperaturrekorden führen. Gegen Ende August werden absolute Temperaturrekorde aber unwahrscheinlicher, einerseits aufgrund des bereits deutlich tieferen Sonnenstands, andererseits auch aufgrund der abnehmenden Tageslänge. Weiters sind derzeit keine föhnigen Effekte in Sicht. Besonders in der freien Atmosphäre bzw. auf den Bergen sind aber durchaus Monatsrekorde möglich. Im Herbst und Winter führen solche Wetterlagen in den Niederungen zu ausgeprägten Inversionswetterlagen, während es auf den Bergen außergewöhnlich mild ist (mehr dazu hier).

Rekorde: Hitzedom + Lokaleffekte

Für Temperaturrekorde spielen mehrere Faktoren eine Rolle, wie beispielsweise die Bodenfeuchte und der Sonnenstand. Weiters spielen auch geographische Faktoren eine Rolle, so kann föhniger Wind die Luft aus mittleren Höhenlagen mitunter direkt bis in tiefen Lagen absinken lassen, was dann lokal zu extrem hohen Temperaturen führen kann. Wenn alle Faktoren zusammenkommen, also ein blockiertes Hitzehoch, trockene Böden, föhniger Wind und strahlender Sonnenschein bei hohem Sonnenstand, dann kommt es besonders häufig zu neuen Rekorden. So wurden u.a. auch die 46 Grad in Südfrankreich im Juni 2019, die 49,6 Grad im Westen Kanadas im Juni 2021 oder auch in 48,8 Grad in Sizilien im August 2021 erreicht.

Bei einer „Omega-Lage“ wurde die Luft in Lytton in Kanada auf bis zu 49,6 Grad erhitzt im Juni 2021.

Am Mittwoch von Kärnten bis Wien lokal kräftige Gewitter

Gewitter mit Starkregen

Am Rande eines Höhentiefs mit Kern übe dem Balkan nimmt die Gewitterbereitschaft am Mittwoch auch im Osten vorübergehend zu. Zunächst sind vor allem das Bergland von Mittelkärnten bis zum Rax-Schneeberg-Gebiet sowie das Obere Mühl- und Waldviertel betroffen, im Laufe des Nachmittags greifen aber ausgehend von der Slowakei Gewitter auch auf das östliche Flachland über.

Am Nordrand des Höhentiefs herrscht eine schwache östliche Höhenströmung.

Starkregen und Windböen

Die Kombination von feuchtwarmer, schwüler Luft in tiefen Schichten und wenig Höhenwind sorgt heute für ortsfeste bzw.  nur langsam ziehende Gewitter. Damit besteht lokal vor allem die Gefahr von kleinräumigen Überflutungen und Vermurungen. Die Hagelgefahr ist dagegen vergleichsweise gering: Punktuell ist zwar kleinkörniger Hagel im Starkregen dabei, aber großer Hagel ist heute recht unwahrscheinlich. Neben Starkregen können die Gewitter aber auch zu stürmischen Böen führen, da die relative Luftfeuchtigkeit – im Gegensatz zur absoluten Feuchte – vergleichsweise gering ist (weshalb es zu lokaken „Downbursts“ kommen kann).

Niederschlagsprognose von ICON-D2. Das Modell zeigt, dass auch im Flachland lokale Gewitter zu erwarten sind. Wo genau diese auftreten, kann man jedoch erst kurzfristig exakt prognostizieren.

Zutaten für Gewitter

Für die Entstehung von Gewittern sind grundsätzlich drei Zutaten notwendig: Ausreichend hohe Luftfeuchtigkeit in tiefen Schichten, eine labile Schichtung der Atmosphäre sowie ein Mechanismus, der die Luft zum Aufsteigen bringt. Letzteres kann beispielsweise zusammenströmender Wind über einem Berg oder auch im Flachland (Konvergenz) oder auch eine aufziehende Front sein. Für die Entstehung langlebiger Gewitter ist zusätzlich noch eine Zunahme der Windgeschwindigkeit mit der Höhe notwendig, damit der Auf- und Abwindbereich der Gewitter voneinander getrennt bleiben.

Der Radiosondenaufstieg aus Wien zeigt die energiereiche Luft sowie die nur schwache Windscherung.

Der Hagel-Rekord in Europa: 19 cm in Italien

Am Montag, 24. Juli 2023, sind in Norditalien mehrere starke Superzellen-Gewitter durchgezogen. Die Bedingungen waren förderlich für sehr großen Hagel, einerseits aufgrund der extrem feuchten Luft in Bodennähe, andererseits aufgrund der für die Jahreszeit außergewöhnlich starken Windzunahme mit der Höhe. Am späten Abend kam es dabei in der Provinz von Pordenone zu sehr großem Hagel, wobei westlich von Azzano Decimo sogar ein 19 cm großer Hagelkorn dokumentiert wurde. Dies entspricht einem neuen Europarekord. Der zuvorige Rekord wurde erst vor wenigen Tagen ebenfalls in Italien aufgestellt, als es am 19. Juli 2023 bei Carmignano di Brenta nördlich von Padua ein Hagelkorn von 16 cm gemeldet wurde. Ab 10 cm spricht man von „Riesenhagel“. Derartige Hagelkörrner treten bei solchen Ereignissen aber nur vereinzelt auf, die Mehrheit der Hagelkörner ist meist etwa halb so groß.

Wie entsteht Hagel?

Niederschlag in Form von Eiskugeln oder Eisklumpen mit einem Durchmesser größer als 0,5 cm wird als Hagel definiert. Hagel entsteht in bis zu etwa 15 km hochreichenden Gewitterwolken (Cumulonimbus), die sowohl aus unterkühlten Wassertröpfchen als auch aus Eispartikeln bestehen. Durch Turbulenzen innerhalb der Wolke stoßen diese zusammen und vergraupeln, es bilden sich sog, Hagelembryos. Bei einem Überangebot von Wassertröpfchen wachsen die Hagelembryos durch mehrfache Auf- und Abbewegungen in der Wolke zu größeren Hagelkörnern. Je nach Wolkenbereich können sich sowohl unterkühlte Wassertröpfchen  an einem Hagekorn anlagern und zu Eis gefrieren (feuchtes Hagelwachstum) als auch Eispartikel (trockenes Wachstum). Bei letzterem werden auch Luftbläschen eingeschlossen, weshalb die entstehende Hagelschicht undurchsichtig erscheint.

Oftmals kommt es zu einem Wechsel von feuchtem und trockenem Hagelwachstum. Bild © Storm Science Austria

Wie entsteht großer Hagel?

Großer Hagel entsteht wenn die Hagelkörner vergleichsweise lange im Aufwindbereich der Wolke verbleiben. Etwa können sich bei Superzellen durch die lange Verweildauer im spiralförmigen Aufwindschlauch sehr viele unterkühlte Wassertröpfchen an ein Hagelkorn anlagern. Wie lange der Hagel in der Wolke verbleibt hängt von mehreren Faktoren ab, wie etwa der Stärke des Aufwindes innerhalb der Wolke (je stärker der Aufwind, desto größer das tragbare Gewicht), der vertikalen Ausdehnung der Wolke (je hochreichender, desto besser) sowie  auch dem vertikalen Windprofil, in dem sich die Gewitterwolke verlagert. Letzteres hat Einfluss darauf, ob ein Hagelkorn etwa rasch seitlich aus der Wolke geschleudert wird, oder ob es länger im Aufwindbereich gehalten wird.

Die Hagelkörner können unterschiedlich lange in der Wolke verweilen, je nachdem wo sie herausgeschleudert werden (im rechten Bild siehe Positionen „2“ und „4“. © NOAA

Wo liegen die Hagelrekorde?

  • Weltrekord: 20,3 cm am 23. Juli 2010 in Vivian, SD (USA)
  • Europarekord: 19 cm am 24. Juli 2023 in Azzano Decimo, Italien
  • Deutschland: 14,1 cm am 6.8.2013 in Undingen (Reutlingen)
  • Österreich: 14 cm in Ziersdorf (Bez. Hollabrunn) am 24. Juni 2021. An zweiter Stelle folgen 12 cm im Sommer 1929 in Pöndorf (OÖ) sowie am 13. Juli 1984 in St. Oswald im Waldviertel.


Hagel ist in Österreich keine Seltenheit, vor allem bei leicht föhnigen Wetterlagen kommt es am Alpennordrand, im Südosten oder im Waldviertel nahezu jährlich lokal auch zu großem Hagel. Weitere Infos zur Gewitterklimatologie in Österreich gibt es hier.

Meldungen von Hagel >2 cm in Österreich seit dem Jahre 2010. © ESWD

Wird großer Hagel häufiger?

Diese Frage war lange Zeit nicht leicht zu beantworten, da es keine homogenen Zeitreihen von Hagel-Beobachtungen gibt (heutzutage gibt es wesentlich mehr Hagelmeldungen als etwa im vorigen Jahrhundert). Die Trends können regional auch unterschiedlich ausfallen, zudem spielen verschiedene meteorologische Faktoren eine Rolle, wie u.a. die Feuchtigkeit in tiefen Luftschichten und die Windscherung. Es gibt aber mittlerweile Studien die darauf hindeuten, dass im Zuge des Klimawandels großer Hagel aufgrund der Zunahme an Feuchtigkeit in tiefen Luftschichten und damit auch an potenziell verfügbaren Energie für Aufwinde (CAPE) in weiten Teilen Mitteleuropas häufiger wird, ganz besonders in Norditalien.

 

Rückblick: Am Montag Gewitter mit Sturm und Hagel

Unwetter

+++ Rückblick +++

Im Laufe der Nacht auf Dienstag bleibt die Gewitterneigung von Vorarlberg über Tirol bis in die Steiermark erhöht, die Unwettergefahr lässt aber nach und wir beenden den heutigen Liveticker. In Summe blieb Österreich heute von den heftigsten Unwettern verschont, während unsere Nachbarländer Italien, Schweiz und Deutschland zum Teil stark getroffen wurden. Die Erwartungen wurden also nicht ganz erfüllt, dennoch blieben einzelne starke Gewitter auch hierzulande nicht aus. Wir bedanken uns jedenfalls für das Interesse und wünschen eine erholsame Nacht!

+++ Update 20:45 Uhr +++

Die letzte Region wo es nun nochmal spannend wird ist der Südosten des Landes, hier ziehen nun Gewitter von Unterkärnten auf. Neben Starkregen kann es örtlich zu stürmischen Böen kommen.

Radarloop. © ACG/UBIMET

+++ Update 20:25 Uhr +++

Ein schönes Blitzbild vom Gewitter südlich von Wien.

+++ Update 20:15 Uhr +++

Nach Südosten zu kann man derzeit einen wunderschönen Regenbogen von Wien aus sehen.

Regenbogen über Wien. Bild © C. Matella

+++ Update 20:15 Uhr +++

An der Alpennordseite ziehen  in den kommenden Stunden zwar weitere, mitunter auch gewittrige Schauer durch, Unwettergefahr besteht aktuell aber nicht mehr. Im Süden ziehen dagegen weitere kräftige Gewitter durch, wie aktuell etwa südlich von Villach.

+++ Update 20:05 Uhr +++

Anbei die Spitzenböen in den Niederungen in Niederösterreich und Wien zwischen 19 und 20 Uhr:

  • 67 km/h Langenlebarn
  • 66 km/h Stockerau
  • 63 km/h Tullnerfeld Bhf.
  • 62 km/h Loosdorf
  • 60 km/h Wien – Innere Stadt
  • 60 km/h Wien – Unterlaa

+++ Update 19:50 Uhr +++

Während sich die Gewitter über Wien einmal mehr aufgelöst haben, hat es nahezu zeitgleich auch Berlin getroffen. Stellenweise wurden dort Böen um 100 km/h gemessen. Anbei ein paar Videos davon:

+++ Update 19:40 Uhr +++

Anbei ein Bild der Gewitter am Standrand Wiens, welche sich in der trockenen Luft über der Stadt weitgehend aufgelöst haben, aber noch zu stürmischen Böen geführt haben. Im Kürze zeichnet sich hier ein schönes Abendrot ab.

+++ Update 19:30 Uhr +++

Aus Nordwesten greift in den kommenden Minuten ein Gewitter auf den Westen Wiens über. Neben kräftigem Regen sind auch teils stürmische Böen um 60 km/h zu erwarten.

+++ Update 19:10 Uhr +++

Die Gewitter im Mostviertel erfassen demnächst St. Pölten mit kräftigem Regen und teils stürmischen Böen. In Loosdorf wurden vor wenigen Minuten Böen bis 62 km/h gemessen.

Das Gewitter im Aflenzer Becken hat sich etwas abgeschwächt, anbei ein Bild aus Draiach bei Aflenz.

Regenbogen im Aflenzer Becken. © Storm Science Austria
Blick von der Gemeindealpe Mitterbach.

+++ Update 18:55 Uhr +++

Im Oberen Waldviertel sind weitere Gewitter entstanden, welche derzeit in Richtung St. Pölten sowie Tullnerfeld ziehen. Die Gewitter sind bislang aber nicht besonders kräftig, lokal kann es aber zu kräftigem Regen und stürmischen Böen kommen. Diese Gewitter nehmen weiters Kurs auf den Großraum Wien. Das starke Gewitter in der nördlichen Obersteiermark biegt derzeit hingegen stark südwärts in Richtung Mürztal ab.

Radar und Blitze um 18: 50 Uhr. © ACG/UBIMET

+++ Update 18:30 Uhr +++

Die kräftige Gewitterzelle  in der Eisenwurzen erfasst derzeit das Hochkar und nimmt weiter Kurs auf das Mariazellerland bzw den Semmering. In Mooslandl bei Hieflau wurden soeben Böen bis 93 km/h gemessen.

+++ Update 18:15 Uhr +++

In Windischgarsten wurde soeben eine schwere Sturmböe  von 94 km/h gemessen.

+++ Update 18:10 Uhr +++

Von West nach Ost herrschen derzeit große Temperaturgegensätze. Im Osten werden noch 30 bis 33, vereinzelt auch knapp 34 Grad gemessen, von Vorarlberg bis nach Oberkärnten und ins westliche Oberösterreich hat es dagegen vielerorts schon auf Temperaturen um 20 Grad abgekühlt.

+++ Update 18:00 Uhr +++

Die Gewitter im Süden Oberösterreich greifen nun auf das südliche Mostviertel sowie die angrenzende Obersteiermark über. In Micheldorf in Oberösterreichwurden vor wenigen Minuten Böen bis 84 km/h gemessen, in Ebensee gab es zudem 15 mm Regen in nur 30 Minuten.

+++ Update 17:45 Uhr +++

Nicht nur in Österreichs, sondern auch in Deutschland, der Schweiz sowie in Norditalien ziehen heute heftige Gewitter durch. Anbei Fotos aus der Schweiz, welche Erinnerungen an Unterkärnten wecken, wo am 17. Juli ebenfalls ein Kirchturm abgerissen wurden.

+++ Update 17:30 Uhr +++

Anbei die aktuellen Blitzentladungen in den vergangenen 60 Minuten. Das kräftigste Gewitter ist derzeit im Süden Oberösterreichs unterwegs.

Blitze von 16:30 bis 17:30 Uhr. © www.uwz.at

+++ Update 17:15 Uhr +++

Die Gewitter im Weinviertel ziehen aktuell ostwärts ab. Lokal wurde uns hier Hagel gemeldet.

+++ Update 17:15 Uhr +++

Die Gewitter in Oberösterreich und im Tennnegau sind nun zu einer geschlossenen Gewitterlinie zusammengewachsen und ziehen rasch ostwärts in Richtung Ausseerland, Ennstal und Eisenwurzen. In diesen Regionen besteht demnächst erhöhte Sturmgefahr!

+++ Update 17:10 Uhr +++

Anbei aktuelle Bilder aus dem Pinzgau.

+++ Update 17:00 Uhr +++

Auch in Vorarlberg ziehen nun Gewitter aus der Schweiz auf, anbei ein aktuelles Webcambild aus dem Rheintal.

Bild via www.foto-webcam.eu

Die Gewitter im Kaiserwinkl haben nicht nur Sturmböen, sondern auch kräftigen Regen gebracht. Etwa in Lofer und Kirchdorf in Tirol wurden 23 mm Regen in weniger als einer Stunde gemessen.

+++ Update 16:40 Uhr +++

Anbei ein aktuelles Bild auf Weißbach bei Lofer. In Lofer wurden soeben schwere Sturmböen bis 104 km/h gemessen!

  • 104 km/h Lofer
  • 90 km/h Kirchdorf in Tirol
  • 75 km/h Hochfilzen

In Innsbruck ist hingegen dank der regenbedingten Abkühlung in Südtirol der Föhn durchgebrochen mit Böen bis 85 km/h.

Gewitter in Weißbach bei Lofer. © Storm Science Austria

+++ Update 16:30 Uhr +++

Im aktuellen Radarbild erkennt man die starke Gewitterzelle, die derzeit in Richtung Tennengau zieht. Es besteht erhöhte Gefahr von Hagel und teils schweren Sturmböen!

Radarbild um 16:25 Uhr. © ACG/UBIMET
Geiwtterdurchzug im Kaisergebirge.

+++ Update 16:20 Uhr +++

Ein kräftiges Gewitter hat sich auch im Weinviertel westlich von Poysdorf gebildet. Vorsicht vor Starkregen, Hagel und stürmischen Böen!

+++ Update 16:10 Uhr +++

Bisherige Windspitzen:

  • 68 km/h Kuftsein
  • 67 km/h Achenkirch
  • 66 km/h Innsbruck

+++ Update 16:10 Uhr +++

Ein starkes Gewitter zieht derzeit vom Kaisergebirge in Richtung nördliches Pinzgau bzw. Tennengau. Es besteht erhöhte Gefahr von Sturmböen!

Ein Bild der Zelle am Alpenrand in Bayern.

+++ Überblick +++

Im Vorfeld der sich von Deutschland her annähernden Kaltfront steigt die Gewittergefahr deutlich an – neben schwülheißer Luft ist nämlich auch kräftiger Wind in höheren Luftschichten als Grundzutat für die Entwicklung von langlebigen, rasch ziehenden und unwetterträchtigen Gewittern gegeben.

Niederschlagsprognose von Montagnachmittag bis Dienstagnachmittag in 3h-Schritten von ICON-D2.

Unwetter in Italien: Riesiger Hagel und extrem viele Blitze

Am Mittwoch gab es vor allem südlich der Alpen neuerlich eine Schwergewitterlage. Betroffen war zunächst der äußerste Süden Österreichs, so sorge eine Gewitterlinie in Unterkärnten teils sogar für orkanartige Böen wie etwa in Ferlach mit bis 104 km/h. In den Nachmittags- und Abendstunden sind dann ausgehend von Südtirol weitere Gewitter entstanden, welche südostwärts zu den Regionen Venetien, Friaul-Julisch Venetien sowie Emilia-Romagna gezogen sind.

Der Blitzverlauf am Donnerstag. Zunächst war der äußerste Süden Österreichs betroffen, später dann der Nordosten Italiens. © www.uwz.at

Riesiger Hagel

Die Kombination aus extrem energiereicher Luft, einer äußerst labilen Luftschichtung und dem sehr stark ausgeprägten Höhenwind haben hier zu idealen Voraussetzungen für großen Hagel gesorgt. Besonders schlimm betroffen war einerseits das Gebiet zwischen Vicenza, Treviso und Venedig, andererseits auch ein breiter Streifen von Mantua in Richtung Ferrara. Vielerorts wurde hier Hagel zwischen 5 und 8 cm beobachtet. Vereinzelt wurde auch sog. Riesenhagel mit einem Durchmesser von rund 10 cm beobachtet. Einzelne Bilder deuten sogar auf vereinzelte Hagelkörner zwischen 13 und 15 cm hin, was nahe zum europäischen Hagelrekord liegt. Vor allem in der Umgebung von Padua und Treviso wurden teils extreme Schäden gemeldet.

Hagelgrößen

Je nach Größe wird Hagel in unterschiedliche Klassen eingestuft. Ab einem Durchmesser von 4 cm spricht man meist von großem Hagel, ab etwa 7 cm von sehr großem Hagel und ab 10 cm von Riesenhagel. Hagelkörner mit einem Durchmesser von 10 bis 12 cm fallen mit einer Geschwindigkeit von etwa 150 km/h und können eine Masse von teils mehr als 400 Gramm aufweisen. So große Hagelkörnern sind zwar selten und treten meist nur vereinzelt nahe der heftigsten Gewitterkerne auf, für Menschen und Tiere herrscht dann jedoch Lebensgefahr, wie etwa am 30. August 2022 in Katalonien. Die bislang größten dokumentierten Hagelkörner in Europa liegen bei etwa 15 cm, wie etwa auf der Schwäbischen Alb am 6. August 2013 mit 14,1 cm. In den USA wurde in South Dakota sogar ein Hagelkorn mit einem Durchmesser von 20 cm beobachtet.

  • <0,5 cm Graupel
  • 0,5 bis 2,5 cm Kleiner bis mittelgroßer Hagel
  • 2,5 bis 4 cm Mittelgroßer Hagel
  • 4 bis 5,5 cm Großer Hagel
  • 5,5 bis 7,5 cm Großhagel
  • 7,5 bis 10 cm Sehr großer Hagel
  • >10 cm Riesenhagel


Zusätzlich zum Hagel kam es auch zu Starkregen und Sturmböen. Weiters haben die Gewitter zu extremen Blitzraten von mehreren Blitzen pro Sekunde geführt, wie man in den nachfolgenden Videos eindrucksvoll sehen kann (beide in Echtzeit!).

Am Mittwoch kräftige Gewitter mit Hagel und Sturm

Gewitter mit Blitz

+++ Update 21:40 +++

Die Kaltfront zeigt sich auch, wenn man die aktuellen Temperaturmessungen betrachtet: innerhalb von Niederösterreich werden derzeit riesige Unterschiede gemessen. In Schwechat sind es immer noch 29 Grad, während von Haag, im westlichen Teil des Bundeslandes gut 10 Grad weniger, nur 18 Grad gemeldet wurden.

+++ Update 21:10 +++

Die meisten Blitze wurden bisher mit mehr als 22.000 Entladungen in Oberösterreich verzeichnet, nun ist aber die Steiermark dran.

+++ Update 20:43 +++ 

Schöner Zeitraffer vom Gewitteraufzug in Lamprechtshausen heute Abend.
Danke an Storm Science Austria!

+++ Update 20:15 +++

Achtung im Mürztal, Raum Leoben und Bruck/Mur! Ein sehr kräftiges Gewitter zieht aus Westen auf, hier sind in rund 20 Minuten schwere Sturmböen möglich, auch Starkregen ist dabei!

Niederschlagsradar, 20:20 Uhr MESZ (Quelle: ACG/UBIMET)

+++ Update 19:40 +++

Die kräftigsten Windböen der letzten 60 Minuten:

  • 109 km/h, Linz (Flughafen) (OÖ)
  • 93 km/h, Radstadt (S)
  • 89 km/h, Obertauern (S)
  • 88 km/h, Micheldorf (OÖ)
  • 86 km/h, Enns (OÖ)

+++ Update 19:35 +++

Die Suppe ist noch nicht ausgelöffelt – Im Donauraum (Richtung Melk) und im Mostviertel ziehen jetzt kräftige Gewitter auf. Der zweite Schwerpunkt liegt in der westlichen Obersteiermark, hier sind das Ennstal und die Niederen Tauern betroffen. Da wie dort herrscht Unwettergefahr, vor allem durch Sturmböen bis zu 100 km/h!

Niederschlagsradar, 12.07.2023, 19:30 Uhr MESZ (QUelle: ACG/UBUMET)

+++ Update 19:03 +++

Zwischen dem äußersten Osten und der aufziehenden Kaltfront herrscht in weiten Teilen Kärntens, der Steiermark und Niederösterreichs strahlender Sonnenschein. Die Gewitter aus Westen laufen hier besonders in Kärnten und  in der Südsteiermark in sehr energiereiche Luft.

Sat-Bild 12.07.2023, (18:00 Uhr MESZ, Quelle: EUMETSAT)

+++ Update 18:51 +++

Bei Braunau (OÖ) hatte das Gewitter aus Bayern noch einen gut erkennbaren Böenkragen:

+++ Update 18:48 +++

Die Gewitter haben sich etwas abgeschwächt, aber sorgen immer noch für teils stürmische Böen. (Zum Vergrößern aufs Bild klicken)

Windböen der letzten Stunde (bis 18:40 MESZ), 12.07.2023

+++ Update 18:20 +++

Die Stormchaser von Storm Science Austria sind wieder unterwegs und fangen die Gewitter auch fotografisch ein, so wie hier bei Lamprechtshausen bei Salzburg Stadt.

Gewitter bei Lamprechtshausen am Mittwochabend (Foto: Storm Science Austria)
Gewitter bei Lamprechtshausen am Mittwochabend (Foto: Storm Science Austria)

+++ Update 17:20 +++

Erste sehr kräftige Gewitter ziehen inzwischen durch Österreich!

Zwei kräftige, die zuvor in Bayern schon größeren Hagel brachten und nördlich von München zu 111 km/h Böen führten, erreichen in diesen Minuten das Innviertel. Eine weitere, sehr kräftige Zelle hängt noch nahezu stationär im Burgenland zwischen Deutschkreuz und Lutzmannsburg. Hier ist noch von großem Hagel, sowie großen Regenmengen auszugehen!

Radarbild – Austrocontrol, UBIMET

+++ Überblick +++

Am Mittwochnachmittag zieht aus Nordwesten die Kaltfront eines Tiefs mit Kern über Skandinavien auf. Die Gewittergefahr steigt ausgehend von Vorarlberg neuerlich an, am späten Nachmittag bzw. Abend sind in weiten Teilen des Landes kräftige Gewitter zu erwarten. Mit Durchzug der Gewitter besteht die Gefahr von teils großem Hagel um 5 cm und schweren Sturmböen um 100 km/h!

Die Niederschlagsprognose von ICON-D2 für den Zeitraum  von Mittwochnachmittag bis in die Nacht auf Donnerstag deuten auf kräftige Gewitter. ©DWD/UBIMET

Im Laufe des Mittwochnachmittag greifen ausgehend von der Schweiz und Bayern vermehrt Gewitter auf den Westen Österreichs über, welche sich am späten Nachmittag ostwärts ausbreiten. In den Abendstunden zeichnet sich vor allem im Süden und Südosten des Landes eine erhöhte Unwettergefahr ab!

Im Vorfeld der Kaltfront liegen energiereiche Luftmassen über Österreich. © EUMETSAT/UBIMET

+++ Rückblick 11. Juli +++

Am Dienstagnachmittag kam es zunächst in Mittelkärnten und im Murtal zu lokalen, aber kräftigen Gewittern mit großem Hagel. Etwa in Sirnitz im Bezirk Feldkirchen wurde Hagel bis zu 7 cm beobachtet bzw. in Scheifling im Bezirk  Murau bis zu 5 cm.

Blitze bis 3 Uhr am Mittwoch. © UBIMET

Am Dienstagabend und in der Nacht auf Mittwoch gab es vor allem von Vorarlberg bis Oberösterreich starke Gewitter mit schweren Sturmböen bzw. lokal auch Orkanböen, anbei eine Auswahl an Messwerten:

  • 123 km/h Waizenkirchen (OÖ)
  • 121 km/h Reichersberg (OÖ)
  • 119 km/h Wolfsegg (OÖ)
  • 117 km/h Enns (OÖ)
  • 113 km/h Kremsmünster (OÖ)
  • 108 km/h Vöcklabruck (OÖ)
  • 107 km/h Summerau (OÖ)
  • 106 km/h Innsbruck-Uni (T)
  • 104 km/h Straßwalchen (S)
  • 95 km/h Haag (NÖ)
Hagel in Steuerberg (Kärnten). © Monika Scherde

Zu Wochenbeginn große Hitze mit bis zu 36 Grad, danach kräftige Gewitter

Kühe im Sommer

Österreich liegt derzeit zwischen einem Tief mit Kern bei den Britischen Inseln und einem Hoch über dem Mittelmeerraum. Mit einer westlichen Strömung gelangen dabei heiße Luftmassen ins Land: Die zweite Hitzewelle des Jahres erreicht zu Wochenbeginn ihren Höhepunkt. Am Montag sind vor allem im Osten Österreichs Temperaturen bis 36 Grad zu erwarten. Auch am Dienstag bleibt es landesweit sehr heiß, wobei die höchsten Temperaturen um 36 Grad dann vor allem im Westen erreicht werden.

Das Tief QUENTIN über dien Britischen Inseln führt sehr warme Luft nach Mitteleuropa.

35 Grad immer häufiger

Temperaturen über 35 Grad treten in den meisten Landeshauptstädten mittlerweile nahezu jährlich auf. Etwa in Wien gab es im Klimamittel von 1961 bis 1990 nur etwa alle acht Jahre einen Tag mit mindestens 35 Grad, im Mittel von 1991 bis 2020 waren es 1,7 Tage pro Jahr. In den vergangenen 15 Jahren waren es schon mehr als 2 Tage pro Jahr. Der Rekord in Wien liegt bei 17 extrem heißen Tagen und wurde im Sommer 2015 aufgestellt.

Sonne und Gewitter

Am Montag geht es verbreitet sonnig in den Tag, nur ganz im Westen ziehen ein paar Wolken durch. Im Tagesverlauf bilden sich einige Quellwolken und in den Nordalpen gehen erste Gewitter nieder. Gegen Abend ziehen auch im Süden und Osten lokale, aber durchaus kräftige Gewitter mit teils stürmischen Böen durch. Die größte Wahrscheinlichkeit dafür herrscht im äußersten Norden sowie von Kärnten bis in die Südweststeiermark. Die Temperaturen erreichen von West nach Ost 29 bis 36 Grad.

Die Rückwärtstrajektorien zeigen die Herkunft der Luft in Wien am Montag. Sie stammt nicht aus Nordafrika, sondern wurde aufgrund der Subsidenz im Hoch erwärmt.

Am Dienstag scheint wieder oft ungetrübt die Sonne, am Nachmittag bilden sich nur ganz vereinzelte Hitzegewitter in den Alpen. Am Abend und in der Nacht ziehen dann von Vorarlberg bis Oberösterreich vermehrt kräftige Gewitter auf, dabei zeichnet sich große Sturmgefahr ab! Zuvor klettern die Temperaturen auf 30 bis 36 Grad mit den höchsten Werten von Vorarlberg bis Salzburg.

Prognose der Höchstwerte am Montag und Dienstag.

Zunehmende Unwettergefahr

Im Vorfeld einer Kaltfront ziehen am Mittwoch im Bergland und an der Alpennordseite von Beginn an einige Wolken sowie teils gewittrige Schauer durch. Im Süden und Osten kommt dagegen noch häufig die Sonne zum Vorschein, spätestens am Abend wird es aber auch hier gewittrig mit erheblicher Unwettergefahr. Vor allem im Süden und Südosten zeichnet sich eine klassische Unwetterlage ab, die Gewitter können hier zu großem Hagel, Sturmböen und Starkregen führen. Im Westen kühlt es bereits spürbar ab, im Südosten wird es hingegen nochmals heiß: Die Höchstwerte liegen von West nach Ost zwischen 23 und 35 Grad.

Die Modelle deuten am Mittwoch vor allem im im Südosten auf große Unwettergefahr. © ECMWF/UBIMET

Vorübergehende Abkühlung

Der Donnerstag zeigt sich häufig von seiner trüben Seite, am ehesten lässt sich die Sonne anfangs im Süden sowie im Tagesverlauf ganz im Westen und Norden zwischendurch blicken. Dazu regnet es immer wieder schauerartig, vor allem im Süden auch noch gewittrig durchsetzt und ergiebig. Vom Bodensee bis nach Oberösterreich trocknet es hingegen immer mehr ab. Die Wolken lockern aber nur sehr zögerlich auf. Bei maximal 18 bis 27 Grad kühlt es auch in der Südosthälfte spürbar ab.
Am Freitag ist eine Wetterberuhigung in Sicht und die Temperaturen steigen wieder an. Das kommende Wochenende verläuft dann voraussichtlich wieder zunehmend heiß mit viel Sonnenschein und Höchstwerten über 30 Grad.

Die Abkühlung am Donnerstag ist nur von kurzer Dauer. © ECMWF/UBIMET

Tipp: Mit unseren kostenlosen Push-Benachrichtigungen werden sie vor besonderen Unwetterlagen rechtzeitig informiert! Für regelmäßige Wetter-Updates folgen Sie uns auf Twitter oder Facebook.

 

Am Sonntag in NRW und Niedersachsen starke Gewitter

Unwetter

Deutschland liegt derzeit zwischen einem umfangreichen Tief über dem Nordatlantik namens QUENTIN und einem Hochdruckkeil, der sich vom Mittelmeer bis nach Mitteleuropa erstreckt. Mit Drehung der Strömung auf Südwest gelangen dabei zunehmend heiße Luftmassen aus Südwesteuropa ins Land. Am Sonntag steigen die Temperaturen am Oberrhein und im Rhein-Main-Gebiet auf bis zu 36, vereinzelt auch 37 Grad.

Am Sonntag wird es verbreitet hochsommerlich heiß.

Aus Westen zieht tagsüber jedoch die Kaltfront des atlantischen Tiefs auf und im Bereich eines sich entwickelnden Bodentrogs zwischen Nordfrankreich und Nordwestdeutschland steigt die Gewittergefahr deutlich an.

In dem Gebiet zwischen Kaltfront und Keilachse herrscht die größte Gewittergefahr.

Schwere Sturmböen, Hagel und Starkregen

Die größte Unwettergefahr herrscht ab dem Nachmittag im äußersten Westen des Landes, also in einem Streifen von der Eifel bis ins Emsland. In den Abendstunden verlagert sich der Schwerpunkt immer mehr in Richtung Nordsee, zumindest einzelne kräftige Gewitter sind aber auch in Baden-Württemberg und Hessen möglich.

Unwetterpotential am Sonntag. © UBIMET

Die Hauptgefahr stellen teils schwere Sturmböen dar, lokal kann es aber auch zu größerem Hagel  kommen (dank Überlappung von teils >30 kt Windscherung mit CAPE um ~1000 J/Kg. Besonders im äußersten Westen besteht auch die Gefahr von kleinräumigen Überflutungen aufgrund von großen Regenmengen in kurzer Zeit (das sog. „niederschlagbare Wasser“ bzw. PWAT erreicht im äußersten Westen am Abend etwa 40 mm!).

3h-Niederschlöagsprognose vom ICON-D2 6er-Lauf. © DWD/UBIMET

In der Nacht erfassen die Gewitter unter Abschwächung einen Streifen etwa von Unterfranken über Sachsen-Anhalt bis nach Schleswig-Holstein. Die Unwettergefahr lässt nach Osten zu nach, allerdings kann es hier auch abseits der Gewitter streckenweise zu stürmischen Böen kommen. Die Luft ist in diesen Region nämlich sehr trocken, weshalb die zu Schauern zerfallenden Gewitter dank Verdunstungskühlung weiterhin für stark auffrischenden Wind sorgen können.

Im Westen sind in Gewitternähe lokal auch Orkanböen möglich. In einem Streifen etwa von Schleswig-Holstein bis nach Unterfranken kann der Wind am Abend dann auch abseits von Gewittern stark auffrischen.

Sturm POLY: Am Mittwoch im Nordwesten stürmisch, im Südosten Gewitter

Sturm

Im Laufe der Nacht zum Mittwoch verstärkt sich ein kleinräumiges Randtief über dem Ärmelkanal zu einem kräftigen Tief namens POLY. Im Vorfeld des Tiefs muss man am Mittwoch vor allem im Südosten und äußersten Osten mit Gewittern rechnen, im Nordwesten kommt dagegen stürmischer Wind auf.

Die relative Feuchte und der Wind in etwa 3 km Höhe zeigen eindrücklich den Tiefkern.

Schwere Sturmböen

Am Mittwochvormittag zieht der Tiefkern direkt über den Norden Niedersachsens hinweg, dabei kommt zunächst in NRW und Niedersachsen verbreitet stürmischer Südwestwind auf. Besonders vom nördlichen Münsterland und Emsland bis zur Elbmündung muss man mit schweren Sturmböen zwischen 80 und 100 km/h rechnen, in Schauernähe sind im Bereich der Ostfriesischen Inseln am Nachmittag sogar Orkanböen um 120 km/h möglich! Ab den Mittagsstunden erfasst das Sturmfeld zudem auch den Norden des Landes, somit sind vom Großraum Hamburg bis zur Ostsee ebenfalls verbreitet stürmische Böen zu erwarten. Hier fallen die Böen aber eine Spur schwächer als im Nordwesten aus.

Prognose der Windböen von ICON-D2 für Mittwoch. © DWD/UBIMET

Außergewöhnlich für die Jahreszeit

Für die Jahreszeit steht ein durchaus außergewöhnliches Ereignis an, zumal die voll belaubten Bäume eine große Angriffsfläche für den Wind bieten und dadurch die Gefahr von abbrechenden Ästen und umstürzenden Bäumen viel höher als im Winter ist. Wie ungewöhnlich die Wetterlage ist zeigt u.a. auch die Prognose des Extreme Forecast Index (EFI) vom Europäischen Zentrum für mittelfristige Wettervorhersage ECMWF. Es handelt sich dabei um eine Kennzahl, die zwischen -1 und +1 liegt. Beim Wert „0“ handelt es sich um ein gewöhnliches, alltägliches Ereignis, bei „-1“ und „+1“ dagegen um außergewöhnliche Ereignisse (wie etwa extrem tiefe oder hohe Temperaturen). Am Mittwoch erreicht der EFI der Windböen im Nordwesten Deutschlands Werte nahe 1.

EFI für die Windböen am Mittwoch. © ECMWF / UBIMET

Gewitter im Südosten

Die meisten Gewitter sind in den Mittagsstunden in einem Streifen von Vorpommern bis nach Ostsachsen sowie südlich der Donau zu erwarten. Vor allem im Bereich der Grenze zu Polen kann es dabei zu Starkregen und stürmischen Böen kommen. Im Laufe des Nachmittag ziehen im Westen und Nordwesten dann noch lokale Schauer sowie vereinzelte Kaltluftgewitter durch.

Gewitter-Halbjahresbilanz: knapp 2 Mio. Blitze in Deutschland

Gewitter

Die Gewitterhochsaison geht in Deutschland meist von Mai bis August, wobei der Juni und der Juli die zwei absolut blitzreichsten Monate darstellen. Heuer gab es vor allem im März mit mehr als 113.000 Entladungen außergewöhnlich viele Blitze für die Jahreszeit. Der Mai brachte mit 312.000 Entladungen hingegen weniger als die Hälfte der üblichen Blitzentladungen. Der Juni lag mit 1,4 Millionen Blitzen im Bereich des 10-jährigen Mittels. In Summe wurden von Januar bis inkl. Juni 1.919.830 Blitzentladungen erfasst, davon 554.525 in Bayern und 253.021 in Baden-Württemberg. Das entspricht etwa 84 Prozent des 10-jährigen Mittels, das bei knapp über 2 Mio. liegt.

Blitzfeuerwerk am 22. Juni

Der mit Abstand blitzreichste Tag war der 22. Juni, als ein Randtief mit sehr energiereicher Luft direkt über Deutschland gezogen ist und für schwere Unwetter wie etwa im Großraum Kassel sorgte. In Summe kam es an diesem Tag zu 748.300 Entladungen, was einem der höchsten Werte der vergangenen 10 Jahre entspricht. An diesem Tag wurde innerhalb von 24 Stunden rund die Hälfte der üblichen Blitzentladungen des gesamten Junis verzeichnet. Der höchste Tageswert seit dem Jahre 2020 vom 13. Juni 2020 mit 450.000 Entladungen wurde deutlich übertroffen.

Stärkster Blitz mit 369 kA

Der stärkste Blitz mit einer Stromstärke von 369 kA wurde am 1. Februar in Bockhorn im Landkreis Friesland detektiert. Tatsächlich treten die stärksten Blitze nicht immer in Zusammenhang mit den stärksten Gewitter auf, in diesem Fall handelte es sich um ein Kaltluftgewitter.

Stärkste Blitze vom 1.1. bis 30.6.2023

    • 369 kA Bockhorn (Friesland) am 1. Februar
    • 364 kA Bruch (Bernkastel-Wittlich) am 22. Mai
    • 337 kA Oldenburg (Oldenburg) am 1. Februar
    • 329 kA Engelsberg (Traunstein) am 23. April
    • 328 kA Oberstdorf (Oberallgäu) am 19. Juni
    • 318 kA Osterhofen (Deggendorf) am 8. Juni

Bei den Landkreisen mit der höchsten Blitzdichte muss man nach Bayern blicken: In Fürstenfeldbruck und Dachau gab es mehr als 30 Blitze pro km², gefolgt vom Landkreis Kassel mit 27. Am unteren Ende der Tabelle liegen dagegen Kiel und Dithmarschen in Schleswig-Holstein, wo die Blitzdichte nur bei 0,1 Blitzen pro km² lag.

Landkreise mit der höchsten Blitzdichte vom 1.1. bis 30.6.2023

    • 31,4 Blitze/km² Fürstenfeldbruck (Bayern)
    • 30,3 Blitze/km² Dachau (Bayern)
    • 27,0 Blitze/km² Kassel (Hessen)
    • 25,2 Blitze/km² Osterode am Harz (Niedersachsen)
    • 21,3 Blitze/km² Peine (Niedersachsen)
    • 20,8 Blitze/km² Ulm (Baden-Württemberg)

Blitze pro Bundesland vom 1.1. bis 30.6.2023

  • 554.525 Bayern
  • 253.021 Baden-Württemberg
  • 228.215 Niedersachsen
  • 186.463 Hessen
  • 144.946 Nordrhein-Westfalen
  • 136.622 Sachsen-Anhalt
  • 112.145 Rheinland-Pfalz
  • 90.206 Brandenburg
  • 72.776 Thüringen
  • 69.718 Sachsen
  • 44.491 Mecklenburg-Vorpommern
  • 12.786 Schleswig-Holstein
  • 7.409 Saarland
  • 3.798 Berlin
  • 1.769 Hamburg
  • 940 Bremen

Das bislang heftigste Gewitter, das auf der Erde beobachtet wurde

Am 15. Januar 2022 hat der Ausbruch des Unterwasservulkans Hunga Tonga-Hunga Ha’apai für einige Schlagzeilen und Rekorde gesorgt. Der Knall der Explosion war teils sogar noch in Alaska hörbar, zudem kam es zu einem Tsunami sowie zu Druckwellen, die den Planeten mehrmals umrundeten und auch in Deutschland messbar waren. Einige Bilder haben wir damals hier zusammengefasst: Tsunami im Pazifik nach massivem Vulkanausbruch

Der Ausbruch vom Hunga Tonga–Hunga Ha‘apai. © NASA/NESDIS

58 km hoch

Die Explosion vom Hunga Tonga–Hunga Ha‘apai war die mit Abstand stärkste im aktuellen Jahrhundert. Die Wolke erreichte an ihrem höchsten Punkt eine Rekordhöhe von 58 Kilometern! Das bedeutet, dass die Asche- und Wasserwolke die Mesosphäre erreicht hat, die in etwa 50 Kilometer Höhe über der Erdoberfläche beginnt – und auch in diese erstmals Material einbrachte. Zum Vergleich: Der Ausbruch des Pinatubo 1991 erreichte die Stratosphäre in etwa 40 km Höhe und die meisten Gewitterwolken sind meist „nur“ 10 bis 15 km hoch. Selbst die Aufwinde der stärksten Gewitter kommen meist nur knapp über die Tropopause hinaus.

Die Schichten der Atmosphäre.

Nicht nur die Höhe, sondern auch die Breite der Explosion war mit einem Durchmesser von vorübergehend mehr als 100 Kilometern außergewöhnlich groß. Das Vordringen der Wolke in bis zu 58 km Höhe hat eine enorme Schwerewelle erzeugt, welche eine Amplitude von bis zu 5 Kilometern und eine Geschwindigkeiten von fast 300 km/h erreicht hat. Aus diesem Grund waren die Blitze im Zuge des Vulkanausbruchs zeitweise auch ringförmig angeordnet.

Skizze zur Veranschaulichung der dynamischen und mikrophysikalischen Prozesse innerhalb der Wolke. Graphik aus dieser Studie.

400.000 Entladungen

Im Zuge des Vulkanausbruchs wurde eine maximale Blitzfrequenz von knapp über 2600 Blitzen pro Minute ermittelt, in Summe wurden etwa 400.000 Entladungen innerhalb weniger Stunden gemessen, einige davon in außergewöhnlicher Höhe zwischen 20 und 30 km. Zum Vergleich: Starke Gewitter in Österreich oder Deutschland reichen meist 12 bis 15 km in die Höhe und sorgen für bis zu 500 Blitze pro Minute. Bei einem großräumigen Gewittercluster im Süden des USA wurden am 6. Mai 1999 knapp 1.000 Blitze pro Minute verzeichnet.

Rekordmengen an Wasserdampf

Im Zuge des Vulkanausbruchs verdampften schätzungsweise 146 Teragramm Wasser (146.000.000 Tonnen). Forscher haben festgestellt, dass bisher kein bekannter Vulkanausbruch mehr Wasserdampf in die Stratosphäre geschleudert hat als dieser. Manchmal führen große Vulkanausbrüche große Mengen an Schwefeldioxidgasen in die Stratosphäre, was zu einer vorübergehenden Abkühlung des Klimas führen kann (z.B. Tambora und Pinatubo). Bei großen Mengen an Wasserdampf geht man dagegen eher von einer leichten Erwärmung aus, die sich vorübergehend zum menschengemachten Klimawandel aufsummiert.

Seit dem Vulkanausbruch ist in etwa 30 km Höhe in der Stratosphäre außergewöhnlich viel Wasserdampf vorhanden.

Juni 2023 knapp 1 Grad wärmer als üblich

Österreichweit betrachtet schließt der Juni rund 0,8 Grad zu warm ab, vergleicht man ihn mit dem langjährigen Mittel von 1991-2020. Die größten positiven Abweichungen haben wir von Vorarlberg bis ins Innviertel verzeichnet. Besonders extrem war der Juni in Vorarlberg, mancherorts war es hier sogar drei Grad wärmer als üblich. Im östlichen Flachland sowie im Südosten war der Monat hingegen nahezu exakt durchschnittlich. In Summe war es einer der 10 wärmsten Juni-Monate seit Messbeginn.

Höchste Temperaturen
  • 36,2 Grad Bad Goisern (OÖ, 22.)
  • 36,1 Grad Oberndorf / Melk (NÖ, 22.)
  • 36,0 Grad Salzburg (S, 22.)
Tiefste Temperaturen
  • -1,9 Grad Liebenau – Gugu (OÖ, 13.)
  • -1,2 Grad Schwarzau im Freiwald (NÖ, 13.)
  • +2,1 Grad Zwettl (NÖ, 13.)

Im Westen viele Sommertage

Vor allem in Vorarlberg brachte der Juni außergewöhnlich viele Sommertage, etwa in Bregenz und Dornbirn waren es 26, also mehr als doppelt so viele wie üblich. Nur im Juni 2003 gab es hier noch mehr Sommertage. Auch in Innsbruck lag die Anzahl der Sommertage im Juni über dem Mittel, Salzburg war dagegen annähernd durchschnittlich und von Klagenfurt und Linz ostwärts war die Anzahl der Sommertage leicht unterdurchschnittlich.

Sommertage
  • 26 Bregenz, Dornbirn, Feldkirch (V)
  • 25 Bludenz (V)
  • 21 Innsbruck, Haiming, Landeck (T)

Bis zum ersten Hitzetag musste man sich heuer aber bis zum 18. Juni gedulden, als erstmals in Bludenz die 30-Grad-Marke erreicht wurde. Das entspricht dem spätesten Termin seit dem Jahre 1990. An der Spitze liegt allerdings Innsbruck mit 8 Hitzetagen. Allgemein war die Anzahl der Hitzetage leicht überdurchschnittlich, nur im östlichen Flachland wurde das Soll knapp nicht erreicht.

Hitzetage
  • 8 Innsbruck, Landeck (T)
  • 7 Haiming (T)
  • 6 Wien, Klagenfurt, Ferlach (K), Ranshofen/Braunau (OÖ), Prutz, Imst (T), Haag (NÖ)
  • 5 u.a. St. Pölten, Graz, Salzburg und Linz

Im Juni gab es auch zu den ersten Tropennächte: Erstmals war es in der Wiener Innenstadt in der Nacht auf den 21. Juni soweit. In Summe gab es in der Wiener Innenstadt fünf Tropennächte und in Graz St. Pölten und Eisenstadt jeweils zwei.

Teils trocken, teils nass

Im landesweiten Flächenmittel gab es im Juni etwa 30 Prozent weniger Niederschlag als üblich, wobei es von Vorarlberg bis Oberösterreich deutlich zu trocken war. Zum Teil gab es hier weniger als ein Viertel der üblichen Niederschlagssumme. Von Vorarlberg bis ins Innviertel war es einer der trockensten Juni-Monate seit Messbeginn, nur der Regen am Monatsletzten verhindert hier einen neuen Negativrekord.

Ganz anders präsentiert sich das Bild hingegen im Süden und Osten, wo es mancherorts deutlich mehr Regen als üblich gab. Besonders große Regenmengen wurden im Osten zwischen dem 6. und 10. Juni verzeichnet, als sehr feuchte Luftmassen bei nur geringen Druckgegensätzen täglich zu kräftigen Gewittern führten. Etwa in Bruckneudorf kamen innerhalb von einer Woche 192 L/m² Regen zusammen, davon 111 an einem Tag, was einem neuen Stationsrekord entspricht. Große Regenmengen folgten im östlichen Bergland und im Süden zwischen dem 21. und dem 23. Juni, als kräftige Gewitter regional für Hagel und Starkregen sorgten.

Vorläufig nasseste bewohnte Orte
  • 231 Liter pro Quadratmeter Mönichkirchen (NÖ)
  • 222 Liter pro Quadratmeter Bad Radkersburg (ST)
  • 211 Liter pro Quadratmeter Bruckneudorf (B)
Vorläufig trockenste bewohnte Orte
  • 16 Liter pro Quadratmeter Enns (OÖ), Haag (NÖ)
  • 18 Liter pro Quadratmeter Ried/Innkreis, Ranshofen/Braunau (OÖ)

Viel Sonnenschein, lokal Rekorde

Auch die Bilanz der Sonnenscheindauer präsentiert sich zweigeteilt: Von Vorarlberg bis Oberösterreich gab es 20 bis 50 Prozent mehr Sonnenstunden als üblich, vom Grazer Becken bis ins Süd- und Mittelburgenland liegt die Bilanz hingegen bei -10 bis -15 Prozent. Im Flächenmittel brachte der Juni 10 Prozent mehr Sonnenstunden als im langjährigen Mittel von 1991 bis 2020.
Örtlich wurden in Vorarlberg sogar neue Rekorde verzeichnet, etwa in Bregenz war es mit 327 Sonnenstunden der bislang sonnigste Juni seit Messbeginn.

Absolut sonnigste Orte
  • 347 Sonnenstunden Rohrspitz (V)
  • 327 Sonnenstunden Bregenz (V)
  • 314 Sonnenstunden Sulzberg (V)

Weniger Blitze als üblich

Im Juni wurden in Österreich in Summe 240.000 Blitzentladungen erfasst, davon allein 124.000 in der Steiermark, gefolgt von Niederösterreich und Kärnten mit 32.000 bzw. 23.000 (mehr dazu hier). Damit gab es etwa 80 Prozent der üblichen Anzahl an Blitzen. Zum Vergleich: Im Vorjahr gab es in Österreich 770.000 Entladungen, zuletzt weniger Blitze wurden dagegen im Juni 2020 gemessen, als es nur zu 175.000 Entladungen kam. Dennoch blieben kräftige Gewitter nicht aus, so kam es besonders am 21. und 23. Juni in der Steiermark und in Kärnten örtlich auch zu großem Hagel um 5 cm sowie zu Sturmböen. Die höchste Windspitze wurde im Zuge eines Gewitters am 21. in Laa an der Thaya mit 104 km/h verzeichnet.

Stärkste Windspitzen Niederungen
  • 104 km/h Laa an der Thaya (NÖ, 21.)
  • 102 km/h Mittelberg (V, 22.)
  • 101 km/h Gumpoldskirchen (NÖ, 23.)

Rauch der Waldbrände in Kanada auf dem Weg nach Österreich

Zahlreiche Hochdrucklagen mit sehr hohen Temperaturen und wenig Niederschlag sorgen in Kanada bereits seit Mai für eine außergewöhnliche Waldbrandsaison. Bereits jetzt wurde deutlich mehr Fläche verbrannt, als sonst in der gesamten Saison üblich. Das Jahr 2023 wird hier wohl sämtliche Rekorde sprengen.

Die Größe der verbrannten Fläche in Kanada ist heuer stark überdurchschnittlich. © https://cwfis.cfs.nrcan.gc.ca/
Das akumulierte „Fire radiative power“ im Jahr 2023 (Summe der Momentanwerte) zeigt eindrücklich die Größe und Intensität der Brände im Jahr 2023.

Der Rauch der Waldbrände sorgt vor allem in Kanada seit Wochen immer wieder für eine sehr schlechte Luftqualität, wobei der Jetstream den Rauch auch nach Amerika oder über den Nordatlantik verfrachtet hat. Besonders eindrücklich waren die Bilder aus New York Anfang Juni, als der Himmel zeitweise komplett in orange gefärbt wurde (siehe auch hier).

Rauch in New York Anfang Juni 2023.

Rauch erfasst neuerlich Europa

Mit der vorherrschenden westlichen Höhenströmung über dem Nordatlantik hat der Rauch bereits Ende Mai unter starker Ausdünnung Mitteleuropa erreicht und dabei regional für leicht diesige Verhältnisse und farbenfrohe Dämmerungen gesorgt. Ein weiterer Schwall mit einer hohen Dichte an Partikeln hat am Montag Westeuropa erfasst und wird in den kommenden Tagen auch Mitteleuropa erreichen. Hierzulande zeichnen sich die höchsten Konzentrationen am Freitag ab. Besonders der Sonnenaufgang und -untergang können dann besonders farbenfroh ausfallen, zudem kann man bei sehr tiefstehender Sonne mitunter sogar direkt ohne Sonnenschutz die Sonnenscheibe beobachten, wo eventuell sogar mit bloßem Auge Sonnenflecken erkennbar sind.

Aerosole der Waldbrände in Kanada haben Österreich bereits Ende Mai 2023 erreicht.

Im Gegensatz zur Lage in Kanada oder vor ein paar Wochen in New York erreicht uns der Rauch in einer Höhe zwischen etwa 3 und 7 km, weshalb er sich bei uns nicht auf die Luftqualität am Boden auswirkt. Die Partikel sinken in den kommenden Tagen zwar tendenziell noch leicht ab, in Bodennähe kommen sie aber höchstens in geringen Konzentrationen an.

Rote Sonne

Die Verfärbung der Sonne ist ein alltägliches Phänomen: Hoch am Himmel bei wolkenlosem Wetter erscheint die Sonne gelblich, wenn sie sich aber dem Horizont nähert, verfärbt sie sich meist orange-rötlich. Diese Verfärbung wird hauptsächlich durch die sog. Rayleigh-Streuung des Sonnenlichts an Luftmolekülen verursacht, wobei die Streuung bei größerer Wellenlänge viel geringer als bei kleinen Wellenlängen ist. Während kurzwelliges blaues Licht verstärkt gestreut wird, wird langwelliges rotes Licht zum Beobachter transmittiert.

Anomale Streuung – wenn die Sonne blau wird

Der atmosphärische Transport kann die Rauchteilchen auch nach der Größe sortieren. Wenn zufällig die Partikelgröße von 0,5 tausendstel Millimeter vorherrscht, dann wird – umgekehrt als üblich – mehr der langwellige als das kurzwellige Anteil des Lichts gestreut. Dann können die Sonne bzw. noch auffälliger der Mond plötzlich blau verfärbt erscheinen. Die Wahrscheinlichkeit, dass das genau so eintritt, ist jedoch sehr gering. Aber vereinzelt kommt es eben doch vor, wie Amerikaner sagen würden, „once in a blue moon“.

Prognose der Aerosol-Ausbreitung  von Dienstag bis Freitag. © CAMS

Schwere Unwetter in Deutschland

Unwetter mit Hagel

Das Tief LAMBERT hat am Donnerstag in Deutschland für heftige Gewitter gesorgt. In Summe wurden 748.300 Blitzentladungen erfasst, was dem höchsten Tageswert seit einigen Jahren entspricht. Das 10-jährige Monatsmittel in Deutschland für den gesamten Juni liegt bei etwa 1,5 Mio. Blitze, also gab es innerhalb von etwa 24 Stunden rund die Hälfte der üblichen Blitzentladungen des gesamten Junis.

Blitzdichte am Donnerstag in Deutschland. © UBIMET


Vor allem die Regionen in einem Streifen von Rheinland-Pfalz über Nordhessen bis nach Sachsen-Anhalt sowie auch Bayern waren besonders betroffen. Die Gewitter haben hier für teils extreme Regenmengen, Hagel bis zu 5 cm und teils schwere Sturmböen um 90 km/h gesorgt. Besonders heftig mit großem Hagel, schweren Sturmböen und Überflutungen wurde Nordhessen bzw. der Großraum Kassel getroffen. Am Freitag ist auch der Süden Österreichs davon betroffen, aktuelle Infos dazu gibt es hier.

Am Mittwoch kräftige Gewitter mit Hagel und Starkregen

+++ Rückblick ++++

Mit der Ausnahme von Vorarlberg wurden heute in jedem Bundesland zumindest ein paar Blitze gemessen. Besonders viele Blitze wurden in der Steiermark erfasst, gefolgt von Tirol, Niederösterreich und Kärnten. In Summe waren es bis 21 Uhr etwa 63.500 Entladungen, nur knapp weniger als am bislang blitzreichsten Tag des Jahres am 23. Mai. Die Gewitter haben vor allem in den Alpen sowie im Weinviertel örtlich für Sturmböen gesorgt, zudem gab es von Oberkärnten bis in die Obersteiermark sowie auch in Nordtirol größeren Hagel. Vereinzelt wurden im Großraum Villach sowie in Teilen des Mürztals auch Hagelkörner bis etwa 5 cm gemeldet! Weitere Wetterdaten gibt es hier.


Derzeit sind zwar noch ein paar Gewitter unterwegs, die Unwettergefahr lässt für heute aber nach. Damit wünschen wir einen ruhigen Abend und bedanken uns für das Interesse!

+++ Update 20:50 ++++

Das Gewitter über Wien ist schwach und bringt nur etwas Regen und ein paar Blitze. Dafür sorgt es für tolle Farben am Himmel, zum Teil aufgrund des tiefen Sonnenstands, zum Teil wohl auch aufgrund des Saharastaubs.

Orangefarbener Himmel am Abend über Wien. © www.panomax.com

Anbei noch ein Bild aus dem Wienerwald von der Rückseite des Gewitters mit sog. „Mammatus-Wolken“.

+++ Update 20:30 ++++

Rund um Wien entstehen derzeit lokale Schauer und Gewitter. Auch der Norden Wiens wird davon in etwa 20 bis 30 Minuten getroffen, die Blitzaktivität hält sich bislang aber in Grenzen.

Radar um 20:30 Uhr. © UBIMET/ACG

+++ Update 20:00 ++++

Die Gewitter in Tirol, Salzburg und Kärnten lassen langsam nach. Anbei der Blick auf das Gewitter im Bereich Dreiländereck südlich von Villach. In der nördlichen Obersteiermark sowie teils auch im Bereich der Thermenlinie ziehen hingegen weiterhin Gewitter durch.

Bild @ www.foto-webcam.eu

+++ Update 19:40 ++++

Mittlerweile wurde schon mehr als 53.000 Blitzentladungen gemessen, die meisten davon in der Steiermark. Bislang war der blitzreichste Tag des Jahres der 23. Mai mit 65.000 Entladungen, diese Marke ist heute aber noch in Reichweite.

+++ Update 19:20 ++++

Die stärksten Gewitter sind aktuell in der nördlichen Obersteiermark unterwegs und ziehen tendenziell ost- bis nordostwärts in Richtung Eisenerz / Wildalpen. Ein kräftiges Gewitter zieht zudem über das Untere Gailtal hinweg.

+++ Update 19:10 ++++

Die Gewitterlinie im Weinviertel hat auch im Norden Wiens vorübergehend für kräftig auffrischenden Nordwind gesorgt, etwa in Stammersdorf wurden 64 km/h gemessen. Spannender ist die Lage derzeit aber im südlichen Wiener Becken, hier ziehen derzeit ausgehend von den Alpen lokale Gewitter auf.

+++ Update 19:00 ++++

Im Raum Villach herrscht die höchste Warnstufe! Es besteht die Gefahr von großem Hagel, schweren Sturmböen und großen Regenmengen in kurzer Zeit!

+++ Update 18:50 ++++

Anbei ein weiteres Hagel-Bild, diesmal aus dem Raum Fischbach in der Steiermark.

Hagel in der Steiermark. Bild © Storm Science Austria

+++ Update 18:40 ++++

Auch in Puchberg am Schneeberg gibt es bereits Meldungen von Hagel um 3 bis 4 cm. Vorsicht im Bereich der Hohen Wand, das Gewitter zieht in diese Richtung! Starke Gewitter sind auch im Raum Wald am Schober, bei Schladming sowie direkt nördlich von Villach unterwegs.

+++ Update 18:25 ++++

Anbei ein Bild der Gewitter im Weinviertel. Im östlichen Weinviertel herrscht derzeit erhöhte Sturmgefahr! Ein Gewitter ist nun auch im Süden Niederösterreichs im Raum Puchberg am Schneeberg unterwegs, hier besteht die Gefahr von größerem Hagel!

Gewitter im Weinviertel.

+++ Update 18:15 ++++

Die Gewitter sorgen derzeit immer häufiger für schwere Sturmböen, in Laa an der Thaya wurden soeben sogar eine orkanartige Böen von 104 km/h gemessen. Erhöhte Vorsicht nun auch in Kärnten zwischen Villach und Klagenfurt: Aus Norden ziehen starke Gewitter mit Sturmböen und lokal auch Hagel auf!

Anbei ein Bild aus dem Mürztal (Krieglach):

+++ Update 17:55 ++++

Die stärksten Gewitter sind aktuell im Bereich der Gurktaler Alpen in Kärnten unterwegs. In Millstatt wurden soeben Böen bis 96 km/h gemessen, in Gmünd 65 km/h und in Spittal an der Drau 63 km/h. Diese Gewitter ziehen in Richtung Villach.

+++ Update 17:30 ++++

Nach und nach kommen Meldungen von größerem Hagel in der Steiermark ein. Anbei Bilder aus dem Mürztal und dem Katschberg.

Im Raum Telfs in Tirol wurde ebenfalls Hagel um 2-3 cm gemeldet.

+++ Update 17:30 ++++

Die Gewitter im Waldviertel ziehen derzeit weiter in Richtung Weinviertel, in Retz wurde soeben eine Sturmböe von 87 km/h gemessen. Die höchste Unwettergefahr herrscht hier derzeit direkt entlang der Grenze zu Tschechien.

+++ Update 17:15 ++++

In Summe wurden heute schon knapp über 20.000 Blitzentladungen erfasst, die meisten davon in der Steiermark und in Tirol.

+++ Update 17:05 ++++

Aus dem Oberen Murtal gibt es Meldungen von größerem Hagel um etwa 3cm, wie etwa nördlich von Spielberg in der Steiermark sowie St. Georgen ob Murau. Aber auch die Gewitter in den Nordalpen bringen zumindest kleinkörnigen Hagel bzw. vor einer Stunde im Raum Schwaz ebenfalls um 3 cm.

+++ Update 16:45 ++++

Anbei ein aktuelles Bild der Gewitter im Waldviertel im Raum Allentsteig. In Zwettl wurden 20 Liter pro Quadratmeter Regen in 30 Minuten gemessen und Böen bis 56 km/h.

Gewitter im Waldviertel. © Storm Science Austria

+++ Update 16:35 ++++

Die stärksten Gewitter sind derzeit in Nordtirol, im Waldviertel und im Murtal unterwegs. Hier besteht die Gefahr von Hagel, Starkregen und Sturmböen! Auch in Mittelkärnten sowie im Mürztal nimmt die Gewittergefahr wieder zu.

+++ Update 16:25 ++++

Das Gewitter im Oberinntal hat wie erwartet zu Sturmböen in Innsbruck geführt: An der Wetterstation der Uni wurden soeben Böen bis 85 km/h gemessen.

+++ Update 16:15 ++++

Ein starkes Gewitter mit einer sehr hohen Blitzrate befindet sich knapp westlich von Innsbruck. In Hochzirl wurden soeben 19 Liter pro Quadratmeter in nur 10 Minuten gemessen!

Starkregen nahe Innsbruck. @ www.foto-webcam.eu

+++ Update 16:05 ++++

Die Schauer und Gewitter sorgen örtlich bereits für stürmische Böen, anbei die Windspitzen in der vergangenen Stunde:

  • 72 km/h Obergurgl (T)
  • 67 km/h Prutz (T)
  • 62 km/h Waizenkirchen (OÖ)
  • 61 km/hKollerschlag (OÖ)
  • 61 km/h Radstadt-Tandalier (S)

+++ Update 15:45 ++++

Ein Gewitter nimmt ausgehend vom Sellraintal Kurs auf Innsbruck. Gewitter mit dieser Zugbahn sind unter Meteorologen berüchtigt für die Gefahr von stürmischen Böen in der Tiroler Landeshauptstadt!

Das Gewitter westlich von Innsbruck. ©www.foto-webcam.eu

+++ Update 15:35 ++++

Die Gewittergefahr nimmt im nördlichen Waldviertel neuerlich zu, aus Westen zieht derzeit die Gewitterlinie auf, die im Laufe des Vormittags die Mitte Bayerns überquert hat. Die Hautptgefahr stellen hier stürmischen Böen dar! Rund um das Murtal entstehen derzeit ebenfalls immer mehr Gewitter.

Radaranalyse um 15:30 Uhr. © UBIMET/ACG

+++ Update 15:25 ++++

Anbei ein Bild des kräftigen Gewitters in der Oststeiermark im Raum Vorau (in Richtung Wechsel).

Der Aufwindbereich eines Gewitters in der Oststeiermark. © Storm Science Austria

+++ Update 15:15 ++++

Das stärkste Gewitter mit erhöhter Hagelgefahr befindet sich aktuell im Oberen Murtal knapp westlich von Murau (siehe Bild).

Aktuelle Blitze um 15:10 Uhr. © UBIMET

Das Gewitter im Waldviertel hat sich dagegen deutlich abgeschwächt.

+++ Update 15:00 +++

Die Temperaturen sind noch etwas angestiegen, anbei die vorläufigen Höchstwerte:

  • 34,4 Grad Bruck an der Mur
  • 34,2 Grad Leoben
  • 33,9 Grad Wien-Donaufeld, Weyer, St. Andrä im Lavanttal, Haag

+++ Update 14:30 +++

Im Oberen Waldviertel nahe Kirchschlag sowie bei Spital am Semmering sind bereits erste kräftige Gewitter entstanden. Die Radardaten deuten auch die Gefahr von Hagel und Starkregen hin! Vorerst sind die Gewitter noch nahezu stationär bzw ziehen nur langsam südostwärts.

Radaranalyse um 14:30. © UBIMET/ACG
Der Blick von Mürzzuschlag auf die Zelle am Semmering.

+++ Übersicht +++

Österreich liegt derzeit zwischen einem Hoch über dem Mittelmeerraum und einem Tief über den Britischen Inseln. Mit einer westlichen bis südwestlichen Höhenströmung erreichen dabei zunehmend heiße und feuchte Luftmassen das Land und die Unwettergefahr steigt ausgehend vom Berg- und Hügelland ab dem Nachmittag rasch an. Die 3ß-Grad-Marke wurde bereits verbreitet erreicht, zudem ist Luft bei Taupunkten um 20 Grad vor allem im Süden und Osten auch drücken schwül.

Die Temperaturen um 14 Uhr. © UBIMET

Am späten Nachmittag greifen die Gewitter von den Alpen immer häufiger auch auf den Osten und Südosten über, dabei besteht örtlich die Gefahr von großem Hagel, großen Regenmengen in kurzer Zeit und Sturmböen!

3-stündige Niederschlagsprognose vom ICON-D2-Modell.

Erste Hitze: In Vorarlberg und Tirol am Wochenende 30 Grad in Sicht

Thermometer zeigt Hitze mit 30 Grad

Während in Westeuropa wie etwa in Deutschland oder England die 30-Grad-Marke bereits erreicht wurde, lässt der erste Hitzetag der Saison hierzulande weiterhin auf sich warten. Auch in den kommenden Tagen bleiben die Temperaturen vor allem im Norden und Osten noch gedämpft, im Laufe des Wochenendes geht es dann aber bergauf mit den Temperaturen.

Sommertage: Innsbruck in Führung

Die bislang wärmsten Tage des Jahres waren der 22. Mai in Wien sowie der 2. Juni in Ferlach, als jeweils 29,2 Grad erreicht wurden. Bei der Anzahl an Sommertagen liegt derzeit Innsbruck mit 20 an der Spitze, dicht gefolgt von Feldkirch und Bludenz mit 19 sowie Bregenz und Ferlach mit 18. In der Osthälfte fällt die Bilanz verhalten aus, so gab es etwa in Graz 8 Sommertage, in Wien 7 und in Eisenstadt nur 6. In Lagen oberhalb von etwa 700 m wurde im östlichen Berg- und Hügelland meist noch gar kein Sommertag verzeichnet.

Die bisherige Anzahl von Sommertagen. Heute (14.6.) kommt in Bregenz und Innsbruck ein weiterer dazu. © UBIMET

Hitzetag: Späte Premiere

In den 2000er Jahren wurde der erste Hitzetag der Jahres in Österreich meist im Mai bzw. vereinzelt wie etwa in den Jahren 2018 und 2012 auch schon Ende April erreicht (eine Übersicht der frühesten 30er pro Bundesland haben wir hier zusammengefasst). Nur in den Jahren 2006 und 2013 wurden Temperaturen über 30 Grad erst kurz vor Mitte Juni erreicht. In diesem Jahr werden wir den ersten Hitzetag erst nach der Monatsmitte verzeichnen, was dem bislang spätesten Termin im aktuellen Jahrhundert bzw. seit dem Jahre 1990 entspricht.

Hoch am falschen Platz

Der späte Termin des ersten Hitzetags im Jahr 2023 stellt einen klassischen statistischen Ausreißer dar, welchen wir der festgefahrenen Großwetterlage seit etwa April mit mehreren blockierenden Hochdruckgebieten über den Britischen Inseln und Skandinavien zu verdanken haben. Auf der Nordhalbkugel bewegt sich die Luft nämlich im Uhrzeigersinn um solch ein Hoch herum, weshalb wir heuer wiederholt im Einfluss einer nördlichen oder östlichen Strömung lagen. Damit gelangen meist vergleichsweise kühle Luftmassen zu uns. Wärmebringende Südwestlagen blieben dagegen komplett aus.

Die Anomalien von Geopotential und Bodendruck seit dem 1.April zeigen den überdurchschnittlich hohen Druck über Nordeuropa, weshalb Österreich immer wieder im Einfluss einer nordöstlichen Strömung lag.

Am Sonntag 30 Grad in Sicht

In der zweiten Wochenhälfte gerät Österreich vorübergehend unter den Einfluss eines Höhentiefs mit Kern über Polen. Damit stellt sich nochmals leicht wechselhaftes Wetter mit ein paar gewittrigen Schauern ein und die Temperaturen bleiben noch gedämpft. Im Laufe des Wochenendes nimmt der Hochdruckeinfluss über Westeuropa aber zu und ab Sonntag erfassen warme Luftmassen den Westen Österreichs. Damit kündigt sich am Sonntag in Vorarlberg und lokal auch im Oberinntal der erste Hitzetag des Jahres an.

Am Sonntag deuten die Modelle erstmals auf 30 Grad im Westen Österreichs. © UBIMET

Im Osten Österreichs muss man sich noch ein paar Tage länger gedulden, gegen Mitte der kommenden Woche ist die 30-Grad-Marke aber auch hier in Reichweite.

Temperaturtrend für Wien. © UBIMET/ECMWF